セブ島旅行記(ブログ) 一覧に戻る
再びプルクラに行きました。カビラオ島では、前回とは違う場所に上陸しました。プルクラから車で15分位のカルカルの町にも行ったので、写真アップします。

プルクラ→カビラオツアー&カルカル観光

10いいね!

2007/08 - 2007/09

2424位(同エリア3946件中)

0

39

ガイサノカルカル

ガイサノカルカルさん

再びプルクラに行きました。カビラオ島では、前回とは違う場所に上陸しました。プルクラから車で15分位のカルカルの町にも行ったので、写真アップします。

同行者
家族旅行
交通手段
タクシー
航空会社
フィリピン航空
  • 朝のプルクラのメインプール。今日も天気は良さそうです。ホテルスタッフが、毎日掃除しています。

    朝のプルクラのメインプール。今日も天気は良さそうです。ホテルスタッフが、毎日掃除しています。

  • 朝のビーチ。右端に見えるのは、ビーチカバナ。

    朝のビーチ。右端に見えるのは、ビーチカバナ。

  • ビーチカバナを正面から見ると、こんな感じ。場所取りなんて、誰もしません。

    ビーチカバナを正面から見ると、こんな感じ。場所取りなんて、誰もしません。

  • ハンモックと、桟橋。

    ハンモックと、桟橋。

  • 朝食を食べる、レストランRIPAのテラス。レストランの中でも、いただけます。

    朝食を食べる、レストランRIPAのテラス。レストランの中でも、いただけます。

  • プライベートビーチ。

    プライベートビーチ。

  • ラグーンは引き潮中。満潮になると、海水が流れ込みます。遠くに見える赤い屋根は、ウンディーナスパ。

    ラグーンは引き潮中。満潮になると、海水が流れ込みます。遠くに見える赤い屋根は、ウンディーナスパ。

  • 水上スパのコテージ。プールは、スパ専用のもの。

    水上スパのコテージ。プールは、スパ専用のもの。

  • 水上コテージの隣には、ミストサウナのヤモッグ。

    水上コテージの隣には、ミストサウナのヤモッグ。

  • スパメニューの最後に、プールサイドのデッキチェアで、ハニーレモンドリンクをいただきました。

    スパメニューの最後に、プールサイドのデッキチェアで、ハニーレモンドリンクをいただきました。

  • スパから見た、プルクラのビーチ遠景。

    スパから見た、プルクラのビーチ遠景。

  • 引き潮のプライベートビーチ。

    引き潮のプライベートビーチ。

  • 解りにくいですが、プライベートビーチでも、岩礁には、この位の魚はいます。

    解りにくいですが、プライベートビーチでも、岩礁には、この位の魚はいます。

  • でも、魚影が濃いのは、やっぱりカビラオ島。<br />ダイブツアーで、到着。

    でも、魚影が濃いのは、やっぱりカビラオ島。
    ダイブツアーで、到着。

  • 早速、海の中へ、ドボン。

    早速、海の中へ、ドボン。

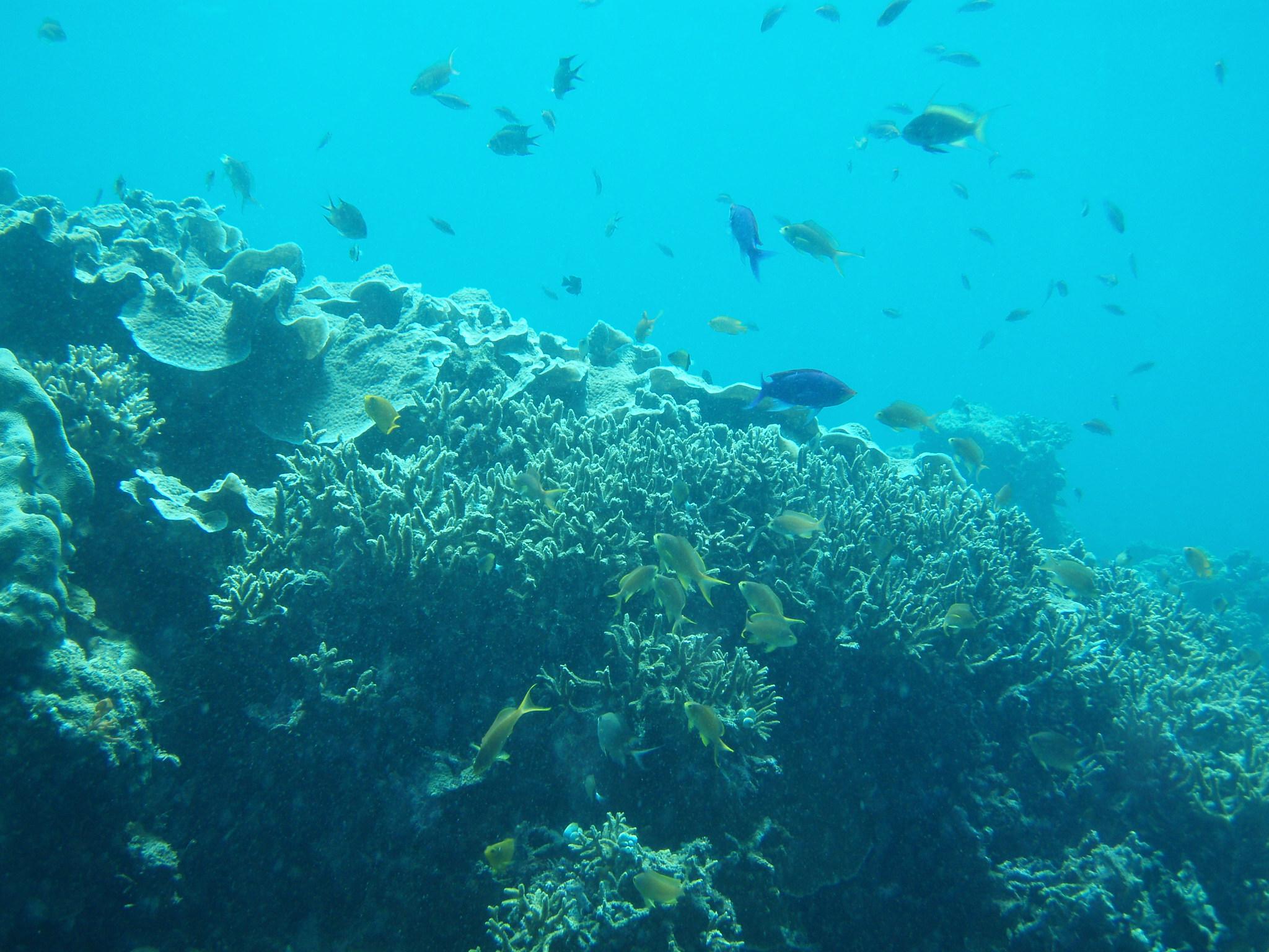
  • 魚達が、乱舞している。

    魚達が、乱舞している。

  • 近づいても、逃げません。<br />写真技術は、未熟なので、あしからず。

    近づいても、逃げません。
    写真技術は、未熟なので、あしからず。

  • 立派なテーブル珊瑚発見。

    立派なテーブル珊瑚発見。

  • 砂地で、海ヘビ発見。

    砂地で、海ヘビ発見。

  • カビラオ島のタリサイピアに上陸。<br />ランチは、写真に見えるピアの途中にある、コテージと言うか・・・屋根のある所でBBQをいただきます。

    カビラオ島のタリサイピアに上陸。
    ランチは、写真に見えるピアの途中にある、コテージと言うか・・・屋根のある所でBBQをいただきます。

  • この向こうに前旅行記に載せた、ライトハウスがあります。遠くに、ライトハウス前に停泊している、ダイビングサービスのボートが見えます。

    この向こうに前旅行記に載せた、ライトハウスがあります。遠くに、ライトハウス前に停泊している、ダイビングサービスのボートが見えます。

  • 私のHNにしている、ガイサノカルカル。<br />プルクラに滞在している時しか、なかなか行けません。<br />中規模百貨店と、スーパーの複合店。<br />でも、お土産類や簡単な衣料品、日用品は全て揃います。しかも、セブシティより1〜3割位安いです。<br /><br />ブランド品にこだわらなければ、良い店です。

    私のHNにしている、ガイサノカルカル。
    プルクラに滞在している時しか、なかなか行けません。
    中規模百貨店と、スーパーの複合店。
    でも、お土産類や簡単な衣料品、日用品は全て揃います。しかも、セブシティより1〜3割位安いです。

    ブランド品にこだわらなければ、良い店です。

  • スーパーの店内。

    スーパーの店内。

  • ほんの少しだけ、フードコート風の場所もあります。

    ほんの少しだけ、フードコート風の場所もあります。

  • カルカルにある、セントカソリック・アレクサンドリア教会。18世紀頃の建物らしい。

    カルカルにある、セントカソリック・アレクサンドリア教会。18世紀頃の建物らしい。

  • 中は、こんな感じ。<br />敬虔な気持ちになります。

    中は、こんな感じ。
    敬虔な気持ちになります。

  • もう少し、近づいてパチリ。

    もう少し、近づいてパチリ。

  • 教会周辺の公園。

    教会周辺の公園。

  • 教会の前には、モニュメントがあります。

    教会の前には、モニュメントがあります。

  • カルカルの街並み。町の中心に、サークルがあって、三差路なっています。

    カルカルの街並み。町の中心に、サークルがあって、三差路なっています。

  • 別の方向へ、パチリ。

    別の方向へ、パチリ。

  • サークル内にある、モニュメント。

    サークル内にある、モニュメント。

  • もう一つ別方向をパチリ。

    もう一つ別方向をパチリ。

  • カルカルにもジョリービーがあったので、入りました。ここの、チキンは美味しくて安い。日本にも出店しないかな。

    カルカルにもジョリービーがあったので、入りました。ここの、チキンは美味しくて安い。日本にも出店しないかな。

  • ついでに、マクタンから行ったパンダノン島。

    ついでに、マクタンから行ったパンダノン島。

  • パンダノン島は、マクタン周辺のビーチでは、最も綺麗だと思います。

    パンダノン島は、マクタン周辺のビーチでは、最も綺麗だと思います。

  • まぁ、こんな所あるけど。

    まぁ、こんな所あるけど。

  • パンダノン島にある、建物。中では、ローカルの人達が歌ったり、踊ったりして楽しそうでした。<br />でも、何の為の建物なのか。ちょっと不明。

    パンダノン島にある、建物。中では、ローカルの人達が歌ったり、踊ったりして楽しそうでした。
    でも、何の為の建物なのか。ちょっと不明。

  • 最終日マクタン島のハドサンでも潜りました。<br />マクタン島でもなかなか綺麗なポイントです。<br /><br />でも、K国資本が目の前で、700室規模のホテルを建設中でした。海上レストラン用と思われる巨大桟橋も建設していました。<br />来年には、ハドサンの透明度は悪くなってしまうかなぁ。<br />取り留めも無く、ビーチばかりの旅行記をご覧いただきありがとうございました。<br /><br />最後に、ヒルトガン島沖で魚寄せの為に、食べ物をばら撒くの止めてください、K国の方々、お願いします。<br />目の前で見た時はびっくり・・・本当の話です。

    最終日マクタン島のハドサンでも潜りました。
    マクタン島でもなかなか綺麗なポイントです。

    でも、K国資本が目の前で、700室規模のホテルを建設中でした。海上レストラン用と思われる巨大桟橋も建設していました。
    来年には、ハドサンの透明度は悪くなってしまうかなぁ。
    取り留めも無く、ビーチばかりの旅行記をご覧いただきありがとうございました。

    最後に、ヒルトガン島沖で魚寄せの為に、食べ物をばら撒くの止めてください、K国の方々、お願いします。
    目の前で見た時はびっくり・・・本当の話です。

この旅行記のタグ

10いいね!

利用規約に違反している投稿は、報告する事ができます。 問題のある投稿を連絡する

コメントを投稿する前に

十分に確認の上、ご投稿ください。 コメントの内容は攻撃的ではなく、相手の気持ちに寄り添ったものになっていますか?

サイト共通ガイドライン(利用上のお願い)

報道機関・マスメディアの方へ 画像提供などに関するお問い合わせは、専用のお問い合わせフォームからお願いいたします。

旅の計画・記録

マイルに交換できるフォートラベルポイントが貯まる
フォートラベルポイントって?

フィリピンで使うWi-Fiはレンタルしましたか?

フォートラベル GLOBAL WiFiなら
フィリピン最安 356円/日~

  • 空港で受取・返却可能
  • お得なポイントがたまる

フィリピンの料金プランを見る

フォートラベル公式LINE@

おすすめの旅行記や旬な旅行情報、お得なキャンペーン情報をお届けします!
QRコードが読み取れない場合はID「@4travel」で検索してください。

\その他の公式SNSはこちら/

PAGE TOP