セブ島旅行記(ブログ) 一覧に戻る
セブ島のナルスワンでマッタリしたダイビングを楽しんできました。

セブでダイビング

29いいね!

2010/10/10 - 2010/10/13

836位(同エリア3939件中)

4

56

gashou

gashouさん

セブ島のナルスワンでマッタリしたダイビングを楽しんできました。

旅行の満足度
4.0
観光
4.5
ホテル
3.5
同行者
一人旅
一人あたり費用
5万円 - 10万円
交通手段
タクシー
航空会社
フィリピン航空
旅行の手配内容
個別手配
  • 宿泊ホテル

    宿泊ホテル

  • カクレクマノミ(ニモ)

    カクレクマノミ(ニモ)

  • ハナビラクマノミ

    ハナビラクマノミ

  • フタスジリュウキュウスズメダイ

    フタスジリュウキュウスズメダイ

  • ミスジリュウキュウスズメダイ

    ミスジリュウキュウスズメダイ

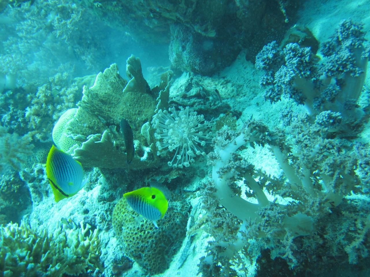
  • アケボノチョウチョウウオ

    アケボノチョウチョウウオ

  • アオスジテンジグダイ

    アオスジテンジグダイ

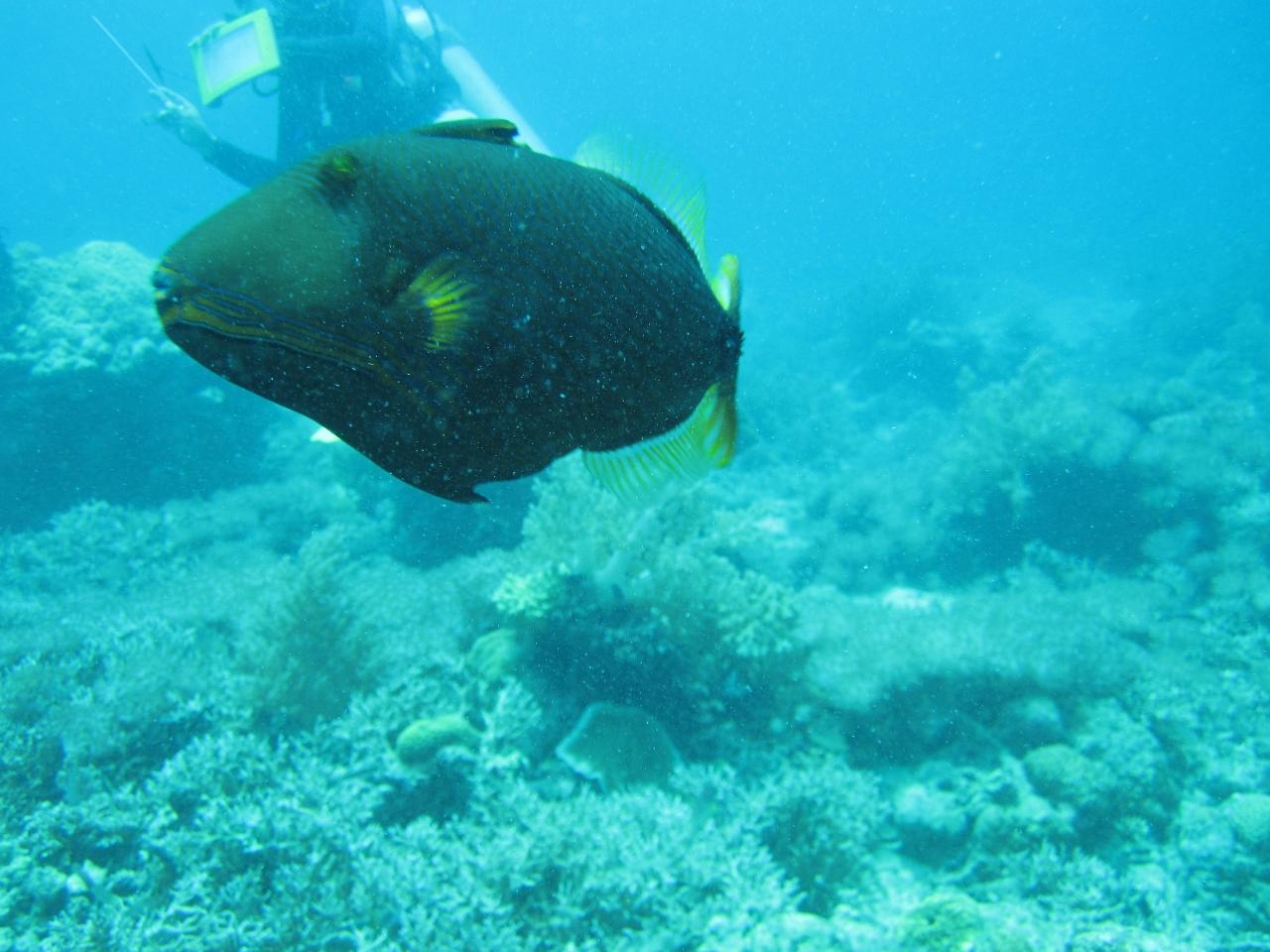
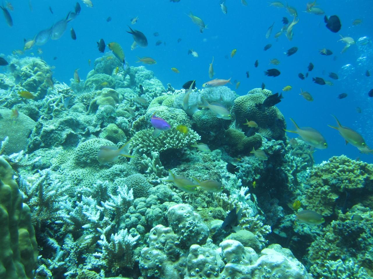
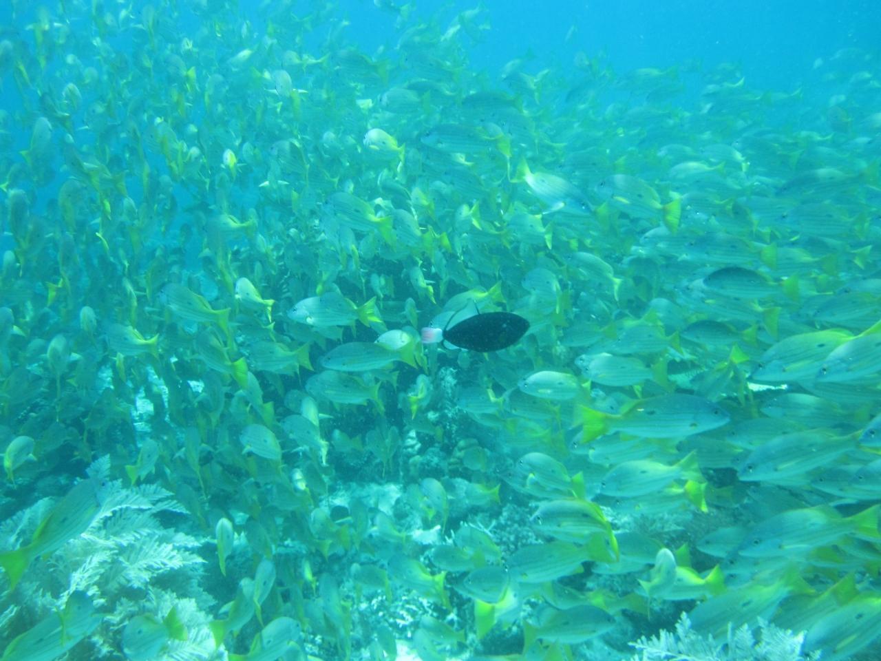
  • 乱舞する魚達

    乱舞する魚達

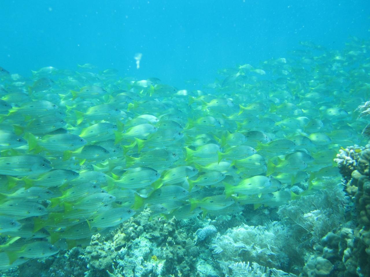
  • ニセクロホシフエダイの大群

    ニセクロホシフエダイの大群

  • ニセクロホシフエダイ

    ニセクロホシフエダイ

この旅行記のタグ

関連タグ

29いいね!

利用規約に違反している投稿は、報告する事ができます。 問題のある投稿を連絡する

この旅行記へのコメント (4)

開く

閉じる

  • masamimさん 2013/10/06 22:07:07
    掲示板に書き込みいただいてありがとうございました
    gashouさんこんばんは!

    ナルスアンのダイビング、懐かしいです。
    私が行ったのはたった一度だけ。
    もう2年くらい前かなぁ・・

    マクタンからだと遠いんで、なかなか行けませんね・・

    ホントにいろいろな海で潜ってらっしゃるんですね。
    すごいです!

    私もダイビングが好きなんですが、
    セブの殿様ダイブから抜け出られません^^;

    今後ともよろしくお願いします!


    masamim

    gashou

    gashouさん からの返信 2013/10/07 04:57:39
    RE: 掲示板に書き込みいただいてありがとうございました
    masamimさん、こんにちは。

    コメントとセブの旅行記に投票を頂き、ありがとうございました。

    セブは何度も行かれているのですね。
    又、セブの旅行記を拝見させて頂きます。
  • ももねねここさん 2010/10/21 09:22:49
    舌を噛みそうな名前ですね
    gashouさん、おはようございます。

    ダイビングお好きなんですね。
    昔、沖縄の座間味島で2度ほど経験した事がありますが海の中って別世界ですよね。
    あの世界にハマってしまう人が多いのも納得です。

    セブ島の舌を噛みそうな名前のお魚達♪可愛いですね。
    場所によって海の色やお魚の種類も違うんでしょうね〜。

    我が家はもっぱら「まったり派」なのでマレーシアへ行っても、あまり観光せずホテルやビーチでボケーっと過ごしています。

    羽田から行ける事になって益々便利になるので嬉しいです!(^^)!

    ももねねここ

    gashou

    gashouさん からの返信 2010/10/21 11:10:24
    RE: 舌を噛みそうな名前ですね
    羽田からだと近くなりますね。
    当方も楽しみにしております。

    ダイビングはもう10年位やっています。

           by gashou

    > gashouさん、おはようございます。
    >
    > ダイビングお好きなんですね。
    > 昔、沖縄の座間味島で2度ほど経験した事がありますが海の中って別世界ですよね。
    > あの世界にハマってしまう人が多いのも納得です。
    >
    > セブ島の舌を噛みそうな名前のお魚達♪可愛いですね。
    > 場所によって海の色やお魚の種類も違うんでしょうね〜。
    >
    > 我が家はもっぱら「まったり派」なのでマレーシアへ行っても、あまり観光せずホテルやビーチでボケーっと過ごしています。
    >
    > 羽田から行ける事になって益々便利になるので嬉しいです!(^^)!
    >
    > ももねねここ

gashouさんのトラベラーページ

コメントを投稿する前に

十分に確認の上、ご投稿ください。 コメントの内容は攻撃的ではなく、相手の気持ちに寄り添ったものになっていますか?

サイト共通ガイドライン(利用上のお願い)

報道機関・マスメディアの方へ 画像提供などに関するお問い合わせは、専用のお問い合わせフォームからお願いいたします。

旅の計画・記録

マイルに交換できるフォートラベルポイントが貯まる
フォートラベルポイントって?

フィリピンで使うWi-Fiはレンタルしましたか?

フォートラベル GLOBAL WiFiなら
フィリピン最安 356円/日~

  • 空港で受取・返却可能
  • お得なポイントがたまる

フィリピンの料金プランを見る

フォートラベル公式LINE@

おすすめの旅行記や旬な旅行情報、お得なキャンペーン情報をお届けします!
QRコードが読み取れない場合はID「@4travel」で検索してください。

\その他の公式SNSはこちら/

タグから海外旅行記(ブログ)を探す

PAGE TOP