スラウェシ島旅行記(ブログ) 一覧に戻る
さて、ブナケン・チャチャ・ネイチャー・リゾートの滞在2日目。<br /><br />ようやく今回の旅行のメイン。<br />スノーケルツアーの開始です。<br /><br />このためにはるばるやってきたんですから。<br />楽しみです。<br /><br />本日のダイバー&スノーケラーは我が家以外に10名程。<br />チャチャのダイビングボートは主に、チャチャ1号とチャチャ2号の2艘を使っているようです。それ以外に、もう少し小さなボートもありましたが。<br /><br />今回我が家は、3日間我が家だけで、チャチャ2号をチャーターさせて頂きました。<br />このサイズのボートにゲストは4人だけ、贅沢すぎるスノーケルツアーでした。おまけに料金はボート一艘とスタッフ二名で、$135です。<br />スノーケルは大人$35、子ども$25ですから、我が家は大人3名+子ども1名の計算になるので、合計130ドル。$5の違いで、チャーターできるのですから、子どもの都合の合わせて自由に動けるチャーターを利用しない手はありません。<br /><br /><br />おまけにスノーケル初日からナポレオンやウミガメになんども遭遇し感動の一日でした。<br /><br />浅いところに綺麗な珊瑚礁があり、それに続いて岸からすぐの所にドロップオフがあるので、大物が上がってくるところをスノーケラーでも簡単に見ることが出来ますし、写真も浅いところで撮影できるので<br />、今回使用したパナソニックのFT−2というコンデジでもこれぐらいの写真は十分撮影できます。もちろん、写真よりも実際に見る景色はもっと鮮明ですから、世界中からここを目指してやってくるのもうなずけます。この感動は実際に自分の目の見て体験してください。チャチャでは日本人ゲストも多いですが、外国人の方が多くいろいろな言語が飛び交っていました。<br />ベランダで自分たちのダイビングで撮影した写真をPCで見せて英語で解説してくれた家族も、ドイツ語をしゃべっていたのでドイツの方かと思ったら、ベルギーから来られていたそうです。<br />外国の夏休みは長いのでうらやましいです。1週間以上滞在できるのですから。日本ではなかなか無理ですよね。<br />では、ブナケンの海をお楽しみください。(^^)

シンガポールZoo&ブナケン・チャチャでスノーケル三昧?

9いいね!

2012/08/04 - 2012/08/12

90位(同エリア226件中)

0

41

奈々パパさん

さて、ブナケン・チャチャ・ネイチャー・リゾートの滞在2日目。

ようやく今回の旅行のメイン。
スノーケルツアーの開始です。

このためにはるばるやってきたんですから。
楽しみです。

本日のダイバー&スノーケラーは我が家以外に10名程。
チャチャのダイビングボートは主に、チャチャ1号とチャチャ2号の2艘を使っているようです。それ以外に、もう少し小さなボートもありましたが。

今回我が家は、3日間我が家だけで、チャチャ2号をチャーターさせて頂きました。
このサイズのボートにゲストは4人だけ、贅沢すぎるスノーケルツアーでした。おまけに料金はボート一艘とスタッフ二名で、$135です。
スノーケルは大人$35、子ども$25ですから、我が家は大人3名+子ども1名の計算になるので、合計130ドル。$5の違いで、チャーターできるのですから、子どもの都合の合わせて自由に動けるチャーターを利用しない手はありません。


おまけにスノーケル初日からナポレオンやウミガメになんども遭遇し感動の一日でした。

浅いところに綺麗な珊瑚礁があり、それに続いて岸からすぐの所にドロップオフがあるので、大物が上がってくるところをスノーケラーでも簡単に見ることが出来ますし、写真も浅いところで撮影できるので
、今回使用したパナソニックのFT−2というコンデジでもこれぐらいの写真は十分撮影できます。もちろん、写真よりも実際に見る景色はもっと鮮明ですから、世界中からここを目指してやってくるのもうなずけます。この感動は実際に自分の目の見て体験してください。チャチャでは日本人ゲストも多いですが、外国人の方が多くいろいろな言語が飛び交っていました。
ベランダで自分たちのダイビングで撮影した写真をPCで見せて英語で解説してくれた家族も、ドイツ語をしゃべっていたのでドイツの方かと思ったら、ベルギーから来られていたそうです。
外国の夏休みは長いのでうらやましいです。1週間以上滞在できるのですから。日本ではなかなか無理ですよね。
では、ブナケンの海をお楽しみください。(^^)

同行者
家族旅行
一人あたり費用
10万円 - 15万円
交通手段
航空会社
シンガポール航空
旅行の手配内容
個別手配
  • チャチャ2日目の朝日

    チャチャ2日目の朝日

  • 幻想的ですね

    幻想的ですね

  • シラデン方向

    シラデン方向

  • これはチャチャ1号。<br />ダイビング&スノーケルの方が10名ほどで行かれました。<br />私たちの2号とは同サイズです。<br />

    これはチャチャ1号。
    ダイビング&スノーケルの方が10名ほどで行かれました。
    私たちの2号とは同サイズです。

  • この傘の色が海や空の青に映えていいです。

    この傘の色が海や空の青に映えていいです。

  • この犬たちは、警備犬だそうです。<br />合計4匹います。<br />

    この犬たちは、警備犬だそうです。
    合計4匹います。

  • こちらは海に向かって左側

    こちらは海に向かって左側

  • 2日目の朝食<br />スクランブルエッグがありますが、<br />娘は軽い卵アレルギーがあり、卵は加工品しか食べませんので、<br />パンケーキになっていました。

    2日目の朝食
    スクランブルエッグがありますが、
    娘は軽い卵アレルギーがあり、卵は加工品しか食べませんので、
    パンケーキになっていました。

  • 部屋のテーブルタップ。<br />マルチコンセントで雷サージ防止装置付きです。<br />日本のコンセントがそのままささります。<br />もちろん電圧は高いですよ。<br />一番右が、蚊取りマットですね。<br />入り口には蚊取り線香も置いてありますよ。<br />全て準備してあるので持参する必要はありません<br />でも、日本ではいつも蚊にすかれている妻や息子もここではぜんぜん刺されることはなかったですよ。

    部屋のテーブルタップ。
    マルチコンセントで雷サージ防止装置付きです。
    日本のコンセントがそのままささります。
    もちろん電圧は高いですよ。
    一番右が、蚊取りマットですね。
    入り口には蚊取り線香も置いてありますよ。
    全て準備してあるので持参する必要はありません
    でも、日本ではいつも蚊にすかれている妻や息子もここではぜんぜん刺されることはなかったですよ。

  • では、スノーケルに出発です。ボートには、大きな飲料水のタンク、ホットティーのポット、クーラーの中には、コップとバナナとビスケットが入っていました。<br /><br />

    では、スノーケルに出発です。ボートには、大きな飲料水のタンク、ホットティーのポット、クーラーの中には、コップとバナナとビスケットが入っていました。

  • 後方にはダイビングのタンクをおくスペースがありますが、今日はスノーケル機材だけですのでゆったりです。

    後方にはダイビングのタンクをおくスペースがありますが、今日はスノーケル機材だけですのでゆったりです。

  • さて、ライフジャケットを着込んでいよいよ出発です。<br />

    さて、ライフジャケットを着込んでいよいよ出発です。

  • では、行ってきます

    では、行ってきます

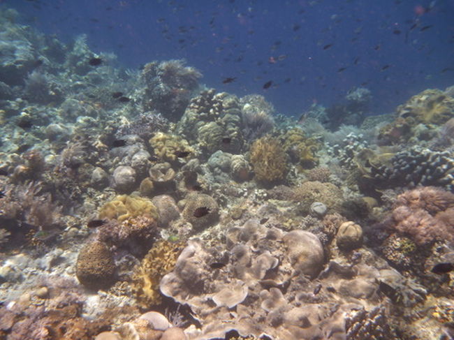
  • ここのサンゴは元気です。<br />一昨年行った、マレーシアのレダン島も綺麗でしたが、それでも結構サンゴの白化が進んでいました。ここのサンゴはとっても元気です。<br /><br /><br />

    ここのサンゴは元気です。
    一昨年行った、マレーシアのレダン島も綺麗でしたが、それでも結構サンゴの白化が進んでいました。ここのサンゴはとっても元気です。


  • 島の周りはドロップオフに囲まれています。<br />もちろん底は見えません。(^^;)

    島の周りはドロップオフに囲まれています。
    もちろん底は見えません。(^^;)

  • ウミヘビがやってきました。<br />

    ウミヘビがやってきました。

  • ドロップオフを見下ろすと無数の魚が...

    ドロップオフを見下ろすと無数の魚が...

  • ズームするとこんな感じで泳いでいます。

    ズームするとこんな感じで泳いでいます。

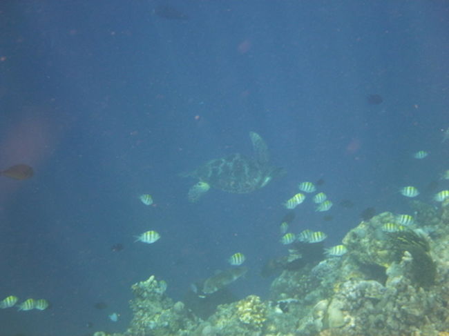
  • よく見ると下の方にウミガメがいます。

    よく見ると下の方にウミガメがいます。

  • ウミガメ拡大

    ウミガメ拡大

  • 色んな魚がいます。

    色んな魚がいます。

  • 10分ほどしてまたウミガメを見つけました

    10分ほどしてまたウミガメを見つけました

  • 次のポイントに移動中。<br />ブナケン島にあるブナケン村の桟橋です。<br />チャチャからは島の反対側になります。<br /><br />

    次のポイントに移動中。
    ブナケン島にあるブナケン村の桟橋です。
    チャチャからは島の反対側になります。

  • ボートから見た海中。<br />見てください。<br />この透明度と珊瑚礁<br />

    ボートから見た海中。
    見てください。
    この透明度と珊瑚礁

  • さっそく2つ目のポイントでスノーケル

    さっそく2つ目のポイントでスノーケル

  • 元気なテーブルサンゴ

    元気なテーブルサンゴ

  • 魚影も濃いです

    魚影も濃いです

  • カクレクマノミをみつけました

    カクレクマノミをみつけました

  • そして、ナポレオンフィッシュ登場!!<br />1mぐらいはありました。<br /><br />実は1ヶ所目でもナポレオンを見たのですが、気付いた時には遠くだったので写真に撮れませんでした。<br />でも、今回は近くを優雅に泳いでいたので、ずっと追いかけて

    そして、ナポレオンフィッシュ登場!!
    1mぐらいはありました。

    実は1ヶ所目でもナポレオンを見たのですが、気付いた時には遠くだったので写真に撮れませんでした。
    でも、今回は近くを優雅に泳いでいたので、ずっと追いかけて

  • 近づいて撮影しました。<br />こんなに近くを泳げるのも、岸からすぐ近くにドロップオフがあるからだと思います。スノーケラーはちょうどその境目ぐらいで待機しているといろいろな大物がやってきます。

    近づいて撮影しました。
    こんなに近くを泳げるのも、岸からすぐ近くにドロップオフがあるからだと思います。スノーケラーはちょうどその境目ぐらいで待機しているといろいろな大物がやってきます。

  • ヤガラ

    ヤガラ

  • 2本目終了。<br />ボート横のロープにつかまって子供達からゆっくりエグジット<br />

    2本目終了。
    ボート横のロープにつかまって子供達からゆっくりエグジット

  • ガイドさんが並べてくれました。<br />8匹かな?<br />

    ガイドさんが並べてくれました。
    8匹かな?

  • その後は別のポイントで3本目ですが、ブナケン島周辺はどこもこんなに浅い所があるので、スノーケルでも間近に魚を見ることが出来るので楽しいです。

    その後は別のポイントで3本目ですが、ブナケン島周辺はどこもこんなに浅い所があるので、スノーケルでも間近に魚を見ることが出来るので楽しいです。

  • 帰ると干潮でした。<br />怪我をしないように、ダイビングブーツに履き替えて戻ります。<br />ちなみに、スノーケルのフィンは直接足に履くタイプです。<br />あまり小さい子供用はないようです。事前にお問い合わせください。<br />我が家の子どもは21.5cmでしたが、レンタルできました。<br />

    帰ると干潮でした。
    怪我をしないように、ダイビングブーツに履き替えて戻ります。
    ちなみに、スノーケルのフィンは直接足に履くタイプです。
    あまり小さい子供用はないようです。事前にお問い合わせください。
    我が家の子どもは21.5cmでしたが、レンタルできました。

  • お昼は麺類がメインだそうです。<br />今日はラーメンのようなヌードルでした。<br />

    お昼は麺類がメインだそうです。
    今日はラーメンのようなヌードルでした。

  • 今日はマッサージをしました。<br />終わった頃に、バルコニーにジンジャーティーが準備されていました。<br />

    今日はマッサージをしました。
    終わった頃に、バルコニーにジンジャーティーが準備されていました。

  • ドリンクのメニュー。<br />カクテルは70000ルピアです。<br />ソフトドリンクは25000ぐらい<br />ビールが45000ぐらい

    ドリンクのメニュー。
    カクテルは70000ルピアです。
    ソフトドリンクは25000ぐらい
    ビールが45000ぐらい

  • こちらはネスプレッソのメニュー

    こちらはネスプレッソのメニュー

  • バーにある冷蔵庫にはこんなものが詰まっています。<br />ジュースは、オレンジ、アップル、マンゴーでした。<br />ビールはビンタン、ハイネケンなど

    バーにある冷蔵庫にはこんなものが詰まっています。
    ジュースは、オレンジ、アップル、マンゴーでした。
    ビールはビンタン、ハイネケンなど

  • 今日の夕食

    今日の夕食

この旅行記のタグ

9いいね!

利用規約に違反している投稿は、報告する事ができます。 問題のある投稿を連絡する

コメントを投稿する前に

十分に確認の上、ご投稿ください。 コメントの内容は攻撃的ではなく、相手の気持ちに寄り添ったものになっていますか?

サイト共通ガイドライン(利用上のお願い)

報道機関・マスメディアの方へ 画像提供などに関するお問い合わせは、専用のお問い合わせフォームからお願いいたします。

旅の計画・記録

マイルに交換できるフォートラベルポイントが貯まる
フォートラベルポイントって?

インドネシアで使うWi-Fiはレンタルしましたか?

フォートラベル GLOBAL WiFiなら
インドネシア最安 294円/日~

  • 空港で受取・返却可能
  • お得なポイントがたまる

インドネシアの料金プランを見る

フォートラベル公式LINE@

おすすめの旅行記や旬な旅行情報、お得なキャンペーン情報をお届けします!
QRコードが読み取れない場合はID「@4travel」で検索してください。

\その他の公式SNSはこちら/

PAGE TOP