慶良間諸島旅行記(ブログ) 一覧に戻る
本日も穏やかな海・・・<br />そして本日は300本の記念ダイブの日♪<br />しかし・・・<br /><br />

恒例?秋の沖縄旅行(記念ダイブ編)

12いいね!

2007/10/25 - 2007/10/30

937位(同エリア1669件中)

11

24

ジュリまま

ジュリままさん

本日も穏やかな海・・・
そして本日は300本の記念ダイブの日♪
しかし・・・

  • なんとピックアップ忘れられました!<br />8:15のピックアップなのに<br />8:30を過ぎても来ない・・・<br />さすがに出港が遅れてやばいだろーと思っていたら<br />スタッフからすいません電話がかかってきた。<br />で、私以外にも2ヶ所、3名のピックアップを<br />忘れてたそーです!(爆)<br />

    なんとピックアップ忘れられました!
    8:15のピックアップなのに
    8:30を過ぎても来ない・・・
    さすがに出港が遅れてやばいだろーと思っていたら
    スタッフからすいません電話がかかってきた。
    で、私以外にも2ヶ所、3名のピックアップを
    忘れてたそーです!(爆)

  • しかも、この日の1本目が300本目だったんですが<br />ガイドが記念写真を水中で撮り忘れ<br />もぉフィン脱いで、船の上がろうとしてるとこを<br />無理やり水中に戻されました・・・<br />んで、片方だけ手で持ってたフィンを<br />強引に履かされ記念撮影!(爆)<br />

    しかも、この日の1本目が300本目だったんですが
    ガイドが記念写真を水中で撮り忘れ
    もぉフィン脱いで、船の上がろうとしてるとこを
    無理やり水中に戻されました・・・
    んで、片方だけ手で持ってたフィンを
    強引に履かされ記念撮影!(爆)

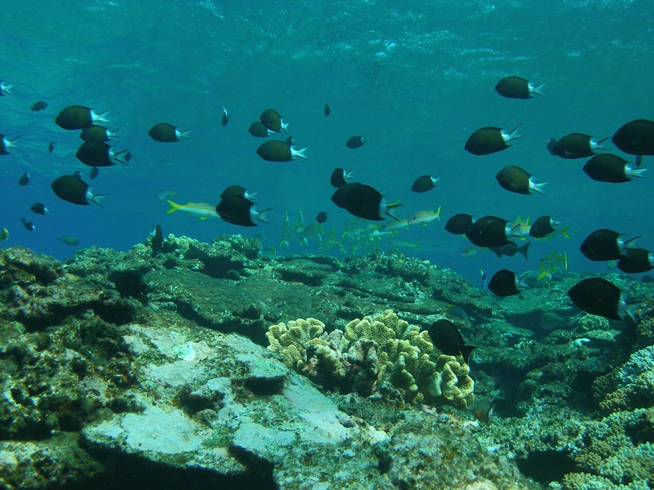
  • めっちゃ透明度いいよぉ〜

    めっちゃ透明度いいよぉ〜

  • ヒメテングハギ。<br />ワイコンで撮ればよかった・・・

    ヒメテングハギ。
    ワイコンで撮ればよかった・・・

  • ここで深度30mぐらいですかね・・・

    ここで深度30mぐらいですかね・・・

  • かなりお天気回復しました!<br />ボートの2階でお弁当たべると<br />日焼けしそーなくらいです・・・

    かなりお天気回復しました!
    ボートの2階でお弁当たべると
    日焼けしそーなくらいです・・・

  • ウミウサギ貝とその卵。<br />貝2つと卵をワンフレームに入れると<br />あんままとまりないなぁ〜

    ウミウサギ貝とその卵。
    貝2つと卵をワンフレームに入れると
    あんままとまりないなぁ〜

  • アカヒメジの群れ

    アカヒメジの群れ

  • イロブダイの幼魚。<br />正面から見るとかなりマヌケな顔・・・(w

    イロブダイの幼魚。
    正面から見るとかなりマヌケな顔・・・(w

  • しっぱの幅がないので<br />足が短いみたいでかわいい・・・(w

    しっぱの幅がないので
    足が短いみたいでかわいい・・・(w

  • ミカヅキツバメウオ

    ミカヅキツバメウオ

  • この子がとっても人懐っこくて<br />みんなの間をふわふわと泳いでました。<br />超かわいー♪

    この子がとっても人懐っこくて
    みんなの間をふわふわと泳いでました。
    超かわいー♪

  • 『遊んでくれてありがと<br /> 飽きたから帰るね。<br /> バイバーイ!』

    『遊んでくれてありがと
     飽きたから帰るね。
     バイバーイ!』

  • ハナビラクマノミ

    ハナビラクマノミ

  • こちらは普通のツバメウオ

    こちらは普通のツバメウオ

  • 中途半端なカクレクマノミ<br />今回はあまり会う機会もなく<br />しかもあまり良い写真も撮れなかった・・・(T_T)

    中途半端なカクレクマノミ
    今回はあまり会う機会もなく
    しかもあまり良い写真も撮れなかった・・・(T_T)

  • 1日3本×4日で<br />トータル12本潜りました!<br />大好きな慶良間で記念ダイブを<br />迎えることができてほんとによかった・・・<br />大満足ですっ♪

    1日3本×4日で
    トータル12本潜りました!
    大好きな慶良間で記念ダイブを
    迎えることができてほんとによかった・・・
    大満足ですっ♪

  • 一緒に潜った人達+ガイドさん達と<br />300本記念ダイブの飲み会!<br />ま、平日なんで<br />すっごい人数は少ないんですけどねぇ〜(^^;<br />

    一緒に潜った人達+ガイドさん達と
    300本記念ダイブの飲み会!
    ま、平日なんで
    すっごい人数は少ないんですけどねぇ〜(^^;

  • アグー・・・だったと思う。<br />

    アグー・・・だったと思う。

  • サザエのつぼ焼きがあったので注文したけど<br />伊豆なんかで出てくるものとは<br />まったくサイズが違いました・・・<br />おいしかったけどね♪<br />

    サザエのつぼ焼きがあったので注文したけど
    伊豆なんかで出てくるものとは
    まったくサイズが違いました・・・
    おいしかったけどね♪

  • ガイドさんに300本記念に<br />ミナミハコフグのガラス細工貰いました♪<br />かわいい・・・(^^*<br />

    ガイドさんに300本記念に
    ミナミハコフグのガラス細工貰いました♪
    かわいい・・・(^^*

この旅行記のタグ

関連タグ

12いいね!

利用規約に違反している投稿は、報告する事ができます。 問題のある投稿を連絡する

この旅行記へのコメント (11)

開く

閉じる

  • ポチポチさん 2007/11/24 17:03:18
    祝300本ダイブ!
    遅ればせながら、300本ダイブおめでとうございます!!
    すごい本数ですね。こうなったら、目指せ500本です。
    まるでガイド並だ〜。

    記念ダイブだというのに、ショップのチョンボはちょっとヒドイですね〜。でも常連だから、怒るに怒れなかったのでは....。お察しします...。

    ポチポチ





    ジュリまま

    ジュリままさん からの返信 2007/11/25 16:40:49
    ありがとーございます!
    今年は結構な本数潜ってますねー
    沖縄も台風の影響なく1日3本潜ってるんで
    300本達成できたんだと思います。
    もともとリゾートダイバーを目指してランセンス取ったんで
    ゆるゆるとやっていこーと思います。
    女性でストイックなのはちょっとねぇ〜(^^;

    じつはガイドが達成日を間違えて前日の3日目にラミプレート作ってたんですよー
    日付にテプラ貼られてるのかなーって思ったら
    律儀に翌日の日付で新たに作ってくれました・・・(w


    ジュリまま
  • akicさん 2007/11/12 23:40:45
    祝☆300本!
    こんばんみ!
    akicです〜♪

    300本記念ダイブ、
    無事に沖縄で迎えられてよかったですね(^0^)
    ピックアップ忘れに記念撮影忘れ?!
    記念すべきダイブに笑いネタ(?)まで追加で
    更に忘れられない記念になったのでは〜♪

    写真もすばらしい透明度で、美しすぎますね。
    水に恐怖心がある自分が恨めしいです。
    人懐っこいお魚なんて居るんだ!
    カワイイですねぇ!

    また400本目まで素敵な旅行記よろしくでーす!

    akic

    ジュリまま

    ジュリままさん からの返信 2007/11/13 11:46:02
    RE: 祝☆300本! ⇒ あざーすっ!
    もーね、ネタ満載の記念ダイブでしたわぁ〜
    これで私の武勇伝は増えたかもしれん・・・
    (すでに2つほど永遠に言われるネタを提供済み・・・(-_-||| )

    透明度の良い日は深度50m以上の水底まで見えるんだよー
    気持ち良過ぎて水底まで吸い込まれちゃいそーなくらい・・・

    400本か・・・3年後かな?(w
    慶良間希望!


    ジュリまま
  • ralphinさん 2007/11/12 21:57:49
    300本記念!
    こんばんにゃ〜。

    祝!300本!おめでとうごじゃります〜♪
    記念ダイブなのにピックアップされ忘れた!?
    記念写真まで・・・。
    でもハプニングあった方が、思い出に残っていいかも!?

    海の中は綺麗だし、お魚いっぱいじゃないですか〜〜
    お魚たちも300本記念をお祝いしているかのようです♪
    ウミウサギ貝、初めて見ました!
    ミカヅキツバメウオって結構大きい?
    こういうの見れると潜った甲斐ありますね〜。
    いいなぁ。やっぱり体験してみたいなぁ。

    ところで300本とは何年がかりなんですか?
    きっとペース早いんだろーな。
    よい記念ダイブになったみたいで良かった!!

    私はあまりくじ運よくないです。こないだの宿泊券のみ・・・
    ralphin

    ジュリまま

    ジュリままさん からの返信 2007/11/13 11:41:47
    RE: 忘れられました・・・(T_T)
    あたしだけ忘れられたのかと思ったら他もいた!(爆)
    そこが救いです・・・

    ウミウサギ貝はいじくってると
    真ん中が割れて大きな真珠のような白い中身が出てくるのだ!
    1個だけクローズアップで撮ればよかったなーと後悔してます。
    沖縄は体験でもこれぐらいの海に潜れまっせ!(^皿^
    ぜひぜひお試しくださいませ・・・

    ダイビングライセンス取ったの1996年。
    あれから11年ってことですねー
    行かないときは年に6本しか潜らないときもありました。
    こんなに潜るようになったのは沖縄に通うようになってから・・・
    同じポイントに潜ってもその日の状況で全然違うので
    何度潜ってもまったく飽きません!

    友達の友達(金持ち)は昔、年末ジャンボが当たったそーです。
    お金ってお金のあるとこに集まるらしー


    ジュリまま
  • 義臣さん 2007/11/12 17:14:06
    30メートル
    お久しぶりです
    相変わらずの沖縄、、海中写真も手馴れて綺麗に写ってますね。
    水面下30メートル、、潜れるなんて 恐ろしい、、

    300本達成おめでとう。

    想像外の世界の話のようで、、

                 義臣

    ジュリまま

    ジュリままさん からの返信 2007/11/13 11:34:34
    RE: 30メートル
    義臣さん、ご無沙汰してます!
    水中写真用に外部ストロボと、ワイコン、クローズアップレンズを買いました。
    なので以前よりはマシな水中写真になってると思います。
    ただいろいろ設定が大変で、まだ慣れてなくてオタオタしてます・・・
    透明度のいい日は水深50mぐらいまで見えるので
    どこまでも沈んでいきそーですよ。

    ジュリまま
  • fairyさん 2007/11/12 09:11:47
    祝!!300本!!!
    ジュリままさん、300本おめでとうございます〜〜〜!!!

    大好きな慶良間でのメモリアルダイビング、逆算もしっかり予定通り、良かったですね〜(*^^)

    しかし、ハプニング、ごめんなさい、ちょっと笑ってしまった(^ー^* )フフ♪
    おかげでまた忘れられないメモリアルになりましたね。

    3日目のイソマグロの群れ、良いですねぇ〜〜♪
    慶良間って癒し系の海ってイメージでしたが、流れも強かったり大物も見れるんですね。
    ワイコン効果もバッチリですね!
    広角の写真がとっても素敵です(*^^)
    ウミウシとかはクローズアップつけてたんですよね?
    カメラの設定を色々触ってたら写真が撮れなかった、っていうの、すっごく分かります。
    私もいつもの設定から冒険してみると、毎度そんな感じです。
    そんな冒険をしつつ潜るのがまた楽しいですけどね♪

    沖縄の海の蒼さに感動のfairyでした。

    ジュリまま

    ジュリままさん からの返信 2007/11/12 10:20:46
    RE: 祝!!300本!!!⇒あざーす!
    fairyさん、ありがとうございますっ♪
    逆算バッチリで記念ダイブを慶良間で迎えられてよかったです!
    珊瑚の植え付けを我慢した甲斐がありました・・・

    ガイドが記念ダイブの日を間違えたのはいーんだけど
    さすがにピックアップ忘れはねぇ〜(^^;
    私だけじゃなかったのが救いです・・・

    慶良間の外洋ポイントは海洋状態が良くて
    お客のレベルが揃ってないと行けないんですよ。
    正直、イソマグロが出た2本目のときは
    一緒に潜ってた初級者さん達にはお休みしてもらってました。
    彼らがいたらマグロの群れは追っかけられなかったです。
    なんせエアがもたなくて1本目30分でエギジットだったもんで・・・(^^;

    レンズ替えたり、絞り調整したり
    カメラをバージョンアップしたらやること多くてオタオタです!
    『迷ったらAutoにしろ!あとはカメラがしてくれる!』って
    ガイドには言われました!(爆)


    カメラ修行中のジュリまま
  • パパスさん 2007/11/09 12:29:28
    祝300本♪
    300回記念ダイブ♪
    おめでとうさんだす。

    3日目が一番良かったとの事だすが、この日も中々よさげだすね。

    でも時間になってもピックアップされなかったのはビックリだすな!

    無事潜れて良かっただす。
    これで置き去りにされたら泣くに泣けないだすな。

    パパス。

ジュリままさんのトラベラーページ

コメントを投稿する前に

十分に確認の上、ご投稿ください。 コメントの内容は攻撃的ではなく、相手の気持ちに寄り添ったものになっていますか?

サイト共通ガイドライン(利用上のお願い)

報道機関・マスメディアの方へ 画像提供などに関するお問い合わせは、専用のお問い合わせフォームからお願いいたします。

旅の計画・記録

マイルに交換できるフォートラベルポイントが貯まる
フォートラベルポイントって?

フォートラベル公式LINE@

おすすめの旅行記や旬な旅行情報、お得なキャンペーン情報をお届けします!
QRコードが読み取れない場合はID「@4travel」で検索してください。

\その他の公式SNSはこちら/

タグから国内旅行記(ブログ)を探す

PAGE TOP