セブ島旅行記(ブログ) 一覧に戻る
今回、シャングリラマクタンを選んだ理由は<br />シュノーケルがプライベートビーチからエントリーできる唯一?!のホテルとの事で選びました。<br />お気楽に、疲れたら休んでもぐりたくなったらもぐる。<br />ぐーたらシュノーケラーな2人です♪<br />実際は台風の影響か風が強く、午前は透明度ありましたが、午後には濁り<br />波が強くなると言う状況でした。<br />でも、ニモやたくさんのお魚さんに癒されました。

2012 セブ島 シャングリアマクタン (ビーチシュノーケル編)

14いいね!

2012/09/22 - 2012/09/26

1953位(同エリア3947件中)

0

30

imorock

imorockさん

今回、シャングリラマクタンを選んだ理由は
シュノーケルがプライベートビーチからエントリーできる唯一?!のホテルとの事で選びました。
お気楽に、疲れたら休んでもぐりたくなったらもぐる。
ぐーたらシュノーケラーな2人です♪
実際は台風の影響か風が強く、午前は透明度ありましたが、午後には濁り
波が強くなると言う状況でした。
でも、ニモやたくさんのお魚さんに癒されました。

旅行の満足度
4.5
ホテル
5.0
グルメ
5.0
ショッピング
4.0
交通
4.0
同行者
カップル・夫婦
一人あたり費用
5万円 - 10万円
交通手段
タクシー
旅行の手配内容
ツアー(添乗員同行なし)
  • ポッツンとイソギンチャクが!!<br />この他、何箇所かニモいました。

    ポッツンとイソギンチャクが!!
    この他、何箇所かニモいました。

  • こちらは、ゴツゴツした珊瑚の近くに居たニモです。

    イチオシ

    こちらは、ゴツゴツした珊瑚の近くに居たニモです。

  • 家族で住んでるみたいに、大きさがお父さん、お母さん、子供<br />てな感じでいましたょ〜かわいい〜<br />次の日にも、ニモを探しましたが、濁っていて探せず。。。<br />動画を撮れば良かったと後悔。。。

    家族で住んでるみたいに、大きさがお父さん、お母さん、子供
    てな感じでいましたょ〜かわいい〜
    次の日にも、ニモを探しましたが、濁っていて探せず。。。
    動画を撮れば良かったと後悔。。。

  • この辺りに、クマノミ(ニモ)いました。<br />そんなに奥の方ではないので、よーくイソギンチャクを探してみてください。

    この辺りに、クマノミ(ニモ)いました。
    そんなに奥の方ではないので、よーくイソギンチャクを探してみてください。

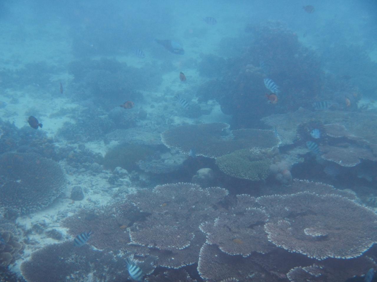
  • 奥に行くと、見事なテーブル珊瑚〜♪

    奥に行くと、見事なテーブル珊瑚〜♪

  • やたら、カメラに近づいてくる子です。<br />このしましま君が多かったです。

    やたら、カメラに近づいてくる子です。
    このしましま君が多かったです。

  • 餌付けをしたら、この有様。・・・<br />旦那くん、お魚に襲われいています。

    餌付けをしたら、この有様。・・・
    旦那くん、お魚に襲われいています。

  • でも、、近づいて

    でも、、近づいて

  • えさが無いのについてきます。<br />旦那が親玉になってます!!

    えさが無いのについてきます。
    旦那が親玉になってます!!

  • なんて、人懐っこい魚たち。・。・

    なんて、人懐っこい魚たち。・。・

  • ぽんつーん下、近くで体験ダイビングをしていました。

    ぽんつーん下、近くで体験ダイビングをしていました。

  • ハートリーフの小さい版発見?!

    ハートリーフの小さい版発見?!

  • シュノーケルに疲れたらカバナでのんびりの繰り返しをして過ごしました。<br />カバナは風か強いと設置されていなかったけど、スタッフに頼んだら設置してくれました♪

    シュノーケルに疲れたらカバナでのんびりの繰り返しをして過ごしました。
    カバナは風か強いと設置されていなかったけど、スタッフに頼んだら設置してくれました♪

  • 評判通り、お魚たくさんで楽しめました♪<br />人なつこい魚たち。・。・とっても、かわいかったです。<br />(餌付け以外のときは・・・汗)<br /><br />シャングリラでのシュノーケルおすすめです!!<br />長々とご覧頂きありがとうございました。<br />もう少し水中撮影勉強しま〜す!!<br />

    評判通り、お魚たくさんで楽しめました♪
    人なつこい魚たち。・。・とっても、かわいかったです。
    (餌付け以外のときは・・・汗)

    シャングリラでのシュノーケルおすすめです!!
    長々とご覧頂きありがとうございました。
    もう少し水中撮影勉強しま〜す!!

この旅行記のタグ

14いいね!

利用規約に違反している投稿は、報告する事ができます。 問題のある投稿を連絡する

コメントを投稿する前に

十分に確認の上、ご投稿ください。 コメントの内容は攻撃的ではなく、相手の気持ちに寄り添ったものになっていますか?

サイト共通ガイドライン(利用上のお願い)

報道機関・マスメディアの方へ 画像提供などに関するお問い合わせは、専用のお問い合わせフォームからお願いいたします。

旅の計画・記録

マイルに交換できるフォートラベルポイントが貯まる
フォートラベルポイントって?

フィリピンで使うWi-Fiはレンタルしましたか?

フォートラベル GLOBAL WiFiなら
フィリピン最安 356円/日~

  • 空港で受取・返却可能
  • お得なポイントがたまる

フィリピンの料金プランを見る

フォートラベル公式LINE@

おすすめの旅行記や旬な旅行情報、お得なキャンペーン情報をお届けします!
QRコードが読み取れない場合はID「@4travel」で検索してください。

\その他の公式SNSはこちら/

PAGE TOP