北マーレ環礁旅行記(ブログ) 一覧に戻る
 毎日、透明度の高い午前中はシュノーケル三昧♪ハウスリーフがよいと評判のアンサナでのシュノーケルはとても楽しかった。<br /> 

アンサナでまったり~♪ その2

2いいね!

2006/07/08 - 2006/07/15

698位(同エリア821件中)

0

39

ちびしろさん

 毎日、透明度の高い午前中はシュノーケル三昧♪ハウスリーフがよいと評判のアンサナでのシュノーケルはとても楽しかった。
 

  •  <br /> ダイビングセンターでは無料でシュノーケル3点セット&ライフジャケットを貸してくれる。  <br /><br /> サンゴ礁の切れ目を通ってドロップオフへ。<br /> わかりづらいけど、この写真はその切れ目を示す看板。

     
     ダイビングセンターでは無料でシュノーケル3点セット&ライフジャケットを貸してくれる。  

     サンゴ礁の切れ目を通ってドロップオフへ。
     わかりづらいけど、この写真はその切れ目を示す看板。

  •  島の東側はドロップオフまでの距離も短く、穏やかでシュノーケル向き。<br /> 私たちはよくここでシュノーケルをしていた。

     島の東側はドロップオフまでの距離も短く、穏やかでシュノーケル向き。
     私たちはよくここでシュノーケルをしていた。

  •  シュノーケル中の1枚。東側はお部屋から海までがほんと近い!

     シュノーケル中の1枚。東側はお部屋から海までがほんと近い!

  •  島の西側はドロップオフまで遠くてつらかった〜。 波も高く、シュノーケル中はかなり揺らされた。

     島の西側はドロップオフまで遠くてつらかった〜。 波も高く、シュノーケル中はかなり揺らされた。

  •  桟橋そばは魚がいっぱい!<br /> でもボートがこわくてなるべく近づかなかった・・・。

     桟橋そばは魚がいっぱい!
     でもボートがこわくてなるべく近づかなかった・・・。

  •  シュノーケル中のお魚たち・・・

     シュノーケル中のお魚たち・・・

  •  なぜかみんなカメラ目線。かわいい〜!!

     なぜかみんなカメラ目線。かわいい〜!!

  •  見れば見るほどこわい・・・

     見れば見るほどこわい・・・

  •  なんだか人懐っこくて、やたら近づいてきた。でも、結構大きくてこわかった。

     なんだか人懐っこくて、やたら近づいてきた。でも、結構大きくてこわかった。

  •  なんか足元に魚が集まってきた・・・

     なんか足元に魚が集まってきた・・・

  •  とうとう囲まれてしまった。。。<br /> 食べられてしまいそうでこわかった〜。

     とうとう囲まれてしまった。。。
     食べられてしまいそうでこわかった〜。

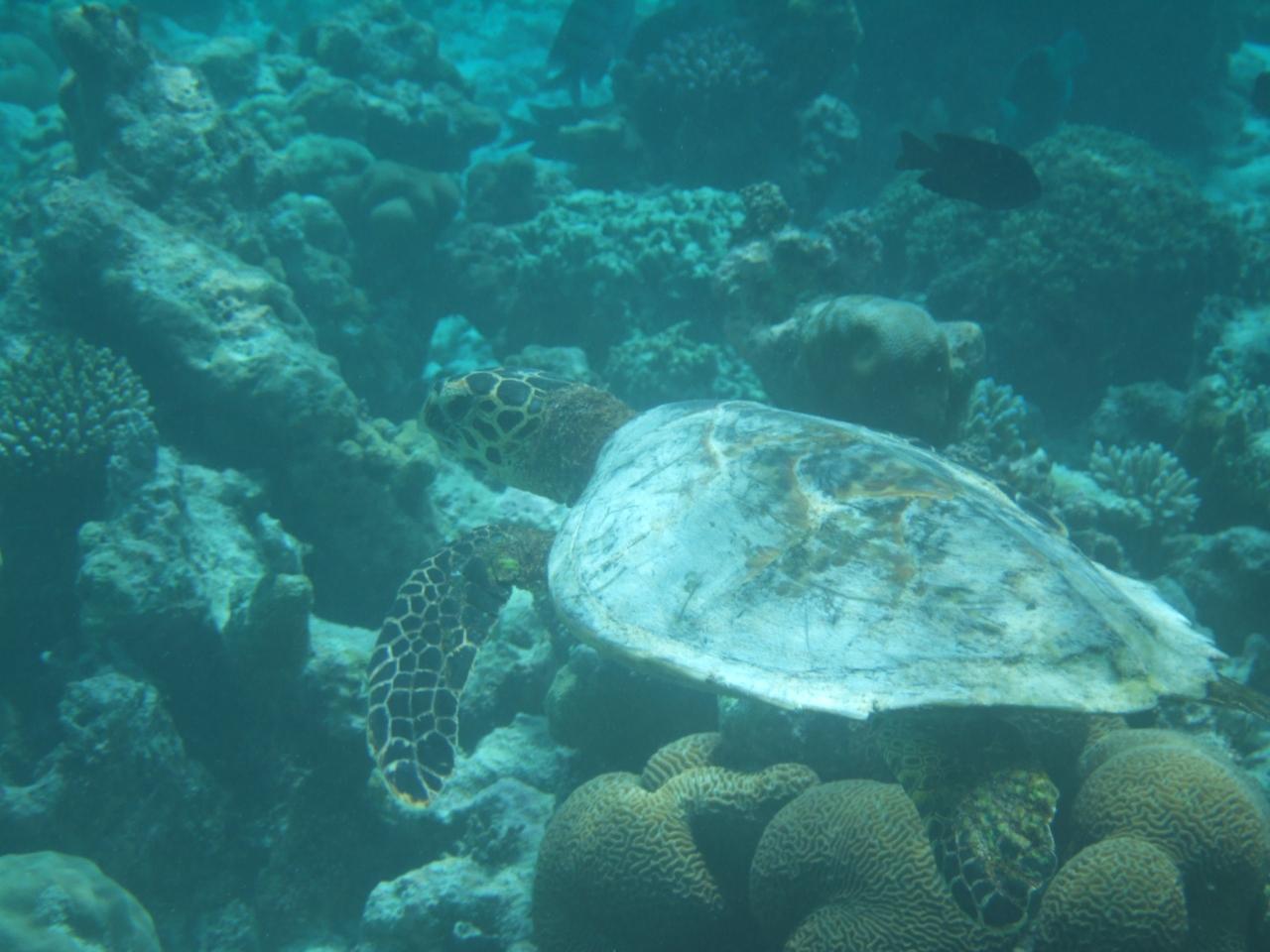
  •  アンサナでは亀ちゃん見られなくて残念だね〜なんて話していたら、最終日の最後のシュノーケルで、西側で発見!! <br /> どうやらサンゴを食べているらしい・・・。

     アンサナでは亀ちゃん見られなくて残念だね〜なんて話していたら、最終日の最後のシュノーケルで、西側で発見!! 
     どうやらサンゴを食べているらしい・・・。

  •  波に揺られながら、10分以上は観察してたかも・・・。 <br /> ようやく食べるのをやめて上に泳いできた。わ〜い!

     波に揺られながら、10分以上は観察してたかも・・・。 
     ようやく食べるのをやめて上に泳いできた。わ〜い!

  •  最後の最後にこんな近くで大好きなカメちゃんを見ることができてうれしかった〜!

     最後の最後にこんな近くで大好きなカメちゃんを見ることができてうれしかった〜!

この旅行記のタグ

2いいね!

利用規約に違反している投稿は、報告する事ができます。 問題のある投稿を連絡する

コメントを投稿する前に

十分に確認の上、ご投稿ください。 コメントの内容は攻撃的ではなく、相手の気持ちに寄り添ったものになっていますか?

サイト共通ガイドライン(利用上のお願い)

報道機関・マスメディアの方へ 画像提供などに関するお問い合わせは、専用のお問い合わせフォームからお願いいたします。

旅の計画・記録

マイルに交換できるフォートラベルポイントが貯まる
フォートラベルポイントって?

モルディブで使うWi-Fiはレンタルしましたか?

フォートラベル GLOBAL WiFiなら
モルディブ最安 562円/日~

  • 空港で受取・返却可能
  • お得なポイントがたまる

モルディブの料金プランを見る

フォートラベル公式LINE@

おすすめの旅行記や旬な旅行情報、お得なキャンペーン情報をお届けします!
QRコードが読み取れない場合はID「@4travel」で検索してください。

\その他の公式SNSはこちら/

PAGE TOP