2016/03/27 - 2016/03/27
162位(同エリア465件中)
ヤッシーさん
入港日
父島に到着してまずはウミガメを食す。
シュノーケルのツアーにも参加。
入港日翌日
天候不良でツアー中止(他のツアーは出ていたのですがお願いしていたツアーの船は小さいみたいで)のため同じ宿の女の子2人と観光など。
*** 共通内容 ***
小笠原はフェリーによって人が動きます。曜日ではありません。
そのため小笠原では滞在期間中を以下のようによんでます。
フェリー入港日:入港日
翌日 :入港翌日
翌日 :出航前日
翌日 :出港日
旅行記ではその呼び方にプラスして1日目を竹芝桟橋出港日、最終日を竹芝桟橋到着日と呼びます。
1日目:竹芝桟橋出港日
◎2日目:入港日
◎3日目:入港日翌日
4日目:出港日前日
5日目:出港日
6日目:竹芝桟橋入港日
◎が本旅行記です。
5泊6日の旅行代金合計 83782円
交通費小計 45040円
船 45040円
宿泊費小計 17982円
ユース 17982円 3泊3夕食
アクティビティ小計 15000円
シュノーケル 5000円
ホエールウォッチング・南島 10000円
飲食費小計 5760円
(持参のカップラーメンなどは除く)
- 旅行の満足度
- 3.0
- 同行者
- 一人旅
- 一人あたり費用
- 5万円 - 10万円
- 交通手段
- 船
- 旅行の手配内容
- 個別手配
-
入港日(2日目)
宿泊はユースホステルです。
お出迎え。お客さん同士が仲良くなる宿 by ヤッシーさん小笠原ユースホステル 宿・ホテル
-
鯉のぼりではなくクジラのぼり。
クジラが見えるシーズンのみだそうです。 -
歩いて宿到着。
-
部屋
-
宿泊が同じ2人の女性とランチへ。
島寿司カメ寿司や島魚の寿司 by ヤッシーさん島寿司 グルメ・レストラン
-
カメ入り小笠原寿司
2番目の右の赤いのがカメです。
一番上の3個は島寿司(オキサワラの漬け) -
これがカメです。
弾力があり意外と美味しい -
シュノーケルツアーの前に近場を観光
-
おがさわら丸
-
オガサワラノスリ
-
オガサワラノスリ
-
ウェザーステーションと呼ばれている展望台
三日月山展望台 名所・史跡
-
母島方面
三日月山展望台 名所・史跡
-
母島方面
三日月山展望台 名所・史跡
-
島には2つある信号
-
漁師が獲ってきたウミガメ
これが先ほどの寿司などになります。 -
製氷海岸でシュノーケル
白珊瑚 -
ビーチエントリーですがすぐに深い場所になります。
これはインストラクターさん -
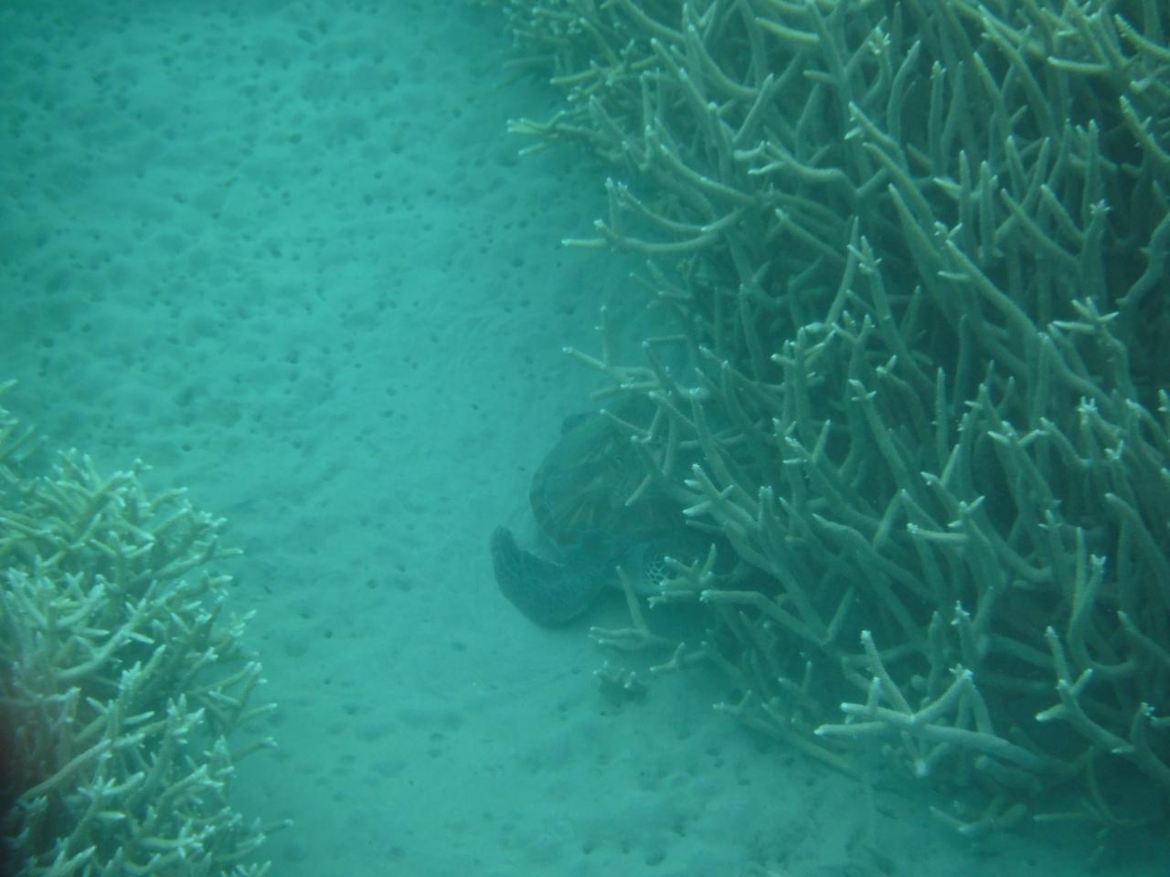
ウミガメ発見
-
全く動かず
-
宿の食事場所
-
宿の夕食です。
-
入港日翌日(3日目)
朝食なしのため朝6時半からオープンのパン屋さんへ。 -
朝8時前には売り切れてクローズとなります
-
朝食です
-
ウミガメが入るとこんな張り紙が。
冷やし中華はじめました的な。 -
トンネル
-
小笠原海洋センター
小笠原海洋センター 美術館・博物館
-
アカバの歯磨き
小笠原海洋センター 美術館・博物館
-
小笠原海洋センターの水族館
小笠原海洋センター 美術館・博物館
-
ハナミノカサゴ
-
カエルアンコウ
-
ウツボ
-
オブジェ
-
オガサワラモズクガニ
-
ウミガメ
-
ウミガメ
-
ウミガメ
-
おみやげ屋などお店巡り
小笠原生協 -
なぜかタイの食材
-
小笠原レモン
左は甘く、右はすっぱいです -
ガチョウの卵
-
アサヒ薬局
薬局ですがおみやげ屋さん -
亀カレーもあります
-
色々な果物やサトウキビからのお土産物
-
MARUHI
ここもお土産物屋さん -
ロッキンチキン
からあげ屋さん -
小笠原釣具センター
ギョサンはここが一番安い -
ランチはあめのひ食堂
-
定食屋さん
-
穴子丼
-
アイランドデリ
弁当屋さん -
スーパー小祝
-
宿で一緒の女の子とウェザーステーションへ行くも雨風が強くなりすぐに退散。
途中砲台(戦跡)への道 -
弾薬庫
-
宿の夕食
この旅行記のタグ
利用規約に違反している投稿は、報告する事ができます。
コメントを投稿する前に
十分に確認の上、ご投稿ください。 コメントの内容は攻撃的ではなく、相手の気持ちに寄り添ったものになっていますか?
サイト共通ガイドライン(利用上のお願い)報道機関・マスメディアの方へ 画像提供などに関するお問い合わせは、専用のお問い合わせフォームからお願いいたします。
この旅行で行ったホテル
-
小笠原ユースホステル
3.15
この旅行で行ったスポット
もっと見る
この旅行で行ったグルメ・レストラン
旅の計画・記録
マイルに交換できるフォートラベルポイントが貯まる
フォートラベルポイントって?
0
56