ボラカイ島旅行記(ブログ) 一覧に戻る
ダイビングのラインセンス取得を目指し、フィリピン・ボラカイ島に再上陸!<br />基本的に海中が怖いのですが、なぜダイビングをしに来てしまのだろう?<br /><br />一年ぶりのボラカイ島は、少し発展していました。<br />海のキレイさは前回まま。<br /><br />前回と同様にビクトリーダイバーズさんにお世話になり、<br />オープンウォーターゲット!そして、島グルメも堪能しました。<br /><br />また、行きたい南の島の一つです!!

ボラカイ島再訪(2013)

26いいね!

2013/05/23 - 2013/05/27

100位(同エリア639件中)

0

30

もんち

もんちさん

ダイビングのラインセンス取得を目指し、フィリピン・ボラカイ島に再上陸!
基本的に海中が怖いのですが、なぜダイビングをしに来てしまのだろう?

一年ぶりのボラカイ島は、少し発展していました。
海のキレイさは前回まま。

前回と同様にビクトリーダイバーズさんにお世話になり、
オープンウォーターゲット!そして、島グルメも堪能しました。

また、行きたい南の島の一つです!!

旅行の満足度
5.0
同行者
一人旅
一人あたり費用
15万円 - 20万円
交通手段
飛行機
航空会社
フィリピン航空
旅行の手配内容
個別手配
  • ボラカイ島への道のりは、長い!<br />空路マニラからカリボ、カリボからボラカイ島へは船で。<br /><br />前回は木製ボートだったのですが、今回はフェリーでした。<br />安心!!<br />

    ボラカイ島への道のりは、長い!
    空路マニラからカリボ、カリボからボラカイ島へは船で。

    前回は木製ボートだったのですが、今回はフェリーでした。
    安心!!

  • やっとの思いで、ホテル到着。<br />まだ、メインビーチは、賑やかです。

    やっとの思いで、ホテル到着。
    まだ、メインビーチは、賑やかです。

  • 遅い夕食。<br />屋台で買ってみました。<br />トルティーヤと得体の知れない飲み物。<br /><br />この飲み物現地の人が、何人も注文していたのでトライ。<br />普通にジュースかと思いきや!<br />激甘、さらに不思議なジェリー?入り。<br />すべて飲むのは無理〜

    遅い夕食。
    屋台で買ってみました。
    トルティーヤと得体の知れない飲み物。

    この飲み物現地の人が、何人も注文していたのでトライ。
    普通にジュースかと思いきや!
    激甘、さらに不思議なジェリー?入り。
    すべて飲むのは無理〜

  • 晴れた日のビーチは、とっても素敵

    晴れた日のビーチは、とっても素敵

  • 2日目、一日座学。<br />ランチは、コテージのベランダで。<br /><br />お手軽に屋台で、ハンバーガーと7UP<br />ハンバーガーは2個セットだった。

    2日目、一日座学。
    ランチは、コテージのベランダで。

    お手軽に屋台で、ハンバーガーと7UP
    ハンバーガーは2個セットだった。

  • 夕食!<br />市場の中にある「ANGEL WISH DISH」です。<br />絶妙の味付けでおいしい。ボリューミー<br />なのにお手頃価格。<br /><br />ビクトリーダイバーズのインストラクターさんが<br />ご一緒してくださいました。<br />楽しい☆

    夕食!
    市場の中にある「ANGEL WISH DISH」です。
    絶妙の味付けでおいしい。ボリューミー
    なのにお手頃価格。

    ビクトリーダイバーズのインストラクターさんが
    ご一緒してくださいました。
    楽しい☆

  • ボリューム満点。

    ボリューム満点。

  • 前回もいただきました。<br />ベイクドオイスター。<br />ガーリックとチーズ、ヌクマムっぽいソースが激ウマ。<br />ご飯もすすみます。<br />

    前回もいただきました。
    ベイクドオイスター。
    ガーリックとチーズ、ヌクマムっぽいソースが激ウマ。
    ご飯もすすみます。

  • 島の特産?<br />カボスっぽい実のジュース。<br /><br />名前は忘れました・・・<br />

    島の特産?
    カボスっぽい実のジュース。

    名前は忘れました・・・

  • 待ちに待ったダイビング!<br /><br />やっぱり海は素敵ですね。

    待ちに待ったダイビング!

    やっぱり海は素敵ですね。

  • エイに遭遇!

    エイに遭遇!

  • カメ!!<br />休憩中のようですね。<br /><br />初カメです♪じっくり観察。

    カメ!!
    休憩中のようですね。

    初カメです♪じっくり観察。

  • 路地にある怪しいツリーハウス。<br />人が住んでそう

    路地にある怪しいツリーハウス。
    人が住んでそう

  • サンセット!<br />テラス席でビーチを眺めながら

    サンセット!
    テラス席でビーチを眺めながら

  • 乾杯☆<br />暑いときにはビールが一番!

    乾杯☆
    暑いときにはビールが一番!

  • ガッツリ行きますよ^^

    ガッツリ行きますよ^^

  • ダイビング3本目!<br />

    ダイビング3本目!

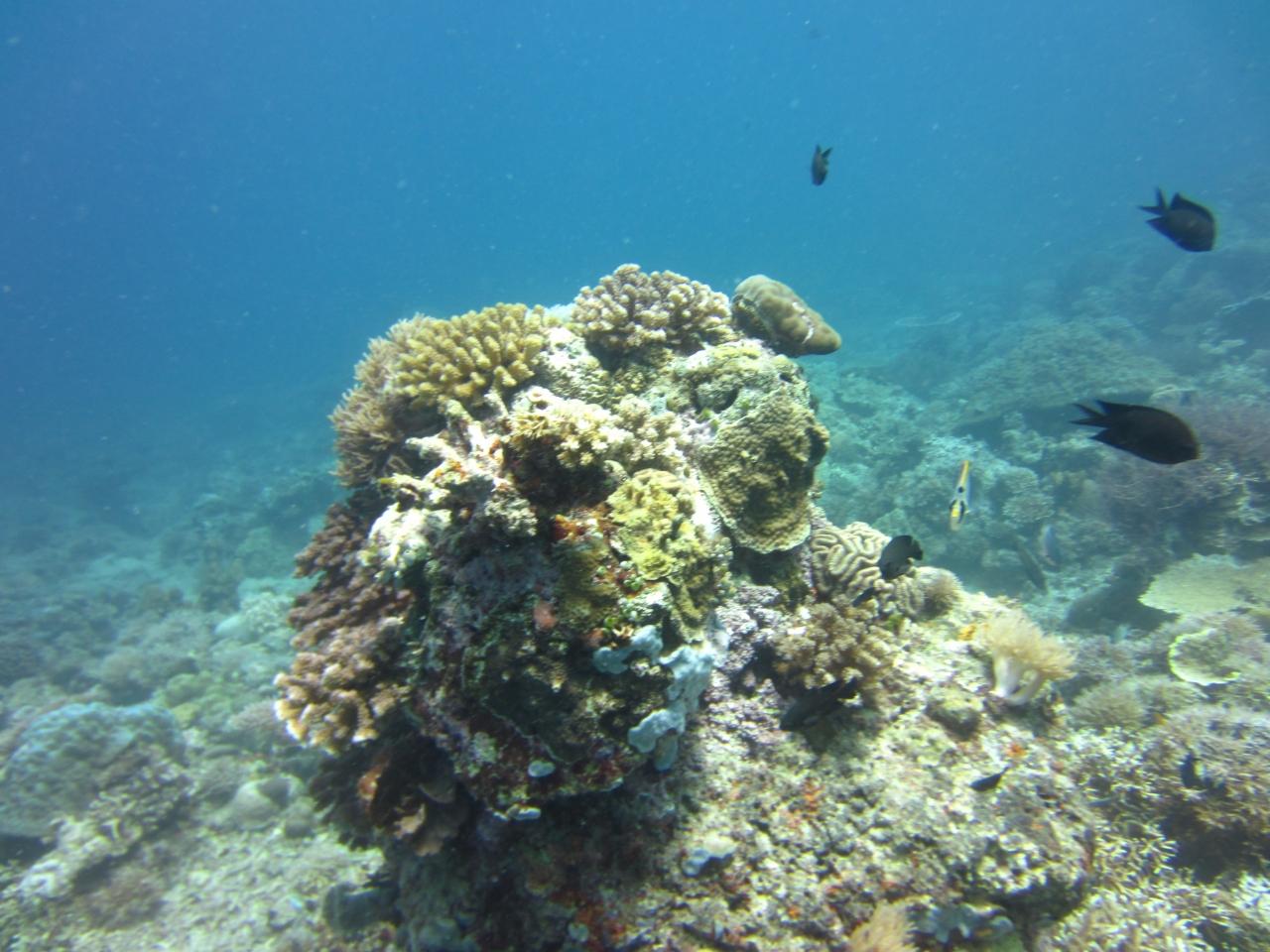
  • 海の中て、何気にカラフルですよね

    海の中て、何気にカラフルですよね

  • 不思議な世界観

    不思議な世界観

  • ANGEL WISH DISHからデリバリー<br />パスタもやっています。<br /><br />インストラクターさんおすすめのクセになる一品。<br />甘目な味付け。

    ANGEL WISH DISHからデリバリー
    パスタもやっています。

    インストラクターさんおすすめのクセになる一品。
    甘目な味付け。

  • WhiteBeachPath沿いに新しいビルができてる!<br />飲食店が入ってます。

    WhiteBeachPath沿いに新しいビルができてる!
    飲食店が入ってます。

  • 今回の目的のオープンウォーターのテストを無事<br />合格し、ボラカイ島最後の夜です。<br /><br />バリテイストに。

    今回の目的のオープンウォーターのテストを無事
    合格し、ボラカイ島最後の夜です。

    バリテイストに。

  • 頼みすぎたー

    頼みすぎたー

  • まだ真っ暗な中、ホテルを出発しフェリー乗り場。<br />帰りは木製の船だった・・・<br /><br />さようなら、ボラカイ!<br />お世話になりました。インストラクターさん<br /><br />また来ます!

    まだ真っ暗な中、ホテルを出発しフェリー乗り場。
    帰りは木製の船だった・・・

    さようなら、ボラカイ!
    お世話になりました。インストラクターさん

    また来ます!

  • カリボ空港<br />のどかな感じがいいね!<br />

    カリボ空港
    のどかな感じがいいね!

この旅行記のタグ

関連タグ

26いいね!

利用規約に違反している投稿は、報告する事ができます。 問題のある投稿を連絡する

コメントを投稿する前に

十分に確認の上、ご投稿ください。 コメントの内容は攻撃的ではなく、相手の気持ちに寄り添ったものになっていますか?

サイト共通ガイドライン(利用上のお願い)

報道機関・マスメディアの方へ 画像提供などに関するお問い合わせは、専用のお問い合わせフォームからお願いいたします。

旅の計画・記録

マイルに交換できるフォートラベルポイントが貯まる
フォートラベルポイントって?

フィリピンで使うWi-Fiはレンタルしましたか?

フォートラベル GLOBAL WiFiなら
フィリピン最安 356円/日~

  • 空港で受取・返却可能
  • お得なポイントがたまる

フィリピンの料金プランを見る

フォートラベル公式LINE@

おすすめの旅行記や旬な旅行情報、お得なキャンペーン情報をお届けします!
QRコードが読み取れない場合はID「@4travel」で検索してください。

\その他の公式SNSはこちら/

タグから海外旅行記(ブログ)を探す

PAGE TOP