2023/09/23 - 2023/09/30
1420位(同エリア4840件中)
赤巴士さん
この旅行記のスケジュール
2023/09/28
-
35ENDビーチ
2023/09/29
-
東平安名ビーチ
-
冨士天ぷら いだ天 宮古南店
-
与那覇ビーチ北
-
サニツ浜
2023/09/30
-
飛行機での移動
JAL
もっと見る
閉じる
この旅行記スケジュールを元に
かれこれ今年の阿嘉島行も今回で5度目
いつもはビーチでまったり&魚と戯れていますが
今回も同じ感じですが
釣りはいつものイカ釣りではなく
船釣りもやってみようということで行きました。
関東で言う所の真鯛のテンヤ釣りという釣り方と
同じやり方でミーバイ系やタマン系狙い!
後半はそのまま帰るのも勿体ない?気がして
今年2度目の宮古島へノープランで
復活した沖縄彩発見のクーポンを使って
沈没生活を味わってみました。
殆ど観光はしてないような内容です。
1日目
羽田9:55発⇒那覇12:45着(JL909)
この日も宿到着後すぐにセンベロへ
2日目~5日目
阿嘉島で島遊び
最終日那覇に移動
6日目
那覇15:35発⇒宮古16:25着(SKY547)
宮古島へ移動
7日目~13日目
宮古島で沈没生活
宮古14:25発⇒羽田17:05着(JL934)
旅費
航空券
羽田⇒那覇(JAL)¥610(特典航空券利用)
那覇⇒宮古(スカイマーク)¥4,790(いま得)
宮古⇒那覇(JAL)¥240(特典航空券利用)
他交通費
那覇空港⇒泊高橋(琉球バス交通)¥240
美栄橋⇒奥武山公園(ゆいレール)¥230
泊⇔阿嘉島(フェリーざまみ)¥4,090
若松入口⇒那覇空港(琉球バス交通)¥240
下地島空港⇒公設市場前
(下地島エアポートライナー)¥600
市場通り⇒宮古空港
(協栄バス)¥240
島尻⇔大神(大神海運)¥670
レンタルバイク:ジャスミン
125ccクラス¥7,240(4日間)
レンタカー:MIYACTV
コンパクトカー¥23,000(6日間)
スカイチケットにて予約
宿泊費
那覇:オリエンタルホテル
¥5,600(税込み2泊素泊り)
沖縄彩発見割引で¥1,400引き
クーポン¥4,000分獲得
阿嘉島:民宿
¥24,840(税込み3泊2食付き)
宮古島:宮古島ゲストハウス風家
¥7,600(税込み2泊素泊り)
ゲストハウス宮古島
¥17,600(税込み5泊素泊り)
沖縄彩発見割引で¥4,400引き
クーポン¥10,000獲得
※楽天トラベル&直予約
- 旅行の満足度
- 3.5
- 観光
- 3.5
- ホテル
- 3.5
- グルメ
- 3.5
- 交通
- 4.0
- 同行者
- 一人旅
- 一人あたり費用
- 5万円 - 10万円
- 交通手段
- 高速・路線バス 船 レンタカー JALグループ スカイマーク 私鉄 徒歩 バイク
- 旅行の手配内容
- 個別手配
-
宮古島滞在6日目
今日は海遊びでまずは
中の島ビーチに来ました。
平日の木曜日なのに何故に
こんなに混んでるの!? -
写真では分からないですが
狭いビーチにはかなりの人がいます。中の島海岸 (カヤッファ) 自然・景勝地
-
早速海の中へ
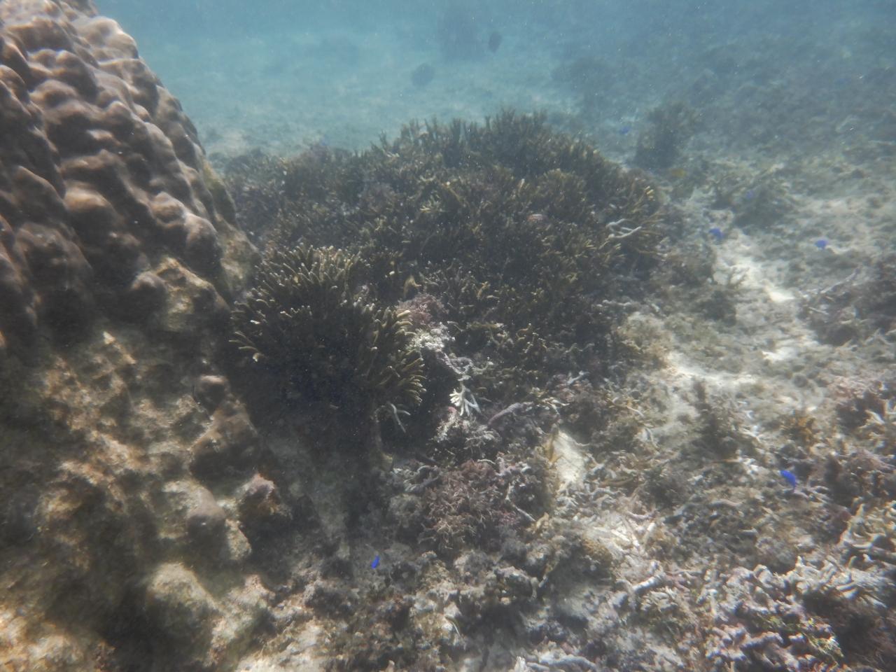
珊瑚の森は白化で残念な状況(´;ω;`) -
魚達は元気です。
-
珍しい!
黄色いヤガラも!
あまりに混んできたので
そろそろ次のビーチへ -
お隣35ENDビーチ来ました。
実は潜るのが今回が初めて -
干上がった浅瀬には
ウミヘビの抜け殻?御遺体?が! -
早速海へ
岸よりの浅場は濁りがあり
どんよりしてます。 -
それでも所々
珊瑚がありますねー
魚は少な目な感じ -
カクレクマノミもいたりして
そこそこ楽しめました。 -
ランチは
-
まるきスーパーで
まるきスーパー スーパー・コンビニ・量販店
-
弁当を購入
-
食べに来たとこはここ
渡口の浜 ビーチ
-
お気に入りの渡口の浜です。
-
毎日来ても飽きない
穏やかな海 -
木陰を陣取り
先ほど購入したお弁当を食べます。
ポー玉おにぎりとソーメンチャンプルー
この景色を見ながらは最高!!!
このまま夕方までマッタリして -
夕飯は
ドンキそばにある
初めてのビックリ大将へ
ここでもクーポンが利用できるのでステーキハウス ビックリ大将 グルメ・レストラン
-
アメリカンな感じの店内
-
本島のステーキ屋さんとも
異なるメニュー -
ハンバーグとステーキのセットにしました。
これがまた意外!?と
美味しい~ -
ここはリピしても良い感じの
ステーキ屋さんでした。 -
7日目はちょいと東平安名崎まで来たので
そのそばにある東平安名ビーチへ
しかしスノーケリング禁止の
立て看板があったので
泣く泣く退散しました。 -
ならばということで
この旅2度目の秘密のビーチへ -
ここは潮通しも比較的良いので
透明度が高い~ -
他に潜っている人は数人のみ
魚も多くて楽しいです。 -
珊瑚も生き生きしているし
あまりお会いしない魚もいたりして -
存分潜って
満喫しました。 -
ランチは宮古市内まで戻り
肉や魚以外の飯を求めて
天ぷらにします! -
ほほー
安いですねー
ご飯もお代わり自由で! -
単品メニューも豊富
でも店内は昼時にも拘わらず
他にお客はひとりだけ -
ランチメニューです。
いささか天ぷらが少な目ですが!w -
3品はキツイ!
小鉢減らして5品くらい欲しい~
でもご飯お代わりはしましたけど。 -
宿に戻って小休止して
ゲストハウス宮古島 <宮古島> 宿・ホテル
-
夕方は与那覇ビーチ北へ
-
人が殆どいなくて落ち着きます。
でも考えてみれば明日が最終日でした!(@_@;) -
その後は
-
宿近くの
-
サニツ浜へ
ここは地元の人が夕涼みに来る
公園内のビーチです。
風が強く波がちゃぷちゃぷしてました。
宮古にしてはそれ程綺麗でもないので
泳ぐには適さない感じです。 -
ざわわざわわ♪♪♪
-
最後の晩餐は
マックスバリューで買ったお弁当で -
宮古滞在8日目
いよいよ本日が最終日
長い様で短い感じがした13日間の
阿嘉島&宮古島の旅でした。渡口の浜 ビーチ
-
やはり最終日も
渡口の浜に来ました。 -
10時のおやつ?で
黒糖メロンパンをかじりながら
海をぼーっと見てます。 -
今日も良い天気~
今年の5月と言い
今回も宮古島の天気に恵まれました! -
名残惜しいですが
そろそろ撤収の時間です。 -
5泊お世話になった
ゲストハウスもチェックアウトして
レンタカー屋さんに車を返却 -
車を返したところで
これ!w -
そして空港へ
-
13時過ぎに宮古空港に来ました。
宮古空港 空港
-
搭乗まで時間が合ったので
こちらでランチを空港レストラン ぱいぱいのむら グルメ・レストラン
-
店内は結構広々
-
そう言えば
宮古ここ最近そばを食べてなかったので
そば丼セットにしましょう! -
飲み物は予想通り!
-
これ!w
ジョッキがキンキンで最高です! -
宮古そばとかつ丼のセット
-
宮古そばは美味しい~
-
かつ丼は…
-
そばは完食
かつ丼はしょっぱくて
完食できませんでした! -
定刻通りの羽田便で
-
搭乗完了
久々の767-300です。 -
爆音を轟かせ離陸~
-
雲の上を順調に飛行
-
帰りの席は非常口席窓際で
広々ゆったり -
ほぼ定刻通りに羽田空港に着陸~
長い様で短い13日間の沈没旅は終了です。羽田空港(東京国際空港) 空港
利用規約に違反している投稿は、報告する事ができます。
コメントを投稿する前に
十分に確認の上、ご投稿ください。 コメントの内容は攻撃的ではなく、相手の気持ちに寄り添ったものになっていますか?
サイト共通ガイドライン(利用上のお願い)報道機関・マスメディアの方へ 画像提供などに関するお問い合わせは、専用のお問い合わせフォームからお願いいたします。
赤巴士さんの関連旅行記
この旅行で行ったホテル
この旅行で行ったスポット
もっと見る
この旅行で行ったグルメ・レストラン
宮古島(沖縄) の旅行記
旅の計画・記録
マイルに交換できるフォートラベルポイントが貯まる
フォートラベルポイントって?
0
65