2014/05/29 - 2014/06/05
9位(同エリア74件中)
ko-nomoriさん
- ko-nomoriさんTOP
- 旅行記183冊
- クチコミ371件
- Q&A回答160件
- 397,126アクセス
- フォロワー25人
初ハワイのオワフ島の後半です。
3日目、4日目とハナウマ湾でシュノーケルをしてきました。5日目はハワイ島への移動、そして8日目はハワイ島からホノルル空港に戻り帰国するまでです。
結構贅沢な旅行となってしまいました。
海の中は動画の方が良く分かるので、宜しければご覧下さい。
ハナウマ湾(5月29日サンゴとハギなど) http://youtu.be/wciKdOIrUl4
ハナウマ湾(5月30日 1 シマハギクギベラ) http://youtu.be/hg9KsLDzpS0
ハナウマ湾(5月30日 2 ブダイ、テングハギ) http://youtu.be/mFeOXS_NnPM
ハナウマ湾(5月30日 3 ヒメジ、ツノダシ) http://youtu.be/2q5pD-0Ygqw
ハナウマ湾(5月30日 4 ブダイ) http://youtu.be/rNmzMivPmyA
- 旅行の満足度
- 4.5
- 観光
- 4.0
- ホテル
- 4.5
- グルメ
- 4.0
- ショッピング
- 4.0
- 交通
- 4.0
- 同行者
- カップル・夫婦
- 一人あたり費用
- 20万円 - 25万円
- 交通手段
- 高速・路線バス タクシー 飛行機
- 航空会社
- JAL
- 旅行の手配内容
- 個別手配
-
5月29日(木)
はや3日目となります。
ホテルを7:20ごろ出発し、8:00発の22番のバスに乗ってハナウマ湾に向かいました。ザ バス バス系
-
バスの車内の様子、進行方向右側の席の方が海が良く見えます。
バス代は2.5ドルです。ザ バス バス系
-
40分ほどでハナウマ湾に到着、バス停の様子です。良い天気です。
オワフ島では代表的ビーチ? by ko-nomoriさんハナウマ湾 ビーチ
-
バスを降りたところは高台で、ハナウマ湾が見渡せます。
オワフ島では代表的ビーチ? by ko-nomoriさんハナウマ湾 ビーチ
-
入場券を購入、7.5ドルでカードOKです。このビーチは講習会を受けなければならず、9:15AM はその指定時刻です。もう少しで9:00の回に入れませんでした。
講習会受講後リストに名前を記入すると、1年間免除されるとのことです。オワフ島では代表的ビーチ? by ko-nomoriさんハナウマ湾 ビーチ
-
講習会を終了し、浜まで下りて来ました。いたちの様な動物が草むらに、、、うまく撮れませんでしたが、あとで聞いた話ではマングースの様でした。
オワフ島では代表的ビーチ? by ko-nomoriさんハナウマ湾 ビーチ
-
早速海に入ります。これは砂浜の端の岩です。くぼみの中にウニがいるのですが、分かるでしょうか?
ここも含めて岩の上に乗ってはいけません。オワフ島では代表的ビーチ? by ko-nomoriさんハナウマ湾 ビーチ
-
白っぽいところは底が砂、黒っぽいところは殆ど岩状態、サンゴは殆どいませんでした。
オワフ島では代表的ビーチ? by ko-nomoriさんハナウマ湾 ビーチ
-
さかなの画を並べます。先ずはシマハギ。
岸に近いところでも割に大きいさかなが見られました。オワフ島では代表的ビーチ? by ko-nomoriさんハナウマ湾 ビーチ
-
魚の数はそんなに多くはありません。シマスズメダイ。
オワフ島では代表的ビーチ? by ko-nomoriさんハナウマ湾 ビーチ
-
でも、割合大型です。サドルラスというベラのなかまの様です。
オワフ島では代表的ビーチ? by ko-nomoriさんハナウマ湾 ビーチ
-
ミヤコテングハギでしょうか。浅いところにも来るので、撮り易かったりします。
動画に撮りました。
http://youtu.be/wciKdOIrUl4オワフ島では代表的ビーチ? by ko-nomoriさんハナウマ湾 ビーチ
-
サンゴは所々にこんな感じでした。ハナヤサイサンゴと言う様です。
オワフ島では代表的ビーチ? by ko-nomoriさんハナウマ湾 ビーチ
-
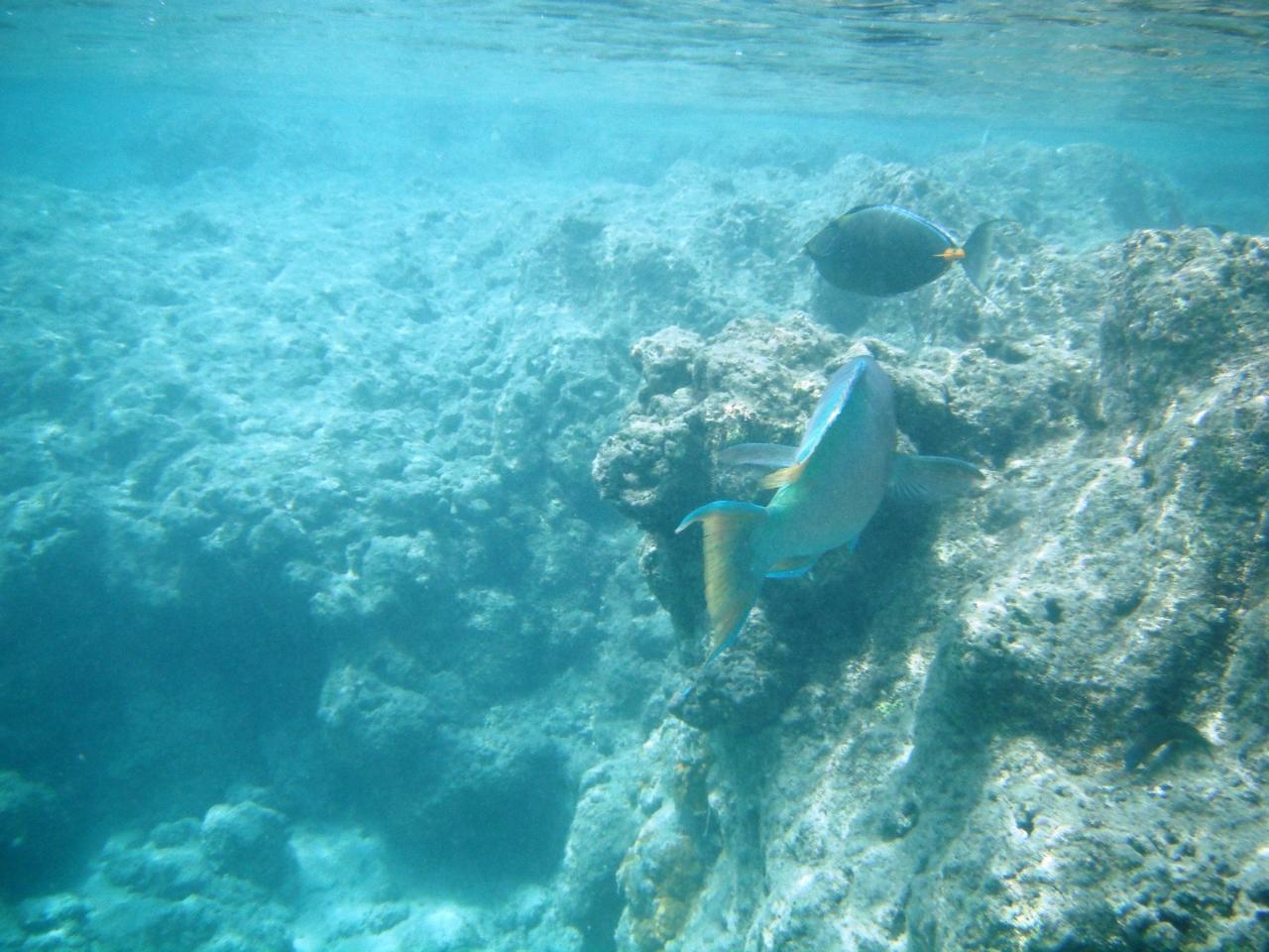
ブダイの後ろ姿。シャッターのタイミングが難しい、、、
オワフ島では代表的ビーチ? by ko-nomoriさんハナウマ湾 ビーチ
-
ブダイのメスだそうです。尾が見切れている、、、
オワフ島では代表的ビーチ? by ko-nomoriさんハナウマ湾 ビーチ
-
サンゴと。壊されなければ良いのですが、、、
背後の魚はクギベラの様です。オワフ島では代表的ビーチ? by ko-nomoriさんハナウマ湾 ビーチ
-
一休み。白波の立っている辺りまでは行きましたが、その外までは行きませんでした。
オワフ島では代表的ビーチ? by ko-nomoriさんハナウマ湾 ビーチ
-
このサンゴのそばにもクギベラ。
オワフ島では代表的ビーチ? by ko-nomoriさんハナウマ湾 ビーチ
-
このブダイ、いつもこの辺りにいる様です。
オワフ島では代表的ビーチ? by ko-nomoriさんハナウマ湾 ビーチ
-
オレンジの帯がよく目立つモンツキハギ。
オワフ島では代表的ビーチ? by ko-nomoriさんハナウマ湾 ビーチ
-
シマハギの群れ。
オワフ島では代表的ビーチ? by ko-nomoriさんハナウマ湾 ビーチ
-
ゴールドリングサージョンフィッシュ?
オワフ島では代表的ビーチ? by ko-nomoriさんハナウマ湾 ビーチ
-
ヒメジの群れ。良く分からない???
オワフ島では代表的ビーチ? by ko-nomoriさんハナウマ湾 ビーチ
-
モンガラ?
オワフ島では代表的ビーチ? by ko-nomoriさんハナウマ湾 ビーチ
-
休憩にします。
オワフ島では代表的ビーチ? by ko-nomoriさんハナウマ湾 ビーチ
-
浜は結構な人出、ワイキキなどではあまり気にならなかったお隣の大国さんが目立ちました。
オワフ島では代表的ビーチ? by ko-nomoriさんハナウマ湾 ビーチ
-
もう一回入りました。ヒレナガハギでしょうか。
オワフ島では代表的ビーチ? by ko-nomoriさんハナウマ湾 ビーチ
-
シマハギとヒレナガハギ。
オワフ島では代表的ビーチ? by ko-nomoriさんハナウマ湾 ビーチ
-
サンゴのアップ。
オワフ島では代表的ビーチ? by ko-nomoriさんハナウマ湾 ビーチ
-
タイワンブダイのメス。
オワフ島では代表的ビーチ? by ko-nomoriさんハナウマ湾 ビーチ
-
モンツキハギ。
オワフ島では代表的ビーチ? by ko-nomoriさんハナウマ湾 ビーチ
-
ブダイとヒメジの群れ。ヒメジはうまく映らない、、、
オワフ島では代表的ビーチ? by ko-nomoriさんハナウマ湾 ビーチ
-
アカヒメジかモンツキアカヒメジか分からない、、、
オワフ島では代表的ビーチ? by ko-nomoriさんハナウマ湾 ビーチ
-
シマハギの中にツノダシが一匹いるのですが、、、
この日の分のお魚は以上です。分かりにくい写真にお付合いいただき、有難うございました。
12時過ぎに上がることにします。オワフ島では代表的ビーチ? by ko-nomoriさんハナウマ湾 ビーチ
-
ハナウマ湾発 12:54 のバスでワイキキに戻りました。
オワフ島では代表的ビーチ? by ko-nomoriさんハナウマ湾 ビーチ
-
ワイキキのDFSのそばでバスを降りて食事のできるところを探し、Moose McGillycuddy's(ムース・マクギリカディーズ)というお店に入ることにしました。ルワーズ通りです。
キャシュを殆ど持って行かないので、カードで支払えるか確かめた上での入店です。アメリカっぽい雰囲気で食事ができる。 by ko-nomoriさんムース マッギリカディーズ アメリカ料理
-
店内はこんな感じで、ちょっとアメリカっぽい。
アメリカっぽい雰囲気で食事ができる。 by ko-nomoriさんムース マッギリカディーズ アメリカ料理
-
先ずはビール。小さい方で3ドル。
アメリカっぽい雰囲気で食事ができる。 by ko-nomoriさんムース マッギリカディーズ アメリカ料理
-
念願のロコモコ(13ドル)。
アメリカっぽい雰囲気で食事ができる。 by ko-nomoriさんムース マッギリカディーズ アメリカ料理
-
ベーシック・バーガー(11ドル)。まあ、いいお値段ですが満足です。
アメリカっぽい雰囲気で食事ができる。 by ko-nomoriさんムース マッギリカディーズ アメリカ料理
-
税別で36ドル、税、チップを足して40ドルお支払しました。
食事を終えて、ABCストアでワインなどを買い、DFSからトロリーに乗って帰りました。
3日目の活動はこれで終了、支出は 78.59ドルでした。アメリカっぽい雰囲気で食事ができる。 by ko-nomoriさんムース マッギリカディーズ アメリカ料理
-
5月30日(金)
もう一度ハナウマ湾に行くことにしました。前の日と同じバスに乗って、ダイアモンドヘッド辺りからの海です。 -
この日のバスのドライバーはガイドさん状態、「この辺りは億万長者の別荘地帯」とか「いま下りたのは有名な日本料理のシェフ」などとアナウンスしながらバスを走らせます。
-
Puuikena drive の入口。ハナウマ湾はもうすぐ。
-
チケット売場の列は前日より大分長いものでした。講習会は免除ですがチケットの列は並ばなければなりません。
購入後インフォメーションに行き、受講済みの確認をします。確認が取れると再入場と同じ"ALOHA"のスタンプを手に押してくれます。
その際、クレジットカードを使ったのですが、その後ちょっとしたトラブルになるのは、当然この時点では気付きませんでした。
浜には既に相当な人出になっていました。オワフ島では代表的ビーチ? by ko-nomoriさんハナウマ湾 ビーチ
-
この日は主に動画を撮っていたので、写真はこれくらい、ウミヘビです。ハワイには蛇が3種類ほどいるそうですが、ウミヘビもその中の一つだそうです。
おさかなは、宜しければ動画をご覧下さい。
http://youtu.be/hg9KsLDzpS0
(ブダイ、テングハギ) http://youtu.be/mFeOXS_NnPM
(ヒメジ、ツノダシ) http://youtu.be/2q5pD-0Ygqw
(ブダイ) http://youtu.be/rNmzMivPmyAオワフ島では代表的ビーチ? by ko-nomoriさんハナウマ湾 ビーチ
-
少し早目ですが11時過ぎに引き上げる事にしました。
オワフ島では代表的ビーチ? by ko-nomoriさんハナウマ湾 ビーチ
-
11:49 のバスに乗るつもりでバス停へ、写真はバス停の脇の芝生で餌をつつく小鳥です。
バス代を準備しようとして大変な事に気が付きました。クレジットカードが有りません!
インフォメーションでの入場の確認には使ったので、置き忘れていないか聞きに走ります。バスの発車まであと5分の時でした。
紛失の手続きなどの思いを巡らせながらの久々のダッシュ、有り難い事にインフォメーションで預かっていてくれて、サインをして返して貰えました。でも、バスには間に合わなかった、、、オワフ島では代表的ビーチ? by ko-nomoriさんハナウマ湾 ビーチ
-
次のバスはどうせ同じになるので、シーライフパーク行のバスに乗りました。これが大正解で、美しい海岸線の景色を楽しむことができました。
-
この写真はハナウマ湾を囲む岬を抜けた辺りです。
-
海の青さ、波の白さ、、、
-
同じく海の青さと白波。
-
Halona Blow Hole の駐車場から。
青い海を眺めるスポット by ko-nomoriさんハロナ ブロウ ホール 自然・景勝地
-
Blow は気が付きませんでした。
青い海を眺めるスポット by ko-nomoriさんハロナ ブロウ ホール 自然・景勝地
-
クジラなども観られるスポットなのでしょうか。
青い海を眺めるスポット by ko-nomoriさんハロナ ブロウ ホール 自然・景勝地
-
Sandy Beach Park
サンディービーチ パーク ビーチ
-
Sandy Beach Park の先の小さなビーチ。
ココ ヘッド サンディ ビーチパーク ビーチ
-
もう一枚。
ココ ヘッド サンディ ビーチパーク ビーチ
-
マカプウ岬を越えてラビット島が見えてきました。
-
向こうに薄っすらと見えるのはカイルアの方でしょうか。
-
マカプウ・ビーチ・パークあたり。
マカプウ ビーチパーク ビーチ
-
マカプウ岬。中腹に燈台が見えるのですが、、、
マカプウ岬 自然・景勝地
-
シー・ライフ・パークまで来ました。バスはここから引返します。
イルカやカメと触れ合える。 by ko-nomoriさんシーライフ パーク ハワイ テーマパーク・動物園・水族館・植物園
-
ハナウマ湾の入口を通過し、クアパ池が見えてきました。
-
少しの移動でもう家が結構建てこんでいます。
-
ダイアモンドヘッドが見えるところまで戻ってきました。
ダイヤモンドヘッド 山・渓谷
-
陸側からのダイアモンドヘッド。
ダイヤモンドヘッド 山・渓谷
-
もう一枚。
ダイヤモンドヘッド 山・渓谷
-
公園の木々越しにワイキキのホテル群が見えてきました。
-
アラワイ運河沿い。ポリスに捕まった車が写っています。
アラワイ運河 滝・河川・湖
-
DFSでバスを降り、今日もMoose McGillycuddy's(ムース・マクギリカディーズ)に行きます。ビールは大きい方(7ドル)にしました。
アメリカっぽい雰囲気で食事ができる。 by ko-nomoriさんムース マッギリカディーズ アメリカ料理
-
フィッシュアンドチップス(17ドル)をシェア、2人でも十分な量でした。
税とチップを含めて35ドルにしました。
DFSからトロリーでヒルトンに戻ります。アメリカっぽい雰囲気で食事ができる。 by ko-nomoriさんムース マッギリカディーズ アメリカ料理
-
Discovery Bay Center でトロリーを降ります。
ここに来る度に気になっていた屋台の、Tropical Tribe。
http://www.tropical-tribe.com -
アサイーボウルを買います。Discovery Bay Center の地下にお店が有り、そちらから品物を取って来るのでした。
-
5.76ドルでした。
グランド ワイキキアン バイ ヒルトン グランド バケーションズ ホテル
-
ヒルトン内の Lanikai Juice でスムージーを買ったりして元気をつけます。
朝食に、間食に。 by ko-nomoriさんラニカイ ジュース (ヒルトンハワイアンビレッジ店) カフェ
-
一休みしてアラモアナセンターに行きました。Foodland というスーパーでサラダ、ビール、ワインなどを調達。
アラモアナセンター ショッピングセンター
-
ちょっと和風の、アジフライのお弁当です。この他にフードコートでガーリックシュリンプをテイクアウトして帰りました。
4日目の活動はこれで終了、出費は102.64ドルでした。グランド ワイキキアン バイ ヒルトン グランド バケーションズ ホテル
-
5月31日(土) 旅行5日目です。
最初のお仕事はキャッシングから。ラグーン・タワーにATMがあり、そちらで出来ました。金額は300ドルまでで3ドルの手数料がかかります。帰国後の繰上返済の結果、カード会社の手数料(216円)を含めて1ドルあたり102.61円ということになりました。カードで支払った時のレートが103.5〜104.5円でしたから、やっぱりキャッシングがお得、ということになりますね。
その後、ホテルの敷地内の Lanikai Juice に行きます。朝食に、間食に。 by ko-nomoriさんラニカイ ジュース (ヒルトンハワイアンビレッジ店) カフェ
-
アサイーボウルです。9.27ドルでした。
朝食に、間食に。 by ko-nomoriさんラニカイ ジュース (ヒルトンハワイアンビレッジ店) カフェ
-
カップのアップ。
朝食に、間食に。 by ko-nomoriさんラニカイ ジュース (ヒルトンハワイアンビレッジ店) カフェ
-
まだあまり人が出ていないビーチサイドで頂きました。
-
この日はハワイ島への移動です。
何事もなくチェックアウトを済ませ、タクシーでホノルル空港の出発フロアにやって来たところです。ヒルトンからのレートは29ドル、1ドル足して30ドルお支払しました。ダニエル K イノウエ国際空港 / ホノルル国際空港 (HNL) 空港
-
ハワイアン航空の一般のチェックインは全て無人機、でも、親切な係員さんの手助けを受けて無事完了です。搭乗券と共に荷物のタグも発券されて、自分で付けてドロップしました。預託手荷物の番号が搭乗券に印刷されているのも合理的です。
ダニエル K イノウエ国際空港 / ホノルル国際空港 (HNL) 空港
-
続いて手荷物検査へ、並んだのは10分程だったでしょうか。PCは出すの?などと聞くと、「No.今日はスペシャル。」だそうでした。
ゲートを通ったところで呼び止められて、手のひらを2〜3回拭いた布を検査機にかけていました。サンプリングであたったのだそうですが、何の検査なのでしょう?ダニエル K イノウエ国際空港 / ホノルル国際空港 (HNL) 空港
-
すんなり来てしまったので、あとは出発ロビーで只管待ちました。空調が効いていて少し寒かったですね。
搭乗機はB717、ハワイアン航空は数多く使っている様でした。
この先の様子はハワイ島編に引継ぎます。
この日のここまでの出費は、39.27ドルでした。
引続きオワフ島の分として、帰りの日のトランジットの時の様子を並べます。ダニエル K イノウエ国際空港 / ホノルル国際空港 (HNL) 空港
-
6月4日(水) ハワイの最終日です。
コナからの飛行を終えてホノルル空港到着、ハワイアン航空のゲートからJALへはシャトルバスで移動でした。
乗場はロビーの建屋の屋上、行き方などは皆さん親切に教えてくれました。ダニエル K イノウエ国際空港 / ホノルル国際空港 (HNL) 空港
-
シャトル内の様子。
ダニエル K イノウエ国際空港 / ホノルル国際空港 (HNL) 空港
-
数分でJALのゲートに到着、搭乗機が見えていました。
ロビーのフロアに下りてゲートに向い、JALの分の搭乗券を発券してもらおうとしましたが、カウンターがまだ開いていないので手続できません。ラウンジは教えて貰えたのでそちらに向かいます。ダニエル K イノウエ国際空港 / ホノルル国際空港 (HNL) 空港
-
ラウンジの受付で搭乗券を発券して頂けました。更に、預託手荷物の控を確認されました。
ホノルル国際空港 JALサクララウンジ 空港ラウンジ
-
ラウンジでの手続きの結果なのでしょう、羽田で受取った荷物には priority のタグが付いていました。この仕事だけはJALを褒めて良いかな、と思いました。緑のタグはコナの空港で付けられたものです。
ホノルル国際空港 JALサクララウンジ 空港ラウンジ
-
ラウンジの様子です。空いていました。
ホノルル国際空港 JALサクララウンジ 空港ラウンジ
-
デリバリーはこんなもの。アルコールは別の場所ではありますが、アメリカ風のさっぱりしたものです。しかもJAL便が最後のサービスになる様で、6時頃には食べ物もアルコールもさっさと片付けられてしまいました。
搭乗券の発券以外は殆ど有り難さを感じられないラウンジです。ホノルル国際空港 JALサクララウンジ 空港ラウンジ
-
ラウンジを追い出される感じでゲートに向かいます。途中は窓ガラスが無いので、搭乗機を多少クリアに写せます。
ダニエル K イノウエ国際空港 / ホノルル国際空港 (HNL) 空港
-
なかなか搭乗になりませんでした。
ダニエル K イノウエ国際空港 / ホノルル国際空港 (HNL) 空港
-
帰りは非常口座席が取れたので足元だけは余裕です。ただ、この古びたB777機、エコノミー席でも前の方は新しくされていて、モニターなどもこの座った席以降のものよりひと回り大きいのでした。
席に着いても離陸まで1時間近く待ちました。積荷の配分のシステムが落ちた、と言う様なアナウンスがあります。実は私たちの荷物にタグを付けるのに手間取ったのかな、などとも思いました。ダニエル K イノウエ国際空港 / ホノルル国際空港 (HNL) 空港
-
お食事などはスルーで、、、
ダニエル K イノウエ国際空港 / ホノルル国際空港 (HNL) 空港
-
羽田着は40分程の遅れ。6月5日の夜も更けています。22:55 の蒲田行シャトルバスには乗れませんでしたが、雨にも降られずに無事帰宅しました。
癒したっぷりの10日間でした。
この旅行記のタグ
利用規約に違反している投稿は、報告する事ができます。
コメントを投稿する前に
十分に確認の上、ご投稿ください。 コメントの内容は攻撃的ではなく、相手の気持ちに寄り添ったものになっていますか?
サイト共通ガイドライン(利用上のお願い)報道機関・マスメディアの方へ 画像提供などに関するお問い合わせは、専用のお問い合わせフォームからお願いいたします。
この旅行で行ったホテル
この旅行で行ったスポット
もっと見る
この旅行で行ったグルメ・レストラン
旅の計画・記録
マイルに交換できるフォートラベルポイントが貯まる
フォートラベルポイントって?
0
98