糸満・ひめゆり旅行記(ブログ) 一覧に戻る
最近は早寝早起きの習慣が出来て、旅先でも同じように目が覚める。<br />冬の沖縄は日の出が特に遅く夜が明けないのか?と錯覚してしまう。<br /><br />朝かあちゃんから『とうさん61歳のお誕生日おめでとう。』と声をかけて貰い気付いた。<br />そうか~今日でまた一つ歳をとったんだ。<br /><br />ふと一休禅師が詠んだ詩をおもいだした。<br /><br />“門松や 冥途の旅の一里塚 目出度くもあり 目出度くもなし”<br /><br />まさしく自分自身の思いだね。<br /><br />さて現実に戻りましょう。<br /><br />朝イチにアプリのWindyで風の状況を確認したところ北東の風が10ノット前後で晴れ予想。満潮時刻は10時頃。<br /><br />これを踏まえて今日の行動計画が確定。<br /><br />目指すは南部のビーチ一択。<br />海道具を持って来て良かった~。会心のgood  job !!<br />今日は海でどんな出会いが待っているのか楽しみだね~。<br />

2023 今年も旅は沖縄本島からの始まり。② 海物語で大量魚群の出現。その結末は如何に?

20いいね!

2023/01/09 - 2023/01/12

296位(同エリア734件中)

0

91

桃李の里

桃李の里さん

最近は早寝早起きの習慣が出来て、旅先でも同じように目が覚める。
冬の沖縄は日の出が特に遅く夜が明けないのか?と錯覚してしまう。

朝かあちゃんから『とうさん61歳のお誕生日おめでとう。』と声をかけて貰い気付いた。
そうか~今日でまた一つ歳をとったんだ。

ふと一休禅師が詠んだ詩をおもいだした。

“門松や 冥途の旅の一里塚 目出度くもあり 目出度くもなし”

まさしく自分自身の思いだね。

さて現実に戻りましょう。

朝イチにアプリのWindyで風の状況を確認したところ北東の風が10ノット前後で晴れ予想。満潮時刻は10時頃。

これを踏まえて今日の行動計画が確定。

目指すは南部のビーチ一択。
海道具を持って来て良かった~。会心のgood job !!
今日は海でどんな出会いが待っているのか楽しみだね~。

旅行の満足度
5.0
観光
5.0
ホテル
5.0
グルメ
4.0
同行者
カップル・夫婦(シニア)
交通手段
JALグループ
  • 【和食処 佐和】<br /><br />今日から朝食会場は2か所になるとの事。<br />洋食バイキングか和食会席の2択です。<br /><br />昨夜はバイキングだったから、今朝は和食にしました。

    【和食処 佐和】

    今日から朝食会場は2か所になるとの事。
    洋食バイキングか和食会席の2択です。

    昨夜はバイキングだったから、今朝は和食にしました。

  • 【奥の庭園側の席】<br /><br />奥に有る庭園側に案内されました。<br /><br />青空の中庭が綺麗です。<br /><br />今朝の佐和さんはお客さん少なめです。<br /><br />

    【奥の庭園側の席】

    奥に有る庭園側に案内されました。

    青空の中庭が綺麗です。

    今朝の佐和さんはお客さん少なめです。

  • 【お席に満足みたいです】<br /><br />日本庭園が間近に見えるし、テーブルも大きくて満足みたいです(笑)<br /><br /><br />

    【お席に満足みたいです】

    日本庭園が間近に見えるし、テーブルも大きくて満足みたいです(笑)


  • 【海ぶどう丼】<br /><br />とうちゃんまずはこれを頂きます。<br />安定の美味しさです。<br />

    【海ぶどう丼】

    とうちゃんまずはこれを頂きます。
    安定の美味しさです。

  • 【琉球八寸】<br /><br />これもちょっと内容が変わっていました。<br /><br />配膳時にスタッフさんが説明してくれました。<br />優しい味付けでシルバーには量的にも丁度良い感じです。<br />

    【琉球八寸】

    これもちょっと内容が変わっていました。

    配膳時にスタッフさんが説明してくれました。
    優しい味付けでシルバーには量的にも丁度良い感じです。

  • 【かあちゃんはラフテー丼】<br /><br />会席には主食が無いのでオープンキッチンで好みの物を作って貰うシステムです。<br /><br />やっぱり肉が大好きです(笑笑)<br /><br /><br />

    【かあちゃんはラフテー丼】

    会席には主食が無いのでオープンキッチンで好みの物を作って貰うシステムです。

    やっぱり肉が大好きです(笑笑)


  • 【かちゅう飯】<br /><br />これはただのかつお節かけ御飯に温泉卵なんですが、一番美味しかった。<br />かつお節の薄さにこだわりを持っているそうで、<br />まさにホームラン級の味付けです。<br />

    【かちゅう飯】

    これはただのかつお節かけ御飯に温泉卵なんですが、一番美味しかった。
    かつお節の薄さにこだわりを持っているそうで、
    まさにホームラン級の味付けです。

  • 【定番のデザート】<br /><br />コーヒー飲みながら今日の予定を確認してます。<br /><br />天気が良いのでホテルステイはもったいないので海に行こうと提案。<br /><br /><br /><br /><br />

    【定番のデザート】

    コーヒー飲みながら今日の予定を確認してます。

    天気が良いのでホテルステイはもったいないので海に行こうと提案。




  • 【大度海岸】<br /><br />午前中にジョン万ビーチにやって来ました。<br /><br />ホテルから高速を使って40分程です。<br />読谷という所はちょうど中間地点だから南部でも北部へ行くにも丁度良いですね。<br />しかも沖縄の高速は安い!!<br />

    【大度海岸】

    午前中にジョン万ビーチにやって来ました。

    ホテルから高速を使って40分程です。
    読谷という所はちょうど中間地点だから南部でも北部へ行くにも丁度良いですね。
    しかも沖縄の高速は安い!!

  • 【ビーチ全景】<br /><br />風もあまり当たらず穏やかな海面です。<br /><br />ちょうど潮どまり時間になっている感じ。<br /><br />沖合にサーフィンをしている人達がいるのみ。<br /><br />シーズンオフは静かなビーチです。<br /><br /><br />

    【ビーチ全景】

    風もあまり当たらず穏やかな海面です。

    ちょうど潮どまり時間になっている感じ。

    沖合にサーフィンをしている人達がいるのみ。

    シーズンオフは静かなビーチです。


  • 【カメさんにご挨拶】<br /><br />いつもながら小さいバッグのみ下げて出動中。<br /><br />今日はカメさんが姿を見せてくれるかなぁ~?<br /><br />

    【カメさんにご挨拶】

    いつもながら小さいバッグのみ下げて出動中。

    今日はカメさんが姿を見せてくれるかなぁ~?

  • 【モジモジ君ではありません】<br /><br />『ヤンキー時代を思い出したじじいが集会にでも参加するのかなぁ~』と後から声がかかった(;_;)<br /><br />これは特攻服とは違うし若い頃からヤンキーじゃないわ(-_-)/~~~ピシー!ピシー!

    【モジモジ君ではありません】

    『ヤンキー時代を思い出したじじいが集会にでも参加するのかなぁ~』と後から声がかかった(;_;)

    これは特攻服とは違うし若い頃からヤンキーじゃないわ(-_-)/~~~ピシー!ピシー!

  • 【最初のベース】<br /><br />ビーチの東側にベースを構えて出陣準備完了。<br /><br />気温は22℃。海水温はインリーフは21℃。アウトリーフは行ってないので不明。<br /><br />入水直後はやっぱり冷たいと感じるけど直ぐに慣れます。<br /><br /><br /><br />

    【最初のベース】

    ビーチの東側にベースを構えて出陣準備完了。

    気温は22℃。海水温はインリーフは21℃。アウトリーフは行ってないので不明。

    入水直後はやっぱり冷たいと感じるけど直ぐに慣れます。



  • 【一人悠々と泳ぐ】<br /><br />『冷た~い』と叫びながらあっという間にリーフエッジ方面に行ってしまう。<br /><br />しばし放置してとうちゃんも海の中を楽しみます。<br /><br />うひゃ~確かに入る時には気合いが入るわ Σ(゚Д゚)<br /><br /><br /><br />

    【一人悠々と泳ぐ】

    『冷た~い』と叫びながらあっという間にリーフエッジ方面に行ってしまう。

    しばし放置してとうちゃんも海の中を楽しみます。

    うひゃ~確かに入る時には気合いが入るわ Σ(゚Д゚)



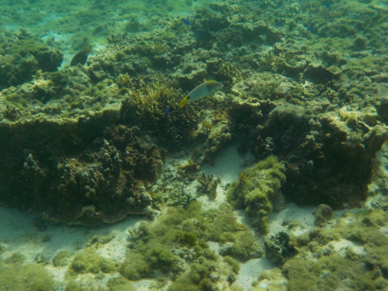
  • 【カラフルな小魚軍団】<br /><br />ここはいつものことですがインリーフでも枝珊瑚群が豊富にあるので様々な魚たちが豊富に泳いでいます。<br /><br />

    【カラフルな小魚軍団】

    ここはいつものことですがインリーフでも枝珊瑚群が豊富にあるので様々な魚たちが豊富に泳いでいます。

  • 【チョウハン】<br /><br />なんとなくアライグマのイメージのするデザインで、チョウチョウウオの仲間では一風変わっています。

    【チョウハン】

    なんとなくアライグマのイメージのするデザインで、チョウチョウウオの仲間では一風変わっています。

  • 【すぐ近くに綺麗なウスコモンサンゴ?】<br /><br />リュウキュウキッカサンゴに似ているけどどっちなんだろう?<br /><br />いずれにせよ干潮時でも深場になるので踏まれずに元気な珊瑚。

    【すぐ近くに綺麗なウスコモンサンゴ?】

    リュウキュウキッカサンゴに似ているけどどっちなんだろう?

    いずれにせよ干潮時でも深場になるので踏まれずに元気な珊瑚。

  • 【ウケグチイットウダイ】<br /><br />夜行性の魚で昼は岩の窪みで数匹で休んでいて、時々出てきます。

    【ウケグチイットウダイ】

    夜行性の魚で昼は岩の窪みで数匹で休んでいて、時々出てきます。

  • 【ミナミハタタテダイ】<br /><br />動きの少ないおとなしい魚で、岩の窪みなどでよく見かけます。<br />小さい個体ほど旗が長く伸びます。

    【ミナミハタタテダイ】

    動きの少ないおとなしい魚で、岩の窪みなどでよく見かけます。
    小さい個体ほど旗が長く伸びます。

  • 【エダコモンサンゴ】<br /><br />エダコモンサンゴの群落がある。<br /><br />ジョン万ビーチの3頭のカメを探してリーフエッジ方面に向かっている時に何やら呼ぶ声が聞こえる。<br /><br />

    【エダコモンサンゴ】

    エダコモンサンゴの群落がある。

    ジョン万ビーチの3頭のカメを探してリーフエッジ方面に向かっている時に何やら呼ぶ声が聞こえる。

  • 【ここで顔を挙げると・・・】<br /><br />水面に顔を出すと向こうの方でかあちゃんが呼んでいる。

    【ここで顔を挙げると・・・】

    水面に顔を出すと向こうの方でかあちゃんが呼んでいる。

  • 【何事ですか?】<br /><br />かあちゃんがカメを見つけたのかと思って急いで近くに行くと、相棒の上に顔を置いて浮かんでいました。<br /><br />『凄い物を見つけたんだけど私では取りに行けないからとうさん取ってきて』<br /><br />と水中を指差している。<br /><br />お宝でも見つけたのかとその方向を見て見てみると・・・<br /><br /><br /><br />

    【何事ですか?】

    かあちゃんがカメを見つけたのかと思って急いで近くに行くと、相棒の上に顔を置いて浮かんでいました。

    『凄い物を見つけたんだけど私では取りに行けないからとうさん取ってきて』

    と水中を指差している。

    お宝でも見つけたのかとその方向を見て見てみると・・・



  • 【こんな物を発見】<br /><br />どれどれと水中を覗いてみると・・・何だいこれは?<br /><br />それにしても結構な深さですね。インリーフでも一番の深場じゃないか?<br /><br />かあちゃんがチャレンジするにはハードルが高すぎるというより無理だね。<br /><br />でもおやじもウエイト無しで潜るのも厳しいし、ジャックナイフの姿勢をすると腰が痛いんだけどなぁ・・・( ;∀;)<br /><br />しゃあない。頑張ってみますか。<br /><br />ここでとうちゃんのカッコイイ所を見せてあげましょう (^_^) v<br /><br />行くぞ、そりゃあ~!!!<br /><br /><br />

    【こんな物を発見】

    どれどれと水中を覗いてみると・・・何だいこれは?

    それにしても結構な深さですね。インリーフでも一番の深場じゃないか?

    かあちゃんがチャレンジするにはハードルが高すぎるというより無理だね。

    でもおやじもウエイト無しで潜るのも厳しいし、ジャックナイフの姿勢をすると腰が痛いんだけどなぁ・・・( ;∀;)

    しゃあない。頑張ってみますか。

    ここでとうちゃんのカッコイイ所を見せてあげましょう (^_^) v

    行くぞ、そりゃあ~!!!


  • 【ご機嫌なポーズ】<br /><br />お見事。一発でゲットしました。 しかし゛腰が壊れるかと思った”<br /><br />渡すとご機嫌で『パイレーツオブカリビアです』とのたまわって暫しこのポーズをとるばあさん。<br /><br />しかしこの後驚愕の一言がある。<br /><br /><br /><br />

    【ご機嫌なポーズ】

    お見事。一発でゲットしました。 しかし゛腰が壊れるかと思った”

    渡すとご機嫌で『パイレーツオブカリビアです』とのたまわって暫しこのポーズをとるばあさん。

    しかしこの後驚愕の一言がある。



  • 【ここからかあちゃん撮影写真】<br /><br />『私はもう少し海の中を見るからこれを持ってあがっといて!!』<br /><br />なんですと~。この道具をどうするの?<br /><br />はぁ~、仕方ないのでカメラをかあちゃんに渡してとうちゃんは拾ったカギフックを持ってベースに帰ります。<br /><br />

    【ここからかあちゃん撮影写真】

    『私はもう少し海の中を見るからこれを持ってあがっといて!!』

    なんですと~。この道具をどうするの?

    はぁ~、仕方ないのでカメラをかあちゃんに渡してとうちゃんは拾ったカギフックを持ってベースに帰ります。

  • 【フウライチョウチョウウオとロクセンスズメダイ】<br /><br />これもお気に入りの魚だそうです。

    【フウライチョウチョウウオとロクセンスズメダイ】

    これもお気に入りの魚だそうです。

  • 【たぶんクロベラの集団?】<br /><br />写真が遠いので分かりにくかったんですがこれはちょっと珍しいかな?<br /><br />メスはほとんど真っ黒なのですが、雄は白っぽい太筋が目立ちます。<br /><br />死んだばかりのエダサンゴに群がっているのをよく見かけます

    【たぶんクロベラの集団?】

    写真が遠いので分かりにくかったんですがこれはちょっと珍しいかな?

    メスはほとんど真っ黒なのですが、雄は白っぽい太筋が目立ちます。

    死んだばかりのエダサンゴに群がっているのをよく見かけます

  • 【ハマサンゴ付近にいたトゲチョウチョウウオ】<br /><br />サンゴのないところでも見られ、沖縄では最もたくさん見られる種類のさかなだと思います。<br /><br />何処でも見られるけど好きな魚の一つだそうです。<br /><br /><br />

    【ハマサンゴ付近にいたトゲチョウチョウウオ】

    サンゴのないところでも見られ、沖縄では最もたくさん見られる種類のさかなだと思います。

    何処でも見られるけど好きな魚の一つだそうです。


  • 【ウスサザナミサンゴ】<br /><br />この珊瑚の群生地でルリスズメダイ。<br />どこにでもいる魚で、光るコバルトブルーは水の上から見ても目立ちます。<br /><br />雄の尾ビレは青く雌は透明と言う事を最近知りました。<br />

    【ウスサザナミサンゴ】

    この珊瑚の群生地でルリスズメダイ。
    どこにでもいる魚で、光るコバルトブルーは水の上から見ても目立ちます。

    雄の尾ビレは青く雌は透明と言う事を最近知りました。

  • 【ベースを移動時にまたまた驚愕の発言あり Σ(゚Д゚) 】<br /><br />潮が引きだしているので上がったついでにベースを西側に変えていたらニコニコしながら休憩に上がって来てこのポーズの後に一言。<br /><br />『ありがとう。ウミガメ見たよ!!ご飯を食べてた』<br /><br />またまたなんですと~。(?o?)<br /><br />写真を見せてもらうとビックリ~。<br /><br />場所を聞くと指で示しながら『あの辺かな?よくわからない』<br /><br />もういいよ。自力で探すと慌てて出動。<br /><br /><br />

    【ベースを移動時にまたまた驚愕の発言あり Σ(゚Д゚) 】

    潮が引きだしているので上がったついでにベースを西側に変えていたらニコニコしながら休憩に上がって来てこのポーズの後に一言。

    『ありがとう。ウミガメ見たよ!!ご飯を食べてた』

    またまたなんですと~。(?o?)

    写真を見せてもらうとビックリ~。

    場所を聞くと指で示しながら『あの辺かな?よくわからない』

    もういいよ。自力で探すと慌てて出動。


  • 【そして探しに行きます】<br /><br />もう目を皿のようにして探す。<br /><br />岩の様な影を見たら突進して一枚。<br /><br />

    【そして探しに行きます】

    もう目を皿のようにして探す。

    岩の様な影を見たら突進して一枚。

  • 【探して・・・】<br /><br />ウミガメの食事ポイントであろう海藻の豊富な場所を懸命に探します。<br /><br />

    【探して・・・】

    ウミガメの食事ポイントであろう海藻の豊富な場所を懸命に探します。

  • 【底の方まで探して】<br /><br />もう岩を掴んで推進力をつけては底の方まで潜っては見るものの・・・。<br />

    【底の方まで探して】

    もう岩を掴んで推進力をつけては底の方まで潜っては見るものの・・・。

  • 【体力が続きません (´;ω;`)ウゥゥ】<br /><br />さっぱり見つかりません。<br /><br />情けない事に体力の消耗が激しいおまけつき。(;´д`)トホホ<br /><br />

    【体力が続きません (´;ω;`)ウゥゥ】

    さっぱり見つかりません。

    情けない事に体力の消耗が激しいおまけつき。(;´д`)トホホ

  • 【リーフエッジに到達】<br /><br />それでも頑張ってリーフエッジ付近までやって来ました。<br /><br />もう諦めた方が良いのかな~( ;∀;)<br /><br />いやいや、ここまで来たらもうひと頑張り (-_-)/~~~ピシー!ピシー!<br /><br /><br /><br />

    【リーフエッジに到達】

    それでも頑張ってリーフエッジ付近までやって来ました。

    もう諦めた方が良いのかな~( ;∀;)

    いやいや、ここまで来たらもうひと頑張り (-_-)/~~~ピシー!ピシー!



  • 【雰囲気はあるけど】<br /><br />もう丸い塊を見たら岩でもウミガメに見える (⌒▽⌒)アハハ!

    【雰囲気はあるけど】

    もう丸い塊を見たら岩でもウミガメに見える (⌒▽⌒)アハハ!

  • 【この一帯は】<br /><br />珊瑚の群生が凄い。<br /><br />平時だとこんな景色を見たら興奮するんだらうけど、今の心境はそれどころや無い(T_T)<br />

    【この一帯は】

    珊瑚の群生が凄い。

    平時だとこんな景色を見たら興奮するんだらうけど、今の心境はそれどころや無い(T_T)

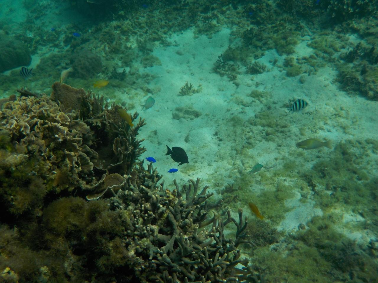
  • 【魚群の出現】<br /><br />大量の魚群の出現だ~。<br /><br />これにはちょいとビックラぽんだったなぁ~。<br /><br />周りを見回しても近くで誰も餌付けもしてないのにどうしたんだい?<br /><br />ウミガメとの遭遇の予感?<br /><br /><br />

    【魚群の出現】

    大量の魚群の出現だ~。

    これにはちょいとビックラぽんだったなぁ~。

    周りを見回しても近くで誰も餌付けもしてないのにどうしたんだい?

    ウミガメとの遭遇の予感?


  • 【これは凄いなぁ~】<br /><br />どんどん増えていく。<br /><br />いったいどこからこんなに魚がやってくるんだろうと思わず見入ってしまった。<br /><br />

    【これは凄いなぁ~】

    どんどん増えていく。

    いったいどこからこんなに魚がやってくるんだろうと思わず見入ってしまった。

  • 【ど真ん中に突入】<br /><br />面白そうだったからロクセンスズメダイの集団に突っ込んでいきました。<br /><br />そうしたら流石にバラバラに散っていった。ゴメン、ゴメン m(__)m <br /><br />

    【ど真ん中に突入】

    面白そうだったからロクセンスズメダイの集団に突っ込んでいきました。

    そうしたら流石にバラバラに散っていった。ゴメン、ゴメン m(__)m 

  • 【海藻がたくさん生息】<br /><br />アウトリーフに出ようと思たんだけど帰りの体力を考えて、この近辺で集中的に周りを散策してみました。<br /><br />んっ?<br /><br />あれは何なんだい?<br /><br />

    【海藻がたくさん生息】

    アウトリーフに出ようと思たんだけど帰りの体力を考えて、この近辺で集中的に周りを散策してみました。

    んっ?

    あれは何なんだい?

  • 【ニモ発見か?】<br /><br />大きなイソギンチャクを発見。<br /><br />ニモが居るの?

    【ニモ発見か?】

    大きなイソギンチャクを発見。

    ニモが居るの?

  • 【ニモの住処】<br /><br />暫くの間じっと眺めたり、接近してイソギンチャクをユラユラしてみたりしましたがお留守の様でした。残念。<br /><br />魚群の出現で期待をしたんだけどな~  /(^o^)\ナンテコッタイ<br /><br /><br />

    【ニモの住処】

    暫くの間じっと眺めたり、接近してイソギンチャクをユラユラしてみたりしましたがお留守の様でした。残念。

    魚群の出現で期待をしたんだけどな~  /(^o^)\ナンテコッタイ


  • 【もう疲れたので・・・】<br /><br />結局見つけることは出来ず諦めて帰ります。<br /><br />ウミガメは見つからないしニモもいなくて最悪でした。(´;ω;`)ウゥゥ<br /><br />やっぱり小魚軍団を蹴散らすような悪事をしたら出会えません ( ノД`)シクシク…<br /><br /><br /><br />

    【もう疲れたので・・・】

    結局見つけることは出来ず諦めて帰ります。

    ウミガメは見つからないしニモもいなくて最悪でした。(´;ω;`)ウゥゥ

    やっぱり小魚軍団を蹴散らすような悪事をしたら出会えません ( ノД`)シクシク…



  • 【パラオハマサンゴ】<br /><br />帰路の途中で気分転換にハマ珊瑚の近くにいたので思わず一枚撮ったのですが、ツノハタタテダイかと思いきやミナミハタタテダイだった。<br /><br />じっくり写真を見たら黒い帯の入り方が違ってたよ。<br /><br />

    【パラオハマサンゴ】

    帰路の途中で気分転換にハマ珊瑚の近くにいたので思わず一枚撮ったのですが、ツノハタタテダイかと思いきやミナミハタタテダイだった。

    じっくり写真を見たら黒い帯の入り方が違ってたよ。

  • 【ヤエヤマギンポ】<br /><br />サンゴのある所ではどこでも見られる種類でやっと名前がわかりました。<br /><br />南洋ハゼと思っていたけど違いました。<br /><br />

    【ヤエヤマギンポ】

    サンゴのある所ではどこでも見られる種類でやっと名前がわかりました。

    南洋ハゼと思っていたけど違いました。

  • 【クラカオスズメダイ】<br /><br />たくさんいるのにあまり目立たないかわいそうな魚です。<br /><br />そのせいかクラカオというかわいそうな名前ですね。<br /><br />

    【クラカオスズメダイ】

    たくさんいるのにあまり目立たないかわいそうな魚です。

    そのせいかクラカオというかわいそうな名前ですね。

  • 【多分タレグチベラの幼魚?】<br /><br />写真が遠いので分かりにくいんだけど、このパンダ模様は多分そうだろうと思う。<br /><br />

    【多分タレグチベラの幼魚?】

    写真が遠いので分かりにくいんだけど、このパンダ模様は多分そうだろうと思う。

  • 【ハマサンゴ】<br /><br />やれやれ、やっと岸辺付近に到着しました。<br /><br />この一本はとても疲れました。(´;ω;`)ウゥゥ<br /><br />これにて本日の海物語は終了します。<br /><br />あ~ぁ、とうちゃんはリーチは出たけど不発に終わりました。<br /><br />かあちゃんにリーフエッジの魚群の事や突入したことを得意げに話すと・・・<br /><br />『邪な心の持ち主の所にはウミガメは来ないんだよ』<br /><br />痛い所を突かれました (´;ω;`)ウッ…<br /><br />また此処に帰って来なさいと言う事だと自分を慰めました。ヤレヤレです。<br /><br />さあシャワーを浴び、着替えてお昼ご飯を食べに行こう!!<br /><br />

    【ハマサンゴ】

    やれやれ、やっと岸辺付近に到着しました。

    この一本はとても疲れました。(´;ω;`)ウゥゥ

    これにて本日の海物語は終了します。

    あ~ぁ、とうちゃんはリーチは出たけど不発に終わりました。

    かあちゃんにリーフエッジの魚群の事や突入したことを得意げに話すと・・・

    『邪な心の持ち主の所にはウミガメは来ないんだよ』

    痛い所を突かれました (´;ω;`)ウッ…

    また此処に帰って来なさいと言う事だと自分を慰めました。ヤレヤレです。

    さあシャワーを浴び、着替えてお昼ご飯を食べに行こう!!

  • 【琉球ガラス村】<br /><br />今年もやって来ました。<br /><br />年明けの沖縄の恒例行事です。<br /><br />

    【琉球ガラス村】

    今年もやって来ました。

    年明けの沖縄の恒例行事です。

  • 【インスタ映えスポット】<br /><br />これよこれ。<br /><br />この飾りつけを見たかった。<br /><br />門松代わりにシーサーが両脇をしめていますね~。<br /><br />

    【インスタ映えスポット】

    これよこれ。

    この飾りつけを見たかった。

    門松代わりにシーサーが両脇をしめていますね~。

  • 【お雛様バージョン】<br /><br />おっ、もうお雛様ですか。<br /><br />可愛いね~。<br /><br />

    【お雛様バージョン】

    おっ、もうお雛様ですか。

    可愛いね~。

  • 【琉球年賀】<br /><br />今年はこんな物も有りました。<br /><br />さすがにもう必要が無いので見るだけですね。<br /><br /><br /><br />

    【琉球年賀】

    今年はこんな物も有りました。

    さすがにもう必要が無いので見るだけですね。



  • 【福 袋】<br /><br />今年も有りましたよ~。<br /><br />これが欲しかった。お手頃価格の琉球グラス製品が手に入ります。<br /><br />

    【福 袋】

    今年も有りましたよ~。

    これが欲しかった。お手頃価格の琉球グラス製品が手に入ります。

  • 【何処でも休憩】<br /><br />目的を果たしてご満悦の表情ですが、実際は海疲れです (⌒▽⌒)アハハ!<br /><br /><br />

    【何処でも休憩】

    目的を果たしてご満悦の表情ですが、実際は海疲れです (⌒▽⌒)アハハ!


  • 【あと少しで気温が夏日になる】<br /><br />海遊び後にお昼を食べに行くつもりが寄り道ばかりしてこんな時間になった。<br /><br />お腹もすいたけど暑すぎる。<br />

    【あと少しで気温が夏日になる】

    海遊び後にお昼を食べに行くつもりが寄り道ばかりしてこんな時間になった。

    お腹もすいたけど暑すぎる。

  • 【糸満市場】<br /><br />手っ取り早く鮮度が良い物を食べるにはここに限ります。<br /><br />

    【糸満市場】

    手っ取り早く鮮度が良い物を食べるにはここに限ります。

  • 【遅い昼食】<br /><br />お腹が空いていたけどこんな量で二人分。<br /><br />グルクンの天ぷらがアチコーコで美味しかった。<br /><br />さあ早くホテルへ帰ってラウンジへ茶をシバキに行かないとなぁ。<br /><br />シルバーの重要なルーティーンやから。<br /><br />急げ急げ!!<br /><br /><br />

    【遅い昼食】

    お腹が空いていたけどこんな量で二人分。

    グルクンの天ぷらがアチコーコで美味しかった。

    さあ早くホテルへ帰ってラウンジへ茶をシバキに行かないとなぁ。

    シルバーの重要なルーティーンやから。

    急げ急げ!!


  • 【沖縄かりゆし縫製】<br /><br />ところが、せっかく那覇方面に来たのでかりゆしが欲しいと言い出すシルバー。<br /><br />仕方ないね~、かりゆしが我社の制服になっているもんで買ってくださいよ。<br /><br />ただし短時間でお願いします。とうちゃんは車で寝ときます ( ゚Д゚)ネムヒー<br /><br />

    【沖縄かりゆし縫製】

    ところが、せっかく那覇方面に来たのでかりゆしが欲しいと言い出すシルバー。

    仕方ないね~、かりゆしが我社の制服になっているもんで買ってくださいよ。

    ただし短時間でお願いします。とうちゃんは車で寝ときます ( ゚Д゚)ネムヒー

  • 【制服2枚購入】<br /><br />最近お痩せになったみたいで春以降に着用されるそうです。<br /><br />

    【制服2枚購入】

    最近お痩せになったみたいで春以降に着用されるそうです。

  • 【福 袋 】<br /><br />中身が判っている福袋。<br /><br />なんかゴディバとのタイアップ企画でチョコレートも入っていました。<br /><br />ゴディバのチョコレートは美味しかった。<br /><br />

    【福 袋 】

    中身が判っている福袋。

    なんかゴディバとのタイアップ企画でチョコレートも入っていました。

    ゴディバのチョコレートは美味しかった。

  • 【ランドリールーム】<br /><br />ラウンジへ行く前に水着類を洗濯します。<br /><br />明日も海へ行く気満々なものでその辺りの手配は怠りません。<br /><br />

    【ランドリールーム】

    ラウンジへ行く前に水着類を洗濯します。

    明日も海へ行く気満々なものでその辺りの手配は怠りません。

  • 【仕事ですか?】<br /><br />ラウンジに入る直前に電話連絡が数件あったようで、ソファーに腰かけて何やらされておりました。<br /><br />巷は3連休明けの平日だから現場のケアマネ様は多忙です。<br /><br />とうちゃんもお手伝いをしたい気持ちは凄く有るのですがね~(うそです)<br /><br />邪魔になってはいけないので終われば連絡くださいと退散します。<br /><br /><br /><br /><br /><br /><br />

    【仕事ですか?】

    ラウンジに入る直前に電話連絡が数件あったようで、ソファーに腰かけて何やらされておりました。

    巷は3連休明けの平日だから現場のケアマネ様は多忙です。

    とうちゃんもお手伝いをしたい気持ちは凄く有るのですがね~(うそです)

    邪魔になってはいけないので終われば連絡くださいと退散します。






  • 【時間つぶし】<br /><br />とうちゃんは暇なもので外のプールで自撮りをしてたらスタッフさんが声をかけてくれたので年甲斐もなく写真を撮って貰って遊んでました (* ´艸`)クスクス<br /><br />

    【時間つぶし】

    とうちゃんは暇なもので外のプールで自撮りをしてたらスタッフさんが声をかけてくれたので年甲斐もなく写真を撮って貰って遊んでました (* ´艸`)クスクス

  • 【毎度のカフェタイム】<br /><br />17時過ぎになりまたやって来た迷惑な客ですみません。<br /><br /><br /><br /><br />

    【毎度のカフェタイム】

    17時過ぎになりまたやって来た迷惑な客ですみません。




  • 【今日もガラガラ】<br /><br />昨日とは違うスタッフさんでしたが、奥の窓際に案内されたのですが、そこは暑いからと言って昨日と同じところに陣取ってしまいました。<br /><br />しかしクローズ間際に夕陽を見るために奥のベストポジションに移動することにしたりと好き勝手にして申し訳ございません。<br /><br />

    【今日もガラガラ】

    昨日とは違うスタッフさんでしたが、奥の窓際に案内されたのですが、そこは暑いからと言って昨日と同じところに陣取ってしまいました。

    しかしクローズ間際に夕陽を見るために奥のベストポジションに移動することにしたりと好き勝手にして申し訳ございません。

  • 【セルフコーナー】<br /><br />カウンターでアルコール等のオーダーも出来るのですがセルフドリンクで充分です。<br /><br />

    【セルフコーナー】

    カウンターでアルコール等のオーダーも出来るのですがセルフドリンクで充分です。

  • 【これよこれ。】<br /><br />とうちゃんお勧め絶品のソフトクリームマシーン。<br /><br />乳成分が濃くて深みがあり、でもしつこくなくて美味しかった。<br /><br />カップとコーンがあります。<br /><br />

    【これよこれ。】

    とうちゃんお勧め絶品のソフトクリームマシーン。

    乳成分が濃くて深みがあり、でもしつこくなくて美味しかった。

    カップとコーンがあります。

  • 【一目散にケーキ棚へ】<br /><br />昨日と種類はほぼ同じだと言われてました。<br /><br />なのでお気に入りのケーキ等を迷わずチョイスできたみたいです。<br /><br />

    【一目散にケーキ棚へ】

    昨日と種類はほぼ同じだと言われてました。

    なのでお気に入りのケーキ等を迷わずチョイスできたみたいです。

  • 【あれ???】<br /><br />昨日とは違った物が並んでいるよ。<br /><br />ミニスイーツが少し増えていたそうです。<br /><br />とうちゃん的は何でも良いけど・・・。<br /><br />やっぱりソフトクリームが美味い。<br /><br /><br />

    【あれ???】

    昨日とは違った物が並んでいるよ。

    ミニスイーツが少し増えていたそうです。

    とうちゃん的は何でも良いけど・・・。

    やっぱりソフトクリームが美味い。


  • 【満足そうです】<br /><br />写真を撮る時にテーブルの上を撮るなと言われる。理由を聞くと<br /><br />『これを私が食べたと思われるから( ^ω^)・・・』と言い訳がわからん。<br /><br />おい、おい。強いて言えば黒糖わらび餅は少し食べたけど。<br /><br />これはかあちゃんが食べてるんやで・・・驚愕<br /><br /><br /><br /><br /><br /><br /><br />

    【満足そうです】

    写真を撮る時にテーブルの上を撮るなと言われる。理由を聞くと

    『これを私が食べたと思われるから( ^ω^)・・・』と言い訳がわからん。

    おい、おい。強いて言えば黒糖わらび餅は少し食べたけど。

    これはかあちゃんが食べてるんやで・・・驚愕







  • 【夕陽の時間】<br /><br />今日はきれいに見えそうだよ。<br /><br />スタッフさんが奥に移動しても良いですよと行って下さり、テラスへのドアも開放してくれたりして、出入りし放題状態。<br />

    【夕陽の時間】

    今日はきれいに見えそうだよ。

    スタッフさんが奥に移動しても良いですよと行って下さり、テラスへのドアも開放してくれたりして、出入りし放題状態。

  • 【そんなわけで】<br /><br />もう夕陽をバックにやりたい放題。<br /><br /><br />

    【そんなわけで】

    もう夕陽をバックにやりたい放題。


  • 【とうちゃんも負けません】<br /><br />海の疲れは何処に行ったのか?<br /><br />真冬に半袖かりゆし姿です。<br /><br /><br /><br />

    【とうちゃんも負けません】

    海の疲れは何処に行ったのか?

    真冬に半袖かりゆし姿です。



  • 【沖縄バンザイ】<br /><br />テラスでは満足できずに中庭にまで降りてきて沖縄バンザイポーズ <br /><br />ヽ(^o^)丿<br /><br />

    【沖縄バンザイ】

    テラスでは満足できずに中庭にまで降りてきて沖縄バンザイポーズ 

    ヽ(^o^)丿

  • 【恥ずかしながら】<br /><br />テラスで好き放題遊んでいたらスタッフさんが<br /><br />「よろしかったらお撮りしましょうか?」と声をかけて下さり、お言葉に甘えてシルバーツーショットを撮ってもらいました (〃▽〃)ポッ<br /><br />迷惑客なのにありがとございました。<br /><br />

    【恥ずかしながら】

    テラスで好き放題遊んでいたらスタッフさんが

    「よろしかったらお撮りしましょうか?」と声をかけて下さり、お言葉に甘えてシルバーツーショットを撮ってもらいました (〃▽〃)ポッ

    迷惑客なのにありがとございました。

  • 【これで夕陽が・・・】<br /><br />陽の沈みが早い。<br /><br />また明日見れたら良いね!!<br /><br />

    【これで夕陽が・・・】

    陽の沈みが早い。

    また明日見れたら良いね!!

  • 【夕食は佐和】<br /><br />今晩の夕食は和食の佐和さん。<br /><br />

    【夕食は佐和】

    今晩の夕食は和食の佐和さん。

  • 【メニューは豊富】<br /><br />基本メニューかオプションメニューから選ぶみたいです。<br /><br />ただこの時期はオプションメニューは鍋物が中心みたいだったので基本懐石です。<br /><br />

    【メニューは豊富】

    基本メニューかオプションメニューから選ぶみたいです。

    ただこの時期はオプションメニューは鍋物が中心みたいだったので基本懐石です。

  • 【かあちゃんの武勇伝】<br /><br />かあちゃんより今日の海物語のおはなし。<br /><br />まぁ~得意満面にカメとの遭遇の話をするする。<br /><br />要約すると『心穏やかに海を楽しませて貰おうと素直に泳いでいるとウミガメの方から近くに寄って来てくれる』らしいです。<br /><br />もう勝てば官軍で何を言われても負ければ賊軍ですので (´;ω;`)ウゥゥ<br /><br /><br />

    【かあちゃんの武勇伝】

    かあちゃんより今日の海物語のおはなし。

    まぁ~得意満面にカメとの遭遇の話をするする。

    要約すると『心穏やかに海を楽しませて貰おうと素直に泳いでいるとウミガメの方から近くに寄って来てくれる』らしいです。

    もう勝てば官軍で何を言われても負ければ賊軍ですので (´;ω;`)ウゥゥ


  • 【前菜合わせ鉢】<br /><br />一品一品丁寧に食材の説明をして頂きましたが、もう酒の肴になりそうな物ばかりです。<br /><br />下戸ではないのですが、娘が生まれた時から飲みながら食べるとダラダラと時間が長くなるので食事中に呑むのをやめました。<br /><br />だから暖かいお茶を飲みながら頂きます。<br /><br /><br />

    【前菜合わせ鉢】

    一品一品丁寧に食材の説明をして頂きましたが、もう酒の肴になりそうな物ばかりです。

    下戸ではないのですが、娘が生まれた時から飲みながら食べるとダラダラと時間が長くなるので食事中に呑むのをやめました。

    だから暖かいお茶を飲みながら頂きます。


  • 【お造り盛り?】<br /><br />近海マグロとイカのお造りだそうです。朝も似たような物を食べた気がするけど。<br /><br />ん~、魚屋さんのマグロの方が美味しいかな?<br /><br />

    【お造り盛り?】

    近海マグロとイカのお造りだそうです。朝も似たような物を食べた気がするけど。

    ん~、魚屋さんのマグロの方が美味しいかな?

  • 【炊き合わせ】<br /><br />年寄りには優しい味で柔らかい野菜です。<br /><br />若者には物足りないかなと思いますが、こんな料理が満足する年になったんだと実感します。<br /><br />

    【炊き合わせ】

    年寄りには優しい味で柔らかい野菜です。

    若者には物足りないかなと思いますが、こんな料理が満足する年になったんだと実感します。

  • 【伊勢海老のウニソース焼】<br /><br />来たよ~。<br /><br />和洋折衷の様な料理です。<br /><br />お昼に糸満センターのフードコートでも見かけました。<br /><br />かあちゃん苦手なもので上のウニソースだけ食べてました。<br /><br />身の方はとうちゃんに回ってきました。<br /><br />プリップリの身で美味しかったんだけど・・・・<br /><br />二人分は少しきつかったなぁ(´;ω;`)ウゥゥ<br /><br />

    【伊勢海老のウニソース焼】

    来たよ~。

    和洋折衷の様な料理です。

    お昼に糸満センターのフードコートでも見かけました。

    かあちゃん苦手なもので上のウニソースだけ食べてました。

    身の方はとうちゃんに回ってきました。

    プリップリの身で美味しかったんだけど・・・・

    二人分は少しきつかったなぁ(´;ω;`)ウゥゥ

  • 【ご飯と汁物】<br /><br />もうお腹いっぱいで残すのも申し訳ないと思い時間をかけてなんとか摂取。<br /><br />当然かあちゃんは少ししか手をつけません。<br /><br />さっきスイーツを食べ過ぎなんだよ!!!<br /><br />

    【ご飯と汁物】

    もうお腹いっぱいで残すのも申し訳ないと思い時間をかけてなんとか摂取。

    当然かあちゃんは少ししか手をつけません。

    さっきスイーツを食べ過ぎなんだよ!!!

  • 【デザート】<br /><br />満腹で席を立とうとしたらデザートが有るからと制止されました (´;ω;`)ウゥゥ<br /><br />もうこれだけなら出さなくても良いとも言えず、有り難くもイヤイヤ頂きました。<br /><br />ご馳走様でした。<br /><br /><br /><br />

    【デザート】

    満腹で席を立とうとしたらデザートが有るからと制止されました (´;ω;`)ウゥゥ

    もうこれだけなら出さなくても良いとも言えず、有り難くもイヤイヤ頂きました。

    ご馳走様でした。



  • 【流石に今晩は・・・】<br /><br />いや~もうお腹がいっぱい過ぎて部屋で軽く一杯と言う気にもなれませんでした。<br /><br />冷たいお茶を飲みながら海物語の写真データをパソコンに取り込み整理します。<br /><br />当然ながらかあちゃんのウミガメ解説付き。<br /><br />これをやっておかないと明日も海物語part2が待っているので整理が大変な事になってしまう。<br /><br />眠い目を擦りながら整理しましょう。<br /><br />

    【流石に今晩は・・・】

    いや~もうお腹がいっぱい過ぎて部屋で軽く一杯と言う気にもなれませんでした。

    冷たいお茶を飲みながら海物語の写真データをパソコンに取り込み整理します。

    当然ながらかあちゃんのウミガメ解説付き。

    これをやっておかないと明日も海物語part2が待っているので整理が大変な事になってしまう。

    眠い目を擦りながら整理しましょう。

  • 【ウミガメ出現】<br /><br />割と浅瀬の方に居たそうで慌てたので被写体が半分しか入らなかったみたい。

    【ウミガメ出現】

    割と浅瀬の方に居たそうで慌てたので被写体が半分しか入らなかったみたい。

  • 【食事中】<br /><br />すると急に海藻を食べだしたそうで、またまた慌ててシャッターを押したみたいでやや不鮮明。<br /><br />大きさはどれくらいかと聞いたけど、『大きかったよ』とアバウトな表現しかできない人。<br /><br />なんでそんな人の所に姿を見せるんでしょうか?<br /><br />この写真を見ながら俺はもうこのビーチに何年通っているんだろう?とふと思った。<br /><br />ウミガメ情報はたくさん聞いているけど一度も姿を見たことが無く本当に居るんだろうか?と疑心暗鬼になってました。<br /><br />でも実際にこうやって生の目撃情報と写真を見ていると悔しいやら羨ましいやらの複雑な思いと次こそは必ず出逢いたいとの想いが強まり、当分は沖縄通いが止めれないんだろうな~と沸々と思っています。<br /><br /><br /><br />

    【食事中】

    すると急に海藻を食べだしたそうで、またまた慌ててシャッターを押したみたいでやや不鮮明。

    大きさはどれくらいかと聞いたけど、『大きかったよ』とアバウトな表現しかできない人。

    なんでそんな人の所に姿を見せるんでしょうか?

    この写真を見ながら俺はもうこのビーチに何年通っているんだろう?とふと思った。

    ウミガメ情報はたくさん聞いているけど一度も姿を見たことが無く本当に居るんだろうか?と疑心暗鬼になってました。

    でも実際にこうやって生の目撃情報と写真を見ていると悔しいやら羨ましいやらの複雑な思いと次こそは必ず出逢いたいとの想いが強まり、当分は沖縄通いが止めれないんだろうな~と沸々と思っています。



  • 【海藻の少ない所で】<br /><br />海藻が少ないからチョットだけ食べたら動き出したようす。<br />

    【海藻の少ない所で】

    海藻が少ないからチョットだけ食べたら動き出したようす。

  • 【移動開始】<br /><br />その後近くを通過して去っていったみたいです。<br /><br />本当にウミガメとの遭遇は運次第なんでしょうね (´;ω;`)ウゥゥ<br /><br />そんなことを思いながら今日はこれで終了します。<br /><br />おやすみなさい。<br /><br />

    【移動開始】

    その後近くを通過して去っていったみたいです。

    本当にウミガメとの遭遇は運次第なんでしょうね (´;ω;`)ウゥゥ

    そんなことを思いながら今日はこれで終了します。

    おやすみなさい。

20いいね!

利用規約に違反している投稿は、報告する事ができます。 問題のある投稿を連絡する

コメントを投稿する前に

十分に確認の上、ご投稿ください。 コメントの内容は攻撃的ではなく、相手の気持ちに寄り添ったものになっていますか?

サイト共通ガイドライン(利用上のお願い)

報道機関・マスメディアの方へ 画像提供などに関するお問い合わせは、専用のお問い合わせフォームからお願いいたします。

旅の計画・記録

マイルに交換できるフォートラベルポイントが貯まる
フォートラベルポイントって?

フォートラベル公式LINE@

おすすめの旅行記や旬な旅行情報、お得なキャンペーン情報をお届けします!
QRコードが読み取れない場合はID「@4travel」で検索してください。

\その他の公式SNSはこちら/

タグから国内旅行記(ブログ)を探す

価格.com旅行・トラベルホテル・旅館を比較

PAGE TOP