ビチレブ島旅行記(ブログ) 一覧に戻る
毎年恒例、春の旅行。今年の行き先はフィジー。<br /><br />フィジー行きの第一の目的はシャークダイブ。<br />ダイビング初日でまさかのシャークダイブ、しかもお目当てのタイガーシャークに会えてしまった。<br />しかも手が届くほどの至近距離で。<br /><br />1日目でおなかいっぱいになった私たちに、フィジーの海はまったく違う顔を見せてくれました。<br />むしろこっちが本来の顔なのかな。<br /><br />2日目以降は、ビーチでのんびりダイビングしたり、第二の目的だった、ソフトコーラルの生い茂るベンガラグーンへのダイビング。<br /><br />さまざまな表情を持つフィジーの海を満喫してきました。<br /><br /><br />アフターダイブはリゾートでのんびり。。。<br /><br />いつもガンガン潜る派の私ですが、1日2本のダイビングで、あとはのんびりするのも良いなぁ〜〜って初めて思いました。<br /><br />これもフィジーマジックかなー。<br /><br />Vol.3では、ソフトコーラルの生い茂る、ベンガラグーンの模様をレポしますね。<br /><br />写真は、ベンガラグーンへのダイビングで休憩に寄った島、ヤヌザ島。<br />この島もとっても素敵です&amp;amp;amp;amp;amp;#9825;<br /><br />

フィジーで最高の休日 Vol.3 ソフトコーラルの森でダイビング

7いいね!

2008/03/27 - 2008/04/04

39位(同エリア82件中)

2

30

fairy

fairyさん

毎年恒例、春の旅行。今年の行き先はフィジー。

フィジー行きの第一の目的はシャークダイブ。
ダイビング初日でまさかのシャークダイブ、しかもお目当てのタイガーシャークに会えてしまった。
しかも手が届くほどの至近距離で。

1日目でおなかいっぱいになった私たちに、フィジーの海はまったく違う顔を見せてくれました。
むしろこっちが本来の顔なのかな。

2日目以降は、ビーチでのんびりダイビングしたり、第二の目的だった、ソフトコーラルの生い茂るベンガラグーンへのダイビング。

さまざまな表情を持つフィジーの海を満喫してきました。


アフターダイブはリゾートでのんびり。。。

いつもガンガン潜る派の私ですが、1日2本のダイビングで、あとはのんびりするのも良いなぁ〜〜って初めて思いました。

これもフィジーマジックかなー。

Vol.3では、ソフトコーラルの生い茂る、ベンガラグーンの模様をレポしますね。

写真は、ベンガラグーンへのダイビングで休憩に寄った島、ヤヌザ島。
この島もとっても素敵です&amp;amp;amp;amp;#9825;

同行者
友人
一人あたり費用
20万円 - 25万円
航空会社
大韓航空
  • まずはベンガラグーンでのダイビングから。<br /><br />ベンガラグーンは、リゾートからボートで2時間くらいだっけ。<br /><br />ボートかっ飛ばして行きます。<br />途中、イルカやクジラに会えることがあるそうです。<br />この日も、クジラがいたらしいけど、私の目では確認できず、残念。<br />その前に行った知り合いは、結構近くで見たって言ってたなぁ。<br /><br /><br />ベンガ1本目は、セブンシスターズ&タス2レック<br /><br />沈潜とコーラルいっぱいの根のあるポイントです。<br /><br />エントリーしてまず向かったのは沈船。

    まずはベンガラグーンでのダイビングから。

    ベンガラグーンは、リゾートからボートで2時間くらいだっけ。

    ボートかっ飛ばして行きます。
    途中、イルカやクジラに会えることがあるそうです。
    この日も、クジラがいたらしいけど、私の目では確認できず、残念。
    その前に行った知り合いは、結構近くで見たって言ってたなぁ。


    ベンガ1本目は、セブンシスターズ&タス2レック

    沈潜とコーラルいっぱいの根のあるポイントです。

    エントリーしてまず向かったのは沈船。

  • お船の中にも入れますよー。<br /><br />ハナミノさんがいました。<br /><br />

    お船の中にも入れますよー。

    ハナミノさんがいました。

  • ところどころにソフトコーラルが生えてます〜。

    ところどころにソフトコーラルが生えてます〜。

  • ソフトコーラルには小さなお魚さんが♪<br /><br />この日は2日前まで降っていた雨の影響か、透明度が残念なことに。。。<br /><br />10〜12mだったかな。<br /><br />だから、残念ながら沈潜の全体像は撮れませんでした。

    ソフトコーラルには小さなお魚さんが♪

    この日は2日前まで降っていた雨の影響か、透明度が残念なことに。。。

    10〜12mだったかな。

    だから、残念ながら沈潜の全体像は撮れませんでした。

  • 船尾で見つけた大きなハタ系?のお魚。<br />この沈潜の主かなー。<br /><br />友達とはさみうち。<br />でもご覧のとおり、逃げられた(笑)<br /><br /><br />沈潜は前菜ね。<br />このあとは、コーラルいっぱいの根に移ります。

    船尾で見つけた大きなハタ系?のお魚。
    この沈潜の主かなー。

    友達とはさみうち。
    でもご覧のとおり、逃げられた(笑)


    沈潜は前菜ね。
    このあとは、コーラルいっぱいの根に移ります。

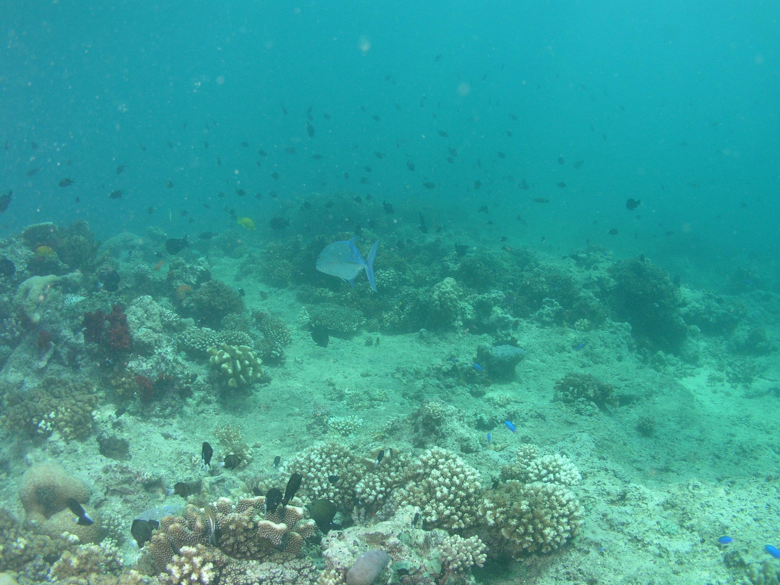
  • 根にはびっしりとソフトコーラルが生い茂り。。。<br /><br />ここでマクロしたら、めっちゃいろんなのが潜んでそう。。。<br /><br />でも、写真に写しこめない風景に(透明度のせいもあるけどw)目をとられ、ちっともマクロなんてする気にならない。

    根にはびっしりとソフトコーラルが生い茂り。。。

    ここでマクロしたら、めっちゃいろんなのが潜んでそう。。。

    でも、写真に写しこめない風景に(透明度のせいもあるけどw)目をとられ、ちっともマクロなんてする気にならない。

  • 色とりどりのソフトコーラル、きれいねぇ♪

    色とりどりのソフトコーラル、きれいねぇ♪

  • 撮ってもらった♪<br /><br />あ〜、もうちょっと透明度よかったらな〜〜。。。<br /><br />と思うと、透明度の良いシーズンにまた行きたくなってしまう(笑)

    撮ってもらった♪

    あ〜、もうちょっと透明度よかったらな〜〜。。。

    と思うと、透明度の良いシーズンにまた行きたくなってしまう(笑)

  • トンネルもあるよ〜〜〜♪<br /><br />これ、まだベンガ一本目。<br /><br />ほんと表情豊か!<br /><br /><br />で、お次は安全停止の根の上へ〜〜。。。

    トンネルもあるよ〜〜〜♪

    これ、まだベンガ一本目。

    ほんと表情豊か!


    で、お次は安全停止の根の上へ〜〜。。。

  • 根の上はハードコーラルが元気!<br /><br />ここでずーっとマクロしてても良いかも〜〜♪<br />って思っちゃう。<br /><br />

    根の上はハードコーラルが元気!

    ここでずーっとマクロしてても良いかも〜〜♪
    って思っちゃう。

  • デバスズメダイとかいたと思われますが、私、サンゴの中に引っ込めてます(笑)

    デバスズメダイとかいたと思われますが、私、サンゴの中に引っ込めてます(笑)

  • ねー、いろんなマクロな生物もいそうでしょ〜〜♪<br /><br />友達はひたすらマクロしてました。<br /><br />私はせっかくだからってワイド。<br />でも、透明度が。。。

    ねー、いろんなマクロな生物もいそうでしょ〜〜♪

    友達はひたすらマクロしてました。

    私はせっかくだからってワイド。
    でも、透明度が。。。

  • カスミアジー♪<br />待って〜〜〜!<br /><br />大好きなの、カスミアジ、きれいですよねぇ&#9825;

    カスミアジー♪
    待って〜〜〜!

    大好きなの、カスミアジ、きれいですよねぇ♡

  • ベンガは休憩時間も最高&#9825;<br /><br />ヤヌザ島に立ち寄って、休憩。<br /><br />こんなビーチがあります。<br /><br /><br />ここにはサーファー用のコテージがあるのですが、ここに泊って、オーバーナイトダイビングもできるようになったそうです。<br />

    ベンガは休憩時間も最高♡

    ヤヌザ島に立ち寄って、休憩。

    こんなビーチがあります。


    ここにはサーファー用のコテージがあるのですが、ここに泊って、オーバーナイトダイビングもできるようになったそうです。

  • こんなゲートあり&#9825;<br />可愛い♪

    こんなゲートあり♡
    可愛い♪

  • こんな宿泊施設があります。<br /><br />すごいのね、トイレがね、ちゃんと水洗なの。<br />これにはびっくり!<br /><br />この島に一晩泊ってベンガでダイビング、してみたいな〜〜。<br />私達は体験ダイバーもいっしょだったからか、潜れなかったけど、他にも潜ってみたいポイントがあるのです。<br /><br />今度行ったらリクエストするぞー。<br /><br />天気よかったら、夜ここから見る星空はヤバいくらい綺麗だろうなぁ。。。

    こんな宿泊施設があります。

    すごいのね、トイレがね、ちゃんと水洗なの。
    これにはびっくり!

    この島に一晩泊ってベンガでダイビング、してみたいな〜〜。
    私達は体験ダイバーもいっしょだったからか、潜れなかったけど、他にも潜ってみたいポイントがあるのです。

    今度行ったらリクエストするぞー。

    天気よかったら、夜ここから見る星空はヤバいくらい綺麗だろうなぁ。。。

  • 休憩の間は、シュノーケルして遊べます。<br /><br />サンゴ元気だよ〜〜♪<br /><br />

    休憩の間は、シュノーケルして遊べます。

    サンゴ元気だよ〜〜♪

  • あっという間に日焼けするけど、シュノーケルも最高!

    あっという間に日焼けするけど、シュノーケルも最高!

  • さて、ベンガ2本目は、サイドストリート。<br /><br />ここはお〜〜〜〜〜きなウミウチワが、わっさわっさと茂るところでした。<br /><br />そして、これでもか!ってくらいトンネルを通る(笑)<br /><br />地形も面白いです♪

    さて、ベンガ2本目は、サイドストリート。

    ここはお〜〜〜〜〜きなウミウチワが、わっさわっさと茂るところでした。

    そして、これでもか!ってくらいトンネルを通る(笑)

    地形も面白いです♪

  • 水路になってるところの壁両側に、ウミウチワがたーくさん茂ってるのですが、ワイコンくらいじゃ写真に収まらないのです。<br /><br />

    水路になってるところの壁両側に、ウミウチワがたーくさん茂ってるのですが、ワイコンくらいじゃ写真に収まらないのです。

  • とほほ。。。な写真ですが、ウミウチワの大きさがわかる写真だと思うのでUP。<br /><br />透明度悪いにしたって、この写真はひどいな〜〜。<br />ストロボの向きが悪かったんかな。。。

    とほほ。。。な写真ですが、ウミウチワの大きさがわかる写真だと思うのでUP。

    透明度悪いにしたって、この写真はひどいな〜〜。
    ストロボの向きが悪かったんかな。。。

  • ダイバーのみなさん、想像力を思い切り働かせてごらんください(笑)<br />美しいソフトコーラルの色を。。。<br /><br />ストロボどっち向いてたんだろ(笑)

    ダイバーのみなさん、想像力を思い切り働かせてごらんください(笑)
    美しいソフトコーラルの色を。。。

    ストロボどっち向いてたんだろ(笑)

  • トンネルの中も、ウチワだらけ!<br /><br />このウチワ達にもたくさんマクロな生物が潜んでいることでしょう。。。<br /><br />例によって、マクロ一切なしのfairyでした。<br /><br /><br />

    トンネルの中も、ウチワだらけ!

    このウチワ達にもたくさんマクロな生物が潜んでいることでしょう。。。

    例によって、マクロ一切なしのfairyでした。


  • 友達の撮ったマクロ写真からUP。<br /><br />ウチワにいたエビさん♪<br /><br />探せばこういうのがたくさんいるんだろうな。

    友達の撮ったマクロ写真からUP。

    ウチワにいたエビさん♪

    探せばこういうのがたくさんいるんだろうな。

  • このウミウシはたーくさんいました。<br /><br />普段、アオウミウシとかコイボウミウシしか見つけられない私でも、たくさん見つけちゃうくらい(笑)

    このウミウシはたーくさんいました。

    普段、アオウミウシとかコイボウミウシしか見つけられない私でも、たくさん見つけちゃうくらい(笑)

  • フグもいた。<br /><br />これも友達の写真から。

    フグもいた。

    これも友達の写真から。

  • ムカデウミウシかな〜。。。

    ムカデウミウシかな〜。。。

  • 充実のベンガラグーンでのダイビングも終了。<br /><br />ベンガは遠出するので、リゾートにもどって、のんびりシャワー浴びたりしてたら、夕暮れ時になってきた。<br /><br />部屋のベランダから眺める夕日。<br /><br />「あぁ〜、今日も綺麗だなぁ〜〜。。。」なんて思いつつ過ごす、夕食前のひと時。<br /><br />これもまた至福の時間♪

    充実のベンガラグーンでのダイビングも終了。

    ベンガは遠出するので、リゾートにもどって、のんびりシャワー浴びたりしてたら、夕暮れ時になってきた。

    部屋のベランダから眺める夕日。

    「あぁ〜、今日も綺麗だなぁ〜〜。。。」なんて思いつつ過ごす、夕食前のひと時。

    これもまた至福の時間♪

  • この日の夜は、ビーチでポリネシアンショーディナーがありました。<br /><br />ゲストも参加のゲームもあったりして、なかなか楽しい。<br /><br />私もやらされたよー。。。写真ないけど。

    この日の夜は、ビーチでポリネシアンショーディナーがありました。

    ゲストも参加のゲームもあったりして、なかなか楽しい。

    私もやらされたよー。。。写真ないけど。

  • すごいねー、ファイヤーダンス。<br /><br />あと、フィジアンの男の人たちの体もすごい&#9825;<br /><br />ちょーマッチョ&#9825;<br /><br />おじさんになると、ちょービッグだけど(笑)<br /><br /><br />って、なんか下世話な話で終わっちゃうな、Vol.3。。。<br /><br />まだ続きますよ、フィジーレポート♪

    すごいねー、ファイヤーダンス。

    あと、フィジアンの男の人たちの体もすごい♡

    ちょーマッチョ♡

    おじさんになると、ちょービッグだけど(笑)


    って、なんか下世話な話で終わっちゃうな、Vol.3。。。

    まだ続きますよ、フィジーレポート♪

この旅行記のタグ

関連タグ

7いいね!

利用規約に違反している投稿は、報告する事ができます。 問題のある投稿を連絡する

この旅行記へのコメント (2)

開く

閉じる

  • taka_0929さん 2008/06/29 18:13:49
    この写真はいいなぁ〜
    またやって来ました。
    着々と作ってますね! (^^)-b

    ヤヌザ島ですか〜 (・o・)
    またまた、行きたい場所トーナメントへの候補地に一つ追加です。笑
    特にこのビーチの写真には完敗。そして乾杯☆
    ゴキゲンな一枚ですね!
    職場で使ってるパソコンの壁紙にしちゃいました (^^)v

    そして沈船にコーラル、潜ってもゴキゲンな場所じゃないですか〜!
    あ〜もう行きたくなってきた!!
    燃油代気になるから、今まで貯める一方だったマイル使って行っちゃおうかな?!

    fairy

    fairyさん からの返信 2008/06/30 08:34:35
    RE: この写真はいいなぁ〜
    takaさん、ありがとう〜〜〜!!
    ポチっと投票もありがとう〜〜^^
    壁紙にしてくれたなんて、めちゃ嬉しい!


    ヤヌザ島、本当に素敵なところでしたよ〜。
    ほんと、候補地に入れてください、takaさんはきっと気に入ると思う♪


    ベンガラグーンの海、良いでしょ〜〜〜^^
    本当に素晴らしくて、私が潜った以外のポイントも、ソフトコーラルびっしりの場所もあるそうで、絶対再訪したい場所です。


fairyさんのトラベラーページ

コメントを投稿する前に

十分に確認の上、ご投稿ください。 コメントの内容は攻撃的ではなく、相手の気持ちに寄り添ったものになっていますか?

サイト共通ガイドライン(利用上のお願い)

報道機関・マスメディアの方へ 画像提供などに関するお問い合わせは、専用のお問い合わせフォームからお願いいたします。

旅の計画・記録

マイルに交換できるフォートラベルポイントが貯まる
フォートラベルポイントって?

フィジーで使うWi-Fiはレンタルしましたか?

フォートラベル GLOBAL WiFiなら
フィジー最安 618円/日~

  • 空港で受取・返却可能
  • お得なポイントがたまる

フィジーの料金プランを見る

フォートラベル公式LINE@

おすすめの旅行記や旬な旅行情報、お得なキャンペーン情報をお届けします!
QRコードが読み取れない場合はID「@4travel」で検索してください。

\その他の公式SNSはこちら/

タグから海外旅行記(ブログ)を探す

PAGE TOP