パラオ旅行記(ブログ) 一覧に戻る
せっかくパラオまでやって来たのに、天候の悪さからもうひとつビーチリゾートを楽しめないままについに三日目に突入してしまいました。<br />パラオでの一番の目的、クラゲちゃんツアーは果たしてどうなるのか?<br />一面の雲に覆われた空をうらめしく見上げながら、ただただ祈るばかりの私めでございました。

憧れのパラオで梅雨のじめじめ気分を追っパラオ♪~その2

15いいね!

2011/06/21 - 2011/06/25

509位(同エリア1520件中)

2

85

okuyan

okuyanさん

せっかくパラオまでやって来たのに、天候の悪さからもうひとつビーチリゾートを楽しめないままについに三日目に突入してしまいました。
パラオでの一番の目的、クラゲちゃんツアーは果たしてどうなるのか?
一面の雲に覆われた空をうらめしく見上げながら、ただただ祈るばかりの私めでございました。

旅行の満足度
4.5
観光
5.0
ホテル
4.5
グルメ
4.5
ショッピング
3.0
交通
2.5
同行者
一人旅
一人あたり費用
15万円 - 20万円
交通手段
高速・路線バス タクシー 徒歩
航空会社
旅行の手配内容
ツアー(添乗員同行なし)
利用旅行会社
近畿日本ツーリスト
  • アリー!(⌒o⌒)/<br />みなさまお早うございます。<br />三日目のスタートでございます。<br />本日はオプショナルツアーなど入れずにのんびりしようと、遅めの朝食。<br />優雅にルームサービスで・・・とはいかず、<br />私めは残飯でボンビーブレックファスト。<br />(〒〜〒)φ

    アリー!(⌒o⌒)/
    みなさまお早うございます。
    三日目のスタートでございます。
    本日はオプショナルツアーなど入れずにのんびりしようと、遅めの朝食。
    優雅にルームサービスで・・・とはいかず、
    私めは残飯でボンビーブレックファスト。
    (〒〜〒)φ

  • まだまだ空に雲が多いですが・・・<br />たまに雲の間から日差しが見えたりして、昨日に比べれば随分好天になったようですねぇ。

    まだまだ空に雲が多いですが・・・
    たまに雲の間から日差しが見えたりして、昨日に比べれば随分好天になったようですねぇ。

  • せっかくのホテルビーチ。<br />ゆったりシュノーケリングでも楽しみましょう♪

    せっかくのホテルビーチ。
    ゆったりシュノーケリングでも楽しみましょう♪

  • パラオの海にはサメがいます。サメの保護区(サンクチュアリ)になっているんです。<br />仕切りの網より外では泳げません。<br /><br />それにしても、パラオの国がサメ保護のために、例のシーシェパードと手を組んでいるというのは、私めとしてはイマイチ納得ができないところ。<br />私めの個人的な意見ですが、あの団体って“海の新撰組”みたいなものかな・・・と。<br />決して非営利団体ではないし、“大義”をかざして違法行為をも辞さないあたり、よく似てる気がするんですよねぇ。

    パラオの海にはサメがいます。サメの保護区(サンクチュアリ)になっているんです。
    仕切りの網より外では泳げません。

    それにしても、パラオの国がサメ保護のために、例のシーシェパードと手を組んでいるというのは、私めとしてはイマイチ納得ができないところ。
    私めの個人的な意見ですが、あの団体って“海の新撰組”みたいなものかな・・・と。
    決して非営利団体ではないし、“大義”をかざして違法行為をも辞さないあたり、よく似てる気がするんですよねぇ。

  • まぁ、ややこしいことは置いといて・・・。<br />(−_−;<br />こんなステキな場所で考えることでもないっしょ。<br /><br />さあ、早速潜りまひょ。ブクブク・・・。

    まぁ、ややこしいことは置いといて・・・。
    (−_−;
    こんなステキな場所で考えることでもないっしょ。

    さあ、早速潜りまひょ。ブクブク・・・。

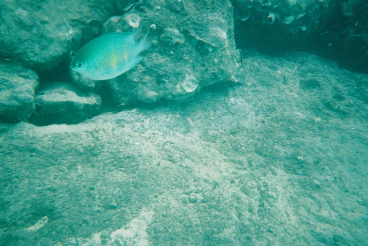
  • うーむ。。。魚影はあるんだけどなー。

    うーむ。。。魚影はあるんだけどなー。

  • 水の濁りと太陽光不足のせいか、イマイチだなぁ。

    水の濁りと太陽光不足のせいか、イマイチだなぁ。

  • ブクブク・・・<br />あれ?あそこにいるのはシャコ貝だね。<br />深いところにいるからよく見えねーし。

    ブクブク・・・
    あれ?あそこにいるのはシャコ貝だね。
    深いところにいるからよく見えねーし。

  • お魚がゆったり泳いでるけど、写真を撮ろうとすると逃げちゃうんだよね。<br />なんかエサ持って来ればよかった・・・。

    お魚がゆったり泳いでるけど、写真を撮ろうとすると逃げちゃうんだよね。
    なんかエサ持って来ればよかった・・・。

  • などと水中でぶつぶつ文句をタレながらも、なんだかんだ3時間近くもプカプカしてました。<br />あとで写真を見て思いましたが、実際に目で見たお魚さん達はもっと綺麗でしたよ。<br />(^ー^)

    などと水中でぶつぶつ文句をタレながらも、なんだかんだ3時間近くもプカプカしてました。
    あとで写真を見て思いましたが、実際に目で見たお魚さん達はもっと綺麗でしたよ。
    (^ー^)

  • ふむ。なになに?<br />危険だから触るなってか。<br />ありゃ?シャコ貝も危険生物になってんじゃん。<br />おいおい、いたぞ?どこだったか忘れちゃったけど。

    ふむ。なになに?
    危険だから触るなってか。
    ありゃ?シャコ貝も危険生物になってんじゃん。
    おいおい、いたぞ?どこだったか忘れちゃったけど。

  • さて・・・と。<br />そろそろ上がろうか。。。<br />ε=( ̄ε ̄)y-・°

    さて・・・と。
    そろそろ上がろうか。。。
    ε=( ̄ε ̄)y-・°

  • 部屋に戻る前にプールで塩抜き。<br />ザブザブ・・・ガボォッ!<br />ブハーッ!げほっげほっ! <br />Σ(◎Д◎;<br />こ、ここ危険っす!あのプールサイドの赤いコーンの先は急激に深くなってます!<br />つーか、私めが無用心なだけ?<br />実はこのプール、スキューバの初心者の練習にも使っているんですね。

    部屋に戻る前にプールで塩抜き。
    ザブザブ・・・ガボォッ!
    ブハーッ!げほっげほっ!
    Σ(◎Д◎;
    こ、ここ危険っす!あのプールサイドの赤いコーンの先は急激に深くなってます!
    つーか、私めが無用心なだけ?
    実はこのプール、スキューバの初心者の練習にも使っているんですね。

  • エレベーターホールの脇の木彫り。<br />ふーむ。昔は現地人はこんな感じだったのかしらん。<br />トップレスだったのかな?(* ̄ω ̄*)<br />今もそうだったらいいのに・・・。

    エレベーターホールの脇の木彫り。
    ふーむ。昔は現地人はこんな感じだったのかしらん。
    トップレスだったのかな?(* ̄ω ̄*)
    今もそうだったらいいのに・・・。

  • 「こりゃっ!ウチのかぁちゃんのチチばっかりジロジロ見るんじゃないっ!」<br />オオッ!(◎◇◎)<br />オヤジ、めっちゃイイ身体してんじゃねーか!<br />キミキミ、自A隊に興味無いかい?

    「こりゃっ!ウチのかぁちゃんのチチばっかりジロジロ見るんじゃないっ!」
    オオッ!(◎◇◎)
    オヤジ、めっちゃイイ身体してんじゃねーか!
    キミキミ、自A隊に興味無いかい?

  • さて。お昼ごはんも兼ねてお出かけしましょうか。<br />そのまえにレストランに寄ってウェルカムドリンクサービスでマンゴージュースをいただきました。<br />ちゅ〜・・・むはー、うまいっ♪<br />(=^0^=)<br />お〜、なんとなくお天気が回復してきたみたい。

    さて。お昼ごはんも兼ねてお出かけしましょうか。
    そのまえにレストランに寄ってウェルカムドリンクサービスでマンゴージュースをいただきました。
    ちゅ〜・・・むはー、うまいっ♪
    (=^0^=)
    お〜、なんとなくお天気が回復してきたみたい。

  • おや?マジカル・メドゥー号が出航して行きますよ。<br />ということは・・・もう13時過ぎかぁ。<br />ちょっとゆっくりし過ぎちゃったかな?

    おや?マジカル・メドゥー号が出航して行きますよ。
    ということは・・・もう13時過ぎかぁ。
    ちょっとゆっくりし過ぎちゃったかな?

  • フロントでタクシーを呼んでもらってコロールに向かいます。<br />昼間はBBIバスが運行してないので、タクシー、レンタカーなどを利用しなくてはなりません。

    フロントでタクシーを呼んでもらってコロールに向かいます。
    昼間はBBIバスが運行してないので、タクシー、レンタカーなどを利用しなくてはなりません。

  • 運転手さんと他愛も無い話をしつつ、私めがやってきたのは『パラオ国際珊瑚礁センター』でございます。<br />でも正式な名称よりも通称の「パラオ水族館」のほうが良く知られてるみたい。<br />ロイヤルリゾート〜水族館のタクシー料金は6ドルでした。<br />メータータクシーはパラオにはありませんので交渉制になりますが、ホテルに依頼すればボラれることはあまり無いみたい。(あくまで私めの個人的感想でございます。保証はいたしません。)<br />気さくにおしゃべりしてくれる運転手さんでしたので、1ドルサービスしちゃいました。<br />パラオにはホテルを除いてチップの習慣はありませんので無しでもかまいません。<br />

    運転手さんと他愛も無い話をしつつ、私めがやってきたのは『パラオ国際珊瑚礁センター』でございます。
    でも正式な名称よりも通称の「パラオ水族館」のほうが良く知られてるみたい。
    ロイヤルリゾート〜水族館のタクシー料金は6ドルでした。
    メータータクシーはパラオにはありませんので交渉制になりますが、ホテルに依頼すればボラれることはあまり無いみたい。(あくまで私めの個人的感想でございます。保証はいたしません。)
    気さくにおしゃべりしてくれる運転手さんでしたので、1ドルサービスしちゃいました。
    パラオにはホテルを除いてチップの習慣はありませんので無しでもかまいません。

  • 空いてるなぁ・・・。(´・o・`;<br />もう午後だからかな?<br />入場料はガイドブックでは7ドルになっていましたが、実際は8ドルでした。<br />値上げしたのかな?

    空いてるなぁ・・・。(´・o・`;
    もう午後だからかな?
    入場料はガイドブックでは7ドルになっていましたが、実際は8ドルでした。
    値上げしたのかな?

  • 館内に入って最初の展示はマングローブの池。<br />おーおー、根っこがたくさんだねぇ。<br />(・ω・)

    館内に入って最初の展示はマングローブの池。
    おーおー、根っこがたくさんだねぇ。
    (・ω・)

  • マングローブの林にはこんな生物が生息しているらしい。<br />ふむふむ。

    マングローブの林にはこんな生物が生息しているらしい。
    ふむふむ。

  • おーい、カニどこだー。<br />カニ出てこーい!(・0・)

    おーい、カニどこだー。
    カニ出てこーい!(・0・)

  • ま、食べられるわけじゃないからいいや。<br />ということで、次の水槽へ。<br />えっと。「海草の中の生き物」か。<br />

    ま、食べられるわけじゃないからいいや。
    ということで、次の水槽へ。
    えっと。「海草の中の生き物」か。

  • 海草の間を優雅に泳いでますねぇ。<br />なんかほっとするな。<br />(=´ω`=)

    海草の間を優雅に泳いでますねぇ。
    なんかほっとするな。
    (=´ω`=)

  • シャコ貝に食われないのかな?<br />いや、まあ、食わないんだろうと思いますけど、<br />なんだかイメージ的にバクッといきそうじゃない?

    シャコ貝に食われないのかな?
    いや、まあ、食わないんだろうと思いますけど、
    なんだかイメージ的にバクッといきそうじゃない?

  • すみっこの岩からひょっこり顔を出したのはクマノミくん。<br />恥ずかしがりやさんなんだね♪

    すみっこの岩からひょっこり顔を出したのはクマノミくん。
    恥ずかしがりやさんなんだね♪

  • ん〜・・・日差しが暑いけど気分のいい風が吹いてきます。<br />(´ー`;<br />この水族館は島から突き出した半島の先っぽにあるので、景色もステキですね。

    ん〜・・・日差しが暑いけど気分のいい風が吹いてきます。
    (´ー`;
    この水族館は島から突き出した半島の先っぽにあるので、景色もステキですね。

  • 次は「内珊瑚礁の生き物」・・・かな?

    次は「内珊瑚礁の生き物」・・・かな?

  • ほほう。結構大物がいますよ。

    ほほう。結構大物がいますよ。

  • 中でも目を引くのは、この「ナポレオン・フィッシュ」ですねぇ♪<br />(⌒▽⌒)つ

    中でも目を引くのは、この「ナポレオン・フィッシュ」ですねぇ♪
    (⌒▽⌒)つ

  • でっかいカメくんもいます。<br />背中に生やした“藻”がチャームポイントです♪<br />かわいいわん!(≧▽≦)<br /><br />さっきからこっちを見上げてるけど、エサが欲しいのかな?

    でっかいカメくんもいます。
    背中に生やした“藻”がチャームポイントです♪
    かわいいわん!(≧▽≦)

    さっきからこっちを見上げてるけど、エサが欲しいのかな?

  • 実はカメくんとナポレオンフィッシュくんは大の仲良しです。<br />ナポレオンフィッシュくんがカメくんのところにやって来ました。<br /><br />「カメくーん、ダメダメ、この人間ビンボーだから何もくれないって。」<br />

    実はカメくんとナポレオンフィッシュくんは大の仲良しです。
    ナポレオンフィッシュくんがカメくんのところにやって来ました。

    「カメくーん、ダメダメ、この人間ビンボーだから何もくれないって。」

  • 「え、そうなの?チェッ、愛想振りまいて損しちまったよ。」<br />「こんなビンボー人なんか放っておいてあっちいこ。」<br />二匹仲睦まじく、いっしょに泳いで行きました。<br />ううっ・・・なんだか悲しいのは何故?<br />(;へ;)

    「え、そうなの?チェッ、愛想振りまいて損しちまったよ。」
    「こんなビンボー人なんか放っておいてあっちいこ。」
    二匹仲睦まじく、いっしょに泳いで行きました。
    ううっ・・・なんだか悲しいのは何故?
    (;へ;)

  • あうう・・・次にいこっと。<br />えっと・・・「珊瑚礁の上の生き物」ってことみたいだね。

    あうう・・・次にいこっと。
    えっと・・・「珊瑚礁の上の生き物」ってことみたいだね。

  • 珊瑚のあっちこっちにカラフルなのがたくさんいるいる〜♪

    珊瑚のあっちこっちにカラフルなのがたくさんいるいる〜♪

  • シャコ貝を囲んで遊んでるみたいですねぇ。<br />楽しそうですよぉ。<br />

    シャコ貝を囲んで遊んでるみたいですねぇ。
    楽しそうですよぉ。

  • 珊瑚がこういう小さな魚たちを外敵から守っているんだね。きっと。<br />うむうむ。(ーへー)

    珊瑚がこういう小さな魚たちを外敵から守っているんだね。きっと。
    うむうむ。(ーへー)

  • お魚ばかりでなく珊瑚も見ごたえありますよ〜!

    お魚ばかりでなく珊瑚も見ごたえありますよ〜!

  • さてさて、お次の水槽が私めの一番のお目当てでございます。<br />(^m^)v<br />ジェリーフィッシュレイクのクラゲちゃんがここでも飼育されているんですよっ♪

    さてさて、お次の水槽が私めの一番のお目当てでございます。
    (^m^)v
    ジェリーフィッシュレイクのクラゲちゃんがここでも飼育されているんですよっ♪

  • ブフフッ・・・(*⌒o⌒*)<br />可愛い可愛いクラゲちゃ〜ん!<br />おまた・・・え?(・o・;

    ブフフッ・・・(*⌒o⌒*)
    可愛い可愛いクラゲちゃ〜ん!
    おまた・・・え?(・o・;

  • あれ?なんか・・・可愛く・・・ない・・・。

    あれ?なんか・・・可愛く・・・ない・・・。

  • ・・・。(−_−;

    ・・・。(−_−;

  • なんじゃ?このビロビロわ。<br />気味悪いぞ。

    なんじゃ?このビロビロわ。
    気味悪いぞ。

  • しかも、一匹妙に黒いヤツもいるし。

    しかも、一匹妙に黒いヤツもいるし。

  • 明日行くジェリーフィッシュレイク・・・。<br />まさか、こんなのばっかりじゃないよ・・・ね。<br />( ̄へ ̄;

    明日行くジェリーフィッシュレイク・・・。
    まさか、こんなのばっかりじゃないよ・・・ね。
    ( ̄へ ̄;

  • ちょっとビミョーな気分になっていると、<br />突然、エイリアンのフェイスハガーが襲って来ました!<br />Σ(◎◇◎)<br />ウギャアアアッ!

    ちょっとビミョーな気分になっていると、
    突然、エイリアンのフェイスハガーが襲って来ました!
    Σ(◎◇◎)
    ウギャアアアッ!

  • 実はこれ、オウムガイさんの正面図でございました。(爆)<br />いやぁ、なかなかキモイっすね。<br />(^ω^A&quot;

    実はこれ、オウムガイさんの正面図でございました。(爆)
    いやぁ、なかなかキモイっすね。
    (^ω^A"

  • さてさて。次は「外珊瑚礁の生き物」でございますね。

    さてさて。次は「外珊瑚礁の生き物」でございますね。

  • こちらはこの水族館で一番の大水槽でございま〜す!<br />(⌒▽⌒)つ<br />近頃の最新式水族館で巨大な水槽に慣れちゃってると、逆にこんな素朴な水族館が新鮮な感じがしますな。

    こちらはこの水族館で一番の大水槽でございま〜す!
    (⌒▽⌒)つ
    近頃の最新式水族館で巨大な水槽に慣れちゃってると、逆にこんな素朴な水族館が新鮮な感じがしますな。

  • 水槽の中には色とりどりのお魚さんたち♪<br />南国ですのぅ〜!<br />(*^ω^*)

    水槽の中には色とりどりのお魚さんたち♪
    南国ですのぅ〜!
    (*^ω^*)

  • それではごゆるりとご鑑賞くださいませ〜!

    それではごゆるりとご鑑賞くださいませ〜!

  • いや〜かわいいですねぇ。<br />ずっと見ていられそうですが・・・そろそろ最後のコーナーへ行きましょうかね。

    いや〜かわいいですねぇ。
    ずっと見ていられそうですが・・・そろそろ最後のコーナーへ行きましょうかね。

  • 私めが思うに、アウターリーフのほうが色鮮やかなお魚さんが多い気がしますね。<br />あしたのツアーでシュノーケリングするのはアウターリーフのビッグドロップオフの予定でございます。<br />楽しみだなぁ♪o(●´ω`●)oわくわく♪

    私めが思うに、アウターリーフのほうが色鮮やかなお魚さんが多い気がしますね。
    あしたのツアーでシュノーケリングするのはアウターリーフのビッグドロップオフの予定でございます。
    楽しみだなぁ♪o(●´ω`●)oわくわく♪

  • 外の景色が見える水槽もありました。<br />なんか、お魚さんが飛んでるみたいに見えます。

    外の景色が見える水槽もありました。
    なんか、お魚さんが飛んでるみたいに見えます。

  • そして大トリを飾るのは・・・ウツボくんでした〜!

    そして大トリを飾るのは・・・ウツボくんでした〜!

  • あ。出口に来ちゃった。<br />(´・へ・`;

    あ。出口に来ちゃった。
    (´・へ・`;

  • 見学後はショップでみやげ物を物色。<br />やっぱりおっぱいに見入ってしまう私めでございました。<br />むむっ・・・こりゃちょっとディテールが甘いな。

    見学後はショップでみやげ物を物色。
    やっぱりおっぱいに見入ってしまう私めでございました。
    むむっ・・・こりゃちょっとディテールが甘いな。

  • ぬぼぉ〜・・・<br />「ウワッ・・・チ、チミは何?」<br />「まさかメメクラゲがいるとは思わなかったのです・・・。」<br />なんだ、オタクか・・・。<br />(−ω−;

    ぬぼぉ〜・・・
    「ウワッ・・・チ、チミは何?」
    「まさかメメクラゲがいるとは思わなかったのです・・・。」
    なんだ、オタクか・・・。
    (−ω−;

  • ちょっと面白い帽子があったので25ドルで購入。<br />やたら高いなぁ・・・。<br />で、表に出て来ましたが、最後の見所がこちらにあります。

    ちょっと面白い帽子があったので25ドルで購入。
    やたら高いなぁ・・・。
    で、表に出て来ましたが、最後の見所がこちらにあります。

  • デターッ!ワニーッ!<br />(◎Д◎;

    デターッ!ワニーッ!
    (◎Д◎;

  • で・・・でけぇ。(−_−;

    で・・・でけぇ。(−_−;

  • 午後のお昼寝中なのかな?<br />こんなのに噛み付かれたら・・・ウー、怖い怖い。

    午後のお昼寝中なのかな?
    こんなのに噛み付かれたら・・・ウー、怖い怖い。

  • こじんまりした水族館でしたが、結構楽しかったなぁ♪<br />(*^▽^*)<br />さてさて。それじゃバスの通りまでボチボチ歩いて行きましょうか。<br />

    こじんまりした水族館でしたが、結構楽しかったなぁ♪
    (*^▽^*)
    さてさて。それじゃバスの通りまでボチボチ歩いて行きましょうか。

  • ふぅ・・・、やっぱり暑いっすね。<br />でも、景色はサイコーだわ〜・・・。( ̄д ̄A&quot;<br />

    ふぅ・・・、やっぱり暑いっすね。
    でも、景色はサイコーだわ〜・・・。( ̄д ̄A"

  • おっ♪(・o・)<br />パラオで第一ネコちん発見!<br />しかし、この位置から一歩近づいた瞬間逃げられました・・・。

    おっ♪(・o・)
    パラオで第一ネコちん発見!
    しかし、この位置から一歩近づいた瞬間逃げられました・・・。

  • いいなー、これ。<br />一般の民家もトロピカル〜♪<br />(=^0^=)

    いいなー、これ。
    一般の民家もトロピカル〜♪
    (=^0^=)

  • へ〜・・・ハイビスカスっていろんな色があるんだねぇ。<br />ピンクのもカワイイよねぇ。

    へ〜・・・ハイビスカスっていろんな色があるんだねぇ。
    ピンクのもカワイイよねぇ。

  • メインの通りにたどり着き、次の目的地に向かって歩いていると道路の脇にこんなプレートを見つけました。<br />ほほぉ。なるほど、この道路の整備にも日本のODAが一役買っているんだね。<br />ちょっと誇らしい気分。(⌒ー⌒)<br />パラオは一般的に“親日国”と言われている国でございます。<br />そして旧日本軍玉砕の島のひとつ。<br />話によれば、太平洋戦争末期、ペリリュー島に連合軍艦隊の総攻撃が迫ったとき、日本軍兵士たちは島に住む現地人たちを戦火に巻き込まないために、このコロール島へ避難させたのだとか。<br />おかげで一万余名の日本人が戦死した玉砕戦においても現地人の犠牲者はほとんど無かったそう。<br />それ以来、パラオの人々は日本人に対して親愛の情を抱くようになったのだそうです。<br />

    メインの通りにたどり着き、次の目的地に向かって歩いていると道路の脇にこんなプレートを見つけました。
    ほほぉ。なるほど、この道路の整備にも日本のODAが一役買っているんだね。
    ちょっと誇らしい気分。(⌒ー⌒)
    パラオは一般的に“親日国”と言われている国でございます。
    そして旧日本軍玉砕の島のひとつ。
    話によれば、太平洋戦争末期、ペリリュー島に連合軍艦隊の総攻撃が迫ったとき、日本軍兵士たちは島に住む現地人たちを戦火に巻き込まないために、このコロール島へ避難させたのだとか。
    おかげで一万余名の日本人が戦死した玉砕戦においても現地人の犠牲者はほとんど無かったそう。
    それ以来、パラオの人々は日本人に対して親愛の情を抱くようになったのだそうです。

  • さて、私めの次の目的地が見えて来ましたよぉ。

    さて、私めの次の目的地が見えて来ましたよぉ。

  • 私めがやってきたのは、『ベム・エルミィ バーガー&フライ』。<br />パラオで一番美味いと言われるハンバーガーショップでございます。<br />(*^¬^*)<br />あ。そうそう。<br />パラオのグルメマップなんかは出来るだけ新しいものを用意しましょう。<br />実は結構、店舗が移転したりしてるんです。<br />私めも地図が古くて見つけるのにひと苦労させられました。

    私めがやってきたのは、『ベム・エルミィ バーガー&フライ』。
    パラオで一番美味いと言われるハンバーガーショップでございます。
    (*^¬^*)
    あ。そうそう。
    パラオのグルメマップなんかは出来るだけ新しいものを用意しましょう。
    実は結構、店舗が移転したりしてるんです。
    私めも地図が古くて見つけるのにひと苦労させられました。

  • チーズバーガーとフレンチフライを注文しました。<br />あー、おなか減ったぁ・・・。<br />( ̄へ ̄;<br />もうそろそろかなぁ・・・。

    チーズバーガーとフレンチフライを注文しました。
    あー、おなか減ったぁ・・・。
    ( ̄へ ̄;
    もうそろそろかなぁ・・・。

  • ジャジャーン♪キターッ!<br />早速いただきまーすっ!(≧Q≦;<br /><br />バクッ!もしゃもしゃ・・・<br />うむっ!こりゃうましっ!

    ジャジャーン♪キターッ!
    早速いただきまーすっ!(≧Q≦;

    バクッ!もしゃもしゃ・・・
    うむっ!こりゃうましっ!

  • あー、満足満足。(*^0^*)<br />それにしてもかなり遅くなってしまったなー。

    あー、満足満足。(*^0^*)
    それにしてもかなり遅くなってしまったなー。

  • バスに乗って『エピソン博物館』に来てみましたが・・・<br />やっぱり閉まってました。<br />(´・へ・`)<br />あとでよくよく調べてみたら開館時間は17:00まででした。<br />BBIバスじゃダメだったんだね。<br />私めの調査不足でした。

    バスに乗って『エピソン博物館』に来てみましたが・・・
    やっぱり閉まってました。
    (´・へ・`)
    あとでよくよく調べてみたら開館時間は17:00まででした。
    BBIバスじゃダメだったんだね。
    私めの調査不足でした。

  • バスの窓から夕景を眺めつつホテルへ戻ります。<br />ちょっと疲れたし・・・。

    バスの窓から夕景を眺めつつホテルへ戻ります。
    ちょっと疲れたし・・・。

  • 明日は私めのお待ちかね、クラゲちゃんとのご対面でございます。<br />(=´ω`=)<br />今日より天気が良くなってるといいなぁ・・・。<br />あ!それと、水族館のクラゲちゃんみたいじゃありませんように。<br /><br />《その3に続く》

    明日は私めのお待ちかね、クラゲちゃんとのご対面でございます。
    (=´ω`=)
    今日より天気が良くなってるといいなぁ・・・。
    あ!それと、水族館のクラゲちゃんみたいじゃありませんように。

    《その3に続く》

この旅行記のタグ

15いいね!

利用規約に違反している投稿は、報告する事ができます。 問題のある投稿を連絡する

この旅行記へのコメント (2)

開く

閉じる

  • ゆみナーラさん 2011/07/03 23:41:14
    溺れなくてよかったね☆
    okuyanわんばんこ〜^^
    パラオに行ってきたんだね〜^^
    あいにくの天気だけど、魚や海の中沢山見られたようで、おかげでこちらも楽しめました。
    ぐろい、ぐろい、グロすぎる〜〜〜><。
    というのもあれば、美しすぎる色とりどりの魚と、色々あるのね〜
    私も今回生まれて初めてシュノーケルやったんだけど、あれ楽しいねヽ(^o^)丿

    でわまた〜             ゆみなら

    okuyan

    okuyanさん からの返信 2011/07/04 22:36:08
    ありがとっ♪(^ω^)
    ゆみならさ〜ん。いらっしゃ〜い♪
    私めもぷかぷかしながらシュノーケリングするのが一番好き!
    グアムで体験ダイブしたけど、まだまだやっぱり怖いんだよね。
    その点、ビーチ周辺だったらすぐに立ち上がれるし、口が塩辛くなってもすぐに水を飲みに戻れるから。
    ただ、やっぱり透明度はちょっと沖合いのほうがいいからスキューバも魅力的ではありますねぇ。
    きっとまたどこかでスキューバに挑戦したいと思いますけどね。
    (⌒ー⌒)
    まだ旅行記の完成までちょっと時間がかかりそうで、ごめんなさい。

okuyanさんのトラベラーページ

コメントを投稿する前に

十分に確認の上、ご投稿ください。 コメントの内容は攻撃的ではなく、相手の気持ちに寄り添ったものになっていますか?

サイト共通ガイドライン(利用上のお願い)

報道機関・マスメディアの方へ 画像提供などに関するお問い合わせは、専用のお問い合わせフォームからお願いいたします。

旅の計画・記録

マイルに交換できるフォートラベルポイントが貯まる
フォートラベルポイントって?

フォートラベル公式LINE@

おすすめの旅行記や旬な旅行情報、お得なキャンペーン情報をお届けします!
QRコードが読み取れない場合はID「@4travel」で検索してください。

\その他の公式SNSはこちら/

PAGE TOP