ホノルル旅行記(ブログ) 一覧に戻る
四日目。<br />今日は、ハナウマ湾へ行ってシュノーケリング、<br />クヒオビーチ・トーチライティング&フラショー、<br />最後の夜は、ややドレスアップして<br />ミッシェルズでディナーです。

フラ三昧のHawaii ? 自力でハナウマ湾⇒ビーチフラショー⇒ミッシェルズ

2いいね!

2008/09/18 - 2008/09/23

15317位(同エリア17394件中)

0

47

hiro-rin

hiro-rinさん

四日目。
今日は、ハナウマ湾へ行ってシュノーケリング、
クヒオビーチ・トーチライティング&フラショー、
最後の夜は、ややドレスアップして
ミッシェルズでディナーです。

同行者
友人
一人あたり費用
20万円 - 25万円
交通手段
高速・路線バス
航空会社
ユナイテッド航空
旅行の手配内容
ツアー(添乗員同行なし)
  • ちょうど旅行中、ハナウマ湾の工事があり、<br />ツアーを申し込んでいたのにキャンセルになりました。<br />そこで、自力でバスで行くことにして、朝一番のバスで<br />向かいました。<br />安いし、意外と簡単に行くことができます。

    ちょうど旅行中、ハナウマ湾の工事があり、
    ツアーを申し込んでいたのにキャンセルになりました。
    そこで、自力でバスで行くことにして、朝一番のバスで
    向かいました。
    安いし、意外と簡単に行くことができます。

  • 朝9時です。<br />

    朝9時です。

  • バス停の向こうの道の坂を下っていきます。<br />

    バス停の向こうの道の坂を下っていきます。

  • 遠くの方にハナウマ湾が見えます。

    遠くの方にハナウマ湾が見えます。

  • さっきの道をずっと歩いて、駐車場を過ぎると、<br />チケット売り場に到着します。

    さっきの道をずっと歩いて、駐車場を過ぎると、
    チケット売り場に到着します。

  • チケットブースで1人5ドル、入場料を支払います。

    チケットブースで1人5ドル、入場料を支払います。

  • 約10分、日本語のイヤホンガイドをもらって<br />ハナウマ湾の説明ビデオを見ながら、<br />注意事項を聞き、いざ海へ!<br /><br />坂をどんどん下ってビーチに行きます。<br />坂から見える湾がとてもきれいです。

    約10分、日本語のイヤホンガイドをもらって
    ハナウマ湾の説明ビデオを見ながら、
    注意事項を聞き、いざ海へ!

    坂をどんどん下ってビーチに行きます。
    坂から見える湾がとてもきれいです。

  • すでにシュノーケルをしている人がプカプカ浮いてます。

    すでにシュノーケルをしている人がプカプカ浮いてます。

  • シュノーケル3点セット(フィン・マスク・パイプ)で9ドル、コインロッカーに5ドル、レンタル保証でクレジットカードを渡して、早速シュノーケルです。

    シュノーケル3点セット(フィン・マスク・パイプ)で9ドル、コインロッカーに5ドル、レンタル保証でクレジットカードを渡して、早速シュノーケルです。

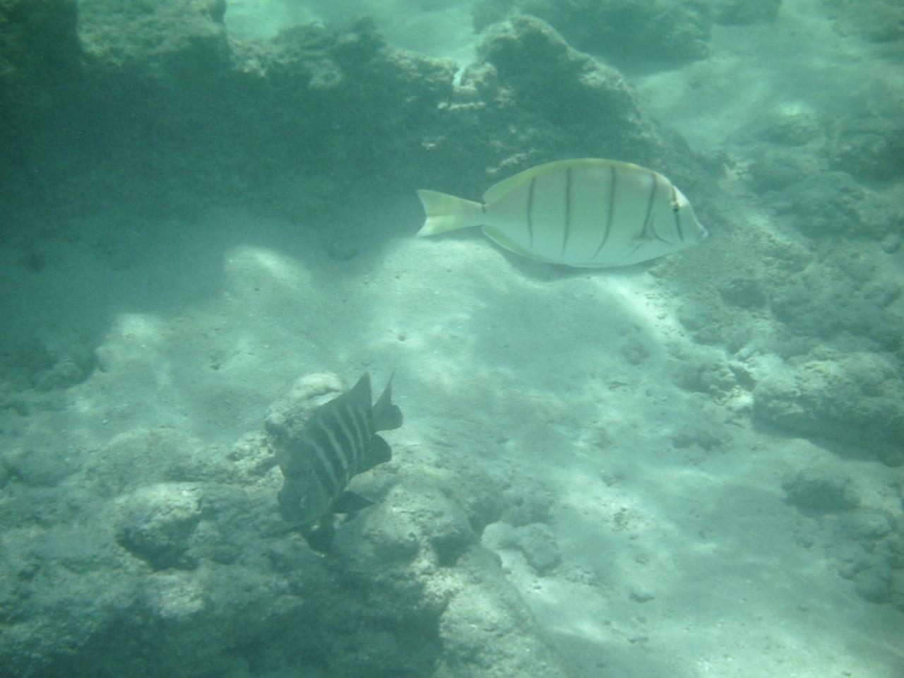
  • カメラを向けながら魚を追いかけていると、<br />意外と流されて結構な距離を進んでいました。

    カメラを向けながら魚を追いかけていると、
    意外と流されて結構な距離を進んでいました。

  • 滞在時間は約3時間。<br />結構遊びました。

    滞在時間は約3時間。
    結構遊びました。

  • 昨日から食べたかったシェイブアイス。<br />暑いからあっという間に食べました。

    昨日から食べたかったシェイブアイス。
    暑いからあっという間に食べました。

  • ワイキキに戻りました。<br />運動したからおなかがすきます。<br />キングスビレッジのバーガーキングで。

    ワイキキに戻りました。
    運動したからおなかがすきます。
    キングスビレッジのバーガーキングで。

  • ヒルトンのラグーンでパラソルとチェアを無料レンタルして、ゆったりと過ごしてみました。

    ヒルトンのラグーンでパラソルとチェアを無料レンタルして、ゆったりと過ごしてみました。

  • 意外と広いんですね。人も少ないし。

    意外と広いんですね。人も少ないし。

  • おじいちゃんとおばあちゃんが!<br />かわいい。

    おじいちゃんとおばあちゃんが!
    かわいい。

  • 約一時間くらい遊んだり寝たりしてから、<br />ワイキキビーチ沿いを歩いてホテルに戻ることにしました。

    約一時間くらい遊んだり寝たりしてから、
    ワイキキビーチ沿いを歩いてホテルに戻ることにしました。

  • ハレクラニのステージが見えます。

    ハレクラニのステージが見えます。

  • シェラトンで咲いてたハイビスカス。

    シェラトンで咲いてたハイビスカス。

  • モアナサーフライダー<br /><br />あぁ一度泊まってみたい・・・。<br /><br />ホテル見学?を終えてホテルに戻ります。

    モアナサーフライダー

    あぁ一度泊まってみたい・・・。

    ホテル見学?を終えてホテルに戻ります。

  • 18:20、フラショーの会場に向かいました。<br />

    18:20、フラショーの会場に向かいました。

  • サンセット・・・

    サンセット・・・

  • ショーが始まりました。

    ショーが始まりました。

  • ケイキフラ

    ケイキフラ

  • お姉さんたちのフラ

    お姉さんたちのフラ

  • また子供たちのケイキフラ

    また子供たちのケイキフラ

  • おかあさんたちのフラ<br />動きが滑らかで貫録を感じました。

    おかあさんたちのフラ
    動きが滑らかで貫録を感じました。

  • 綺麗なお姉さん一人で

    綺麗なお姉さん一人で

  • お兄さんとお姉さんのフラ

    お兄さんとお姉さんのフラ

  • お客さんが参加して、教えてもらいながら一曲踊ります。<br />hiro-rinは撮影、友達が参加しました。

    お客さんが参加して、教えてもらいながら一曲踊ります。
    hiro-rinは撮影、友達が参加しました。

  • 盛りだくさんのショーも一時間で終わり。<br />楽しかった〜

    盛りだくさんのショーも一時間で終わり。
    楽しかった〜

  • 20時にディナーを予約したミッシェルズに向かいます。<br />近くのホテルでタクシーを呼んでもらいました。

    20時にディナーを予約したミッシェルズに向かいます。
    近くのホテルでタクシーを呼んでもらいました。

  • 頼んだスープを目の前で作ってくれています。<br />ロブスタービスクです。<br />香ばしい香りが・・・

    頼んだスープを目の前で作ってくれています。
    ロブスタービスクです。
    香ばしい香りが・・・

  • 他の食べ物はシェアしたのですが、<br />このスープは一人前ずつ注文。<br />絶対頼んでください。<br />おいしかったです。

    他の食べ物はシェアしたのですが、
    このスープは一人前ずつ注文。
    絶対頼んでください。
    おいしかったです。

  • サーモン フォアスティエア

    サーモン フォアスティエア

  • デザートは、JCBカードの特典で無料でした。<br />クーポンは必須ですね。<br />ふわふわのスフレ。<br /><br />初日はコースで食べきれず、<br />今回はシェアしたので、<br />すべて美味しくいただけたし、<br />何より思っていたよりもお安かったです。<br /><br /><br />

    デザートは、JCBカードの特典で無料でした。
    クーポンは必須ですね。
    ふわふわのスフレ。

    初日はコースで食べきれず、
    今回はシェアしたので、
    すべて美味しくいただけたし、
    何より思っていたよりもお安かったです。


  • あっという間の旅行。<br />空港です。<br />空港でもフラ。<br /><br />最後の最後まで楽しませてくれるHawaii、大好き。

    あっという間の旅行。
    空港です。
    空港でもフラ。

    最後の最後まで楽しませてくれるHawaii、大好き。

  • 機内食?

    機内食?

  • 機内食?<br /><br />パン焦げてます。<br /><br />また絶対行きたいです。

    機内食?

    パン焦げてます。

    また絶対行きたいです。

この旅行記のタグ

2いいね!

利用規約に違反している投稿は、報告する事ができます。 問題のある投稿を連絡する

コメントを投稿する前に

十分に確認の上、ご投稿ください。 コメントの内容は攻撃的ではなく、相手の気持ちに寄り添ったものになっていますか?

サイト共通ガイドライン(利用上のお願い)

報道機関・マスメディアの方へ 画像提供などに関するお問い合わせは、専用のお問い合わせフォームからお願いいたします。

旅の計画・記録

マイルに交換できるフォートラベルポイントが貯まる
フォートラベルポイントって?

ハワイで使うWi-Fiはレンタルしましたか?

フォートラベル GLOBAL WiFiなら
ハワイ最安 285円/日~

  • 空港で受取・返却可能
  • お得なポイントがたまる

ハワイの料金プランを見る

フォートラベル公式LINE@

おすすめの旅行記や旬な旅行情報、お得なキャンペーン情報をお届けします!
QRコードが読み取れない場合はID「@4travel」で検索してください。

\その他の公式SNSはこちら/

PAGE TOP