ケアンズ旅行記(ブログ) 一覧に戻る
遅い夏休みを取り、オーストラリアのケアンズでのんびりしようとHISで往復の航空券とホテルを予約。<br />生まれて初めてダイビングやパラセーリングも体験しました。<br /><br />9/4:21時25分成田発・カンタス航空でケアンズへ<br />9/5 5時25分ケアンズ着<br />   グリーン島でダイビング等、<br />9/6:グリーン島でパラセーリング等、ハマー4WDサファリナイトツアー<br />9/7:キュランダツアー<br />9/8:13時25分ケアンズ発・カンタス航空で成田20時着

オーストラリア・ケアンズの思い出

20いいね!

2007/09/04 - 2007/09/08

392位(同エリア2728件中)

0

73

ピンクのスマフォ

ピンクのスマフォさん

遅い夏休みを取り、オーストラリアのケアンズでのんびりしようとHISで往復の航空券とホテルを予約。
生まれて初めてダイビングやパラセーリングも体験しました。

9/4:21時25分成田発・カンタス航空でケアンズへ
9/5 5時25分ケアンズ着
   グリーン島でダイビング等、
9/6:グリーン島でパラセーリング等、ハマー4WDサファリナイトツアー
9/7:キュランダツアー
9/8:13時25分ケアンズ発・カンタス航空で成田20時着

旅行の満足度
4.0
観光
4.0
ホテル
4.0
グルメ
4.0
交通
5.0
同行者
一人旅
一人あたり費用
15万円 - 20万円
交通手段
鉄道 徒歩
航空会社
カンタス航空
旅行の手配内容
個別手配
  • 1日目:成田空港に18:00頃到着。<br />

    1日目:成田空港に18:00頃到着。

  • カンタス航空ケアンズ行きは20:55から搭乗開始。予定通り21:25出発。<br />

    カンタス航空ケアンズ行きは20:55から搭乗開始。予定通り21:25出発。

  • 22:00頃機内食が出た。<br />機内ではほとんど眠れない。<br />

    22:00頃機内食が出た。
    機内ではほとんど眠れない。

  • 2日目:予定通り早朝ケアンズ空港に到着。

    2日目:予定通り早朝ケアンズ空港に到着。

  • 朝のケアンズ市内。<br />

    朝のケアンズ市内。

  • サンラバー社のリーフクルーズと体験ダイビングを申し込んだ。<br />

    サンラバー社のリーフクルーズと体験ダイビングを申し込んだ。

  • ケアンズの南東にあるモアリーフに浮かぶポントゥーンに向かう。

    ケアンズの南東にあるモアリーフに浮かぶポントゥーンに向かう。

  • インストラクターの女の子から体験ダイビングの説明を受ける。<br />

    インストラクターの女の子から体験ダイビングの説明を受ける。

  • まず、機器の使い方や呼吸方法の指導を受ける。

    まず、機器の使い方や呼吸方法の指導を受ける。

  • インストラクターの後について海に潜る。<br />口だけで呼吸を続けるのは、かなり苦しい。

    インストラクターの後について海に潜る。
    口だけで呼吸を続けるのは、かなり苦しい。

  • オオシャコガイだと思う。<br />

    オオシャコガイだと思う。

  • 魚の群れを撮ろうとしたのだが、近づくとすぐに逃げられ、なかなか難しい。

    魚の群れを撮ろうとしたのだが、近づくとすぐに逃げられ、なかなか難しい。

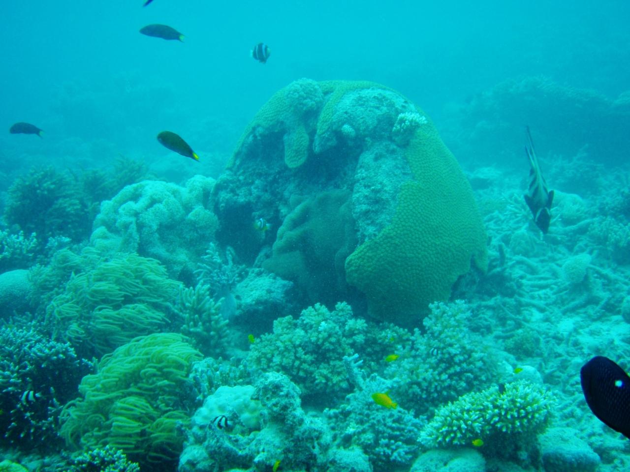
  • インストラクターが珊瑚の説明等してくれる。

    インストラクターが珊瑚の説明等してくれる。

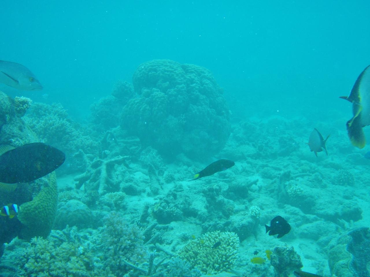
  • 大きな丸いサンゴ。

    大きな丸いサンゴ。

  • 大きな魚が頭上を通り過ぎる。 <br />ナポレオンフィッシュかな。

    大きな魚が頭上を通り過ぎる。
    ナポレオンフィッシュかな。

  • 口呼吸にやっと慣れてきたかな、というところでダイビング終了。

    口呼吸にやっと慣れてきたかな、というところでダイビング終了。

  • ポントゥーンからグラスボトムボートに乗船。

    ポントゥーンからグラスボトムボートに乗船。

  • ガラス越しに海中の様子が見れるがダイビングの後ではちょっと物足りない。<br />

    ガラス越しに海中の様子が見れるがダイビングの後ではちょっと物足りない。

  • 長い1日が終わりホテルにチェックイン。宿泊はパシフィック・インターナショナル。

    長い1日が終わりホテルにチェックイン。宿泊はパシフィック・インターナショナル。

  • こちらに3泊した。部屋は広いし、設備も充分だった。

    こちらに3泊した。部屋は広いし、設備も充分だった。

  • レストランで夕食。随分と量が多いが、これで1人分。<br />この日は眠気と疲労ですぐに就寝。

    レストランで夕食。随分と量が多いが、これで1人分。
    この日は眠気と疲労ですぐに就寝。

  • 3日目:朝の6:30ですでに気温は27℃。

    3日目:朝の6:30ですでに気温は27℃。

  • 今日は、パラセーリング等する事に。<br />

    今日は、パラセーリング等する事に。

  • クルーザーで沖合に。<br />

    クルーザーで沖合に。

  • 前の組が遊覧中。<br />

    前の組が遊覧中。

  • 私の順番となる。二人掛けの椅子に一人で座る。

    私の順番となる。二人掛けの椅子に一人で座る。

  • ふわりと浮かんでとても気持ちが良かった。遠くにグリーン島が見える。<br />遊覧時間が15分位しかなく、残念。

    ふわりと浮かんでとても気持ちが良かった。遠くにグリーン島が見える。
    遊覧時間が15分位しかなく、残念。

  • パラセーリングは午前中で終了。<br />

    パラセーリングは午前中で終了。

  • グリーン島に上陸。

    グリーン島に上陸。

  • グリーン島の浜辺でのんびり過ごす。

    グリーン島の浜辺でのんびり過ごす。

  • 午後にまた船で海へ。

    午後にまた船で海へ。

  • シュノーケリングにも挑戦してみた。

    シュノーケリングにも挑戦してみた。

  • 水を飲んだり鼻に水が入ったりして早々にギブアップ。<br />やはり、指導を受けないとダメですね。<br />ダイビングより難しいと感じた。

    水を飲んだり鼻に水が入ったりして早々にギブアップ。
    やはり、指導を受けないとダメですね。
    ダイビングより難しいと感じた。

  • グリーン島を後にして、ケアンズへと向かう。

    グリーン島を後にして、ケアンズへと向かう。

  • 夜はハマー4WDサファリナイトツアーに参加。最初はカンガルーの餌付け体験。

    夜はハマー4WDサファリナイトツアーに参加。最初はカンガルーの餌付け体験。

  • カンガルーと触れ合える。

    カンガルーと触れ合える。

  • アメリカで軍事用に開発されたハマーに乗車。オフロードを爆音と共に疾走する。ライトを消して走ったりしてエキサイティングだが、乗り心地は最悪で写真を撮る余裕などなかった。<br />

    アメリカで軍事用に開発されたハマーに乗車。オフロードを爆音と共に疾走する。ライトを消して走ったりしてエキサイティングだが、乗り心地は最悪で写真を撮る余裕などなかった。

  • いきなり馬が車内に顔を突っ込んで来てびっくり。

    いきなり馬が車内に顔を突っ込んで来てびっくり。

  • ドライバーと記念撮影。

    ドライバーと記念撮影。

  • ガイドが熱帯雨林の植物について説明している。

    ガイドが熱帯雨林の植物について説明している。

  • さらにジャングルの奥へ。

    さらにジャングルの奥へ。

  • バーベキューの夕食。

    バーベキューの夕食。

  • ガイドが食後のコーヒを淹れてくれる。

    ガイドが食後のコーヒを淹れてくれる。

  • ツアーの締めはたき火を囲んでのマシュマロ焼き。

    ツアーの締めはたき火を囲んでのマシュマロ焼き。

  • 4日目:キュランダツアーに参加。<br />ケアンズからキュランダまで車窓からの景色を楽しむツアー。

    4日目:キュランダツアーに参加。
    ケアンズからキュランダまで車窓からの景色を楽しむツアー。

  • 客車の前で記念撮影。<br />エンジと白に塗り分けられた観光用の列車。<br />

    客車の前で記念撮影。
    エンジと白に塗り分けられた観光用の列車。

  • 木質感あふれるレトロな感じの車内。<br />

    木質感あふれるレトロな感じの車内。

  • 車窓からの眺め。<br />

    車窓からの眺め。

  • 大きくカーブするこの地点が撮影ポイント。<br />

    大きくカーブするこの地点が撮影ポイント。

  • キュランダビリッジに入場。<br />

    キュランダビリッジに入場。

  • アメリカの軍用水陸両用車アーミーダック。<br />これに乗って熱帯雨林を走るのは楽しかった。

    アメリカの軍用水陸両用車アーミーダック。
    これに乗って熱帯雨林を走るのは楽しかった。

  • 凶暴なイリエワニ。<br />

    凶暴なイリエワニ。

  • かわいいコアラ。<br />コアラを抱いての記念撮影もツアーに組み込まれていた。爪が鋭くて、掴まれた時に少し痛かった。<br />

    かわいいコアラ。
    コアラを抱いての記念撮影もツアーに組み込まれていた。爪が鋭くて、掴まれた時に少し痛かった。

  • ユーカリの葉を食べている。<br />ユーカリの葉は青酸系の毒を含んでいるが、コアラの盲腸には毒素を分解する酵素があるため解毒できるらしい。<br />

    ユーカリの葉を食べている。
    ユーカリの葉は青酸系の毒を含んでいるが、コアラの盲腸には毒素を分解する酵素があるため解毒できるらしい。

  • ワラビーかな。

    ワラビーかな。

  • スカイレールで熱帯雨林を空中散歩。

    スカイレールで熱帯雨林を空中散歩。

  • ゴンドラからの眺め。<br />

    ゴンドラからの眺め。

  • ホテル近くの日本食レストランで夕食。

    ホテル近くの日本食レストランで夕食。

  • デザートは盛りだくさん。<br />

    デザートは盛りだくさん。

  • ホテルに戻りテレビを見ると日本は台風。<br />予定通り帰国できるか心配になる。

    ホテルに戻りテレビを見ると日本は台風。
    予定通り帰国できるか心配になる。

  • 空港で帰りの便の搭乗手続きをする。

    空港で帰りの便の搭乗手続きをする。

  • 係りの人がこのチケットを渡してくれた。<br />嬉しいことにビジネスクラスにアップグレード。初めてのカンタス航空利用でマイレージ会員でもないのに、ありがとうカンタス航空さん。

    係りの人がこのチケットを渡してくれた。
    嬉しいことにビジネスクラスにアップグレード。初めてのカンタス航空利用でマイレージ会員でもないのに、ありがとうカンタス航空さん。

  • 簡素なケアンズ空港。

    簡素なケアンズ空港。

  • ケアンズ空港を出発。<br />

    ケアンズ空港を出発。

  • シートが大きく、足元も広い。<br />当時のエコノミークラスには無いモニターも有ってドラマ等見て過ごす。

    シートが大きく、足元も広い。
    当時のエコノミークラスには無いモニターも有ってドラマ等見て過ごす。

  • オーストラリアともお別れ。

    オーストラリアともお別れ。

  • 上空から見えた珊瑚の島。<br />

    上空から見えた珊瑚の島。

  • ビジネスクラスの機内食。<br />白いクロスが敷かれ、陶食器で供されるのは嬉しい。

    ビジネスクラスの機内食。
    白いクロスが敷かれ、陶食器で供されるのは嬉しい。

  • メインは仔牛のカツレツ。<br />この後のデザートは撮り忘れ。

    メインは仔牛のカツレツ。
    この後のデザートは撮り忘れ。

  • 夜食にお寿司。<br />この後、台風の影響も無く予定通り成田に到着。グレートバリアリーフで生まれて初めてのダイビングは楽しかった。また、自腹では絶対に乗ることの無いビジネスクラスに乗れて良い経験となった。

    夜食にお寿司。
    この後、台風の影響も無く予定通り成田に到着。グレートバリアリーフで生まれて初めてのダイビングは楽しかった。また、自腹では絶対に乗ることの無いビジネスクラスに乗れて良い経験となった。

この旅行記のタグ

20いいね!

利用規約に違反している投稿は、報告する事ができます。 問題のある投稿を連絡する

コメントを投稿する前に

十分に確認の上、ご投稿ください。 コメントの内容は攻撃的ではなく、相手の気持ちに寄り添ったものになっていますか?

サイト共通ガイドライン(利用上のお願い)

報道機関・マスメディアの方へ 画像提供などに関するお問い合わせは、専用のお問い合わせフォームからお願いいたします。

旅の計画・記録

マイルに交換できるフォートラベルポイントが貯まる
フォートラベルポイントって?

オーストラリアで使うWi-Fiはレンタルしましたか?

フォートラベル GLOBAL WiFiなら
オーストラリア最安 305円/日~

  • 空港で受取・返却可能
  • お得なポイントがたまる

オーストラリアの料金プランを見る

フォートラベル公式LINE@

おすすめの旅行記や旬な旅行情報、お得なキャンペーン情報をお届けします!
QRコードが読み取れない場合はID「@4travel」で検索してください。

\その他の公式SNSはこちら/

PAGE TOP