西表島旅行記(ブログ) 一覧に戻る
西表島の北部を、シュノーケリングを中心に観光。

西表島

6いいね!

2022/07/11 - 2022/07/12

1414位(同エリア2193件中)

0

28

fromatozさん

この旅行記スケジュールを元に

西表島の北部を、シュノーケリングを中心に観光。

  • 石垣港離島ターミナルから西表島北部の上原港へ。<br />離島間を結ぶ船は八重山観光と安栄観光の2社が運航(波照間島航路は安栄観光のみ)。両社とも当該社の船が乗り放題になるフリーパスを販売しているが、4日券で比較すると八重山観光が9800円、安栄観光が8800円と安栄観光の方が安い。しかし、八重山観光の方は9800円に燃料油価格変動調整金(燃料サーチャージ)が含まれているのに対し、安栄観光の方は乗船する航路毎に別途必要。これを加味し、4日間で私が利用する航路分を計算すると八重山観光の方が安くなるので、八重山観光の4日券を購入した。

    石垣港離島ターミナルから西表島北部の上原港へ。
    離島間を結ぶ船は八重山観光と安栄観光の2社が運航(波照間島航路は安栄観光のみ)。両社とも当該社の船が乗り放題になるフリーパスを販売しているが、4日券で比較すると八重山観光が9800円、安栄観光が8800円と安栄観光の方が安い。しかし、八重山観光の方は9800円に燃料油価格変動調整金(燃料サーチャージ)が含まれているのに対し、安栄観光の方は乗船する航路毎に別途必要。これを加味し、4日間で私が利用する航路分を計算すると八重山観光の方が安くなるので、八重山観光の4日券を購入した。

    石垣港離島ターミナル 乗り物

  • 上原港へ向かう高速船から、空中を浮かんでいるように見えた鳩間島。

    上原港へ向かう高速船から、空中を浮かんでいるように見えた鳩間島。

  • 上原港に到着。

    上原港に到着。

    上原港 名所・史跡

  • 西表島北端にある星砂の浜。

    西表島北端にある星砂の浜。

    星砂の浜 (西表島) ビーチ

  • ペンション星の砂のレストランで刺身定食(1300円)をいただく。

    ペンション星の砂のレストランで刺身定食(1300円)をいただく。

    ペンション星の砂 宿・ホテル

  • 中野海岸へ。波・風がほとんどなく、海面が鏡張りになっていた。

    中野海岸へ。波・風がほとんどなく、海面が鏡張りになっていた。

    中野海岸 ビーチ

  • 海岸に打ち上げられた魚の死骸にありつくカニ達。

    海岸に打ち上げられた魚の死骸にありつくカニ達。

  • 中野海岸でシュノーケリング(シュノーケリングセットは持参)。かなり遠浅の海岸だがリーフエッジまで行けば、サンゴの群落が見られる。

    中野海岸でシュノーケリング(シュノーケリングセットは持参)。かなり遠浅の海岸だがリーフエッジまで行けば、サンゴの群落が見られる。

  • リーフエッジまで海岸からこのくらい離れている。

    リーフエッジまで海岸からこのくらい離れている。

  • 魚も結構見られた。

    魚も結構見られた。

  • 独特なフォルムのツノダシ。

    独特なフォルムのツノダシ。

  • 中野海岸近くのスーパー八重に立ち寄り、食料を買う。

    中野海岸近くのスーパー八重に立ち寄り、食料を買う。

    スーパー八重 スーパー・コンビニ・量販店

  • 星砂の浜での日の入り。

    星砂の浜での日の入り。

  • だるま夕日っぽくなった。

    だるま夕日っぽくなった。

  • しげた丸のシュノーケリングツアーに参加。

    しげた丸のシュノーケリングツアーに参加。

  • まずは船浮集落へ。ここは陸路では行くことはできない集落。御嶽(うたき)を見学。御嶽は聖域なので写真撮影や立ち入りを禁止されている所もあるが、ここは撮影の許可をとっているとのこと。

    まずは船浮集落へ。ここは陸路では行くことはできない集落。御嶽(うたき)を見学。御嶽は聖域なので写真撮影や立ち入りを禁止されている所もあるが、ここは撮影の許可をとっているとのこと。

  • 船浮小学校・中学校。人数は忘れたが、生徒の数よりも先生の数の方が多い。

    船浮小学校・中学校。人数は忘れたが、生徒の数よりも先生の数の方が多い。

  • シュノーケリングポイントへ。

    シュノーケリングポイントへ。

  • 魚の大群。

    魚の大群。

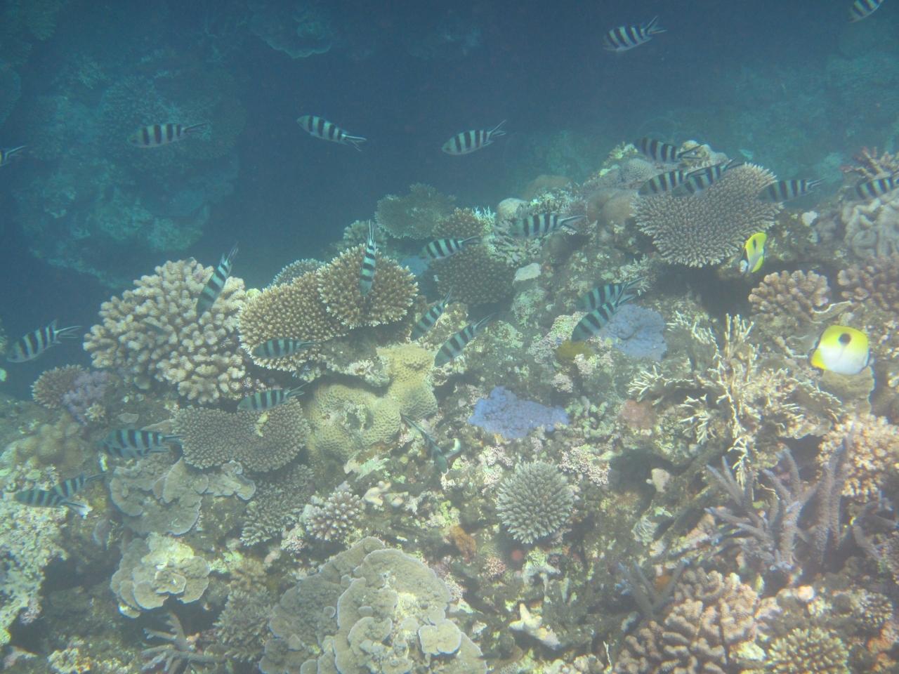
  • そしてサンゴの海。

    そしてサンゴの海。

  • しげた丸のシュノーケリングツアーでは、指定した時間内であれば基本自由に遊泳していい。泳ぎに自信がない人はスタッフが一緒に泳いでくれる。<br />1ヶ所目のポイントではたっぷり1時間近く泳げた。

    しげた丸のシュノーケリングツアーでは、指定した時間内であれば基本自由に遊泳していい。泳ぎに自信がない人はスタッフが一緒に泳いでくれる。
    1ヶ所目のポイントではたっぷり1時間近く泳げた。

  • 2ヶ所目のシュノーケリングポイントに移動し、まずは船の上でランチ休憩。

    2ヶ所目のシュノーケリングポイントに移動し、まずは船の上でランチ休憩。

  • ランチ後にシュノーケリング。

    ランチ後にシュノーケリング。

  • ここはウミガメがよくいるポイントとのことで、計3匹のウミガメを見られた。<br />滞在時間は、ランチの時間も含めて約1時間50分。

    ここはウミガメがよくいるポイントとのことで、計3匹のウミガメを見られた。
    滞在時間は、ランチの時間も含めて約1時間50分。

  • 3ヶ所目のシュノーケリングポイント。ユビエダサンゴの群落。

    3ヶ所目のシュノーケリングポイント。ユビエダサンゴの群落。

  • クマノミを発見。

    クマノミを発見。

  • 2m以上ありそうなウツボも発見。<br />ここのポイントは1時間近く滞在し、帰路へ。

    2m以上ありそうなウツボも発見。
    ここのポイントは1時間近く滞在し、帰路へ。

  • 帰路にスコールに遭遇。港では雨が降った跡はなく、局地的な大雨だった。

    帰路にスコールに遭遇。港では雨が降った跡はなく、局地的な大雨だった。

この旅行記のタグ

6いいね!

利用規約に違反している投稿は、報告する事ができます。 問題のある投稿を連絡する

コメントを投稿する前に

十分に確認の上、ご投稿ください。 コメントの内容は攻撃的ではなく、相手の気持ちに寄り添ったものになっていますか?

サイト共通ガイドライン(利用上のお願い)

報道機関・マスメディアの方へ 画像提供などに関するお問い合わせは、専用のお問い合わせフォームからお願いいたします。

この旅行で行ったスポット

旅の計画・記録

マイルに交換できるフォートラベルポイントが貯まる
フォートラベルポイントって?

フォートラベル公式LINE@

おすすめの旅行記や旬な旅行情報、お得なキャンペーン情報をお届けします!
QRコードが読み取れない場合はID「@4travel」で検索してください。

\その他の公式SNSはこちら/

この旅行記の地図

拡大する

価格.com旅行・トラベルホテル・旅館を比較

PAGE TOP