石垣島旅行記(ブログ) 一覧に戻る
今年2回目の石垣島。<br />台風が過ぎた後だったので少し心配だったが、根っからの晴れ男。<br />海況も天気も良好最高の石垣島を満喫できた。<br />6月に行ったときはマンタとの遭遇率が悪くいまいちだったが今回はマンタ三昧。<br />ローカルルールでマンタに近寄ることはできないが彼らがよってくれることはOK。<br />それを願いながら待つのだが、近くは通り過ぎるが真上とかシャッターチャンスになる場所には来てくれない。<br />今回も残念ながら真下からの写真は撮ることはできなかった。<br />それでも自分なりには大満足だった。<br /><br />http://www11.ocn.ne.jp/~fujip/

マンタ三昧

3いいね!

2008/09/21 - 2008/09/25

5038位(同エリア5863件中)

0

5

フジピー

フジピーさん

今年2回目の石垣島。
台風が過ぎた後だったので少し心配だったが、根っからの晴れ男。
海況も天気も良好最高の石垣島を満喫できた。
6月に行ったときはマンタとの遭遇率が悪くいまいちだったが今回はマンタ三昧。
ローカルルールでマンタに近寄ることはできないが彼らがよってくれることはOK。
それを願いながら待つのだが、近くは通り過ぎるが真上とかシャッターチャンスになる場所には来てくれない。
今回も残念ながら真下からの写真は撮ることはできなかった。
それでも自分なりには大満足だった。

http://www11.ocn.ne.jp/~fujip/

同行者
一人旅
一人あたり費用
5万円 - 10万円
交通手段
ANAグループ
  • マンタ 尻尾がない???

    マンタ 尻尾がない???

  • トサカリュウグウウミウシ

    トサカリュウグウウミウシ

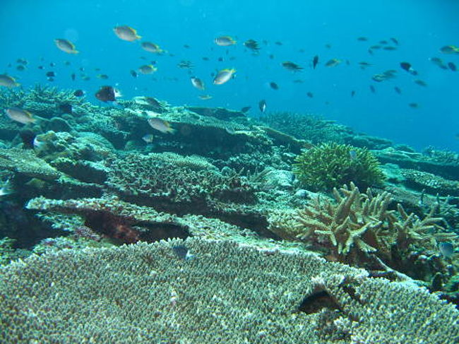
  • まだまだ元気サンゴ礁

    まだまだ元気サンゴ礁

  • カクレクマノミ

    カクレクマノミ

  • バブルコーラルシュリンプ

    バブルコーラルシュリンプ

この旅行記のタグ

関連タグ

3いいね!

利用規約に違反している投稿は、報告する事ができます。 問題のある投稿を連絡する

コメントを投稿する前に

十分に確認の上、ご投稿ください。 コメントの内容は攻撃的ではなく、相手の気持ちに寄り添ったものになっていますか?

サイト共通ガイドライン(利用上のお願い)

報道機関・マスメディアの方へ 画像提供などに関するお問い合わせは、専用のお問い合わせフォームからお願いいたします。

旅の計画・記録

マイルに交換できるフォートラベルポイントが貯まる
フォートラベルポイントって?

フォートラベル公式LINE@

おすすめの旅行記や旬な旅行情報、お得なキャンペーン情報をお届けします!
QRコードが読み取れない場合はID「@4travel」で検索してください。

\その他の公式SNSはこちら/

タグから国内旅行記(ブログ)を探す

価格.com旅行・トラベルホテル・旅館を比較

PAGE TOP