パラオ旅行記(ブログ) 一覧に戻る
母娘でダイバーになってから早や3年<br />まだまだ「なんちゃってダイバー」な私達ですが<br />30本突破を記念して、今年の夏はどこへ行こうか?<br /><br />母「マンタと言えば、やっぱりパラオでしょ!」<br /><br />と、恐れ多くもマンタ狙いでパラオへ決定♪<br />実は8年ぶり2度目ですが、ダイバーとしては初 (苦笑)<br />パラオはほとんどが潮の流れがある「ドリフトダイブ」<br />レベル的に私達なんちゃってダイバー向きではないので<br />プライベートガイドさんのお力を借りることにしました<br />滞在中の天気予報は見事に雨マークがずらりと並んでたけど<br />予報が外れることを祈りながら、張り切って行ってみよう!<br /><br />それでは、まずは「ダイビング編」の始まり始まり~♪<br /><br />

2015年07~08月 2度目のパラオは雨期真っ只中だったけど・・・(ダイビング編)

24いいね!

2015/07/28 - 2015/08/02

287位(同エリア1512件中)

旅行記グループ ??パラオ

6

79

minori

minoriさん

母娘でダイバーになってから早や3年
まだまだ「なんちゃってダイバー」な私達ですが
30本突破を記念して、今年の夏はどこへ行こうか?

母「マンタと言えば、やっぱりパラオでしょ!」

と、恐れ多くもマンタ狙いでパラオへ決定♪
実は8年ぶり2度目ですが、ダイバーとしては初 (苦笑)
パラオはほとんどが潮の流れがある「ドリフトダイブ」
レベル的に私達なんちゃってダイバー向きではないので
プライベートガイドさんのお力を借りることにしました
滞在中の天気予報は見事に雨マークがずらりと並んでたけど
予報が外れることを祈りながら、張り切って行ってみよう!

それでは、まずは「ダイビング編」の始まり始まり~♪

  • <1日目>ショップ前にて<br /><br />今回のショップはPPR内「スプラッシュ」さん<br />事前問合せから予約完了まで、迅速かつ丁寧に対応して頂きました<br />なんちゃってダイバー親子ですが、2日間宜しくお願い致します!<br />

    <1日目>ショップ前にて

    今回のショップはPPR内「スプラッシュ」さん
    事前問合せから予約完了まで、迅速かつ丁寧に対応して頂きました
    なんちゃってダイバー親子ですが、2日間宜しくお願い致します!

  • それでは、ボートに乗って行ってきま〜す!

    それでは、ボートに乗って行ってきま〜す!

  • お天気は曇りがち<br /><br />まあ雨じゃないだけ良しとしなきゃね<br />と思っていたら

    お天気は曇りがち

    まあ雨じゃないだけ良しとしなきゃね
    と思っていたら

  • だんだん晴れてきたぞ!

    だんだん晴れてきたぞ!

  • やっぱり海はこうでなくっちゃ♪

    やっぱり海はこうでなくっちゃ♪

  • 場所によって海の色が全然違いますね!

    場所によって海の色が全然違いますね!

  • 綺麗だなぁ〜♪

    綺麗だなぁ〜♪

  • ジャーマンチャネル通過中<br /><br />もうすぐ1本目のポイントに到着です<br /><br />

    ジャーマンチャネル通過中

    もうすぐ1本目のポイントに到着です

  • (1本目)GERMAN GARDEN<br /><br />まずは「コクテンフグ」さん、こんにちは〜♪<br /><br />

    (1本目)GERMAN GARDEN

    まずは「コクテンフグ」さん、こんにちは〜♪

  • 「スイートリップ」だったかな?<br /><br />名前の通り、魅惑的な分厚い唇ですね♪<br /><br />

    「スイートリップ」だったかな?

    名前の通り、魅惑的な分厚い唇ですね♪

  • 雨期なので透明度がいまいち。。。

    雨期なので透明度がいまいち。。。

  • しかも何故かマスクが絶不調。。。<br /><br />何度も何度もマスククリアしても<br />何故だかすぐ曇っちゃうの(大泣)

    しかも何故かマスクが絶不調。。。

    何度も何度もマスククリアしても
    何故だかすぐ曇っちゃうの(大泣)

  • なので、カメラの焦点がなかなか合わず<br /><br />いきなりカメさんズームアップ!?<br />

    なので、カメラの焦点がなかなか合わず

    いきなりカメさんズームアップ!?

  • あ〜ん、行かないで〜!!!<br /><br />驚かしちゃってごめんなさ〜い。。。

    あ〜ん、行かないで〜!!!

    驚かしちゃってごめんなさ〜い。。。

  • カメ「じゃあ、ちょっとだけよ」<br /><br />と少しだけ振り向いてくれました(笑)<br />カメさん有難う!

    カメ「じゃあ、ちょっとだけよ」

    と少しだけ振り向いてくれました(笑)
    カメさん有難う!

  • ニモもいたよ〜♪

    ニモもいたよ〜♪

  • 最後はまたカメさん<br /><br /><br /><br />

    最後はまたカメさん



  • 1つのポイントで2回も会えるなんて初めて!<br /><br />この場所がお気に入りらしく、じっとしてました<br />カメさん、また会いましょうね♪<br /><br /><br />

    1つのポイントで2回も会えるなんて初めて!

    この場所がお気に入りらしく、じっとしてました
    カメさん、また会いましょうね♪


  • 浮上後、しばし休憩時間です

    浮上後、しばし休憩時間です

  • ボートの周りでプカプカとリラックス中♪

    ボートの周りでプカプカとリラックス中♪

  • うわっ、波が来た!<br /><br />海水飲んじゃったよ。。。<br />しょっぱ〜い(泣)<br /><br /><br />

    うわっ、波が来た!

    海水飲んじゃったよ。。。
    しょっぱ〜い(泣)


  • さて、ボートに戻って

    さて、ボートに戻って

  • 撮影タイム♪

    撮影タイム♪

  • 2本目はどんな魚に会えるかな?

    2本目はどんな魚に会えるかな?

  • (2本目)GERMAN CHANNEL<br /><br />いきなり魚の大群がお出迎えです!

    (2本目)GERMAN CHANNEL

    いきなり魚の大群がお出迎えです!

  • さすがパラオですね♪

    さすがパラオですね♪

  • でも、やっぱり透明度がいまいち。。。<br /><br />

    でも、やっぱり透明度がいまいち。。。

  • 引き続きマスクも絶不調だし。。。<br /><br />母「私は今日は絶好調よ♪」<br />いいな、いいなぁ。。。

    引き続きマスクも絶不調だし。。。

    母「私は今日は絶好調よ♪」
    いいな、いいなぁ。。。

  • ガイドさん「さわってごらん」<br /><br />何だろう?と思いつつ、素直に触る私<br /><br />ガイドさん「ナマコのウ○コだよ(笑)」<br /><br />ぎゃ〜!ひ、ひど〜い!!!<br />主成分は砂だそうです(笑)

    ガイドさん「さわってごらん」

    何だろう?と思いつつ、素直に触る私

    ガイドさん「ナマコのウ○コだよ(笑)」

    ぎゃ〜!ひ、ひど〜い!!!
    主成分は砂だそうです(笑)

  • 「ニシキヤッコ」

    「ニシキヤッコ」

  • 「ハナビラクマノミ」かな?<br /><br />ニモの仲間ですね♪

    「ハナビラクマノミ」かな?

    ニモの仲間ですね♪

  • 「ヨスジフエダイ」の群れ

    「ヨスジフエダイ」の群れ

  • 「アカマツカサ」の群れ<br /><br />ここは団体さんが多いですね♪

    「アカマツカサ」の群れ

    ここは団体さんが多いですね♪

  • あれっ? 変わった岩があると思ったら

    あれっ? 変わった岩があると思ったら

  • なんと魚でした!!!<br /><br />擬態してるのか、全然動かないの(笑)

    なんと魚でした!!!

    擬態してるのか、全然動かないの(笑)

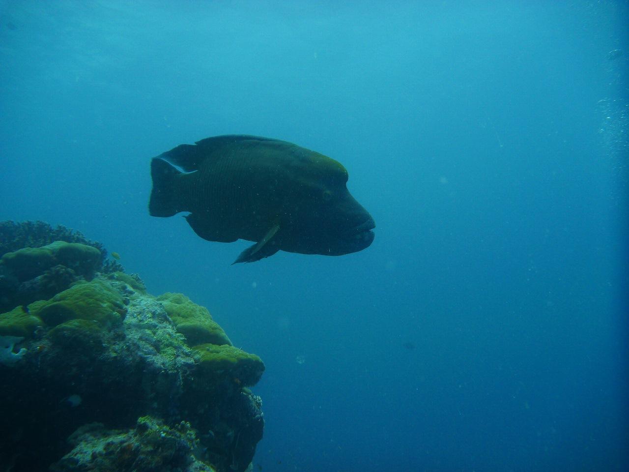
  • あっ、あれは!

    あっ、あれは!

  • ナポレオンだ〜!!!<br /><br />なんと、いきなり急接近と思ったら

    ナポレオンだ〜!!!

    なんと、いきなり急接近と思ったら

  • あっと言う間に遠くへ。。。<br /><br />待って〜!行かないで〜(大泣)

    あっと言う間に遠くへ。。。

    待って〜!行かないで〜(大泣)

  • ナポレオン「じゃあ、ちょっとだけよ」<br /><br />と少しだけ戻って来てくれました!<br />わ〜い有難う♪

    ナポレオン「じゃあ、ちょっとだけよ」

    と少しだけ戻って来てくれました!
    わ〜い有難う♪

  • 最後は大好きなニモちゃん♪

    最後は大好きなニモちゃん♪

  • しばし観察タイム

    しばし観察タイム

  • やっぱり可愛いなぁ〜♪

    やっぱり可愛いなぁ〜♪

  • 遊んでくれて有難うね!

    遊んでくれて有難うね!

  • マスクが絶不調の中、写真が撮れてるか心配だったけど<br />思ったより撮れてて良かった(笑)<br />マンタには会えなかったけど、さすがはパラオ<br />大迫力の海でした!!!<br /><br />以上、第1日目でした〜♪<br />

    マスクが絶不調の中、写真が撮れてるか心配だったけど
    思ったより撮れてて良かった(笑)
    マンタには会えなかったけど、さすがはパラオ
    大迫力の海でした!!!

    以上、第1日目でした〜♪

  • <2日目>昨日とは打って変わって、海は大荒れ。。。<br /><br />ガイドさん「外洋には出れないので近場でもいいですか?<br />      魚も少ないので、どうするかはお任せしますが」<br /><br />母「こんな状況だし、魚も少ないんでしょ?<br />  私は昨日で大満足だから、無理して行かなくても」<br /><br />私「やだやだ!私は昨日が絶不調だったの!!!<br />  近場でもいいから絶対行く!」<br /><br />と言う訳で、予定通り行ってきま〜す(笑)<br />

    <2日目>昨日とは打って変わって、海は大荒れ。。。

    ガイドさん「外洋には出れないので近場でもいいですか?
          魚も少ないので、どうするかはお任せしますが」

    母「こんな状況だし、魚も少ないんでしょ?
      私は昨日で大満足だから、無理して行かなくても」

    私「やだやだ!私は昨日が絶不調だったの!!!
      近場でもいいから絶対行く!」

    と言う訳で、予定通り行ってきま〜す(笑)

  • (1本目)HELMET WRECK<br /><br />う〜ん、やっぱり透明度がいまいち。。。

    (1本目)HELMET WRECK

    う〜ん、やっぱり透明度がいまいち。。。

  • でも今日はマスクが絶好調♪<br /><br />と言うことは、持参したマスクが絶不調なのね(苦笑)<br />あ〜あ、こんな事なら昨日もマスク借りれば良かった。。。

    でも今日はマスクが絶好調♪

    と言うことは、持参したマスクが絶不調なのね(苦笑)
    あ〜あ、こんな事なら昨日もマスク借りれば良かった。。。

  • マスクが全然曇らないの〜♪<br /><br />当たり前だけど、良く見えるから楽しいね!

    マスクが全然曇らないの〜♪

    当たり前だけど、良く見えるから楽しいね!

  • あっ、ドラム缶がいっぱいだ!<br /><br />

    あっ、ドラム缶がいっぱいだ!

  • それでは沈船探検隊、行って参ります!

    それでは沈船探検隊、行って参ります!

  • なんだかワクワクしますね♪

    なんだかワクワクしますね♪

  • ハシゴを上って

    ハシゴを上って

  • 奥へ進みましょう

    奥へ進みましょう

  • フライパンだ!

    フライパンだ!

  • 見上げれば、小魚の群れ

    見上げれば、小魚の群れ

  • イソギンチャクに似てますが、サンゴの一種だそうです

    イソギンチャクに似てますが、サンゴの一種だそうです

  • 「カエルウオ」かな?<br /><br />分かり難いですが、真ん中で真正面を向いてます

    「カエルウオ」かな?

    分かり難いですが、真ん中で真正面を向いてます

  • 「ホソフエダイ」の群れ?<br /><br />

    「ホソフエダイ」の群れ?

  • ブダイの仲間かな???<br /><br />

    ブダイの仲間かな???

  • 最後は「マンジュウイシモチ」<br /><br />通称「イチゴパンツ」<br />と、ガイドさんが言ってました(笑)

    最後は「マンジュウイシモチ」

    通称「イチゴパンツ」
    と、ガイドさんが言ってました(笑)

  • 浮上後、しばし休憩<br /><br />外洋じゃないので、とっても穏やかでした

    浮上後、しばし休憩

    外洋じゃないので、とっても穏やかでした

  • (2本目)HAFA−DAI<br /><br />こちらも沈船です

    (2本目)HAFA−DAI

    こちらも沈船です

  • 「ツバメウオ」だ!

    「ツバメウオ」だ!

  • こんなに近くで見たのは初めて!

    こんなに近くで見たのは初めて!

  • 沈船の中へ行きます

    沈船の中へ行きます

  • まるで映画「タイタニック」の世界みたい!

    まるで映画「タイタニック」の世界みたい!

  • レオ様はこの奥かしら?<br /><br />な〜んてね(笑)

    レオ様はこの奥かしら?

    な〜んてね(笑)

  • 「ハナミノカサゴ」

    「ハナミノカサゴ」

  • 優雅に舞っています!

    優雅に舞っています!

  • 見上げれば小魚の群れが

    見上げれば小魚の群れが

  • うわ〜♪

    うわ〜♪

  • すご〜い!

    すご〜い!

  • 楽しいね〜♪

    楽しいね〜♪

  • 色んなサンゴもありましたよ

    色んなサンゴもありましたよ

  • 最後は「マジリアイゴ」のペア<br /><br />おしどり夫婦みたいだね♪

    最後は「マジリアイゴ」のペア

    おしどり夫婦みたいだね♪

  • 雨期真っ只中のパラオだったけど、楽しかったね♪<br />

    雨期真っ只中のパラオだったけど、楽しかったね♪

  • 今度は乾期に来てみたいな〜!<br /><br />以上、ダイビング編でした

    今度は乾期に来てみたいな〜!

    以上、ダイビング編でした

この旅行記のタグ

関連タグ

24いいね!

利用規約に違反している投稿は、報告する事ができます。 問題のある投稿を連絡する

この旅行記へのコメント (6)

開く

閉じる

  • ミンさん 2015/09/23 23:09:21
    やっぱりパラオは、いいなぁ〜
    minoriさん、こんばんは。

    どうして? minoriさんのこの旅行記見逃してました、すみません。

    天候、海況にあまり恵まれなかったのですね。
    でもやっぱりパラオの海の色、景色は、すばらしい!!いいなぁ〜

    カメさんに、ナポレオン、ニモ(クマノミ)にも会えましたね。
    沈船にも潜ったし。

    マンジュウイシモチにも会えるなんてうらやましい!
    見てみたい。

    海況さえ良ければ、プライベートガイドさんなら、ブルーホール、ブルーコーナーも潜れますね♪


    どうしてマスクが曇ったの?
    いつも使っているマスク?
    新しいマスクなら、歯磨き後で磨くとクリアになったことあります。

    また遊びに来ますね。

    ミン

    minori

    minoriさん からの返信 2015/09/24 21:58:25
    Re: やっぱりパラオは、いいなぁ〜
    ミンさん、こんばんは。
    毎度ご来店&ご丁寧なコメント頂き、誠に有難うございます‼

    そうなんですよ、天候と海況に恵まれなかった上に
    マスク絶不調とついてなくて。。。
    マスクは3年くらい使っているもので、手入れが悪いせいなのか
    ここ一年くらい曇り安くなった気がしますf(^^;
    でも、今回みたいな絶不調は初めてでした。。。
    そんな状況でも、さすがはパラオ!沢山のお魚が見れて満足でした♪
    そうそう、マンジュウイシモチって初めて見たのですが、珍しい魚なんですか?
    ガイドさんが見つけて、教えてくれました!
    イチゴ柄のパンツはいてるみたいで可愛いですよね♪
    今度は乾期にリベンジしたいです‼

    それでは、また遊びに来て下さいね(^o^)
  • piggy☆さん 2015/09/21 21:16:38
    パラオいいなぁ(o゚∀゚o)
    minoriさん

    こんばんはー!
    パラオに行かれたんですね!

    いいなぁー海がめっちゃきれいです!
    パラオ行ってみたいです。
    王道ですけど、ジェリーフィッシュとか、泥パックのあの海とか…笑

    ダイビングももう30本目ですか?
    早いですね!!!
    すごくきれいでうらやましすぎます。

    タイタニックの世界もいいですね〜
    神秘的な感じになりますよね!

    前にパラオ調べたら、けっこう天気がいつも悪いって書かれてて、でも雨季でもこんなきれいな海が見られるんですね。

    行きたいですー!!

    piggy

    minori

    minoriさん からの返信 2015/09/22 20:37:14
    Re: パラオいいなぁ(o゚∀゚o)
    piggyさん、こんばんは。
    毎度ご来店&コメント頂き、誠に有難うございます!
    なんちゃってダイバーの旅行記なので恐縮です。。。

    今回はお天気に恵まれなかったですが
    やっぱりパラオは凄いです!
    外洋に行けなくても十分楽しめるし♪
    パラオはダイビングやシュノーケル以外にも
    色々楽しみ方がありますよね!
    我が家も初めての時は、定番のミルキーウェイや
    ジェリーフィッシュレイクにドルフィンパシフィックと行きましたよ♪
    パラオは毎日どこかで雨が降ってるそうで
    天気予報は雨マークが多いそうですf(^^;
    でも乾期に行けば、晴れ間が多いんじゃないかしら?
    毎日ではないですが、デルタ航空で直行便があるので、機会ごさいましたら行ってみて下さいね♪
    それでは、また遊びに来て下さいね。私も行きま〜す!
  • puyomushiさん 2015/09/21 14:33:45
    30本突破おめでとうございます♪
    こんにちは、minoriさん。

    朝、スマホで拝見した旅行記、やっぱりPCで見たら、それはそれは美し〜い♪

    もう30本も潜っていらっしゃるだなんて!!
    凄すぎます!!!
    1日目の船での後姿は、お母様ですよね!?
    思わず、オットを呼んで、minoriさんのお母さん、若いよね〜と
    話しておりました。

    マスクが調子悪いと楽しさ半減ですよね。
    私も慶良間でスノーケルが壊れ、見た感じに異常がなかったため
    少しの間、無理無理使ったら海水をしたたかに飲みました(+o+)

    あれはつらい。。。

    私はダイビングの前に、まず素潜りからです(・・;)
    続きも楽しみにしてますね☆

    puyo

    minori

    minoriさん からの返信 2015/09/21 18:17:35
    RE: 30本突破おめでとうございます♪

    puyoさん、こんばんは。
    毎度ご来店&ご丁寧なコメントを頂き、誠に有難うございます!
    今年はほぼ休眠トラベラー状態ですが、puyoさんの素敵なケラマ旅行記のおかげで
    やっと旅行記アップをする気力が出てきました♪
    有難うございました!

    今回のパラオはホント雨期真っ只中で、晴れ間はダイビング1日目だけと
    天候に恵まれなかったのが残念でした。。。それからマスク絶不調もね。。。
    それでも魚がこれだけ見られるのだから、やっぱりパラオは凄いです!
    でも透明度なら、ケラマの方が上なんじゃないかしら?

    >
    > 1日目の船での後姿は、お母様ですよね!?
    > 思わず、オットを呼んで、minoriさんのお母さん、若いよね〜と
    > 話しておりました。
    >
    そうです、母の後姿です。お褒め頂き、有難うございます!
    もう71歳なんですよ〜。まあ年の割には元気いっぱいなので
    本人も家族もその自覚はないですが(笑)

    この連休中に残りの「リゾート編」をアップする予定ですので
    また遊びに来て下さいね!私も行きま〜す♪

minoriさんのトラベラーページ

コメントを投稿する前に

十分に確認の上、ご投稿ください。 コメントの内容は攻撃的ではなく、相手の気持ちに寄り添ったものになっていますか?

サイト共通ガイドライン(利用上のお願い)

報道機関・マスメディアの方へ 画像提供などに関するお問い合わせは、専用のお問い合わせフォームからお願いいたします。

旅の計画・記録

マイルに交換できるフォートラベルポイントが貯まる
フォートラベルポイントって?

フォートラベル公式LINE@

おすすめの旅行記や旬な旅行情報、お得なキャンペーン情報をお届けします!
QRコードが読み取れない場合はID「@4travel」で検索してください。

\その他の公式SNSはこちら/

タグから海外旅行記(ブログ)を探す

PAGE TOP