オアフ島旅行記(ブログ) 一覧に戻る
ハワイ滞在4日目と最終日の5日目です。<br /><br />朝から、野生のイルカをシュノーケルで見るツアーに参加しました。<br />お昼からは、ワード&アラモアナ&DFSとショッピングで大忙し!!

・。☆姉妹でハワイ6日間☆。・2012 4日目~5日目

10いいね!

2012/04/13 - 2012/04/18

7440位(同エリア11626件中)

0

20

Aya

Ayaさん

ハワイ滞在4日目と最終日の5日目です。

朝から、野生のイルカをシュノーケルで見るツアーに参加しました。
お昼からは、ワード&アラモアナ&DFSとショッピングで大忙し!!

旅行の満足度
5.0
観光
5.0
ホテル
4.5
グルメ
5.0
ショッピング
4.0
交通
3.0
同行者
友人
一人あたり費用
5万円 - 10万円
交通手段
観光バス
旅行の手配内容
ツアー(添乗員同行なし)
利用旅行会社
JTB
  • ホテルからバスでPick upしてもらい、オアフ島の西海岸まで行きます。<br />そこから船に乗ってイルカを探しに行きます。<br /><br />船長さんはイルカを知り尽くしている人なので、ほとんど100%の確率でイルカに会えるんだとか。<br /><br />ちなみに、ツアーは「私立イルカ中学」<br />日本人のガイドさんも同乗するので、安心でした。

    ホテルからバスでPick upしてもらい、オアフ島の西海岸まで行きます。
    そこから船に乗ってイルカを探しに行きます。

    船長さんはイルカを知り尽くしている人なので、ほとんど100%の確率でイルカに会えるんだとか。

    ちなみに、ツアーは「私立イルカ中学」
    日本人のガイドさんも同乗するので、安心でした。

  • わくわく☆<br />船めっちゃ速い!!

    わくわく☆
    船めっちゃ速い!!

  • 入水!!<br /><br />シュノーケルの中に水入ってくるッ<br />初めはイルカどころじゃなかった!<br /><br />ボディースーツは借りられます。

    入水!!

    シュノーケルの中に水入ってくるッ
    初めはイルカどころじゃなかった!

    ボディースーツは借りられます。

  • いたいたイルカ☆<br /><br />

    いたいたイルカ☆

  • イルカの群れの列が止まらないっ<br /><br />50頭以上が目の前を通っていって、ビックリ!

    イルカの群れの列が止まらないっ

    50頭以上が目の前を通っていって、ビックリ!

  • 上からイルカ

    上からイルカ

  • 次は、海ガメやトロピカルフィッシュに会いに、<br />さんご礁までポイントを移します。<br /><br />あぁ寒い・・・<br />

    次は、海ガメやトロピカルフィッシュに会いに、
    さんご礁までポイントを移します。

    あぁ寒い・・・

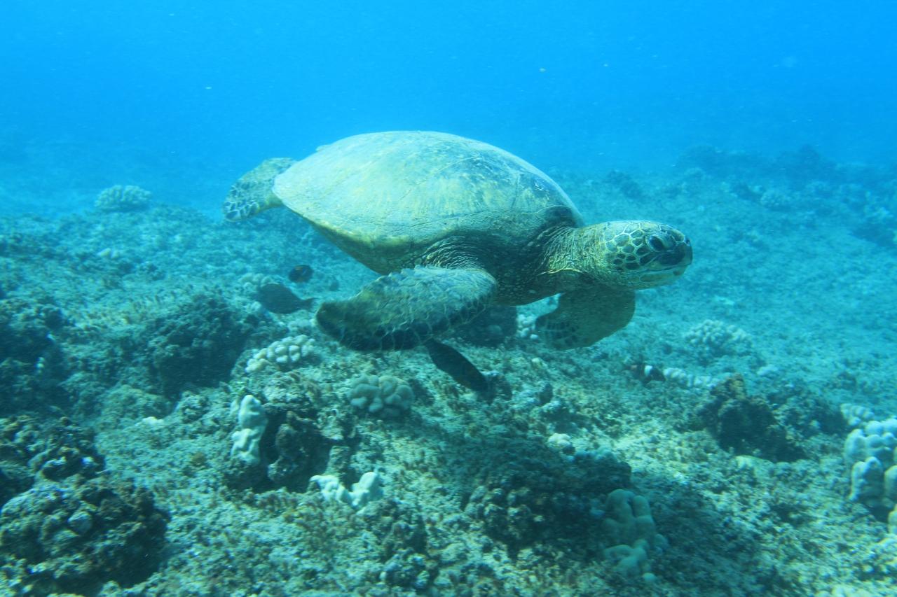
  • 海ガメが、<br /><br />

    海ガメが、

  • 優雅です。

    優雅です。

  • 写真は全て、ツアー会社からCD-Rを買った中に入っていたものです。<br />プロのカメラマンが撮影してくれるから、いい写真ばっかりだったでしょ!<br /><br />お昼ご飯は、帰りのバスでお弁当をくれました。<br />

    イチオシ

    写真は全て、ツアー会社からCD-Rを買った中に入っていたものです。
    プロのカメラマンが撮影してくれるから、いい写真ばっかりだったでしょ!

    お昼ご飯は、帰りのバスでお弁当をくれました。

  • ホテルで身支度をしてから、ショッピングに出発!<br /><br />買い物できる時間はもうこの時しかないから、後悔しないようにしないと。<br /><br />まずは、トロリーでワードへ

    ホテルで身支度をしてから、ショッピングに出発!

    買い物できる時間はもうこの時しかないから、後悔しないようにしないと。

    まずは、トロリーでワードへ

  • ワードウェアハウスの「アイランド・スリッパ・ストア」とゆうお店で、貝殻のサンダルを買いました。

    ワードウェアハウスの「アイランド・スリッパ・ストア」とゆうお店で、貝殻のサンダルを買いました。

  • アラモアナ<br /><br />お土産探しでめっちゃハード。。。<br /><br /><br />

    アラモアナ

    お土産探しでめっちゃハード。。。


  • お姉ちゃんはイヴサンローランの財布<br /><br />私はマークバイマークジェイコブズの鞄を買いました。<br /><br />薬局のキミちゃんと一緒らしい!

    お姉ちゃんはイヴサンローランの財布

    私はマークバイマークジェイコブズの鞄を買いました。

    薬局のキミちゃんと一緒らしい!

  • 兄夫婦にTシャツです。

    兄夫婦にTシャツです。

  • ハワイアンなおさるの置物☆<br />アラモアナで一目ぼれ。<br />

    ハワイアンなおさるの置物☆
    アラモアナで一目ぼれ。

  • 最終日の朝食は、モアナサーフライダーの「ザ・ベランダ」で頂きました。<br /><br />ビュッフェですが、出来立てのオムレツやフレンチトーストも作ってくれます。<br /><br />美味しいし、テラスの雰囲気もステキ☆<br />白い鳩が床を歩いてて、食べこぼしを掃除してました。<br />(飛び回ったりしない賢いハト)

    最終日の朝食は、モアナサーフライダーの「ザ・ベランダ」で頂きました。

    ビュッフェですが、出来立てのオムレツやフレンチトーストも作ってくれます。

    美味しいし、テラスの雰囲気もステキ☆
    白い鳩が床を歩いてて、食べこぼしを掃除してました。
    (飛び回ったりしない賢いハト)

  • こんな感じで盛り付けました。<br /><br />和食もありましたよ。

    イチオシ

    こんな感じで盛り付けました。

    和食もありましたよ。

  • 出来たてフレンチトースト。<br /><br />美味しくない訳がない!!<br /><br />食べ過ぎて、苦しい〜

    出来たてフレンチトースト。

    美味しくない訳がない!!

    食べ過ぎて、苦しい〜

  • 楽しくて、アッと言う間の5日間でした。<br /><br />また、来れたらいいな〜<br /><br /><br /><br />

    楽しくて、アッと言う間の5日間でした。

    また、来れたらいいな〜



この旅行記のタグ

10いいね!

利用規約に違反している投稿は、報告する事ができます。 問題のある投稿を連絡する

コメントを投稿する前に

十分に確認の上、ご投稿ください。 コメントの内容は攻撃的ではなく、相手の気持ちに寄り添ったものになっていますか?

サイト共通ガイドライン(利用上のお願い)

報道機関・マスメディアの方へ 画像提供などに関するお問い合わせは、専用のお問い合わせフォームからお願いいたします。

旅の計画・記録

マイルに交換できるフォートラベルポイントが貯まる
フォートラベルポイントって?

ハワイで使うWi-Fiはレンタルしましたか?

フォートラベル GLOBAL WiFiなら
ハワイ最安 285円/日~

  • 空港で受取・返却可能
  • お得なポイントがたまる

ハワイの料金プランを見る

フォートラベル公式LINE@

おすすめの旅行記や旬な旅行情報、お得なキャンペーン情報をお届けします!
QRコードが読み取れない場合はID「@4travel」で検索してください。

\その他の公式SNSはこちら/

PAGE TOP