慶良間諸島旅行記(ブログ) 一覧に戻る
座間味島でのダイビングです。朝一番のくいーんざまみは満席で今回はフェリーを利用しました。到着後はすぐにダイビングへGOです。お天気にもめぐまれた素敵な海を楽しめました。海の中ばっかりの写真です。時々食べ物

2018 一年ぶりの座間味島ダイビング ダイビング編

13いいね!

2018/07/13 - 2018/07/17

890位(同エリア1668件中)

0

46

kaz

kazさん

座間味島でのダイビングです。朝一番のくいーんざまみは満席で今回はフェリーを利用しました。到着後はすぐにダイビングへGOです。お天気にもめぐまれた素敵な海を楽しめました。海の中ばっかりの写真です。時々食べ物

旅行の満足度
5.0
同行者
カップル・夫婦
交通手段
レンタカー JALグループ
旅行の手配内容
個別手配
  • 泊港から座間味島へ向けて出発です!良いお天気で気持ちがいいです。

    泊港から座間味島へ向けて出発です!良いお天気で気持ちがいいです。

  • もうすぐ座間味島に到着です

    もうすぐ座間味島に到着です

  • エントリーしてすぐに「あおうみがめちゃん」に出会いました

    エントリーしてすぐに「あおうみがめちゃん」に出会いました

  • お食事中の「あかうみがめちゃん」発見

    お食事中の「あかうみがめちゃん」発見

  • お食事タイム終了です

    お食事タイム終了です

  • ウミウシのお見合い

    ウミウシのお見合い

  • そろそろと近づいて仲良くなりました

    そろそろと近づいて仲良くなりました

  • あおうみがめちゃん近い。後ろに派手派手ウエット

    あおうみがめちゃん近い。後ろに派手派手ウエット

  • あおうみがめちゃん可愛い

    あおうみがめちゃん可愛い

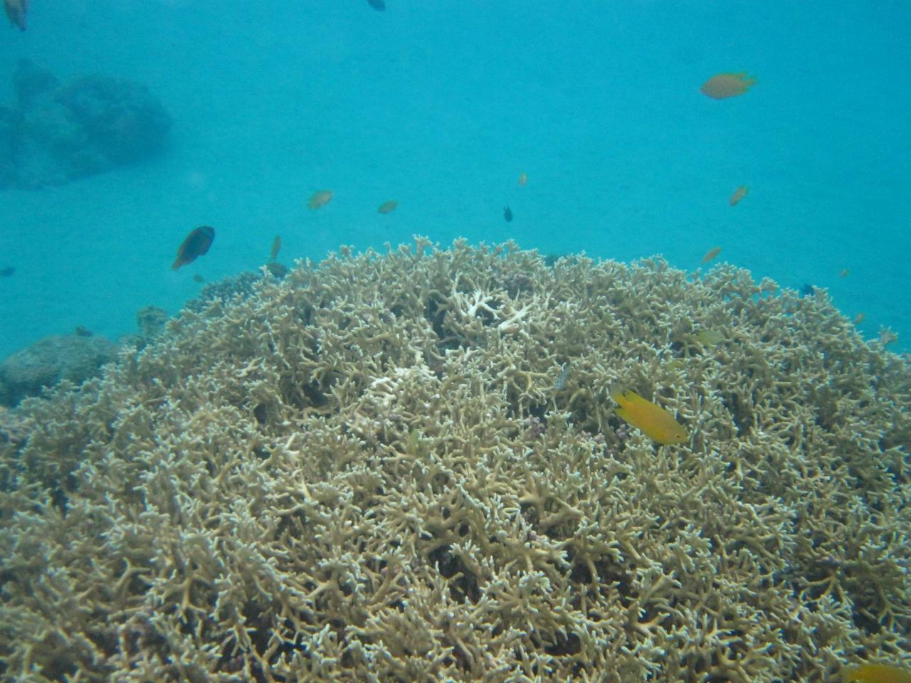
  • 座間味の珊瑚は元気にしています

    座間味の珊瑚は元気にしています

  • ザ・サンゴ礁

    ザ・サンゴ礁

  • 今晩のおさしみはカツオです

    今晩のおさしみはカツオです

  • 今日も良いお天気です

    今日も良いお天気です

  • 鉄の棒に珊瑚がびっしりと元気です

    鉄の棒に珊瑚がびっしりと元気です

  • デバスズメダイとダイバー

    デバスズメダイとダイバー

  • かめちゃんと一緒に泳げる幸せ

    かめちゃんと一緒に泳げる幸せ

  • 海の中では早いです

    海の中では早いです

  • 岩場で休憩中のかめちゃん

    岩場で休憩中のかめちゃん

  • 呼吸するために浮上します

    呼吸するために浮上します

  • 今晩のお刺身はイロブダイ。顔は怖いけど、あっさりとした美味しさです

    今晩のお刺身はイロブダイ。顔は怖いけど、あっさりとした美味しさです

  • 綺麗な水色のデバスズメダイ

    綺麗な水色のデバスズメダイ

  • 小さいクマノミ

    小さいクマノミ

  • クマノミのコロニー

    クマノミのコロニー

  • ガラスハゼ。メダカほどの大きさです

    ガラスハゼ。メダカほどの大きさです

  • かめちゃんだ~

    かめちゃんだ~

  • 一緒に泳げる幸せ

    一緒に泳げる幸せ

  • キンメモドキノ群れです

    キンメモドキノ群れです

  • ウミヘビとミノカサゴの組み合わせって・・・

    ウミヘビとミノカサゴの組み合わせって・・・

  • 北浜とかいてニシバマと読みます。綺麗な砂地

    北浜とかいてニシバマと読みます。綺麗な砂地

  • いつ見ても遺跡に見えるけど

    いつ見ても遺跡に見えるけど

  • この波が削ったそうです

    この波が削ったそうです

  • 遺跡っぽい

    遺跡っぽい

  • ハタタテハゼ

    ハタタテハゼ

  • ランチはまるみやさんの日替わり定食です。巨大ラフテー

    ランチはまるみやさんの日替わり定食です。巨大ラフテー

  • かめさんに食べられる。じゃなくておこぼれを狙っています

    かめさんに食べられる。じゃなくておこぼれを狙っています

  • むしゃむしゃ

    むしゃむしゃ

  • チーターウミウシ

    チーターウミウシ

  • ダイビングが終わって古座間味ビーチでスノーケリングします。もう4時なのに明るいね~

    ダイビングが終わって古座間味ビーチでスノーケリングします。もう4時なのに明るいね~

  • ビーチでも十分に綺麗です

    ビーチでも十分に綺麗です

  • 珊瑚も元気やね

    珊瑚も元気やね

  • ハマクマノミもいました

    ハマクマノミもいました

  • 1時間30分程スノーケリングしていました

    1時間30分程スノーケリングしていました

  • ウチナンチューのビールはオリオン

    ウチナンチューのビールはオリオン

  • 古座間味ビーチでまったりもいいですね

    古座間味ビーチでまったりもいいですね

  • それでは古座間味ビーチとお別れです

    それでは古座間味ビーチとお別れです

  • 今晩のお刺身はなんと高級な夜光貝とヅケマグロです。<br />明日は那覇でうろうろしてから帰ります

    今晩のお刺身はなんと高級な夜光貝とヅケマグロです。
    明日は那覇でうろうろしてから帰ります

13いいね!

利用規約に違反している投稿は、報告する事ができます。 問題のある投稿を連絡する

コメントを投稿する前に

十分に確認の上、ご投稿ください。 コメントの内容は攻撃的ではなく、相手の気持ちに寄り添ったものになっていますか?

サイト共通ガイドライン(利用上のお願い)

報道機関・マスメディアの方へ 画像提供などに関するお問い合わせは、専用のお問い合わせフォームからお願いいたします。

旅の計画・記録

マイルに交換できるフォートラベルポイントが貯まる
フォートラベルポイントって?

フォートラベル公式LINE@

おすすめの旅行記や旬な旅行情報、お得なキャンペーン情報をお届けします!
QRコードが読み取れない場合はID「@4travel」で検索してください。

\その他の公式SNSはこちら/

タグから国内旅行記(ブログ)を探す

価格.com旅行・トラベルホテル・旅館を比較

PAGE TOP