和歌山旅行記(ブログ) 一覧に戻る
串本に行ってみようっ と決めたのが、前日夜の8時過ぎ。 シュノーケリングの教室に当日 申し込んでみたけれど、当日では無理と言われ、一人で初めての海でシュノーケリングをするのも怖かったので、急遽! 体験ダイビングにチャレンジしてみることに(^^;;;

串本で体験ダイビング いきなり編

6いいね!

2010/06/24 - 2010/06/24

5813位(同エリア9012件中)

0

19

あだん

あだんさん

串本に行ってみようっ と決めたのが、前日夜の8時過ぎ。 シュノーケリングの教室に当日 申し込んでみたけれど、当日では無理と言われ、一人で初めての海でシュノーケリングをするのも怖かったので、急遽! 体験ダイビングにチャレンジしてみることに(^^;;;

同行者
一人旅
一人あたり費用
3万円 - 5万円
交通手段
自家用車
  • 天気予報ではずっと雨だったのに、前日の昼過ぎからいきなり雨マークが消えてしまった。 お金はあんまりないけど、海に行きたい〜<br /><br />ヒリゾ浜にもとても魅かれるものがあり、問い合わせたが、まだ明日は荒れていると思うとのこと。 越前?? 串本、、、串本!! 行こう!! 決め!<br /><br />とりあえず素泊まり民宿だけ予約。 シュノーケリングの教室は当日でも大丈夫かなと。 もう遅い時間だったので。。<br /><br />ほんの少しだけ寝て、12時起床 高速に1時前に乗って走る。 南紀も何度も行っているので 相当遠いことも山道であることも知っている。

    天気予報ではずっと雨だったのに、前日の昼過ぎからいきなり雨マークが消えてしまった。 お金はあんまりないけど、海に行きたい〜

    ヒリゾ浜にもとても魅かれるものがあり、問い合わせたが、まだ明日は荒れていると思うとのこと。 越前?? 串本、、、串本!! 行こう!! 決め!

    とりあえず素泊まり民宿だけ予約。 シュノーケリングの教室は当日でも大丈夫かなと。 もう遅い時間だったので。。

    ほんの少しだけ寝て、12時起床 高速に1時前に乗って走る。 南紀も何度も行っているので 相当遠いことも山道であることも知っている。

  •  R42は山道カーブ。暗い道を走って走って、七里御浜まで来るとほっとする。 海沿いのコンビニでドリップのコーヒーを買って広い海を見ながら休憩。<br /><br /> ここからしばらく海を見ながら走れる気持ちの良い道。 橋杭岩には6時に着いた〜。お疲れ〜。<br /> すぐそばの浅いところにカニや小さな魚がいた。

     R42は山道カーブ。暗い道を走って走って、七里御浜まで来るとほっとする。 海沿いのコンビニでドリップのコーヒーを買って広い海を見ながら休憩。

     ここからしばらく海を見ながら走れる気持ちの良い道。 橋杭岩には6時に着いた〜。お疲れ〜。
     すぐそばの浅いところにカニや小さな魚がいた。

  •  串本海中公園へと行ってみる。 ダイビングセンターがあり、ここでシュノーケル教室がある。 ちょうどおじさんが出てきていたので聞いてみたら、当日の申し込みではスタッフがいないから無理とのこと。<br /><br /> ウエアとかはレンタルできるのでいいけど、全く知らない海で一人で、では不安だし。。 見た感じゴツゴツの岩場で波もあり怖い。。<br /><br /> 念のために体験ダイビングに変更できるようネットで調べてきたショップに電話をしてみた。 ちなみにこちらのセンターでも午後からなら体験ダイビングはできるとのことだった。 でもできれば午前中がいい。 <br /><br /> 一件目 誰も出ない。そ〜だよな〜 まだ7時だもんな〜。 二件目、、、出たっ。 今日でもいいですか?と聞いたら、10時からならとのこと。 お願いして、ひとまずコンビニへ行きパンと飲み物を買ってきて、また戻ってきてしばらく後ろの席で横になっていた。<br /><br /> 晴れマークの予報に反して、朝から雲がかなり多くてがっかりだったけれど、途中で暑くて目が覚めた時には晴れ間も出てきててうれしかった。 <br /> 初めてのダイビング、、ドキドキである。 

     串本海中公園へと行ってみる。 ダイビングセンターがあり、ここでシュノーケル教室がある。 ちょうどおじさんが出てきていたので聞いてみたら、当日の申し込みではスタッフがいないから無理とのこと。

     ウエアとかはレンタルできるのでいいけど、全く知らない海で一人で、では不安だし。。 見た感じゴツゴツの岩場で波もあり怖い。。

     念のために体験ダイビングに変更できるようネットで調べてきたショップに電話をしてみた。 ちなみにこちらのセンターでも午後からなら体験ダイビングはできるとのことだった。 でもできれば午前中がいい。 

     一件目 誰も出ない。そ〜だよな〜 まだ7時だもんな〜。 二件目、、、出たっ。 今日でもいいですか?と聞いたら、10時からならとのこと。 お願いして、ひとまずコンビニへ行きパンと飲み物を買ってきて、また戻ってきてしばらく後ろの席で横になっていた。

     晴れマークの予報に反して、朝から雲がかなり多くてがっかりだったけれど、途中で暑くて目が覚めた時には晴れ間も出てきててうれしかった。 
     初めてのダイビング、、ドキドキである。 

  • まず始めに健康チェックし、ダイビングについての簡単な説明書を読みながら質問に答えて、答え合わせをし、水着に着替えてウェットスーツを着る。<br /><br /> ここからはインストラクターの方に交代し、実際にレギュレーターをくわえて耳ぬきの練習。 普段なら簡単にできる耳ぬきが、くわえるとなんでかうまくいかず。。。 耳ぬきできないなら無理ってこと!? かなりあせってきたがなかなかうまくいかない。。<br /><br /> とりあえず水の中でやってみましょうかということですぐそばの海へと移動。 水の中でボンベを背負う。<br /> レギュレーターをくわえたまま、顔を水面につけて呼吸。。 おお〜 おもしろい〜。 次は水中に入り息をはききって僕のほうに来て下さいと。。<br /><br /> ふーっ と息を吐き出していくと、すぅ〜と体が沈む。 そして水中でも呼吸ができる。これはいいぞ〜<br /> 心配だった耳ぬきもやってみたらちゃんとできたので一安心。 

    まず始めに健康チェックし、ダイビングについての簡単な説明書を読みながら質問に答えて、答え合わせをし、水着に着替えてウェットスーツを着る。

     ここからはインストラクターの方に交代し、実際にレギュレーターをくわえて耳ぬきの練習。 普段なら簡単にできる耳ぬきが、くわえるとなんでかうまくいかず。。。 耳ぬきできないなら無理ってこと!? かなりあせってきたがなかなかうまくいかない。。

     とりあえず水の中でやってみましょうかということですぐそばの海へと移動。 水の中でボンベを背負う。
     レギュレーターをくわえたまま、顔を水面につけて呼吸。。 おお〜 おもしろい〜。 次は水中に入り息をはききって僕のほうに来て下さいと。。

     ふーっ と息を吐き出していくと、すぅ〜と体が沈む。 そして水中でも呼吸ができる。これはいいぞ〜
     心配だった耳ぬきもやってみたらちゃんとできたので一安心。 

  • そのまま浅いところをはうような感じでゆっくりと移動。 酸素を吸い込むと少しふわぁ〜と体が浮き、吐き出すとすう〜と沈む。<br /><br />水中に入ってすぐにかわいいフグがすぐそばに♪ 海の中はこないだの沼津に比べるととっても明るくて穏やかで暖かめ。 <br /><br />岩場の向こうに行くことに。 

    そのまま浅いところをはうような感じでゆっくりと移動。 酸素を吸い込むと少しふわぁ〜と体が浮き、吐き出すとすう〜と沈む。

    水中に入ってすぐにかわいいフグがすぐそばに♪ 海の中はこないだの沼津に比べるととっても明るくて穏やかで暖かめ。 

    岩場の向こうに行くことに。 

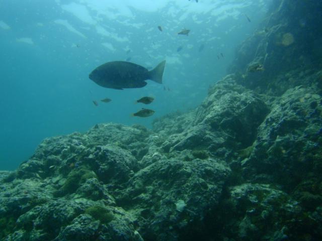
  •  さっきより深くなってきた。 いろいろな魚たちがいる。 水色のトロピカル系の魚が好きだ〜♪ 

     さっきより深くなってきた。 いろいろな魚たちがいる。 水色のトロピカル系の魚が好きだ〜♪ 

  •  岩場のイソギンチャクのところにいた一家

     岩場のイソギンチャクのところにいた一家

  • 子供を育てている と書いて教えてくれました

    子供を育てている と書いて教えてくれました

  •  時々奥からかわいい子供が姿を見せてくれた。 

     時々奥からかわいい子供が姿を見せてくれた。 

  •  それまでは自分の目の高さばかり見ていたけれど、ふと 上を見たら、 自分のかなり上まで海があり、魚たちがいる という光景に うわぁ〜。。。と思った。 

     それまでは自分の目の高さばかり見ていたけれど、ふと 上を見たら、 自分のかなり上まで海があり、魚たちがいる という光景に うわぁ〜。。。と思った。 

  •  岩場のくぼみに何かいる様子で、インストラクターの方にカメラを渡す。エビがいたらしい。 

     岩場のくぼみに何かいる様子で、インストラクターの方にカメラを渡す。エビがいたらしい。 

  •  海の底からみあげた光景。。。 なんだかまあ、うっとりというか。。。

     海の底からみあげた光景。。。 なんだかまあ、うっとりというか。。。

  •  時々耳がボーンとしてきたので、耳ぬきを。 どうしてもマスクのバンドが下がってしまい、耳が折れてしまうとぎゅるぎゅると嫌な音や変な感じがしてそれが少し不愉快であった。 <br /> そろそろ戻っていくようだ。

     時々耳がボーンとしてきたので、耳ぬきを。 どうしてもマスクのバンドが下がってしまい、耳が折れてしまうとぎゅるぎゅると嫌な音や変な感じがしてそれが少し不愉快であった。 
     そろそろ戻っていくようだ。

  •  

     

  •  ふぐが多くて、ほんとかわいかった〜

     ふぐが多くて、ほんとかわいかった〜

  •  インストラクターの方が撮ったもの

     インストラクターの方が撮ったもの

  •  青い魚の群れ(^^) 

     青い魚の群れ(^^) 

  • 浅瀬に戻って行き上がる。 はぁ〜 という感じ。 ダイビングってこんなに面白いいいものだったんだあ〜、海の中ってこんなに素敵なところだったんだ〜。。<br /><br /> とりあえずあったかいシャワーを浴びて着替える。あとはこぢんまりとしたショップの中でしばしお話。 インストラクターの方が水中でも落ち着いていたからぜひCカードを取って下さいと言っていた。<br /><br /> 女性一人でダイビングに来ていた方ともいっしょにお話しできてよかった。 それに、女性一人でも来ている人もいるんだなとうれしく思えた。<br /><br /> ダイビング はお金持ちのファッション的な趣味みたいなイメージがあったりしたけど、そういうのはふっとびました。 シュノーケルで十分と思っていたけれど、やってみると全く違うということもわかった。<br /><br /> 上から眺めているだけだと平面的なんだけど、海の中から見上げた光景は立体的。 そして自分のまわりに 海がある という世界。。。<br /><br /> 今回潜ったのは写真の後方の岩場のその向こう側。海ってただ眺めていいねえ〜ってものだったけど、その海の中はすごい世界があったんだなあ〜。<br /><br /> とにかく、いきなりだったけどやってみてよかった!! 

    浅瀬に戻って行き上がる。 はぁ〜 という感じ。 ダイビングってこんなに面白いいいものだったんだあ〜、海の中ってこんなに素敵なところだったんだ〜。。

     とりあえずあったかいシャワーを浴びて着替える。あとはこぢんまりとしたショップの中でしばしお話。 インストラクターの方が水中でも落ち着いていたからぜひCカードを取って下さいと言っていた。

     女性一人でダイビングに来ていた方ともいっしょにお話しできてよかった。 それに、女性一人でも来ている人もいるんだなとうれしく思えた。

     ダイビング はお金持ちのファッション的な趣味みたいなイメージがあったりしたけど、そういうのはふっとびました。 シュノーケルで十分と思っていたけれど、やってみると全く違うということもわかった。

     上から眺めているだけだと平面的なんだけど、海の中から見上げた光景は立体的。 そして自分のまわりに 海がある という世界。。。

     今回潜ったのは写真の後方の岩場のその向こう側。海ってただ眺めていいねえ〜ってものだったけど、その海の中はすごい世界があったんだなあ〜。

     とにかく、いきなりだったけどやってみてよかった!! 

この旅行記のタグ

6いいね!

利用規約に違反している投稿は、報告する事ができます。 問題のある投稿を連絡する

コメントを投稿する前に

十分に確認の上、ご投稿ください。 コメントの内容は攻撃的ではなく、相手の気持ちに寄り添ったものになっていますか?

サイト共通ガイドライン(利用上のお願い)

報道機関・マスメディアの方へ 画像提供などに関するお問い合わせは、専用のお問い合わせフォームからお願いいたします。

旅の計画・記録

マイルに交換できるフォートラベルポイントが貯まる
フォートラベルポイントって?

フォートラベル公式LINE@

おすすめの旅行記や旬な旅行情報、お得なキャンペーン情報をお届けします!
QRコードが読み取れない場合はID「@4travel」で検索してください。

\その他の公式SNSはこちら/

価格.com旅行・トラベルホテル・旅館を比較

PAGE TOP