サイパン旅行記(ブログ) 一覧に戻る
ここ2年間はフィリピンに行ってましたが、久しぶりにイーグルレイでマダラトビエイが見たくてサイパンへ潜りに行って来ました。サイパンへの旅行は6回目となりました。今回は、3泊4日の3ビーチ・2ボート付きのツアーで、2泊の延泊で5泊6日の旅にしました。いつもはダイビングの他に、マニャガハ・テニアンに遊びに行くのですが延泊の2日にもダイビング(2ビーチ・2ボートテニアン)予約したので、ダイビングオンリーとなりました。今回は海況が悪くてポイント的には残念な面もありましたが、ダイビングショップはワンダーシーにお世話になり大変楽しい旅行となりました。カガさん・ユミコさん・マユミさん有難うございました。<br />次回もよろしくお願いします。<br /><br />ダイビング<br />今年は、イーグルレイにマダラトビエイが居ないとの事で、イーグルレイ行きはありませんでした。また、グロットも何日かぶりで、やっと1本とのこと。<br />1日 午前 オブジャン海況悪くラウラウへ<br />   午後 アイス・ディンプル<br />2日 午前 オブジャン海況悪くラウラウへ<br />3日 午前 グロット・オブジャン<br />4日 午前 テニアンへGO<br />でも、陸を離れて約5分、マイクロビーチ沖・マニャガハ島との間でボートがエンジントラブル。別のボートに救援を頼み、港に戻りました。後で聞いたのですが、何故か燃料タンクに水が入っていたとの事でした。<br />仕方なく、午後 ディンプル・沈船<br />沈船は流れが強く濁りもすごくコンディションは最悪でした。

2年ぶりのサイパン、魚の写真

2いいね!

2008/01/14 - 2008/01/19

2133位(同エリア2919件中)

0

40

eagleraysaipanda

eagleraysaipandaさん

ここ2年間はフィリピンに行ってましたが、久しぶりにイーグルレイでマダラトビエイが見たくてサイパンへ潜りに行って来ました。サイパンへの旅行は6回目となりました。今回は、3泊4日の3ビーチ・2ボート付きのツアーで、2泊の延泊で5泊6日の旅にしました。いつもはダイビングの他に、マニャガハ・テニアンに遊びに行くのですが延泊の2日にもダイビング(2ビーチ・2ボートテニアン)予約したので、ダイビングオンリーとなりました。今回は海況が悪くてポイント的には残念な面もありましたが、ダイビングショップはワンダーシーにお世話になり大変楽しい旅行となりました。カガさん・ユミコさん・マユミさん有難うございました。
次回もよろしくお願いします。

ダイビング
今年は、イーグルレイにマダラトビエイが居ないとの事で、イーグルレイ行きはありませんでした。また、グロットも何日かぶりで、やっと1本とのこと。
1日 午前 オブジャン海況悪くラウラウへ
   午後 アイス・ディンプル
2日 午前 オブジャン海況悪くラウラウへ
3日 午前 グロット・オブジャン
4日 午前 テニアンへGO
でも、陸を離れて約5分、マイクロビーチ沖・マニャガハ島との間でボートがエンジントラブル。別のボートに救援を頼み、港に戻りました。後で聞いたのですが、何故か燃料タンクに水が入っていたとの事でした。
仕方なく、午後 ディンプル・沈船
沈船は流れが強く濁りもすごくコンディションは最悪でした。

同行者
カップル・夫婦
一人あたり費用
10万円 - 15万円
航空会社
旅行の手配内容
ツアー(添乗員同行なし)
  • カスミチュウチョウオ

    カスミチュウチョウオ

  • カスミチュウチョウオの群れ

    カスミチュウチョウオの群れ

  • スダレチュウチョウオ

    スダレチュウチョウオ

  • ツノダシ

    ツノダシ

  • チョウハン

    チョウハン

  • ニシキヤッコ

    ニシキヤッコ

  • トゲチュウチョウオ

    トゲチュウチョウオ

  • ハクテンカタギ

    ハクテンカタギ

  • ハクテンカタギのペア

    ハクテンカタギのペア

  • ハナグロチュウチョウオ

    ハナグロチュウチョウオ

  • ミスジチュウチョウオ

    ミスジチュウチョウオ

  • ヤリカタギ

    ヤリカタギ

  • フエヤッコ

    フエヤッコ

  • ミナミハタタテダイ

    ミナミハタタテダイ

  • オビテンスモドキ

    オビテンスモドキ

  • 岩陰のウツボ

    岩陰のウツボ

  • 泳ぐウツボ

    泳ぐウツボ

  • カスミアジ

    カスミアジ

  • アカヒメジ

    アカヒメジ

  • アカマツカサ

    アカマツカサ

  • オレンジフィンアネモネフィッシュ

    オレンジフィンアネモネフィッシュ

  • ヨスジフエダイ

    ヨスジフエダイ

  • ヨスジフエダイ

    ヨスジフエダイ

  • メアジ玉

    メアジ玉

  • ミヤコテングハギ

    ミヤコテングハギ

  • ミヤコテングハギ

    ミヤコテングハギ

  • アキアナゴ

    アキアナゴ

  • チンアナゴ

    チンアナゴ

  • ハナビラクマノミ

    ハナビラクマノミ

  • ダスキーアネモネフィッシュ

    ダスキーアネモネフィッシュ

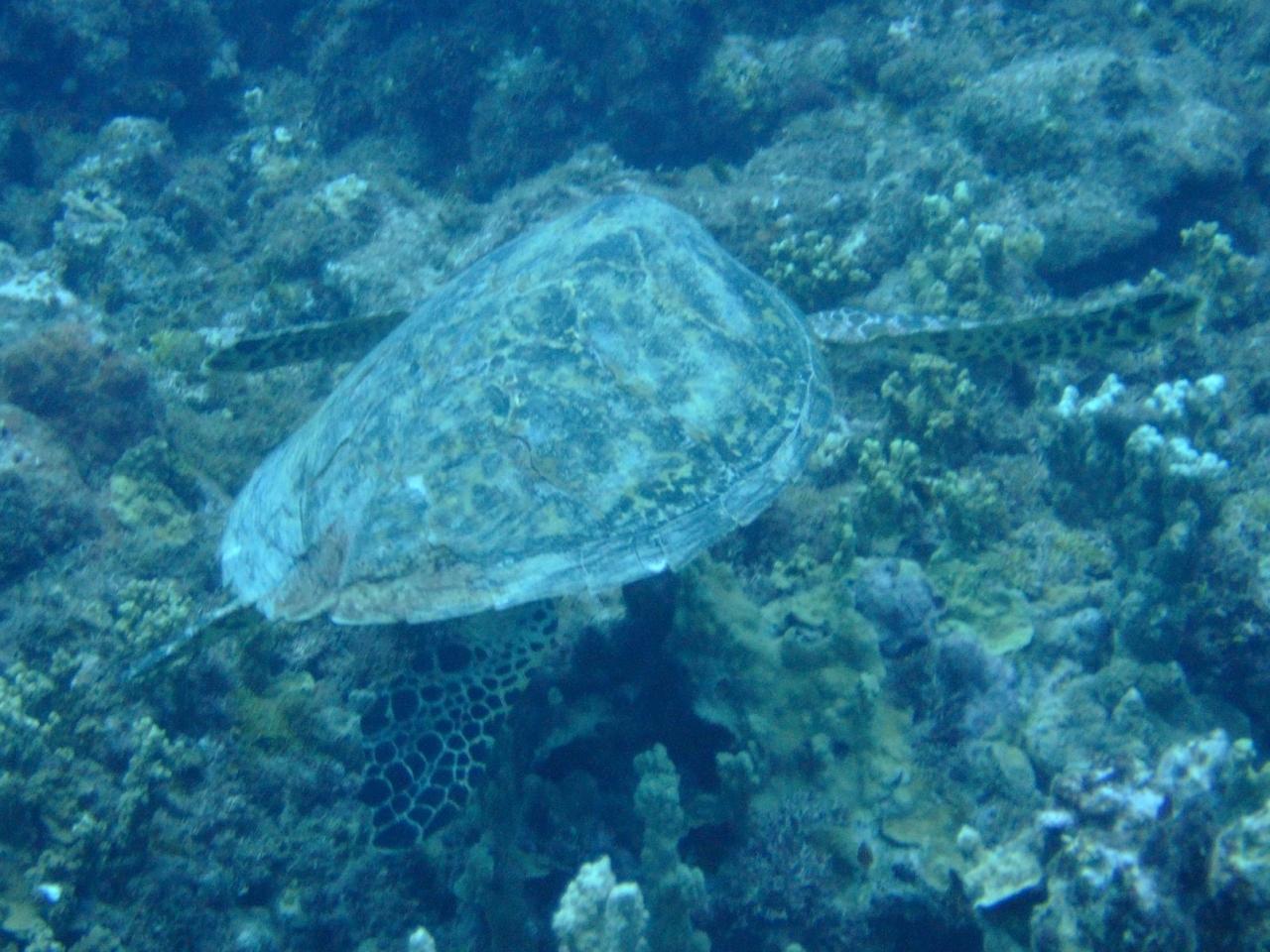
  • タイマイ

    タイマイ

  • タイマイ

    タイマイ

  • キイロハギ

    キイロハギ

  • キンロハギの群れ

    キンロハギの群れ

  • マダラトビエイ

    マダラトビエイ

  • マダラトビエイ

    マダラトビエイ

  • マダラトビエイ

    マダラトビエイ

  • マダラトビエイ

    マダラトビエイ

  • フタスジリュウキュウスズメダイ

    フタスジリュウキュウスズメダイ

  • ハイアット前のマイクロビーチからのマニャガハ島

    ハイアット前のマイクロビーチからのマニャガハ島

この旅行記のタグ

関連タグ

2いいね!

利用規約に違反している投稿は、報告する事ができます。 問題のある投稿を連絡する

コメントを投稿する前に

十分に確認の上、ご投稿ください。 コメントの内容は攻撃的ではなく、相手の気持ちに寄り添ったものになっていますか?

サイト共通ガイドライン(利用上のお願い)

報道機関・マスメディアの方へ 画像提供などに関するお問い合わせは、専用のお問い合わせフォームからお願いいたします。

旅の計画・記録

マイルに交換できるフォートラベルポイントが貯まる
フォートラベルポイントって?

北マリアナ諸島で使うWi-Fiはレンタルしましたか?

フォートラベル GLOBAL WiFiなら
北マリアナ諸島最安 586円/日~

  • 空港で受取・返却可能
  • お得なポイントがたまる

北マリアナ諸島の料金プランを見る

フォートラベル公式LINE@

おすすめの旅行記や旬な旅行情報、お得なキャンペーン情報をお届けします!
QRコードが読み取れない場合はID「@4travel」で検索してください。

\その他の公式SNSはこちら/

タグから海外旅行記(ブログ)を探す

PAGE TOP