グアム旅行記(ブログ) 一覧に戻る
グアム旅行実質2日目<br /><br />この日はあらかじめ日本からネットで予約しておいた<br />ココパームガーデンビーチへ出かけます<br /><br />

今年の夏は家族でグアム~3日目~

24いいね!

2011/08/16 - 2011/08/20

2414位(同エリア10505件中)

0

40

popo

popoさん

グアム旅行実質2日目

この日はあらかじめ日本からネットで予約しておいた
ココパームガーデンビーチへ出かけます

旅行の満足度
4.5
同行者
家族旅行
一人あたり費用
5万円 - 10万円
旅行の手配内容
ツアー(添乗員同行なし)
  • 今日は楽しみにしていたココパームガーデンビーチに出かけます<br />今回は8時から午後2時までのツアーに参加します<br /><br />8:20にホテルをピックアップしてもらい<br />ビーチに向かいますが…

    今日は楽しみにしていたココパームガーデンビーチに出かけます
    今回は8時から午後2時までのツアーに参加します

    8:20にホテルをピックアップしてもらい
    ビーチに向かいますが…

  • 天気はあいにくの曇り空(^_^;)<br /><br />天気が回復してくれるのを願います

    天気はあいにくの曇り空(^_^;)

    天気が回復してくれるのを願います

  • バスに揺られること約40分<br /><br />ココパームガーデンビーチに到着です<br /><br />以前は行き帰りともバスの中は凍えるほど寒かったのに<br />今回はそれほど寒くなく快適でした

    バスに揺られること約40分

    ココパームガーデンビーチに到着です

    以前は行き帰りともバスの中は凍えるほど寒かったのに
    今回はそれほど寒くなく快適でした

  • それにしてもすごい人(ー_ー)!!<br /><br />毎回9月後半に利用しているので<br />お盆の時期のあまりの人の多さにビックリです<br /><br />各ホテルからのピックアップに加えて<br />大手旅行会社からのツアーで参加している人もいて<br />朝から大混雑…(T_T)<br /><br />

    それにしてもすごい人(ー_ー)!!

    毎回9月後半に利用しているので
    お盆の時期のあまりの人の多さにビックリです

    各ホテルからのピックアップに加えて
    大手旅行会社からのツアーで参加している人もいて
    朝から大混雑…(T_T)

  • 当然ビーチチェアもほぼ満席状態<br /><br />パパと手分けしてビーチの一番隅っこに<br />空いている場所を見つけました<br /><br />有料で利用できるカバナもたくさんの人が使ってました<br /><br />

    当然ビーチチェアもほぼ満席状態

    パパと手分けしてビーチの一番隅っこに
    空いている場所を見つけました

    有料で利用できるカバナもたくさんの人が使ってました

  • 場所も確保できたので早速海へ…<br /><br />天気も回復してきました<br />海の色も本来の碧さが戻ってきましたね(^_-)-☆

    場所も確保できたので早速海へ…

    天気も回復してきました
    海の色も本来の碧さが戻ってきましたね(^_-)-☆

  • ライフジャケットの着用を義務付けられるので<br />水の中でも娘は安心のようです<br /><br />っとはいってもそれほど深くはないですけど…

    ライフジャケットの着用を義務付けられるので
    水の中でも娘は安心のようです

    っとはいってもそれほど深くはないですけど…

  • この日の満潮はお昼頃でした<br /><br />あと数時間でもう少し深くなりそうです

    この日の満潮はお昼頃でした

    あと数時間でもう少し深くなりそうです

  • 透明度もいいですね(^^)v

    透明度もいいですね(^^)v

  • 子供達も思い思いに楽しんでいます

    子供達も思い思いに楽しんでいます

  • 魚たちもたくさん見ることができました<br /><br />小さな魚の群れや

    魚たちもたくさん見ることができました

    小さな魚の群れや

  • やや大きめの魚達

    やや大きめの魚達

  • チョウチョウウオもいましたが<br />相変わらず水の中での被写体の撮影は難しく<br />やっと撮影できたのがこの1枚です

    チョウチョウウオもいましたが
    相変わらず水の中での被写体の撮影は難しく
    やっと撮影できたのがこの1枚です

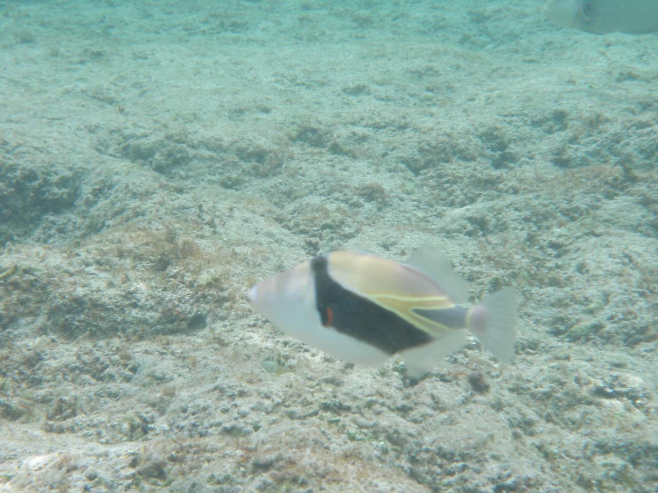
  • タスキモンガラもお目見え(^^)/

    タスキモンガラもお目見え(^^)/

  • 自由人の息子は海の中を満喫中

    自由人の息子は海の中を満喫中

  • 捕まえたヤドカリを見せに来てくれました

    捕まえたヤドカリを見せに来てくれました

  • コバンアジでしょうか?<br /><br />満潮になるにつれて魚の種類も多くなってきましたよ

    コバンアジでしょうか?

    満潮になるにつれて魚の種類も多くなってきましたよ

  • あっという間にランチタイムになりました<br />ここではホラガイでランチの時間を知らせてくれます<br /><br />早々とメインテラスに急ぐ息子と<br />マリンシューズを脱ごうと頑張っている娘

    あっという間にランチタイムになりました
    ここではホラガイでランチの時間を知らせてくれます

    早々とメインテラスに急ぐ息子と
    マリンシューズを脱ごうと頑張っている娘

  • こちらは子供用のバーガーランチ<br />おもちゃ付きです

    こちらは子供用のバーガーランチ
    おもちゃ付きです

  • こちらがビーフパテのバーガーランチ<br /><br />野菜をはさむと結構なボリュームになります

    こちらがビーフパテのバーガーランチ

    野菜をはさむと結構なボリュームになります

  • 子供達は今朝ほとんど朝ごはんを食べなかったので<br />相当お腹が空いたようです<br /><br />もくもくと食べていました

    子供達は今朝ほとんど朝ごはんを食べなかったので
    相当お腹が空いたようです

    もくもくと食べていました

  • このランチもそうですが<br />旅行中はやっぱり野菜不足になりますね<br /><br />レタスオンリーですが<br />サラダもしっかり食べましょう

    このランチもそうですが
    旅行中はやっぱり野菜不足になりますね

    レタスオンリーですが
    サラダもしっかり食べましょう

  • 食後の休憩もそこそこに<br />残りの時間も海で楽しみますよ

    食後の休憩もそこそこに
    残りの時間も海で楽しみますよ

  • サヨリです<br />水面ぎりぎりを群れで泳いで来るので<br />ぶつかってこないかヒヤヒヤしました(^_^.)<br />

    サヨリです
    水面ぎりぎりを群れで泳いで来るので
    ぶつかってこないかヒヤヒヤしました(^_^.)

  • ブダイ?<br /><br />こんな色の魚の刺身を久米島で食べたような…

    ブダイ?

    こんな色の魚の刺身を久米島で食べたような…

  • 子供達は本当によく遊びました(^^♪

    子供達は本当によく遊びました(^^♪

  • 朝から夕方のツアーでは多分子供達が飽きてしまうんじゃ<br />と心配していたパパですが<br />当の本人がまだ名残惜しそう…<br /><br />楽しい時間はあっという間に過ぎてしまいますね

    朝から夕方のツアーでは多分子供達が飽きてしまうんじゃ
    と心配していたパパですが
    当の本人がまだ名残惜しそう…

    楽しい時間はあっという間に過ぎてしまいますね

  • ココパームガーデンビーチから一度ホテルに戻り<br />バスに乗ってまた出かけます<br /><br />子供達もココパームのバスの中で仮眠をとったので<br />思っていたより元気です

    ココパームガーデンビーチから一度ホテルに戻り
    バスに乗ってまた出かけます

    子供達もココパームのバスの中で仮眠をとったので
    思っていたより元気です

  • マイクロネシアモールに到着しました

    マイクロネシアモールに到着しました

  • やっぱり食いつきましたね、ピタゴラ装置(^_^;)<br /><br />多くの子供達と同じように<br />ボールの行方を一生懸命追っていました

    やっぱり食いつきましたね、ピタゴラ装置(^_^;)

    多くの子供達と同じように
    ボールの行方を一生懸命追っていました

  • モール内をうろうろした後は<br />ペイレス・スーパーマーケットへ<br /><br />むき出しで並べられている野菜にも驚いていましたが<br />一番興味があったのがこのスィーツコーナー<br /><br />日本とは雰囲気の違うケーキ類に目を奪われてました<br />

    モール内をうろうろした後は
    ペイレス・スーパーマーケットへ

    むき出しで並べられている野菜にも驚いていましたが
    一番興味があったのがこのスィーツコーナー

    日本とは雰囲気の違うケーキ類に目を奪われてました

  • そんでもって1つ購入<br /><br />翌日の朝食代わりになりましたが<br />そのお味は如何に…(・・?

    そんでもって1つ購入

    翌日の朝食代わりになりましたが
    そのお味は如何に…(・・?

  • 冷凍食品の種類も豊富ですが<br />アイスクリームの種類にも圧巻

    冷凍食品の種類も豊富ですが
    アイスクリームの種類にも圧巻

  • そして大きさにも圧巻です<br /><br />小型のバケツに入ったアイスクリーム…<br />日本で売られるいる業務用より大きいかも<br />

    そして大きさにも圧巻です

    小型のバケツに入ったアイスクリーム…
    日本で売られるいる業務用より大きいかも

  • 本日の夕食はモール内のフードコートで<br /><br />娘とパパがピザを買いに行っている間<br />息子がテレビを見ながら目をキラキラ(^v^)<br /><br />欧州サッカーの試合が放送されてました

    本日の夕食はモール内のフードコートで

    娘とパパがピザを買いに行っている間
    息子がテレビを見ながら目をキラキラ(^v^)

    欧州サッカーの試合が放送されてました

  • 席からは遠くて見づらいのか<br />1人でテレビの近くまで移動する始末<br /><br />結局息子は大好きなサッカーの試合を<br />2日連続のバーガーキングを食しながら堪能したのでした<br /><br />私としたら<br />よく飽きもせずハンバーガーが食べれるな<br />っと思いましたが…<br /><br /><br /><br />

    席からは遠くて見づらいのか
    1人でテレビの近くまで移動する始末

    結局息子は大好きなサッカーの試合を
    2日連続のバーガーキングを食しながら堪能したのでした

    私としたら
    よく飽きもせずハンバーガーが食べれるな
    っと思いましたが…



  • 私の夕食もこれまた2日連続の中華です(^_^;)<br /><br />ママまたこれ?っと子供言われてしまいました…<br /><br />どうしても食べたかったんです…<br />きっと息子の心情もきっと同じでしょうね<br /><br />

    私の夕食もこれまた2日連続の中華です(^_^;)

    ママまたこれ?っと子供言われてしまいました…

    どうしても食べたかったんです…
    きっと息子の心情もきっと同じでしょうね

  • 夕食後はモール内のファンタスティックパークに出向きます<br /><br />早速乗りたいものを見つけ順番を待ちます

    夕食後はモール内のファンタスティックパークに出向きます

    早速乗りたいものを見つけ順番を待ちます

  • ここの屋内ジェットコースターは<br />小さいながらも侮ってはいけないようですね<br /><br />結構なスピードでコースを4周ほど走行しましたよ<br /><br />パーク内は空いていて<br />ジェットコースターも2人で貸し切りという贅沢な乗り方です<br />

    ここの屋内ジェットコースターは
    小さいながらも侮ってはいけないようですね

    結構なスピードでコースを4周ほど走行しましたよ

    パーク内は空いていて
    ジェットコースターも2人で貸し切りという贅沢な乗り方です

  • マイクロネシアモールのケイビートイズで<br />息子が欲しがって購入した<br />トランスフォーマーのバンブルビー<br /><br />値段もピン切りですが<br />トランスフォーマーシリーズはたくさんの種類があり<br />おもちゃ屋さんでつぶした時間は約1時間…<br /><br />この日の中で一番疲れを感じた時間かもしれません(*_*;

    マイクロネシアモールのケイビートイズで
    息子が欲しがって購入した
    トランスフォーマーのバンブルビー

    値段もピン切りですが
    トランスフォーマーシリーズはたくさんの種類があり
    おもちゃ屋さんでつぶした時間は約1時間…

    この日の中で一番疲れを感じた時間かもしれません(*_*;

この旅行記のタグ

24いいね!

利用規約に違反している投稿は、報告する事ができます。 問題のある投稿を連絡する

コメントを投稿する前に

十分に確認の上、ご投稿ください。 コメントの内容は攻撃的ではなく、相手の気持ちに寄り添ったものになっていますか?

サイト共通ガイドライン(利用上のお願い)

報道機関・マスメディアの方へ 画像提供などに関するお問い合わせは、専用のお問い合わせフォームからお願いいたします。

旅の計画・記録

マイルに交換できるフォートラベルポイントが貯まる
フォートラベルポイントって?

グアムで使うWi-Fiはレンタルしましたか?

フォートラベル GLOBAL WiFiなら
グアム最安 459円/日~

  • 空港で受取・返却可能
  • お得なポイントがたまる

グアムの料金プランを見る

フォートラベル公式LINE@

おすすめの旅行記や旬な旅行情報、お得なキャンペーン情報をお届けします!
QRコードが読み取れない場合はID「@4travel」で検索してください。

\その他の公式SNSはこちら/

PAGE TOP