1. ホーム
  2. 国内旅行
  3. 沖縄県
  4. 宮古島
  5. 宮古島 観光
  6. イムギャーマリンガーデン
  7. クチコミ詳細
宮古島×
旅行ガイド
観光
グルメ
ショッピング
交通
ホテル
旅行記
Q&A

イムギャーマリンガーデン

公園・植物園

イムギャーマリンガーデン 施設情報・クチコミに戻る

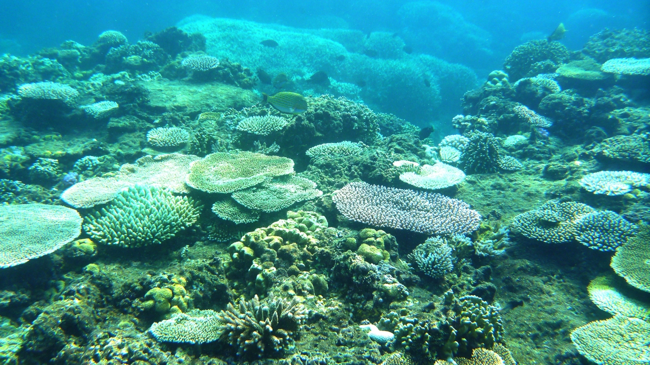
入り江の中では無く200メートル沖のサンゴの群生は激美!! 2017現在は珊瑚礁死滅のため激変!

  • 5.0
  • 旅行時期:2014/09(約12年前)
MASAさん

by MASAさん(男性)

宮古島 クチコミ:14件

皆さんが沢山集まっている入り江の中の安全な所では無く
そこから車で1分ほど西に行くと「イムギャーマリンガーデン」と大きく書いた
アーチ形の看板があり、そこが大きな無料駐車場になっています
そこにレンタカーを止めてすぐ目の前の海へ降りて行ける様になっていますので
そこからエントリーして200メーター程沖に泳いで行くと、サンゴの綺麗なポイントです(正確には駐車場正面より少し西に行った所の200メーター程沖です)
少し東でも西でも結構面白いポイントがありますので色々行ってみてください
ただ、海に入ってすぐの所は底が砂地でサンゴとかは一切無いので
「なーんだ、大した事無いな」って引き返さずにその砂地を超えて沖に出ると
素晴らしく綺麗な珊瑚礁の群生が見れるポイントにたどり着きますよ
ただ、干潮時には浅すぎて泳げないので、満潮の潮止まりの時を狙って
行って下さい
泳ぎに自信のない方は人が沢山いる入り江の中の方が安全です
ところどころ急に深くなっている所や流れが沖に速い所もあるので充分に
気を付けて下さい グーグルアースで見てみると、はっきり地形が分かりますよ
2016のサンゴの死滅で、今は綺麗なサンゴ礁の群生は見れなくなっているみたいです

施設の満足度

5.0

アクセス:
5.0
宮古島の一番南側のシギラリゾートから車で5分です。無料駐車場もあります。
人混みの少なさ:
4.0
見ごたえ:
5.0

クチコミ投稿日:2015/12/27

いいね!:4

利用規約に違反している投稿は、報告することができます。 問題のある投稿を連絡する

PAGE TOP