その他の都市旅行記(ブログ) 一覧に戻る
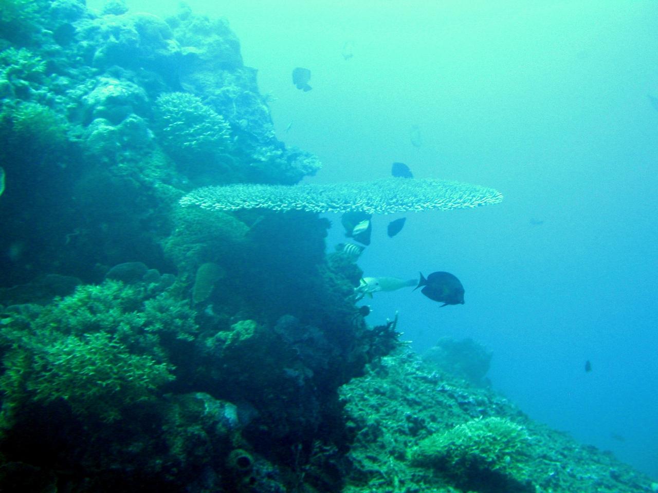
「珊瑚の楽園」といわれている<br />インドネシア メナドにあるブナケン島<br /><br />ブナケン島のドロップオフは珊瑚棚からイッキに1500mを超える深さまで落ち込むことで世界的に有名。<br />そのせいで海水の対流が良く、豊かな生物層を形成するのだそうです。<br /><br />ハードコーラルからソフトコーラルまで<br />その面積と種類には驚かされる<br />ドロップオフには70種以上の珊瑚があるという<br /><br />いつまでも環境破壊されることなく<br />生息し続けてほしい<br /><br />ダイビングの写真より<br /><br />◆◆◆◆◆◆◆◆◆◆◆◆◆◆◆◆◆◆◆◆◆◆◆◆<br /> サンゴの名前調べても良くわからないまま・・・<br /> 間違えている名前もあるのでは?と<br /> 写真のサンゴの名前がお分かりになる方!<br /> ご連絡おまちしております。<br />

ブナケン島 青の世界 珊瑚編 ◆サンゴの名前募集中!

10いいね!

2005/08 - 2005/08

58位(同エリア124件中)

0

37

yquem

yquemさん

「珊瑚の楽園」といわれている
インドネシア メナドにあるブナケン島

ブナケン島のドロップオフは珊瑚棚からイッキに1500mを超える深さまで落ち込むことで世界的に有名。
そのせいで海水の対流が良く、豊かな生物層を形成するのだそうです。

ハードコーラルからソフトコーラルまで
その面積と種類には驚かされる
ドロップオフには70種以上の珊瑚があるという

いつまでも環境破壊されることなく
生息し続けてほしい

ダイビングの写真より

◆◆◆◆◆◆◆◆◆◆◆◆◆◆◆◆◆◆◆◆◆◆◆◆
 サンゴの名前調べても良くわからないまま・・・
 間違えている名前もあるのでは?と
 写真のサンゴの名前がお分かりになる方!
 ご連絡おまちしております。

  • ツツマルハナサンゴ

    ツツマルハナサンゴ

  • コエダナガレハナサンゴ

    コエダナガレハナサンゴ

  • イボハタゴイソギンチャク

    イボハタゴイソギンチャク

  • センジュイソギンチャク

    センジュイソギンチャク

  • コフキウミアザミ

    コフキウミアザミ

  • アオサンゴ

    アオサンゴ

  • アオサンゴ

    アオサンゴ

  • イシサンゴ

    イシサンゴ

  • ミドリイシ

    ミドリイシ

  • キクメイシ

    キクメイシ

この旅行記のタグ

関連タグ

10いいね!

利用規約に違反している投稿は、報告する事ができます。 問題のある投稿を連絡する

コメントを投稿する前に

十分に確認の上、ご投稿ください。 コメントの内容は攻撃的ではなく、相手の気持ちに寄り添ったものになっていますか?

サイト共通ガイドライン(利用上のお願い)

報道機関・マスメディアの方へ 画像提供などに関するお問い合わせは、専用のお問い合わせフォームからお願いいたします。

旅の計画・記録

マイルに交換できるフォートラベルポイントが貯まる
フォートラベルポイントって?

インドネシアで使うWi-Fiはレンタルしましたか?

フォートラベル GLOBAL WiFiなら
インドネシア最安 294円/日~

  • 空港で受取・返却可能
  • お得なポイントがたまる

インドネシアの料金プランを見る

フォートラベル公式LINE@

おすすめの旅行記や旬な旅行情報、お得なキャンペーン情報をお届けします!
QRコードが読み取れない場合はID「@4travel」で検索してください。

\その他の公式SNSはこちら/

タグから海外旅行記(ブログ)を探す

PAGE TOP