慶良間諸島旅行記(ブログ) 一覧に戻る
------------------------------------------------------<br />私は沖縄旅行の半分以上はマイルで行ってます!<br /><br />友人に教えたい。通勤時間を活用してマイルでビジネスクラスに乗ってハワイに行く方法(準備編)<br />http://ameblo.jp/pega-22/entry-12243193003.html<br />------------------------------------------------------<br /><br />心身ともに癒されるべく7月丸一ヶ月の有給休暇。<br />第1弾の阿嘉島、第2弾の八重山に続き、7月第3弾は再度 阿嘉島。<br /><br />友人が長期休暇が取れたということで、急遽再度阿嘉島に行くことに。<br />すっかり沖縄づいた7月の締めくくりは、やはり沖縄☆<br />しかも第1弾と全く同じホテル&ダイビングショップ^^;<br /><br />第1弾:<br />2009年7月 沖縄ダイビング第1弾 阿嘉島<br />http://4travel.jp/traveler/pega_1105/album/10383037/<br /><br />第2弾:<br />2009年7月 沖縄ダイビング第2弾 八重山 (前半:西表島編)<br />http://4travel.jp/traveler/pega_1105/album/10383811/<br /><br />2009年7月 沖縄ダイビング第2弾 八重山 (後半:小浜島編)<br />http://4travel.jp/traveler/pega_1105/album/10384254/<br /><br /><br />今回の阿嘉島では、普段私が東京で利用しているパパラギダイビングスクールでダイビングをはじめ写真家となった道城さんと一緒でした。ショップのメルマガなどで名前は見たことがあったけれども、実際に会うのは初めてでした。<br /><br />他にも、某キー局のカメラマンなど、ごっついカメラを持った人が3人もいました。<br />すっかり一眼レフカメラが欲しくなってしまった旅でした。絶対今年中に手に入れるぞー!<br /><br />-------<br />ところで、慶良間周辺の海が早ければ来年2010年4月からダイバー制限をするらしい。<br /><参考>YOMIURI ONLINE:「慶良間諸島 ダイバー制限でサンゴ保護へ」<br />http://kyushu.yomiuri.co.jp/nature/animalia/wild/20091010-OYS8T00246.htm<br /><br />こんな素晴らしい珊瑚を守るのは当然のこと。でも、ちゃんと一人一人が気をつけて潜っていたら、ここまでしなくても本当は守れるはず。私も今後潜るときには、毎回これらの内容を厳守できているか、今一度再確認したいと思います。もちろん慶良間だけでなく、世界中の海で必要な注意ですね。<br /><br />●手袋をしているからって、いろいろなところに触ったりしていないか?※海外だと手袋禁止のところも多いですね<br />●フィンで砂をまきあげていないか?<br />●気づかずフィンで珊瑚を折ってはいないか?<br />●カレントフックをかけるところに気を配っているか?<br />●一緒に潜っているダイバーがもし上記行為をやってしまっていたら、ちゃんと注意できるか。<br />●温暖化につながる行為をしていないか?(温暖化がサンゴの白化現象につながります)<br /><br />-------<br /><br />【ホテル】<br />1泊目:ホテルラッソ那覇泊港<br />http://www.rasso.co.jp/tomari/<br /><br />2泊目以降:ペンションくば<br />http://www7a.biglobe.ne.jp/~pension-kuba/<br /><br />【ダイビングショップ】<br />ゴビーズ<br />http://gobies.net/<br /><br />■■7月25日(土) <br />夕方の便で那覇入り。<br />この日は移動だけなので、さっさと夕飯を食って、ホテル帰って就寝。<br /><br />夕飯はいつもの居酒屋「わたんじ」<br />http://www.ryoji-family.co.jp/watanji/watanji.html<br /><br />■■7月26日(日) <br />朝1便のクイーン座間味で座間味島へ。<br /><br />マンタに会えた?!やったね^^。<br />この時期の大潮には見れる確率が高いらしいです。毎年来てるのに初めて知った。。。<br />ちなみに、ダイビング中ではなく、みんなでシュノーケルです。<br />「マンタだーーーー、飛び込めー!」ってことでマンタの通り道に船で先回りして、ガイドの号令でみんなで一斉に飛び込んで、通り過ぎるのを上から見るって感じ。シュノーケルで見たの初めてだったけど、何だか慌しいね^^;<br /><br />----ダイビング1本目----<br />【ポイント名】<br />New 久場東<br /><br />【コメント】<br />マクロもワイドもまかせろの久場島周辺。<br />このNew 久場東はどちらかというとサンゴポイント。<br />でも、撮った写真は・・・。全くポイントの全容がわかりません^^;<br /><br />-----------------------<br /><br />----ダイビング2本目----<br />【ポイント名】<br />海底砂漠<br /><br />【コメント】<br />久しぶりにno カメラのdiving。<br />(船の上に忘れただけなんだけどね・・・。)<br /><br />この前フォートラで砂漠の写真コンテストがあったけど、海外限定。<br />写真撮らなかったけど、国内の写真も募集対象だったら、絶対前にこの海底砂漠に潜ったときの写真を出したのになぁ。<br />海の中にも素敵な「砂漠」があるんです!写るんです!<br />-----------------------<br /><br />■■7月27日(月) <br /><br />今日もマンタに会えた?!運良すぎじゃない?(今日もシュノーケルです。)<br />3本目あがったあと、バディの様子が・・・!?どうやら耳がおかしいらしい。<br />記念すべき100本ダイブだったのに、、、大事にいたらないといいのだが。。<br /><br />----ダイビング3本目----<br />【ポイント名】<br />奥武島No2<br /><br />【コメント】<br />3週間前の7月上旬に来た時に初めて潜ったポイント。<br />カシワハナダイの乱舞っぷりは相変わらず!<br />ミナミハコフグ(yg)にも久しぶりに会いました^^。<br />-----------------------<br /><br />----ダイビング4本目----<br />【ポイント名】<br />男岩<br /><br />【コメント】<br />久しぶりの男岩!<br />ここは慶良間周辺の中では流れのかなり早いポイントの一つ。<br />当然回遊魚狙い。ハナヒゲウツボがよく目撃されるのもこのポイントだ。<br />が、、、今回のヒットは、キンチャクガニ!!<br />マグロよりもウツボよりも、やっぱりカニ!!!!<br />-----------------------<br /><br />----ダイビング5本目----<br />【ポイント名】<br />ヤカビトンネル<br /><br />【コメント】<br />パトラッシュ、僕なんだか眠くなってきたよ。。。<br />言葉ではあらわせません。写真見てください。私のつたない拙い腕で伝わるかどうかわかりませんが、、、、<br />天国に連れて行かれそうでした^^;<br />-----------------------<br /><br />■■7月28日(火) <br /><br />なんと、3日連続でマンタに・・・。もう大潮じゃないよねぇ。<br />3回目の今回もシュノーケルだけど、手が届くんじゃないか っていうくらい近かった!<br />ここまでくるとちょっと怖い。。。帰り飛行機落ちないといいなぁ><。<br /><br />ところで、昨日耳の不調を訴えていたバディは、朝になっても耳が片方抜けないらしく、当然ダイビングはお休み。<br />一人阿嘉島観光です。阿嘉初めてだったみたいだし、それはそれでありかもね♪でも、耳は心配><。<br /><br />----ダイビング6本目----<br />【ポイント名】<br />ニシハマ<br /><br />【コメント】<br />慶良間の代表ポイント。<br />これまでも何度か紹介してるので、そろそろ紹介する必要ないですかね・・・?<br />アザハタさんが主だけど、俺のお気に入りは、国内ではここでしかほとんど見れない珍しいエビたちです。<br />-----------------------<br /><br />----ダイビング7本目----<br />【ポイント名】<br />復活への道<br /><br />【コメント】<br />「え?すっかり復活してるじゃなーい」って思うほど、サンゴの群生がすばらしい!!<br />数年前まではサンゴがほとんど全滅していたらしい。<br />-----------------------<br /><br />----ダイビング8本目----<br />【ポイント名】<br />儀名<br /><br />【コメント】<br />いつもの亀ポイントです^^。<br />キンギョハンダイもキレイでした。<br />-----------------------<br /><br />■■7月29日(水) <br /><br />さすがに今日は not マンタ。<br />最終日のダイビングをのんびり楽しみました♪<br /><br />バディは今日もお休みです。ま、100本記念迎えられたし、東京帰ったらゆっくり治療してもらいましょ。<br />いつものミホ先生に。(ミホは苗字で、ちょっと怖い耳鼻科の男の先生ですw)<br /><br />----ダイビング9本目----<br />【ポイント名】<br />平瀬<br /><br />【コメント】<br />オヤビッチャのムレが怖かった・・・。<br />この群れ、何をしているかというと・・・、卵食っちゃってます><。<br />-----------------------<br /><br />----ダイビング10本目----<br />【ポイント名】<br />久場東<br /><br />【コメント】<br />洞窟です。<br />ここも光がすごいっす!<br />-----------------------<br /><br />----ダイビング11本目----<br />【ポイント名】<br />伊釈迦釈<br /><br />【コメント】<br />リュウキュウキッカサンゴが見事でした。<br />最後の1本にふさわしい、癒しポイント。<br />-----------------------<br /><br />■■7月30日(木) <br />最後の最後まで海につかりたい!<br />ってことで、最終日も朝ごはん後に荷物をまとめたら、港のすぐ横でシュノーケリング。<br />朝8時半から9時半頃までたっぷり1時間遊んじゃいました♪<br /><br /><br />クイーン座間味で那覇へ。<br />昼ごはんは公設市場の1Fのお店で魚とセミエビとチョイス!<br />セミエビたかーい><。でもおいしーーー。もちろんお供はビール♪んまっ!<br /><br />7月3連続の沖縄旅行も、これでおしまい。<br />うーん、すっかり1ヶ月間沖縄人の気分♪ 楽しかったぁ?。<br />

2009年7月 沖縄ダイビング第3弾 阿嘉島

12いいね!

2009/07/25 - 2009/07/30

937位(同エリア1669件中)

0

182

ぺが

ぺがさん

------------------------------------------------------
私は沖縄旅行の半分以上はマイルで行ってます!

友人に教えたい。通勤時間を活用してマイルでビジネスクラスに乗ってハワイに行く方法(準備編)
http://ameblo.jp/pega-22/entry-12243193003.html
------------------------------------------------------

心身ともに癒されるべく7月丸一ヶ月の有給休暇。
第1弾の阿嘉島、第2弾の八重山に続き、7月第3弾は再度 阿嘉島。

友人が長期休暇が取れたということで、急遽再度阿嘉島に行くことに。
すっかり沖縄づいた7月の締めくくりは、やはり沖縄☆
しかも第1弾と全く同じホテル&ダイビングショップ^^;

第1弾:
2009年7月 沖縄ダイビング第1弾 阿嘉島
http://4travel.jp/traveler/pega_1105/album/10383037/

第2弾:
2009年7月 沖縄ダイビング第2弾 八重山 (前半:西表島編)
http://4travel.jp/traveler/pega_1105/album/10383811/

2009年7月 沖縄ダイビング第2弾 八重山 (後半:小浜島編)
http://4travel.jp/traveler/pega_1105/album/10384254/


今回の阿嘉島では、普段私が東京で利用しているパパラギダイビングスクールでダイビングをはじめ写真家となった道城さんと一緒でした。ショップのメルマガなどで名前は見たことがあったけれども、実際に会うのは初めてでした。

他にも、某キー局のカメラマンなど、ごっついカメラを持った人が3人もいました。
すっかり一眼レフカメラが欲しくなってしまった旅でした。絶対今年中に手に入れるぞー!

-------
ところで、慶良間周辺の海が早ければ来年2010年4月からダイバー制限をするらしい。
<参考>YOMIURI ONLINE:「慶良間諸島 ダイバー制限でサンゴ保護へ」
http://kyushu.yomiuri.co.jp/nature/animalia/wild/20091010-OYS8T00246.htm

こんな素晴らしい珊瑚を守るのは当然のこと。でも、ちゃんと一人一人が気をつけて潜っていたら、ここまでしなくても本当は守れるはず。私も今後潜るときには、毎回これらの内容を厳守できているか、今一度再確認したいと思います。もちろん慶良間だけでなく、世界中の海で必要な注意ですね。

●手袋をしているからって、いろいろなところに触ったりしていないか?※海外だと手袋禁止のところも多いですね
●フィンで砂をまきあげていないか?
●気づかずフィンで珊瑚を折ってはいないか?
●カレントフックをかけるところに気を配っているか?
●一緒に潜っているダイバーがもし上記行為をやってしまっていたら、ちゃんと注意できるか。
●温暖化につながる行為をしていないか?(温暖化がサンゴの白化現象につながります)

-------

【ホテル】
1泊目:ホテルラッソ那覇泊港
http://www.rasso.co.jp/tomari/

2泊目以降:ペンションくば
http://www7a.biglobe.ne.jp/~pension-kuba/

【ダイビングショップ】
ゴビーズ
http://gobies.net/

■■7月25日(土)
夕方の便で那覇入り。
この日は移動だけなので、さっさと夕飯を食って、ホテル帰って就寝。

夕飯はいつもの居酒屋「わたんじ」
http://www.ryoji-family.co.jp/watanji/watanji.html

■■7月26日(日)
朝1便のクイーン座間味で座間味島へ。

マンタに会えた?!やったね^^。
この時期の大潮には見れる確率が高いらしいです。毎年来てるのに初めて知った。。。
ちなみに、ダイビング中ではなく、みんなでシュノーケルです。
「マンタだーーーー、飛び込めー!」ってことでマンタの通り道に船で先回りして、ガイドの号令でみんなで一斉に飛び込んで、通り過ぎるのを上から見るって感じ。シュノーケルで見たの初めてだったけど、何だか慌しいね^^;

----ダイビング1本目----
【ポイント名】
New 久場東

【コメント】
マクロもワイドもまかせろの久場島周辺。
このNew 久場東はどちらかというとサンゴポイント。
でも、撮った写真は・・・。全くポイントの全容がわかりません^^;

-----------------------

----ダイビング2本目----
【ポイント名】
海底砂漠

【コメント】
久しぶりにno カメラのdiving。
(船の上に忘れただけなんだけどね・・・。)

この前フォートラで砂漠の写真コンテストがあったけど、海外限定。
写真撮らなかったけど、国内の写真も募集対象だったら、絶対前にこの海底砂漠に潜ったときの写真を出したのになぁ。
海の中にも素敵な「砂漠」があるんです!写るんです!
-----------------------

■■7月27日(月)

今日もマンタに会えた?!運良すぎじゃない?(今日もシュノーケルです。)
3本目あがったあと、バディの様子が・・・!?どうやら耳がおかしいらしい。
記念すべき100本ダイブだったのに、、、大事にいたらないといいのだが。。

----ダイビング3本目----
【ポイント名】
奥武島No2

【コメント】
3週間前の7月上旬に来た時に初めて潜ったポイント。
カシワハナダイの乱舞っぷりは相変わらず!
ミナミハコフグ(yg)にも久しぶりに会いました^^。
-----------------------

----ダイビング4本目----
【ポイント名】
男岩

【コメント】
久しぶりの男岩!
ここは慶良間周辺の中では流れのかなり早いポイントの一つ。
当然回遊魚狙い。ハナヒゲウツボがよく目撃されるのもこのポイントだ。
が、、、今回のヒットは、キンチャクガニ!!
マグロよりもウツボよりも、やっぱりカニ!!!!
-----------------------

----ダイビング5本目----
【ポイント名】
ヤカビトンネル

【コメント】
パトラッシュ、僕なんだか眠くなってきたよ。。。
言葉ではあらわせません。写真見てください。私のつたない拙い腕で伝わるかどうかわかりませんが、、、、
天国に連れて行かれそうでした^^;
-----------------------

■■7月28日(火)

なんと、3日連続でマンタに・・・。もう大潮じゃないよねぇ。
3回目の今回もシュノーケルだけど、手が届くんじゃないか っていうくらい近かった!
ここまでくるとちょっと怖い。。。帰り飛行機落ちないといいなぁ><。

ところで、昨日耳の不調を訴えていたバディは、朝になっても耳が片方抜けないらしく、当然ダイビングはお休み。
一人阿嘉島観光です。阿嘉初めてだったみたいだし、それはそれでありかもね♪でも、耳は心配><。

----ダイビング6本目----
【ポイント名】
ニシハマ

【コメント】
慶良間の代表ポイント。
これまでも何度か紹介してるので、そろそろ紹介する必要ないですかね・・・?
アザハタさんが主だけど、俺のお気に入りは、国内ではここでしかほとんど見れない珍しいエビたちです。
-----------------------

----ダイビング7本目----
【ポイント名】
復活への道

【コメント】
「え?すっかり復活してるじゃなーい」って思うほど、サンゴの群生がすばらしい!!
数年前まではサンゴがほとんど全滅していたらしい。
-----------------------

----ダイビング8本目----
【ポイント名】
儀名

【コメント】
いつもの亀ポイントです^^。
キンギョハンダイもキレイでした。
-----------------------

■■7月29日(水)

さすがに今日は not マンタ。
最終日のダイビングをのんびり楽しみました♪

バディは今日もお休みです。ま、100本記念迎えられたし、東京帰ったらゆっくり治療してもらいましょ。
いつものミホ先生に。(ミホは苗字で、ちょっと怖い耳鼻科の男の先生ですw)

----ダイビング9本目----
【ポイント名】
平瀬

【コメント】
オヤビッチャのムレが怖かった・・・。
この群れ、何をしているかというと・・・、卵食っちゃってます><。
-----------------------

----ダイビング10本目----
【ポイント名】
久場東

【コメント】
洞窟です。
ここも光がすごいっす!
-----------------------

----ダイビング11本目----
【ポイント名】
伊釈迦釈

【コメント】
リュウキュウキッカサンゴが見事でした。
最後の1本にふさわしい、癒しポイント。
-----------------------

■■7月30日(木)
最後の最後まで海につかりたい!
ってことで、最終日も朝ごはん後に荷物をまとめたら、港のすぐ横でシュノーケリング。
朝8時半から9時半頃までたっぷり1時間遊んじゃいました♪


クイーン座間味で那覇へ。
昼ごはんは公設市場の1Fのお店で魚とセミエビとチョイス!
セミエビたかーい><。でもおいしーーー。もちろんお供はビール♪んまっ!

7月3連続の沖縄旅行も、これでおしまい。
うーん、すっかり1ヶ月間沖縄人の気分♪ 楽しかったぁ?。

同行者
友人
一人あたり費用
5万円 - 10万円
交通手段
ANAグループ
  • 夕方の便で那覇へ。フライトはいつものANA。<br />やっぱりANAだと落ち着くなぁ〜^^。

    夕方の便で那覇へ。フライトはいつものANA。
    やっぱりANAだと落ち着くなぁ〜^^。

  • 翌朝のクイーン座間味で阿嘉へ。<br />いまいち曇天。。

    翌朝のクイーン座間味で阿嘉へ。
    いまいち曇天。。

  • 1本目は「New 久場東」

    1本目は「New 久場東」

  • ログに控えてなかったので名前不詳のエビ。<br />しかも全身写っていない。。。<br /><br />誰か教えてぇ〜TT。

    ログに控えてなかったので名前不詳のエビ。
    しかも全身写っていない。。。

    誰か教えてぇ〜TT。

  • いつものガラスハゼ

    いつものガラスハゼ

  • ガラスハゼの卵。<br />教えてくれないと絶対にわかりません。。

    ガラスハゼの卵。
    教えてくれないと絶対にわかりません。。

  • 美しい珊瑚礁〜!

    美しい珊瑚礁〜!

  • キベリアカイロウミウシ

    キベリアカイロウミウシ

  • ゾウゲイロウミウシ

    ゾウゲイロウミウシ

  • ハタタテハゼ

    ハタタテハゼ

  • ダンゴオコゼ

    ダンゴオコゼ

  • ホワイトチップ

    ホワイトチップ

  • ↑ホワイトチップのチップの部分^^。<br />まさに「頭かくして尻隠さず」

    ↑ホワイトチップのチップの部分^^。
    まさに「頭かくして尻隠さず」

  • 1日目の2本目「海底砂漠」<br />カメラを船に忘れてエントリー。。<br />ヤシャハゼ/ヒレナガネジリンボウなど、ハゼが充実してました♪もちろんデバもいっぱい!<br /><br />2日目(27日) 「奥武島No2」 <br /><br />もうすこし太陽の光が届くと綺麗に写るんだけどなぁ。これでも、人間の眼だとかなり綺麗です^^。

    1日目の2本目「海底砂漠」
    カメラを船に忘れてエントリー。。
    ヤシャハゼ/ヒレナガネジリンボウなど、ハゼが充実してました♪もちろんデバもいっぱい!

    2日目(27日) 「奥武島No2」

    もうすこし太陽の光が届くと綺麗に写るんだけどなぁ。これでも、人間の眼だとかなり綺麗です^^。

  • モンハナシャコ。このシャコは食べれないらしい(食べられないのではなく食べないだけかも)。<br /><br />ま、こんな派手なシャコ、食べたらどうにかなっちゃいそうです。。

    モンハナシャコ。このシャコは食べれないらしい(食べられないのではなく食べないだけかも)。

    ま、こんな派手なシャコ、食べたらどうにかなっちゃいそうです。。

  • ウツボも大きくて元気です

    ウツボも大きくて元気です

  • もちろん珊瑚もごらんの通り

    もちろん珊瑚もごらんの通り

  • 2日目の2本目 「男岩」<br />これが男岩。2本目はこの岩の周りで潜りました。<br /><br />慶良間諸島で一、二を争う 激流&大物ポイント。

    2日目の2本目 「男岩」
    これが男岩。2本目はこの岩の周りで潜りました。

    慶良間諸島で一、二を争う 激流&大物ポイント。

  • 下から見上げるとこんな感じ

    下から見上げるとこんな感じ

  • いまいち伝わりづらいけど、結構流れてました。<br />特に岩から少し離れると、すごいアップカレント(上に向かっての流れ)だった。

    いまいち伝わりづらいけど、結構流れてました。
    特に岩から少し離れると、すごいアップカレント(上に向かっての流れ)だった。

  • キンチャクガニ!!!!<br /><br />こんなにゆっくりじっくり見たのは、数年前のサイパン以来!大興奮でした。

    キンチャクガニ!!!!

    こんなにゆっくりじっくり見たのは、数年前のサイパン以来!大興奮でした。

  • イソバナのお食事中〜

    イソバナのお食事中〜

  • ウミウシの卵

    ウミウシの卵

  • アカホシサンゴガニ<br />いっつも威嚇してきます。。

    アカホシサンゴガニ
    いっつも威嚇してきます。。

  • カスリフサカサゴ。<br />小さくてcute☆

    カスリフサカサゴ。
    小さくてcute☆

  • 男岩とお別れ〜。昼食のために島に帰還途中♪

    男岩とお別れ〜。昼食のために島に帰還途中♪

  • 「パーラーみやま」の目の前のビーチにおいてあったサバニ。<br /><br />阿嘉島での昼食は毎日「パーラーみやま」。何でって?他にチョイスが。。。

    「パーラーみやま」の目の前のビーチにおいてあったサバニ。

    阿嘉島での昼食は毎日「パーラーみやま」。何でって?他にチョイスが。。。

  • ここもパーラーみやまの前のビーチ。<br /><br />集落の目の前のビーチが、こんなに美しいなんて・・・。<br /><br />島の人には当たり前なんだろうなぁ。

    ここもパーラーみやまの前のビーチ。

    集落の目の前のビーチが、こんなに美しいなんて・・・。

    島の人には当たり前なんだろうなぁ。

  • ピンクの葉が青い空によく栄えます

    ピンクの葉が青い空によく栄えます

  • 立派なシーサー

    立派なシーサー

  • 透明度が半端ありません

    透明度が半端ありません

  • 阿嘉小学校の校庭に咲いていたヒマワリ

    阿嘉小学校の校庭に咲いていたヒマワリ

  • 今回お世話になった Dive Gobies

    今回お世話になった Dive Gobies

  • 阿嘉島と慶留間島の間を結ぶ橋

    阿嘉島と慶留間島の間を結ぶ橋

  • Dive Gobiesのクルーザー。<br />ものすっごい快適です!

    Dive Gobiesのクルーザー。
    ものすっごい快適です!

  • 慶良間の世界。<br /><br />そう、ここはまさに「世界」といっていいほど、癒しの全てが揃っている♪

    慶良間の世界。

    そう、ここはまさに「世界」といっていいほど、癒しの全てが揃っている♪

  • 2日目 「ヤカビトンネル」<br /><br />フタイロカエルウオ。<br />この写真じゃ、全くフタイロかどうかわからないけど。。。

    2日目 「ヤカビトンネル」

    フタイロカエルウオ。
    この写真じゃ、全くフタイロかどうかわからないけど。。。

  • 光のシャワー

    光のシャワー

  • これでもか!

    これでもか!

  • これでもか!

    これでもか!

  • これでも〜!<br />というほど、光のシャワーが美しい><。

    これでも〜!
    というほど、光のシャワーが美しい><。

  • 珊瑚も元気

    珊瑚も元気

  • 太陽は生命の源

    太陽は生命の源

  • えださんごぉ

    えださんごぉ

  • てーぶるさんごぉ

    てーぶるさんごぉ

  • みんな写真に夢中

    みんな写真に夢中

  • ペンション久場 の夕食はいつも大満足♪

    ペンション久場 の夕食はいつも大満足♪

  • もうちょっとで夕日が撮れたのに。。

    もうちょっとで夕日が撮れたのに。。

  • 3日目(28日)「ニシハマ」

    3日目(28日)「ニシハマ」

  • アザハタの根が近づいてきました!

    アザハタの根が近づいてきました!

  • アカシマシラヒゲエビ

    アカシマシラヒゲエビ

  • ホワイトソックス。<br />ニシハマでは必ず見れるけど、かなりレアのエビ。

    ホワイトソックス。
    ニシハマでは必ず見れるけど、かなりレアのエビ。

  • ごっちゃり

    ごっちゃり

  • こんなにごっちゃり

    こんなにごっちゃり

  • 近づいても、ごっちゃりー

    近づいても、ごっちゃりー

  • ちょっと引いてもごっちゃりぃ

    ちょっと引いてもごっちゃりぃ

  • みんなゴッツイ写真持ってます

    みんなゴッツイ写真持ってます

  • ニシハマビーチを沖から眺める<br />絶景なり♪

    ニシハマビーチを沖から眺める
    絶景なり♪

  • ヒズシビーチ

    ヒズシビーチ

  • 昼顔?

    昼顔?

  • 3日目(28日) 「復活への道」<br />見事なテーブル珊瑚<br /><br />復活への道どころか、すっかり復活しているように見える。

    3日目(28日) 「復活への道」
    見事なテーブル珊瑚

    復活への道どころか、すっかり復活しているように見える。

  • 2m以上あるテーブル珊瑚。<br />この大きさになるまで何年かかるのでしょう

    2m以上あるテーブル珊瑚。
    この大きさになるまで何年かかるのでしょう

  • 仲間同士♪<br /><br />珊瑚の中のイソギンチャク。珊瑚も実はクラゲやイソギンチャクと同じ「刺胞動物」。

    仲間同士♪

    珊瑚の中のイソギンチャク。珊瑚も実はクラゲやイソギンチャクと同じ「刺胞動物」。

  • すーっかり

    すーっかり

  • 復活してますよねぇ〜?<br />ちゃんと守っていかないと!

    復活してますよねぇ〜?
    ちゃんと守っていかないと!

  • 珊瑚

    珊瑚

  • 珊瑚珊瑚

    珊瑚珊瑚

  • 夢のような毎日でなんだか怖い。。

    夢のような毎日でなんだか怖い。。

  • 3日目(28日) 「儀名」<br />

    3日目(28日) 「儀名」

  • ヒトスジギンポ。何気にかわいい。

    ヒトスジギンポ。何気にかわいい。

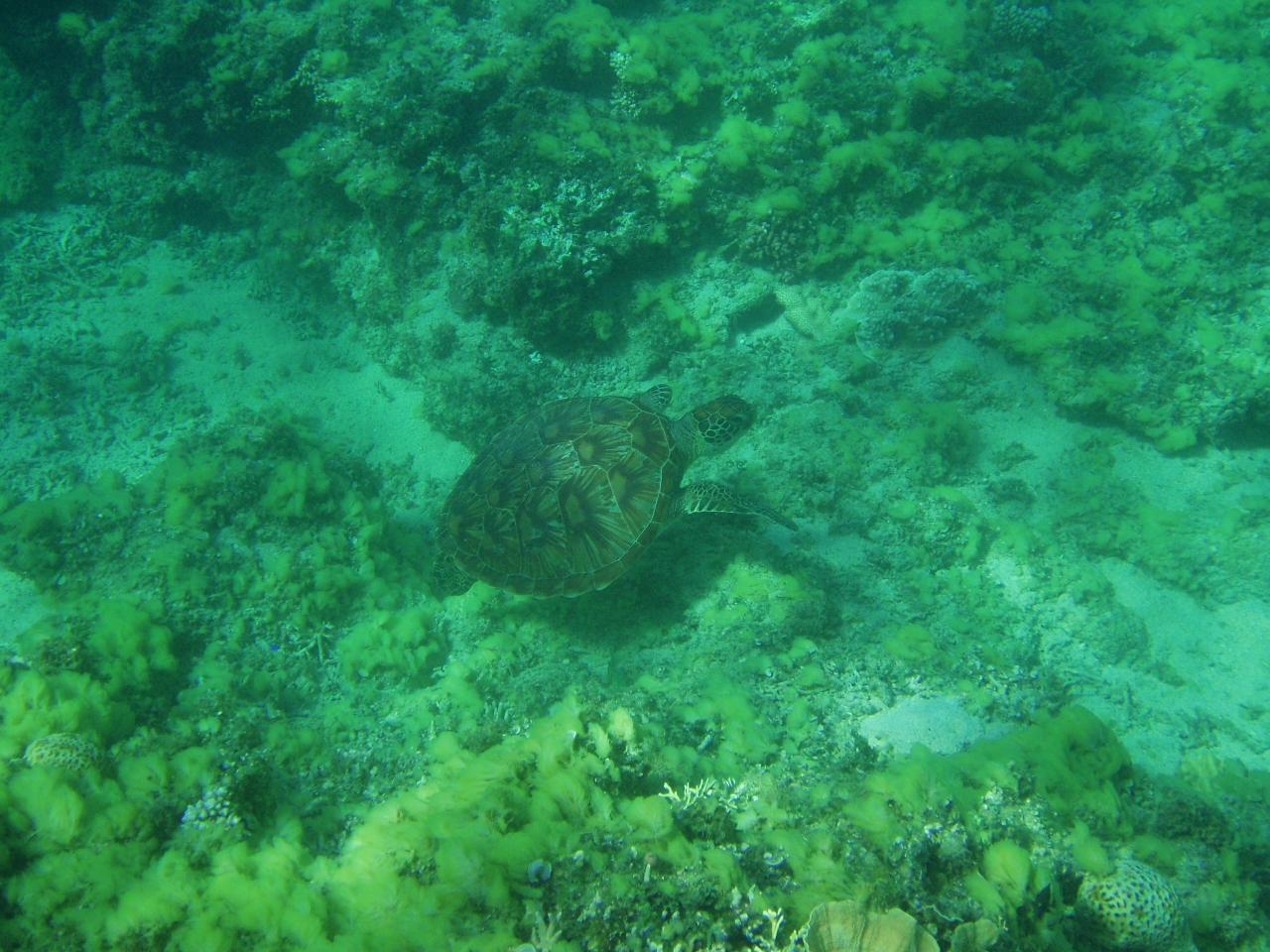
  • 儀名といえば亀

    儀名といえば亀

  • かめ

    かめ

  • かめ!

    かめ!

  • かめ!!

    かめ!!

  • かめぇ

    かめぇ

  • また亀

    また亀

  • またまた亀

    またまた亀

  • まだ亀

    まだ亀

  • まだまだ亀。。

    まだまだ亀。。

  • そろそろしつこい?<br />でもこのアングル、惜しいよね・・・?

    そろそろしつこい?
    でもこのアングル、惜しいよね・・・?

  • この写真が今回の亀写真でお気に入りの1枚。

    この写真が今回の亀写真でお気に入りの1枚。

  • 儀名は珊瑚もすごいんです

    儀名は珊瑚もすごいんです

  • これでもかと亀。。。<br />なんか変な格好w

    これでもかと亀。。。
    なんか変な格好w

  • こいつもフタイロかな?

    こいつもフタイロかな?

  • 4日目(29日)<br />ダイビング最終日。<br /><br />7月の沖縄三昧も今日が最後かぁ><

    4日目(29日)
    ダイビング最終日。

    7月の沖縄三昧も今日が最後かぁ><

  • この写真、実はボートの上から撮ってるんです。<br />すごくないっすか?この透明度!<br /><br />水深5〜7mくらいはあるんですよ。これでも。

    この写真、実はボートの上から撮ってるんです。
    すごくないっすか?この透明度!

    水深5〜7mくらいはあるんですよ。これでも。

  • 今日はどこにもぐるのかなぁ〜

    今日はどこにもぐるのかなぁ〜

  • 4日目(29日)「平瀬」

    4日目(29日)「平瀬」

  • え・・えぐい・・・

    え・・えぐい・・・

  • 卵にむらがるオヤビッチャ。。。

    卵にむらがるオヤビッチャ。。。

  • 立派なテーブルサンゴ

    立派なテーブルサンゴ

  • まさに森

    まさに森

  • アカホシカクレエビ

    アカホシカクレエビ

  • なんだっけな。。。

    なんだっけな。。。

  • ごち?かさご?

    ごち?かさご?

  • ドアップ

    ドアップ

  • ハタタテハゼ^^

    ハタタテハゼ^^

  • カスミチョウチョウウオの群れ

    カスミチョウチョウウオの群れ

  • なんじゃこりゃあ〜

    なんじゃこりゃあ〜

  • も一回テーブルサンゴ。<br />何気に枝珊瑚だけじゃなく、このテーブルサンゴも大好き。

    も一回テーブルサンゴ。
    何気に枝珊瑚だけじゃなく、このテーブルサンゴも大好き。

  • 怖いもの見たさでもう一回、、、オヤビッチャの襲来><

    怖いもの見たさでもう一回、、、オヤビッチャの襲来><

  • 後光が差してます

    後光が差してます

  • 逆日の出

    逆日の出

  • 岩にあたった波が崩れた細かい泡を海から見るとこんな感じ

    岩にあたった波が崩れた細かい泡を海から見るとこんな感じ

  • イソバナも満開っす

    イソバナも満開っす

  • 絵葉書みたいな透明度

    絵葉書みたいな透明度

  • 向こう側でも同じ様な写真を撮影中!?

    向こう側でも同じ様な写真を撮影中!?

  • 最終日2本目は「久場北」<br />写真はキャベツ畑(リュウキュウキッカサンゴ)。

    最終日2本目は「久場北」
    写真はキャベツ畑(リュウキュウキッカサンゴ)。

  • ツユベラの幼魚

    ツユベラの幼魚

  • がメインではなく、、、、<br />実はこっちのアカハチハゼがメイン。

    がメインではなく、、、、
    実はこっちのアカハチハゼがメイン。

  • 久場北は地形ポイントです

    久場北は地形ポイントです

  • ほら

    ほら

  • こんなに

    こんなに

  • きれいな

    きれいな

  • 光の

    光の

  • シャワーが

    シャワーが

  • いっぱい

    いっぱい

  • いっぱい

    いっぱい

  • あるん

    あるん

  • です

    です

  • 写真を撮らずには

    写真を撮らずには

  • いれず、

    いれず、

  • こんなに

    こんなに

  • いっぱい撮っちゃいました。。。

    いっぱい撮っちゃいました。。。

  • ダイビング途中で、洞窟の途中で、一旦水面に出れました。

    ダイビング途中で、洞窟の途中で、一旦水面に出れました。

  • またもやウミウシの卵

    またもやウミウシの卵

  • そして

    そして

  • そろそろ

    そろそろ

  • しつこいって・・・?

    しつこいって・・・?

  • だって

    だって

  • 太陽の光が

    太陽の光が

  • こんなにきれいに

    こんなにきれいに

  • 差し込んでくるって

    差し込んでくるって

  • すごいと

    すごいと

  • 思いません?

    思いません?

  • 地形ポイントでも、珊瑚だってこんなに綺麗なんです。恐るべし慶良間。

    地形ポイントでも、珊瑚だってこんなに綺麗なんです。恐るべし慶良間。

  • オニハタ?

    オニハタ?

  • モンガラくん。

    モンガラくん。

  • 水中から雲まで見えます

    水中から雲まで見えます

  • 久場北 さようなら〜^^/

    久場北 さようなら〜^^/

  • 今日は、Dive Gobiesさん家のお子さんも潜るみたいw

    今日は、Dive Gobiesさん家のお子さんも潜るみたいw

  • 家族3人みんながボートにのってて、オーナーは何だか心なしか落ち着かないのかな(笑)

    家族3人みんながボートにのってて、オーナーは何だか心なしか落ち着かないのかな(笑)

  • 最後の一本はーーー

    最後の一本はーーー

  • 「伊釈迦釈」。すごいポイント名^^;

    「伊釈迦釈」。すごいポイント名^^;

  • アカホシカクレ

    アカホシカクレ

  • イジャカジャも珊瑚が綺麗

    イジャカジャも珊瑚が綺麗

  • ここにもリュウキュウキッカサンゴが!

    ここにもリュウキュウキッカサンゴが!

  • 南の海には世界中どこにもよくいる「シコススズメダイ」。英名は「チョコレートディップフィッシュ」。英名の方がいいね^^

    南の海には世界中どこにもよくいる「シコススズメダイ」。英名は「チョコレートディップフィッシュ」。英名の方がいいね^^

  • 攻撃的なくまのみ

    攻撃的なくまのみ

  • 見事

    見事

  • 近くで見ても圧巻です

    近くで見ても圧巻です

  • ギンポさん?

    ギンポさん?

  • これも珊瑚です。すごいなぁ。

    これも珊瑚です。すごいなぁ。

  • クマノミ幼稚園

    クマノミ幼稚園

  • 吸い込まれそうな青

    吸い込まれそうな青

  • 斜面も全部珊瑚・珊瑚・珊瑚!

    斜面も全部珊瑚・珊瑚・珊瑚!

  • コナユキツバメガイ

    コナユキツバメガイ

  • マユゲエビ。<br />正式名称:サンゴテッポウエビ<br /><br />これが今回のダイビング最後の一枚(笑)

    マユゲエビ。
    正式名称:サンゴテッポウエビ

    これが今回のダイビング最後の一枚(笑)

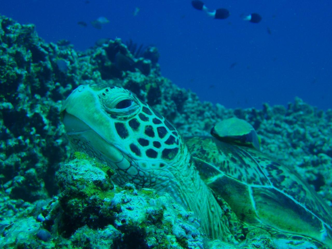
  • 往生際が悪く、宿に戻って器材を干したら、シュノーケリングセットを持って、ビーチへ!<br /><br />港の横でシュノーケリングしてたら、亀が!

    往生際が悪く、宿に戻って器材を干したら、シュノーケリングセットを持って、ビーチへ!

    港の横でシュノーケリングしてたら、亀が!

  • いつでも触れる距離でしたが、、、そこはナチュラリストを目指して、ぐっと我慢(当たり前か^^;

    いつでも触れる距離でしたが、、、そこはナチュラリストを目指して、ぐっと我慢(当たり前か^^;

  • 帰る日の朝。相変わらず往生際が悪く。。。

    帰る日の朝。相変わらず往生際が悪く。。。

  • またもや・・・

    またもや・・・

  • シュノーケリング!

    シュノーケリング!

  • 海と離れたくない><

    海と離れたくない><

  • と、最後まで亀がちゃんと見送ってくれました

    と、最後まで亀がちゃんと見送ってくれました

  • 港の横にも

    港の横にも

  • こんなに綺麗な珊瑚や

    こんなに綺麗な珊瑚や

  • ゴンズイ玉や

    ゴンズイ玉や

  • またまた珊瑚が、、、あるんです。

    またまた珊瑚が、、、あるんです。

  • これが港横のビーチ。ここもとっても綺麗です。

    これが港横のビーチ。ここもとっても綺麗です。

  • 阿嘉島とお別れ><

    阿嘉島とお別れ><

  • 顔は笑ってても、心は泣いてます。。。

    顔は笑ってても、心は泣いてます。。。

  • 男岩〜。お世話になりましたぁ〜。

    男岩〜。お世話になりましたぁ〜。

  • 那覇に到着。那覇につくと、もう帰ってきてしまったんだと、早くも悲しくなってきますTT。

    那覇に到着。那覇につくと、もう帰ってきてしまったんだと、早くも悲しくなってきますTT。

  • 最後は、お昼とお土産買いに、公設市場へ。

    最後は、お昼とお土産買いに、公設市場へ。

  • お昼ごはん何にしようかなぁ〜

    お昼ごはん何にしようかなぁ〜

  • イセエビもいいけど。。。<br />今回は、セミエビ!

    イセエビもいいけど。。。
    今回は、セミエビ!

  • 当然、オリオンは外せません。っていうかこれがメイン!?

    当然、オリオンは外せません。っていうかこれがメイン!?

  • セミエビはお刺身でいただきます。<br />頭は汁にしてもらいます。

    セミエビはお刺身でいただきます。
    頭は汁にしてもらいます。

  • こんな感じに。うーん、贅沢!<br />セミエビって、高いんですよぉ><。

    こんな感じに。うーん、贅沢!
    セミエビって、高いんですよぉ><。

  • なんの魚か忘れちゃった^^;<br />でもこれもおいしかったぁ〜

    なんの魚か忘れちゃった^^;
    でもこれもおいしかったぁ〜

  • 午後の便で、東京へ。<br />7月第3弾の沖縄旅行も、いよいよ幕引き。<br /><br />ながーーいこと、見ていただき、ありがとうございます☆

    午後の便で、東京へ。
    7月第3弾の沖縄旅行も、いよいよ幕引き。

    ながーーいこと、見ていただき、ありがとうございます☆

この旅行記のタグ

関連タグ

12いいね!

利用規約に違反している投稿は、報告する事ができます。 問題のある投稿を連絡する

コメントを投稿する前に

十分に確認の上、ご投稿ください。 コメントの内容は攻撃的ではなく、相手の気持ちに寄り添ったものになっていますか?

サイト共通ガイドライン(利用上のお願い)

報道機関・マスメディアの方へ 画像提供などに関するお問い合わせは、専用のお問い合わせフォームからお願いいたします。

旅の計画・記録

マイルに交換できるフォートラベルポイントが貯まる
フォートラベルポイントって?

フォートラベル公式LINE@

おすすめの旅行記や旬な旅行情報、お得なキャンペーン情報をお届けします!
QRコードが読み取れない場合はID「@4travel」で検索してください。

\その他の公式SNSはこちら/

タグから国内旅行記(ブログ)を探す

PAGE TOP