石垣島旅行記(ブログ) 一覧に戻る
石垣島は気候帯でいえば亜熱帯、11月末でも日中の気温は25℃前後。と書いてしまうと、常夏の島で上着いらずのように聞こえるかもしれない。でもやっぱり石垣にも四季があって、陸上はともかく海に出るダイバーにはもう肌寒い時期です。<br />体感気温が寒いです。まず冬の沖縄は北向きの風が多く、これが海からボートに上がったダイバーの体を冷やします。加えて冬の沖縄は曇りがちの日が多いので、なかなか体が温まりません。雨でも降ろうものなら、「なんで沖縄なのにこんなに寒いんだ・・」と心の中で何度となくつっこむことに。だからボートコートは必須です。でもきっちり準備さえしておけば、冬の海もそれなりに楽しめます。<br />ダイビングは、北風でさすがにマンタポイントへはめったに行けないので、島の西側の風波が弱い内湾のポイントで小物系を楽しむダイビングが主になります。<br /><br />利用ダイビングサービス:ブレニーダイビングサービス<br />11/24 牧場下<br />11/25 大崎ハナゴイリーフ、アカククリアイランド、大崎ミノカサゴ宮殿<br />11/26 大崎ハナゴイリーフ、牧場下、名蔵湾スモールワールド

07年11月石垣島ダイビングログ~冬の石垣の海はマクロで~

3いいね!

2007/11/24 - 2007/11/27

5087位(同エリア5916件中)

0

50

ふぁ

ふぁさん

石垣島は気候帯でいえば亜熱帯、11月末でも日中の気温は25℃前後。と書いてしまうと、常夏の島で上着いらずのように聞こえるかもしれない。でもやっぱり石垣にも四季があって、陸上はともかく海に出るダイバーにはもう肌寒い時期です。
体感気温が寒いです。まず冬の沖縄は北向きの風が多く、これが海からボートに上がったダイバーの体を冷やします。加えて冬の沖縄は曇りがちの日が多いので、なかなか体が温まりません。雨でも降ろうものなら、「なんで沖縄なのにこんなに寒いんだ・・」と心の中で何度となくつっこむことに。だからボートコートは必須です。でもきっちり準備さえしておけば、冬の海もそれなりに楽しめます。
ダイビングは、北風でさすがにマンタポイントへはめったに行けないので、島の西側の風波が弱い内湾のポイントで小物系を楽しむダイビングが主になります。

利用ダイビングサービス:ブレニーダイビングサービス
11/24 牧場下
11/25 大崎ハナゴイリーフ、アカククリアイランド、大崎ミノカサゴ宮殿
11/26 大崎ハナゴイリーフ、牧場下、名蔵湾スモールワールド

同行者
一人旅
一人あたり費用
10万円 - 15万円
交通手段
JALグループ
  • 11/24 1本目 牧場下<br />昼の飛行機で石垣島に着いて、ダイビングサービスに着いたのがPM2:00。急いで器材の準備して、この日の三本目のダイビングに合流。<br /><br />天気はあいにくだったけど、魚も多くなかなか楽しめた一本。<br />この夏の暑さでサンゴと同じく白化してしまったイソギンチャクだけど、住人のクマノミとの赤白のコントラストはとてもきれい。写真はハマクマノミ(メス)。

    11/24 1本目 牧場下
    昼の飛行機で石垣島に着いて、ダイビングサービスに着いたのがPM2:00。急いで器材の準備して、この日の三本目のダイビングに合流。

    天気はあいにくだったけど、魚も多くなかなか楽しめた一本。
    この夏の暑さでサンゴと同じく白化してしまったイソギンチャクだけど、住人のクマノミとの赤白のコントラストはとてもきれい。写真はハマクマノミ(メス)。

  • 白いジュズタマイソギンチャクから元気一杯?飛び出すハマクマノミ(オス)。オスは小さいけど、色合いはメスより鮮やかなオレンジ色。人間とは逆なんだね。

    白いジュズタマイソギンチャクから元気一杯?飛び出すハマクマノミ(オス)。オスは小さいけど、色合いはメスより鮮やかなオレンジ色。人間とは逆なんだね。

  • 大きなハマサンゴの軒下に、大きめのアカククリが一匹見え隠れ。少し浮遊物が多いな。

    大きなハマサンゴの軒下に、大きめのアカククリが一匹見え隠れ。少し浮遊物が多いな。

  • 砂地にはガーデンイールがにょきっと顔を出して、流れに乗って流れてくるプランクトンを待ち構えている。

    砂地にはガーデンイールがにょきっと顔を出して、流れに乗って流れてくるプランクトンを待ち構えている。

  • 警戒心が強いので驚かせないように、ゆっくりそろそろと這うように流れの下流から接近。でもガーデンイール達は流れの上から流れてくる餌のプランクトンに夢中のよう・・。

    警戒心が強いので驚かせないように、ゆっくりそろそろと這うように流れの下流から接近。でもガーデンイール達は流れの上から流れてくる餌のプランクトンに夢中のよう・・。

  • 巣穴を出てホバリングしているヒレナガネジリンボウを発見。驚いて穴に引っ込んでしまわないように、ゆっくりそろりと近付く。ハゼから見れば人間はとんでもなく大きな生き物だからね。

    巣穴を出てホバリングしているヒレナガネジリンボウを発見。驚いて穴に引っ込んでしまわないように、ゆっくりそろりと近付く。ハゼから見れば人間はとんでもなく大きな生き物だからね。

  • このポイントには二匹いて、この個体は警戒心が薄かったのでわりと近付けた印象。<br />メタリックな体に太い斜めの黒帯、ポーズも決まっていて、すっかりこの魚のファン。

    このポイントには二匹いて、この個体は警戒心が薄かったのでわりと近付けた印象。
    メタリックな体に太い斜めの黒帯、ポーズも決まっていて、すっかりこの魚のファン。

  • ハマクマノミに続いて、ホワホワの白い毛糸のボアのようなイソギンチャクとカクレクマノミのコンビ。<br />合計で3匹が棲んでいた。その中のとりわけ大きい個体が外に出てきて・・。

    ハマクマノミに続いて、ホワホワの白い毛糸のボアのようなイソギンチャクとカクレクマノミのコンビ。
    合計で3匹が棲んでいた。その中のとりわけ大きい個体が外に出てきて・・。

  • やあ!とばかりに右手を挙げてダイバーにあいさつ。しているように見える。思いがけず面白い仕草や表情が撮れるので、カクレクマノミは撮り飽きない。

    やあ!とばかりに右手を挙げてダイバーにあいさつ。しているように見える。思いがけず面白い仕草や表情が撮れるので、カクレクマノミは撮り飽きない。

  • 11/25 1本目 大崎ハナゴイリーフ<br />海の上は雨風ともに強く体感温度は低く、もしかしたら本土よりさぶいんじゃないの?と思ってしまう悪天候。<br />しかし水面から下は別世界。海中に避難したダイバーを出迎えてくれたのは、黄色い笑顔のジョーフィッシュ。<br />

    11/25 1本目 大崎ハナゴイリーフ
    海の上は雨風ともに強く体感温度は低く、もしかしたら本土よりさぶいんじゃないの?と思ってしまう悪天候。
    しかし水面から下は別世界。海中に避難したダイバーを出迎えてくれたのは、黄色い笑顔のジョーフィッシュ。

  • くりっとした眼がかわいらしいこのイエローのジョーは、見つかって以来すっかりこのポイントの人気者に。いつまで居てくれるか分からないけど、できれば来年も居て欲しい。

    くりっとした眼がかわいらしいこのイエローのジョーは、見つかって以来すっかりこのポイントの人気者に。いつまで居てくれるか分からないけど、できれば来年も居て欲しい。

  • ジョーフィッシュと並んで人気なのが、水深37mとかなり深い所にあるガラスの小瓶に棲む、ナカモトイロワケハゼ。この時はペアで二匹仲良く寄り添っていた。クリスタルイエローの体はいつ見てもきれいだ。

    ジョーフィッシュと並んで人気なのが、水深37mとかなり深い所にあるガラスの小瓶に棲む、ナカモトイロワケハゼ。この時はペアで二匹仲良く寄り添っていた。クリスタルイエローの体はいつ見てもきれいだ。

  • 子供を育てるメスと家を守るオスと。<br />お腹の辺りが赤いのがメスで抱卵している。正面向いてるオスはもしかしてダイバーを睨んで威嚇しているのかな。<br /><br />

    子供を育てるメスと家を守るオスと。
    お腹の辺りが赤いのがメスで抱卵している。正面向いてるオスはもしかしてダイバーを睨んで威嚇しているのかな。

  • ナカモトの小瓶の横にある、壷状のカイメンに棲むオドリカクレエビ。いわゆるクリーニングシュリンプで、指を差し出すと爪先をそうじしてくれる。

    ナカモトの小瓶の横にある、壷状のカイメンに棲むオドリカクレエビ。いわゆるクリーニングシュリンプで、指を差し出すと爪先をそうじしてくれる。

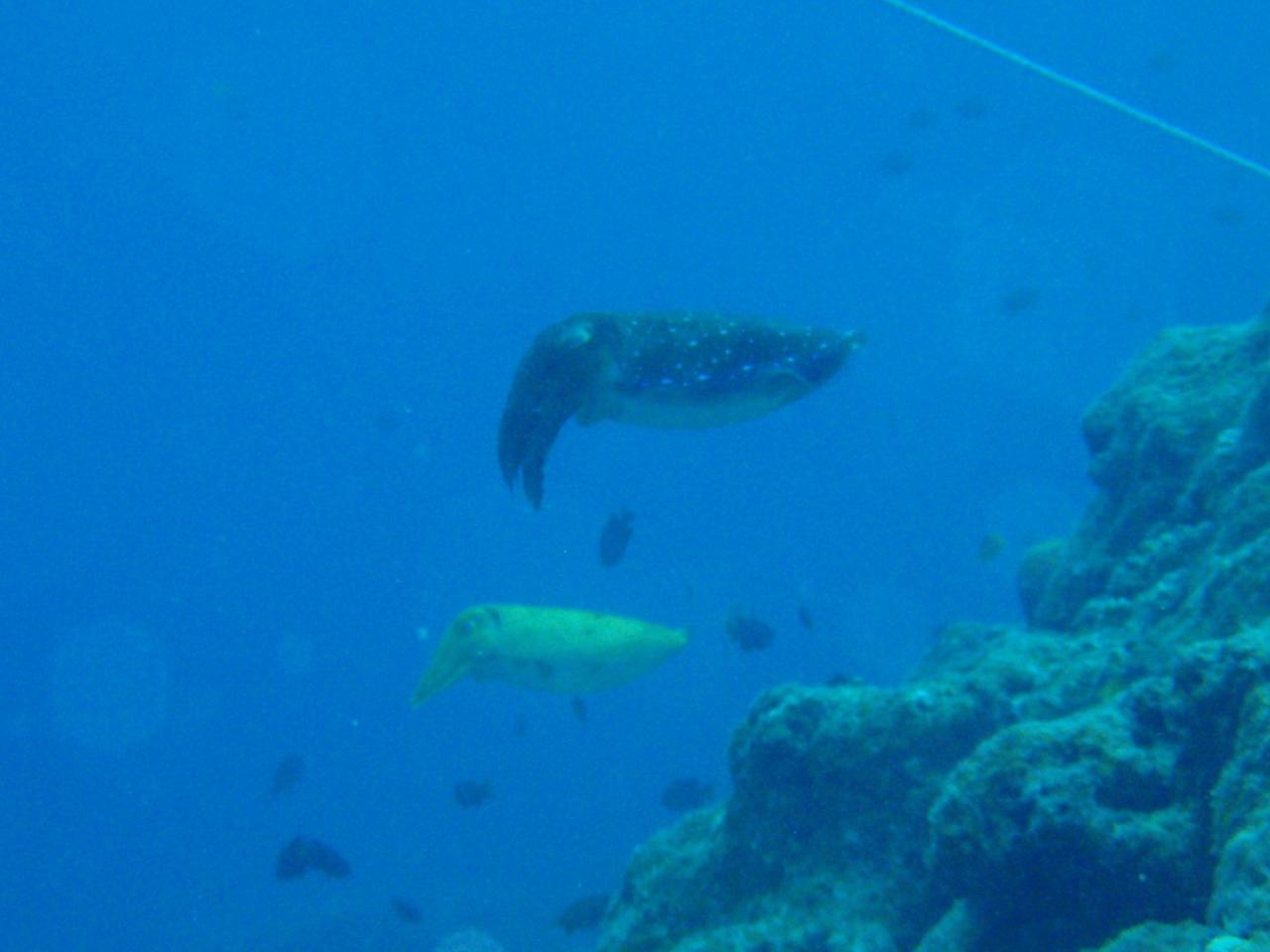
  • 水深30mから浅いところに戻ってくると、水面近くに、最近居ついているらしい大きな甲イカ・コブシメがふらりと漂っていた。全部で5匹、イカだから五杯?いたかな。

    水深30mから浅いところに戻ってくると、水面近くに、最近居ついているらしい大きな甲イカ・コブシメがふらりと漂っていた。全部で5匹、イカだから五杯?いたかな。

  • 下から徐々に接近。困ったような目付きがいい。<br />マクロからワイドまで、小物から大物?いや中物まで、いろんな魅力の詰まったナイスなポイント、大崎ハナゴイリーフ。

    下から徐々に接近。困ったような目付きがいい。
    マクロからワイドまで、小物から大物?いや中物まで、いろんな魅力の詰まったナイスなポイント、大崎ハナゴイリーフ。

  • 海の中では気付かなかったけど、下の方のコブシメ、なんだこの黄色は。コブシメは激しく体を明滅させたりするけど、これは地の色からして違う・・名付けるならコガネコブシメ?婚姻色とかなのかな・・。

    海の中では気付かなかったけど、下の方のコブシメ、なんだこの黄色は。コブシメは激しく体を明滅させたりするけど、これは地の色からして違う・・名付けるならコガネコブシメ?婚姻色とかなのかな・・。

  • 11/25 2本目 アカククリアイランド<br />ここはその名の通りアカククリがわんさか群れているポイント。個体の大きさも一匹一匹大きくて、全部で20匹くらいはいたかな。なかなかに賑やか。

    11/25 2本目 アカククリアイランド
    ここはその名の通りアカククリがわんさか群れているポイント。個体の大きさも一匹一匹大きくて、全部で20匹くらいはいたかな。なかなかに賑やか。

  • アカククリの群れを見ていると、どこからともなくホソカマスの小編隊が現れて・・。

    アカククリの群れを見ていると、どこからともなくホソカマスの小編隊が現れて・・。

  • ホソカマスの小編隊とアカククリの群れが交差する。<br />西側の内湾のポイントは、マクロ系を楽しむのが主だけど、こういうワイドな光景にだって、ポイントの選定次第では出遭えます。

    ホソカマスの小編隊とアカククリの群れが交差する。
    西側の内湾のポイントは、マクロ系を楽しむのが主だけど、こういうワイドな光景にだって、ポイントの選定次第では出遭えます。

  • 視点をワイドからマクロに切り替え目線を下げると、尾びれの付け根の紅点が鮮やかなネオンテンジクダイ。

    視点をワイドからマクロに切り替え目線を下げると、尾びれの付け根の紅点が鮮やかなネオンテンジクダイ。

  • アカククリ二枚重ね。<br />サンゴの後ろにいるアカククリが黒くなってるのは影になっているのではなくて、ホンソメワケベラにクリーニングされているから。クリーニングを受けるとアカククリは気持ちよくなって(たぶん)色が黒くなるとの事。

    アカククリ二枚重ね。
    サンゴの後ろにいるアカククリが黒くなってるのは影になっているのではなくて、ホンソメワケベラにクリーニングされているから。クリーニングを受けるとアカククリは気持ちよくなって(たぶん)色が黒くなるとの事。

  • アカククリの群れている中に、よく見ると何だか雰囲気の違う奴が一匹。顔がのっぺりしたツバメウオが一匹紛れて、同じようにクリーニングされていた。

    アカククリの群れている中に、よく見ると何だか雰囲気の違う奴が一匹。顔がのっぺりしたツバメウオが一匹紛れて、同じようにクリーニングされていた。

  • アカククリの若魚。<br />体は、というかヒレが縦に長く、また幼魚になるとさらに縦長になる。尾びれの後縁に、幼魚のときの名残のオレンジの縁取りがうっすらと見える。

    アカククリの若魚。
    体は、というかヒレが縦に長く、また幼魚になるとさらに縦長になる。尾びれの後縁に、幼魚のときの名残のオレンジの縁取りがうっすらと見える。

  • 11/25 3本目 大崎ミノカサゴ宮殿<br />艶やかで、そして毒々しいハナミノカサゴ。

    11/25 3本目 大崎ミノカサゴ宮殿
    艶やかで、そして毒々しいハナミノカサゴ。

  • 名前の由来になっている水深30mにある根にはハナミノカサゴがあちらこちらに、6、7匹くらいがゆらゆらと漂っていた。ただエサになるスカシテンジクダイはすっかり少なくなっていたけど。

    名前の由来になっている水深30mにある根にはハナミノカサゴがあちらこちらに、6、7匹くらいがゆらゆらと漂っていた。ただエサになるスカシテンジクダイはすっかり少なくなっていたけど。

  • クレナイニセスズメ。<br />きれいな魚なんだけど、よく見られる魚ゆえダイビングの経験を積む中で次第に見向きもされなくなってくる。しかし、実はチョロチョロと動いてなかなか撮りにくい被写体で、アングルによっては新たな一面を見せてくれる。ヒレが赤いの知らなかったし。

    クレナイニセスズメ。
    きれいな魚なんだけど、よく見られる魚ゆえダイビングの経験を積む中で次第に見向きもされなくなってくる。しかし、実はチョロチョロと動いてなかなか撮りにくい被写体で、アングルによっては新たな一面を見せてくれる。ヒレが赤いの知らなかったし。

  • 石垣の海の小物といえば、忘れてはいけない本場?のイシガキカエルウオ。

    石垣の海の小物といえば、忘れてはいけない本場?のイシガキカエルウオ。

  • 11/26 1本目 大崎ハナゴイリーフ(二回目)<br />季節はずれの台風が南の方にあってそこから伸びる雲が八重山地方にかぶって、ここのところ連日天気の良くない石垣島。雨が降らなかったぶん昨日より天気はましだったけど、風向きは引き続き北東。となると石垣島では潜れる場所が限られて、風を凌げる大崎エリアはさながら夏のマンタスクランブルのような船の賑わい。<br />今日はまず水深37mまで潜降し、ナカモトイロワケハゼの瓶を訪れるコース取り。<br />

    11/26 1本目 大崎ハナゴイリーフ(二回目)
    季節はずれの台風が南の方にあってそこから伸びる雲が八重山地方にかぶって、ここのところ連日天気の良くない石垣島。雨が降らなかったぶん昨日より天気はましだったけど、風向きは引き続き北東。となると石垣島では潜れる場所が限られて、風を凌げる大崎エリアはさながら夏のマンタスクランブルのような船の賑わい。
    今日はまず水深37mまで潜降し、ナカモトイロワケハゼの瓶を訪れるコース取り。

  • ビンの中に二匹、外に一匹。<br />ダイバーが取り囲んでの撮影会に、怯えてしまったのか身じろぎすらしない、それとも逆にダイバー馴れしているのか。<br />透き通って黄色く光る体はさながら海の宝石、そう言い切ってしまいたくなる。

    ビンの中に二匹、外に一匹。
    ダイバーが取り囲んでの撮影会に、怯えてしまったのか身じろぎすらしない、それとも逆にダイバー馴れしているのか。
    透き通って黄色く光る体はさながら海の宝石、そう言い切ってしまいたくなる。

  • 透明さなら誰にも負けない、下のサンゴが全く透けてしまっている。驚くほど透き通った体をしているアカホシカクレエビ。

    透明さなら誰にも負けない、下のサンゴが全く透けてしまっている。驚くほど透き通った体をしているアカホシカクレエビ。

  • マクロなダイビングは続く。<br />このサンゴは小さなヤドカリ達の集合住宅。

    マクロなダイビングは続く。
    このサンゴは小さなヤドカリ達の集合住宅。

  • 浅場に戻る途中、今日もいましたイエローのジョーフィッシュ。もうすっかりダイバー馴れした?

    浅場に戻る途中、今日もいましたイエローのジョーフィッシュ。もうすっかりダイバー馴れした?

  • 白化からやや色が戻りつつあるイソギンチャクとハマクマノミのコントラスト。<br />サンゴと違ってイソギンチャクは一度白化しても結構元に戻れるみたい。ハマクマノミってクマノミの中では一番攻撃的なイメージがあったのに、このハマクマノミの眼はなんてつぶら。

    白化からやや色が戻りつつあるイソギンチャクとハマクマノミのコントラスト。
    サンゴと違ってイソギンチャクは一度白化しても結構元に戻れるみたい。ハマクマノミってクマノミの中では一番攻撃的なイメージがあったのに、このハマクマノミの眼はなんてつぶら。

  • 淡く蛍光グリーンの光を放つジュズタマイソギンチャクが幻想的な雰囲気を醸し出す。先端の球が卵のようで何とはなく生命の輝きみたいなものを感じてしまう。ハマクマノミ(オス)のきれいに黄色く透けたヒレもいい感じ。

    淡く蛍光グリーンの光を放つジュズタマイソギンチャクが幻想的な雰囲気を醸し出す。先端の球が卵のようで何とはなく生命の輝きみたいなものを感じてしまう。ハマクマノミ(オス)のきれいに黄色く透けたヒレもいい感じ。

  • 11/26 2本目 牧場下(二回目)<br />昨日より若干はあたたかいはずなのに、水中とにかく寒かった。温かいところでばかり潜ってきて体が寒さに弱くなってるのかな。<br />ガイドの指示棒の先には今日もヒレナガネジリンボウがピコピコと。しかし期待していたヤシャハゼは今回は見られずじまい。

    11/26 2本目 牧場下(二回目)
    昨日より若干はあたたかいはずなのに、水中とにかく寒かった。温かいところでばかり潜ってきて体が寒さに弱くなってるのかな。
    ガイドの指示棒の先には今日もヒレナガネジリンボウがピコピコと。しかし期待していたヤシャハゼは今回は見られずじまい。

  • 砂に半身を潜らせ、岩に擬態しじっと獲物を待つオニダルマオコゼ。ぎょろりとした眼、大きく裂けた口、魚というよりRPGのモンスターに近い。でも高級魚らしい。

    砂に半身を潜らせ、岩に擬態しじっと獲物を待つオニダルマオコゼ。ぎょろりとした眼、大きく裂けた口、魚というよりRPGのモンスターに近い。でも高級魚らしい。

  • 岩の下の小さなオーバーハングを覗くとアオギハゼ達を見つけた。<br />オレンジ色のボディにメタリックブルーのライン、紫色の尻尾、色の鮮やかさではハゼの中でも屈指ではないかな。

    岩の下の小さなオーバーハングを覗くとアオギハゼ達を見つけた。
    オレンジ色のボディにメタリックブルーのライン、紫色の尻尾、色の鮮やかさではハゼの中でも屈指ではないかな。

  • イソギンチャクの白い毛布に埋もれて出てきたくないカクレクマノミ。とても気持ち良さそうだけど、これはイソギンチャクの毒に耐性のあるクマノミの特権。

    イソギンチャクの白い毛布に埋もれて出てきたくないカクレクマノミ。とても気持ち良さそうだけど、これはイソギンチャクの毒に耐性のあるクマノミの特権。

  • 11/26 3本目 名蔵湾スモールワールド<br />ラストは、今回のダイビングの締めにふさわしく小物尽くしの一本。<br />ウミシダをひっくり返すと爪先ほどの大きさのコマチコシオリエビ。宿主のウミシダに色を似せカムフラージュすることが多いコマチコシオリエビ、という訳でこの個体はエンジ色。

    11/26 3本目 名蔵湾スモールワールド
    ラストは、今回のダイビングの締めにふさわしく小物尽くしの一本。
    ウミシダをひっくり返すと爪先ほどの大きさのコマチコシオリエビ。宿主のウミシダに色を似せカムフラージュすることが多いコマチコシオリエビ、という訳でこの個体はエンジ色。

  • こちらはウミシダとの紅白のコントラストがきれいな白黒のコマチコシオリエビ、カムフラージュにはなっていないが。コマチコシオリエビはエビというより見た目はカニっぽい。

    こちらはウミシダとの紅白のコントラストがきれいな白黒のコマチコシオリエビ、カムフラージュにはなっていないが。コマチコシオリエビはエビというより見た目はカニっぽい。

  • エビ尽くしは続いて・・こちらはバサラカクレエビ。<br />紅白の縞模様がきれいで、これは形もいかにもエビっていう感じ。ただしその大きさはコマチコシオリエビよりもさらに小さなスーパーマクロ。まさにスモールワールド。

    エビ尽くしは続いて・・こちらはバサラカクレエビ。
    紅白の縞模様がきれいで、これは形もいかにもエビっていう感じ。ただしその大きさはコマチコシオリエビよりもさらに小さなスーパーマクロ。まさにスモールワールド。

  • スポット測光とライティングの為、暗い海をバックに、イソギンチャクの球が光って浮かび上がって、宇宙に浮かぶ惑星を連想させる。

    スポット測光とライティングの為、暗い海をバックに、イソギンチャクの球が光って浮かび上がって、宇宙に浮かぶ惑星を連想させる。

  • このイソギンチャクは白化しなかったのかな、蛍光グリーンに光って幻想的な雰囲気を醸し出す。どこかで見たことある色だなと考えみたら、これはケミカルライトの色だね。

    このイソギンチャクは白化しなかったのかな、蛍光グリーンに光って幻想的な雰囲気を醸し出す。どこかで見たことある色だなと考えみたら、これはケミカルライトの色だね。

  • 暗闇に遊泳するカクレクマノミ。<br />それにしても、このイソギンチャクのような色は地上の自然にはきっとないだろうな。水中世界は実は驚くほど色に満ちている。今回のダイビングの一番の発見はイソギンチャクの美しさを再認識したことかもしれない。

    暗闇に遊泳するカクレクマノミ。
    それにしても、このイソギンチャクのような色は地上の自然にはきっとないだろうな。水中世界は実は驚くほど色に満ちている。今回のダイビングの一番の発見はイソギンチャクの美しさを再認識したことかもしれない。

  • またエビに戻って・・、エンタイソギンチャクとイソギンチャクエビ。半透明な体がきれいな一品。

    またエビに戻って・・、エンタイソギンチャクとイソギンチャクエビ。半透明な体がきれいな一品。

  • エビ尽くしラストは、照明でミズタマサンゴがムードあるインテリアのようにあたたかに光る中、その体を浮かび上がらせるバブルコーラルシュリンプ。<br />体に走る紫のライン、脚、そしてピンと張ったひげが、凛とした感じできれいだ。

    エビ尽くしラストは、照明でミズタマサンゴがムードあるインテリアのようにあたたかに光る中、その体を浮かび上がらせるバブルコーラルシュリンプ。
    体に走る紫のライン、脚、そしてピンと張ったひげが、凛とした感じできれいだ。

  • 犬顔のコクテンフグ。<br />捕まえて膨らませようと思って追いかけるも、かなり素早い動きに断念。

    犬顔のコクテンフグ。
    捕まえて膨らませようと思って追いかけるも、かなり素早い動きに断念。

  • 例えるなら、生クリーム、ホワイトチョコ・・、お菓子を連想させる真っ白なイソギンチャクとカクレクマノミ。ショートケーキに例えれば、イソギンチャクがクリームなら、カクレクマノミはイチゴのポジションって感じ。

    例えるなら、生クリーム、ホワイトチョコ・・、お菓子を連想させる真っ白なイソギンチャクとカクレクマノミ。ショートケーキに例えれば、イソギンチャクがクリームなら、カクレクマノミはイチゴのポジションって感じ。

  • たくさんのクマノミを見たように思ったけど、振り返ってみたら種類はカクレとハマクマノミの二種類だけ。代わりにいろんな色・形のイソギンチャクが、バラエティ豊かなコラボレーションを見せてくれた今回のダイビング。<br /><br />運が良ければマンタも・・と欲をかいていたけど、マンタが見れなくても、天気が悪くても、冬の石垣の海もなかなか楽しませてくれた、そう思えた今回のダイビングでした。<br />  〜07年11月石垣島ダイビングログ・おわり〜

    たくさんのクマノミを見たように思ったけど、振り返ってみたら種類はカクレとハマクマノミの二種類だけ。代わりにいろんな色・形のイソギンチャクが、バラエティ豊かなコラボレーションを見せてくれた今回のダイビング。

    運が良ければマンタも・・と欲をかいていたけど、マンタが見れなくても、天気が悪くても、冬の石垣の海もなかなか楽しませてくれた、そう思えた今回のダイビングでした。
      〜07年11月石垣島ダイビングログ・おわり〜

この旅行記のタグ

関連タグ

3いいね!

利用規約に違反している投稿は、報告する事ができます。 問題のある投稿を連絡する

コメントを投稿する前に

十分に確認の上、ご投稿ください。 コメントの内容は攻撃的ではなく、相手の気持ちに寄り添ったものになっていますか?

サイト共通ガイドライン(利用上のお願い)

報道機関・マスメディアの方へ 画像提供などに関するお問い合わせは、専用のお問い合わせフォームからお願いいたします。

旅の計画・記録

マイルに交換できるフォートラベルポイントが貯まる
フォートラベルポイントって?

フォートラベル公式LINE@

おすすめの旅行記や旬な旅行情報、お得なキャンペーン情報をお届けします!
QRコードが読み取れない場合はID「@4travel」で検索してください。

\その他の公式SNSはこちら/

タグから国内旅行記(ブログ)を探す

PAGE TOP