石垣島旅行記(ブログ) 一覧に戻る
沖縄・石垣島のスキューバ・ダイビング・ログ<br />台風3号が接近中にもかかわらず、石垣の美しい海で、マンタと戯れてきました!1日目:川平石崎マンタスクランブル 2日目:台風で潜れず... 3日目:伊土名水路 4日目:米原Wリーフ(プカピー)北、荒川ヨスジの根、川平石崎マンタスクランブル

2006石垣島ダイビング

7いいね!

2006/07/06 - 2006/07/11

4170位(同エリア5917件中)

0

30

twosocks

twosocksさん

沖縄・石垣島のスキューバ・ダイビング・ログ
台風3号が接近中にもかかわらず、石垣の美しい海で、マンタと戯れてきました!1日目:川平石崎マンタスクランブル 2日目:台風で潜れず... 3日目:伊土名水路 4日目:米原Wリーフ(プカピー)北、荒川ヨスジの根、川平石崎マンタスクランブル

同行者
カップル・夫婦
交通手段
レンタカー JALグループ
  • 川平石崎マンタスクランブル:ここはマンタ(オニイトマキエイ)が見れる確立が高いことで有名です

    イチオシ

    川平石崎マンタスクランブル:ここはマンタ(オニイトマキエイ)が見れる確立が高いことで有名です

  • 川平石崎マンタスクランブル:根(岩)の上で小魚にクリーニングされてます

    川平石崎マンタスクランブル:根(岩)の上で小魚にクリーニングされてます

  • 川平石崎マンタスクランブル:ぐるぐるホバリング

    川平石崎マンタスクランブル:ぐるぐるホバリング

  • 川平石崎マンタスクランブル:ダイバーはこんな感じで観察してます

    川平石崎マンタスクランブル:ダイバーはこんな感じで観察してます

  • 川平石崎マンタスクランブル:シャッターチャンス!

    イチオシ

    川平石崎マンタスクランブル:シャッターチャンス!

  • 川平石崎マンタスクランブル:優雅です

    川平石崎マンタスクランブル:優雅です

  • 川平石崎マンタスクランブル:頭上通過!

    川平石崎マンタスクランブル:頭上通過!

  • 川平石崎マンタスクランブル:マンタだけじゃなくクマノミもいます

    川平石崎マンタスクランブル:マンタだけじゃなくクマノミもいます

  • 今回お世話になったのは、伊土名にあるマリンメイトというダイビングサービス

    今回お世話になったのは、伊土名にあるマリンメイトというダイビングサービス

  • 目の前のプライベートビーチから、すぐボートで出発できます

    目の前のプライベートビーチから、すぐボートで出発できます

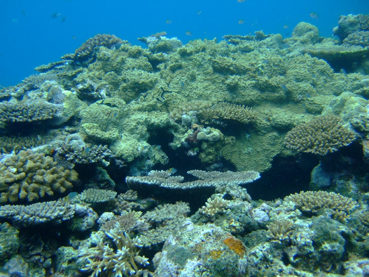
  • 伊土名水路:着底できないほどのサンゴ

    伊土名水路:着底できないほどのサンゴ

  • 伊土名水路:サンゴ

    伊土名水路:サンゴ

  • 伊土名水路:アケボノチョウチョウウオ

    伊土名水路:アケボノチョウチョウウオ

  • 伊土名水路:ハリセンボン

    伊土名水路:ハリセンボン

  • 伊土名水路:チリメンヤッコ

    伊土名水路:チリメンヤッコ

  • 伊土名水路:ヘコアユを撮っていたら、ウミヘビがぬう〜っと通っていった

    伊土名水路:ヘコアユを撮っていたら、ウミヘビがぬう〜っと通っていった

  • 米原Wリーフ(プカピー)北:アカハチハゼ

    米原Wリーフ(プカピー)北:アカハチハゼ

  • 米原Wリーフ(プカピー)北:すごい枝サンゴ

    米原Wリーフ(プカピー)北:すごい枝サンゴ

  • 米原Wリーフ(プカピー)北:透明度もいいし、カラフルな魚もいっぱい

    米原Wリーフ(プカピー)北:透明度もいいし、カラフルな魚もいっぱい

  • 米原Wリーフ(プカピー)北:スミレナガハナダイ

    米原Wリーフ(プカピー)北:スミレナガハナダイ

  • 米原Wリーフ(プカピー)北:セナキルリスズメダイ

    米原Wリーフ(プカピー)北:セナキルリスズメダイ

  • 米原Wリーフ(プカピー)北:キンギョハナダイ

    イチオシ

    米原Wリーフ(プカピー)北:キンギョハナダイ

  • 米原Wリーフ(プカピー)北:トノサマダイ

    米原Wリーフ(プカピー)北:トノサマダイ

  • 米原Wリーフ(プカピー)北:アカフチリュウグウウミウシ

    米原Wリーフ(プカピー)北:アカフチリュウグウウミウシ

  • 米原Wリーフ(プカピー)北:サンゴの隙間にいたカニ

    米原Wリーフ(プカピー)北:サンゴの隙間にいたカニ

  • 荒川ヨスジの根:切り立ったリーフエッジのポイント

    荒川ヨスジの根:切り立ったリーフエッジのポイント

  • 荒川ヨスジの根:コイボウミウシ

    荒川ヨスジの根:コイボウミウシ

  • 荒川ヨスジの根:モンガラカワハギ

    荒川ヨスジの根:モンガラカワハギ

  • 荒川ヨスジの根:オニハタタテダイ

    荒川ヨスジの根:オニハタタテダイ

  • 荒川ヨスジの根:イッテンチョウチョウウオ

    荒川ヨスジの根:イッテンチョウチョウウオ

この旅行記のタグ

関連タグ

7いいね!

利用規約に違反している投稿は、報告する事ができます。 問題のある投稿を連絡する

コメントを投稿する前に

十分に確認の上、ご投稿ください。 コメントの内容は攻撃的ではなく、相手の気持ちに寄り添ったものになっていますか?

サイト共通ガイドライン(利用上のお願い)

報道機関・マスメディアの方へ 画像提供などに関するお問い合わせは、専用のお問い合わせフォームからお願いいたします。

旅の計画・記録

マイルに交換できるフォートラベルポイントが貯まる
フォートラベルポイントって?

フォートラベル公式LINE@

おすすめの旅行記や旬な旅行情報、お得なキャンペーン情報をお届けします!
QRコードが読み取れない場合はID「@4travel」で検索してください。

\その他の公式SNSはこちら/

タグから国内旅行記(ブログ)を探す

PAGE TOP