1. ホーム
  2. 国内旅行
  3. 沖縄県
  4. 宮古島
  5. 宮古島 観光
  6. 吉野海岸
  7. クチコミ詳細
宮古島×
旅行ガイド
観光
グルメ
ショッピング
交通
ホテル
旅行記
Q&A

吉野海岸

ビーチ

吉野海岸 施設情報・クチコミに戻る

手軽なシュノーケルポイント

  • 4.0
  • 旅行時期:2010/08(約16年前)
tikaさん

by tikaさん(女性)

宮古島 クチコミ:4件

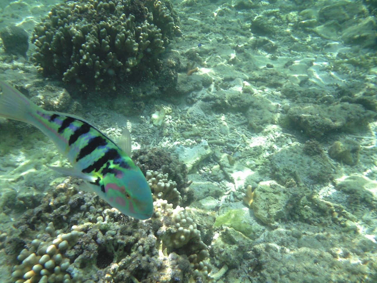
崖の下にある透明度の高い海岸です。昔はトイレも何も無いビーチで、自分の車で海岸まで降りられたのですが、すっかり有名になった数年前からは、上に駐車場やシャワー施設やトイレができ、その使用料を払ってバンで下へ送迎してもらうシステムになりました。もともと、タクシーの運転手さんが見つけたスポットであり、地元へお金が落ちるようにするためには致し方なし、といった感じもあると思いますが。。。また、サンゴの上に平気で立つ観光客も多く、色々となんだかなー、という思いがよぎる場所になってしまいました。いずれにせよ、海にはたくさんの熱帯魚が泳いでとても綺麗ですが、潮の満ち引きもはげしいのでお気をつけて。

施設の満足度

4.0

利用した際の同行者:
カップル・夫婦
アクセス:
2.0
アクティビティ:
4.0
景観:
4.5
人混みの少なさ:
2.5
水の透明度:
4.0

クチコミ投稿日:2013/03/22

いいね!:0

利用規約に違反している投稿は、報告することができます。 問題のある投稿を連絡する

PAGE TOP