石垣島旅行記(ブログ) 一覧に戻る
数年ぶりにダイビング!をしに初の沖縄へ。<br />感動の連続でした。<br />今流行の石垣移住、私も移住を考えるほど石垣島はすばらしいところでした。<br />毎年、石垣島を訪れる決意をしました。<br />時間ができるたびに、おとずれたいです。<br /><br />帰宅後、Dr.コトーのドラマを見るたび、あの青い空と海がなつかしくなりました。

かりが~南の島の魚たちに~出会った~

5いいね!

2006/08/23 - 2006/08/28

4616位(同エリア5924件中)

6

127

かり

かりさん

数年ぶりにダイビング!をしに初の沖縄へ。
感動の連続でした。
今流行の石垣移住、私も移住を考えるほど石垣島はすばらしいところでした。
毎年、石垣島を訪れる決意をしました。
時間ができるたびに、おとずれたいです。

帰宅後、Dr.コトーのドラマを見るたび、あの青い空と海がなつかしくなりました。

同行者
友人
一人あたり費用
5万円 - 10万円
交通手段
レンタカー JALグループ
  • 数年ぶりのダイビング<br />しかも、ダイビング歴は長いのにダイビング本数は今回15本目。。。。<br /><br />頼れる同行者は石垣リピーターのお姉様方です。<br />そのうちお二方ゴッドマザーさんとN先輩は数百本潜っているという強者です。<br /><br />いつも一緒のA先輩は「こわい〜」という不安と体調の悪さでお気の毒でした。<br /><br />あまりに久々のダイビング。<br />大の苦手の耳抜きはなんとかクリア<br /><br />しかし、中性浮力がとれず、体のバランスを保つのに最初、悪戦苦闘の連続でした。<br /><br />が、あまりの海のきれいさに小学校の時にならったスイミーになった気分でした。

    数年ぶりのダイビング
    しかも、ダイビング歴は長いのにダイビング本数は今回15本目。。。。

    頼れる同行者は石垣リピーターのお姉様方です。
    そのうちお二方ゴッドマザーさんとN先輩は数百本潜っているという強者です。

    いつも一緒のA先輩は「こわい〜」という不安と体調の悪さでお気の毒でした。

    あまりに久々のダイビング。
    大の苦手の耳抜きはなんとかクリア

    しかし、中性浮力がとれず、体のバランスを保つのに最初、悪戦苦闘の連続でした。

    が、あまりの海のきれいさに小学校の時にならったスイミーになった気分でした。

  • これは何でしょう。<br /><br />海大好き。海の生きもの大好きなのに覚えられない。。

    これは何でしょう。

    海大好き。海の生きもの大好きなのに覚えられない。。

  • 潜ったのは竹富南リトルサンドパラダイスです。<br /><br />スカシテンジクダイ。。。だったと思います。

    潜ったのは竹富南リトルサンドパラダイスです。

    スカシテンジクダイ。。。だったと思います。

  • エントリーした海底が集合場所です。<br /><br />クマノミがいっぱい。

    エントリーした海底が集合場所です。

    クマノミがいっぱい。

  • ガーデンイール!!

    ガーデンイール!!

  • ミラーリュウグウウミウシ。。だったと思います。<br />お姉様方はウミウシ好き。<br />私はナメクジのようなウミウシは、いくら綺麗な模様の種類でさえ苦手です。

    ミラーリュウグウウミウシ。。だったと思います。
    お姉様方はウミウシ好き。
    私はナメクジのようなウミウシは、いくら綺麗な模様の種類でさえ苦手です。

  • ここは黒島ヨスジの根というところです。<br /><br />ヨスジフエダイたちです。

    ここは黒島ヨスジの根というところです。

    ヨスジフエダイたちです。

  • グルクンの群れです。<br />かわいいでしょう。<br /><br />この夜、グルクンの唐揚げを食べました。<br />おいしかったです。

    グルクンの群れです。
    かわいいでしょう。

    この夜、グルクンの唐揚げを食べました。
    おいしかったです。

  • オオアカホシサンゴガニ・・だったかな?<br /><br />しかしこんな小さな子たちを見つけられるガイドの人には本当に感心します。

    オオアカホシサンゴガニ・・だったかな?

    しかしこんな小さな子たちを見つけられるガイドの人には本当に感心します。

  • タツウミヤッコ<br /><br />海底にいると 海草みたい<br /><br />でもドラゴンっぽくも見えます

    タツウミヤッコ

    海底にいると 海草みたい

    でもドラゴンっぽくも見えます

  • オラウータンクラブ<br /><br />こんなのが一人で見つけられるようになりたいな

    オラウータンクラブ

    こんなのが一人で見つけられるようになりたいな

  • ハナノミカサゴ

    ハナノミカサゴ

  • 何だったっけ?<br /><br />海草と擬態中

    何だったっけ?

    海草と擬態中

  • いや〜ん。ウミウシだあ

    いや〜ん。ウミウシだあ

  • 黒島ハナヒゲポイントで出会ったハナヒゲウツボ<br /><br />きれいだよねえ。

    黒島ハナヒゲポイントで出会ったハナヒゲウツボ

    きれいだよねえ。

  • よーく見て下さい。<br />小さなエビがいるでしょう。<br /><br />この日ミカヅキコモンエビ、コマチコシオリエビ、ニセアカホシカクレエビを見ました。<br /><br />どの写真がどの子でしょう?

    よーく見て下さい。
    小さなエビがいるでしょう。

    この日ミカヅキコモンエビ、コマチコシオリエビ、ニセアカホシカクレエビを見ました。

    どの写真がどの子でしょう?

  • 何だったっけ?

    何だったっけ?

  • ここは大崎すみれガ丘<br /><br />ログブックを見るとスミレノガハナダイと書いてあります。オスが綺麗な色なんですが、サロンパスを張ったような模様です。私としてはサロンパスちゃんと呼ぶ方が覚えやすい。メスは地味らしいです。ここは25mくらいの深さのため、色が若干違って見えます。雌雄の数のバランスが悪くなるとオスがメスにメスがオスに変わる魚の一種でもあります。

    ここは大崎すみれガ丘

    ログブックを見るとスミレノガハナダイと書いてあります。オスが綺麗な色なんですが、サロンパスを張ったような模様です。私としてはサロンパスちゃんと呼ぶ方が覚えやすい。メスは地味らしいです。ここは25mくらいの深さのため、色が若干違って見えます。雌雄の数のバランスが悪くなるとオスがメスにメスがオスに変わる魚の一種でもあります。

  • ヤマブキハゼ?

    ヤマブキハゼ?

  • ニチリンダテハゼ<br />えびちゃんと共生中

    ニチリンダテハゼ
    えびちゃんと共生中

  • 「早くどこかに行け〜」

    「早くどこかに行け〜」

  • まだ若いクモヒトデ

    まだ若いクモヒトデ

  • 「おいらは海のスパイダーマン」

    「おいらは海のスパイダーマン」

  • こんな海が世界遺産に登録されていないなんて。。。<br /><br />ずっとずっと後世に伝えたい景色です。

    こんな海が世界遺産に登録されていないなんて。。。

    ずっとずっと後世に伝えたい景色です。

  • 下一面に広がる珊瑚<br /><br />ダイビング初心者の私、珊瑚を破壊しないよう緊張の連続でした<br /><br />大阪に帰ったらダイビングの秘密特訓をして来年再チャレンジしよう。

    下一面に広がる珊瑚

    ダイビング初心者の私、珊瑚を破壊しないよう緊張の連続でした

    大阪に帰ったらダイビングの秘密特訓をして来年再チャレンジしよう。

  • 「ミッカッチャッタ!?」

    「ミッカッチャッタ!?」

  • なんてかわいいんでしょう。<br /><br />ウミガメやナポレオンフィッシュのような大物好きの私が今回のダイビングでハゼ系に興味を持つようになりました。<br /><br />黄色のジョーフィッシュ君です。

    なんてかわいいんでしょう。

    ウミガメやナポレオンフィッシュのような大物好きの私が今回のダイビングでハゼ系に興味を持つようになりました。

    黄色のジョーフィッシュ君です。

  • 小さな体に大きなお目々。<br /><br />癒されます。

    小さな体に大きなお目々。

    癒されます。

  • 「まばたきせずにいられるタイム記録中」

    「まばたきせずにいられるタイム記録中」

  • セジロクマノミ<br /><br />石垣の海には顔なじみになるほどクマノミがいました。<br /><br />一つの縦線模様はハマクマノミ<br />二つは単なるクマノミ<br />三つはカクレクマノミ<br /><br />一ハマ二クマ三カクレ<br /><br />トオアカクマノミはこの近海にはいないそうです。

    セジロクマノミ

    石垣の海には顔なじみになるほどクマノミがいました。

    一つの縦線模様はハマクマノミ
    二つは単なるクマノミ
    三つはカクレクマノミ

    一ハマ二クマ三カクレ

    トオアカクマノミはこの近海にはいないそうです。

  • アオリイカ劇場の始まり始まり〜

    アオリイカ劇場の始まり始まり〜

  • だんな  「おい、はよ、うめや!」<br />妻    「いややん、こんな人の多いところ         で。。」<br /><br />ちゃらイカ「ねえねえ、彼女。遊ばない?」<br />だんな  「こら〜何声かけとんねん。いてまう        ぞ。」(体の色を変えて怒って追いかけ      る)<br /><br />だんな   もどってきて・・・<br />     「は〜よ〜う〜め〜」<br />妻    「堪忍して〜」  

    だんな  「おい、はよ、うめや!」
    妻    「いややん、こんな人の多いところ         で。。」

    ちゃらイカ「ねえねえ、彼女。遊ばない?」
    だんな  「こら〜何声かけとんねん。いてまう        ぞ。」(体の色を変えて怒って追いかけ      る)

    だんな   もどってきて・・・
         「は〜よ〜う〜め〜」
    妻    「堪忍して〜」  

  • この後無事に産卵をしたアオリイカップル☆<br /><br />人間顔負けの恋愛模様でした。<br /><br />御神崎エビ穴Aより愛をこめて〜

    この後無事に産卵をしたアオリイカップル☆

    人間顔負けの恋愛模様でした。

    御神崎エビ穴Aより愛をこめて〜

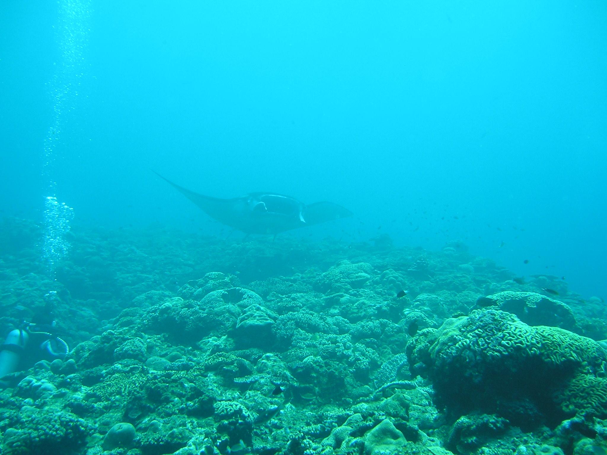
  • 石崎マンタスクランブル<br /><br />石垣と言えばやはりマンタでしょう。<br />高い確率で遭遇できる!<br />石垣リピーターのお姉様がたはハゼなど小さい生きものが好きで「マンタはもういい」と言っていたんだけれど、私につきあってくれることになりました。<br /><br />

    石崎マンタスクランブル

    石垣と言えばやはりマンタでしょう。
    高い確率で遭遇できる!
    石垣リピーターのお姉様がたはハゼなど小さい生きものが好きで「マンタはもういい」と言っていたんだけれど、私につきあってくれることになりました。

  • マンタに興味のないお姉様方は上を見ず、下でウミウシ探しに夢中。<br /><br />私は優雅に泳ぐマンタたちにすっかり魅了されていました。下にくっついているコバンザメは気持ち悪かったです。

    マンタに興味のないお姉様方は上を見ず、下でウミウシ探しに夢中。

    私は優雅に泳ぐマンタたちにすっかり魅了されていました。下にくっついているコバンザメは気持ち悪かったです。

  • マンタは吐き出した息がかかるのをいやがるから、マンタが頭上に来たときは息を止めるように、とのことでした。息とめるから来て!

    マンタは吐き出した息がかかるのをいやがるから、マンタが頭上に来たときは息を止めるように、とのことでした。息とめるから来て!

  • この日は4匹でしたが、もっと多く出る日もあるそうです。<br /><br />出会わない方がめずらしいのに、出会えなかった友だちもいました。

    この日は4匹でしたが、もっと多く出る日もあるそうです。

    出会わない方がめずらしいのに、出会えなかった友だちもいました。

  • 海上からの光が入り、とても綺麗でした。

    海上からの光が入り、とても綺麗でした。

  • 上ではシュノーケリングをしている人々も。<br />シュノーケリングでも十分マンタを見られるんです。

    上ではシュノーケリングをしている人々も。
    シュノーケリングでも十分マンタを見られるんです。

  • マンタとコラボ☆

    マンタとコラボ☆

  • 石垣の海を満喫した二日間でした。<br />グレートバリアリーフにも潜ったことがありますが、石垣の海の方が感動する気がします。

    石垣の海を満喫した二日間でした。
    グレートバリアリーフにも潜ったことがありますが、石垣の海の方が感動する気がします。

  • 四日目 竹富島へ<br /><br />

    四日目 竹富島へ

  • 沖縄独自の文化が感じられます。

    沖縄独自の文化が感じられます。

  • 屋根にシーサーが!

    屋根にシーサーが!

  • こわい顔だけど愛らしい

    こわい顔だけど愛らしい

  • 石垣と鮮やかな花がすごくマッチしています。

    石垣と鮮やかな花がすごくマッチしています。

  • 竹富島の集落はすぐに見てまわれます。<br />観光客がうじゃうじゃいる中、地元の人たちはここで日常を過ごしているんですね。

    竹富島の集落はすぐに見てまわれます。
    観光客がうじゃうじゃいる中、地元の人たちはここで日常を過ごしているんですね。

  • 私を乗せてくれた水牛君です。名前は忘れちゃったんだけど、御歳八十歳のおじいちゃん。ごめんね。

    私を乗せてくれた水牛君です。名前は忘れちゃったんだけど、御歳八十歳のおじいちゃん。ごめんね。

  • 30分位の水牛車の旅。<br />水牛は汗をかけないため、水をかけ体温調節をしてやらなければならないそうです。水かけ場にくると、しっかり自分で停止していました。<br /><br />最後にはガイドさんが三味線を弾きながら島から生まれた有名な民謡を歌ってくれました。

    30分位の水牛車の旅。
    水牛は汗をかけないため、水をかけ体温調節をしてやらなければならないそうです。水かけ場にくると、しっかり自分で停止していました。

    最後にはガイドさんが三味線を弾きながら島から生まれた有名な民謡を歌ってくれました。

  • ここは竹富の小学校の教室です。<br />複式学級のようです。<br />机の数の少なさにびっくりですね。<br /><br />こんなところで育つ子どもたちはなんて幸せなんでしょう。

    ここは竹富の小学校の教室です。
    複式学級のようです。
    机の数の少なさにびっくりですね。

    こんなところで育つ子どもたちはなんて幸せなんでしょう。

  • 八重山そば

    八重山そば

  • 南国らしい花ですよね

    南国らしい花ですよね

  • のんびりした時間が過ぎていきます。<br /><br />とっても暑いです。

    のんびりした時間が過ぎていきます。

    とっても暑いです。

  • レンタサイクルで竹富島を周遊することに!

    レンタサイクルで竹富島を周遊することに!

  • ビーチへ続く道

    ビーチへ続く道

  • ダイビング中の海もステキですが、ビーチもステキ!<br />色が最高です!

    ダイビング中の海もステキですが、ビーチもステキ!
    色が最高です!

  • 竹富島の集落内<br /><br />展望台から見た風景です。

    竹富島の集落内

    展望台から見た風景です。

  • いろいろな店があり、比較的、車もビュンビュン走っている石垣島に比べ、竹富島は本当にのんびりした島でした。<br /><br />

    いろいろな店があり、比較的、車もビュンビュン走っている石垣島に比べ、竹富島は本当にのんびりした島でした。

  • さあ、今日は石垣島一周です。<br /><br />石垣市内から時計逆回りで行くことに。<br />旅の最後には美しい夕日が眺められることでしょう。

    さあ、今日は石垣島一周です。

    石垣市内から時計逆回りで行くことに。
    旅の最後には美しい夕日が眺められることでしょう。

  • 玉取崎展望台、そして、石垣島最北端の平久保崎灯台。(その途中に島田紳助さんの店がありましたが、今回は通り過ぎました。)景色もすばらしかったのですが、灯台の車を停めるところで、出会ったドラゴンフルーツを売りに来ている親子のステキさに感動でした。ドラゴンフルーツも石垣市内で売られているものより、何倍も安い!海外で食べたドラゴンフルーツよりもかなりおいしくて、私はホテルで食べる用とお土産用にいくつか買いました。私が食べたのは白い果肉でしたが赤い果肉もあるそうです。ごま粒大の無数の種が独特の食感でした。便秘によいそうです。<br /><br />このドラゴンフルーツ売りの親子。お父さんと息子三人。小学生、中学生、高校生の息子たちのなんと素朴で人柄のよいこと!お父さんの商売の手伝いをしているんです。高校生の息子さんは現在八重山農工に通っていて、お父さんの跡を継ぐんだとか。「おれは、農業くらいしかできそうにないしさ。」と笑う彼に私とA先輩はすっかり惹かれてしまいました。お父さんは超おもしろいキャラで「最近石垣島の若い娘は島から出ていって本当に嫁不足なんだわ。どう?集団お見合いやらない?」と持ちかけてくる始末。大阪にいる私の南国好きの友だちたちが本当に押しかけそうです。

    玉取崎展望台、そして、石垣島最北端の平久保崎灯台。(その途中に島田紳助さんの店がありましたが、今回は通り過ぎました。)景色もすばらしかったのですが、灯台の車を停めるところで、出会ったドラゴンフルーツを売りに来ている親子のステキさに感動でした。ドラゴンフルーツも石垣市内で売られているものより、何倍も安い!海外で食べたドラゴンフルーツよりもかなりおいしくて、私はホテルで食べる用とお土産用にいくつか買いました。私が食べたのは白い果肉でしたが赤い果肉もあるそうです。ごま粒大の無数の種が独特の食感でした。便秘によいそうです。

    このドラゴンフルーツ売りの親子。お父さんと息子三人。小学生、中学生、高校生の息子たちのなんと素朴で人柄のよいこと!お父さんの商売の手伝いをしているんです。高校生の息子さんは現在八重山農工に通っていて、お父さんの跡を継ぐんだとか。「おれは、農業くらいしかできそうにないしさ。」と笑う彼に私とA先輩はすっかり惹かれてしまいました。お父さんは超おもしろいキャラで「最近石垣島の若い娘は島から出ていって本当に嫁不足なんだわ。どう?集団お見合いやらない?」と持ちかけてくる始末。大阪にいる私の南国好きの友だちたちが本当に押しかけそうです。

  • お昼は川平湾のおしゃれなホテルでとりました。<br />その際、すごいスコール。グッドタイミングでした。<br /><br />後は御神崎灯台で夕日を見て帰ります。

    お昼は川平湾のおしゃれなホテルでとりました。
    その際、すごいスコール。グッドタイミングでした。

    後は御神崎灯台で夕日を見て帰ります。

  • 旅の全日程<br />8/23 大阪→石垣<br />8/24 ダイビング<br />8/25 ダイビング<br />8/26 竹富島へ<br />8/27 レンタカーで石垣島一周<br />8/28 ホテル近辺でお土産を購入後、大阪へ<br />     <br />私の写真としても使っているこのシーサーは最終日にホテル近くのアトリエで1500円で作った自作のシーサーです。送料着払いで一週間後に自宅に送ってくれます。今後、石垣に来るたびに、このアトリエでシーサーを作りたいなあ。アトリエの先生は関東出身の人で石垣島のことをいろいろ話してくれたり、お姉様方と離れ、一人でシーサーを作りにきた私の話を聞いてくれたりしました。シーサーを作っている間、お話がはずんだ旅人さんとはその後何度かメールでお話もするほどでした。石垣で見かけるシーサーはどの子も表情が違い、どの子も買って帰りたいと思い迷っていた私、自作のシーサーに大満足です。どんな奇抜なシーサーでもいいけれど、白目と牙の色だけは白くして下さいということでした。<br /><br />泊まったのはスーパーホテル。<br />一泊5000円台で泊まれます。<br />安いし、一人一台ベッドを使いたいと一人一室予約をしたのですが、二部屋ずつコネクティングルームになったため、コミュニケーションもしやすく、シャワーも待つ必要もなく、とても快適でした。おみやげ物屋やお食事どころにも近いなど、立地条件も最高でした。近くには八重山商工もあって、夜、コンビニで八重山商工の選手にばったり会うことができました☆<br />また、近所のスイーツ屋さんのマンゴーフラッペに大満足☆またまた近所のカフェのタコライスも☆そこでは毎晩のようにコーヒーを飲んでいました。<br /><br />二日間潜った海があまりにすばらしく、全日程ダイビングをしたいと思いましたが、かねてよりの予定通りA先輩と行った竹富島、石垣一周も本当にすばらしかったです。<br /><br />今回、お世話になったダイビングインストラクターの人とアシスタントの人はまるで海猿の仲村トオルと伊藤英明のような関係でした。一緒に飲みに行ったところで、アシスタント君が「泡盛薄め濃いめどっちがいいですか?」とみんなに聞いてくれていると「ロックはないんかい!」と本気で怒るインストラクター。頼れるインストラクターと癒し系のアシスタント君でした。<br /><br />沖縄・八重山物産展をするんかい!というほどお土産を買いました。泡盛、シーサーストラップ、トンボ玉を使ったネックレスなどのアクセサリー、かわいいキーホルダー、島バナナを使ったバナナケーキ、サーターアンダギー、ちんすこうショコラ、パイナップルジャム、パッションフルーツジャム、マンゴージャム、純度100%の黒糖、油みそ、お決まりの海人Tシャツ、などなどです。<br /><br />毎晩の食事も楽しみでした。初めての沖縄で初めての沖縄料理。こんなにも沖縄料理がおいしいとは知らなかった!大阪に帰って数々沖縄料理屋に行きましたが、やはり現地で食べるのが一番でした。泡盛はもちろん、オリオンビールおいしかったあ!海ブドウのサラダ、ゴーヤーチャンプル、ソーミンチャンプル、豆腐チャンプル、パパやーチャンプル、ミミがー、島野菜の天ぷら、島らっきょう、ジーマミー豆腐、島豆腐、石垣牛などなど本当においしかったです。

    旅の全日程
    8/23 大阪→石垣
    8/24 ダイビング
    8/25 ダイビング
    8/26 竹富島へ
    8/27 レンタカーで石垣島一周
    8/28 ホテル近辺でお土産を購入後、大阪へ
         
    私の写真としても使っているこのシーサーは最終日にホテル近くのアトリエで1500円で作った自作のシーサーです。送料着払いで一週間後に自宅に送ってくれます。今後、石垣に来るたびに、このアトリエでシーサーを作りたいなあ。アトリエの先生は関東出身の人で石垣島のことをいろいろ話してくれたり、お姉様方と離れ、一人でシーサーを作りにきた私の話を聞いてくれたりしました。シーサーを作っている間、お話がはずんだ旅人さんとはその後何度かメールでお話もするほどでした。石垣で見かけるシーサーはどの子も表情が違い、どの子も買って帰りたいと思い迷っていた私、自作のシーサーに大満足です。どんな奇抜なシーサーでもいいけれど、白目と牙の色だけは白くして下さいということでした。

    泊まったのはスーパーホテル。
    一泊5000円台で泊まれます。
    安いし、一人一台ベッドを使いたいと一人一室予約をしたのですが、二部屋ずつコネクティングルームになったため、コミュニケーションもしやすく、シャワーも待つ必要もなく、とても快適でした。おみやげ物屋やお食事どころにも近いなど、立地条件も最高でした。近くには八重山商工もあって、夜、コンビニで八重山商工の選手にばったり会うことができました☆
    また、近所のスイーツ屋さんのマンゴーフラッペに大満足☆またまた近所のカフェのタコライスも☆そこでは毎晩のようにコーヒーを飲んでいました。

    二日間潜った海があまりにすばらしく、全日程ダイビングをしたいと思いましたが、かねてよりの予定通りA先輩と行った竹富島、石垣一周も本当にすばらしかったです。

    今回、お世話になったダイビングインストラクターの人とアシスタントの人はまるで海猿の仲村トオルと伊藤英明のような関係でした。一緒に飲みに行ったところで、アシスタント君が「泡盛薄め濃いめどっちがいいですか?」とみんなに聞いてくれていると「ロックはないんかい!」と本気で怒るインストラクター。頼れるインストラクターと癒し系のアシスタント君でした。

    沖縄・八重山物産展をするんかい!というほどお土産を買いました。泡盛、シーサーストラップ、トンボ玉を使ったネックレスなどのアクセサリー、かわいいキーホルダー、島バナナを使ったバナナケーキ、サーターアンダギー、ちんすこうショコラ、パイナップルジャム、パッションフルーツジャム、マンゴージャム、純度100%の黒糖、油みそ、お決まりの海人Tシャツ、などなどです。

    毎晩の食事も楽しみでした。初めての沖縄で初めての沖縄料理。こんなにも沖縄料理がおいしいとは知らなかった!大阪に帰って数々沖縄料理屋に行きましたが、やはり現地で食べるのが一番でした。泡盛はもちろん、オリオンビールおいしかったあ!海ブドウのサラダ、ゴーヤーチャンプル、ソーミンチャンプル、豆腐チャンプル、パパやーチャンプル、ミミがー、島野菜の天ぷら、島らっきょう、ジーマミー豆腐、島豆腐、石垣牛などなど本当においしかったです。

  • お土産のシーサーストラップ<br /><br />泡盛を持ったシーサーなど、たくさんありました

    お土産のシーサーストラップ

    泡盛を持ったシーサーなど、たくさんありました

  • トンボ玉のアクセサリーなど

    トンボ玉のアクセサリーなど

  • 油みそ<br />ごはんのおともです

    油みそ
    ごはんのおともです

  • 竹富島で買った陶器のストラップ<br />愛嬌のあるおかめ、ひょっとこ、だるまちゃんです

    竹富島で買った陶器のストラップ
    愛嬌のあるおかめ、ひょっとこ、だるまちゃんです

この旅行記のタグ

関連タグ

5いいね!

利用規約に違反している投稿は、報告する事ができます。 問題のある投稿を連絡する

この旅行記へのコメント (6)

開く

閉じる

  • ミンさん 2008/05/09 08:49:10
    石垣島の旅行記にお邪魔します
    2月のパラオ旅行の時にも、みんなに「マンタ見たいなら、石垣島の方が良いよ」
    と言われました。

    夫が石垣島ダイビング計画中です。秋かな?何時にしよう?

    石垣島、竹富には大昔にダイバーでなかったですが、行ったことはあります。

    大勢の人が「沖縄の海はきれいだ」と言いますね。
    ダイビングに行ったことないんです。

    きれいですね。やっぱり。
    マンタ、すごーい!! 見たいな。

    さんごきれい!

    かりさんの写真見てみたくなったのは、イカ!
    泳いでいるイカって、よく見たことないんです。
    いいなあ。
    よおく見れたのは、コウイカぐらい。
    かりさんが見てるところで産卵したの?

    かりさんのシーサー、かりさんが作ったのですね。
    かわいい!!


    実は私は、水中写真は、シュノーケルで撮ったことあるだけで、いつも夫が撮ってます。水中にいるだけでやっとなもので・・・(とほほ)
    あまり挑戦したくはないなあ。まったりが好き。

    千葉在住なので、6月初旬に八丈島。夏は伊豆大島でダイビングします。

    八丈島では、「ユウゼン」大島では、口内保育中のジョーフィッシュ、ヤシャハゼ、ネジリンボウなど、素敵な写真を撮れるように、夫の応援団に徹します。

    またお邪魔させてくださいね。

    かり

    かりさん からの返信 2008/05/10 12:50:08
    訪問&投票もありがとうございます。
    > 夫が石垣島ダイビング計画中です。秋かな?何時にしよう?

    今年も八月に石垣島ダイビングに行きたいと考えています。
    が、ちょっくら予定の先行きがあやしくなってて・・・
    でも、一年に一度は訪れたい場所なんですよね〜



    > 大勢の人が「沖縄の海はきれいだ」と言いますね。
    > ダイビングに行ったことないんです。


    私、本島には行ったことがありません。
    慶良間が美しいらしいですね。
    行ってみたい!!



    > かりさんの写真見てみたくなったのは、イカ!
    > 泳いでいるイカって、よく見たことないんです。
    > いいなあ。
    > よおく見れたのは、コウイカぐらい。
    > かりさんが見てるところで産卵したの?


    アオリイカの産卵面白かったですよ!!
    ちょうどエグジットのポイントでの出来事でした。。
    お魚たちのドラマって感動と笑いで
    いっぱいなんですよね〜


    >
    > かりさんのシーサー、かりさんが作ったのですね。
    > かわいい!!



    ありがとうございます。
    石垣島に行かれるなら
    是非
    作って下さい。
    無心になれますよ。
    >
    >
    > 実は私は、水中写真は、シュノーケルで撮ったことあるだけで、いつも夫が撮ってます。水中にいるだけでやっとなもので・・・(とほほ)
    > あまり挑戦したくはないなあ。まったりが好き。



    私も、まったりが好き☆
    石垣島の写真は
    一年目のも二年目のも
    ガイドさんに頂いたデータなんです!


    あ、ネタばらししちゃった・・・


    私、写真もスキなので
    もっかのところ
    まったりと
    撮影欲の
    はざまで
    揺れ動いているのです。


    旅行中も
    カメラを持たずに歩くことと

    カメラに集中することの

    二つを使い分けております。。。

    >
    > 千葉在住なので、6月初旬に八丈島。夏は伊豆大島でダイビングします。
    >
    > 八丈島では、「ユウゼン」大島では、口内保育中のジョーフィッシュ、ヤシャハゼ、ネジリンボウなど、素敵な写真を撮れるように、夫の応援団に徹します。
    >
    八丈島っていいと
    聞きます。
    行ったこともなく
    まったく知らないのですが。。。
    口内保育ジョーフィッシュ見たい!!!
    ネジリンボウ かわいいですよね!!
    すきです。


    私も
    毎月一回は
    和歌山に潜りに行きたいのです。


    何でも
    5月はピカチュウうみうしが見られるとか・・・
    でも、まだ寒そうでためらっております。


    6月、7月と
    修行をつめたらよいのですが。


    冬にはまたパラオを訪れ
    100本メモリアルダイブをしたいのですが
    それまでに達してしまいそうで・・・
    メモリアルは絶対パラオがいいんです。


    ダイビングは計画的に・・・
    ですね!!
  • けーしちょーさん 2008/04/02 23:57:11
    うらやましいです。
    かりさん。こんばんわ。

    初沖縄ですっかり「海の青さ」に参ってしまったけーしちょーです。
    美ら海水族館もよかったけど。
    やっぱり、実際にダイビングで撮る写真にはかないませんっ!

    次は竹富島とか、離島のほうに行きたいなぁ
    体験ダイビングとかしてみたいなぁ
    なぁんて思っていたら、かりさん、やってる!!

    いいなぁ〜。

    けーしちょー拝

    かり

    かりさん からの返信 2008/04/03 21:17:10
    RE: うらやましいです。
    私の掲示板にまで
    書き込み
    投票
    ありがとうございます!!


    ダイバーになりましょうよ!!
    私はホントへっぽこダイバーですが
    本当にダイビング楽しいです。

    近々
    投稿予定のパラオ旅行記では
    全て
    私撮影の海中写真ですので
    海好きなけーしちょーさんには
    見てほしいなあ。


    あ、今までの海中写真・・・
    ほとんどが友人やガイドさんに
    もらったものなんで〜す。
    以上、かりの裏話でした!
  • さとみきさん 2007/05/28 21:43:24
    うらやまし〜い!
    はじめまして〜

    やはり沖縄は青い空ですよね!!
    同じ場所をまわってきましたが・・・。
    空は灰色。

    全然違う場所を観光したみたいです。
    次回は絶対お天気の良い時行きたいな〜
    っと。

    かり

    かりさん からの返信 2007/05/29 21:14:42
    メッセージうれしかったです!
    私もさとみきさんのブログを見て
    「あ、かぶってる」
    と思ってたんですよ!
    あの、マングローブ林の川なんだったっけ?
    と思ってて、さとみきさんのブログを見て
    吹通川か!と思いました。


    石垣は最高ですね。
    今年も八月後半に行く予定です。

    たくさん旅行記書いておられますね。
    また読ませてもらいます。

かりさんのトラベラーページ

コメントを投稿する前に

十分に確認の上、ご投稿ください。 コメントの内容は攻撃的ではなく、相手の気持ちに寄り添ったものになっていますか?

サイト共通ガイドライン(利用上のお願い)

報道機関・マスメディアの方へ 画像提供などに関するお問い合わせは、専用のお問い合わせフォームからお願いいたします。

旅の計画・記録

マイルに交換できるフォートラベルポイントが貯まる
フォートラベルポイントって?

フォートラベル公式LINE@

おすすめの旅行記や旬な旅行情報、お得なキャンペーン情報をお届けします!
QRコードが読み取れない場合はID「@4travel」で検索してください。

\その他の公式SNSはこちら/

タグから国内旅行記(ブログ)を探す

PAGE TOP