恩納・読谷旅行記(ブログ) 一覧に戻る
今日は朝から珍しい訪問者?も有ってちょっと驚きも有ったり、海にも行けて荷物がお蔵入りにならなくてやれやれでございました。<br />でも海を舐めてたらいけませんと再確認もした一日でした。<br /><br />観光地はお客さんがかなり戻って来て賑やかさを取り戻していました。<br /><br />やっぱりシニア世代に突入したら疲れますね。<br />色々な意味で新たな学習も出来ました。<br /><br />

2022 年内最後もやっぱり沖縄で遊んで一年の締め括り。幸運を呼ぶヒヨドリがやって来た!

17いいね!

2022/12/13 - 2022/12/16

1983位(同エリア4190件中)

2

49

桃李の里

桃李の里さん

今日は朝から珍しい訪問者?も有ってちょっと驚きも有ったり、海にも行けて荷物がお蔵入りにならなくてやれやれでございました。
でも海を舐めてたらいけませんと再確認もした一日でした。

観光地はお客さんがかなり戻って来て賑やかさを取り戻していました。

やっぱりシニア世代に突入したら疲れますね。
色々な意味で新たな学習も出来ました。

  • 【幸運を呼ぶ小鳥】<br /><br />とうちゃん今朝もゆっくりめに起床。<br /><br />かあちゃんすでに目覚めておりテラスを眺めていたらどこからか小鳥?が飛んで来たそうで、全く逃げずに近くをちょんちょんと跳ねて可愛いとガン見してました。<br /><br />パンの残りを投げてやるとついばんだりして手の方に寄ってくるよ~と感動の様子<br />『君のことを手乗り~くんと呼ぼう』とはしゃいでいました。<br /><br />朝から幸せやね~(笑)<br /><br />とうちゃんは朝ドラを見ますので。お静かに願いますよ。<br /><br />グーグルレンズで調べたら琉球ヒヨドリみたいです。<br />

    【幸運を呼ぶ小鳥】

    とうちゃん今朝もゆっくりめに起床。

    かあちゃんすでに目覚めておりテラスを眺めていたらどこからか小鳥?が飛んで来たそうで、全く逃げずに近くをちょんちょんと跳ねて可愛いとガン見してました。

    パンの残りを投げてやるとついばんだりして手の方に寄ってくるよ~と感動の様子
    『君のことを手乗り~くんと呼ぼう』とはしゃいでいました。

    朝から幸せやね~(笑)

    とうちゃんは朝ドラを見ますので。お静かに願いますよ。

    グーグルレンズで調べたら琉球ヒヨドリみたいです。

  • 【朝食前にランドリーへ】<br /><br />ランドリーがあると便利ですね。<br />このタイミングで洗濯すると、食後には出来ている。<br />

    【朝食前にランドリーへ】

    ランドリーがあると便利ですね。
    このタイミングで洗濯すると、食後には出来ている。

  • 【レストラン ハナハナ】<br /><br />今日は和食レストランの並びにある和洋食バイキングです。

    【レストラン ハナハナ】

    今日は和食レストランの並びにある和洋食バイキングです。

  • 【かあちゃんチョイス】<br /><br />ここのお勧めは自分で作るハンバーガーだそうです。<br />その他はサラダ類。<br /><br />洋食派の人には満足らしいです。<br /><br />

    【かあちゃんチョイス】

    ここのお勧めは自分で作るハンバーガーだそうです。
    その他はサラダ類。

    洋食派の人には満足らしいです。

  • 【とうちゃんはこの程度】<br /><br />ハンバーガーともう一つのお勧めのフレンチトースト。<br />他にも色々と豊富なメニューがあるのですが、昨日の食べ過ぎ反省を踏まえて軽めに食べます。<br /><br />個人的には和食かな。

    【とうちゃんはこの程度】

    ハンバーガーともう一つのお勧めのフレンチトースト。
    他にも色々と豊富なメニューがあるのですが、昨日の食べ過ぎ反省を踏まえて軽めに食べます。

    個人的には和食かな。

  • 【軽めの〆です】<br /><br />デザートを頂きながらミーティング開始。<br /><br />風は強くないけど曇りで天気予報を確認するとこの後は雨が降ってくる予報。<br /><br />今回は海を諦めて室内観光に切り替えることとしましょう。<br /><br />海道具しか入っていないスーツケースがお蔵入りするのか~<br /><br />残念 (´;ω;`)ウゥゥ<br /><br />まっこんなことも有ると自分で自分を慰めてランドリーの撤収作業をしてゆっくりと出かけましょう。<br />

    【軽めの〆です】

    デザートを頂きながらミーティング開始。

    風は強くないけど曇りで天気予報を確認するとこの後は雨が降ってくる予報。

    今回は海を諦めて室内観光に切り替えることとしましょう。

    海道具しか入っていないスーツケースがお蔵入りするのか~

    残念 (´;ω;`)ウゥゥ

    まっこんなことも有ると自分で自分を慰めてランドリーの撤収作業をしてゆっくりと出かけましょう。

  • 【まだ居るよ】<br /><br />部屋に帰って外を見ると、「手乗り~くん」がまだ滞在中でした。<br /><br />もうかあちゃん大喜びです。<br />

    【まだ居るよ】

    部屋に帰って外を見ると、「手乗り~くん」がまだ滞在中でした。

    もうかあちゃん大喜びです。

  • 【もう何も無いよ】<br /><br />餌をねだるように近くを飛び回るんだけどね~。<br /><br />ゴメン。もうパンは残ってないんだよ。<br /><br />言葉が理解できたのか?その後飛んで行っちゃったよ。<br /><br />バイバイ、またおいで~ (;_;)/~~~<br />

    【もう何も無いよ】

    餌をねだるように近くを飛び回るんだけどね~。

    ゴメン。もうパンは残ってないんだよ。

    言葉が理解できたのか?その後飛んで行っちゃったよ。

    バイバイ、またおいで~ (;_;)/~~~

  • 【だんだんと雲が取れ青空がでだした】<br /><br />「手乗り~くん」を見送った後に外を眺めているとだんだんと晴れ間が見えてきた!<br /><br />空模様が変わってきた。<br /><br />やったー!「手乗り~くん」の恩返しか? ありがとう~!!<br /><br />もう行くしかない。<br /><br />速攻で海支度を整えて出陣です。<br />

    【だんだんと雲が取れ青空がでだした】

    「手乗り~くん」を見送った後に外を眺めているとだんだんと晴れ間が見えてきた!

    空模様が変わってきた。

    やったー!「手乗り~くん」の恩返しか? ありがとう~!!

    もう行くしかない。

    速攻で海支度を整えて出陣です。

  • 【真栄田岬に出陣】<br /><br />本日は強風のため赤フラッグが上がってます。<br /><br />そのためか駐車場の車はやや少なめですね。

    【真栄田岬に出陣】

    本日は強風のため赤フラッグが上がってます。

    そのためか駐車場の車はやや少なめですね。

  • 【ザーネ浜へGO】<br /><br />同じ目的を持った何組かのグループも向かってます。<br /><br />中にはちびちゃんもウエットスーツを着て向かっていました。

    【ザーネ浜へGO】

    同じ目的を持った何組かのグループも向かってます。

    中にはちびちゃんもウエットスーツを着て向かっていました。

  • 【見た目は穏やかです】<br /><br />沖合は白波が立ってますがインリーフは穏やかそうです。

    【見た目は穏やかです】

    沖合は白波が立ってますがインリーフは穏やかそうです。

  • 【今日のベースはここに決めた】<br /><br />海道具も日の目を見れて満足で喜んでいます!!!<br /><br />じじいが一番喜んでいるよ (^_^)v (^_^)v

    【今日のベースはここに決めた】

    海道具も日の目を見れて満足で喜んでいます!!!

    じじいが一番喜んでいるよ (^_^)v (^_^)v

  • 【いざエントリー】<br /><br />最近始めた出陣式を執り行いエントリーです。<br />     ↑<br />大層なセリフですが、ただのストレッチ体操です。足がつったりする年頃になってきたもんで(´;ω;`)ウッ…<br /><br />

    【いざエントリー】

    最近始めた出陣式を執り行いエントリーです。
         ↑
    大層なセリフですが、ただのストレッチ体操です。足がつったりする年頃になってきたもんで(´;ω;`)ウッ…

  • 【ダイビング組も増えてきた】<br /><br />インリーフに体験ダイビング組も増殖中<br /><br />ニアミスしないように要注意しましょう。<br /><br />

    【ダイビング組も増えてきた】

    インリーフに体験ダイビング組も増殖中

    ニアミスしないように要注意しましょう。

  • 【エントリー直後の海中風景】<br /><br />ヒヤァ~、やっぱり冬の海は透明感が凄いなぁ。結構先までクリアだね!!<br /><br />小魚も豊富だし、2・30m先のダイバーチームの泡が見えている。<br /><br />海水温は思ったほど冷たく感じないなぁ。←ウエットスーツを着てるからね。<br /><br /><br />

    【エントリー直後の海中風景】

    ヒヤァ~、やっぱり冬の海は透明感が凄いなぁ。結構先までクリアだね!!

    小魚も豊富だし、2・30m先のダイバーチームの泡が見えている。

    海水温は思ったほど冷たく感じないなぁ。←ウエットスーツを着てるからね。


  • 【ビッグフィッシュ?】<br /><br />突如目の前に大型魚が見える。<br /><br />ヤバイ、前回ここで指に食いつかれた悪夢がよみがえってくる。<br /><br />〝君子危うきに近寄らず” ここはスルーしよう。<br />

    【ビッグフィッシュ?】

    突如目の前に大型魚が見える。

    ヤバイ、前回ここで指に食いつかれた悪夢がよみがえってくる。

    〝君子危うきに近寄らず” ここはスルーしよう。

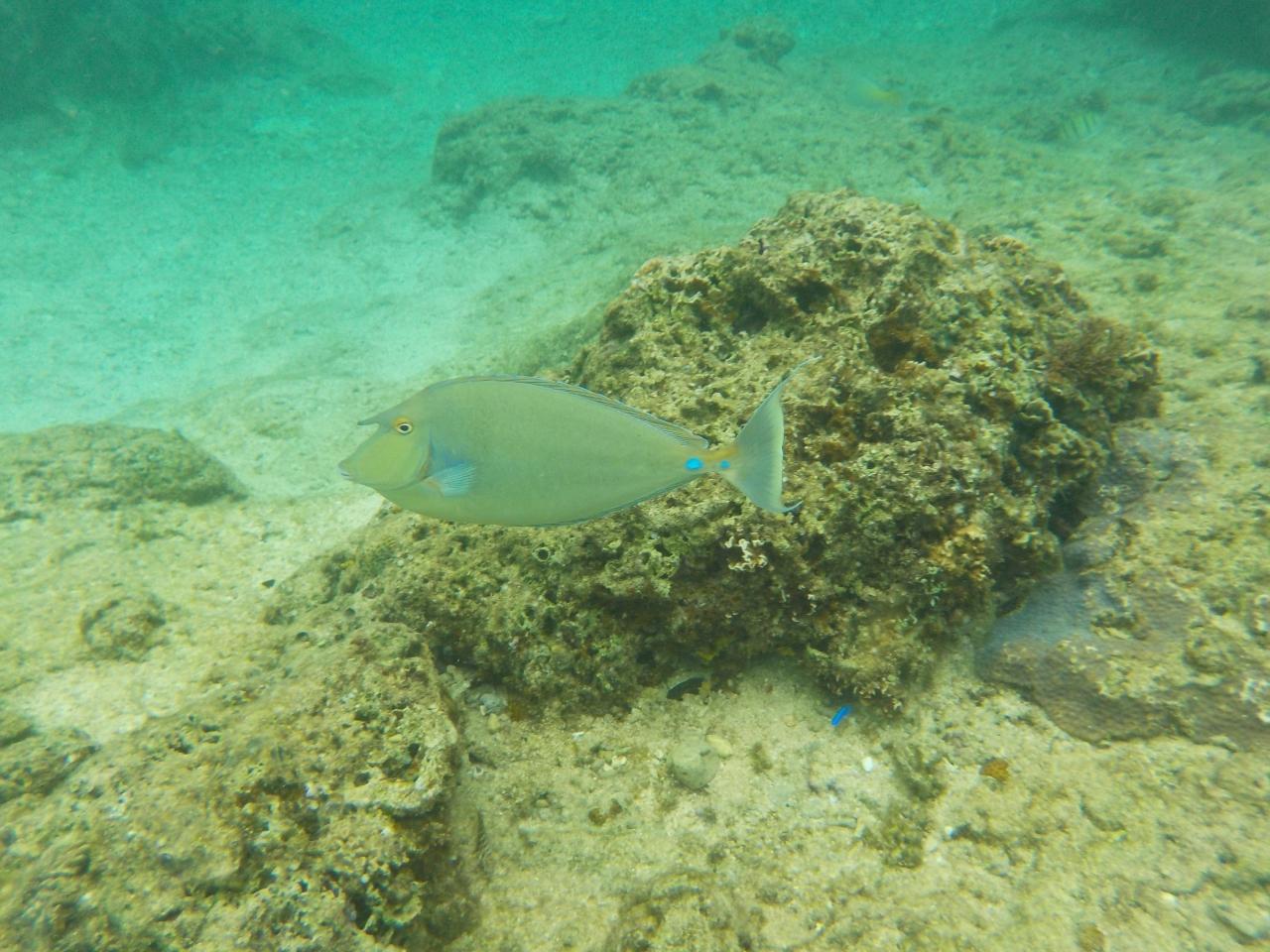
  • 【近くにやってきた大型のテングハギのお出迎え。】<br /><br />おいおい!<br />とうちゃんスルーの予定なのに魚の方から近寄って来るよ (´;ω;`)ウ<br /><br />オデコの所の角が怖え~よ(´;ω;`)<br /><br />お前はイッカクかよ~!<br /><br />ここは必殺技の〝死んだふり”作戦” (* ´艸`)クスクス<br /><br /><br />

    【近くにやってきた大型のテングハギのお出迎え。】

    おいおい!
    とうちゃんスルーの予定なのに魚の方から近寄って来るよ (´;ω;`)ウ

    オデコの所の角が怖え~よ(´;ω;`)

    お前はイッカクかよ~!

    ここは必殺技の〝死んだふり”作戦” (* ´艸`)クスクス


  • 【定番の魚達】<br /><br />潮に流され無事にテングハギをスルー出来たら、いつもの可愛い魚たちがお目見えです。<br />よしよし、だんだん勘を取り戻して来たなぞ。

    【定番の魚達】

    潮に流され無事にテングハギをスルー出来たら、いつもの可愛い魚たちがお目見えです。
    よしよし、だんだん勘を取り戻して来たなぞ。

  • 【ちょっと沖合へ】<br /><br />この浅瀬を抜けてアウトリーフギリギリまで行ってみるか。<br /><br />GO,GO!!

    【ちょっと沖合へ】

    この浅瀬を抜けてアウトリーフギリギリまで行ってみるか。

    GO,GO!!

  • 【なんか身体が( ^ω^)・・・】<br /><br />アレ?<br />調子こいてブイブイ行ってたら身体の向きがおかしくなってきたよ。

    【なんか身体が( ^ω^)・・・】

    アレ?
    調子こいてブイブイ行ってたら身体の向きがおかしくなってきたよ。

  • 【潮の流れが・・・】<br /><br />アウトリーフ手前で潮が早くなり流されるよ~ (´;ω;`)ウゥゥ<br />近くの岩場を掴んで体制を整えないと・・・。<br /><br />これ以上はヤバいなぁ~(´;ω;`)ウゥゥ<br /><br />一旦帰還しよう。<br />

    【潮の流れが・・・】

    アウトリーフ手前で潮が早くなり流されるよ~ (´;ω;`)ウゥゥ
    近くの岩場を掴んで体制を整えないと・・・。

    これ以上はヤバいなぁ~(´;ω;`)ウゥゥ

    一旦帰還しよう。

  • 【浅瀬へ戻ってきて】<br /><br />なんとか浅瀬方面に戻ってこれた。<br /><br />ヤバかった。ヒヤリハットだったね~。<br /><br />チョット舐めてたわぁ(´;ω;`)ウゥゥ

    【浅瀬へ戻ってきて】

    なんとか浅瀬方面に戻ってこれた。

    ヤバかった。ヒヤリハットだったね~。

    チョット舐めてたわぁ(´;ω;`)ウゥゥ

  • 【相変わらず相棒をガッチリ抱えています】<br /><br />おっ、かあちゃん発見。<br /><br />ご機嫌に泳いでいましたが( ^ω^)・・・<br /><br />この後に悲惨な出来事が発生!!!

    【相変わらず相棒をガッチリ抱えています】

    おっ、かあちゃん発見。

    ご機嫌に泳いでいましたが( ^ω^)・・・

    この後に悲惨な出来事が発生!!!

  • 【お~い!何処へ行くんだ~い】<br /><br />流されていくかあちゃん。<br /><br />潮に逆らうようにフィンを必死に使っているけど西に行ってしまう。<br /><br />チョット追いかけて一旦上がりましょう!!

    【お~い!何処へ行くんだ~い】

    流されていくかあちゃん。

    潮に逆らうようにフィンを必死に使っているけど西に行ってしまう。

    チョット追いかけて一旦上がりましょう!!

  • 【家族連れも数組居ます】<br /><br />チョット休憩しましょう。<br /><br />かあちゃん流されてた自覚もあまりなく、フィンで蹴ってもあまり進まなかったと言ったくらいの感覚だそうです。<br /><br />親子連れがエントリーしたけど、ちびちゃんギャン泣き状態。<br />大人は楽しいけどちびちゃんにとっては寒いし冷たいで怖いんだろうね。<br />すぐ諦めて親子で波打ち際で砂遊びにチェンジしてました。<br /><br /><br />

    【家族連れも数組居ます】

    チョット休憩しましょう。

    かあちゃん流されてた自覚もあまりなく、フィンで蹴ってもあまり進まなかったと言ったくらいの感覚だそうです。

    親子連れがエントリーしたけど、ちびちゃんギャン泣き状態。
    大人は楽しいけどちびちゃんにとっては寒いし冷たいで怖いんだろうね。
    すぐ諦めて親子で波打ち際で砂遊びにチェンジしてました。


  • 【ラストエントリー】<br /><br />ラスト1本行きましょう。<br /><br />近場でも小型の魚の群れが見れて楽しいね。

    【ラストエントリー】

    ラスト1本行きましょう。

    近場でも小型の魚の群れが見れて楽しいね。

  • 【ちょっとヤバいかな?】<br /><br />しかし今日は潮のご機嫌が悪くカレントとは言わないけど場所によっては流れが早くなっていて危険性がアップしてるね。<br /><br />ダイビング組も減って来ているようです。<br /><br />

    【ちょっとヤバいかな?】

    しかし今日は潮のご機嫌が悪くカレントとは言わないけど場所によっては流れが早くなっていて危険性がアップしてるね。

    ダイビング組も減って来ているようです。

  • 【そろそろ帰りますか?】<br /><br />潮の流れが速くなってきたので終了にしましょう。<br /><br />帰り支度をしていたら首にタオル巻いて防寒対策してました。<br /><br />イルミネーションで女子大生に教わった?ギャルのピースポーズ。<br /><br />首巻タオルが日本一似合ってます(笑い転げ落ちてしまうよ)

    【そろそろ帰りますか?】

    潮の流れが速くなってきたので終了にしましょう。

    帰り支度をしていたら首にタオル巻いて防寒対策してました。

    イルミネーションで女子大生に教わった?ギャルのピースポーズ。

    首巻タオルが日本一似合ってます(笑い転げ落ちてしまうよ)

  • 【とうちゃんも巻き添え】<br /><br />もう無理矢理に同様なポーズを強いられて仕方なく苦笑いするじじいです。<br /><br />どうしてもポーズがぎこちなくなりかあちゃんからダメ出しされる。<br /><br />うるさい!!これが昭和の男のポーズや!!ブラボー (^-^)v<br />

    【とうちゃんも巻き添え】

    もう無理矢理に同様なポーズを強いられて仕方なく苦笑いするじじいです。

    どうしてもポーズがぎこちなくなりかあちゃんからダメ出しされる。

    うるさい!!これが昭和の男のポーズや!!ブラボー (^-^)v

  • 【ざわわ~ざわわ。もうお昼を過ぎてるし早く帰ろう。】<br /><br />これが今流行りのスタイルさぁ~。<br /><br />さとうきび畑で島のおばぁ~が新しいスタイルで農作業に出かける所です!!<br /><br />しかし違う意味で腹が痛い (^0_0^)<br /><br />お・も・し・ろ・す・ぎ・る ( ^)o(^ )<br /><br /><br /><br />

    【ざわわ~ざわわ。もうお昼を過ぎてるし早く帰ろう。】

    これが今流行りのスタイルさぁ~。

    さとうきび畑で島のおばぁ~が新しいスタイルで農作業に出かける所です!!

    しかし違う意味で腹が痛い (^0_0^)

    お・も・し・ろ・す・ぎ・る ( ^)o(^ )



  • 【ホテル近くのガラス工房】<br /><br />一旦ホテルに帰りシャワーしてからお昼を食べに行きます。<br /><br />昨日かあちゃんが参加したショップを改めて見学です。

    【ホテル近くのガラス工房】

    一旦ホテルに帰りシャワーしてからお昼を食べに行きます。

    昨日かあちゃんが参加したショップを改めて見学です。

  • 【工房作品】<br /><br />こじんまりしているけど素敵な作品が並んでいます。<br /><br />値段も素敵ですよΣ(゚Д゚)<br /><br /><br /><br />

    【工房作品】

    こじんまりしているけど素敵な作品が並んでいます。

    値段も素敵ですよΣ(゚Д゚)



  • 【どう見ても不審者?】<br /><br />この隣に工房があり作品を作ったそうです。<br /><br />オシャレな場所に不釣り合いの恰好をしているおばあ~を発見。<br />

    【どう見ても不審者?】

    この隣に工房があり作品を作ったそうです。

    オシャレな場所に不釣り合いの恰好をしているおばあ~を発見。

  • 【やちむんも気になりますか?】<br /><br />お隣さんショップも気になります。<br /><br />

    【やちむんも気になりますか?】

    お隣さんショップも気になります。

  • 【もう食器は勘弁して下さい (__)】<br /><br />絶対に買ってはいけない物です。重たいものは勘弁して下さい (__)<br /><br />それよかご飯食べに行こうよ。<br />

    【もう食器は勘弁して下さい (__)】

    絶対に買ってはいけない物です。重たいものは勘弁して下さい (__)

    それよかご飯食べに行こうよ。

  • 【もうお腹が減った】<br /><br />14時を過ぎていたから目ぼしい所は昼休憩になっていました。<br /><br />とりあえず幹線道路沿いまで出て見つけたスシローだ~。<br /><br />あまり気乗りしないけど背に腹は代えられない。<br /><br />いざ、突進。<br />

    【もうお腹が減った】

    14時を過ぎていたから目ぼしい所は昼休憩になっていました。

    とりあえず幹線道路沿いまで出て見つけたスシローだ~。

    あまり気乗りしないけど背に腹は代えられない。

    いざ、突進。

  • 【これは美味しい頂きました】<br /><br />大きくPOPを出していたウニソースラーメン。<br /><br />おとり広告ではなかったよ(^_^)v<br /><br />シンプルな見かけだけど味は良いです。<br /><br />期待が持てるかな???<br />

    【これは美味しい頂きました】

    大きくPOPを出していたウニソースラーメン。

    おとり広告ではなかったよ(^_^)v

    シンプルな見かけだけど味は良いです。

    期待が持てるかな???

  • 【ランチセット?】<br /><br />これまたお勧めのランチセットです。<br /><br />失敗した~(´;ω;`)ウゥゥ<br /><br />茶わん蒸しは美味しかったけど・・・。<br /><br />

    【ランチセット?】

    これまたお勧めのランチセットです。

    失敗した~(´;ω;`)ウゥゥ

    茶わん蒸しは美味しかったけど・・・。

  • 【二人分です】<br /><br />結果は二人でこれだけ。<br /><br />内地米を使っているのかな?<br /><br />お味は個人の好みと言うことですね(;_;)<br /><br />

    【二人分です】

    結果は二人でこれだけ。

    内地米を使っているのかな?

    お味は個人の好みと言うことですね(;_;)

  • 【う~ん (;_;)】<br /><br />残念ながらスシローさんはリピートは無いね~。<br /><br />気を取り直して次へ移動しよう。<br />

    【う~ん (;_;)】

    残念ながらスシローさんはリピートは無いね~。

    気を取り直して次へ移動しよう。

  • 【アメリカンビレッジ】<br /><br />せっかく近くに来たからアメリカンビレッジを覗いて見ます。<br /><br />駐車場はまあまあ空いていたけど、学生さんが多いよ。<br /><br />修学旅行の団体様が来られてるみたいですね。<br />

    【アメリカンビレッジ】

    せっかく近くに来たからアメリカンビレッジを覗いて見ます。

    駐車場はまあまあ空いていたけど、学生さんが多いよ。

    修学旅行の団体様が来られてるみたいですね。

  • 【お初のジャンボテディベア】<br /><br />色々と見所が増えていますね。<br />インスタ映えするから若者が多い。

    【お初のジャンボテディベア】

    色々と見所が増えていますね。
    インスタ映えするから若者が多い。

  • 【新たなポケモンスポット】<br /><br />あれ、新しいポケモンスポットも有るね。<br /><br />楽しいけど人が多いので退散しよう。<br />

    【新たなポケモンスポット】

    あれ、新しいポケモンスポットも有るね。

    楽しいけど人が多いので退散しよう。

  • 【夕暮れのアリビラ】<br /><br />やれやれ、今日は疲れたなぁ~。<br /><br />最後の夜だしゆっくり夕食を取りたいね!

    【夕暮れのアリビラ】

    やれやれ、今日は疲れたなぁ~。

    最後の夜だしゆっくり夕食を取りたいね!

  • 【最期の晩餐会】<br /><br />たまたま予約なしの飛び込みで入店できたのは朝食と同じレストランでした。<br /><br />他は1時間ほどの待ちが必要だったので今回はここにしました。<br /><br />それでも結構なお客さんが入っており写真を撮るのは控えました。<br /><br />料理は和洋食のバイキングです。当たり前ですけど朝と内容は全然異なります。<br />バイキングと言えども食材のグレードが数段階違います。<br /><br />ライブキッチンも良かったね。<br /><br />クリスマスケーキ等もあり子供さん連れには楽しく料理の種類も豊富あって良いと思います。<br /><br />とても美味しく頂きました。<br /><br /><br />

    【最期の晩餐会】

    たまたま予約なしの飛び込みで入店できたのは朝食と同じレストランでした。

    他は1時間ほどの待ちが必要だったので今回はここにしました。

    それでも結構なお客さんが入っており写真を撮るのは控えました。

    料理は和洋食のバイキングです。当たり前ですけど朝と内容は全然異なります。
    バイキングと言えども食材のグレードが数段階違います。

    ライブキッチンも良かったね。

    クリスマスケーキ等もあり子供さん連れには楽しく料理の種類も豊富あって良いと思います。

    とても美味しく頂きました。


  • 【今年の見納め】<br /><br />かあちゃんはノークリーニングのクーポン券を頂きにフロントへ行ってます。<br /><br />このアリビラクーポン券はショップのみで使えるそうです。<br /><br />

    【今年の見納め】

    かあちゃんはノークリーニングのクーポン券を頂きにフロントへ行ってます。

    このアリビラクーポン券はショップのみで使えるそうです。

  • 【最後の反省会】<br /><br />ホテルショップで梱包配送してもらった後に追加で購入してしまった。(´;ω;`)ウゥゥ<br />これは手荷物で持ち帰りとなりました。<br />

    【最後の反省会】

    ホテルショップで梱包配送してもらった後に追加で購入してしまった。(´;ω;`)ウゥゥ
    これは手荷物で持ち帰りとなりました。

  • 【夕食後に寛いでいます。】<br /><br />最後の夜ですねぇ~。<br />チョットだけほろ酔い加減で夕涼みです。<br />真冬だと言うのに窓を全開に出来る気候が良いですね!<br /><br />今回アリビラにして良かったねぇ~。ブラボー(^_^)v

    【夕食後に寛いでいます。】

    最後の夜ですねぇ~。
    チョットだけほろ酔い加減で夕涼みです。
    真冬だと言うのに窓を全開に出来る気候が良いですね!

    今回アリビラにして良かったねぇ~。ブラボー(^_^)v

17いいね!

利用規約に違反している投稿は、報告する事ができます。 問題のある投稿を連絡する

この旅行記へのコメント (2)

開く

閉じる

  • えみりさん 2022/12/31 15:02:47
    手乗りく~ん♪
    桃李の里さま、

    遅れて旅行記を2本一気に読ませて頂きました。
    12月に沖縄本島で自力でシュノーケルするなんて本当にとうちゃん達はすごいですね。
    海中風景も美しく冬の海もいいな~と思いつつ、上がった後もあまり寒くないようで
    あれ?暖かかったのかなと。
    何にしろ海道具が無駄にならなくて良かったです。
    比べ物にはなりませんが、私なんか水着+海用サンダル、海用長袖だけでもかなり嵩高いので持ってきたのに出番がなくなりそうになるとチーンとなります。

    手乗りく~んに癒されたアリビラの和食の朝食は驚きでした。
    3の膳って。食べきれない(笑)
    でも美味しそうでした。
    来年も素敵な海旅旅行記を楽しみにしております。

    えみり。

    桃李の里

    桃李の里さん からの返信 2022/12/31 18:53:15
    年末にありがとうございます。
    えみりさん。

    年の瀬にわざわざありがとうございます。

    もう年寄りの冷や水の様で、真冬の海にくり出し恥ずかしい限りで旅行記にあげるのもどうしようかと考えた所もあったんでが、記録用に一応残しておこうと思って・・・(涙)

    気温は20℃位で寒くは無かったですよ。地元の方達は真冬なのにと言われましたが(笑)

    そうなんですよ、海道具一式がかなりの荷物で、これが無駄になるとかなりへこむ所で、現地で雨は問題視しないんですが、風の具合だけはかなりチェックしてましたね。

    もう海遊びはやめようと帰りの飛行機では毎回思っているんですけど、時間が経って喉元過ぎると忘れてしまいもう病気かなと思っています(笑)

    可愛い訪問者には驚かされましたが、思わぬ癒しを頂いたかなと喜んでます。

    アリビラの食事はある意味では値段相当かなぁ~と思ってはいますが、年寄りにはバイキング料理より落ち着いて食事が出来るのが良い所ですかねと思っています。

    今回はちょっと海遊びが不完全燃焼気味だったんで、次はどうしようかな?と心の中で葛藤中です(笑)

    えみりさんの与論島も絶賛お持ちしております。

    お忙しい中わざわざありがとうございました。

    桃李の里  とうちゃん

桃李の里さんのトラベラーページ

コメントを投稿する前に

十分に確認の上、ご投稿ください。 コメントの内容は攻撃的ではなく、相手の気持ちに寄り添ったものになっていますか?

サイト共通ガイドライン(利用上のお願い)

報道機関・マスメディアの方へ 画像提供などに関するお問い合わせは、専用のお問い合わせフォームからお願いいたします。

旅の計画・記録

マイルに交換できるフォートラベルポイントが貯まる
フォートラベルポイントって?

フォートラベル公式LINE@

おすすめの旅行記や旬な旅行情報、お得なキャンペーン情報をお届けします!
QRコードが読み取れない場合はID「@4travel」で検索してください。

\その他の公式SNSはこちら/

タグから国内旅行記(ブログ)を探す

価格.com旅行・トラベルホテル・旅館を比較

PAGE TOP