慶良間諸島旅行記(ブログ) 一覧に戻る
座間味島滞在3日目。いよいよ今晩帰宅します。<br />あっという間の2泊3日でしたが、自分が想像していた以上に『濃い』3日間となりました。<br /><br />最終日は“ウミガメちゃん探し&阿嘉島サイクリング・シュノーケリング”をしてみたいと思います♪<br /><br /><br />また下記は今回の1つ前と2つ前の旅行記になります↓<br />宜しければご覧ください。<br /><br />☆*:;;;;;;:*I L◎VE SUMMER 2012*:;;;;;;:*☆ <br />⑤エアアジアで沖縄へ! (座間味島旅行記Ⅰ)<br />http://4travel.jp/traveler/lovelybe0702/album/10699062/<br /><br />☆*:;;;;;;:*I L◎VE SUMMER 2012*:;;;;;;:*☆ <br />⑥楽園、座間味島を知る (座間味島旅行記Ⅱ)<br />http://4travel.jp/traveler/lovelybe0702/album/10699260/

☆*:;;;;;;:*I L◎VE SUMMER 2012*:;;;;;;:*☆ ⑦願叶った阿真ビーチ (座間味島旅行記Ⅲ)

76いいね!

2012/08/18 - 2012/08/20

98位(同エリア1668件中)

10

75

りぃべ

りぃべさん

座間味島滞在3日目。いよいよ今晩帰宅します。
あっという間の2泊3日でしたが、自分が想像していた以上に『濃い』3日間となりました。

最終日は“ウミガメちゃん探し&阿嘉島サイクリング・シュノーケリング”をしてみたいと思います♪


また下記は今回の1つ前と2つ前の旅行記になります↓
宜しければご覧ください。

☆*:;;;;;;:*I L◎VE SUMMER 2012*:;;;;;;:*☆ 
⑤エアアジアで沖縄へ! (座間味島旅行記Ⅰ)
http://4travel.jp/traveler/lovelybe0702/album/10699062/

☆*:;;;;;;:*I L◎VE SUMMER 2012*:;;;;;;:*☆ 
⑥楽園、座間味島を知る (座間味島旅行記Ⅱ)
http://4travel.jp/traveler/lovelybe0702/album/10699260/

同行者
一人旅
一人あたり費用
5万円 - 10万円
交通手段
高速・路線バス タクシー JALグループ 徒歩 バニラエア
旅行の手配内容
個別手配
  • おはようございます。時刻は朝の6:30になります。<br /><br />6時に起きて着替えて早速宿から徒歩2分の阿真ビーチに到着です。<br />今からこの度最大の目的である“ウミガメちゃんに会う”べく潜ってみたいと思います!

    おはようございます。時刻は朝の6:30になります。

    6時に起きて着替えて早速宿から徒歩2分の阿真ビーチに到着です。
    今からこの度最大の目的である“ウミガメちゃんに会う”べく潜ってみたいと思います!

  • ひぃぃ〜… 冷たいっっ(((p´д`q)))<br />でも頑張ってウミガメちゃんを探します!!<br /><br /><br />サンゴもお魚もほとんどいない海。 <br />なかなかウミガメちゃんは見当たりません。。

    ひぃぃ〜… 冷たいっっ(((p´д`q)))
    でも頑張ってウミガメちゃんを探します!!


    サンゴもお魚もほとんどいない海。 
    なかなかウミガメちゃんは見当たりません。。

  • 『あ”―――$◎×#▽%■=!!!!!!』<br /><br /><br />シュノーケルをつけているにもかかわらず、思わず『あ”−!!』なんて叫んでしまったもんだから途中で海水が気管支に入ってしまい後半は宇宙語になってしまいました…

    『あ”―――$◎×#▽%■=!!!!!!』


    シュノーケルをつけているにもかかわらず、思わず『あ”−!!』なんて叫んでしまったもんだから途中で海水が気管支に入ってしまい後半は宇宙語になってしまいました…

  • 足のつかない所でゲホゲホむせ、目も白黒させ、長い髪を振り乱した自分はどっからどーみても“ドザエモン”…<br /><br />でもドザエモンにとっては願い叶ったこの瞬間!!<br />逃すワケにはいかないので必死でウミガメちゃんを追っかけます!!

    足のつかない所でゲホゲホむせ、目も白黒させ、長い髪を振り乱した自分はどっからどーみても“ドザエモン”…

    でもドザエモンにとっては願い叶ったこの瞬間!!
    逃すワケにはいかないので必死でウミガメちゃんを追っかけます!!

  • シュノーケルの筒からは『ゼェーゼェー』不気味な呼吸音が漏れ、ウミガメちゃんのストーカーをするドザエモン。。<br /><br /><br />これが江の島だったら即ケーサツに尋問される所ですが、ウミガメちゃんはキモがって逃げる事もなく、のぉんびり泳いでおります。。

    イチオシ

    シュノーケルの筒からは『ゼェーゼェー』不気味な呼吸音が漏れ、ウミガメちゃんのストーカーをするドザエモン。。


    これが江の島だったら即ケーサツに尋問される所ですが、ウミガメちゃんはキモがって逃げる事もなく、のぉんびり泳いでおります。。

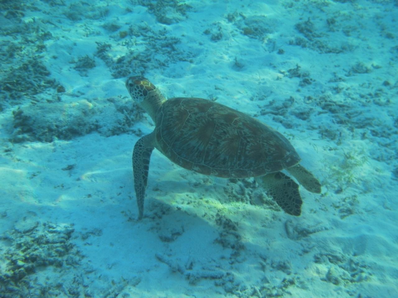
  • <br /><br />グヒヒ♪ だいぶ“お近づき”になれました☆☆

    イチオシ



    グヒヒ♪ だいぶ“お近づき”になれました☆☆

  • ちなみに写真だと分かりにくいカモしれませんが、このウミガメちゃんは女の子です!<br /><br />↑なぜ断言できるかというと、ウミガメちゃんの♂♀は“しっぽの長さ”で判断できるからです。 オスだとしっぽが後ろのヒレと同じくらいの長さになるのに対し、メスだと甲羅からちょっと出ている位なのがポイントです。<br /><br />もし海や水族館でウミガメちゃんを見かける機会がありましたら是非チェックしてみてください♪

    ちなみに写真だと分かりにくいカモしれませんが、このウミガメちゃんは女の子です!

    ↑なぜ断言できるかというと、ウミガメちゃんの♂♀は“しっぽの長さ”で判断できるからです。 オスだとしっぽが後ろのヒレと同じくらいの長さになるのに対し、メスだと甲羅からちょっと出ている位なのがポイントです。

    もし海や水族館でウミガメちゃんを見かける機会がありましたら是非チェックしてみてください♪

  • <br />あ!どうやらウミガメちゃんは“朝ゴハン”を発見したようで、泳ぐのを止めてモグモグしはじめました♪


    あ!どうやらウミガメちゃんは“朝ゴハン”を発見したようで、泳ぐのを止めてモグモグしはじめました♪

  • <br />ほほぅ… こんな感じでモグモグしてるんだねぇ♪<br /><br /><br />いま食べているのは藻のようです。。


    ほほぅ… こんな感じでモグモグしてるんだねぇ♪


    いま食べているのは藻のようです。。

  • <br />…にしても泳ぐフォームといい、モグモグ食べる姿といい、本当におっとりしていてカワイイです♪


    …にしても泳ぐフォームといい、モグモグ食べる姿といい、本当におっとりしていてカワイイです♪

  • <br />おっ? 移動かな??


    おっ? 移動かな??

  • 『アンタ、いつまでストーカーするさぁ!!』<br /><br /><br />…と言ったか言わんか分かりませんが(苦笑)確かに食事中ガン見されても喰った気がしないかと思い、ドザエモンは少し離れた所から見届ける事に致しました。

    イチオシ

    『アンタ、いつまでストーカーするさぁ!!』


    …と言ったか言わんか分かりませんが(苦笑)確かに食事中ガン見されても喰った気がしないかと思い、ドザエモンは少し離れた所から見届ける事に致しました。

  • ドザエモンが去って一安心したのか(涙)ウミガメちゃんは再び同じ場所でモグモグTIMEの再開です。<br /><br /><br />ちょっと小さいのでよく分からないカモしれませんが、写真のほぼど真ん中でモグモグしており、遠くから愛でた後宿に戻りました。。

    ドザエモンが去って一安心したのか(涙)ウミガメちゃんは再び同じ場所でモグモグTIMEの再開です。


    ちょっと小さいのでよく分からないカモしれませんが、写真のほぼど真ん中でモグモグしており、遠くから愛でた後宿に戻りました。。

  • <br />この旅最大の目的が達成できて本当にウハウハな気分で宿に戻ると、まだサガリバナが咲いておりました!<br /><br />でも地面にはけっこう花が落ちており、こーして愛でる事ができるのもあと数時間かと思うとなんだか切なくなりました…


    この旅最大の目的が達成できて本当にウハウハな気分で宿に戻ると、まだサガリバナが咲いておりました!

    でも地面にはけっこう花が落ちており、こーして愛でる事ができるのもあと数時間かと思うとなんだか切なくなりました…

  • シャワーを浴びた後、内線電話で朝食の連絡が入りました。<br /><br />夕食もそうでしたがパティオさん(今回の宿泊先)では食事の支度が出来ると内線電話で食堂まで呼び出しがかかります。<br /><br />朝食はいろいろなオカズがあって美味しく頂きました。<br /><br />

    シャワーを浴びた後、内線電話で朝食の連絡が入りました。

    夕食もそうでしたがパティオさん(今回の宿泊先)では食事の支度が出来ると内線電話で食堂まで呼び出しがかかります。

    朝食はいろいろなオカズがあって美味しく頂きました。

  • 9時過ぎにチェックアウトをして9:35発の村内バスで阿真ビーチから座間味港へ向かいました。10時発のクイーンざまみ?で阿嘉島を目指します。写真は座間味港のフェリーのりばです。<br /><br />今回宿泊したパティオさんはHPだと7500円(1泊)となっていたのですが7000円で済みました。 オマケして頂いたのは聞かなかったので分かりませんが、次回座間味に宿泊する時は是非またパティオさんに泊まりたいです! 

    9時過ぎにチェックアウトをして9:35発の村内バスで阿真ビーチから座間味港へ向かいました。10時発のクイーンざまみ?で阿嘉島を目指します。写真は座間味港のフェリーのりばです。

    今回宿泊したパティオさんはHPだと7500円(1泊)となっていたのですが7000円で済みました。 オマケして頂いたのは聞かなかったので分かりませんが、次回座間味に宿泊する時は是非またパティオさんに泊まりたいです! 

  • 座間味島⇔阿嘉島間は15分程で到着するのでチケットは当日購入する形になります。<br /><br />村内航路“みつしま”にて1日6便ありますが、タイミングが合えばクイーンざまみ?やフェリーざまみで行くことも可能です。運賃は全て片道300円になります。<br /><br />発着時間などの詳細はこちらになります↓<br />http://www.vill.zamami.okinawa.jp/village.aspx?RL=R&amp;LK=141

    座間味島⇔阿嘉島間は15分程で到着するのでチケットは当日購入する形になります。

    村内航路“みつしま”にて1日6便ありますが、タイミングが合えばクイーンざまみ?やフェリーざまみで行くことも可能です。運賃は全て片道300円になります。

    発着時間などの詳細はこちらになります↓
    http://www.vill.zamami.okinawa.jp/village.aspx?RL=R&LK=141

  • <br />10:45分。クイーンざまみ?がやってきました。<br /><br />丸1日前に私が座間味島にやってきた船です。


    10:45分。クイーンざまみ?がやってきました。

    丸1日前に私が座間味島にやってきた船です。

  • <br />船内が混んでいたので2Fのデッキに乗る事にしました。<br /><br />船が出港すると島の皆様が岸壁で元気イッパイ手を振ってくれております。


    船内が混んでいたので2Fのデッキに乗る事にしました。

    船が出港すると島の皆様が岸壁で元気イッパイ手を振ってくれております。

  • <br />(´;ω;`)ウッ・・<br /><br />座間味島ありがとう!!!<br />絶対また来ます!!


    (´;ω;`)ウッ・・

    座間味島ありがとう!!!
    絶対また来ます!!

  • <br />美しい無人島のビーチを愛でながら進むこと事15分…


    美しい無人島のビーチを愛でながら進むこと事15分…

  • <br />阿嘉大橋が見えてきました!<br />もうすぐ到着です。


    阿嘉大橋が見えてきました!
    もうすぐ到着です。

  • <br />阿嘉島に到着すると直ぐに私が一目拝みたかった映画『マリリンに逢いたい』のシロの像が現れました!<br /><br />やはり映画の主役のせいか、こころなしかマリリンの像より立派な印象を受けました。<br /><br />いゃあ…凛々しい御姿でした!


    阿嘉島に到着すると直ぐに私が一目拝みたかった映画『マリリンに逢いたい』のシロの像が現れました!

    やはり映画の主役のせいか、こころなしかマリリンの像より立派な印象を受けました。

    いゃあ…凛々しい御姿でした!

  • その後歩く事3分程で阿嘉島で唯一のスーパー、辰登城(たつのじょう)さんに到着しました。 ここで自転車を借りて阿嘉島散策&ニシハマビーチまで行く事にしました。辰登城さんは1Fがスーパー、2F以上が民宿になっております。<br /><br />レンタル料は借りる時間によっても違いますが、私はあまりセカセカしたくなかったので【1日レンタル1000円】で借りる事にしました。<br /><br /><br /><br />レンタル&宿泊料金はこちらになります↓<br />http://tatsunojo.jimdo.com/料金ご案内/

    その後歩く事3分程で阿嘉島で唯一のスーパー、辰登城(たつのじょう)さんに到着しました。 ここで自転車を借りて阿嘉島散策&ニシハマビーチまで行く事にしました。辰登城さんは1Fがスーパー、2F以上が民宿になっております。

    レンタル料は借りる時間によっても違いますが、私はあまりセカセカしたくなかったので【1日レンタル1000円】で借りる事にしました。



    レンタル&宿泊料金はこちらになります↓
    http://tatsunojo.jimdo.com/料金ご案内/

  • <br />それでは借りた自転車で先ず阿嘉大橋を渡ります!


    それでは借りた自転車で先ず阿嘉大橋を渡ります!

  • <br />阿嘉大橋を渡ると早速先ほど船が着いたフェリー乗り場とシロの像が見えます。<br /><br />さっきまでそこそこ人がいたのにもう閑散としています。。


    阿嘉大橋を渡ると早速先ほど船が着いたフェリー乗り場とシロの像が見えます。

    さっきまでそこそこ人がいたのにもう閑散としています。。

  • <br />阿嘉大橋のちょうど真ん中あたりにやってきました。<br /><br />これはお借りした自転車です。<br />カギがなくてビックリしましたが、そんなのは必要ない位平和な島ということなのかもしれませんネ♪

    イチオシ


    阿嘉大橋のちょうど真ん中あたりにやってきました。

    これはお借りした自転車です。
    カギがなくてビックリしましたが、そんなのは必要ない位平和な島ということなのかもしれませんネ♪

  • <br />そして大橋の下を覗くと。。<br /><br />わぁ〜… 眩しいエメラルドのグラデーション…<br />運が良ければ橋の下をくぐるウミガメちゃんが見られるそうです!<br /><br /><br /><br /><br />私がいた時はナポレオンフィッシュのような大きな青いお魚を見る事ができました♪

    イチオシ


    そして大橋の下を覗くと。。

    わぁ〜… 眩しいエメラルドのグラデーション…
    運が良ければ橋の下をくぐるウミガメちゃんが見られるそうです!




    私がいた時はナポレオンフィッシュのような大きな青いお魚を見る事ができました♪

  • <br />ではでは大橋を渡りもう少し進んでみたいと思います。<br /><br />めっちゃ炎天下なので頭にタオルを巻いてサングラス…と、道すがら誰もいないのをイイことに“似非(えせ)ガテン系”なイデタチで自転車をこぎます。。


    ではでは大橋を渡りもう少し進んでみたいと思います。

    めっちゃ炎天下なので頭にタオルを巻いてサングラス…と、道すがら誰もいないのをイイことに“似非(えせ)ガテン系”なイデタチで自転車をこぎます。。

  • <br />今度は大橋からすこし先の浜辺で阿嘉大橋を撮ってみました。<br />ここでも十分泳げるとは思うのですが…


    今度は大橋からすこし先の浜辺で阿嘉大橋を撮ってみました。
    ここでも十分泳げるとは思うのですが…

  • <br />ちょっとゴツゴツした石が多いかもしれません。。


    ちょっとゴツゴツした石が多いかもしれません。。

  • <br />さらに先に進んでみたのですが時計は11時をまわり、体力の温存のためにも引き返してランチ→ニシハマビーチへ行く事にしました。<br />


    さらに先に進んでみたのですが時計は11時をまわり、体力の温存のためにも引き返してランチ→ニシハマビーチへ行く事にしました。

  • <br />阿嘉島の地図を確認してフェリー乗り場から徒歩5分位のお店に入り、ランチにしました。<br /><br />メニューがソーキソバ・タコライス・カレーしかなかったのでソーキソバを頼んだのですが今回の旅で唯一『ん〜…』という感じでした。 お肉が固かったり、麺が半生だったり…(涙)<br /><br /><br />もしかしたらタコライスやカレーは美味しいカモしれません。でも悩んだ末、店名はちょっと伏せさせていただきます。スミマセン…


    阿嘉島の地図を確認してフェリー乗り場から徒歩5分位のお店に入り、ランチにしました。

    メニューがソーキソバ・タコライス・カレーしかなかったのでソーキソバを頼んだのですが今回の旅で唯一『ん〜…』という感じでした。 お肉が固かったり、麺が半生だったり…(涙)


    もしかしたらタコライスやカレーは美味しいカモしれません。でも悩んだ末、店名はちょっと伏せさせていただきます。スミマセン…

  • 腹ごしらえも済み、いよいよニシハマビーチへ出発です!<br /><br /><br />自転車をこぐ事10分。ビーチ手前にあるお店に着きました。ニシハマビーチ付近のお店は写真のお店以外ありませんでした。(私が見る限りですが。。)

    腹ごしらえも済み、いよいよニシハマビーチへ出発です!


    自転車をこぐ事10分。ビーチ手前にあるお店に着きました。ニシハマビーチ付近のお店は写真のお店以外ありませんでした。(私が見る限りですが。。)

  • よく見ると1つの建物に2つのお店が入っていました。<br /><br /><br />大きな荷物は辰登城さんで預かってもらったのですが、貴重品はそーゆーわけにもいかないので写真右のハナムロカフェさんの貸ロッカー(300円)で預かってもらう事にしました。

    よく見ると1つの建物に2つのお店が入っていました。


    大きな荷物は辰登城さんで預かってもらったのですが、貴重品はそーゆーわけにもいかないので写真右のハナムロカフェさんの貸ロッカー(300円)で預かってもらう事にしました。

  • それから写真左のお店で1人用テント(500円)をお借りしました。<br /><br />どちらのお店もシュノーケルセットの貸し出しや飲食の販売もしているみたいです。 また“ゴーヤカレー”なるものを発見した時は『なんでここでランチにしなかったのか!!』と大後悔しました…(涙)

    それから写真左のお店で1人用テント(500円)をお借りしました。

    どちらのお店もシュノーケルセットの貸し出しや飲食の販売もしているみたいです。 また“ゴーヤカレー”なるものを発見した時は『なんでここでランチにしなかったのか!!』と大後悔しました…(涙)

  • <br />それではニシハマビーチへ向かいたいと思います。<br /><br />ライフセイバーの方が『初めてですが?』訪ねてくるとココのビーチの潮の流れなどレクチャーしてくれました! 何も知らずに泳ぐ危険を考えるととてもありがたいです。


    それではニシハマビーチへ向かいたいと思います。

    ライフセイバーの方が『初めてですが?』訪ねてくるとココのビーチの潮の流れなどレクチャーしてくれました! 何も知らずに泳ぐ危険を考えるととてもありがたいです。

  • <br />ビーチに着くとテキトーなスペースを見つけ、早速テントを広げます。<br /><br />この丸いのがそうなんですが、この丸いカバーを開けると『バーン』とテントが広がるのでとっても便利でした!


    ビーチに着くとテキトーなスペースを見つけ、早速テントを広げます。

    この丸いのがそうなんですが、この丸いカバーを開けると『バーン』とテントが広がるのでとっても便利でした!

  • <br />…これが『バーン』の後です。<br /><br />う〜ん♪帰ったら購入したいアイテムです(´∀`d)


    …これが『バーン』の後です。

    う〜ん♪帰ったら購入したいアイテムです(´∀`d)

  • <br />それでは,行ってまいります(*&#39;v`*)ゞ

    イチオシ


    それでは,行ってまいります(*'v`*)ゞ

  • <br />潜水すると早速スズメダイさん達が気持ちよさそうに泳いております<br /><br /><br />


    潜水すると早速スズメダイさん達が気持ちよさそうに泳いております


  • <br />そして近くにはスジブダイさんがサンゴをカリカリ。。<br /><br />群で移動しながら岩をかじっている事が多いみたいですが、私がみた時はいづれも1匹で地面をカリカリしておりましたww


    そして近くにはスジブダイさんがサンゴをカリカリ。。

    群で移動しながら岩をかじっている事が多いみたいですが、私がみた時はいづれも1匹で地面をカリカリしておりましたww

  • <br />&gt;゚)##&gt;&lt;『めんそ〜れ★』<br /><br />って言ってそーな口元のムラサメモンガラちゃん♪<br /><br />岸近くの浅い岩や荒いサンゴの上でよく見かけられるお魚さんだそうです。…にしてもカラフルだねぇ、キミ☆

    イチオシ


    >゚)##><『めんそ〜れ★』

    って言ってそーな口元のムラサメモンガラちゃん♪

    岸近くの浅い岩や荒いサンゴの上でよく見かけられるお魚さんだそうです。…にしてもカラフルだねぇ、キミ☆

  • <br />紫のキレイなサンゴにミスジリュウキュウスズメダイさんがいました!(白黒のお魚さんです)<br /><br /><br />ミスジさんの他に、筋が四つあるヨスジ、二つあるフタスジと、とてもわかりやすいネーミングのスズメダイさんがいるようです。


    紫のキレイなサンゴにミスジリュウキュウスズメダイさんがいました!(白黒のお魚さんです)


    ミスジさんの他に、筋が四つあるヨスジ、二つあるフタスジと、とてもわかりやすいネーミングのスズメダイさんがいるようです。

  • <br />30分程泳くと、ちょっと雲が出てきたのでしばし休憩いたします☆☆<br />(´-ω-`)zzz<br /><br />するとどこからともなく『ウミヘビ見たぁ〜!』なんて声が聞こえたのでギョッとしました…<br />ヘビは元々大好きなのですが、おとといイラブー(ウミヘビ)汁を食べたので、万が一ウミヘビちゃんに会ったら『アンタ、マブタチのニオイがする!!』なんて思われて狙われないかちょっと心配になりました(苦笑)


    30分程泳くと、ちょっと雲が出てきたのでしばし休憩いたします☆☆
    (´-ω-`)zzz

    するとどこからともなく『ウミヘビ見たぁ〜!』なんて声が聞こえたのでギョッとしました…
    ヘビは元々大好きなのですが、おとといイラブー(ウミヘビ)汁を食べたので、万が一ウミヘビちゃんに会ったら『アンタ、マブタチのニオイがする!!』なんて思われて狙われないかちょっと心配になりました(苦笑)

  • <br />1時間程まったりした後、再びお日様が顔を出してきたので今度はちょっと沖の方へ行ってみます。<br /><br />ニシハマは遠浅で沖の方にはテーブルサンゴがたくさんありました!


    1時間程まったりした後、再びお日様が顔を出してきたので今度はちょっと沖の方へ行ってみます。

    ニシハマは遠浅で沖の方にはテーブルサンゴがたくさんありました!

  • わっ! 『ザマミ・デラックス』だっ!!<br /><br />…いえ、第一印象でそう思っただけです(笑) 見た目がその…“アノ方”に似ていたのでww<br /><br />ちなみにお名前はモンガラカワハギさんで、沖縄ではウェーカタヌメーカーハジャー(!!)という見た目も名前もインパクト大!のお魚さんです☆☆<br /><br />普段はやや深い場所にいるのでシュノーケリングではあまり見かけないお魚さんなんだそーですが、ニシハマはそんなに深くないので何か用事でもあったのでしょーか??

    わっ! 『ザマミ・デラックス』だっ!!

    …いえ、第一印象でそう思っただけです(笑) 見た目がその…“アノ方”に似ていたのでww

    ちなみにお名前はモンガラカワハギさんで、沖縄ではウェーカタヌメーカーハジャー(!!)という見た目も名前もインパクト大!のお魚さんです☆☆

    普段はやや深い場所にいるのでシュノーケリングではあまり見かけないお魚さんなんだそーですが、ニシハマはそんなに深くないので何か用事でもあったのでしょーか??

  • <br />こんどは黄色いサンゴを発見しました。<br /><br />やはりサンゴはお魚さん達に大人気です!


    こんどは黄色いサンゴを発見しました。

    やはりサンゴはお魚さん達に大人気です!

  • <br />黄色いサンゴの周りを泳ぐお魚さんを観察しているとホンソメワケベラちゃんがドザエモンのふやけた皮膚をクリーニングしはじめました!<br /><br />主に他の魚の皮膚についた寄生虫を食べる魚として有名だそーですが、ということは私の体に寄生虫が。。


    黄色いサンゴの周りを泳ぐお魚さんを観察しているとホンソメワケベラちゃんがドザエモンのふやけた皮膚をクリーニングしはじめました!

    主に他の魚の皮膚についた寄生虫を食べる魚として有名だそーですが、ということは私の体に寄生虫が。。

  • よっぽど寄生虫がへばりついているのか(涙)ホンソメちゃんはどんどんメガトン級の太さを誇る太ももの方へ…!<br />あっ、ちょっと…そこから上は…あ”〜っっ!!!(←悶絶)<br /><br /><br />≪ ニシハマで <br />        エロス感じる <br />               夏の海 ≫ <br /><br /><br />…失礼致しました。

    よっぽど寄生虫がへばりついているのか(涙)ホンソメちゃんはどんどんメガトン級の太さを誇る太ももの方へ…!
    あっ、ちょっと…そこから上は…あ”〜っっ!!!(←悶絶)


    ≪ ニシハマで 
            エロス感じる 
                   夏の海 ≫ 


    …失礼致しました。

  • 悶絶しながらもホンソメちゃんにキレーにして頂き、ツルツルの脚になって泳いでいると、なななナント! テーブルサンゴの中お魚ちゃんが…<br /><br />・:*:・:チュ――(*´-з)ε-`*)――ゥ:・:*:・<br /><br />私が一人だからって…(涙)<br />キィィィ──ヾ(#`Д´#)ノ──!!<br />切ないケド、貴重な1ショット頂きました♪

    悶絶しながらもホンソメちゃんにキレーにして頂き、ツルツルの脚になって泳いでいると、なななナント! テーブルサンゴの中お魚ちゃんが…

    ・:*:・:チュ――(*´-з)ε-`*)――ゥ:・:*:・

    私が一人だからって…(涙)
    キィィィ──ヾ(#`Д´#)ノ──!!
    切ないケド、貴重な1ショット頂きました♪

  • <br />あ! こっちには昨日古座間味ビーチで出会ったニモちゃんがいます!<br /><br />そして、そばには。。


    あ! こっちには昨日古座間味ビーチで出会ったニモちゃんがいます!

    そして、そばには。。

  • <br />愛らしいチビニモちゃんがたくさんいました!!<br /><br />どーやらこの黄色いイソギンチャクがおうちみたいですね♪


    愛らしいチビニモちゃんがたくさんいました!!

    どーやらこの黄色いイソギンチャクがおうちみたいですね♪

  • <br />こーしてシュノーケリングをすること2時間。<br /><br />元々海が大好きで、いままで色々なビーチへ行ってきたのですが、足の着くところでこんなにたくさんのお魚を見たのは初めてでした。<br /><br /><br />・:*:・:最 (b゚ェ゚*) 高:・:*:・


    こーしてシュノーケリングをすること2時間。

    元々海が大好きで、いままで色々なビーチへ行ってきたのですが、足の着くところでこんなにたくさんのお魚を見たのは初めてでした。


    ・:*:・:最 (b゚ェ゚*) 高:・:*:・

  • <br />時間は15時過ぎ。<br /><br />そろそろ着替えてフェリー乗り場に向かいたいと思います。


    時間は15時過ぎ。

    そろそろ着替えてフェリー乗り場に向かいたいと思います。

  • 上の写真の階段反対側にシャワー室があります。(赤い三角屋根の建物です)100円で3分間使用できます。<br /><br />ちなみに手前に止まっているワゴン車は阿嘉島唯一のタクシーで、運転手のオジサンは口を開けてキモチよさそうに寝ておりましたww<br /><br />私も阿嘉島でタクシーやろうかな(笑)

    上の写真の階段反対側にシャワー室があります。(赤い三角屋根の建物です)100円で3分間使用できます。

    ちなみに手前に止まっているワゴン車は阿嘉島唯一のタクシーで、運転手のオジサンは口を開けてキモチよさそうに寝ておりましたww

    私も阿嘉島でタクシーやろうかな(笑)

  • <br />また階段のそばは自転車置き場になっていたのですが、私はロッカーをお借りしたハナムロ・カフェさんの近くに止めていました。<br /><br />“カギなしチャリ”だったので人目につく場所に止めた方がイイかなと…


    また階段のそばは自転車置き場になっていたのですが、私はロッカーをお借りしたハナムロ・カフェさんの近くに止めていました。

    “カギなしチャリ”だったので人目につく場所に止めた方がイイかなと…

  • シャワーを浴びてサッパリした所で、まだ時間があったのでハナムロ・カフェさんにてアイス・カチャン(480円)を頂きました。<br /><br />アイス・カチャン… この名前、マレーシアで売られているかき氷の名前です。 カチャンがマレー語で豆なんですが、氷の中に豆やゼリーやコーンが入っているんです! ココで頂いたアイス・カチャンにもラズベリーやマンゴー、バニラアイスetcとってもフルーティーな“具材”が入っていて美味しかったです♪

    シャワーを浴びてサッパリした所で、まだ時間があったのでハナムロ・カフェさんにてアイス・カチャン(480円)を頂きました。

    アイス・カチャン… この名前、マレーシアで売られているかき氷の名前です。 カチャンがマレー語で豆なんですが、氷の中に豆やゼリーやコーンが入っているんです! ココで頂いたアイス・カチャンにもラズベリーやマンゴー、バニラアイスetcとってもフルーティーな“具材”が入っていて美味しかったです♪

  • <br />それでは、ニシハマビーチ&アイス・カチャンを満喫して自転車をお借りした辰登城(たつのじょう)さんを目指します。<br /><br /><br /><br /><br />行けども誰にも会わないので途中の下り坂を全速で駆け下ります!<br />気分爽快デス ((8-( ノ゚ェ゚)ノ<br /><br />


    それでは、ニシハマビーチ&アイス・カチャンを満喫して自転車をお借りした辰登城(たつのじょう)さんを目指します。




    行けども誰にも会わないので途中の下り坂を全速で駆け下ります!
    気分爽快デス ((8-( ノ゚ェ゚)ノ

  • <br />16時。 辰登城(たつのじょう)さんで自転車を返却し、フェリーのりば傍の待合室でのんびり待つことにしました。<br /><br />実は私はクイーンざまみ?の往復チケットを座間味島発着で買っていたのですが、フェリーのりばの方に『阿嘉島から乗っての大丈夫ですか?』と確認したところOKでした。 発着時間さえ気をつけていれば問題ないみたいです。


    16時。 辰登城(たつのじょう)さんで自転車を返却し、フェリーのりば傍の待合室でのんびり待つことにしました。

    実は私はクイーンざまみ?の往復チケットを座間味島発着で買っていたのですが、フェリーのりばの方に『阿嘉島から乗っての大丈夫ですか?』と確認したところOKでした。 発着時間さえ気をつけていれば問題ないみたいです。

  • また待合室には阿嘉島小学校の子どもたちが書いた新聞が貼ってありました。<br /><br />内容は天然記念物ケラマジカの好きな食べ物・嫌いな食べ物等、大人顔負けの立派な内容の記事が載っておりました!<br /><br />阿嘉島に行ったら必見です☆☆

    また待合室には阿嘉島小学校の子どもたちが書いた新聞が貼ってありました。

    内容は天然記念物ケラマジカの好きな食べ物・嫌いな食べ物等、大人顔負けの立派な内容の記事が載っておりました!

    阿嘉島に行ったら必見です☆☆

  • 17:15分。 クイーンざまみ?がやってきました。<br /><br /><br />とうとう阿嘉島、そして沖縄ともお別れです…

    17:15分。 クイーンざまみ?がやってきました。


    とうとう阿嘉島、そして沖縄ともお別れです…

  • <br />フェリーの切符売り場の方が接岸準備の為スタンバってます!


    フェリーの切符売り場の方が接岸準備の為スタンバってます!

  • <br />おっ! デッキにそこそこ人がおりますねぇ〜☆<br />復路は2Fのデッキに行って景色を眺めることにしました。<br /><br />d(-ω・*)


    おっ! デッキにそこそこ人がおりますねぇ〜☆
    復路は2Fのデッキに行って景色を眺めることにしました。

    d(-ω・*)

  • <br />17:20分。阿嘉島を出発し、50分かけて那覇、泊港へ向かいます。<br /><br />


    17:20分。阿嘉島を出発し、50分かけて那覇、泊港へ向かいます。

  • <br />ありがとう阿嘉島…<br />ここも絶対また来ます!!!<br /><br /><br />。・゚・(*/□\*)・゚・。ウワァーン


    ありがとう阿嘉島…
    ここも絶対また来ます!!!


    。・゚・(*/□\*)・゚・。ウワァーン

  • <br />小さな慶良間列島の小島を眺めながら進む事30分…


    小さな慶良間列島の小島を眺めながら進む事30分…

  • <br />だんだん遠のいていく島々を見ながら、2泊3日夢のようなひと時を過ごした事を思い出して本当に泣きそうになりました。<br /><br />

    イチオシ


    だんだん遠のいていく島々を見ながら、2泊3日夢のようなひと時を過ごした事を思い出して本当に泣きそうになりました。

  • <br />出発から40分程で那覇空港が見えてきました。<br /><br />空港がこんなに海に近かったとは…!


    出発から40分程で那覇空港が見えてきました。

    空港がこんなに海に近かったとは…!

  • <br />そして泊港に到着です。


    そして泊港に到着です。

  • <br />18:10。 飛行機(復路はJAL)が20:10発なので急いでタクシーに乗り最寄の美栄橋駅まで向かいます。最寄と言っても歩くと20分程掛るので、急いでいる場合はタクシーがイイかもしれません。<br /><br />でもタクシーはクイーンざまみ?のそばで“待ってました”とばかりにたくさん待機しているのでそんなに待ちませんでした。 美栄橋駅までは560円でした。


    18:10。 飛行機(復路はJAL)が20:10発なので急いでタクシーに乗り最寄の美栄橋駅まで向かいます。最寄と言っても歩くと20分程掛るので、急いでいる場合はタクシーがイイかもしれません。

    でもタクシーはクイーンざまみ?のそばで“待ってました”とばかりにたくさん待機しているのでそんなに待ちませんでした。 美栄橋駅までは560円でした。

  • <br />19:10。美栄橋駅からゆいれーるで那覇空港駅に到着です。<br />…なんとかセーフといったところでしょうか??(苦笑)<br /><br />とりあえず時間があれば行ってみたかった那覇空港1Fにある空港食堂さんへダッシュしますww


    19:10。美栄橋駅からゆいれーるで那覇空港駅に到着です。
    …なんとかセーフといったところでしょうか??(苦笑)

    とりあえず時間があれば行ってみたかった那覇空港1Fにある空港食堂さんへダッシュしますww

  • <br />こちらは主に那覇空港職員さんが利用するそうで、値段も手ごろ&美味しいそうです!<br /><br />私は目についた“冷やしソーキ”を頂いてみることにしました。


    こちらは主に那覇空港職員さんが利用するそうで、値段も手ごろ&美味しいそうです!

    私は目についた“冷やしソーキ”を頂いてみることにしました。

  • <br />…考えてみれば私はこの旅でソーキソバばかり食べていた気がします。。<br />つまらない食事紹介になってしまってすみません。。<br /><br />ちなみに冷やしソーキはお酢は効いてて美味しかったです!<br />セットのジューシーおにぎりもイケてました☆☆


    …考えてみれば私はこの旅でソーキソバばかり食べていた気がします。。
    つまらない食事紹介になってしまってすみません。。

    ちなみに冷やしソーキはお酢は効いてて美味しかったです!
    セットのジューシーおにぎりもイケてました☆☆

  • 19:40に何とかJALの搭乗手続きをしたのもつかの間、お土産をロクに買っていなかった事に気づき、大慌てでチョイスしました。。<br /><br />最後はバッタバタでしたが、何とか間に合い20:10定刻通り羽田に向けて出発できました。 ちなみに復路のJALの運賃は26800円で往路のエアアジアの約2倍でしたが、終電の事を考えると仕方ありませんでした(苦笑)<br /><br /><br />それでは【座間味島旅行記】は以上で終了致します。<br />最後までお読み頂き、誠にありがとうございました。

    19:40に何とかJALの搭乗手続きをしたのもつかの間、お土産をロクに買っていなかった事に気づき、大慌てでチョイスしました。。

    最後はバッタバタでしたが、何とか間に合い20:10定刻通り羽田に向けて出発できました。 ちなみに復路のJALの運賃は26800円で往路のエアアジアの約2倍でしたが、終電の事を考えると仕方ありませんでした(苦笑)


    それでは【座間味島旅行記】は以上で終了致します。
    最後までお読み頂き、誠にありがとうございました。

この旅行記のタグ

76いいね!

利用規約に違反している投稿は、報告する事ができます。 問題のある投稿を連絡する

この旅行記へのコメント (10)

開く

閉じる

  • 潮来メジロさん 2012/12/02 13:49:18
    エロス感じる 夏の海・・・。ヾ(^o^)
    りぃべさん、こんにちは! ヾ(^o^)
    毎度、訪問&投票ありがとうございました。

    > よっぽど寄生虫がへばりついているのか(涙)ホンソメちゃんはどんどん
    > メガトン級の太さを誇る太ももの方へ…!
    > あっ、ちょっと…そこから上は…あ”〜っっ!!!(←悶絶)
    >
    > ≪ ニシハマで 
    >         エロス感じる 
    >                夏の海 ≫ 
    >
    > …失礼致しました。

    アッハハハ・・・。ずいぶん楽しまれた様子ですね。\(^o^)/
    う〜ん・・・、バードウォッチングでは、こういう体験は絶対できませんね。
    お魚さんに皮膚の古い角質を食べてもらうの、何ていいましたっけ・・・。
    私は体験がありませんが、ホンソメちゃんってあのお魚さんと一緒なんですか?
    いつか、機会がありましたら、私も体験してみたいです。

    ではまた・・・。(^o^)/~~~
      (潮来メジロ)

    りぃべ

    りぃべさん からの返信 2012/12/02 23:18:40
    恥ずかしながらエロスでございました・・・(笑)
    潮来メジロ様


    こんばんは(*´∀`*)
    ご訪問・ご投票、そしてメッセージを頂き誠にありがとうございます。

    座間味・阿嘉島もニシハマビーチも初めてだったのですが、まさかホンソメちゃんにクリーニングをしてもらえるとは思ってもいなかったのでビックリ&感謝しておりますww でも足裏からだんだん太ももまで上がってきたのにはさらにビックリし、ふと頭に出てきた言葉が何故か【エロス】でした(爆)…本当にすみません。

    …たしかお魚さんに皮膚の古い角質を食べてもらうのは“フィッシュセラピー”だったかと思います! セラピーで角質をキレーにしてくれるお魚サンはどうやら、コイ科の魚ガラ・ルファさんというそうです… ホンソメちゃんや、ガラ・ルファさん…角質をキレイにするお魚サンが意外に多くてビックリです?(゚ω゚ノ)ノ

    潮来さんの旅行記は愛らしくイキイキとした鳥さんたちがたくさん出てきていつも見るたび癒されます(*V∀v艸):・:*:・
    また鳥さん達の詳しいご説明も記載されていらっしゃるのでとても参考になります! 
    またちょくちょくお邪魔するかと思いますが、何卒宜しくお願い致します。


    りぃべ
  • ちょびれさん 2012/10/17 19:24:05
    海がめみたーい!
    続けてお邪魔しマース。

    いいなー、海がめウオッチング。ゆっく〜り泳いでくれるのは追跡者には
    優しいですな^^

    そっか、カメさんは草食でしたね!岩に付いた藻をカリカリ・・・もぐもぐ・・
    見たい見たい♪

    お宿のサバリバナ、ふわふわ綿みたいで夜に咲く花なんて幻想的で綺麗だなー。
    一夜の美♪

    なんたってあたしの心を鷲づかみにしたのはホンソメワケベラ〜っ。

    是非是非全身やっていただきたい!出来れば足の角質取りを念入りに・・・
    どの位の時間クリーニング?してたんでしょうね?

    フィッシュマッサージみたいで無料でやってくれるなら指名したいです^^

    モンガラだけでもかなり色んな種類がいるんだなー。
    あのひょっとこ口がなんとも言えずキュートです。

    うーむ・・・来年あたりやっぱ、沖縄狙ってみるかなー。

    エアアジアの国内便を興味深く拝見しました。行きはいいけど、帰りは
    遅延決行があると困るから別会社は仕方ないかもしれませんね。

    エアアジアグッズって、帽子とかサングラスとかあるのだろうか??・

    ちょびれ

    りぃべ

    りぃべさん からの返信 2012/10/18 12:56:49
    座間味島、是非訪れてみてください(*^^*)
    ちょびれ様

    こんにちは。
    またメッセージを頂き本当にありがとうございます。

    座間味島のウミガメですが、最近は心無い人にイタズラをされて人を怖がるカメちゃんも出てきているそうです。 それでも逃げないコがいるというのは、それだけ村の方々が大事にカメちゃんを守り、共存している事なんだと思います。村の方々も本当に優しく、尊敬できる方々ばかりでした。

    わたしも宿の方から教えてもらわなければサガリバナは見逃していたので、幻想的に咲いて朝に散る花を見たときは不思議な…でもなんだかすごく得したキモチになりました。沖縄の花々もとても見応えがありました。

    ホンソメワケベラは恐らく座間味島にも阿嘉島にもいると思うのですが、知らないうちにサンゴから2,3匹出てきて突き始めました(苦笑)
    私が5分位で去らなければいつまでも突いていたと思うので長くいれば足の裏から全身念入りにケアしてくれるかと思いますww

    ニシハマビーチにはホンソメ、モンガラ以外にもたくさんのお魚がおりました。 何より有難かったのは意外と遠浅だったのでムリなく泳いで観察できたのが良かったです。

    またエアアジアグッズですが、トートバックや文具、マグネットなどが販売しておりました。 でも“エアアジア・ジャパン”グッズというよりはエアアジアXでも売っていそうな感じがしました。 デザインはみんな可愛かったです♪



    ちょびれさんの沖縄や座間味島旅行記ぜひ拝見してみたいです!!
    きっと私なんかよりはるかに素晴らしく濃い体験をされそうでとても気になります!!

    またちょびれさんの旅行記もとても面白く参考になるので、これからもちょくちょく旅行記におじゃまさせて頂きたいと思います。
    今後とも何卒宜しくお願い致します。


    りぃべ
  • ちちぼーさん 2012/10/15 20:21:06
    投票ありがとうございます
    座間味島初めて知りました。
    綺麗な海ですね。
    りぃべさんが、投票してくださらなかったら
    その存在も知ることがありませんでした。
    シュノーケルで海が見てみたいです。

    りぃべ

    りぃべさん からの返信 2012/10/16 12:21:27
    RE: 投票ありがとうございます
    みんまま様


    初めまして。
    こちらこそご訪問、ご投票、メッセージありがとうございます!

    みんまま様のペナン旅行記、11月に行く予定なので大変参考になりました。
    Ernest Zacharevicという人がジョージタウンフェスティバルのために描いた絵やワイヤーアート等、歴史建造物以外でも見どころがあってとても驚きでした!

    座間味島、私も6月に初めて知ったんですよ(苦笑)
    沖縄というと美ら海水族館や石垣島などのイメージがあったので。。
    ほんとうに素晴らしい場所なので機会がありましたら是非シュノーケリングをされてみて下さい(*^^*)


    りぃべ
  • りんごあめさん 2012/09/09 11:35:30
    はじめまして♪
    りぃべさん、はじめまして♪

    山口県のいなかの旅の投票有難うございました(^ ^)

    りぃべさんの座間味島旅行記、読ませていただきました。

    沖縄の海って、旅番組などで見て憧れているのですが、
    シュノーケリングであんなに沢山のお魚や、ウミガメに出会えるなんて、素敵ですね。

    いつか行ってみたいな〜。
    お魚達の写真とコメントユーモラスで楽しく読ませていただきました。

    又、伺いますね!

    りんごあめ より。

    りぃべ

    りぃべさん からの返信 2012/09/09 23:34:22
    ありがとうございます。
    りんごあめ様


    初めまして。
    こちらこそ座間味島旅行記のご訪問、ご投票そしてメッセージを頂き誠にありがとうございます。 ユーモラスなコメントだなんてとても嬉しいです。

    座間味の海もキレイでしたが角島の海もとてもキレイですね!! 灯台から景色を眺めてみたいなぁと思いました。
    また日本三名橋の錦帯橋もとても立派ですね。橋の維持の為に、通橋料を支払うというのも納得できます。 こんな素晴らしい場所に旦那様のご両親がお住まいだなんてとても羨ましいです!

    また先ほど雄琴温泉の旅行記を拝見させて頂いたのですが、こちらも滋賀県の素晴らしい見所が満載で山口県同様、行ってみたくなりました(*^^*)
    近江牛はお写真を拝見しただけで生唾がでちゃいました(笑)

    これからもりんごあめ様の旅行記にお邪魔して、台湾やイタリアの旅行記を拝見させて頂きたいと思います。


    今後とも何卒宜しくお願い致します。


    りぃべ
  • ムロろ~んさん 2012/09/07 17:55:53
    旅行行程が参考になりました。
    ムロろ〜んです。

    忙しい中、いつも旅行記を読んで下さりありがとうございます。

    座間味島の旅行記を拝見しました。
    本当にアクティブに旅されているなぁと思いました。朝から優しい海がめに会い、昼は自転車でまた西浜ビーチでひと泳ぎ。大満足だったんだなと私まで伝わりました。

    そして2つの島を短い期間で旅されたこと、行程がとても参考になりました。私もそれほど休みを取ることができないので、勢力的に動くとなるとこの行程でも旅できると実践されたりぃべさんの旅行記を読んで分かりました。

    ホンソメワケベラという魚に足の皮膚を食べていた写真。気持ち良かったでしょうか?私はマレーシアで味わったフィッシュマッサージを思い出しました。大きめの魚だと痛くて仕方がありません(>_<;)。


    ムロろ〜ん(-人-)

    りぃべ

    りぃべさん からの返信 2012/09/07 22:54:10
    ムロろ〜んさんにはかないません!!
    ムロろ〜ん様

    こんばんは。いつもご訪問&投票、そして“元気が湧いてくる”コメント本当にありがとうございます!(感涙)

    やはり、ムロろ〜んさんも休暇を取得するのがなかなか難しいんですね(涙) 私も仕事が税関の休みに合わせているような形になるのでお盆休みはないですし、有給も毎年末にどんどん消えていっております…
    ですが、最近は3連休でも“その気になれば”なんとかなるのかなと前向きに考え、チャンスがあれば色々な所へ出掛けるようにしておりますww

    …スミマセン(><) 私ホンソメちゃんの所で“悶絶”とか“エロス”とか書いてしまって、隠していたつもりのヘンタイが丸出しになってしまいました☆★
    そういえばムロろ〜んさんフィッシュマッサージされてましたよね!覚えていますよ!! でもお金払ったのに“痛かった”なんて、ちょっと残念ですよね…
    ちなみにホンソメちゃんの力加減は人差し指でツンツンされる程度でしたww …まちがっても『ガブッ!』ではナイので大丈夫ですヨ♪ 

    “アクティブ度”でいうとムロろ〜んさんの右にでる方はそうそういらっしゃらないと思います!! ムロろ〜んさんはいつも愛らしい相方のミッフィーchan♪との旅を詳細に旅行記に記載されているので読んでいるとグイグイと惹きつけられ、毎回勉強になります☆☆ 今回の北海道旅行の続きもとても楽しみです♪♪


    りぃべ

りぃべさんのトラベラーページ

コメントを投稿する前に

十分に確認の上、ご投稿ください。 コメントの内容は攻撃的ではなく、相手の気持ちに寄り添ったものになっていますか?

サイト共通ガイドライン(利用上のお願い)

報道機関・マスメディアの方へ 画像提供などに関するお問い合わせは、専用のお問い合わせフォームからお願いいたします。

この旅行で行ったスポット

この旅行で行ったグルメ・レストラン

旅の計画・記録

マイルに交換できるフォートラベルポイントが貯まる
フォートラベルポイントって?

フォートラベル公式LINE@

おすすめの旅行記や旬な旅行情報、お得なキャンペーン情報をお届けします!
QRコードが読み取れない場合はID「@4travel」で検索してください。

\その他の公式SNSはこちら/

この旅行記の地図

拡大する

価格.com旅行・トラベルホテル・旅館を比較

PAGE TOP