スラウェシ島旅行記(ブログ) 一覧に戻る
2014年の夏はマレーシアのレダン島に続き、突如マナドにも行くことに…<br />というのは、レダン島への旅はクルーズ船で行ったので、あまり動いた感じがせずに珍しく主人が不服だったのが原因です。<br /><br />しかも急遽思いついたので当然直行便のチケットなど既になく、<br />(シンガポールから直行便だと3時間ほどで行けます)<br />シンガポールからジャカルタ経由→マナドで半日かかりました。<br /><br />私としてはクルーズの旅も大満足だったし、<br />出費を抑えたかったので大反対だったのですが。<br /><br />これが行ってみて本当に楽しかったマナドの旅。<br /><br />インドネシアの決して裕福ではない小さな島で、<br />心豊かに楽しく過ごしているローカルの人たちに胸をうたれました。<br /><br />そして、なんといっても海の中が素晴らしいドロップオフの珊瑚でした。<br />ダイバーの憧れの海、納得です。<br />

家族旅行@マナド スラウェシ島2014夏休み

26いいね!

2014/08/27 - 2014/08/30

35位(同エリア226件中)

0

167

coto

cotoさん

2014年の夏はマレーシアのレダン島に続き、突如マナドにも行くことに…
というのは、レダン島への旅はクルーズ船で行ったので、あまり動いた感じがせずに珍しく主人が不服だったのが原因です。

しかも急遽思いついたので当然直行便のチケットなど既になく、
(シンガポールから直行便だと3時間ほどで行けます)
シンガポールからジャカルタ経由→マナドで半日かかりました。

私としてはクルーズの旅も大満足だったし、
出費を抑えたかったので大反対だったのですが。

これが行ってみて本当に楽しかったマナドの旅。

インドネシアの決して裕福ではない小さな島で、
心豊かに楽しく過ごしているローカルの人たちに胸をうたれました。

そして、なんといっても海の中が素晴らしいドロップオフの珊瑚でした。
ダイバーの憧れの海、納得です。

旅行の満足度
5.0
同行者
家族旅行
一人あたり費用
3万円 - 5万円
交通手段
タクシー
航空会社
ガルーダインドネシア航空
旅行の手配内容
個別手配
  • チャンギ空港でチェックイン

    チャンギ空港でチェックイン

  • 今回はガルーダ・インドネシア航空にお世話になりました

    今回はガルーダ・インドネシア航空にお世話になりました

  • ちびっこメニュー

    ちびっこメニュー

  • 大人メニュー

    大人メニュー

  • 雲の上はいつ見ても絶景ですね

    雲の上はいつ見ても絶景ですね

  • 最近の長男は四六時中マンガです。

    最近の長男は四六時中マンガです。

  • ジャカルタ到着

    ジャカルタ到着

  • 次はこれに乗ります〜

    次はこれに乗ります〜

  • 空港内全てバリっぽい!<br /><br />インドネシアだから当たり前なんですが…

    空港内全てバリっぽい!

    インドネシアだから当たり前なんですが…

  • ガルーダインドネシア航空<br /><br />音楽も映画もゲームもかなり豊富でした!<br />

    ガルーダインドネシア航空

    音楽も映画もゲームもかなり豊富でした!

  • マナド到着<br /><br />ステンドグラスが素敵

    マナド到着

    ステンドグラスが素敵

  • 空港を出るとタクシーやツアーエージェントの客引きがすごいです<br /><br />私たちもここでお世話になるツアーのおじさんと出会いました

    空港を出るとタクシーやツアーエージェントの客引きがすごいです

    私たちもここでお世話になるツアーのおじさんと出会いました

  • 空港の外観をとってみました

    空港の外観をとってみました

  • 宿泊先はココティノスリゾートです

    宿泊先はココティノスリゾートです

  • こじんまーりしたロビー

    こじんまーりしたロビー

  • まずはレストランに通されてのチェックインでした

    まずはレストランに通されてのチェックインでした

  • チェックインをしながら<br />ウェルカムドリンクとサンドイッチまで!

    チェックインをしながら
    ウェルカムドリンクとサンドイッチまで!

  • 夜はリゾート内で食事<br /><br />

    夜はリゾート内で食事

  • 何を食べても美味しかったです

    何を食べても美味しかったです

  • 客室は二階建てのコテージです

    客室は二階建てのコテージです

  • 私たちは一階の一番左のお部屋でした

    私たちは一階の一番左のお部屋でした

  • かなり狭そう…ごめんね

    かなり狭そう…ごめんね

  • 朝のプール

    朝のプール

  • 画になりますね〜

    画になりますね〜

  • こんなハートの植木も&#9825;<br /><br />確かにカップル多かったです

    こんなハートの植木も♡

    確かにカップル多かったです

  • レストランはひとつしかないので<br />こんな感じで時間帯でお料理が変わります

    レストランはひとつしかないので
    こんな感じで時間帯でお料理が変わります

  • 朝はビュッフェです

    朝はビュッフェです

  • 朝の雰囲気もとても爽やかでよかったです

    朝の雰囲気もとても爽やかでよかったです

  • 朝食のあとはシュノーケルツアーです<br /><br />ダイバーさんたちと一緒に

    朝食のあとはシュノーケルツアーです

    ダイバーさんたちと一緒に

  • エンジンが二つついたボートで出発です

    エンジンが二つついたボートで出発です

  • 子供用シュノーケルは合わないものが多いので家から持参しました

    子供用シュノーケルは合わないものが多いので家から持参しました

  • これがマナド富士ってやつです<br /><br />確かに見えなくもないし、存在感もある

    これがマナド富士ってやつです

    確かに見えなくもないし、存在感もある

  • 海は深いので色が濃いです

    海は深いので色が濃いです

  • マナド周辺のダイブスポットの地図。<br /><br />こんなにたくさんあります!

    マナド周辺のダイブスポットの地図。

    こんなにたくさんあります!

  • あ〜<br />ダイビングしたい…<br /><br />けど子供たちがまだ体験も怖いようで大人もシュノーケルです

    あ〜
    ダイビングしたい…

    けど子供たちがまだ体験も怖いようで大人もシュノーケルです

  • いってらっしゃーい

    いってらっしゃーい

  • さて、私も行きますか

    さて、私も行きますか

  • 今日はブナケン島周辺のスポットです

    今日はブナケン島周辺のスポットです

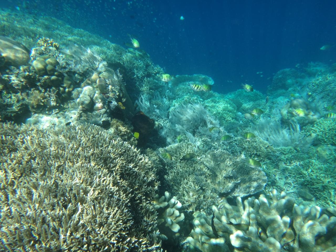
  • 海の中は元気な珊瑚で溢れていました

    海の中は元気な珊瑚で溢れていました

  • パパは素潜りが得意です

    パパは素潜りが得意です

  • はいピース

    はいピース

  • 1本目終了〜<br />一度船に戻って休憩

    1本目終了〜
    一度船に戻って休憩

  • 二本目<br />ドロップオフがすごい面白い

    二本目
    ドロップオフがすごい面白い

  • このようにいきなり深くなります<br /><br />深海1000メートル以上らしいですよ<br /><br />ワクワクする〜!

    このようにいきなり深くなります

    深海1000メートル以上らしいですよ

    ワクワクする〜!

  • この白いくずのように写ってるのはお魚たちです<br /><br />

    この白いくずのように写ってるのはお魚たちです

  • ウミガメがたくさんいました

    ウミガメがたくさんいました

  • こんにちは!

    こんにちは!

  • お昼休憩<br /><br />ここで食べる食事は格別です

    お昼休憩

    ここで食べる食事は格別です

  • お土産うりのお母さんが小舟でやってきました

    お土産うりのお母さんが小舟でやってきました

  • 超気さくなダイバーショップのスタッフたち

    超気さくなダイバーショップのスタッフたち

  • 向こうに見えるのがブナケン島です

    向こうに見えるのがブナケン島です

  • お昼を食べた後に三本目

    お昼を食べた後に三本目

  • 写真では伝えきれないほどのお魚たちです

    写真では伝えきれないほどのお魚たちです

  • まるで水族館の水槽の中を泳いでいる感覚でした

    まるで水族館の水槽の中を泳いでいる感覚でした

  • 綺麗だったね〜

    綺麗だったね〜

  • 今日はおしまい<br /><br />朝8時から始まり、帰ると15時半でした。

    今日はおしまい

    朝8時から始まり、帰ると15時半でした。

  • シュノーケルの後、ダイブショップのお兄ちゃんたちが<br />「じゃらんじゃらんしよう!」と周辺の集落を案内してくれました

    シュノーケルの後、ダイブショップのお兄ちゃんたちが
    「じゃらんじゃらんしよう!」と周辺の集落を案内してくれました

  • こちらは商店

    こちらは商店

  • こちらは小学校です

    こちらは小学校です

  • 歩いていると無邪気な子供たちが興味津々で集まってきました

    歩いていると無邪気な子供たちが興味津々で集まってきました

  • 家畜で飼っている牛たち

    家畜で飼っている牛たち

  • みんな痩せてるな…

    みんな痩せてるな…

  • そして10歳の男の子の誕生日パーティーに急遽参加させてもらいました。

    そして10歳の男の子の誕生日パーティーに急遽参加させてもらいました。

  • カラオケで盛り上がってます

    カラオケで盛り上がってます

  • うちの子…<br />初めての経験で固まっています(笑)

    うちの子…
    初めての経験で固まっています(笑)

  • お母さんが作ってくれたご馳走が並んでいます

    お母さんが作ってくれたご馳走が並んでいます

  • お誕生日おめでとう<br /><br />みんなでハイチーズ★

    お誕生日おめでとう

    みんなでハイチーズ★

  • 子供たちにはこんなお菓子のお土産までいただきました

    子供たちにはこんなお菓子のお土産までいただきました

  • みんな人懐っこくて本当に可愛かった

    みんな人懐っこくて本当に可愛かった

  • 帰ってから写真をリゾートに送ったんだけど<br />みんなちゃんと受け取ってくれたかな(*^_^*)

    帰ってから写真をリゾートに送ったんだけど
    みんなちゃんと受け取ってくれたかな(*^_^*)

  • 次の日。<br /><br />空港で出会ったおじさんに一日観光に連れてってもらいました。<br />値段は交渉で決めたのですが、車を出してもらい家族で一万円ほどでした。

    次の日。

    空港で出会ったおじさんに一日観光に連れてってもらいました。
    値段は交渉で決めたのですが、車を出してもらい家族で一万円ほどでした。

  • マナドはキリスト教徒が人口の7割をしめています。<br />なので丘の上に立つこんな大きなキリスト像がありました。<br />ブラジルに次ぐ巨大キリスト像です。

    マナドはキリスト教徒が人口の7割をしめています。
    なので丘の上に立つこんな大きなキリスト像がありました。
    ブラジルに次ぐ巨大キリスト像です。

  • 天気がいいとマナド湾が一望できる場所なんですが<br />この日は残念ながら天気がイマイチでした。

    天気がいいとマナド湾が一望できる場所なんですが
    この日は残念ながら天気がイマイチでした。

  • この後は寺院に行きました。

    この後は寺院に行きました。

  • あまり興味なく素通りでした(^_^;

    あまり興味なく素通りでした(^_^;

  • これはログハウスの販売だそうで。<br />一件200万円くらいで買えるそうです…

    これはログハウスの販売だそうで。
    一件200万円くらいで買えるそうです…

  • この後、おじさんが天然温泉がある、というので「行きたい!」と即座に飛びつくと<br />とんでもないところに連れて行かされました(笑)

    この後、おじさんが天然温泉がある、というので「行きたい!」と即座に飛びつくと
    とんでもないところに連れて行かされました(笑)

  • 確かに硫黄の匂いはするんだけど<br />え、なに…<br />まさかここじゃないよね…

    確かに硫黄の匂いはするんだけど
    え、なに…
    まさかここじゃないよね…

  • まさか……

    まさか……

  • まさかのーーー!!!

    まさかのーーー!!!

  • はい、こんな感じ(笑)<br />蛇口をひねると天然温泉が出てきました(笑)<br /><br />もう笑うしかない。<br />来たからには入ります。<br />意外にいいお湯でした。<br />

    はい、こんな感じ(笑)
    蛇口をひねると天然温泉が出てきました(笑)

    もう笑うしかない。
    来たからには入ります。
    意外にいいお湯でした。

  • あんなにも怪しげな温泉で<br />なんだかんだゆっくりと入り(笑)<br /><br />しばしドライブ

    あんなにも怪しげな温泉で
    なんだかんだゆっくりと入り(笑)

    しばしドライブ

  • ここは大学…って言ってたっけ

    ここは大学…って言ってたっけ

  • ちょっと青空が見えてきました

    ちょっと青空が見えてきました

  • お昼はこちらの食堂で。

    お昼はこちらの食堂で。

  • 結構賑わっていました<br />人気店みたいです。

    結構賑わっていました
    人気店みたいです。

  • テラス席でいただきましょう〜

    テラス席でいただきましょう〜

  • ここで釣れたお魚料理など、<br />全て見た目に反して美味しかったです(笑)

    ここで釣れたお魚料理など、
    全て見た目に反して美味しかったです(笑)

  • 本当に美味しいのよ!

    本当に美味しいのよ!

  • おじさんの自慢の車です

    おじさんの自慢の車です

  • 高床式になっていました

    高床式になっていました

  • 山に、海に囲まれています

    山に、海に囲まれています

  • マナド市内

    マナド市内

  • 車の窓から手を振ると笑顔で返してくれる子供たち

    車の窓から手を振ると笑顔で返してくれる子供たち

  • 段々畑

    段々畑

  • 次はボルケーノに向かいました。<br /><br />長〜い階段を上ります

    次はボルケーノに向かいました。

    長〜い階段を上ります

  • ボルケーノの火口到着!

    ボルケーノの火口到着!

  • 結構迫力ありました。

    結構迫力ありました。

  • しばし山道を散策〜

    しばし山道を散策〜

  • 海も好きだけど山も好きです!<br /><br />山の頂上から見る景色は絶景☆

    海も好きだけど山も好きです!

    山の頂上から見る景色は絶景☆

  • 最後の朝

    最後の朝

  • 朝焼けがとても綺麗でした

    朝焼けがとても綺麗でした

  • 今日はお天気になりそうだな〜

    今日はお天気になりそうだな〜

  • リゾートの隣は漁師などの民家です

    リゾートの隣は漁師などの民家です

  • お世話になったダイビングショップ

    お世話になったダイビングショップ

  • こんなカニがたくさんいました

    こんなカニがたくさんいました

  • 朝ごはん☆

    朝ごはん☆

  • 宿泊先のスタッフたちが見送ってくださいました<br /><br />皆笑顔が素敵(^^)

    宿泊先のスタッフたちが見送ってくださいました

    皆笑顔が素敵(^^)

  • 最後の日は、またおじさんにお願いして帰りのフライトの時間まで<br />ブナケン島で遊ばせてもらうことにしました。

    最後の日は、またおじさんにお願いして帰りのフライトの時間まで
    ブナケン島で遊ばせてもらうことにしました。

  • ホテルを出るとずっとこんな民家の道を通ります

    ホテルを出るとずっとこんな民家の道を通ります

  • ガスも電気もない民家が並んでいます

    ガスも電気もない民家が並んでいます

  • お世辞にも綺麗とは言えません…

    お世辞にも綺麗とは言えません…

  • なんと馬車が

    なんと馬車が

  • 船着き場に到着

    船着き場に到着

  • 小舟がひしめきあっています

    小舟がひしめきあっています

  • こんな感じで乗り込みます<br /><br />ワイルド〜笑

    こんな感じで乗り込みます

    ワイルド〜笑

  • 半日この小舟貸切です

    半日この小舟貸切です

  • マナド市内から約30分

    マナド市内から約30分

  • ブナケン島目指します

    ブナケン島目指します

  • 珊瑚礁の海は透き通っています

    珊瑚礁の海は透き通っています

  • スノーケル開始

    スノーケル開始

  • やっぱりドロップオフが面白い

    やっぱりドロップオフが面白い

  • 今回の旅は本当にいろんな意味で刺激になり<br />勉強させられた旅になりました。

    今回の旅は本当にいろんな意味で刺激になり
    勉強させられた旅になりました。

  • 何よりすばらしい海に出会えてよかった

    何よりすばらしい海に出会えてよかった

  • 帰りの飛行機にて<br /><br />おしまい。

    帰りの飛行機にて

    おしまい。

この旅行記のタグ

26いいね!

利用規約に違反している投稿は、報告する事ができます。 問題のある投稿を連絡する

コメントを投稿する前に

十分に確認の上、ご投稿ください。 コメントの内容は攻撃的ではなく、相手の気持ちに寄り添ったものになっていますか?

サイト共通ガイドライン(利用上のお願い)

報道機関・マスメディアの方へ 画像提供などに関するお問い合わせは、専用のお問い合わせフォームからお願いいたします。

旅の計画・記録

マイルに交換できるフォートラベルポイントが貯まる
フォートラベルポイントって?

インドネシアで使うWi-Fiはレンタルしましたか?

フォートラベル GLOBAL WiFiなら
インドネシア最安 294円/日~

  • 空港で受取・返却可能
  • お得なポイントがたまる

インドネシアの料金プランを見る

フォートラベル公式LINE@

おすすめの旅行記や旬な旅行情報、お得なキャンペーン情報をお届けします!
QRコードが読み取れない場合はID「@4travel」で検索してください。

\その他の公式SNSはこちら/

PAGE TOP