宮古島旅行記(ブログ) 一覧に戻る
滞在も中盤にさしかかりましたが一つ気付いた事があります。<br />まだ9月末なのに日差しがあってもあまり暑く無く、日中ビーチに居てもあの刺すような痛みの紫外線も弱く、日陰を求め無くても過せるのが不思議です。<br />時折スコールが有るもののこんなに涼しくなるとは思わなかった。<br />特に夜はエアコンの設定温度を日中より上げないと寒くなりました。<br /><br />数年前の9月に本島に行った時はあまりの暑さに熱中症になりかけた事も有りましたが、<br />今年は最近の台風の影響が大きいのか、はたまた秋の気配が近づいたのか、それともポンコツ夫婦の感性が鈍ったのかのどれかですね(笑)<br /><br />今回は新たな発見?が有りました。<br />パンフなんかでウミガメ遭遇率99パーセント等を謳い文句にしているツアーがなぜ高確率で見つけるのか?<br />なるほどと思う理由が解りました。そりゃ~そうだ!でも、高いツアー料金だな~とも思ったなぁ~。<br /><br />まっ、そんなこんなで今回の最終ビーチも堪能したし、ちょっとだけ体力も戻り自信も取り戻せた気がしました!<br /><br />

病み上がりジジイと還暦過ぎて元気になったオバアふのポンコツ夫婦がリハビリを兼ねて宮古島でショートステイ。3、4日目

21いいね!

2024/09/23 - 2024/09/28

1804位(同エリア4781件中)

4

86

桃李の里

桃李の里さん

滞在も中盤にさしかかりましたが一つ気付いた事があります。
まだ9月末なのに日差しがあってもあまり暑く無く、日中ビーチに居てもあの刺すような痛みの紫外線も弱く、日陰を求め無くても過せるのが不思議です。
時折スコールが有るもののこんなに涼しくなるとは思わなかった。
特に夜はエアコンの設定温度を日中より上げないと寒くなりました。

数年前の9月に本島に行った時はあまりの暑さに熱中症になりかけた事も有りましたが、
今年は最近の台風の影響が大きいのか、はたまた秋の気配が近づいたのか、それともポンコツ夫婦の感性が鈍ったのかのどれかですね(笑)

今回は新たな発見?が有りました。
パンフなんかでウミガメ遭遇率99パーセント等を謳い文句にしているツアーがなぜ高確率で見つけるのか?
なるほどと思う理由が解りました。そりゃ~そうだ!でも、高いツアー料金だな~とも思ったなぁ~。

まっ、そんなこんなで今回の最終ビーチも堪能したし、ちょっとだけ体力も戻り自信も取り戻せた気がしました!

  • 【3日目 朝食】<br /><br />おはようございます。<br /><br />昨夜はエアコンがよく効いて寒かった。昼の設定温度では寒すぎて夜中にリモコンを探し廻りました(泣)<br /><br />今朝はアスパラベーコンのオープンサンドだそうです。<br />パンはフライパンで素焼きにしているみたいです。<br />コーヒーを飲んだらもう満腹です。<br />締めはあの大量の内服薬で1日が始まります。<br /><br />では出発します。 <br /><br />

    【3日目 朝食】

    おはようございます。

    昨夜はエアコンがよく効いて寒かった。昼の設定温度では寒すぎて夜中にリモコンを探し廻りました(泣)

    今朝はアスパラベーコンのオープンサンドだそうです。
    パンはフライパンで素焼きにしているみたいです。
    コーヒーを飲んだらもう満腹です。
    締めはあの大量の内服薬で1日が始まります。

    では出発します。 

  • 【新城海岸】<br /><br />9時30分頃。<br />久々にやってきました。<br />運良く無料駐車場が一台分空いていたので停めれました。<br /><br />この時間でも次から次へと車がやってきます。<br />トイレやシャワーなども近くにあり利便性の良さも人気なのでしょうかね?<br />

    【新城海岸】

    9時30分頃。
    久々にやってきました。
    運良く無料駐車場が一台分空いていたので停めれました。

    この時間でも次から次へと車がやってきます。
    トイレやシャワーなども近くにあり利便性の良さも人気なのでしょうかね?

  • 【ビーチ】<br /><br />ここの特徴はビーチに向かって右側が珊瑚ゾーンで魚影も濃いですね。逆に左側は砂地でウミガメゾーンみたいです。<br /><br />今日は珊瑚ゾーン側にベースを設置。<br />晴天ですが紫外線もあまり強く無い?のかパラソル無しでも大丈夫でした。<br />

    【ビーチ】

    ここの特徴はビーチに向かって右側が珊瑚ゾーンで魚影も濃いですね。逆に左側は砂地でウミガメゾーンみたいです。

    今日は珊瑚ゾーン側にベースを設置。
    晴天ですが紫外線もあまり強く無い?のかパラソル無しでも大丈夫でした。

  • 【出陣式】<br /><br />今朝も気合い十分です。<br /><br /><br />

    【出陣式】

    今朝も気合い十分です。


  • 【珊瑚ゾーンに向かって】<br /><br />珊瑚ゾーンでニモを探すそうです。<br />魚達の写真を沢山撮るのが今日のミッションみたいです(笑)<br /><br />しかし相変わらずの黄色い相棒が目立つねぇ(笑)<br /><br />とうちゃんは左側のウミガメゾーンに行きます。<br />今日一本目からGoProを持って出動しました。<br />

    【珊瑚ゾーンに向かって】

    珊瑚ゾーンでニモを探すそうです。
    魚達の写真を沢山撮るのが今日のミッションみたいです(笑)

    しかし相変わらずの黄色い相棒が目立つねぇ(笑)

    とうちゃんは左側のウミガメゾーンに行きます。
    今日一本目からGoProを持って出動しました。

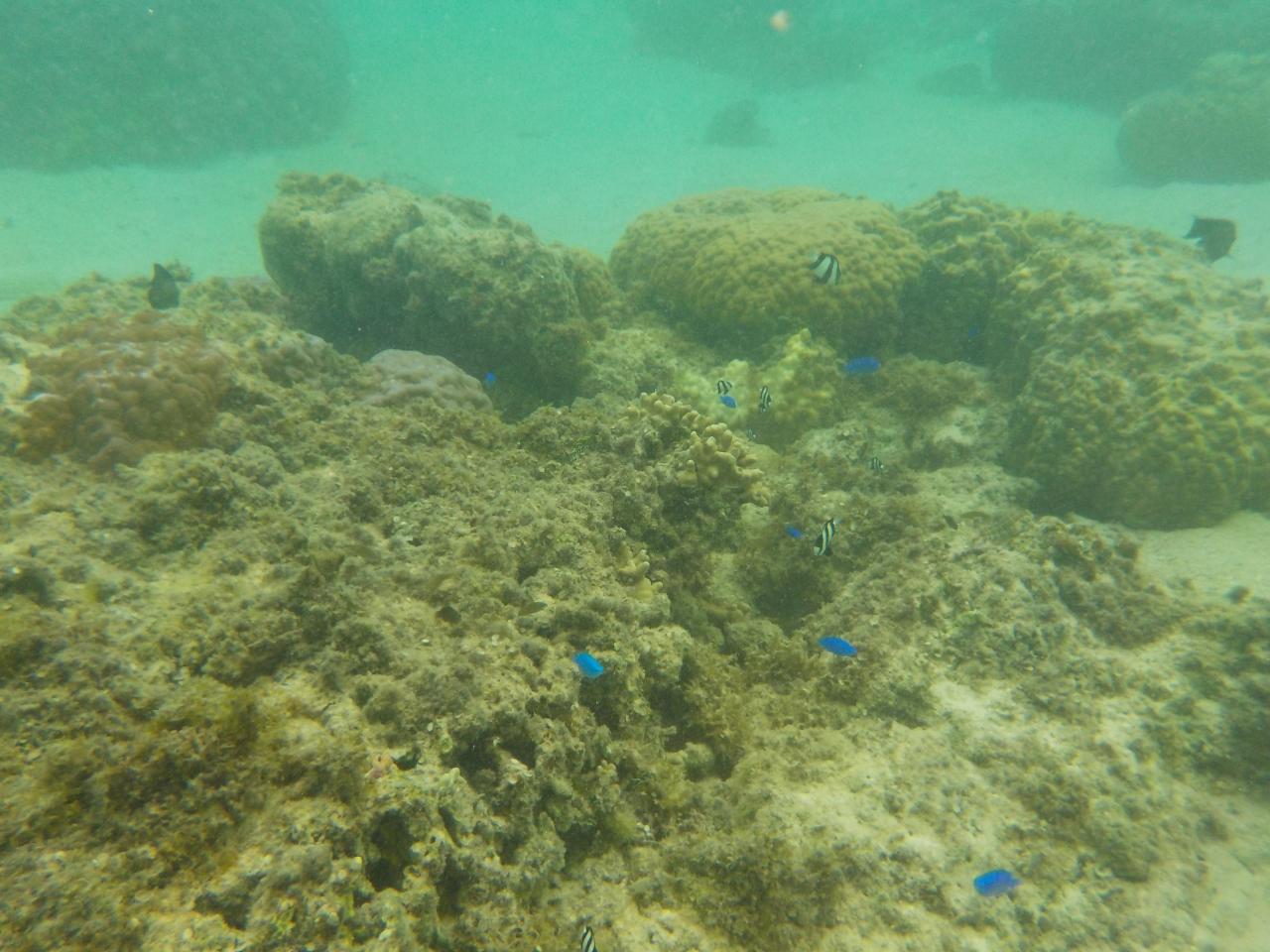
  • 【珊瑚ゾーン海中風景】<br /><br />今は干潮から満潮に向かっているところですが、遠浅ビーチでリーフまではかなりの距離も有るので、カメラを持って泳いでも大丈夫でしょう。<br />

    【珊瑚ゾーン海中風景】

    今は干潮から満潮に向かっているところですが、遠浅ビーチでリーフまではかなりの距離も有るので、カメラを持って泳いでも大丈夫でしょう。

  • 【イソギンチャク発見】<br /><br />割りと近くで見つけたそうです。<br />ミツボシスズメダイも泳いでいて可愛いかったそうです。<br />小さいニモが出たり入ったりして威嚇してくるみたいです。<br /><br />ここのイソギンチャクは自然の色をしています。<br />外洋に面しているので海水がかき混ぜられているんでしょうかね~?<br />

    【イソギンチャク発見】

    割りと近くで見つけたそうです。
    ミツボシスズメダイも泳いでいて可愛いかったそうです。
    小さいニモが出たり入ったりして威嚇してくるみたいです。

    ここのイソギンチャクは自然の色をしています。
    外洋に面しているので海水がかき混ぜられているんでしょうかね~?

  • 【海中風景】<br /><br />おじさん?発見。<br /><br />おばさんは見たことが無いそうです。(笑)<br /><br />そんな魚はいるのかな?<br />

    【海中風景】

    おじさん?発見。

    おばさんは見たことが無いそうです。(笑)

    そんな魚はいるのかな?

  • 【珊瑚ゾーン海中風景】<br /><br />最近のお気に入りのサザナミヤッコですね~。<br /><br />かなり楽しかったそうで、結構な枚数の写真が有りました。<br /><br />

    【珊瑚ゾーン海中風景】

    最近のお気に入りのサザナミヤッコですね~。

    かなり楽しかったそうで、結構な枚数の写真が有りました。

  • 【珊瑚ゾーン】<br /><br />こんな感じで海藻もかなり生息しています。<br />岩の上に上がる時には気をつけないと滑ります。<br /><br />スズメダイが威嚇態勢からカメラに向かって突撃して来たそうです(笑)<br /><br />

    【珊瑚ゾーン】

    こんな感じで海藻もかなり生息しています。
    岩の上に上がる時には気をつけないと滑ります。

    スズメダイが威嚇態勢からカメラに向かって突撃して来たそうです(笑)

  • 【とうちゃんGoPro撮影】<br /><br />その頃とうちゃんは懸命に捜索してました。<br /><br />何もいません(泣)<br />カメの気配すらありません(泣)<br />

    【とうちゃんGoPro撮影】

    その頃とうちゃんは懸命に捜索してました。

    何もいません(泣)
    カメの気配すらありません(泣)

  • 【珊瑚ゾーン風景】<br /><br />サザナミヤッコのペアがいたみたいです。<br />

    【珊瑚ゾーン風景】

    サザナミヤッコのペアがいたみたいです。

  • 【珊瑚ゾーン】<br /><br />いや~これだけ魚影が豊富だと気持ち良いだろうな~。<br /><br />カメゾーンと比べたら雲泥の差だわ(泣)

    【珊瑚ゾーン】

    いや~これだけ魚影が豊富だと気持ち良いだろうな~。

    カメゾーンと比べたら雲泥の差だわ(泣)

  • 【とうちゃんスクショ】<br /><br />左側のカメゾーンはどんどん行けども砂地が続きモンガラ隊長くらいしか見られません(涙)<br /><br />体力だけが奪われ、テンションも下がります(泣)<br />

    【とうちゃんスクショ】

    左側のカメゾーンはどんどん行けども砂地が続きモンガラ隊長くらいしか見られません(涙)

    体力だけが奪われ、テンションも下がります(泣)

  • 【ヤケクソです】<br /><br />何もいないし、砂地ばかりなので自撮りして遊んでいます。<br />潜って遊ぶ元気もありません(泣)<br /><br />今日のカメゾーンは最悪です。<br /><br />

    【ヤケクソです】

    何もいないし、砂地ばかりなので自撮りして遊んでいます。
    潜って遊ぶ元気もありません(泣)

    今日のカメゾーンは最悪です。

  • 【白色したイソギンチャク】<br /><br />かあちゃんが違う場所で発見したイソギンチャクです。<br />ここは白色化しています。<br />ここも小さいニモが出たり入ったりしているみたいです。<br />

    【白色したイソギンチャク】

    かあちゃんが違う場所で発見したイソギンチャクです。
    ここは白色化しています。
    ここも小さいニモが出たり入ったりしているみたいです。

  • 【珊瑚ゾーン風景】<br /><br />なんだか楽しそうな景色ですね~。<br />左側のカメゾーンとは全く違います。<br />完全に選択を間違えました(泣)<br /><br />もう体力は無くなるしカンは鈍るは最悪の状況ですね(涙)<br />

    【珊瑚ゾーン風景】

    なんだか楽しそうな景色ですね~。
    左側のカメゾーンとは全く違います。
    完全に選択を間違えました(泣)

    もう体力は無くなるしカンは鈍るは最悪の状況ですね(涙)

  • 【珊瑚ゾーン沖合】<br /><br />随分沖合まだ泳いだみたいです。<br />珊瑚が沢山ありリーフまで半分のところみたいで、遠浅が続いていたそうです。<br /><br />かあちゃんやるね~。もうフリーになってから怖いもの無しやなぁ~(笑)<br /><br />

    【珊瑚ゾーン沖合】

    随分沖合まだ泳いだみたいです。
    珊瑚が沢山ありリーフまで半分のところみたいで、遠浅が続いていたそうです。

    かあちゃんやるね~。もうフリーになってから怖いもの無しやなぁ~(笑)

  • 【珊瑚ゾーン】<br /><br />沖合まで来ても岩があってここで立ち上がれるそうです。<br />だから怖く無かったみたいです。<br />

    【珊瑚ゾーン】

    沖合まで来ても岩があってここで立ち上がれるそうです。
    だから怖く無かったみたいです。

  • 【珊瑚ゾーン海中風景】<br /><br />透明度は右も左側も変わりありません。<br />変わるのは魚達の数くらいでした。<br />

    【珊瑚ゾーン海中風景】

    透明度は右も左側も変わりありません。
    変わるのは魚達の数くらいでした。

  • 【珊瑚ゾーン】<br /><br />かあちゃん曰く。<br />この界隈で珍しい魚達を撮影していた時に、何やらただならぬ気配を感じたそうで、ふと横に顔を向けたらトンデモ無いものが居たそうです。<br />↑大袈裟な事を言われる(笑)

    【珊瑚ゾーン】

    かあちゃん曰く。
    この界隈で珍しい魚達を撮影していた時に、何やらただならぬ気配を感じたそうで、ふと横に顔を向けたらトンデモ無いものが居たそうです。
    ↑大袈裟な事を言われる(笑)

  • 【突如として現れた】<br /><br />隣で気配があったらしく、振り向いたら奴ではなく、直ぐ横にウミガメがいたそうです。<br />慌ててシャッターを押したみたいです。<br />「サメが出たのかとおもったらウミガメだった」そうです。<br /><br />なんで珊瑚ゾーンにウミガメが居るんだよ(怒)<br />byとうちゃん<br />

    【突如として現れた】

    隣で気配があったらしく、振り向いたら奴ではなく、直ぐ横にウミガメがいたそうです。
    慌ててシャッターを押したみたいです。
    「サメが出たのかとおもったらウミガメだった」そうです。

    なんで珊瑚ゾーンにウミガメが居るんだよ(怒)
    byとうちゃん

  • 【ウミガメ逃走】<br /><br />今日のウミガメは1メートルほどの大きさだったとの事で、新城海岸の主やなと得意気に話しが止まりません(笑)<br /><br />「とうさんも方向違いの所に行かず、私の後に付いて来ればウミガメに会えるから。探さなくてもウミガメの方から私の近くに来てくれる。私は浦島花子みたいや~!」と満面の笑みでした。<br /><br />もう2日間続けての遭遇話しに悔しいやら、羨ましいやらです(泣)<br />バカヤロー!<br />一度サメに咬まれろ―(オヤジの心の声)<br />

    【ウミガメ逃走】

    今日のウミガメは1メートルほどの大きさだったとの事で、新城海岸の主やなと得意気に話しが止まりません(笑)

    「とうさんも方向違いの所に行かず、私の後に付いて来ればウミガメに会えるから。探さなくてもウミガメの方から私の近くに来てくれる。私は浦島花子みたいや~!」と満面の笑みでした。

    もう2日間続けての遭遇話しに悔しいやら、羨ましいやらです(泣)
    バカヤロー!
    一度サメに咬まれろ―(オヤジの心の声)

  • 【ウミガメゾーン風景】<br /><br />本来はこの界隈にウミガメが居るはずなんだけど、居たのはアジ系の小魚のみ。<br /><br />この時に珊瑚ゾーンでかあちゃんがウミガメと遭遇しているとはツユ知らず、懸命にしかも体力をすり減らしながらウミガメを探し続けていたポンコツオヤジです。<br /><br />帰りは精根尽き果てて泳ぐ体力も無かったので、浜辺をフィン等ギアを手に持ち砂地に足を取られながらベースまでヘトヘトになり帰還しました。<br /><br />エグジット後にウミガメとの偶発的な遭遇事件を聞かされた時は、ビーチのハマヒルガオの群生上に倒れましたわ(泣)<br />

    【ウミガメゾーン風景】

    本来はこの界隈にウミガメが居るはずなんだけど、居たのはアジ系の小魚のみ。

    この時に珊瑚ゾーンでかあちゃんがウミガメと遭遇しているとはツユ知らず、懸命にしかも体力をすり減らしながらウミガメを探し続けていたポンコツオヤジです。

    帰りは精根尽き果てて泳ぐ体力も無かったので、浜辺をフィン等ギアを手に持ち砂地に足を取られながらベースまでヘトヘトになり帰還しました。

    エグジット後にウミガメとの偶発的な遭遇事件を聞かされた時は、ビーチのハマヒルガオの群生上に倒れましたわ(泣)

  • 【2本目の珊瑚ゾーン】<br /><br />その後ベースで小一時間ほど休憩していたポンコツオヤジ。<br /><br />その間かあちゃんは何本かエントリーしていて、最後のエントリーにすると言われたので付いて行きます。

    【2本目の珊瑚ゾーン】

    その後ベースで小一時間ほど休憩していたポンコツオヤジ。

    その間かあちゃんは何本かエントリーしていて、最後のエントリーにすると言われたので付いて行きます。

  • 【2本目の珊瑚ゾーン】<br /><br />珊瑚ゾーンは魚影が濃く見ていても飽きません。<br />最初から此方を選択しとけば良かったと思う今日この頃でした(泣)<br />

    【2本目の珊瑚ゾーン】

    珊瑚ゾーンは魚影が濃く見ていても飽きません。
    最初から此方を選択しとけば良かったと思う今日この頃でした(泣)

  • 【2本目の珊瑚ゾーン】<br /><br />得意気にニモの場所も教えて頂きました(泣)<br />ありがとうございます。お世話になりました(泣)<br /><br />とうちゃんは情けない。<br />落ちぶれてしまいました(涙)<br /><br />もうお昼なのでシャワーをして帰りましょう。<br /><br />

    【2本目の珊瑚ゾーン】

    得意気にニモの場所も教えて頂きました(泣)
    ありがとうございます。お世話になりました(泣)

    とうちゃんは情けない。
    落ちぶれてしまいました(涙)

    もうお昼なのでシャワーをして帰りましょう。

  • 【昼食】<br /><br />昼過ぎに部屋に戻りました。<br />とうちゃんはヘトヘトです。<br />元気なかあちゃんは洗濯と食事作り。<br />面倒をおかけします。<br /><br />炒飯とスパム入り野菜炒めだそうです。<br />

    【昼食】

    昼過ぎに部屋に戻りました。
    とうちゃんはヘトヘトです。
    元気なかあちゃんは洗濯と食事作り。
    面倒をおかけします。

    炒飯とスパム入り野菜炒めだそうです。

  • 【昼食の追加】<br /><br />追加でジーマーミ豆腐とモウイの浅漬が出てきました。<br />いくら泳いだあとでも食べ切れなかった(泣)<br /><br />このあと少し休んで、池間島へ海ブドウを購入に行きたいそうです。<br />どうぞ何処でも構いませんよ!運転手はかあちゃん、とうちゃんは助手席で旅の友です。(笑)<br />

    【昼食の追加】

    追加でジーマーミ豆腐とモウイの浅漬が出てきました。
    いくら泳いだあとでも食べ切れなかった(泣)

    このあと少し休んで、池間島へ海ブドウを購入に行きたいそうです。
    どうぞ何処でも構いませんよ!運転手はかあちゃん、とうちゃんは助手席で旅の友です。(笑)

  • 【池間島の橋の手前】<br /><br />天気の良い時は綺麗な池間ブルーですね~。<br /><br />

    【池間島の橋の手前】

    天気の良い時は綺麗な池間ブルーですね~。

  • 【池間ブルー】<br /><br />大神島が見えています。<br />今回はお邪魔させてもらいます。<br /><br />「ん?何かが海中で動いている。」と、かあちゃんが突然指をさしてのお知らせ(笑)<br /><br />貴様の目は鷹の目か!<br />とうちゃんには何もわかりません。<br />

    【池間ブルー】

    大神島が見えています。
    今回はお邪魔させてもらいます。

    「ん?何かが海中で動いている。」と、かあちゃんが突然指をさしてのお知らせ(笑)

    貴様の目は鷹の目か!
    とうちゃんには何もわかりません。

  • 【ここでもウミガメ】<br /><br />直ぐ近くの動く影を追って見ていると、ウミガメが息継ぎに浮上!<br />タイミングが合わず影しか写ら無かった(泣)<br /><br />ここでかあちゃんが驚愕の一言!<br />「やっぱり私は浦島花子だわ。ウミガメの方から私に会いに来てくれる」<br /><br />その自信に満ちた根拠の無い言葉は一体何処からくるんだろう?<br />凡人オヤジには理解不能です(笑)<br />

    【ここでもウミガメ】

    直ぐ近くの動く影を追って見ていると、ウミガメが息継ぎに浮上!
    タイミングが合わず影しか写ら無かった(泣)

    ここでかあちゃんが驚愕の一言!
    「やっぱり私は浦島花子だわ。ウミガメの方から私に会いに来てくれる」

    その自信に満ちた根拠の無い言葉は一体何処からくるんだろう?
    凡人オヤジには理解不能です(笑)

  • 【池間島上陸】<br /><br />池間島から見る海の色は池間ブルーと言うみたいです。<br />知らなかったよ~。<br />

    【池間島上陸】

    池間島から見る海の色は池間ブルーと言うみたいです。
    知らなかったよ~。

  • 【海見来の屋上】<br /><br />久々に屋上まで上がりました。<br />何時もは2階テラスで座って眺めるのですが、暑く無かったのでここまで来ました。<br />やっぱり景色が良かったわ~!<br /><br />さっ、隣のショップで海ブドウを買ってから次に行きましょう!<br />

    【海見来の屋上】

    久々に屋上まで上がりました。
    何時もは2階テラスで座って眺めるのですが、暑く無かったのでここまで来ました。
    やっぱり景色が良かったわ~!

    さっ、隣のショップで海ブドウを買ってから次に行きましょう!

  • 【島尻マングローブ林】<br /><br />途中にあったマングローブ林。<br />観光と言うより運動のつもりで立ち寄りです。<br /><br />台湾の屋台で怪しいドリンクを売っているオヤジみたいやなぁと写真を撮りながら大笑いしているかあちゃんがいました(泣)<br />だから写真は要らないと言ってるのにな~。<br /><br /><br />

    【島尻マングローブ林】

    途中にあったマングローブ林。
    観光と言うより運動のつもりで立ち寄りです。

    台湾の屋台で怪しいドリンクを売っているオヤジみたいやなぁと写真を撮りながら大笑いしているかあちゃんがいました(泣)
    だから写真は要らないと言ってるのにな~。


  • 【遊歩道】<br /><br />何故かご機嫌な様子。<br />景色を楽しんでいますよ!<br /><br />松の様な木を見つけて、これはなんだろう?と気になっているみたい。<br />

    【遊歩道】

    何故かご機嫌な様子。
    景色を楽しんでいますよ!

    松の様な木を見つけて、これはなんだろう?と気になっているみたい。

  • 【看板?】<br /><br />ここのマングローブ林は天然記念物だそうです。<br /><br />しかし観光客は一人もいませんでした。<br />メジャーどころじゃないのかな?<br />

    【看板?】

    ここのマングローブ林は天然記念物だそうです。

    しかし観光客は一人もいませんでした。
    メジャーどころじゃないのかな?

  • 【島尻港】<br /><br />大神島への船時間を確認に来ました。<br /><br />

    【島尻港】

    大神島への船時間を確認に来ました。

  • 【ドンキホーテ】<br /><br />何やら足りない台所備品類を買うそうです。<br />とうちゃんは車で留守番。<br />その間に魚屋さんに電話してお造りの注文をします。<br />

    【ドンキホーテ】

    何やら足りない台所備品類を買うそうです。
    とうちゃんは車で留守番。
    その間に魚屋さんに電話してお造りの注文をします。

  • 【3日目夕食】<br /><br />池間島で買って来た海ブドウ。<br />シビ(マグロの幼魚)のお造り。<br />うりずん豆ちゃんぷる。<br />モウイのサラダ。<br />島豆腐の味噌汁。<br /><br />海鮮類は素晴らしく美味しかった。<br />ちなみにこの量のお刺身が500円でした。<br />本土ではあり得ない金額です。<br /><br />島豆腐は豆の味が濃く感じられて良かったわ。<br />でもちょっと作り過ぎかな。<br />二人でも食べ切れなかったです。<br /><br />

    【3日目夕食】

    池間島で買って来た海ブドウ。
    シビ(マグロの幼魚)のお造り。
    うりずん豆ちゃんぷる。
    モウイのサラダ。
    島豆腐の味噌汁。

    海鮮類は素晴らしく美味しかった。
    ちなみにこの量のお刺身が500円でした。
    本土ではあり得ない金額です。

    島豆腐は豆の味が濃く感じられて良かったわ。
    でもちょっと作り過ぎかな。
    二人でも食べ切れなかったです。

  • 【デザート】<br /><br />ドンキホーテでピオーネとサーターアンダギーを買ったそうです。<br />ブドウだけ少し頂きました。<br />凄く甘くて沖縄でこんなブドウが有るのかとビックリりしましたが、産地を見て仰天です。<br /><br />な、なんと地元の岡山産でした。<br />なんで宮古島迄来て地元のブドウを食べてるんだろう(笑)<br /><br />

    【デザート】

    ドンキホーテでピオーネとサーターアンダギーを買ったそうです。
    ブドウだけ少し頂きました。
    凄く甘くて沖縄でこんなブドウが有るのかとビックリりしましたが、産地を見て仰天です。

    な、なんと地元の岡山産でした。
    なんで宮古島迄来て地元のブドウを食べてるんだろう(笑)

  • 【サーターアンダギー】<br /><br />かあちゃん大好きなサーターアンダギーです。<br />ちょっと硬い、口の中の水分が全部無くなるよ~とブツブツ言いながらもしっかり食べています。<br /><br />食後に一言。<br />「明日なかゆくい商店のさたぱんぴんを買いに行きたい」<br />はい。何処にでもどうぞ。運転手は君だ、車掌は僕だ!<br /><br />ではとうちゃんは寝ます。<br />今日は生命を削って泳いだものでヘトヘトです(笑)<br />おやすみなさい。<br />

    【サーターアンダギー】

    かあちゃん大好きなサーターアンダギーです。
    ちょっと硬い、口の中の水分が全部無くなるよ~とブツブツ言いながらもしっかり食べています。

    食後に一言。
    「明日なかゆくい商店のさたぱんぴんを買いに行きたい」
    はい。何処にでもどうぞ。運転手は君だ、車掌は僕だ!

    ではとうちゃんは寝ます。
    今日は生命を削って泳いだものでヘトヘトです(笑)
    おやすみなさい。

  • 【4日目朝食】<br /><br />おはようございます。<br />何時ものことですが、朝飯が出来たと起こされます。<br /><br />今朝も野菜とツナのオープンサンドだそうです。<br />とろけるチーズがのっているけどオーブントースターも無いのにどうやったのかと聞くと、フライパンで野菜と一緒に焼いて乗せた?みたいです。<br />説明してくれたけどわかりません。<br />美味しかったから良かったけど。<br /><br />昨夜の残りのピオーネがもれなく添えられてました。<br /><br />海ブドウの空容器にはサーターアンダギーもあるけど食べれませんよ~!<br />魚達のオヤツにでもしてください。<br /><br />食事が済んだら準備して出かけますよ!<br /><br />

    【4日目朝食】

    おはようございます。
    何時ものことですが、朝飯が出来たと起こされます。

    今朝も野菜とツナのオープンサンドだそうです。
    とろけるチーズがのっているけどオーブントースターも無いのにどうやったのかと聞くと、フライパンで野菜と一緒に焼いて乗せた?みたいです。
    説明してくれたけどわかりません。
    美味しかったから良かったけど。

    昨夜の残りのピオーネがもれなく添えられてました。

    海ブドウの空容器にはサーターアンダギーもあるけど食べれませんよ~!
    魚達のオヤツにでもしてください。

    食事が済んだら準備して出かけますよ!

  • 【シギラビーチ】<br /><br />今日が最後の海遊びです。<br /><br />今回の旅で唯一駐車場料金を払いました。<br />一回1000円です。<br />シギラホテルに滞在していたら無料券が頂けますよ。<br /><br />10時頃でしたがあまり車はいなかったです。

    【シギラビーチ】

    今日が最後の海遊びです。

    今回の旅で唯一駐車場料金を払いました。
    一回1000円です。
    シギラホテルに滞在していたら無料券が頂けますよ。

    10時頃でしたがあまり車はいなかったです。

  • 【岩場が剥き出し】<br /><br />シギラビーチの良い所は遊び場が分かれている所。<br /><br />向こう側は砂地でビーチハウス等設備が整っていてファミリー等が遊ぶにはとても良い場所だと思います。<br /><br />逆に岩だらけの方は一見歩きづらそうですが、遊歩道が整備されていますので問題無いです。<br />主にダイビングやシュノーケリングをする方たちが此方には多いです。<br />但しエントリー場所が階段になるので気をつけないと転倒等で怪我をしたりしますよ。<br /><br />

    【岩場が剥き出し】

    シギラビーチの良い所は遊び場が分かれている所。

    向こう側は砂地でビーチハウス等設備が整っていてファミリー等が遊ぶにはとても良い場所だと思います。

    逆に岩だらけの方は一見歩きづらそうですが、遊歩道が整備されていますので問題無いです。
    主にダイビングやシュノーケリングをする方たちが此方には多いです。
    但しエントリー場所が階段になるので気をつけないと転倒等で怪我をしたりしますよ。

  • 【岩場からのエントリー】<br /><br />まだ干潮に向かっていてる時間です。<br />満潮になると見えている岩が隠れてくるはず。

    【岩場からのエントリー】

    まだ干潮に向かっていてる時間です。
    満潮になると見えている岩が隠れてくるはず。

  • 【エントリー直後】<br /><br />今日はかあちゃんとタンデムでエントリーします。<br />二人だからと言って手はつなぎません(笑)<br /><br />もう40年ほど若かったら出来ますが、じじいとババアが手を繋いで泳いでいたら無理心中みたいに見えるから(泣)は冗談です(笑) 安全第一です(笑)←工事現場の標語かよ!<br /><br />干潮時間だから相当干上がっています。<br />ここ迄10メートルほど歩きました。<br /><br />

    【エントリー直後】

    今日はかあちゃんとタンデムでエントリーします。
    二人だからと言って手はつなぎません(笑)

    もう40年ほど若かったら出来ますが、じじいとババアが手を繋いで泳いでいたら無理心中みたいに見えるから(泣)は冗談です(笑) 安全第一です(笑)←工事現場の標語かよ!

    干潮時間だから相当干上がっています。
    ここ迄10メートルほど歩きました。

  • 【この魚はなんだ?】<br /><br />相変わらず魚影は濃いです。<br />珊瑚も程よく元気です。<br /><br />これはなんの魚?模様が変だよ!<br />

    【この魚はなんだ?】

    相変わらず魚影は濃いです。
    珊瑚も程よく元気です。

    これはなんの魚?模様が変だよ!

  • 【海中風景】<br /><br />ちょっと深度があったから潜ってみたけど、一気に体力を持っていかれました。<br />このあとかあちゃんの相棒に掴まって泳ぎました(泣)<br /><br />ポンコツじじいが調子こいてするもんじゃ無い。<br />とはかあちゃんの弁です(泣)<br /><br />

    【海中風景】

    ちょっと深度があったから潜ってみたけど、一気に体力を持っていかれました。
    このあとかあちゃんの相棒に掴まって泳ぎました(泣)

    ポンコツじじいが調子こいてするもんじゃ無い。
    とはかあちゃんの弁です(泣)

  • 【海中風景】<br /><br />久々に見たヤガラだ!<br />先日テレ朝のナスDが手づかみて取っていたよ!<br />もう上からの撮影です。<br /><br />

    【海中風景】

    久々に見たヤガラだ!
    先日テレ朝のナスDが手づかみて取っていたよ!
    もう上からの撮影です。

  • 【海中風景】<br /><br />見慣れない魚がいます。<br /><br /><br />

    【海中風景】

    見慣れない魚がいます。


  • 【海中風景】<br /><br />ここにも白化したイソギンチャクが有りました。<br /><br />

    【海中風景】

    ここにも白化したイソギンチャクが有りました。

  • 【ビーチ側の沖合】<br /><br />のらりくらりと泳いでいたら気がつけばこんな所までやってきました。<br />いくら干潮だからと言ってもここ迄くると程よく水深もあり海水温度も若干低いです。<br />ちなみにこの辺りはウミガメの出没ゾーンです。<br /><br />その後隣でかあちゃんがまた発見します。

    【ビーチ側の沖合】

    のらりくらりと泳いでいたら気がつけばこんな所までやってきました。
    いくら干潮だからと言ってもここ迄くると程よく水深もあり海水温度も若干低いです。
    ちなみにこの辺りはウミガメの出没ゾーンです。

    その後隣でかあちゃんがまた発見します。

  • 【第1ウミガメ】<br /><br />上から見たウミガメです。<br />フィンで海中をバタバタするもんだから水疱が凄い!<br />

    【第1ウミガメ】

    上から見たウミガメです。
    フィンで海中をバタバタするもんだから水疱が凄い!

  • 【ウミガメ】<br /><br />上からは見にくいので、かあちゃんの静止を振り切り一気に近くに行きます。<br /><br />

    【ウミガメ】

    上からは見にくいので、かあちゃんの静止を振り切り一気に近くに行きます。

  • 【気合いで接近】<br /><br />渾身の前屈で潜ったらウミガメに超接近してウミガメにぶつかると思った。<br /><br /><br />

    【気合いで接近】

    渾身の前屈で潜ったらウミガメに超接近してウミガメにぶつかると思った。


  • 【な~んとウミガメさん息継ぎ?】<br /><br />するといきなりカメさん息継ぎに浮上を開始。<br />結果真横を通過して、こんな写真になってしまった。<br />

    【な~んとウミガメさん息継ぎ?】

    するといきなりカメさん息継ぎに浮上を開始。
    結果真横を通過して、こんな写真になってしまった。

  • 【ウミガメ】<br /><br />息継ぎが終わり潜水開始です。<br />

    【ウミガメ】

    息継ぎが終わり潜水開始です。

  • 【ウミガメ】<br /><br />割りと近くを浮遊してくれたので、上や下にと並んだりして十分遊べる事が出来ました。<br />楽しかったわ~!<br /><br />どうもありがとう!

    【ウミガメ】

    割りと近くを浮遊してくれたので、上や下にと並んだりして十分遊べる事が出来ました。
    楽しかったわ~!

    どうもありがとう!

  • 【振り返れば】<br /><br />暫しウミガメと戯れたあとかあちゃんの所へ帰還します。<br />相棒に掴まって休もうと近づいて行くと·····。<br />

    【振り返れば】

    暫しウミガメと戯れたあとかあちゃんの所へ帰還します。
    相棒に掴まって休もうと近づいて行くと·····。

  • 【息継ぎ発見】<br /><br />アレレ?<br />何処に向かって行きましたよ!<br /><br />放置プレイですか?<br />

    【息継ぎ発見】

    アレレ?
    何処に向かって行きましたよ!

    放置プレイですか?

  • 【第2ウミガメ】<br /><br />このコの息継ぎを見つけたそうです。<br />

    【第2ウミガメ】

    このコの息継ぎを見つけたそうです。

  • 【激しい水疱】<br /><br />何でこんなに水疱が有るのかとおもったら、いろんな声が聴こえて来ました。

    【激しい水疱】

    何でこんなに水疱が有るのかとおもったら、いろんな声が聴こえて来ました。

  • 【気づけば】<br /><br />するとウミガメの周りは人だかりになります。<br />

    【気づけば】

    するとウミガメの周りは人だかりになります。

  • 【海中風景】<br /><br />ときおり黄色い歓声がしたす。<br />アイドルのコンサートかと思うほどです。

    【海中風景】

    ときおり黄色い歓声がしたす。
    アイドルのコンサートかと思うほどです。

  • 【海中風景】<br /><br />浮かび上がって来ました。<br />割りと小さい子ガメさん。<br />人慣れしているのか全く動じません。

    【海中風景】

    浮かび上がって来ました。
    割りと小さい子ガメさん。
    人慣れしているのか全く動じません。

  • 【海中風景】<br /><br />人だかりになりバシャバシャするもんだから、海中は何も見えなくなる。

    【海中風景】

    人だかりになりバシャバシャするもんだから、海中は何も見えなくなる。

  • 【海中風景】<br /><br />もう何も見えない。<br />なかなかここ迄くるとカオスな状態です。<br /><br />ここで聴こえて来た声が、ガイドさんが移動の指示を出してます。<br />次のツアー客が待っているからとの理由だそうです。<br /><br />

    【海中風景】

    もう何も見えない。
    なかなかここ迄くるとカオスな状態です。

    ここで聴こえて来た声が、ガイドさんが移動の指示を出してます。
    次のツアー客が待っているからとの理由だそうです。

  • 【海中風景】<br /><br />そんな事をしているうちに子ガメさん移動します。<br /><br />ガイドさん同士が情報交換して、ウミガメが向かった方向や人数なんかを話して、効率よく案内が出来る様に業者さん同士で調整しているみたいでした。<br />なるほど共存共栄ですね~。<br /><br />なにはともあれルールを守りお客さんが喜んでくれたら良いですね。<br />

    【海中風景】

    そんな事をしているうちに子ガメさん移動します。

    ガイドさん同士が情報交換して、ウミガメが向かった方向や人数なんかを話して、効率よく案内が出来る様に業者さん同士で調整しているみたいでした。
    なるほど共存共栄ですね~。

    なにはともあれルールを守りお客さんが喜んでくれたら良いですね。

  • 【第3ウミガメ】<br /><br />今日は十分堪能したことだしエグジットしだした時に、下方でウミガメ発見。

    【第3ウミガメ】

    今日は十分堪能したことだしエグジットしだした時に、下方でウミガメ発見。

  • 【海中風景】<br /><br />周りを見渡しても他に人は居なく独占状態。<br />でも疲れもMaxで上から5分ほど眺めるのみでした。<br /><br />このビーチは人も多いけどウミガメもいろんな場所で見つかりましたよ!<br /><br />

    【海中風景】

    周りを見渡しても他に人は居なく独占状態。
    でも疲れもMaxで上から5分ほど眺めるのみでした。

    このビーチは人も多いけどウミガメもいろんな場所で見つかりましたよ!

  • 【海中風景】<br /><br />エントリーする時は干上がっていた岩場が潮が満ち出したので隠れて魚達がやってきました。<br /><br />いや~大変満足しました。<br />もうご馳走様状態です。<br /><br />本日はこれにて終了します。<br />

    【海中風景】

    エントリーする時は干上がっていた岩場が潮が満ち出したので隠れて魚達がやってきました。

    いや~大変満足しました。
    もうご馳走様状態です。

    本日はこれにて終了します。

  • 【昼食】<br /><br />一旦お昼なので部屋に戻って、食事の支度やら洗濯します。<br />とはいえするのはかあちゃんです(笑)<br /><br />とうちゃんはヘトヘトでベットにひっくり返って寝ています。今回一番疲れました。<br /><br />昼食は残り物整理と言う事で焼きそばが出て来ました。<br />

    【昼食】

    一旦お昼なので部屋に戻って、食事の支度やら洗濯します。
    とはいえするのはかあちゃんです(笑)

    とうちゃんはヘトヘトでベットにひっくり返って寝ています。今回一番疲れました。

    昼食は残り物整理と言う事で焼きそばが出て来ました。

  • 【食後のひととき】<br /><br />これも昨夜の残り物のピオーネが登場!<br />

    【食後のひととき】

    これも昨夜の残り物のピオーネが登場!

  • 【洗濯もの(笑)】<br /><br />一回の海遊びなのに凄い量になるもんだなぁ~と眺めてます。<br />水着類は洗濯機で水洗いだそうです。<br />ギアは塩抜きが大事なポイント。<br />特にシュノーケルはしっかり水洗いして塩抜きしておかないとフロートが固まって息が出来なくなる場合が有るので要注意です。<br /><br />これだけの海道具なら、スーツケース1個いるのが納得ですわ(笑)<br /><br />テラス様の物が有ると以外と便利です。<br /><br /><br /><br />

    【洗濯もの(笑)】

    一回の海遊びなのに凄い量になるもんだなぁ~と眺めてます。
    水着類は洗濯機で水洗いだそうです。
    ギアは塩抜きが大事なポイント。
    特にシュノーケルはしっかり水洗いして塩抜きしておかないとフロートが固まって息が出来なくなる場合が有るので要注意です。

    これだけの海道具なら、スーツケース1個いるのが納得ですわ(笑)

    テラス様の物が有ると以外と便利です。



  • 【伊良部大橋】<br /><br />午後からは食べたかったさたぱんぴんを求めてドライブします。<br /><br />

    【伊良部大橋】

    午後からは食べたかったさたぱんぴんを求めてドライブします。

  • 【佐和田の浜】<br /><br />なかゆくい商店の前には人だかりも無くラッキーと思ったらなんと定休日。ガーン(泣)<br /><br />仕方無く伊良部島周遊に変更します。

    【佐和田の浜】

    なかゆくい商店の前には人だかりも無くラッキーと思ったらなんと定休日。ガーン(泣)

    仕方無く伊良部島周遊に変更します。

  • 【ふれあい広場】<br /><br />佐和田の浜で傷ついた心を癒やします(笑)<br /><br />人も居なく穏やかな波が傷ついた心を優しく癒やしてくれます。←大袈裟さやわ~(笑)<br /><br />

    【ふれあい広場】

    佐和田の浜で傷ついた心を癒やします(笑)

    人も居なく穏やかな波が傷ついた心を優しく癒やしてくれます。←大袈裟さやわ~(笑)

  • 【白鳥岬】<br /><br />島を右周りに行くと必然的に当たるのがこのビーチ?ですね~。<br />佐和田の浜とは真逆で外洋に近いから荒々しい波が打ち付けています。<br />満潮に近いから沖合にはダイビング船が停泊しています。<br />ここは潮の流れが早いので上級者コースだとも言われています。<br />以前はこの入り江でもシュノーケリングが出来ていましたが、何件か事故があったみたいで禁止の立札が出ていました。<br /><br />

    【白鳥岬】

    島を右周りに行くと必然的に当たるのがこのビーチ?ですね~。
    佐和田の浜とは真逆で外洋に近いから荒々しい波が打ち付けています。
    満潮に近いから沖合にはダイビング船が停泊しています。
    ここは潮の流れが早いので上級者コースだとも言われています。
    以前はこの入り江でもシュノーケリングが出来ていましたが、何件か事故があったみたいで禁止の立札が出ていました。

  • 【案内板】<br /><br />ここから近くに三角点と言うポイントが有るのですが、ここも危険地域なので案内板から消えていました(泣)<br />

    【案内板】

    ここから近くに三角点と言うポイントが有るのですが、ここも危険地域なので案内板から消えていました(泣)

  • 【フナウサギバナタ】<br /><br />もう鳥のオブジェは作らないのかな?<br />なんかこの姿を見ていると淋しいよな~(泣)<br />

    【フナウサギバナタ】

    もう鳥のオブジェは作らないのかな?
    なんかこの姿を見ていると淋しいよな~(泣)

  • 【佐良浜港】<br /><br />ここもチェックポイントです。<br />恒例の魚チェック。<br />護岸沿いに小魚が沢山いて、今日はハリセンボンのハーリーまでいると大喜びです。(笑)<br />

    【佐良浜港】

    ここもチェックポイントです。
    恒例の魚チェック。
    護岸沿いに小魚が沢山いて、今日はハリセンボンのハーリーまでいると大喜びです。(笑)

  • 【猫店長のお宿】<br /><br />あれ~。今回も店長がいなかった(泣)<br />パトロールに行っているかも。<br /><br />おや?宿が1個増えてるから、新人の猫が増えたのかな?<br />見たかったなぁ~(泣)<br /><br />

    【猫店長のお宿】

    あれ~。今回も店長がいなかった(泣)
    パトロールに行っているかも。

    おや?宿が1個増えてるから、新人の猫が増えたのかな?
    見たかったなぁ~(泣)

  • 【伊良部島海の駅】<br /><br />毎度の事ながらここでトイレ休憩。<br />

    【伊良部島海の駅】

    毎度の事ながらここでトイレ休憩。

  • 【展望台】<br /><br />二階にあるトイレを利用したので、初めて展望台に寄ってみました。<br />う~んと言う感じかな?<br />目の前のホテルが景観の邪魔かな?<br />しかもまだまだ建設が進んでいます。<br /><br />

    【展望台】

    二階にあるトイレを利用したので、初めて展望台に寄ってみました。
    う~んと言う感じかな?
    目の前のホテルが景観の邪魔かな?
    しかもまだまだ建設が進んでいます。

  • 【夕食】<br /><br />本日も残り物一掃セール。<br />明日は海遊びはせずに離島に遊びに行く予定。<br /><br />隅っこに夜の薬が並んでる。<br />夜は自己注射が2本追加です。<br />もう身体がボロボロです(泣)<br /><br />さあ、もう寝よう!<br />おやすみなさい。<br /><br />

    【夕食】

    本日も残り物一掃セール。
    明日は海遊びはせずに離島に遊びに行く予定。

    隅っこに夜の薬が並んでる。
    夜は自己注射が2本追加です。
    もう身体がボロボロです(泣)

    さあ、もう寝よう!
    おやすみなさい。

21いいね!

利用規約に違反している投稿は、報告する事ができます。 問題のある投稿を連絡する

この旅行記へのコメント (4)

開く

閉じる

  • mamamamaさん 2024/10/12 23:33:50
    ご無沙汰してます!
    桃李の里さま

    こんばんは。
    しばらく旅行記の投稿がなかったのでどうされたのかなと思っていました。
    入院手術と大変だったのですね…(T_T)
    旅行できるくらいまで回復されて良かったです。
    本当に、健康第一ですね!

    ウミガメたくさんの旅行記、読んでいて幸せな気持ちになりましたーありがとうございます^_^

    特に【な~んとウミガメさん息継ぎ?】の写真が個人的に好きです!
    水疱がむしろエモくていい感じd(^_^o)笑
    奥様自身がウミガメ発券機ですね、素晴らしいっ

    息子がダイビングの資格をとったので、私も便乗して続こうかと企み中です…
    GoProも買いたいし、お金が…苦笑

    続きも楽しみにお待ちしてます^_^

    mamamama

    桃李の里

    桃李の里さん からの返信 2024/10/13 11:00:34
    Re: ご無沙汰してます!
    mamamama様  こんにちは。

    わざわざコメント迄くださりありがとうございます。
    またその節はバースデーメール迄頂き大変恐縮です。あの時身体がこんな事になっているとは気付かず4月からのロングステイを楽しみに浮かれていて恥ずかしい限りです(泣)
    旅に出れるくらいは体力が貰って来た感じですかね。

    ウミガメを見られたら幸せになれるとツアーのガイドブック等で紹介されていますが、確かにそんな気がしますよね。
    かみさんは色々な魚達を見る方が楽しいと言いますが、今回はあまりにもウミガメ遭遇率が高いのでちょっと気持ちの変化が有るみたいですが、近くに寄って来たら怖いみたいで遠目で見るくらいが丁度良いそうです(笑)

    長男くんと一緒に親子ダイビングもカッコ良いですよね!
    水の中で息が出来て自由に活動出来たりするのがスキューバの醍醐味ですね。さらに水中撮影をして家族で一緒に鑑賞会などをしたら楽しみもまた増えていきますね!

    GoProは最初アマゾン等に出品されている数千円の安い物から慣らしてグレードアップした方がベターだと思いますよ。
    安くてもバッテリーの駆動時間が短いくらいで画像のクオリティなんかは変わらないので充分だと個人的には思います。

    ありがとう御座いました。

    mamamama様におかれましてもお身体をご自愛くださいますよう。

                  桃李の里


  • えみりさん 2024/10/08 21:19:36
    浦島花子さん
    あ~、父ちゃん。結果シギラで亀をいっぱい見られて良かったです。亀はあんな奥まで行かないと見えないんですね。私は当時天気も悪くてモンガラ隊長くらいしか見れませんでした。
    よく考えたら当時駐車場は無料でした。

    しかし、新城海岸の亀さんのイソギンチャクゾーンはあかんでしょう(笑)浦島花子さんがいて良かった。

    宮古島旅行記はやはり懐かしいですね。
    私もさたぱんぴんまだです。行ってみたいです。

    フナウサギバナタの鳥!なくなったんですか?何で?知らなかったな~。何ですかあの寂しい下だけのモニュメントは(笑)
    思い出深いな~。
    三角点も消しちゃうとは。
    宮古島も数年で変わってますね。

    大神島もまだ行ったことないので楽しみです。父ちゃんも写真では元気そうなので安心しました(^o^)

    えみり。

    桃李の里

    桃李の里さん からの返信 2024/10/09 16:04:57
    Re: 浦島花子さん
    えみりさん こんにちは。

    わざわざ書き込み迄してくださりありがとうございます。

    シギラビーチのウミガメ遭遇率はかなり高いですね~。
    4か所目のビーチでウミガメと出会えてやれやれですわ(笑)
    駐車場料金は2年前くらいから必要になったみたいですよ。設備が整った場所だから1000円の価値は有るのかな?、天候次第ですがビーチも万人受けするレベルだと思います。

    新城海岸は以前はもっと魚影も濃かったと思ったんですがね~?有料駐車場が出来てから業者も乱立してビーチが派手になりました。しかも宮古まもる君に対抗して、浦島花子さんなる新人キャラ(笑)が出現するわで数年前と比べ環境が変わった気がしました。
    季節によるのでしょうが、駐車料金が3000円はボッタクリだと思います。

    伊良部島のなかゆくい商店のさたぱんぴんはおすすめですよ。基本並んでまで何かを買う事はしないのですがここは違ったですね。
    個数制限が有りますが、外カリカリ中フワフワのお菓子は食べる価値が有りますね!
    えみりさんもご存知なモジャのパン屋さんに匹敵するほどの人気ですよ!

    今の宮古島は数年前までの建設ラッシュバブルがやや落ちついたみたいですが、離島人気で旅行者はまた増えているみたいですね。
    大神島に行って思ったのですが、住人より観光客の方が多いですが、利便性を追求せずに頑なに昔ながらの環境を守っている地域がとても素晴らしいと思いました。これ以上宮古の環境が変わらないように宮古まもる君に守ってほしいです。

    わざわざコメントありがとうございました。

    追伸
    えみりさんの北海道の青い池への旅は良いですね。一度は見てみたいと思いながら北方面にはなかなか縁が無イノですが、来年には足を踏み入れてみたいと思い、札幌編等と共に参考にさせて貰ってます。

            桃李の里 とうちゃん

桃李の里さんのトラベラーページ

コメントを投稿する前に

十分に確認の上、ご投稿ください。 コメントの内容は攻撃的ではなく、相手の気持ちに寄り添ったものになっていますか?

サイト共通ガイドライン(利用上のお願い)

報道機関・マスメディアの方へ 画像提供などに関するお問い合わせは、専用のお問い合わせフォームからお願いいたします。

旅の計画・記録

マイルに交換できるフォートラベルポイントが貯まる
フォートラベルポイントって?

フォートラベル公式LINE@

おすすめの旅行記や旬な旅行情報、お得なキャンペーン情報をお届けします!
QRコードが読み取れない場合はID「@4travel」で検索してください。

\その他の公式SNSはこちら/

タグから国内旅行記(ブログ)を探す

価格.com旅行・トラベルホテル・旅館を比較

PAGE TOP