1. ホーム
  2. 国内旅行
  3. 沖縄県
  4. 宮古島
  5. 宮古島 観光
  6. シギラビーチ
  7. クチコミ詳細
宮古島×
旅行ガイド
観光
グルメ
ショッピング
交通
ホテル
旅行記
Q&A

シギラビーチ

ビーチ

シギラビーチ 施設情報・クチコミに戻る

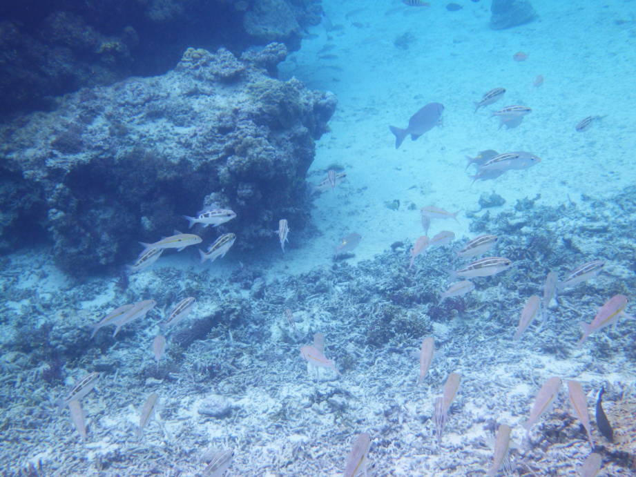
サンゴも魚もたくさん見られてとても楽しかった

  • 4.0
  • 旅行時期:2018/07(約8年前)
まめ夫婦さん

by まめ夫婦さん(男性)

宮古島 クチコミ:21件

丸吉食堂でランチ後に伺いました。台風が近づいていて海が荒れ気味でしたがここは波がほとんどなく皆さんシュノーケリングを楽しんでいたので試してみました。ちょっと海に入っただけでサンゴも魚もたくさん見られてとても楽しかったです。

施設の満足度

4.0

利用した際の同行者:
カップル・夫婦
アクセス:
4.0
アクティビティ:
4.0
景観:
4.0
人混みの少なさ:
4.0
水の透明度:
4.0

クチコミ投稿日:2019/06/04

いいね!:2

利用規約に違反している投稿は、報告することができます。 問題のある投稿を連絡する

PAGE TOP