カンクン旅行記(ブログ) 一覧に戻る
今回の旅のテーマは、カンクンでダイビングと遺跡観光でした。<br /><br />体調が余り良くなかったので、ダイビングをどうするか決めかねての出発でした。<br />実際に現地に来てみて海を見ていると、ダイビングをしないで帰ったらこれは悔いが残ると思い、ダイビングを決行する事にしました。<br /><br />街歩きをしていて、現地の観光会社の案内所で目についたダイビングのポスターに引かれて店内に入ると、ほとんど決めている感じで話を聞いていて、決めていました。<br /><br />次の日の遺跡観光の話が出ると話が進んでこれも行く事にして、セットで割引価格となり、得した気分で店を出る事になりました。<br />

カンクン、ダイビング編。

23いいね!

2016/02/02 - 2016/02/10

223位(同エリア1899件中)

0

31

gashou

gashouさん

今回の旅のテーマは、カンクンでダイビングと遺跡観光でした。

体調が余り良くなかったので、ダイビングをどうするか決めかねての出発でした。
実際に現地に来てみて海を見ていると、ダイビングをしないで帰ったらこれは悔いが残ると思い、ダイビングを決行する事にしました。

街歩きをしていて、現地の観光会社の案内所で目についたダイビングのポスターに引かれて店内に入ると、ほとんど決めている感じで話を聞いていて、決めていました。

次の日の遺跡観光の話が出ると話が進んでこれも行く事にして、セットで割引価格となり、得した気分で店を出る事になりました。

旅行の満足度
4.5
同行者
一人旅
交通手段
旅行の手配内容
個別手配
  • マリーナに到着。

    マリーナに到着。

  • このマリーナから出発です。

    このマリーナから出発です。

  • ダイビングポイントに向かいます。

    ダイビングポイントに向かいます。

  • 遠くにホテルゾーンの豪華なホテルが見えています。

    遠くにホテルゾーンの豪華なホテルが見えています。

  • 途中、高速艇に追い越されてしまいました。

    途中、高速艇に追い越されてしまいました。

  • 素晴らしい光景です。

    イチオシ

    素晴らしい光景です。

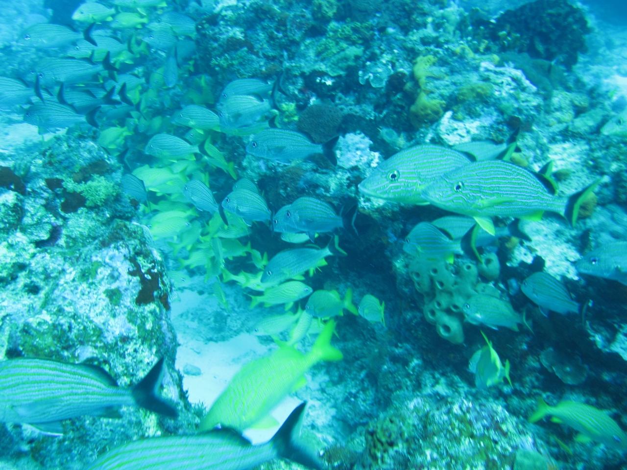
  • クロオビダイの群れ。

    クロオビダイの群れ。

  • ソフトコーラル?<br />イソギンチャク?

    ソフトコーラル?
    イソギンチャク?

  • ウツボもいました。

    ウツボもいました。

  • クロオビダイが整列しています。

    イチオシ

    クロオビダイが整列しています。

  • ミノカサゴ。

    イチオシ

    ミノカサゴ。

  • ロックビューティ。<br />カリブ海の固有種。

    ロックビューティ。
    カリブ海の固有種。

  • サメが昼寝していました。

    サメが昼寝していました。

  • 優雅に泳いでおります。

    優雅に泳いでおります。

  • 魚たちの楽園です。

    魚たちの楽園です。

  • 魚たちが乱舞しています。

    魚たちが乱舞しています。

  • 凄い魚群です。

    凄い魚群です。

  • ブルー・エンジェルフィッシュ。

    ブルー・エンジェルフィッシュ。

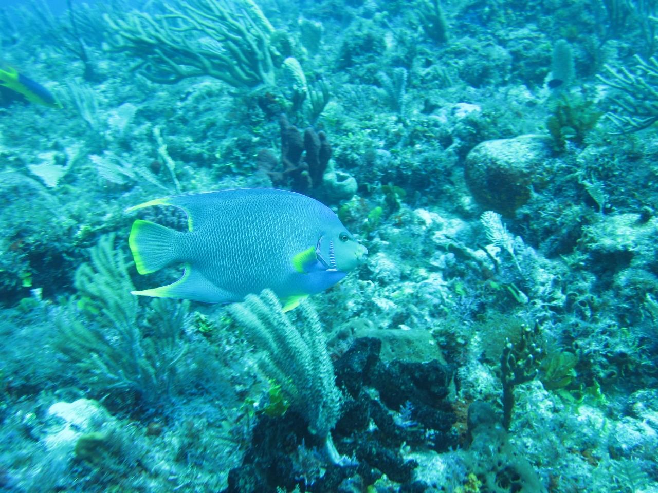
  • クイーン・エンジェルフィッシュ。

    クイーン・エンジェルフィッシュ。

  • ホテルゾーンの豪華ホテルを見ながらマリーナに戻ります。

    ホテルゾーンの豪華ホテルを見ながらマリーナに戻ります。

この旅行記のタグ

関連タグ

23いいね!

利用規約に違反している投稿は、報告する事ができます。 問題のある投稿を連絡する

コメントを投稿する前に

十分に確認の上、ご投稿ください。 コメントの内容は攻撃的ではなく、相手の気持ちに寄り添ったものになっていますか?

サイト共通ガイドライン(利用上のお願い)

報道機関・マスメディアの方へ 画像提供などに関するお問い合わせは、専用のお問い合わせフォームからお願いいたします。

旅の計画・記録

マイルに交換できるフォートラベルポイントが貯まる
フォートラベルポイントって?

メキシコで使うWi-Fiはレンタルしましたか?

フォートラベル GLOBAL WiFiなら
メキシコ最安 478円/日~

  • 空港で受取・返却可能
  • お得なポイントがたまる

メキシコの料金プランを見る

フォートラベル公式LINE@

おすすめの旅行記や旬な旅行情報、お得なキャンペーン情報をお届けします!
QRコードが読み取れない場合はID「@4travel」で検索してください。

\その他の公式SNSはこちら/

タグから海外旅行記(ブログ)を探す

PAGE TOP