1. ホーム
  2. 国内旅行
  3. 沖縄県
  4. 竹富島
  5. 竹富島 観光
  6. コンドイビーチ
  7. クチコミ詳細
竹富島×
旅行ガイド
観光
グルメ
ショッピング
交通
ホテル
旅行記
Q&A

コンドイビーチ

ビーチ

コンドイビーチ 施設情報・クチコミに戻る

遠浅のビーチ

  • 3.5
  • 旅行時期:2010/12(約15年前)
ヤッシーさん

by ヤッシーさん(男性)

竹富島 クチコミ:48件

竹富島にある海水浴ができるビーチです。
遠浅で波がほとんどないので子供を泳がせるには最高の場所かと。
干潮時(特に大潮のとき)はどこまでも歩いて行けるぐらいの遠浅です。
シュノーケルをするには干潮時は避けたほうがいいですね。
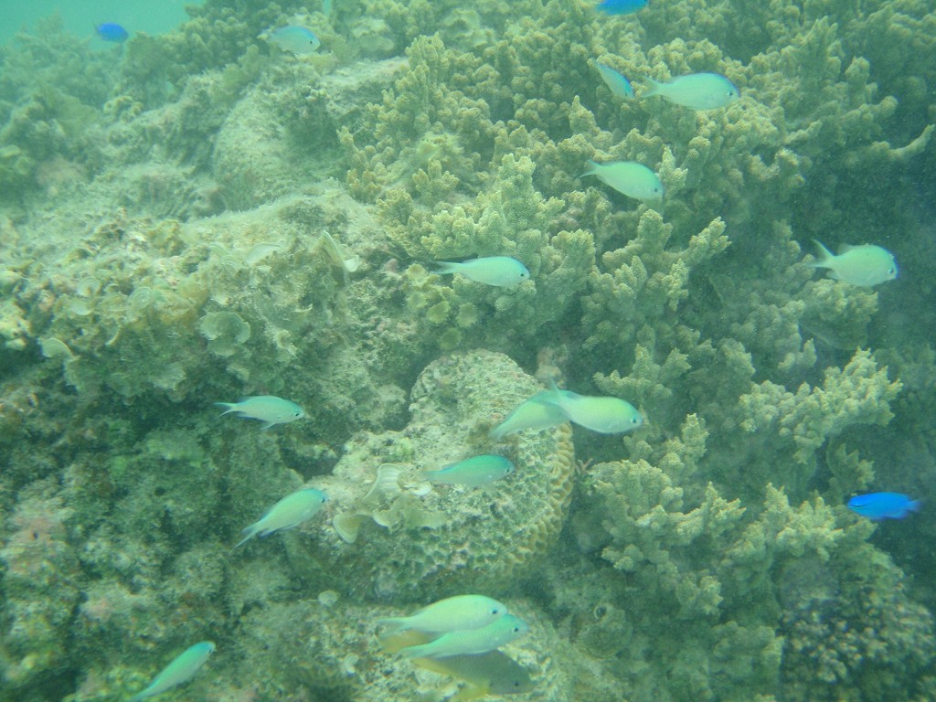
魚いないわけではないですが、浅いため小さな魚しかいません。
シュノーケルをするならば竹富島沖に多くの珊瑚礁があり
綺麗な魚がたくさんいますのでツアーに参加するといいです。

荷物はどこかに隠すようにするか、大きな石を上にのせておきましょう。
カラスや猫に持っていかれます。
トイレ・シャワー室があります。
竹富島内は水着で歩くことはできませんので
着替えるかTシャツ・パンツを上に着てください。

施設の満足度

3.5

利用した際の同行者:
一人旅
アクセス:
3.0
アクティビティ:
3.0
景観:
4.5
人混みの少なさ:
4.0
水の透明度:
3.0

クチコミ投稿日:2011/06/29

いいね!:0

利用規約に違反している投稿は、報告することができます。 問題のある投稿を連絡する

PAGE TOP