慶良間諸島旅行記(ブログ) 一覧に戻る
沖縄に来たんですから<br />もちろんダイビングはします!<br />水温は20℃前後だけどねぇ〜(^^;<br /><br />ポイント:<br />ドラゴンレディ(座間味)<br />七番岬(座間味)<br />六番岬(牛の島)<br />

クジラを見る旅 4th(2日目:ダイビング編)

9いいね!

2007/03/18 - 2007/03/21

1110位(同エリア1675件中)

6

28

ジュリまま

ジュリままさん

沖縄に来たんですから
もちろんダイビングはします!
水温は20℃前後だけどねぇ〜(^^;

ポイント:
ドラゴンレディ(座間味)
七番岬(座間味)
六番岬(牛の島)

  • まずはクマノミがカメラ目線でお出迎え!<br />カメラ目線ってことは<br />正面なのでダメダメだね〜<br />

    まずはクマノミがカメラ目線でお出迎え!
    カメラ目線ってことは
    正面なのでダメダメだね〜

  • コノハガニ<br />

    コノハガニ

  • ミナミホタテウミヘビ<br />

    ミナミホタテウミヘビ

  • ナマコとダイバー<br /><br />こーするとナマコの大きさもわかるでしょ!(w

    ナマコとダイバー

    こーするとナマコの大きさもわかるでしょ!(w

  • 『彼女が水着に着替えたら』って映画を<br />ご存知の方はどれだけいるんでしょーか?<br /><br />あれは茅ヶ崎(だっけ?)の海に<br />財宝が眠ってるって<br />内容だったんですが<br />実際の撮影に使われたのはここです!<br /><br />で、映画にも登場する<br />ドラゴンレディの羽<br /><br />今は残骸のよーです・・・(^^;<br />

    『彼女が水着に着替えたら』って映画を
    ご存知の方はどれだけいるんでしょーか?

    あれは茅ヶ崎(だっけ?)の海に
    財宝が眠ってるって
    内容だったんですが
    実際の撮影に使われたのはここです!

    で、映画にも登場する
    ドラゴンレディの羽

    今は残骸のよーです・・・(^^;

  • ミドリリュウキュウウミウシ

    ミドリリュウキュウウミウシ

  • やっぱ濁ってるなー<br />スコーンと抜ける青じゃない・・・<br />

    やっぱ濁ってるなー
    スコーンと抜ける青じゃない・・・

  • エビ天国!<br />5匹います・・・(w<br />

    エビ天国!
    5匹います・・・(w

  • ・・・また真正面!(><)<br />

    ・・・また真正面!(><)

  • マダライロウミウシ<br />LOVE♪<br />

    マダライロウミウシ
    LOVE♪

  • お天気はこんな感じです・・・<br />雨ではないけどすごい暗い。<br />海の中も暗いんで困るのよねぇ〜<br />

    お天気はこんな感じです・・・
    雨ではないけどすごい暗い。
    海の中も暗いんで困るのよねぇ〜

  • 2本目はさっそくアオウミガメとご対面!<br />

    2本目はさっそくアオウミガメとご対面!

  • 体長よりもデカいコバンザメがくっついてます。

    体長よりもデカいコバンザメがくっついてます。

  • もっと大きなカメにすればいいのに・・・<br />おかげで泳ぐの遅くなってるよ・・・(^^;<br />

    もっと大きなカメにすればいいのに・・・
    おかげで泳ぐの遅くなってるよ・・・(^^;

  • さらに大きなアオウミガメと遭遇

    さらに大きなアオウミガメと遭遇

  • デカいので悠然としてます・・・<br />

    デカいので悠然としてます・・・

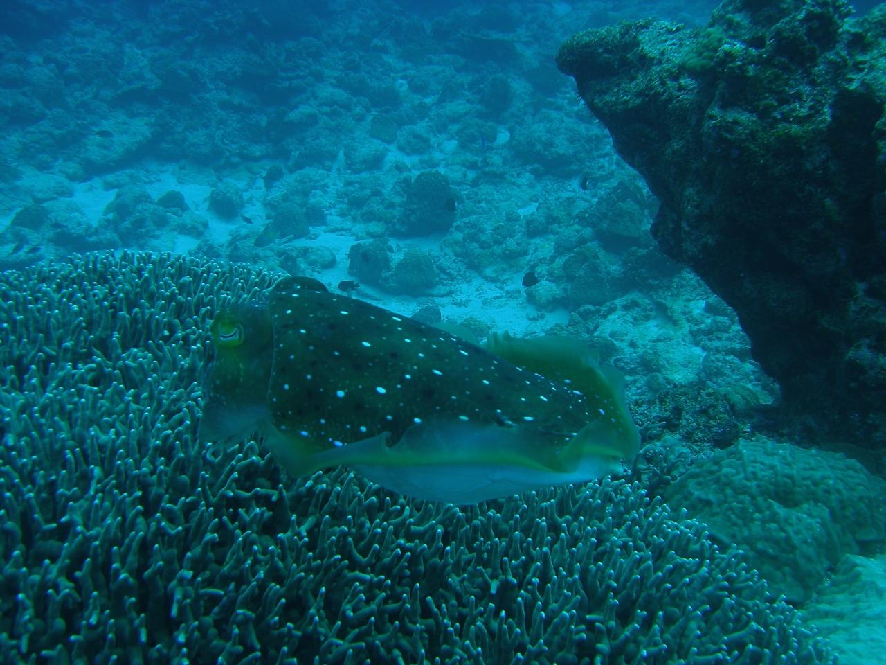
  • コブシメ発見!<br />1年ぶりの再会!!!

    コブシメ発見!
    1年ぶりの再会!!!

  • サンゴに卵を産むメスとそれを守るオス<br />さらに隙あらば交尾を狙う別のオス<br />で、オスのケンカ<br /><br />オスの威嚇行動で<br />こんな感じに変形(変色)します。<br />

    サンゴに卵を産むメスとそれを守るオス
    さらに隙あらば交尾を狙う別のオス
    で、オスのケンカ

    オスの威嚇行動で
    こんな感じに変形(変色)します。

  • オス達はメスを狙ってますが・・・

    オス達はメスを狙ってますが・・・

  • コブシメを狙うのはオスだけではありません。<br />人間のカメラマンとかね・・・(w<br />

    コブシメを狙うのはオスだけではありません。
    人間のカメラマンとかね・・・(w

  • そんなことに目もくれず<br />メスは産卵に夢中!

    そんなことに目もくれず
    メスは産卵に夢中!

  • ピントは合ってませんが<br />こんな感じになるんだよーって参考まで・・・<br /><br />注:拡大するべからず!

    ピントは合ってませんが
    こんな感じになるんだよーって参考まで・・・

    注:拡大するべからず!

  • お天気なかなか回復しませんねぇ〜

    お天気なかなか回復しませんねぇ〜

  • 2本目がカメとコブシメ天国だったので<br />3本目は不発です・・・<br />

    2本目がカメとコブシメ天国だったので
    3本目は不発です・・・

  • しかもバッテリーが上がっちゃったんで<br />騙し騙し撮れたのはこんな程度のもの・・・(^^;<br />

    しかもバッテリーが上がっちゃったんで
    騙し騙し撮れたのはこんな程度のもの・・・(^^;

  • 本日は一緒に潜ったダイバーさんと<br />居酒屋で夕食でした!<br />ひさしぶりで沖縄料理と泡盛を堪能♪

    本日は一緒に潜ったダイバーさんと
    居酒屋で夕食でした!
    ひさしぶりで沖縄料理と泡盛を堪能♪

この旅行記のタグ

関連タグ

9いいね!

利用規約に違反している投稿は、報告する事ができます。 問題のある投稿を連絡する

この旅行記へのコメント (6)

開く

閉じる

  • ralphinさん 2007/06/26 22:17:11
    お魚の群れ
    こんばんは。
    やっぱり、海の中は未知の世界です〜。
    ダイビングって誰でも出来るもんなんですか?
    私がやったらビビリから入るから、写真なんてとても無理そう!
    コブシメって不思議な魚ですね。タコかと思いました。
    しかし、沢山お魚の名前知ってますね。
    やってれば必然に覚えてくって感じですか?
    「彼女が水着には…」は見た気がしますが、内容は忘れちゃってますね。
    なので、ドラゴンレディの羽も。。。
    昔は財宝だったんですか?

    そうJALのマイレージ調べたら、国内は一律15000マイルなんですよね。
    沖縄行くなら、これしかない!って思いました。
    そうなんだーソウル行くよりも沖縄の方が距離あるんですか。
    よっしゃー頑張って貯めるぞー!!
    じゃあ、ジュリまま先生の指導で初ダイビングかな?(爆)
    ralphin

    ジュリまま

    ジュリままさん からの返信 2007/06/27 10:42:46
    RE: 『リトルマーメイド』の世界かな?
    でもセバスチャンもフランダーもいないけどね・・・(爆)
    体験ダイビングはすぐできますよ。
    沖縄だと一般ダイバーと一緒の船で
    良いポイントに連れてってくれるから楽しいですよ。
    すごいきれいなんで怖いなんて忘れちゃいますよ!(w
    私の利用してるショップはガイドがカメラ持って行くんで
    写真撮ってもらうことも可能です。(有料だけどね・・・)
    データで買って年賀状とかにするのも可能なのよ♪
    サカナの名前は潜ってるうちに覚えますね。
    ○○系とか、●●の仲間とかそのうちわかるよーになりますよ。
    コブシメはイカですが、あのぽっちゃりとした体型がキュートなの♪

    『彼女が水着に着替えたら・・・』は
    『私をスキーに連れてって』のシリーズ版でしたね・・・(w
    マウイでお世話になったお宿のママさんは
    『彼女が・・・』でダイバーとして出ているのだ!
    ドラゴンレディはただの水中に沈んでるゼロ戦なのですが
    映画ではあそこに財宝があるって設定でしたね。
    台風の度に流されて、どんどんショボくなってるそーです・・・

    もしJALマイラーなのなら『おともでマイル』ですぐ行けまっせ!(^皿^
    私はまだトライしたことないんですが、2週間前でも意外と取れるらしー
    成田-ソウルより、羽田-那覇のほーがマイル稼げますっ!
    それってどーなのよー?!


    ジュリまま

    PS:上司に『ハワイに行く時、ダイビングのガイドして!で、娘撮って!』とリクエストされた・・・(-_-|||
  • ちょめたんさん 2007/04/02 19:49:15
    コブシメってはじめて見ただす。
    表紙ではタコかなと思っただす。大亀も怖くないだすか?ジュリままさんは 本当に乙姫様だすな!!
  • パパスさん 2007/03/30 12:23:02
    沖縄の海。
    天気が今一で残念あるね!
    でも沢山の写真が撮れて良かっただすなぁ!

    ビックリすたのはナマコの大きさだす。
    あんなに大きいのだすか?

    そすて
    >ピントは合ってませんが
    >こんな感じになるんだよーって参考まで・・・

    >注:拡大するべからず!

    なぁんてコメントが有れば拡大したくなるのは人間心理だすよ!
    中々上手く撮れてるだす。

    一日に3本も潜った後の沖縄料理&泡盛は格別美味しいだしょうなぁ!

    パパス。
  • akicさん 2007/03/30 12:22:25
    沖縄!!!
    こんにちは!
    akicです。お邪魔します。

    沖縄だぁ〜!
    大好きなんですぅ!
    いつか住むかもしれないから三線も習ってます(笑)
    ダイビングされるんですね☆
    羨ましいな〜!私は泳げないので無理(^^;
    慶良間の海とても綺麗…(ため息)

    猫ちゃんも沢山いるんですね〜
    3月の日本とは思えない暖かな気候が伝わってきました。
    くじらに会う旅ということは、会えたのでしょうか♪
    続編楽しみにしてます。

    P.S ジュリちゃんはお星様だったのですね…
      私も昔ジャンガリアンハムスタ飼ってたので思い出します。
      ご近所に可愛いワン友いるの羨ましい!
        

    ジュリまま

    ジュリままさん からの返信 2007/03/30 15:54:27
    RE: 沖縄!!!
    akicさん、ご訪問&カキコありがとーございます!

    akicさんも沖縄大好きですか!!?
    しかも移住計画あり・・・(w
    私は年金受給者になったら移住と思ってます。
    そんときはご近所になりましょー!(爆)

    ダイビングはかれこれ10年以上の趣味になりました。
    写真はやっと去年始めたんで下手なんですけどねぇ〜
    慶良間の海は世界一きれいな海だと思いますよ。
    体験ダイビングとか、シュノーケリングで
    ぜひ一度慶良間の海を体感してみてください!

    暖かい気候のせいか沖縄はネコの宝庫です!
    私には猫センサーがあるので、すぐ発見可能・・・(w
    そして一度出現したとこはしっかりメモリーに記録されてます。(爆)

    クジラにはバッチリ会ってます!
    クジラは最終日なので、もーちょっと後ね・・・


    ジュリまま

    PS:ご近所のゴールデンはなんと座敷犬!
      お散歩の後、足を洗って家にあがるんですが
      私と目が合うと道路に出てきて、また足を洗う羽目・・・
      ご主人さまは微妙な顔をしてます・・・(^^;

ジュリままさんのトラベラーページ

コメントを投稿する前に

十分に確認の上、ご投稿ください。 コメントの内容は攻撃的ではなく、相手の気持ちに寄り添ったものになっていますか?

サイト共通ガイドライン(利用上のお願い)

報道機関・マスメディアの方へ 画像提供などに関するお問い合わせは、専用のお問い合わせフォームからお願いいたします。

旅の計画・記録

マイルに交換できるフォートラベルポイントが貯まる
フォートラベルポイントって?

フォートラベル公式LINE@

おすすめの旅行記や旬な旅行情報、お得なキャンペーン情報をお届けします!
QRコードが読み取れない場合はID「@4travel」で検索してください。

\その他の公式SNSはこちら/

タグから国内旅行記(ブログ)を探す

PAGE TOP