ハナウマ・ベイ周辺旅行記(ブログ) 一覧に戻る
YouTubeでダイビング中の動画を公開中。1個の最初が海亀です。<br />http://www.youtube.com/watch?v=pdG-reyiCFo<br />http://www.youtube.com/watch?v=FZj337iFQ5A<br />http://www.youtube.com/watch?v=oVFhwvtKlMA<br />【7/26】 <br />6:00 起床。目覚ましで問題なし <br />6:10 ツアー会社よりモーニングコールあり <br />7:00 ホテル出発ハナマウ湾へ <br />ハナマウ湾で体験スキューバダイビング <br />13:00 ホテル着 <br />14:00 移動途中に昼飯 <br />14:30 バンクオブハワイで口座開設達成! <br />アラモアナショッピングセンタ観光〜ドン・キホーテでおみやげ購入 <br />17:00 ホテルに戻る途中のトニーローマの店で夕食  <br />18:00 ホテルに戻ったら寝てしまった・・・・orz <br />21:00 とりあえず店の空いている間におみやげ積み込むバックを買いに外出。 <br />    眠くもないし、明日も早くないしで、とりあえず夜のワイキキも観光w <br />25:30 就寝

初ハワイ2日目ハナマウ湾でスキューバ

4いいね!

2010/07/25 - 2010/07/28

44位(同エリア74件中)

0

78

SAPPY

SAPPYさん

YouTubeでダイビング中の動画を公開中。1個の最初が海亀です。
http://www.youtube.com/watch?v=pdG-reyiCFo
http://www.youtube.com/watch?v=FZj337iFQ5A
http://www.youtube.com/watch?v=oVFhwvtKlMA
【7/26】
6:00 起床。目覚ましで問題なし
6:10 ツアー会社よりモーニングコールあり
7:00 ホテル出発ハナマウ湾へ
ハナマウ湾で体験スキューバダイビング
13:00 ホテル着
14:00 移動途中に昼飯
14:30 バンクオブハワイで口座開設達成!
アラモアナショッピングセンタ観光〜ドン・キホーテでおみやげ購入
17:00 ホテルに戻る途中のトニーローマの店で夕食 
18:00 ホテルに戻ったら寝てしまった・・・・orz
21:00 とりあえず店の空いている間におみやげ積み込むバックを買いに外出。
    眠くもないし、明日も早くないしで、とりあえず夜のワイキキも観光w
25:30 就寝

同行者
一人旅
一人あたり費用
10万円 - 15万円
航空会社
JAL
旅行の手配内容
個別手配
  • ABCストアやホテル隣のコンビニは6:30OPEN<br /><br />ダイビングの前に軽い朝食ってことでこんな感じ。<br />けっこうボリュームありますねw<br />

    ABCストアやホテル隣のコンビニは6:30OPEN

    ダイビングの前に軽い朝食ってことでこんな感じ。
    けっこうボリュームありますねw

  • 到着したときはガラガラの駐車場です。<br /><br />ですが帰るときのお昼ごろにはこの駐車場はいっぱいで<br />入場も順番待ちって感じだったんですよ<br />

    到着したときはガラガラの駐車場です。

    ですが帰るときのお昼ごろにはこの駐車場はいっぱいで
    入場も順番待ちって感じだったんですよ

  • ここで入園料を払い、案内の映画を見ます。<br />グッズの売店や、資料館もここです。<br />

    ここで入園料を払い、案内の映画を見ます。
    グッズの売店や、資料館もここです。

  • スノーケルしてる人が見えますかー?<br />

    スノーケルしてる人が見えますかー?

  • テーマは「ハナウマ湾について」です。 <br /><br />え?「ハナマウ湾」じゃないのかって? <br />名称を間違えておぼえてました。日記では間違えてましたすみませんorz <br />ちなみに今googleで、”ハナマウ湾”をキーワードに検索するとおいらの日記がトップにきますwww <br />という与太話はともかく・・・ <br /><br />ハワイ(オアフ島)でワイキキ観光のオプションツアーとしても日記の観光名所ですが、 <br />地元の人にもシュノーケルで楽しめて好まれるエリアです。 <br />http://hanauma1.com/maps/hanauma_bay.htm <br /><br />環境保護区域に指定されており、一切の生物を取ることが禁止されています。 <br />そのため生息している魚などは浅瀬までたくさんいますし、非常に綺麗なビーチといえます。 <br /><br />そもそもハナウマという命名の由来がそのきれいな湾の形からきているそうで、 <br />日本人にハナウマというのは聞き馴染みありませんが、確か綺麗なカーブという意味だったかな。 <br /><br />日本語で詳しく紹介されているこんなサイトもありました。 <br />http://hanauma1.com/ <br /><br />

    テーマは「ハナウマ湾について」です。

    え?「ハナマウ湾」じゃないのかって?
    名称を間違えておぼえてました。日記では間違えてましたすみませんorz
    ちなみに今googleで、”ハナマウ湾”をキーワードに検索するとおいらの日記がトップにきますwww
    という与太話はともかく・・・

    ハワイ(オアフ島)でワイキキ観光のオプションツアーとしても日記の観光名所ですが、
    地元の人にもシュノーケルで楽しめて好まれるエリアです。
    http://hanauma1.com/maps/hanauma_bay.htm

    環境保護区域に指定されており、一切の生物を取ることが禁止されています。
    そのため生息している魚などは浅瀬までたくさんいますし、非常に綺麗なビーチといえます。

    そもそもハナウマという命名の由来がそのきれいな湾の形からきているそうで、
    日本人にハナウマというのは聞き馴染みありませんが、確か綺麗なカーブという意味だったかな。

    日本語で詳しく紹介されているこんなサイトもありました。
    http://hanauma1.com/

  • 湾の中にあるビーチに入園するには、かならず紹介ビデオを見る必要があります。 <br />あたりまえのことですが、サンゴに触らないとか注意事項もいろいろあります。 <br />10分程度ですし、無料だし、日本語用のヘッドホンも貸してくれるので、 <br />見ることに問題はありません。 <br />ただ、見ないと入園できないので昼近くになると、順番待ちで入園できなくなります。 <br />そのため昼過ぎにいくと、入場制限にあう感じですね。 <br /><br />入り口からビーチまでは有料のシャトルもありますが、スロープなのでほとんどの人は歩いて往復していました。 <br /><br />ビーチにはレスキューの建物や、スノーケルレンタルもあります。 <br /><br />水際で日光浴する人もいましたが、ほとんどの人が水に入ってすぐに魚のいる綺麗な海でスノーケルをしています。 <br />小さな子供も多く、家族連れでくる人たちが多いです。 <br /><br />私は体験ダイビングってことで、スキューバダイビングのセットを運びつつビーチへ。 <br />ツアーの人以外にスキューバの人は見かけませんでした。 <br /><br />

    湾の中にあるビーチに入園するには、かならず紹介ビデオを見る必要があります。
    あたりまえのことですが、サンゴに触らないとか注意事項もいろいろあります。
    10分程度ですし、無料だし、日本語用のヘッドホンも貸してくれるので、
    見ることに問題はありません。
    ただ、見ないと入園できないので昼近くになると、順番待ちで入園できなくなります。
    そのため昼過ぎにいくと、入場制限にあう感じですね。

    入り口からビーチまでは有料のシャトルもありますが、スロープなのでほとんどの人は歩いて往復していました。

    ビーチにはレスキューの建物や、スノーケルレンタルもあります。

    水際で日光浴する人もいましたが、ほとんどの人が水に入ってすぐに魚のいる綺麗な海でスノーケルをしています。
    小さな子供も多く、家族連れでくる人たちが多いです。

    私は体験ダイビングってことで、スキューバダイビングのセットを運びつつビーチへ。
    ツアーの人以外にスキューバの人は見かけませんでした。

  • <br />体験スキューバでは、浅瀬でスキューバ器具や基本の手の合図の講習。 <br />耳抜き、メガネの掃除を習ったら、すこしづつ深いところへ移動します。 <br /><br />湾にはここから深くなりますよ、潮の満ち干きで流れが早いですよ、ってことを示す白いブイが浮かんでいるところが目印になってます。 <br /><br />スキューバではこの目印を出て、ぐるっと10m程度の海を回ってきます。 <br />ビーチの右側から入って、左側からもどってくる感じ。 <br /><br />海底にはパイプが走っていて、移動の際の目印にも使われていました。 <br /><br />体験スキューバではライセンスがなくても10mまでのダイビングが可能です。 <br />なのでハナウマ湾はちょうど良いかもしれませんね。 <br /><br />


    体験スキューバでは、浅瀬でスキューバ器具や基本の手の合図の講習。
    耳抜き、メガネの掃除を習ったら、すこしづつ深いところへ移動します。

    湾にはここから深くなりますよ、潮の満ち干きで流れが早いですよ、ってことを示す白いブイが浮かんでいるところが目印になってます。

    スキューバではこの目印を出て、ぐるっと10m程度の海を回ってきます。
    ビーチの右側から入って、左側からもどってくる感じ。

    海底にはパイプが走っていて、移動の際の目印にも使われていました。

    体験スキューバではライセンスがなくても10mまでのダイビングが可能です。
    なのでハナウマ湾はちょうど良いかもしれませんね。

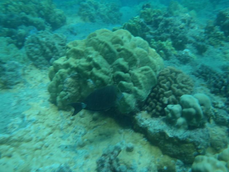
  • 海ガメ(ホヌ)も運がよければ見ることができます。 <br />私はガイドさんが岩陰に寝ていたのを見つけてくれて、見ることができました! <br />体験ダイビングでは1回潜ります。追加代金で2回潜りことができます。 <br />私は1回目に海亀を見れましたが、2回目には見ることはできませんでした。 <br /><br />注意注意 <br />ビーチに入ってすぐのところから大き目の白い石がゴロゴロしています。 <br />が、石は苔がびっしり生えていて白く見えているだけで、 <br />その苔を魚が食べています。 <br />なので石を踏んで歩いて移動するのもほどほどに・・・ <br /><br /><br />ハワイでダイビングを体験するのにとってもお勧めですよ!!!<br />

    海ガメ(ホヌ)も運がよければ見ることができます。
    私はガイドさんが岩陰に寝ていたのを見つけてくれて、見ることができました!
    体験ダイビングでは1回潜ります。追加代金で2回潜りことができます。
    私は1回目に海亀を見れましたが、2回目には見ることはできませんでした。

    注意注意
    ビーチに入ってすぐのところから大き目の白い石がゴロゴロしています。
    が、石は苔がびっしり生えていて白く見えているだけで、
    その苔を魚が食べています。
    なので石を踏んで歩いて移動するのもほどほどに・・・


    ハワイでダイビングを体験するのにとってもお勧めですよ!!!

  • あまりにも動きすぎてエアがほとんど残ってません!<br /><br />途中からガイドさんの予備タンクを吸ってもどってきました^^;<br />

    あまりにも動きすぎてエアがほとんど残ってません!

    途中からガイドさんの予備タンクを吸ってもどってきました^^;

  • 映画を見た施設からビーチまでは長いスロープがあります<br />

    映画を見た施設からビーチまでは長いスロープがあります

  • お昼ごはんは小倉智昭がオーナーのお店にて。<br /><br />オックステールラーメン<br /><br />豚足のような骨付き肉のボリュームがすごい!<br /><br />ラーメンセットで餃子とかチャーハンがつくコンボもありましたが、ラーメンだけで充分な食べ応えです。<br />

    お昼ごはんは小倉智昭がオーナーのお店にて。

    オックステールラーメン

    豚足のような骨付き肉のボリュームがすごい!

    ラーメンセットで餃子とかチャーハンがつくコンボもありましたが、ラーメンだけで充分な食べ応えです。

  • 1日目の夜に前を通ったときは、行列ができていたんですよ。<br />ガイドブックでも紹介されている有名店のようです。<br />

    1日目の夜に前を通ったときは、行列ができていたんですよ。
    ガイドブックでも紹介されている有名店のようです。

  • アラモアナセンターには外周部にも専門店があります。<br />

    アラモアナセンターには外周部にも専門店があります。

  • アラモアナセンターから歩いてすぐのところに<br />日本ではおなじみ<br />ドン・キホーテがあります。<br /><br />ここでおみやげをまとめ買いしました!<br /><br />日用品大型スーパー+おみやげ屋って感じでした。<br />

    アラモアナセンターから歩いてすぐのところに
    日本ではおなじみ
    ドン・キホーテがあります。

    ここでおみやげをまとめ買いしました!

    日用品大型スーパー+おみやげ屋って感じでした。

  • ホテルへの帰り道で惹かれました!<br /><br />ここで早い夕食です。<br />

    ホテルへの帰り道で惹かれました!

    ここで早い夕食です。

  • アメリカなんだしハンバーガーでしょ!<br /><br />トニーローマハンバーガーです<br /><br />個人的にはもう少し肉汁が欲しいかなと思いましたが、全体的にはとても美味しかったです。<br /><br />さすがお肉料理の専門店!<br />

    アメリカなんだしハンバーガーでしょ!

    トニーローマハンバーガーです

    個人的にはもう少し肉汁が欲しいかなと思いましたが、全体的にはとても美味しかったです。

    さすがお肉料理の専門店!

  • やっぱりデザートはチョコレート系でしょう♪<br /><br />ということで周りはクリーム<br />上にアイス<br />してベースにはチョコレートケーキ。<br /><br />このチョコレートケーキ2・3人分くらいはありそうなボリュームで、正直食べてる途中におなかが苦しくなりました。<br /><br />でも美味しかったので完食♪<br />

    やっぱりデザートはチョコレート系でしょう♪

    ということで周りはクリーム
    上にアイス
    してベースにはチョコレートケーキ。

    このチョコレートケーキ2・3人分くらいはありそうなボリュームで、正直食べてる途中におなかが苦しくなりました。

    でも美味しかったので完食♪

  • 早めの夕食を食べてホテルに戻ってベッドに横になったら・・・<br /><br />気がつくと21時を超えてました><<br /><br />明日のオプションツアーの申込もしてなかったし・・・<br /><br />とりあえずインターナショナルマーケットに行って、おみやげをつめるバッグを買ってきました。<br />これで税込$38<br />このサイズでハードなバッグは持ってなかったのでちょうどよい機会でした。<br />

    早めの夕食を食べてホテルに戻ってベッドに横になったら・・・

    気がつくと21時を超えてました><

    明日のオプションツアーの申込もしてなかったし・・・

    とりあえずインターナショナルマーケットに行って、おみやげをつめるバッグを買ってきました。
    これで税込$38
    このサイズでハードなバッグは持ってなかったのでちょうどよい機会でした。

  • クヒオ通り沿いにあった24時間営業のお店<br />WiFi完備ってのがいいね。<br /><br />今回は利用しなかったけど、今度いったときは利用してみたいな<br />

    クヒオ通り沿いにあった24時間営業のお店
    WiFi完備ってのがいいね。

    今回は利用しなかったけど、今度いったときは利用してみたいな

  • ホテルの部屋では日本語系のチャンネルもありました。<br />NHKニュースを流す合間に観光案内的な番組が入ってます。<br /><br />間近でサメを見るツアーだとか、サンドバーで海ガメをみるツアーとかのランキング番組<br /><br />明日は帰国、もっと遊びまわりたい・・・<br />

    ホテルの部屋では日本語系のチャンネルもありました。
    NHKニュースを流す合間に観光案内的な番組が入ってます。

    間近でサメを見るツアーだとか、サンドバーで海ガメをみるツアーとかのランキング番組

    明日は帰国、もっと遊びまわりたい・・・

  • 2日目、午後からの散歩コースです。<br /><br />バンクオブハワイで口座開設の手続きのあと、アラモアナショッピングセンターまではバスを使いました。<br />ピンクのラインがバスに乗ったところです<br />

    2日目、午後からの散歩コースです。

    バンクオブハワイで口座開設の手続きのあと、アラモアナショッピングセンターまではバスを使いました。
    ピンクのラインがバスに乗ったところです

この旅行記のタグ

関連タグ

4いいね!

利用規約に違反している投稿は、報告する事ができます。 問題のある投稿を連絡する

コメントを投稿する前に

十分に確認の上、ご投稿ください。 コメントの内容は攻撃的ではなく、相手の気持ちに寄り添ったものになっていますか?

サイト共通ガイドライン(利用上のお願い)

報道機関・マスメディアの方へ 画像提供などに関するお問い合わせは、専用のお問い合わせフォームからお願いいたします。

旅の計画・記録

マイルに交換できるフォートラベルポイントが貯まる
フォートラベルポイントって?

ハワイで使うWi-Fiはレンタルしましたか?

フォートラベル GLOBAL WiFiなら
ハワイ最安 285円/日~

  • 空港で受取・返却可能
  • お得なポイントがたまる

ハワイの料金プランを見る

フォートラベル公式LINE@

おすすめの旅行記や旬な旅行情報、お得なキャンペーン情報をお届けします!
QRコードが読み取れない場合はID「@4travel」で検索してください。

\その他の公式SNSはこちら/

タグから海外旅行記(ブログ)を探す

PAGE TOP