サイパン旅行記(ブログ) 一覧に戻る
近くのリゾートでも行こうと言う夫の提案。<br />…となると、グアムかサイパン。<br />海が綺麗な方がいいので、サイパンに決定。<br /><br />ホテルにより値段はピンキリだけど、HISで相談すると、一番安いのはお勧めできないとのこと。<br />…と言うことで、フィエスタリゾート&スパにする。立地が良いわりにリーズナブル。日中いないし、部屋指定なしにする(しかしこの反動が後のモルディブに来たらしい…)。<br />

サイパン旅行記

7いいね!

2008/02/12 - 2008/02/16

1327位(同エリア2919件中)

0

27

かず

かずさん

近くのリゾートでも行こうと言う夫の提案。
…となると、グアムかサイパン。
海が綺麗な方がいいので、サイパンに決定。

ホテルにより値段はピンキリだけど、HISで相談すると、一番安いのはお勧めできないとのこと。
…と言うことで、フィエスタリゾート&スパにする。立地が良いわりにリーズナブル。日中いないし、部屋指定なしにする(しかしこの反動が後のモルディブに来たらしい…)。

  • 2/12 コンチネンタル航空で福岡-グアム-サイパン<br />フィエスタリゾート&スパに着いて、夕食を食べに行く。<br />

    2/12 コンチネンタル航空で福岡-グアム-サイパン
    フィエスタリゾート&スパに着いて、夕食を食べに行く。

  • 2/13 マウンテンビューの部屋から見た風景。<br />要するにオーシャンビューではない安い方の部屋ね…。

    2/13 マウンテンビューの部屋から見た風景。
    要するにオーシャンビューではない安い方の部屋ね…。

  • オーシャンビューだとこういう風景。

    オーシャンビューだとこういう風景。

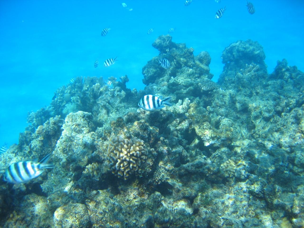
  • ネットで全てオプションの手配は済ませていた。<br />この日はバナナボートとボートシュノーケル、そのままマニャガハ島へ行くツアー。<br />海岸からバナナボートに乗って沖まで。最後は振り落とされる。<br />その後、ボートシュノーケル。綺麗な海にたくさんの魚と珊瑚。私はちょっと波で酔ってしまった。<br />

    ネットで全てオプションの手配は済ませていた。
    この日はバナナボートとボートシュノーケル、そのままマニャガハ島へ行くツアー。
    海岸からバナナボートに乗って沖まで。最後は振り落とされる。
    その後、ボートシュノーケル。綺麗な海にたくさんの魚と珊瑚。私はちょっと波で酔ってしまった。

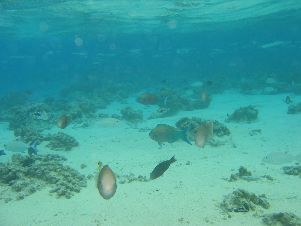
  • マニャガハ島。<br />透明度の高い海。<br />サヨリがいっぱいいた。<br />

    マニャガハ島。
    透明度の高い海。
    サヨリがいっぱいいた。

  • プールで泳いでいるみたいだが、海。

    プールで泳いでいるみたいだが、海。

  • でもマニャガハ島にはあまりカラフルな魚はいなかった。

    でもマニャガハ島にはあまりカラフルな魚はいなかった。

  • ハードロックカフェで食事。<br /><br />

    ハードロックカフェで食事。

  • 2/14 小雨が降る中パラセイリング。<br />韓国人カップルの写真を撮ってあげて、私達も撮ってもらった。<br />途中、「サメの餌」と言われ、海に落とされた後、また高く上げられた。

    2/14 小雨が降る中パラセイリング。
    韓国人カップルの写真を撮ってあげて、私達も撮ってもらった。
    途中、「サメの餌」と言われ、海に落とされた後、また高く上げられた。

  • 少しだけ小雨が降っていたので、前日より波は高いし透明度は低い。

    少しだけ小雨が降っていたので、前日より波は高いし透明度は低い。

  • 天気が悪かったので寒かった。<br />「日本の温泉に入りたい」と言う私。<br /><br />午後からでもスパをするオプションにしておけば良かったと後悔。でもその日にならないと、天気はわからないし…。<br />せっかく海に行ったのだからスパなんかに行っている時間がもったいないと思ったけど、天気による!

    天気が悪かったので寒かった。
    「日本の温泉に入りたい」と言う私。

    午後からでもスパをするオプションにしておけば良かったと後悔。でもその日にならないと、天気はわからないし…。
    せっかく海に行ったのだからスパなんかに行っている時間がもったいないと思ったけど、天気による!

  • 下はナマコがたくさん。<br />魚が寄ってくる。夫は指をかじられたとか。<br />餌と間違えられたらしい。

    下はナマコがたくさん。
    魚が寄ってくる。夫は指をかじられたとか。
    餌と間違えられたらしい。

  • 桟橋から見たシャーク。

    桟橋から見たシャーク。

  • お迎えのボートが来て乗る。<br />

    お迎えのボートが来て乗る。

  • さよなら、マニャガハ島。

    さよなら、マニャガハ島。

  • この日はホテルの近くでナイトマーケットがあった。<br />5ドルで容器に自分の好きな物を入れお弁当にする。<br />フレッシュフルーツのジュースも買い、ホテルに持ち帰って夕食にした。<br /><br />ちなみにお昼は近くのコンビニで調達し、クーラーボックスを借りられたのでそれで持って行っていた。

    この日はホテルの近くでナイトマーケットがあった。
    5ドルで容器に自分の好きな物を入れお弁当にする。
    フレッシュフルーツのジュースも買い、ホテルに持ち帰って夕食にした。

    ちなみにお昼は近くのコンビニで調達し、クーラーボックスを借りられたのでそれで持って行っていた。

  • 2/15 <br />この近くにはレストランもたくさんあるしお店も多く、立地が良い。<br />中国のマッサージの客引きが通る度に鬱陶しかった。<br />

    2/15 
    この近くにはレストランもたくさんあるしお店も多く、立地が良い。
    中国のマッサージの客引きが通る度に鬱陶しかった。

  • この日はテニアンへ。パスポート持参で、行きはフェリー。<br />大学の卒業旅行らしき団体の中に1人、何故か地球連邦軍の制服を着た人が1人…。<br />何故南国でそんな格好をしているのか不思議でしょうがなかった。海へ行くんだよね?今思えば海ではなくカジノだったのかもしれない。<br /><br />荒天のせいで、この日も波が高かった。透明度が高いと言われるテニアンにわざわざ行ったのに…。タチョンガビーチは岩も多くて、波があると危険。<br /><br />亀シュノーケルのオプションで亀はたくさん見ることができた。亀は遥か下を泳いでいたので写真は撮れず。でも普段ならもっと綺麗に見られたんだろうなぁ…。<br />

    この日はテニアンへ。パスポート持参で、行きはフェリー。
    大学の卒業旅行らしき団体の中に1人、何故か地球連邦軍の制服を着た人が1人…。
    何故南国でそんな格好をしているのか不思議でしょうがなかった。海へ行くんだよね?今思えば海ではなくカジノだったのかもしれない。

    荒天のせいで、この日も波が高かった。透明度が高いと言われるテニアンにわざわざ行ったのに…。タチョンガビーチは岩も多くて、波があると危険。

    亀シュノーケルのオプションで亀はたくさん見ることができた。亀は遥か下を泳いでいたので写真は撮れず。でも普段ならもっと綺麗に見られたんだろうなぁ…。

  • タチョンガビーチを少し歩くとすぐにタガビーチ。<br />どうやって降りる?<br />昔、ポカリのCMで豪快に飛び込んでたけど。

    タチョンガビーチを少し歩くとすぐにタガビーチ。
    どうやって降りる?
    昔、ポカリのCMで豪快に飛び込んでたけど。

  • タガビーチで泳がなかったが、雰囲気の良い所。<br /><br />

    タガビーチで泳がなかったが、雰囲気の良い所。

  • タチョンガビーチに戻り、浅瀬に岩がない所から海に入りシュノーケル…。<br />でもなんだかテニアンの良さが全くわからなくて、消化不良だった。

    タチョンガビーチに戻り、浅瀬に岩がない所から海に入りシュノーケル…。
    でもなんだかテニアンの良さが全くわからなくて、消化不良だった。

  • そして、海以上に最悪だったのが帰りの飛行機。<br />こんなに小さなセスナで待っている客はたくさん!<br />おまけに後から来る中国人が優先(VIPだかららしい)なので待てど暮らせど私達の順番にならないのだ。中国人の煩さに、空港職員が「シャラップ!」と怒っていたが。<br />空港と言ってもこのセスナを見てわかるように、待合室は小さな駅程度。ここで何もすることもなく4時間以上も待っていたのである…。<br />あげくの果てにパイロットのおばちゃんが機嫌が悪くなってもう飛ばないかもなんて言う情報が!<br />セスナは暗くなったら飛べないと言ってるし…帰れない可能性も。<br /><br />

    そして、海以上に最悪だったのが帰りの飛行機。
    こんなに小さなセスナで待っている客はたくさん!
    おまけに後から来る中国人が優先(VIPだかららしい)なので待てど暮らせど私達の順番にならないのだ。中国人の煩さに、空港職員が「シャラップ!」と怒っていたが。
    空港と言ってもこのセスナを見てわかるように、待合室は小さな駅程度。ここで何もすることもなく4時間以上も待っていたのである…。
    あげくの果てにパイロットのおばちゃんが機嫌が悪くなってもう飛ばないかもなんて言う情報が!
    セスナは暗くなったら飛べないと言ってるし…帰れない可能性も。

  • 私達はこの日の夜中に帰国するので、こんな所に泊まっている場合ではない。なんとしてもサイパンに帰らなければ!<br />夕方になってやっと乗りこめた…。<br />たかが10分のフライトの為に何時間待ったことか…。<br />中国の旧正月と重なった為の悲劇らしい。いつもではないと、ツアーのお兄さんが申し訳なさそうに言っていた。<br /><br />ちなみにパイロットの隣はお客さんである。<br /><br />

    私達はこの日の夜中に帰国するので、こんな所に泊まっている場合ではない。なんとしてもサイパンに帰らなければ!
    夕方になってやっと乗りこめた…。
    たかが10分のフライトの為に何時間待ったことか…。
    中国の旧正月と重なった為の悲劇らしい。いつもではないと、ツアーのお兄さんが申し訳なさそうに言っていた。

    ちなみにパイロットの隣はお客さんである。

  • なんとか夕食にありつけた。<br />

    なんとか夕食にありつけた。

  • 仮眠をとり、日付も変わり、真夜中2時頃出発〜。<br />ホテルも静か。

    仮眠をとり、日付も変わり、真夜中2時頃出発〜。
    ホテルも静か。

  • サイパン空港でも中国人の煩さに閉口。<br />マナーも悪いし…。<br />でも乗る飛行機は違ったので良かった。<br /><br />グアムでは夜明け前。

    サイパン空港でも中国人の煩さに閉口。
    マナーも悪いし…。
    でも乗る飛行機は違ったので良かった。

    グアムでは夜明け前。

  • 2/16 帰国。<br /><br />この何日か後に、三浦和義がサイパンで逮捕されてびっくり。<br /><br />

    2/16 帰国。

    この何日か後に、三浦和義がサイパンで逮捕されてびっくり。

この旅行記のタグ

7いいね!

利用規約に違反している投稿は、報告する事ができます。 問題のある投稿を連絡する

コメントを投稿する前に

十分に確認の上、ご投稿ください。 コメントの内容は攻撃的ではなく、相手の気持ちに寄り添ったものになっていますか?

サイト共通ガイドライン(利用上のお願い)

報道機関・マスメディアの方へ 画像提供などに関するお問い合わせは、専用のお問い合わせフォームからお願いいたします。

旅の計画・記録

マイルに交換できるフォートラベルポイントが貯まる
フォートラベルポイントって?

北マリアナ諸島で使うWi-Fiはレンタルしましたか?

フォートラベル GLOBAL WiFiなら
北マリアナ諸島最安 586円/日~

  • 空港で受取・返却可能
  • お得なポイントがたまる

北マリアナ諸島の料金プランを見る

フォートラベル公式LINE@

おすすめの旅行記や旬な旅行情報、お得なキャンペーン情報をお届けします!
QRコードが読み取れない場合はID「@4travel」で検索してください。

\その他の公式SNSはこちら/

PAGE TOP