ホノルル旅行記(ブログ) 一覧に戻る
5日目はなんとなんと朝の5時起き!!(|||ノ`□´)ノオオオォォォー!!<br /><br /><br />この日は、人生初!シュノーケリングです!°゚°。。ヾ( ~▽~)ツ ♪<br />というか、海にちゃんと入るとかもう記憶がないぐらい!!<br /><br />朝から緊張しっぱなしwおすすめの酔い止めアネロンをちゃんと飲みました!<br /><br />今回、お世話になったのは「ドルフィンアンドユー」というところです。<br /><br />日本語ぺらっぺらととても感じのよいタイちゃんというお兄さんの説明のなか、バスは1時間ほどかけて、ワイアナエハーバーに到着!<br /><br />25人ぐらい日本人であと18人ぐらいが欧米の方でした!<br /><br />船上では終始、クルーがのりのりで盛り上げてくれて洋楽もガンガン流してくれてハイテンションになりましたw<br /><br />モデルをやってるとかゆうシャンティがイケメン!!(*´Д`*)ポポンッwww<br /><br />そしてついに海へダイブ!!!<br /><br /><br />きもちぃ〜〜〜〜〜!!<br /><br />水深どれくらいだったんでしょう。。下にきれいな白い砂浜がみえる!!<br /><br />まわりの山々がすっごく綺麗にみえる!!<br /><br />不安で緊張していた心が一気に吹き飛び目の前に広がる素晴らしい光景にうっとり!!<br /><br /><br />$5でスーツもかりたので全然寒くもなく快適!<br /><br /><br />きゃーーーーーイルカいたーーーーー(屮゚ω゚)屮ーーー!!!<br /><br /><br />写ルンですの防水カメラをもってばしゃばしゃ取りまくつってしましたw<br /><br />27枚どりなのに気づいたらあと1枚wwwwwwww<br /><br />なのでその後のシュノーケルポイントで一枚しか撮れませんでした(ノД`lll)トホホ<br /><br /><br />とにかく初めてだらけのことで、うまく泳げないしその後腰痛めたけどwww<br /><br />やってよかった!!!!!<br /><br /><br /><br />それに尽きます。<br /><br /><br /><br />水族館でみるイルカとは全く違うし、海の中がとっても気持ちよくて、、手と足を大きく自由に動かすことができてほんとに別世界とはこのこと!!<br /><br />今度またいったらもっと潜ってより近くにいきたいなぁ〜<br /><br />カメさんもこっちを見て手をふってくれた(ような気がしたw)し、<br />楽しすぎました!!<br /><br />その後、船長が作ってくれたチーズバーガーも美味しかったし!<br /><br />って。。。。。<br /><br />あれ、、、気づいたら10人ぐらいアロハバケツ持ってるよ。。<br /><br /><br />アロハバケツとは気持ち悪くなったらアロハしちゃってーー!!♪<br />(&gt;∀<)とクルーが最初、超陽気に説明してたあれや。。。<br /><br />そうゲ●。<br /><br />み、、、みなさま相当酔ってらっしゃるようす。だ、、大丈夫ですか?!<br /><br />ん!私いつも車酔いするのにしてない!!これは酔い止めのおかげなのか?!テンションのせいなのか?!w<br /><br />弱い方、心配な方はぜっーーーーたい酔い止めを飲まれることをおすすめします。<br /><br />あっという間の半日ツアーでした!<br /><br />昨日の登山といい普段の自分ならあるまじきアクティビティ行為ww<br /><br />なんだ自分やればできるじゃん!!wwもっと有意義に生きなければなぁw<br /><br />大満足〜〜〜<br /><br />あまり上手に撮れなかったですがご覧ください〜(^θ^)<br /><br />

初ハワイ☆ o(~∇~*o)5日目★イルカとカメに会えたよ編

24いいね!

2015/05/09 - 2015/05/15

6085位(同エリア17398件中)

0

11

ミラ

ミラさん

5日目はなんとなんと朝の5時起き!!(|||ノ`□´)ノオオオォォォー!!


この日は、人生初!シュノーケリングです!°゚°。。ヾ( ~▽~)ツ ♪
というか、海にちゃんと入るとかもう記憶がないぐらい!!

朝から緊張しっぱなしwおすすめの酔い止めアネロンをちゃんと飲みました!

今回、お世話になったのは「ドルフィンアンドユー」というところです。

日本語ぺらっぺらととても感じのよいタイちゃんというお兄さんの説明のなか、バスは1時間ほどかけて、ワイアナエハーバーに到着!

25人ぐらい日本人であと18人ぐらいが欧米の方でした!

船上では終始、クルーがのりのりで盛り上げてくれて洋楽もガンガン流してくれてハイテンションになりましたw

モデルをやってるとかゆうシャンティがイケメン!!(*´Д`*)ポポンッwww

そしてついに海へダイブ!!!


きもちぃ〜〜〜〜〜!!

水深どれくらいだったんでしょう。。下にきれいな白い砂浜がみえる!!

まわりの山々がすっごく綺麗にみえる!!

不安で緊張していた心が一気に吹き飛び目の前に広がる素晴らしい光景にうっとり!!


$5でスーツもかりたので全然寒くもなく快適!


きゃーーーーーイルカいたーーーーー(屮゚ω゚)屮ーーー!!!


写ルンですの防水カメラをもってばしゃばしゃ取りまくつってしましたw

27枚どりなのに気づいたらあと1枚wwwwwwww

なのでその後のシュノーケルポイントで一枚しか撮れませんでした(ノД`lll)トホホ


とにかく初めてだらけのことで、うまく泳げないしその後腰痛めたけどwww

やってよかった!!!!!



それに尽きます。



水族館でみるイルカとは全く違うし、海の中がとっても気持ちよくて、、手と足を大きく自由に動かすことができてほんとに別世界とはこのこと!!

今度またいったらもっと潜ってより近くにいきたいなぁ〜

カメさんもこっちを見て手をふってくれた(ような気がしたw)し、
楽しすぎました!!

その後、船長が作ってくれたチーズバーガーも美味しかったし!

って。。。。。

あれ、、、気づいたら10人ぐらいアロハバケツ持ってるよ。。


アロハバケツとは気持ち悪くなったらアロハしちゃってーー!!♪
(>∀<)とクルーが最初、超陽気に説明してたあれや。。。

そうゲ●。

み、、、みなさま相当酔ってらっしゃるようす。だ、、大丈夫ですか?!

ん!私いつも車酔いするのにしてない!!これは酔い止めのおかげなのか?!テンションのせいなのか?!w

弱い方、心配な方はぜっーーーーたい酔い止めを飲まれることをおすすめします。

あっという間の半日ツアーでした!

昨日の登山といい普段の自分ならあるまじきアクティビティ行為ww

なんだ自分やればできるじゃん!!wwもっと有意義に生きなければなぁw

大満足〜〜〜

あまり上手に撮れなかったですがご覧ください〜(^θ^)

旅行の満足度
5.0
観光
4.5
ホテル
3.0
グルメ
4.0
ショッピング
4.0
交通
3.5
同行者
友人
一人あたり費用
10万円 - 15万円
交通手段
観光バス 徒歩
航空会社
ANA
旅行の手配内容
ツアー(添乗員同行なし)
利用旅行会社
JTB
  • きれいな景色に圧巻!!

    きれいな景色に圧巻!!

  • いたーーーーー!!!

    いたーーーーー!!!

  • うおおおおお

    うおおおおお

  • まってまって

    まってまって

  • いっぱいいるーー

    いっぱいいるーー

  • ほほ〜〜い

    ほほ〜〜い

  • ひゅんひゅん!

    ひゅんひゅん!

  • 大自然!!!

    大自然!!!

  • ぷーかぷか

    ぷーかぷか

  • 下の砂浜がまっしろ〜〜!

    下の砂浜がまっしろ〜〜!

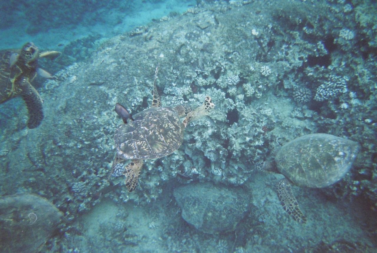
  • ホヌさん、5頭ぐらいいましたよ!!目がかわいい〜〜<br /><br />一度息継ぎで目の前にきてくれました!

    ホヌさん、5頭ぐらいいましたよ!!目がかわいい〜〜

    一度息継ぎで目の前にきてくれました!

この旅行記のタグ

関連タグ

24いいね!

利用規約に違反している投稿は、報告する事ができます。 問題のある投稿を連絡する

コメントを投稿する前に

十分に確認の上、ご投稿ください。 コメントの内容は攻撃的ではなく、相手の気持ちに寄り添ったものになっていますか?

サイト共通ガイドライン(利用上のお願い)

報道機関・マスメディアの方へ 画像提供などに関するお問い合わせは、専用のお問い合わせフォームからお願いいたします。

旅の計画・記録

マイルに交換できるフォートラベルポイントが貯まる
フォートラベルポイントって?

ハワイで使うWi-Fiはレンタルしましたか?

フォートラベル GLOBAL WiFiなら
ハワイ最安 285円/日~

  • 空港で受取・返却可能
  • お得なポイントがたまる

ハワイの料金プランを見る

フォートラベル公式LINE@

おすすめの旅行記や旬な旅行情報、お得なキャンペーン情報をお届けします!
QRコードが読み取れない場合はID「@4travel」で検索してください。

\その他の公式SNSはこちら/

タグから海外旅行記(ブログ)を探す

PAGE TOP