慶良間諸島旅行記(ブログ) 一覧に戻る
息子と沖縄の那覇に行き、慶良間諸島でスキューバダイビング&amp;シュノーケリング!ライセンスを持ってる私ですが息子の体験ダイビングに付き合いました。息子は初ダイビングです。<br /><br />8/23(水)02:40羽田空港発→05:15那覇空港着(SKY527)<br />ロワジールホテル那覇泊<br />8/25(金)03:00那覇空港発→05:25羽田空港着(SKY528)

息子と2人旅(沖縄那覇・慶良間諸島)♯92

18いいね!

2017/08/23 - 2017/08/25

680位(同エリア1667件中)

0

41

ソロトラベラーたけし

ソロトラベラーたけしさん

息子と沖縄の那覇に行き、慶良間諸島でスキューバダイビング&シュノーケリング!ライセンスを持ってる私ですが息子の体験ダイビングに付き合いました。息子は初ダイビングです。

8/23(水)02:40羽田空港発→05:15那覇空港着(SKY527)
ロワジールホテル那覇泊
8/25(金)03:00那覇空港発→05:25羽田空港着(SKY528)

  • 深夜に羽田空港国内線第1ターミナルに!

    深夜に羽田空港国内線第1ターミナルに!

  • am2:40発の那覇行きスカイマーク!<br />これが今日の最後の便!いや最初の便?

    am2:40発の那覇行きスカイマーク!
    これが今日の最後の便!いや最初の便?

  • スカイマークの羽田→那覇便の機内!<br />機内サービスは特にありませんでした。

    スカイマークの羽田→那覇便の機内!
    機内サービスは特にありませんでした。

  • 那覇空港に着き、、、めんそーれ!

    那覇空港に着き、、、めんそーれ!

  • タクシーでロワジールホテル那覇に向かいます。<br />沖縄の初乗り運賃は550円なのね。。。

    タクシーでロワジールホテル那覇に向かいます。
    沖縄の初乗り運賃は550円なのね。。。

  • ロワジールホテル那覇に着きました!<br />三重城港での集合時間がam7:50なので2時間以上あります。

    ロワジールホテル那覇に着きました!
    三重城港での集合時間がam7:50なので2時間以上あります。

  • ロワジールホテル那覇全景!

    ロワジールホテル那覇全景!

  • タクシーで三重城港に向かいます。

    タクシーで三重城港に向かいます。

  • 三重城港待合所に着きました!

    三重城港待合所に着きました!

  • 三重城港!

    三重城港!

  • さあ、乗船して慶良間諸島に向かいます。

    さあ、乗船して慶良間諸島に向かいます。

  • 慶良間諸島にLet&#39;s go!

    慶良間諸島にLet's go!

  • 慶良間諸島の3つのポイントを体験ダイビング・シュノーケリングで廻ります。<br />我が家は1ポイント目を体験ダイビング、2・3ポイント目をシュノーケリングのプランです。<br />体験ダイビングでスキューバダイビングが初めての方がほとんどなのでインストラクターから説明があります。私はダイバーですがね!!!

    慶良間諸島の3つのポイントを体験ダイビング・シュノーケリングで廻ります。
    我が家は1ポイント目を体験ダイビング、2・3ポイント目をシュノーケリングのプランです。
    体験ダイビングでスキューバダイビングが初めての方がほとんどなのでインストラクターから説明があります。私はダイバーですがね!!!

  • 渡嘉敷島に到着!

    渡嘉敷島に到着!

  • 魚と戯れる息子(^ ^)

    魚と戯れる息子(^ ^)

  • クマノミ!!!

    クマノミ!!!

  • 息子とツーショット(^ ^)

    息子とツーショット(^ ^)

  • ツノダシの舞い!

    ツノダシの舞い!

  • 次のポイントも渡嘉敷島の周り!<br />2番目のポイントはシュノーケリングの予定でしたが息子が潜りたいと言うので体験ダイビング2本目に追加料金で(^ ^)

    次のポイントも渡嘉敷島の周り!
    2番目のポイントはシュノーケリングの予定でしたが息子が潜りたいと言うので体験ダイビング2本目に追加料金で(^ ^)

  • クマノミ!<br />可愛いから眺め続けちゃいました(^ ^)

    クマノミ!
    可愛いから眺め続けちゃいました(^ ^)

  • アオウミガメ発見!<br />一緒に泳ごう(^ ^)

    アオウミガメ発見!
    一緒に泳ごう(^ ^)

  • アオウミガメ!!!

    アオウミガメ!!!

  • 息子とアオウミガメとスリーショット!

    息子とアオウミガメとスリーショット!

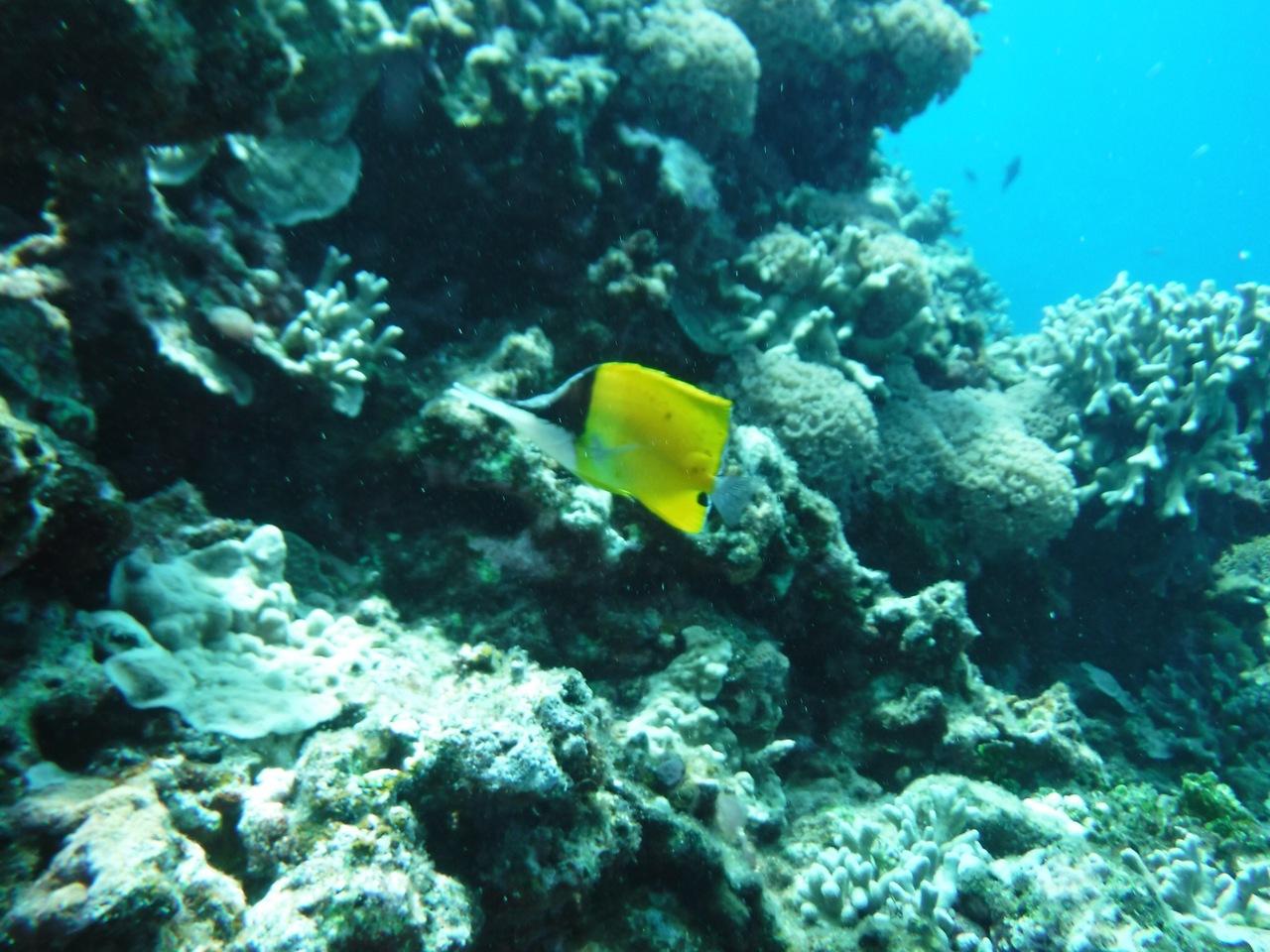
  • フエヤッコダイ!

    フエヤッコダイ!

  • 船上でランチ!<br />こんなに質素でも美味い(^ ^)

    船上でランチ!
    こんなに質素でも美味い(^ ^)

  • 3番目のポイントも渡嘉敷島周辺に!<br />座間味島まで行ったものの波があり戻りました。

    3番目のポイントも渡嘉敷島周辺に!
    座間味島まで行ったものの波があり戻りました。

  • ここはシュノーケリング!<br />黒い魚の群れ。。。

    ここはシュノーケリング!
    黒い魚の群れ。。。

  • 何だろな〜???

    何だろな〜???

  • サンゴ!

    サンゴ!

  • サンゴ!<br />海を大切に。。。

    サンゴ!
    海を大切に。。。

  • 最後はツノダシ!

    最後はツノダシ!

  • サラバ!慶良間諸島!

    サラバ!慶良間諸島!

  • 那覇に戻り国際通りに!

    那覇に戻り国際通りに!

  • ロワジールホテル那覇のフロントの方にすすめられたゆうなんぎいに!<br />17:30に夜はオープンなんですね。少し前に着いたら列んでました。

    ロワジールホテル那覇のフロントの方にすすめられたゆうなんぎいに!
    17:30に夜はオープンなんですね。少し前に着いたら列んでました。

  • 先ずはオリオンビール瓶!

    先ずはオリオンビール瓶!

  • ゴーヤチャンプルをたのむとフーチャンプルの方がおすすめだと。<br />フーチャンプル美味しかった(^ ^)<br />写真撮り忘れた(&gt;_&lt;)

    ゴーヤチャンプルをたのむとフーチャンプルの方がおすすめだと。
    フーチャンプル美味しかった(^ ^)
    写真撮り忘れた(>_<)

  • ラフテー!<br />味噌味ね。

    ラフテー!
    味噌味ね。

  • 海ぶどう!

    海ぶどう!

  • グルクン!

    グルクン!

  • 店内は色紙がたくさん!<br />有名店なんですね。。。

    店内は色紙がたくさん!
    有名店なんですね。。。

  • お酒もススム!<br />泡盛古酒43°一合もあっという間に無くなり、、、<br />ホテルに帰り早めの就寝。。。<br /><br />息子と2人旅(沖縄那覇・慶良間諸島)♯93に続く!

    お酒もススム!
    泡盛古酒43°一合もあっという間に無くなり、、、
    ホテルに帰り早めの就寝。。。

    息子と2人旅(沖縄那覇・慶良間諸島)♯93に続く!

この旅行記のタグ

関連タグ

18いいね!

利用規約に違反している投稿は、報告する事ができます。 問題のある投稿を連絡する

コメントを投稿する前に

十分に確認の上、ご投稿ください。 コメントの内容は攻撃的ではなく、相手の気持ちに寄り添ったものになっていますか?

サイト共通ガイドライン(利用上のお願い)

報道機関・マスメディアの方へ 画像提供などに関するお問い合わせは、専用のお問い合わせフォームからお願いいたします。

旅の計画・記録

マイルに交換できるフォートラベルポイントが貯まる
フォートラベルポイントって?

フォートラベル公式LINE@

おすすめの旅行記や旬な旅行情報、お得なキャンペーン情報をお届けします!
QRコードが読み取れない場合はID「@4travel」で検索してください。

\その他の公式SNSはこちら/

タグから国内旅行記(ブログ)を探す

価格.com旅行・トラベルホテル・旅館を比較

PAGE TOP