ケアンズ旅行記(ブログ) 一覧に戻る
グレートバリアリーフへ行きました。<br />本物のエメラルドグリーンの海を見ることができました。<br />これを見たあなた。是非、行ってください。<br />ケアンズは、小さい街なので、3泊4日で、十分楽しめました。<br />仕事に追われているあなたにもお勧めです。

グレートバリアリーフへ行きました。

2いいね!

2005/07/14 - 2005/07/17

1909位(同エリア2727件中)

2

7

悠ちゃんのパパくまさんさん

グレートバリアリーフへ行きました。
本物のエメラルドグリーンの海を見ることができました。
これを見たあなた。是非、行ってください。
ケアンズは、小さい街なので、3泊4日で、十分楽しめました。
仕事に追われているあなたにもお勧めです。

同行者
友人
一人あたり費用
5万円 - 10万円
交通手段
タクシー
航空会社
  • ケアンズから目と鼻の先にあるグリーン島です。<br />珊瑚が堆積してできた島だそうです。<br />すごく小さな島ですが、中には、ホテル、レストラン、プールなどが揃っていました。

    ケアンズから目と鼻の先にあるグリーン島です。
    珊瑚が堆積してできた島だそうです。
    すごく小さな島ですが、中には、ホテル、レストラン、プールなどが揃っていました。

  • グレートバリアリーフのパンフレットに必ず出てくる物体です。名前はポントゥーンと言うそうです。<br />陸地ではなく、海に浮いています。

    グレートバリアリーフのパンフレットに必ず出てくる物体です。名前はポントゥーンと言うそうです。
    陸地ではなく、海に浮いています。

  • 名前は忘れましたが、半潜水艇です。下半分にガラス張りの部屋があり、普段着のまま、水中や海底の様子を見ることができます。

    名前は忘れましたが、半潜水艇です。下半分にガラス張りの部屋があり、普段着のまま、水中や海底の様子を見ることができます。

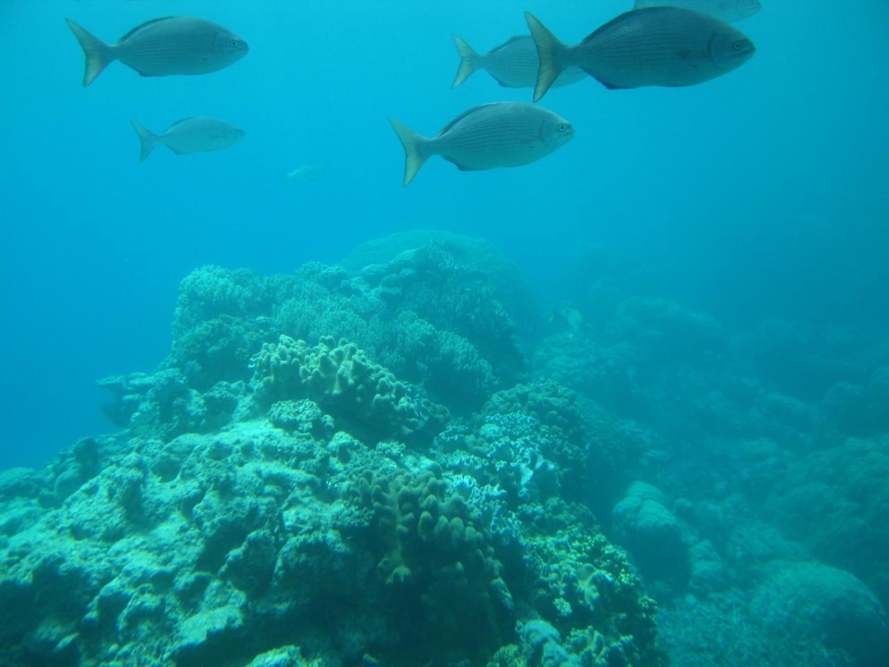
  • 半潜水艇内から見た海中の様子です。<br />岩みたいなのは珊瑚礁です。<br />写真は今一ですが、実物は、もっと綺麗です。

    半潜水艇内から見た海中の様子です。
    岩みたいなのは珊瑚礁です。
    写真は今一ですが、実物は、もっと綺麗です。

  • 半潜水艇内から見た海中の様子です。<br />

    半潜水艇内から見た海中の様子です。

  • 帰路の航海です。<br />いろんな所から、観光船が集まってきて、一列縦隊でケアンズを目指します。

    帰路の航海です。
    いろんな所から、観光船が集まってきて、一列縦隊でケアンズを目指します。

  • 往路は、このヘリコプタで、行きました。<br />空からの景色と、少しの船旅と、是非、また行きたいです。

    往路は、このヘリコプタで、行きました。
    空からの景色と、少しの船旅と、是非、また行きたいです。

この旅行記のタグ

2いいね!

利用規約に違反している投稿は、報告する事ができます。 問題のある投稿を連絡する

この旅行記へのコメント (2)

開く

閉じる

  • 快特さん 2005/07/20 18:22:43
    CARINS
    日本からのJL/QFは、早朝につきます。遅れるとDIVEにいけないのがこまります。
    10:00 港はつならいいのにね

    悠ちゃんのパパくまさんさん からの返信 2005/07/21 00:31:48
    RE: CARINS
    お疲れさまです。
    我々も、到着した日は、午後の予定しか入れていませんでした。
    やむを得ないと思います。
    計画しているときは、時間に無駄ができるなあと思っていましたが、今に思えば、休息がとれた分、その後を十分に愉しむことができました。

悠ちゃんのパパくまさんさんのトラベラーページ

コメントを投稿する前に

十分に確認の上、ご投稿ください。 コメントの内容は攻撃的ではなく、相手の気持ちに寄り添ったものになっていますか?

サイト共通ガイドライン(利用上のお願い)

報道機関・マスメディアの方へ 画像提供などに関するお問い合わせは、専用のお問い合わせフォームからお願いいたします。

旅の計画・記録

マイルに交換できるフォートラベルポイントが貯まる
フォートラベルポイントって?

オーストラリアで使うWi-Fiはレンタルしましたか?

フォートラベル GLOBAL WiFiなら
オーストラリア最安 305円/日~

  • 空港で受取・返却可能
  • お得なポイントがたまる

オーストラリアの料金プランを見る

フォートラベル公式LINE@

おすすめの旅行記や旬な旅行情報、お得なキャンペーン情報をお届けします!
QRコードが読み取れない場合はID「@4travel」で検索してください。

\その他の公式SNSはこちら/

タグから海外旅行記(ブログ)を探す

PAGE TOP