石垣島旅行記(ブログ) 一覧に戻る
今年からダイビング再開しまして前回の飼育ジンベイで気をよくして<br />今度はマンタに挑戦です。<br /><br />・・・惨敗でした。<br />北東の風が強く波高4~5mの海況でした。<br />当然もぐることのポイントも限られるので<br />マンタのポイントには初日しか入れず・・・。<br />こればかりはどうにもならないのでおとなしく<br />できることを楽しみましたがテンションの低さが<br />写真に現れてます(泣)<br /><br />

石垣島6DIVE

16いいね!

2016/10/31 - 2016/11/03

2558位(同エリア5879件中)

0

13

kameba

kamebaさん

今年からダイビング再開しまして前回の飼育ジンベイで気をよくして
今度はマンタに挑戦です。

・・・惨敗でした。
北東の風が強く波高4~5mの海況でした。
当然もぐることのポイントも限られるので
マンタのポイントには初日しか入れず・・・。
こればかりはどうにもならないのでおとなしく
できることを楽しみましたがテンションの低さが
写真に現れてます(泣)

旅行の満足度
3.5
ホテル
3.5
同行者
一人旅
一人あたり費用
10万円 - 15万円
交通手段
ANAグループ 徒歩
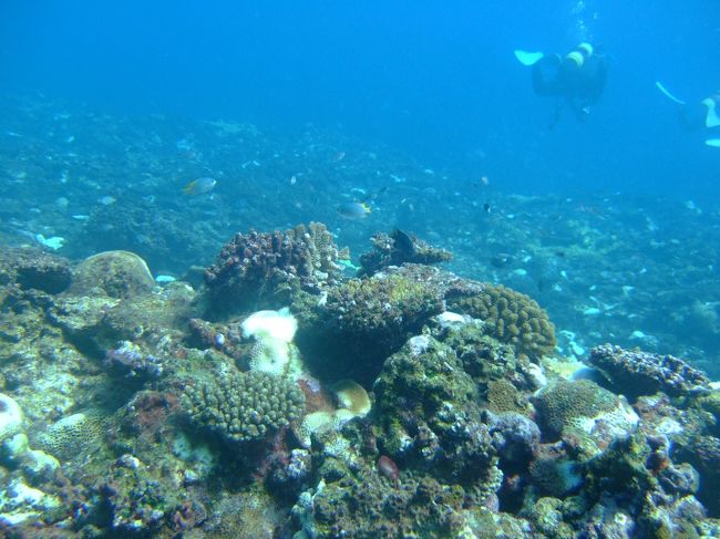
  • この白い小山は何かというと白化してしまった<br />巨大サンゴだそうです。<br />水温が高く死んでしまったそう。<br />

    この白い小山は何かというと白化してしまった
    巨大サンゴだそうです。
    水温が高く死んでしまったそう。

  • 白っぽいけど透明度悪くないです。<br />エントリーの直後にマンタが通り過ぎました。<br /><br />そしてそれっきりマンタは現れず・・・。

    白っぽいけど透明度悪くないです。
    エントリーの直後にマンタが通り過ぎました。

    そしてそれっきりマンタは現れず・・・。

  • まだ日差しがあるので綺麗です。

    まだ日差しがあるので綺麗です。

  • 石垣から西表までショップボートで1時間半かけて・・・<br /><br />風があるものの晴れてます!<br />海も明るくて楽しい!<br />

    石垣から西表までショップボートで1時間半かけて・・・

    風があるものの晴れてます!
    海も明るくて楽しい!

  • 沈船だそう。

    沈船だそう。

  • 2日目<br />がーん!風が強くで雨まで・・・

    2日目
    がーん!風が強くで雨まで・・・

  • なんとかクマノミ

    なんとかクマノミ

  • 3日目<br /><br />さらに風と波が・・・<br />完全に時化てます。

    3日目

    さらに風と波が・・・
    完全に時化てます。

  • 関東から遠征したのに天候に恵まれず<br />がっかりでしたが次回に向けて日ごろの行いに<br />気をつけてまたリベンジしに戻って<br />きたいと思いました。

    関東から遠征したのに天候に恵まれず
    がっかりでしたが次回に向けて日ごろの行いに
    気をつけてまたリベンジしに戻って
    きたいと思いました。

この旅行記のタグ

関連タグ

16いいね!

利用規約に違反している投稿は、報告する事ができます。 問題のある投稿を連絡する

コメントを投稿する前に

十分に確認の上、ご投稿ください。 コメントの内容は攻撃的ではなく、相手の気持ちに寄り添ったものになっていますか?

サイト共通ガイドライン(利用上のお願い)

報道機関・マスメディアの方へ 画像提供などに関するお問い合わせは、専用のお問い合わせフォームからお願いいたします。

旅の計画・記録

マイルに交換できるフォートラベルポイントが貯まる
フォートラベルポイントって?

フォートラベル公式LINE@

おすすめの旅行記や旬な旅行情報、お得なキャンペーン情報をお届けします!
QRコードが読み取れない場合はID「@4travel」で検索してください。

\その他の公式SNSはこちら/

タグから国内旅行記(ブログ)を探す

この旅行記の地図

拡大する

価格.com旅行・トラベルホテル・旅館を比較

PAGE TOP