セブ島旅行記(ブログ) 一覧に戻る
セブに4泊5日で潜りに行きました!<br />マラパスクアダイビングがメインです。<br />ADODAで燃油サーチャージ、諸経費込みのユナイテッド航空で往復40,908円(航空券代金9,929円)でした。

ソロトラベラー(フィリピン セブ島)♯519

17いいね!

2025/05/29 - 2025/06/02

1631位(同エリア3941件中)

0

30

ソロトラベラーたけし

ソロトラベラーたけしさん

セブに4泊5日で潜りに行きました!
マラパスクアダイビングがメインです。
ADODAで燃油サーチャージ、諸経費込みのユナイテッド航空で往復40,908円(航空券代金9,929円)でした。

  • 朝のマリバゴ!

    朝のマリバゴ!

  • 道端にレチョンが、、、

    道端にレチョンが、、、

  • 朝はマリバゴのマクドナルドにしました。

    朝はマリバゴのマクドナルドにしました。

  • バーグステーキボウルにハンバーガー!

    バーグステーキボウルにハンバーガー!

  • 道端で魚を売ってます。<br />ハエがたくさん、、、

    道端で魚を売ってます。
    ハエがたくさん、、、

  • ブルーコーラルの送迎で。

    ブルーコーラルの送迎で。

  • ブルーコーラルに着きました。

    ブルーコーラルに着きました。

  • ヒルトゥガン島に向けて出発!

    ヒルトゥガン島に向けて出発!

  • ヒルトゥガン島に着きました。

    ヒルトゥガン島に着きました。

  • マリンサンクチュアリを2本潜ります!<br /><br />シテンヤッコ。

    マリンサンクチュアリを2本潜ります!

    シテンヤッコ。

  • ネッタイミノカサゴ。

    ネッタイミノカサゴ。

  • ニチリンダテハゼ。

    ニチリンダテハゼ。

  • ニシキフウライオウ。

    ニシキフウライオウ。

  • オイランヨウジ。

    オイランヨウジ。

  • オトヒメエビ。

    オトヒメエビ。

  • デバスズメダイの子供達。

    デバスズメダイの子供達。

  • ニセクロホシフエダイ。

    ニセクロホシフエダイ。

  • ナンヨウツバメウオ。

    ナンヨウツバメウオ。

  • パープルビューティ。

    パープルビューティ。

  • クロオビスズメダイ。

    クロオビスズメダイ。

  • ナンヨウツバメウオの群れ。

    ナンヨウツバメウオの群れ。

  • 昼は生姜のスープにライス。<br /><br />これ大好き!

    昼は生姜のスープにライス。

    これ大好き!

  • そしてマンゴーとパイナップル!

    そしてマンゴーとパイナップル!

  • 焦げる日差し。

    焦げる日差し。

  • 最後はマクタンに戻りマリンステーション!<br /><br />ハナビラクマノミ。

    最後はマクタンに戻りマリンステーション!

    ハナビラクマノミ。

  • イシヨウジ。

    イシヨウジ。

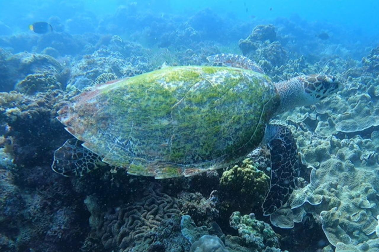
  • タイマイ。

    タイマイ。

  • スパインチーク。

    スパインチーク。

  • 夜はマンダウエ、ASフォルトゥーナ通りの松之屋でみんなでしゃぶしゃぶ!

    夜はマンダウエ、ASフォルトゥーナ通りの松之屋でみんなでしゃぶしゃぶ!

  • しゃぶしゃぶ食べ放題飲み放題!<br /><br />ホテルに戻り就寝!<br /><br />ソロトラベラー(フィリピン セブ島)♯520に続く!

    しゃぶしゃぶ食べ放題飲み放題!

    ホテルに戻り就寝!

    ソロトラベラー(フィリピン セブ島)♯520に続く!

17いいね!

利用規約に違反している投稿は、報告する事ができます。 問題のある投稿を連絡する

コメントを投稿する前に

十分に確認の上、ご投稿ください。 コメントの内容は攻撃的ではなく、相手の気持ちに寄り添ったものになっていますか?

サイト共通ガイドライン(利用上のお願い)

報道機関・マスメディアの方へ 画像提供などに関するお問い合わせは、専用のお問い合わせフォームからお願いいたします。

旅の計画・記録

マイルに交換できるフォートラベルポイントが貯まる
フォートラベルポイントって?

フィリピンで使うWi-Fiはレンタルしましたか?

フォートラベル GLOBAL WiFiなら
フィリピン最安 356円/日~

  • 空港で受取・返却可能
  • お得なポイントがたまる

フィリピンの料金プランを見る

フォートラベル公式LINE@

おすすめの旅行記や旬な旅行情報、お得なキャンペーン情報をお届けします!
QRコードが読み取れない場合はID「@4travel」で検索してください。

\その他の公式SNSはこちら/

タグから海外旅行記(ブログ)を探す

PAGE TOP