与那国島旅行記(ブログ) 一覧に戻る
島内観光つづき

最西端 与那国島ツアー2日目 与那国島入り?

1いいね!

2008/07/09 - 2008/07/09

514位(同エリア530件中)

0

38

にんにん

にんにんさん

島内観光つづき

交通手段
レンタカー
  • 祖納集落から東崎へ行く道中見かけて建物<br />何の建物なのか未だに不明

    祖納集落から東崎へ行く道中見かけて建物
    何の建物なのか未だに不明

  • 東牧場の風車

    東牧場の風車

  • 東牧場の牛<br />青い空と青い海と緑の牧草に牛!<br />

    東牧場の牛
    青い空と青い海と緑の牧草に牛!

  • 東崎展望台

    東崎展望台

  • 東崎展望台

    東崎展望台

  • 東崎から見たウブドゥマイ浜

    東崎から見たウブドゥマイ浜

  • 東崎から見た南側の海

    東崎から見た南側の海

  • 東崎灯台下

    東崎灯台下

  • 東崎灯台下から見た与那国馬&<br />  ウブドゥマイ浜&6畳半ビーチ<br /><br />

    東崎灯台下から見た与那国馬&
    ウブドゥマイ浜&6畳半ビーチ

  • サンニヌ台展望台<br />普通にこの先は行かなかったのですが<br />立ち入り禁止みたいです<br />

    サンニヌ台展望台
    普通にこの先は行かなかったのですが
    立ち入り禁止みたいです

  • 立神岩展望台

    立神岩展望台

  • 駐車場とトイレ

    駐車場とトイレ

  • 立神岩(頓石:とんいし)

    立神岩(頓石:とんいし)

  • アップ

    アップ

  • 立神岩展望台から見た東崎方面

    立神岩展望台から見た東崎方面

  • 一度、久部良集落に行くと<br />フェリーが停泊中でした<br />

    一度、久部良集落に行くと
    フェリーが停泊中でした

  • 良いシュノーケルポイントが無かったので<br />比川浜へ<br />

    良いシュノーケルポイントが無かったので
    比川浜へ

  • 浜から見たコトー診療所

    浜から見たコトー診療所

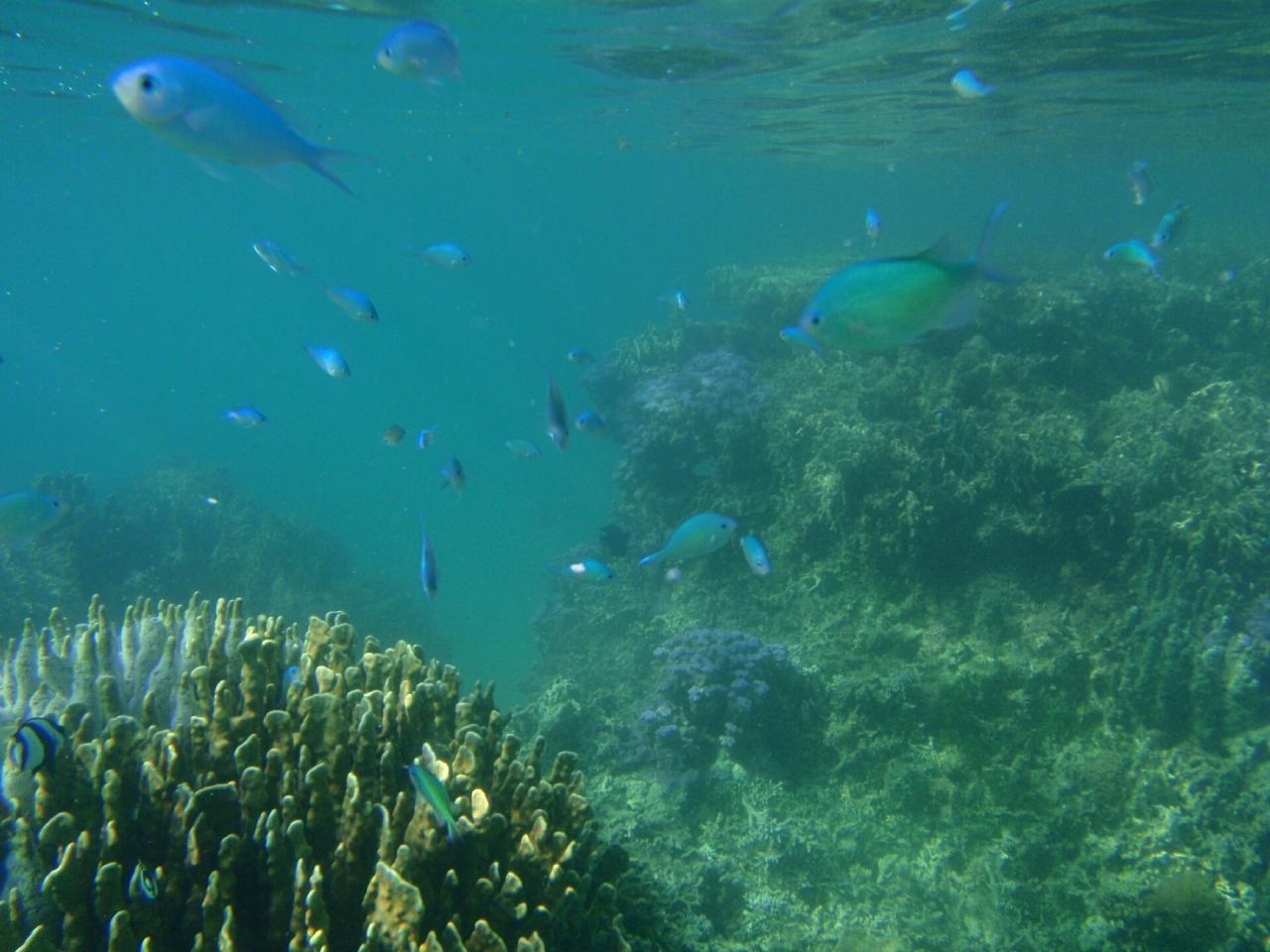
  • 比川浜の海中

    比川浜の海中

  • 海流により視界は悪かったです

    海流により視界は悪かったです

  • 水深3m程の所もあり迷路状態でした

    水深3m程の所もあり迷路状態でした

  • 沖から見た診療所

    沖から見た診療所

  • 比川浜 奥のビーチ

    比川浜 奥のビーチ

  • 浜から上がると診療内見学終了してました

    浜から上がると診療内見学終了してました

  • 診療所裏には「アンダ王水御川神」<br />「宇天龍十一而観世音菩薩」<br />なる小さい碑がある御嶽がありました<br />

    診療所裏には「アンダ王水御川神」
    「宇天龍十一而観世音菩薩」
    なる小さい碑がある御嶽がありました

  • 診療所裏

    診療所裏

  • ドラマのココから浜見てたシーンを思い出しました

    ドラマのココから浜見てたシーンを思い出しました

  • 診療所裏から見た比川浜

    診療所裏から見た比川浜

  • 祖納集落にある<br />ビアガーデン国境(はて)で夕食を<br />

    祖納集落にある
    ビアガーデン国境(はて)で夕食を

  • かじきはて(カジキの唐揚げ)<br />軟らかい鶏肉の様でK○Cより美味しかった<br />確か¥730でした<br />

    かじきはて(カジキの唐揚げ)
    軟らかい鶏肉の様でK○Cより美味しかった
    確か¥730でした

  • 刺身盛り合わせ¥1,200

    刺身盛り合わせ¥1,200

  • 魚汁¥600<br />すごくダシの出たスープでした<br />魚はミミジャー(ひめふえだい)だと思います<br />

    魚汁¥600
    すごくダシの出たスープでした
    魚はミミジャー(ひめふえだい)だと思います

  • ホテルまでの帰りにもう一度島内一周した際<br />走行距離の数値が揃った瞬間<br />

    ホテルまでの帰りにもう一度島内一周した際
    走行距離の数値が揃った瞬間

この旅行記のタグ

1いいね!

利用規約に違反している投稿は、報告する事ができます。 問題のある投稿を連絡する

コメントを投稿する前に

十分に確認の上、ご投稿ください。 コメントの内容は攻撃的ではなく、相手の気持ちに寄り添ったものになっていますか?

サイト共通ガイドライン(利用上のお願い)

報道機関・マスメディアの方へ 画像提供などに関するお問い合わせは、専用のお問い合わせフォームからお願いいたします。

旅の計画・記録

マイルに交換できるフォートラベルポイントが貯まる
フォートラベルポイントって?

フォートラベル公式LINE@

おすすめの旅行記や旬な旅行情報、お得なキャンペーン情報をお届けします!
QRコードが読み取れない場合はID「@4travel」で検索してください。

\その他の公式SNSはこちら/

タグから国内旅行記(ブログ)を探す

PAGE TOP