プーケット旅行記(ブログ) 一覧に戻る
昨年に引き続き今年もタイのシミラン諸島で年始をダイビング三昧で過ごしました。<br /><br />予約するのが遅くなってなかなか良いクルーズがなかったのですが<br />e diveさんのクルーズに空きがあったので<br />日本人専用の船で行ってきました~<br /><br />http://www.edivekhaolak.com/<br /><br />海の外編はこちら<br />http://4travel.jp/traveler/loveharp/album/10739750/<br /><br />イーダイブさんのこの間のクルーズの様子はこちらです<br />http://ecruise.blog20.fc2.com/blog-entry-217.html

今年もシミラン・ダイビングクルーズ行っちゃいました~(海の中編)

32いいね!

2013/01/01 - 2013/01/07

605位(同エリア4576件中)

4

57

nana

nanaさん

昨年に引き続き今年もタイのシミラン諸島で年始をダイビング三昧で過ごしました。

予約するのが遅くなってなかなか良いクルーズがなかったのですが
e diveさんのクルーズに空きがあったので
日本人専用の船で行ってきました~

http://www.edivekhaolak.com/

海の外編はこちら
http://4travel.jp/traveler/loveharp/album/10739750/

イーダイブさんのこの間のクルーズの様子はこちらです
http://ecruise.blog20.fc2.com/blog-entry-217.html

旅行の満足度
5.0
同行者
カップル・夫婦
一人あたり費用
15万円 - 20万円
交通手段
タクシー 徒歩
航空会社
ANA
旅行の手配内容
個別手配
  • さて、一年ぶりのシミラン<br />今年も来ました。<br />最初は体ならしです。<br />さすが、魚が多い<br />写真撮り忘れたけどいきなりナポレオンくんに遭遇

    さて、一年ぶりのシミラン
    今年も来ました。
    最初は体ならしです。
    さすが、魚が多い
    写真撮り忘れたけどいきなりナポレオンくんに遭遇

  • クマノミちゃんもコンニチは

    クマノミちゃんもコンニチは

  • どひゃーというくらい360度魚だらけです。<br />スカシテンジクダイが埋め尽くします

    どひゃーというくらい360度魚だらけです。
    スカシテンジクダイが埋め尽くします

  • 気持ちいい〜<br />大きなウミウチワ〜すっぽり隠れるくらいの大きさです

    気持ちいい〜
    大きなウミウチワ〜すっぽり隠れるくらいの大きさです

  • ダイバーの横を通って行きます。<br />ロウニンアジやカスミアジも小魚狙ってウロウロしてます

    ダイバーの横を通って行きます。
    ロウニンアジやカスミアジも小魚狙ってウロウロしてます

  • ブワ〜ッ<br />スカシテンジクダイの群れはキラキラして綺麗です

    ブワ〜ッ
    スカシテンジクダイの群れはキラキラして綺麗です

  • 今回はナイトロックス講習受けました。

    今回はナイトロックス講習受けました。

  • この子可愛い

    この子可愛い

  • ムレハタタテダイもいっぱい群れてました

    ムレハタタテダイもいっぱい群れてました

  • アンダマンジョーフィッシュ<br />かわいいい〜そっと近づいて

    アンダマンジョーフィッシュ
    かわいいい〜そっと近づいて

  • わかるかな〜全面お魚だらけなんだけど

    わかるかな〜全面お魚だらけなんだけど

  • スカシテンジクダイの量が半端ないです

    スカシテンジクダイの量が半端ないです

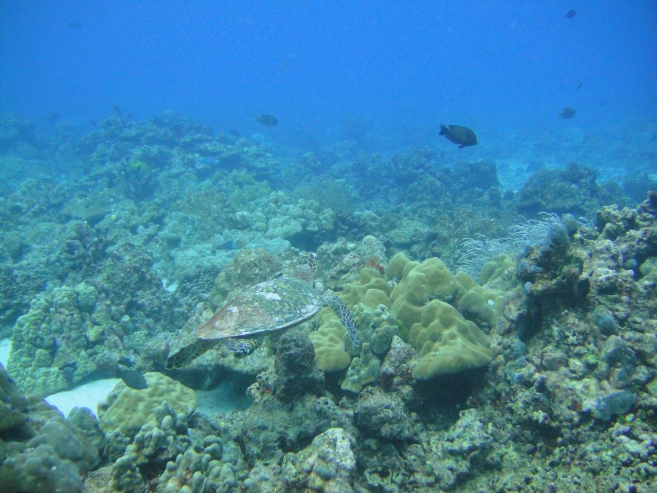
  • タイマイがのんびり泳いでます

    タイマイがのんびり泳いでます

  • しばし一緒に泳ぎます

    しばし一緒に泳ぎます

  • 安全停止中

    安全停止中

  • 分かりづらいけど大きなタコが隠れてます

    分かりづらいけど大きなタコが隠れてます

  • これなんだっけ?タイガー何とか??

    これなんだっけ?タイガー何とか??

  • いろんな種類のクマノミくんたちも見られます。

    いろんな種類のクマノミくんたちも見られます。

  • ハナダイギンポが顔を出してるのですが見えるかな?

    ハナダイギンポが顔を出してるのですが見えるかな?

  • マンタが出現<br />うまく撮れてませんでした(^_^;)<br />大きくって悠々と泳いでいたのですが…

    マンタが出現
    うまく撮れてませんでした(^_^;)
    大きくって悠々と泳いでいたのですが…

  • 昨年より余裕(笑)

    昨年より余裕(笑)

  • ツバメウオの群れは今回よく見られました。

    ツバメウオの群れは今回よく見られました。

  • 小魚狙って捕食風景は大迫力です。<br />写真では表現できないのが残念<br />カスミアジやロウニンアジがたくさんお食事中<br />バラクーダの群れもいました

    小魚狙って捕食風景は大迫力です。
    写真では表現できないのが残念
    カスミアジやロウニンアジがたくさんお食事中
    バラクーダの群れもいました

  • 迫力ですね〜大きい〜

    迫力ですね〜大きい〜

  • ツバメウオはこれでもかというくらい群れてて<br />人がいても気にしない

    ツバメウオはこれでもかというくらい群れてて
    人がいても気にしない

  • こんなに至近距離でも落ち着いて撮影できました

    こんなに至近距離でも落ち着いて撮影できました

  • 流れがきついので岩陰に隠れながら捕食風景を見てます

    流れがきついので岩陰に隠れながら捕食風景を見てます

  • 捕食風景はほんとに大迫力<br />動画で取れば良かった〜<br />

    捕食風景はほんとに大迫力
    動画で取れば良かった〜

  • 平気で近づいてくるツバメウオ達

    平気で近づいてくるツバメウオ達

  • アンダマン海固有のトマトアネモネフィッシュの幼魚<br />頭に白い筋がないのが大人です

    アンダマン海固有のトマトアネモネフィッシュの幼魚
    頭に白い筋がないのが大人です

  • エビちゃんがうじゃうじゃいます

    エビちゃんがうじゃうじゃいます

  • ウツボくんも

    ウツボくんも

  • エビを2匹従えてオーロラシュリンプコビー

    エビを2匹従えてオーロラシュリンプコビー

  • こちらのほうがはっきりわかるかな?

    こちらのほうがはっきりわかるかな?

  • 大きなウミウチワもいっぱい

    大きなウミウチワもいっぱい

  • カンムリブダイ<br />面白い顔です

    カンムリブダイ
    面白い顔です

  • ソフトコーラルもお魚もいっぱいで綺麗です

    ソフトコーラルもお魚もいっぱいで綺麗です

  • タイガーテールシーホース<br />昨年はあなたの年でしたね。お疲れ様です。<br />お疲れモードかな?なんだか元気ないね

    タイガーテールシーホース
    昨年はあなたの年でしたね。お疲れ様です。
    お疲れモードかな?なんだか元気ないね

  • トマトくん

    トマトくん

  • ソフトコーラルとイソギンチャク畑<br />癒されますね〜

    ソフトコーラルとイソギンチャク畑
    癒されますね〜

  • ウミウチワもとっても綺麗<br />うまく色が出なかったのが残念。<br />水中写真の取り方勉強しなきゃ

    ウミウチワもとっても綺麗
    うまく色が出なかったのが残念。
    水中写真の取り方勉強しなきゃ

  • 本当に綺麗なんです。<br />色がお伝えできなく残念です。

    本当に綺麗なんです。
    色がお伝えできなく残念です。

  • ゴーストパイプフィッシュ<br />わかります?真ん中に縦に浮かんでるやつ

    ゴーストパイプフィッシュ
    わかります?真ん中に縦に浮かんでるやつ

  • フリソデエビもいました

    フリソデエビもいました

  • ポーズとってみました(笑)

    ポーズとってみました(笑)

  • これは圧巻!<br />キンセンフエダイの群れの中に<br />360度囲まれてます。

    これは圧巻!
    キンセンフエダイの群れの中に
    360度囲まれてます。

  • こんなにいっぱいなのになぜか人間にぶつからない<br />不思議だ〜

    こんなにいっぱいなのになぜか人間にぶつからない
    不思議だ〜

  • 群れに飛び込む私〜<br />何とも言えない気持ち良さ

    群れに飛び込む私〜
    何とも言えない気持ち良さ

  • 今年のシミランも期待を裏切らなかった<br /><br />3月にもシミランクルーズの予約いれてしまった私<br />ハマってます<br /><br />写真がうまく撮れるように勉強しなきゃ!!<br />海の外の様子はこちらを見てくださいね<br />http://4travel.jp/traveler/loveharp/album/10739750/

    今年のシミランも期待を裏切らなかった

    3月にもシミランクルーズの予約いれてしまった私
    ハマってます

    写真がうまく撮れるように勉強しなきゃ!!
    海の外の様子はこちらを見てくださいね
    http://4travel.jp/traveler/loveharp/album/10739750/

この旅行記のタグ

関連タグ

32いいね!

利用規約に違反している投稿は、報告する事ができます。 問題のある投稿を連絡する

この旅行記へのコメント (4)

開く

閉じる

  • zzr-cさん 2013/01/18 16:16:52
    水中撮影
    nanaさま こんにちは!

    水中で色を出すのって難しいですよねぇ〜

    潜れば潜るほど青の世界になっちゃいますし…

    ってかインドネシアに行った時もそうでしたがやはり
    魚影が濃いですねぇ〜サイパン・グアムではこうも見れません。

    これってカクレクマノミですよね?
    沖縄でしか見た事なかったですが、ここにも居るんですね。

    ナイトロックスどうですか?
    やはり体への負担が少ないのは良いですね。

    ってか3月に予約を入れた…うらやまです(笑)

    じぃ〜

    nana

    nanaさん からの返信 2013/01/19 15:39:37
    RE: 水中撮影
    じぃ〜さま。こんにちは〜

    ほんとに水中で色を出すのは難しいです。
    青ばかりになってしまいますよね

    水深が浅いといいのですが・・・
    魚影はいつ行っても濃いですね。
    お魚に囲まれて幸せ〜〜になっちゃいます

    カクレクマノミはインド洋にはいろんな種類がいます
    ここでの固有種はトマトくんです

    ナイトロックスはどうなんでしょうかね〜
    あまり著しく違いは感じませんでしたが、
    終わってヘロヘロに疲れるということはあまりなかったように感じます

    ということは、やはり負担は少ないのでしょうか
    普通のボンベよりは長く潜れるのもいいですね。

    nana
  • マチャさん 2013/01/17 20:30:40
    海の中はいいね〜
    nanaさん、こんばんは。

    待ってました!海の中編。
    すごいですね。
    もう網持って潜りたいくらい(どんだけ魚が取れるんだろ?)

    海の中の楽しそうなnanaさんも満載でよかったわ〜
    メッチャ満喫している様子、伝わって来ました。

    アジアの海は濃いよね〜
    魚にグルグル巻かれたい!!!!!
    今年はどこに行けるかな?

    潜りたい病発病してます。

    マチャ



    nana

    nanaさん からの返信 2013/01/19 15:33:16
    RE: 海の中はいいね〜
    マチャさんこんにちは〜

    海の中いいでしょ〜?
    もっとカメラの腕がいいといいのだけど

    この間、新しいカメラとハウジング買いました。
    デジカメですが・・・今使ってるのよりはいいかと・・・

    でも最初はなれなくってやっぱり腕なのかな〜

    セブ島からのダイビングがすごいらしい。
    真っ黒なくらいの魚の群れに巻かれるらしいです
    行ってみた〜い

    nana

nanaさんのトラベラーページ

コメントを投稿する前に

十分に確認の上、ご投稿ください。 コメントの内容は攻撃的ではなく、相手の気持ちに寄り添ったものになっていますか?

サイト共通ガイドライン(利用上のお願い)

報道機関・マスメディアの方へ 画像提供などに関するお問い合わせは、専用のお問い合わせフォームからお願いいたします。

旅の計画・記録

マイルに交換できるフォートラベルポイントが貯まる
フォートラベルポイントって?

タイで使うWi-Fiはレンタルしましたか?

フォートラベル GLOBAL WiFiなら
タイ最安 300円/日~

  • 空港で受取・返却可能
  • お得なポイントがたまる

タイの料金プランを見る

フォートラベル公式LINE@

おすすめの旅行記や旬な旅行情報、お得なキャンペーン情報をお届けします!
QRコードが読み取れない場合はID「@4travel」で検索してください。

\その他の公式SNSはこちら/

タグから海外旅行記(ブログ)を探す

PAGE TOP