ニャチャン旅行記(ブログ) 一覧に戻る
お盆休み予定なし。。。<br />なんだか寂しいお休みを覚悟していた。<br />直前STWメルマガの「実はベトナムでダイビングができてしまうんです!」のコピーが気になって、どこだかよくわからないまま申し込んじゃった。<br /><br />STW<br />潜ってみそ♪ベトナム屈指のビーチリゾートニャチャンを潜る!<br />==================================================<br />旅行代金 106,700円<br />部屋ランクアップ代金 3,000円<br />中部国際空港使用料:2,570円<br />燃油特別付加代金:15,000円<br />現地税・空港税:2,300円<br />前回のセブダイビングアンケート回答割引:-1,000円<br /><br />合計 128,570円/人<br /><br />宿泊:ヤサカ・サイゴン<br />ショップ:SCUBA ZONE 4ボートダイブ<br />==================================================<br />

2014 ベトナムで潜れるんだって!?

71いいね!

2014/08/09 - 2014/08/13

42位(同エリア227件中)

24

110

マチャ

マチャさん

お盆休み予定なし。。。
なんだか寂しいお休みを覚悟していた。
直前STWメルマガの「実はベトナムでダイビングができてしまうんです!」のコピーが気になって、どこだかよくわからないまま申し込んじゃった。

STW
潜ってみそ♪ベトナム屈指のビーチリゾートニャチャンを潜る!
==================================================
旅行代金 106,700円
部屋ランクアップ代金 3,000円
中部国際空港使用料:2,570円
燃油特別付加代金:15,000円
現地税・空港税:2,300円
前回のセブダイビングアンケート回答割引:-1,000円

合計 128,570円/人

宿泊:ヤサカ・サイゴン
ショップ:SCUBA ZONE 4ボートダイブ
==================================================

旅行の満足度
4.0
観光
2.5
ホテル
3.0
グルメ
1.5
ショッピング
1.0
交通
3.0
同行者
カップル・夫婦
一人あたり費用
10万円 - 15万円
交通手段
徒歩
航空会社
ベトナム航空
旅行の手配内容
ツアー(添乗員同行なし)
利用旅行会社
エス・ティー・ワールド
  • 台風がやって来るという連休前、<br />今回もセントレア前の東横インに前泊<br />(HPからの予約で駐車料金240時間無料)<br /><br />普段は静かなセントレアも今日は旅の客で大賑わい<br />テレビ局のカメラも取材に来てたが取材は受けず。。。<br /><br />今回、初のベトナム航空<br />知らなかったけどデルタと同じスカイチームだったので<br />SKY PRIORITYを活用

    台風がやって来るという連休前、
    今回もセントレア前の東横インに前泊
    (HPからの予約で駐車料金240時間無料)

    普段は静かなセントレアも今日は旅の客で大賑わい
    テレビ局のカメラも取材に来てたが取材は受けず。。。

    今回、初のベトナム航空
    知らなかったけどデルタと同じスカイチームだったので
    SKY PRIORITYを活用

  • 「これから乗る飛行機を見に行こう!」とスカイデッキに出てみたら<br />雨の中すごい人<br /><br />なに?何?

    「これから乗る飛行機を見に行こう!」とスカイデッキに出てみたら
    雨の中すごい人

    なに?何?

  • 誰か国賓でも?<br />大韓航空から韓流スターとか?<br /><br />放水のアーチの向こうにシンガポール航空A380が!<br /><br />警備員さんが「初めてA380が来たんです」って<br />

    誰か国賓でも?
    大韓航空から韓流スターとか?

    放水のアーチの向こうにシンガポール航空A380が!

    警備員さんが「初めてA380が来たんです」って

  • 私の過去のセントレア滑走路見学ツアー旅行記にも書きましたが<br /><br />2008.5.20 日本初就航で成田に着陸予定のA380が、成田悪天候で急遽セントレアにダイバード\(◎o◎)/!<br />ドリームリフターとの夢のコラボが実現しちゃったってんだから<br />今回は初めてじゃないですよ〜<br /><br />でも初めて放水アーチが見れてラッキー!

    私の過去のセントレア滑走路見学ツアー旅行記にも書きましたが

    2008.5.20 日本初就航で成田に着陸予定のA380が、成田悪天候で急遽セントレアにダイバード\(◎o◎)/!
    ドリームリフターとの夢のコラボが実現しちゃったってんだから
    今回は初めてじゃないですよ〜

    でも初めて放水アーチが見れてラッキー!

  • 今回はKALラウンジ<br />ドーナツ、ワッフルなどは持ち出し防止の為<br />全部袋から出されちゃった<br />

    今回はKALラウンジ
    ドーナツ、ワッフルなどは持ち出し防止の為
    全部袋から出されちゃった

  • 初めて乗るベトナム航空<br /><br />これからやって来る台風が気になるが<br />無事に飛べるみたい

    初めて乗るベトナム航空

    これからやって来る台風が気になるが
    無事に飛べるみたい

  • 台風前の雨の中、スカイデッキにはA380の見物客がぎっしり<br />

    台風前の雨の中、スカイデッキにはA380の見物客がぎっしり

  • 機内食<br />いつもはモリモリ食べちゃうんだけど<br />ラウンジでカップ麺食べちゃったっし…<br /><br />それにしても<br />蕎麦とご飯とパンってどうよ?

    機内食
    いつもはモリモリ食べちゃうんだけど
    ラウンジでカップ麺食べちゃったっし…

    それにしても
    蕎麦とご飯とパンってどうよ?

  • モニターにナビがないのでどこを飛んでるんだか不明<br />途中、珊瑚礁の島々が見えた<br /><br />まもなくハノイ到着です

    モニターにナビがないのでどこを飛んでるんだか不明
    途中、珊瑚礁の島々が見えた

    まもなくハノイ到着です

  • 暑い中、タラップを降りバスでターミナルへ

    暑い中、タラップを降りバスでターミナルへ

  • 乗り継ぎでは荷物を一度ピックアップ<br />国内線で荷物を預け直しが必要

    乗り継ぎでは荷物を一度ピックアップ
    国内線で荷物を預け直しが必要

  • ハノイ ノイバイ国際空港<br />ここで待ち時間5時間<br /><br />乗り継ぎ悪いのは好きだけど、ハノイの街に行くのは中途半端な時間<br />旦那はうだうだ文句言ってるけどここで我慢

    ハノイ ノイバイ国際空港
    ここで待ち時間5時間

    乗り継ぎ悪いのは好きだけど、ハノイの街に行くのは中途半端な時間
    旦那はうだうだ文句言ってるけどここで我慢

  • 5千円だけ両替してカフェに入る<br />※空港で両替5,000円→980,000ドン<br /><br />Wi-Fiが使えるのでここで頑張るが<br />コーヒー1杯じゃ持たない。。。。<br /><br />コーヒー40,000ドン(200円)

    5千円だけ両替してカフェに入る
    ※空港で両替5,000円→980,000ドン

    Wi-Fiが使えるのでここで頑張るが
    コーヒー1杯じゃ持たない。。。。

    コーヒー40,000ドン(200円)

  • 余裕でマッサージを受けれる時間もある<br /><br />レストランの奥<br />アロマの香る薄暗い部屋でマッサージを受ける<br />若いお兄さんとお姉さんが、肩、頭、背中、足を優しくマッサージ<br />ちっとも痛くない癒し系<br /><br />2人で400,000ドン(2000円)

    余裕でマッサージを受けれる時間もある

    レストランの奥
    アロマの香る薄暗い部屋でマッサージを受ける
    若いお兄さんとお姉さんが、肩、頭、背中、足を優しくマッサージ
    ちっとも痛くない癒し系

    2人で400,000ドン(2000円)

  • ベトナム航空のラウンジもあるけど利用できるのは国際線のみ<br />ひとり15ドルで利用できるらしいがパス<br /><br />搭乗口の「ATS fastfood」で早速フォーを食べる<br />2人分で90,000ドン(450円)<br />ところが可愛いお顔の店員さん、<br />500,000ドン札渡したら40,000ドン返してきた<br />ベトナムのお金、桁がクソ多いから一瞬解らなくなる<br />危ねぇ〜ボラれるとこだったよ<br /><br />※注意!注意<br />旦那が指摘したら「チッ!」って顔してたぞ

    ベトナム航空のラウンジもあるけど利用できるのは国際線のみ
    ひとり15ドルで利用できるらしいがパス

    搭乗口の「ATS fastfood」で早速フォーを食べる
    2人分で90,000ドン(450円)
    ところが可愛いお顔の店員さん、
    500,000ドン札渡したら40,000ドン返してきた
    ベトナムのお金、桁がクソ多いから一瞬解らなくなる
    危ねぇ〜ボラれるとこだったよ

    ※注意!注意
    旦那が指摘したら「チッ!」って顔してたぞ

  • やっと搭乗の時間<br />ハノイに沈む夕日<br /><br />空港での待ち時間長かった。。。

    やっと搭乗の時間
    ハノイに沈む夕日

    空港での待ち時間長かった。。。

  • 国内線だけど機内食<br /><br />といってもサンドイッチに水餅みたいなデザート<br />飲み物はミネラルウォーターのみ

    国内線だけど機内食

    といってもサンドイッチに水餅みたいなデザート
    飲み物はミネラルウォーターのみ

  • ハノイから1時間半でニャチャンに到着<br />SKY PRIORITYの恩恵で荷物は一番に出てきた<br />出口でお迎えのホテルスタッフともすぐに会えそのまま車に乗り込む<br /><br />あぁぁぁ、早すぎて空港の写真一枚も撮ってない。。。<br /><br />前を走るバイクをクラクション鳴らして追いまくり<br />空港から40分でホテルに到着

    ハノイから1時間半でニャチャンに到着
    SKY PRIORITYの恩恵で荷物は一番に出てきた
    出口でお迎えのホテルスタッフともすぐに会えそのまま車に乗り込む

    あぁぁぁ、早すぎて空港の写真一枚も撮ってない。。。

    前を走るバイクをクラクション鳴らして追いまくり
    空港から40分でホテルに到着

  • 今回3泊する<br />「ヤサカ サイゴン ニャチャン 」<br />今回申し込んだスーペリアルームは満室<br />追加6000円(2人)でデラックスに変更させられた<br /><br />違いは分からないがベット3台は邪魔!

    今回3泊する
    「ヤサカ サイゴン ニャチャン 」
    今回申し込んだスーペリアルームは満室
    追加6000円(2人)でデラックスに変更させられた

    違いは分からないがベット3台は邪魔!

  • ホテル横のマーケット<br /><br />私の心をぎゅっと掴むものは何も無い

    ホテル横のマーケット

    私の心をぎゅっと掴むものは何も無い

  • 街中が暴走族だらけ<br /><br />中には赤ちゃん抱いてバイクを運転<br />4人乗りのバイク<br />ちょっと家族愛を感じる(笑)

    街中が暴走族だらけ

    中には赤ちゃん抱いてバイクを運転
    4人乗りのバイク
    ちょっと家族愛を感じる(笑)

  • ニャチャンの朝〜<br />6時前だけどもう海の中に入ってる

    ニャチャンの朝〜
    6時前だけどもう海の中に入ってる

  • ホテルの朝食<br /><br />クチコミでフォーが美味しいとあったのでここは押さえる

    ホテルの朝食

    クチコミでフォーが美味しいとあったのでここは押さえる

  • 7時半ピックアップ<br />

    7時半ピックアップ

  • 「マ〜ム、マ〜ム、マンゴー」<br />私に買えってか?<br />差し出された袋の中にはパイナップル<br />「これ、マンゴーじゃないじゃん!」<br /><br />フルーツはやっぱ美味しそう<br />買わなかったけど

    「マ〜ム、マ〜ム、マンゴー」
    私に買えってか?
    差し出された袋の中にはパイナップル
    「これ、マンゴーじゃないじゃん!」

    フルーツはやっぱ美味しそう
    買わなかったけど

  • 飛行機からもニャチャンビーチからも見える気になるゴンドラの横を通ってポイントへ

    飛行機からもニャチャンビーチからも見える気になるゴンドラの横を通ってポイントへ

  • このボート、ママチャリ並のスピード<br />横をスピードボートが抜いていく<br />メリットは遅いので酔わない

    このボート、ママチャリ並のスピード
    横をスピードボートが抜いていく
    メリットは遅いので酔わない

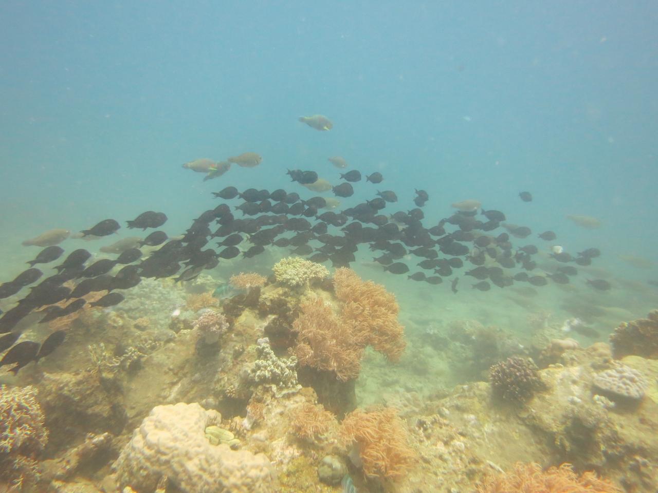
  • 1本目<br />「マドンナロック」<br /><br />エントリーしたらニゴニゴの海<br /><br />ずっとこんな感じなんかなぁ?

    1本目
    「マドンナロック」

    エントリーしたらニゴニゴの海

    ずっとこんな感じなんかなぁ?

  • 「まっくろくろすけ」がいっぱい

    「まっくろくろすけ」がいっぱい

  • 飽きた頃にガイドが<br />「トンネルくぐっていいか?」と合図する<br />もちろんOK<br /><br />こういう地形ポイントは好き

    飽きた頃にガイドが
    「トンネルくぐっていいか?」と合図する
    もちろんOK

    こういう地形ポイントは好き

  • ガイドはウミウシに興味ないのかスルーする<br /><br />まぁ地味な子しかいないんだけどね

    ガイドはウミウシに興味ないのかスルーする

    まぁ地味な子しかいないんだけどね

  • 本日のゲストはオージーの家族と私たち夫婦のみ<br />ボートにある食料は好きな時に自由に食べれる<br /><br />オージー家族は早速カレーを食べていた

    本日のゲストはオージーの家族と私たち夫婦のみ
    ボートにある食料は好きな時に自由に食べれる

    オージー家族は早速カレーを食べていた

  • 2本目<br />ちょっと移動したけどポイントは同じ「マドンナロック」

    2本目
    ちょっと移動したけどポイントは同じ「マドンナロック」

  • やっぱりニゴニゴ(笑)<br /><br />考えてみたら夫婦で潜るのも久しぶり<br />昨年のアメッド(バリ島)以来かな?

    やっぱりニゴニゴ(笑)

    考えてみたら夫婦で潜るのも久しぶり
    昨年のアメッド(バリ島)以来かな?

  • ガイドが珍しく指した先にはエビ?とウツボ?

    ガイドが珍しく指した先にはエビ?とウツボ?

  • 地味なウミウシオンパレード<br />バラの花はウミウシの卵

    地味なウミウシオンパレード
    バラの花はウミウシの卵

  • 少しづつ珊瑚が現れ

    少しづつ珊瑚が現れ

  • カサゴちゃんも見つかった<br /><br />これを撮ってたら足の指がつった<br /><br />イテテテ…(+o+)

    カサゴちゃんも見つかった

    これを撮ってたら足の指がつった

    イテテテ…(+o+)

  • これも興味ないのかガイドはスルー<br /><br />ハタタテハゼ<br /><br />すぐに逃げてしまうので緊張しながら写真に収めた

    これも興味ないのかガイドはスルー

    ハタタテハゼ

    すぐに逃げてしまうので緊張しながら写真に収めた

  • 地味〜な群れ<br /><br />だんだん良くなってきたんじゃない?

    地味〜な群れ

    だんだん良くなってきたんじゃない?

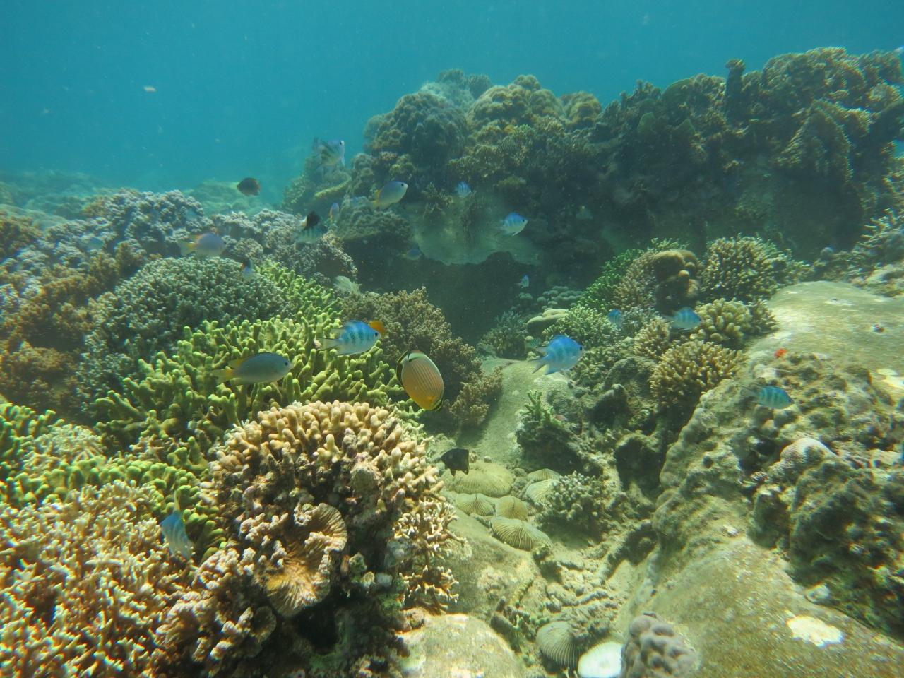
  • 目の前に広がる珊瑚礁<br /><br />最初ニゴニゴで最後に竜宮城<br />これはここのショップの作戦なのか?

    目の前に広がる珊瑚礁

    最初ニゴニゴで最後に竜宮城
    これはここのショップの作戦なのか?

  • 2本終えてランチタイム<br />カレーをいただきます )^o^(<br /><br />おかわりはイカ飯で

    2本終えてランチタイム
    カレーをいただきます )^o^(

    おかわりはイカ飯で

  • オージー父子がボートの2階から海に飛び込む<br />何度も何度も<br /><br />「写真撮るからもう一回ポーズしながら飛んで」と無茶ぶりの私のリクエストに応えてカメラ目線の笑顔で飛んでくれた<br /><br />ゴメン、写真失敗しちゃった (/ω\)<br />言えなかった。。。

    オージー父子がボートの2階から海に飛び込む
    何度も何度も

    「写真撮るからもう一回ポーズしながら飛んで」と無茶ぶりの私のリクエストに応えてカメラ目線の笑顔で飛んでくれた

    ゴメン、写真失敗しちゃった (/ω\)
    言えなかった。。。

  • のんびりボートで帰りは爆睡<br /><br />途中の景色<br />ベトナムのアマルフィー(っぽい)

    のんびりボートで帰りは爆睡

    途中の景色
    ベトナムのアマルフィー(っぽい)

  • 部屋に戻ると清掃中<br />そのままビーチへ

    部屋に戻ると清掃中
    そのままビーチへ

  • 暑い昼間はビーチも静か<br />パラソルもベットもルームキーを見せれば無料で借りれる<br /><br />木陰は風も心地よくずーーーーっと寝てた

    暑い昼間はビーチも静か
    パラソルもベットもルームキーを見せれば無料で借りれる

    木陰は風も心地よくずーーーーっと寝てた

  • ビーチが綺麗だと思ったら<br />清掃係の人がゴミを拾ってる<br /><br />暑い中お疲れ様<br /><br />

    ビーチが綺麗だと思ったら
    清掃係の人がゴミを拾ってる

    暑い中お疲れ様

  • 海をみつめる坊さん(?)

    海をみつめる坊さん(?)

  • 坊さんだって弾ける♪<br />

    坊さんだって弾ける♪

  • 夕方になるとバイクも人もビーチに集まる

    夕方になるとバイクも人もビーチに集まる

  • 強い日差しもなくなり快適<br /><br />あれよあれよと人がビーチに海に流れ込んでいく

    強い日差しもなくなり快適

    あれよあれよと人がビーチに海に流れ込んでいく

  • ホテルのプールでロシア人の子供が楽しそうに飛び込んで遊んでた<br />お姉ちゃんはシンクロの練習<br /><br />私は足の届く浅いところでピチャピチャ塩を流す(笑)

    ホテルのプールでロシア人の子供が楽しそうに飛び込んで遊んでた
    お姉ちゃんはシンクロの練習

    私は足の届く浅いところでピチャピチャ塩を流す(笑)

  • ホテル上階からのニャチャンビーチ<br /><br />ベトナムにこんなビーチがあるなんて一週間前まで知らなかった

    ホテル上階からのニャチャンビーチ

    ベトナムにこんなビーチがあるなんて一週間前まで知らなかった

  • チェックインの時にもらったウエルカムドリンク<br />カクテルの名前は「タイタニック」となんだったけ?<br />あまり美味しくなかった<br /><br />えびふりゃーはうみゃー

    チェックインの時にもらったウエルカムドリンク
    カクテルの名前は「タイタニック」となんだったけ?
    あまり美味しくなかった

    えびふりゃーはうみゃー

  • 日が暮れるとビーチ沿いの道は家族連れの暴走族<br /><br />毎日どこに行くんだ?<br />良い子は早く寝なさい!

    日が暮れるとビーチ沿いの道は家族連れの暴走族

    毎日どこに行くんだ?
    良い子は早く寝なさい!

  • 今日の夕飯<br />シーフード天国ってんだからシーフードピザ<br /><br />なかなかピザが出てこない。。。<br />お店の前にピザ屋のバイク<br />しばらくして箱からお皿に移されたピザが出てきた<br /><br />なぬ!?宅配????<br />

    今日の夕飯
    シーフード天国ってんだからシーフードピザ

    なかなかピザが出てこない。。。
    お店の前にピザ屋のバイク
    しばらくして箱からお皿に移されたピザが出てきた

    なぬ!?宅配????

  • ニャチャンといえばドラえもん<br />いや、ちょっと変だからどらエモン?<br /><br />この程度ならいいんじゃない

    ニャチャンといえばドラえもん
    いや、ちょっと変だからどらエモン?

    この程度ならいいんじゃない

  • 寝る前はマッサージ<br /><br />お願いしたのはフットマッサージ60分<br />なのにキュウリをスライスして顔にぎっしり並べ始めた<br />この日の私はグリーンのワンピース<br />つまり私自身がまるでキュウリ<br />想像したら吹き出してキュウリが飛びそうになった<br />後は爆睡<br />60分のマッサージ、やけに待ち時間が多い<br />旦那と私を交互に女性ひとりでマッサージしてたみたい<br />寝てたから記憶になくていいんだけどね。

    寝る前はマッサージ

    お願いしたのはフットマッサージ60分
    なのにキュウリをスライスして顔にぎっしり並べ始めた
    この日の私はグリーンのワンピース
    つまり私自身がまるでキュウリ
    想像したら吹き出してキュウリが飛びそうになった
    後は爆睡
    60分のマッサージ、やけに待ち時間が多い
    旦那と私を交互に女性ひとりでマッサージしてたみたい
    寝てたから記憶になくていいんだけどね。

  • 朝6時前<br /><br />朝日が昇る<br />早起きさんはもう海水浴

    朝6時前

    朝日が昇る
    早起きさんはもう海水浴

  • 3度目のフォーはさすがに飽きる

    3度目のフォーはさすがに飽きる

  • 今日は珍しくゲストはオール日本人<br /><br />みんなセントレアから来てるんだけど<br />台風で飛行機が飛ばず、ニャチャンに着いたのは深夜<br />大阪の友達と潜る予定だった男性。<br />関空は欠航になり結局おひとり様になってしまったとか。。。<br /><br />1日前に来た私は台風知らず。

    今日は珍しくゲストはオール日本人

    みんなセントレアから来てるんだけど
    台風で飛行機が飛ばず、ニャチャンに着いたのは深夜
    大阪の友達と潜る予定だった男性。
    関空は欠航になり結局おひとり様になってしまったとか。。。

    1日前に来た私は台風知らず。

  • 本日1本目<br />「サウスリーフ」<br /><br />今日はスノーケラーや初心者ダイバーと一緒なので<br />サンゴやお魚もいっぱいのポイント

    本日1本目
    「サウスリーフ」

    今日はスノーケラーや初心者ダイバーと一緒なので
    サンゴやお魚もいっぱいのポイント

  • 透明度もいいよ

    透明度もいいよ

  • ぎっしりと珊瑚の森

    ぎっしりと珊瑚の森

  • おいおい、カメラは?<br /><br />お陰で私の潜る写真など無し<br />まぁいいんだけど。。。(。-_-。)

    おいおい、カメラは?

    お陰で私の潜る写真など無し
    まぁいいんだけど。。。(。-_-。)

  • 最大深度18M程度<br /><br />珊瑚の上を飛んでるだけで安全停止も終わっちゃう<br />楽チンダイビングでした。

    最大深度18M程度

    珊瑚の上を飛んでるだけで安全停止も終わっちゃう
    楽チンダイビングでした。

  • 水面休憩挟んで2本目<br />「ロブスタービーチ」<br /><br />潜ったらエビがいっぱい<br /><br />アカシマシラヒゲエビかなぁ?<br /><br />今回のダイビング、ガイドがベトナム人の為魚の説明は一切なし

    水面休憩挟んで2本目
    「ロブスタービーチ」

    潜ったらエビがいっぱい

    アカシマシラヒゲエビかなぁ?

    今回のダイビング、ガイドがベトナム人の為魚の説明は一切なし

  • 同じ場所にいたシマシマの子は<br />スザクサラサエビだと思うよ<br /><br />可愛いよね

    同じ場所にいたシマシマの子は
    スザクサラサエビだと思うよ

    可愛いよね

  • シラスにしか見えないんだけど<br />どひゃ〜っといっぱい。

    シラスにしか見えないんだけど
    どひゃ〜っといっぱい。

  • 真っ黒でヒョロヒョロなウツボ<br />ハナヒゲウツボの幼魚なのかなぁ?<br /><br />大人になったらブルーと黄色の綺麗なウツボになる予定

    真っ黒でヒョロヒョロなウツボ
    ハナヒゲウツボの幼魚なのかなぁ?

    大人になったらブルーと黄色の綺麗なウツボになる予定

  • またまたガイドがスルーしたハタタテハゼ<br /><br />私しかカメラ持ってなかったので独り占め<br /><br />あまり夢中になるとガイドさん行っちゃって迷子になるからほどほどにね

    またまたガイドがスルーしたハタタテハゼ

    私しかカメラ持ってなかったので独り占め

    あまり夢中になるとガイドさん行っちゃって迷子になるからほどほどにね

  • こりゃキモイ<br /><br />今度は黒い小さな魚がウジャウジャ<br />

    こりゃキモイ

    今度は黒い小さな魚がウジャウジャ

  • ここも珊瑚礁の森<br /><br />2本目は1本目よりも浅いポイントだった

    ここも珊瑚礁の森

    2本目は1本目よりも浅いポイントだった

  • ボートに戻る直前にクロユリハゼを発見<br />慌ててなんとかゲット<br /><br />

    ボートに戻る直前にクロユリハゼを発見
    慌ててなんとかゲット

  • ボートに戻ってランチ<br />今日もカレー&イカ飯<br />

    ボートに戻ってランチ
    今日もカレー&イカ飯

  • そして昼寝<br /><br />知らないよ〜こんな所で寝ちゃって<br /><br />真っ赤っかになった肌は現在脱皮中

    そして昼寝

    知らないよ〜こんな所で寝ちゃって

    真っ赤っかになった肌は現在脱皮中

  • カニで遊ぶ地元の子

    カニで遊ぶ地元の子

  • ダイビングから戻って市場まで行くことにした<br />昼間はとにかく暑い<br />タクシーに乗ればいいのに暑い中日陰を選んで歩いた

    ダイビングから戻って市場まで行くことにした
    昼間はとにかく暑い
    タクシーに乗ればいいのに暑い中日陰を選んで歩いた

  • ダム市場<br /><br />両側になんじゃこれ〜の露店がぎっしり<br />この狭い道をバイクが走ってるんだから危ないのなんのって<br /><br />そして干物売り場は匂いが。。。。

    ダム市場

    両側になんじゃこれ〜の露店がぎっしり
    この狭い道をバイクが走ってるんだから危ないのなんのって

    そして干物売り場は匂いが。。。。

  • こうやって写真を撮るのは楽しい<br />しかし安いから買おうと思う物はひとつも無かった<br />

    こうやって写真を撮るのは楽しい
    しかし安いから買おうと思う物はひとつも無かった

  • 手ぶらの帰り道<br />焼き鳥?を焼くお兄さんたち<br /><br />写真を撮ったら<br />「もっと撮って!僕も撮って!」<br /><br />そう言われると撮りたくない<br />(私、反抗期)

    手ぶらの帰り道
    焼き鳥?を焼くお兄さんたち

    写真を撮ったら
    「もっと撮って!僕も撮って!」

    そう言われると撮りたくない
    (私、反抗期)

  • これだけ目立てば交通事故にも遭わないね!

    これだけ目立てば交通事故にも遭わないね!

  • アオザイを着たベトナムのお姉さん<br />その曲線が美しい<br /><br />てか、羨ましい

    アオザイを着たベトナムのお姉さん
    その曲線が美しい

    てか、羨ましい

  • さすがバイク天国<br />カラフルなヘルメット<br /><br />街ではキティちゃんのヘルメットを被った女性も多かった

    さすがバイク天国
    カラフルなヘルメット

    街ではキティちゃんのヘルメットを被った女性も多かった

  • 昼の街歩きは暑さで頭がボーッとする<br />ニャチャンはビーチで昼寝が一番!

    昼の街歩きは暑さで頭がボーッとする
    ニャチャンはビーチで昼寝が一番!

  • 夕方のビーチは気持ちいいので<br />おっちゃん、こんなところでお昼寝

    夕方のビーチは気持ちいいので
    おっちゃん、こんなところでお昼寝

  • おっちゃんの奥様は<br />モデルさんかな?

    おっちゃんの奥様は
    モデルさんかな?

  • 道路はバイクでいっぱいになる<br />それにしてもカラフルだね<br /><br />3日目ともなれば道路を横断するのも慣れてきた

    道路はバイクでいっぱいになる
    それにしてもカラフルだね

    3日目ともなれば道路を横断するのも慣れてきた

  • ホテルの入口にはこんな足洗い場がある<br /><br />部屋に戻ってネットでニャチャン情報を調べた<br />だって、お土産何も買ってないんだもん<br /><br />特に買い物しなくても空港で両替した5千円はマッサージと食事で消えて行った<br />出かける前にホテルで同じ5千円を両替する。<br />※ホテルで両替5,000円→1,015,000ドン<br />(参考)空港だと5,000円で980,000ドン

    ホテルの入口にはこんな足洗い場がある

    部屋に戻ってネットでニャチャン情報を調べた
    だって、お土産何も買ってないんだもん

    特に買い物しなくても空港で両替した5千円はマッサージと食事で消えて行った
    出かける前にホテルで同じ5千円を両替する。
    ※ホテルで両替5,000円→1,015,000ドン
    (参考)空港だと5,000円で980,000ドン

  • 日が暮れて街歩き<br /><br />豪快にエビやカニを焼いて売ってる<br /><br />ネット情報では「美味しくない」とあったのでパス!

    日が暮れて街歩き

    豪快にエビやカニを焼いて売ってる

    ネット情報では「美味しくない」とあったのでパス!

  • ベトナムのガイドブックにも載っていたバック<br />写真で見ると「絶対に買おう」と思うのだけど<br />「実際日本でコレを使う???」と考えたら<br />絶対に使わないと思う

    ベトナムのガイドブックにも載っていたバック
    写真で見ると「絶対に買おう」と思うのだけど
    「実際日本でコレを使う???」と考えたら
    絶対に使わないと思う

  • ベトナムでは生春巻きが食べれると思い込んでいたのに<br />どこのお店にも無い!!!!<br /><br />エビの入った春巻きは美味しかったけど、食べたかったのは生春巻き<br />ニャチャンではシーフードをというネット情報だったので魚まるごと料理してもらったけど微妙

    ベトナムでは生春巻きが食べれると思い込んでいたのに
    どこのお店にも無い!!!!

    エビの入った春巻きは美味しかったけど、食べたかったのは生春巻き
    ニャチャンではシーフードをというネット情報だったので魚まるごと料理してもらったけど微妙

  • そしてベトナムに来て3度目のマッサージ<br />ニャチャンセンターにある人気っぽいお店<br /><br />90分の全身マッサージ<br />服を着替えてベットに横になる(4人部屋)<br />お姉さんの細い指がムチムチの私のお肉に刺さって痛い<br />眠いけど痛い!<br />「○○チュセヨ〜」って私を韓国人だと思ってるのか?<br />どうして欲しいのかわからないよ〜<br />最後にお姉さんに馬乗りされ背中から引っ張り上げられる(体の大きい旦那も)<br />イテテテ・・・<br />韓国人のお店だった

    そしてベトナムに来て3度目のマッサージ
    ニャチャンセンターにある人気っぽいお店

    90分の全身マッサージ
    服を着替えてベットに横になる(4人部屋)
    お姉さんの細い指がムチムチの私のお肉に刺さって痛い
    眠いけど痛い!
    「○○チュセヨ〜」って私を韓国人だと思ってるのか?
    どうして欲しいのかわからないよ〜
    最後にお姉さんに馬乗りされ背中から引っ張り上げられる(体の大きい旦那も)
    イテテテ・・・
    韓国人のお店だった

  • 最終日の朝<br /><br />いい加減フォーは飽きてしまった<br />ドラゴンフルーツを食べまくる<br /><br />夜の飛行機なのでダイビングは出来ない<br /><br /><br />

    最終日の朝

    いい加減フォーは飽きてしまった
    ドラゴンフルーツを食べまくる

    夜の飛行機なのでダイビングは出来ない


  • 正午チェックアウトなので昼までビーチで寝ることに<br /><br />ニャチャンに来て1年分の昼寝をした<br />こんなに寝るって高熱を出した時以来だと思う

    正午チェックアウトなので昼までビーチで寝ることに

    ニャチャンに来て1年分の昼寝をした
    こんなに寝るって高熱を出した時以来だと思う

  • ロビーにスーツケースを預けて<br />ホテルとなりのニャチャンセンター最上階のフードコートへ<br /><br />ここのフードコートは眺めが最高!<br /><br />ランチはシーフードにした<br />(これで1500円程度)

    ロビーにスーツケースを預けて
    ホテルとなりのニャチャンセンター最上階のフードコートへ

    ここのフードコートは眺めが最高!

    ランチはシーフードにした
    (これで1500円程度)

  • 夕方まで旦那と別行動<br /><br />日陰を選んでちょっとだけ街を散策<br />大きなロータリーに出た<br /><br />きっと向こうに見える建物は唯一の名所「ニャチャン大聖堂」だと思ったけど<br />暑さに負けてここでUターン

    夕方まで旦那と別行動

    日陰を選んでちょっとだけ街を散策
    大きなロータリーに出た

    きっと向こうに見える建物は唯一の名所「ニャチャン大聖堂」だと思ったけど
    暑さに負けてここでUターン

  • 帰り道<br />来る時はなかった路上の床屋さんがあちこちに<br /><br />あれ?商売する気が無いのか<br />床屋さんが昼寝してます。<br /><br />いったいいくらでカットしてくれるんでしょうね

    帰り道
    来る時はなかった路上の床屋さんがあちこちに

    あれ?商売する気が無いのか
    床屋さんが昼寝してます。

    いったいいくらでカットしてくれるんでしょうね

  • ホテルのロビーで旦那と合流<br />私は軽い熱中症か頭がボーッとしてる<br /><br />空港へ行く前に軽めの食事<br />地元の食堂へ行ってみた

    ホテルのロビーで旦那と合流
    私は軽い熱中症か頭がボーッとしてる

    空港へ行く前に軽めの食事
    地元の食堂へ行ってみた

  • 中央にパクチーがどっさり<br />食事とビール、レモンティー合わせても300円しなかった

    中央にパクチーがどっさり
    食事とビール、レモンティー合わせても300円しなかった

  • 露店も出てきた

    露店も出てきた

  • ホテルスタッフの車で空港へ向かう<br />運転手は一言も喋らないが、車のクラクションをプープー鳴らし<br />バイクを追い立てながら走る<br /><br />

    ホテルスタッフの車で空港へ向かう
    運転手は一言も喋らないが、車のクラクションをプープー鳴らし
    バイクを追い立てながら走る

  • カムラン国際空港<br />ドンを使い切る為に空港内のカフェでベトナムコーヒーを注文<br /><br />あまりにも濃くて甘くて飲めない<br />頼んでお湯を達してもらったが飲めない<br /><br />自称コーヒー中毒の私でもここのコーヒーだけはこの状態でゴメンナサイした。

    カムラン国際空港
    ドンを使い切る為に空港内のカフェでベトナムコーヒーを注文

    あまりにも濃くて甘くて飲めない
    頼んでお湯を達してもらったが飲めない

    自称コーヒー中毒の私でもここのコーヒーだけはこの状態でゴメンナサイした。

  • ニャチャン→ハノイの軽食<br />行きと同じ、サンドイッチとミネラルウォーター

    ニャチャン→ハノイの軽食
    行きと同じ、サンドイッチとミネラルウォーター

  • 約1時間半でハノイに到着<br />帰りは乗り継ぎが短い<br />荷物をターンテーブルから取り国際線に移動<br />カウンターに預けなおす

    約1時間半でハノイに到着
    帰りは乗り継ぎが短い
    荷物をターンテーブルから取り国際線に移動
    カウンターに預けなおす

  • 30分くらいしか利用できないけど<br />せっかくなのでラウンジに行った<br /><br />軽食もあったけどそんなに食べれるものではない<br />小さなシュークリームとフルーツとオレンジジュース<br />フォーやラーメンもあったけど撮影だけでいいや

    30分くらいしか利用できないけど
    せっかくなのでラウンジに行った

    軽食もあったけどそんなに食べれるものではない
    小さなシュークリームとフルーツとオレンジジュース
    フォーやラーメンもあったけど撮影だけでいいや

  • ハノイの空港にはベトナムらしいお土産がいっぱい<br />値段を見たらUSD表示、おまけに高い<br /><br />ニャチャンにこんなのが売ってたらお買い物も楽しめたんだろうな<br /><br />雑貨天国ベトナムに行くなら荷物が増えることを考慮して予備バックを持っていくようにだって?<br />持って行った予備のレスポはキャリーバックに入ったまま

    ハノイの空港にはベトナムらしいお土産がいっぱい
    値段を見たらUSD表示、おまけに高い

    ニャチャンにこんなのが売ってたらお買い物も楽しめたんだろうな

    雑貨天国ベトナムに行くなら荷物が増えることを考慮して予備バックを持っていくようにだって?
    持って行った予備のレスポはキャリーバックに入ったまま

  • ハノイ→名古屋の機内食<br /><br />日本食はお粥<br />真ん中の黄色のはフルーツと思ったらたくあん<br /><br />機内食はめったに残さない私ですけど<br />食べずに寝ました

    ハノイ→名古屋の機内食

    日本食はお粥
    真ん中の黄色のはフルーツと思ったらたくあん

    機内食はめったに残さない私ですけど
    食べずに寝ました

  • こちらはベトナム風焼き飯<br /><br />旦那が美味しそうに食べたかどうかは知りません

    こちらはベトナム風焼き飯

    旦那が美味しそうに食べたかどうかは知りません

  • 「実はダイビングができてしまうんです!」のメルマガのコピーから好奇心で決まった初めてのベトナム<br />雑貨天国とは聞いていたけどニャチャンには何〜も無い<br />ダイビングとのんびり昼寝はできたけども土産探しは困りました<br />唯一買ったのは孫ピースケとペアのマスクだけだった<br /><br />ピースケ、まだ海に行った事ないんだっけ?<br />今度一緒に行こうね。

    「実はダイビングができてしまうんです!」のメルマガのコピーから好奇心で決まった初めてのベトナム
    雑貨天国とは聞いていたけどニャチャンには何〜も無い
    ダイビングとのんびり昼寝はできたけども土産探しは困りました
    唯一買ったのは孫ピースケとペアのマスクだけだった

    ピースケ、まだ海に行った事ないんだっけ?
    今度一緒に行こうね。

この旅行記のタグ

関連タグ

71いいね!

利用規約に違反している投稿は、報告する事ができます。 問題のある投稿を連絡する

この旅行記へのコメント (24)

開く

閉じる

  • はなここさん 2014/10/06 22:24:15
    同じツアーだったかもしれません
    こんばんわ、コメントから来ました!
    ありがとうございました。

    わたし、旅行記ちゃんとしてないんですけど
    3日目にスキューバーゾーン利用したんです。
    シュノーケルだけですけど楽しみました!
    ただ。。。猛烈に酔って、、、、
    船の上でも海の中でももうそれはそれは大変で大変で(笑)

    ダイビングを楽しんでいたみなさんがいて、
    全然絡む余裕もなかったんですけど
    もしかしてマチャさんたちだったかもしれないな。
    少しお話できたらよかったななんて、いまさら思いました!!

    また遊びに来ます♪

    マチャ

    マチャさん からの返信 2014/10/06 23:07:21
    RE: 同じツアーだったかもしれません
    はなここさん、こんばんは。

    > 3日目にスキューバーゾーン利用したんです。
    > シュノーケルだけですけど楽しみました!
    > ダイビングを楽しんでいたみなさんがいて、
    > 全然絡む余裕もなかったんですけど
    > もしかしてマチャさんたちだったかもしれないな。

    なぬ!?
    あ、いたいた。もしかしたらそうかもしれませんね。
    他のダイバーさん達も初対面でしたけど、楽しい方ばかりでした。
    あ〜ん、絡んでくださればよかったのに。。。

    はなここさんはリゾート好きと伺っております。
    またリゾートでバッタリ会った時には是非声をかけてくださいね。
    リゾートダイバーなので色んなところで出没出来る様、頑張ります。
    と言っても、現在旦那はひとりフィリピンのアニラオでダイビング、明日から母と娘はグアムでバケーション。
    私は会社を休めず猫ちゃん2匹とお留守番です。。。。

    リゾート行きたい!!!!
    マチャ
  • ちょびれさん 2014/09/28 06:38:22
    大遅刻・・・
    マチャさん

    おはようございます、そしてとっても遅れてすまんこってすが、
    お誕生日おめでとう・・・でした!マチャさんはここ少なくとも5年は全く
    年取ってないから〜
    いつまでも若いばーばでいてねヽ(^o^)丿

    ベトナムでダイビング、出来るのね!ニャチャンはニンバンベイとか
    行ってみたいリゾートがいっぱいあるけど、ダイビングは頭に浮かばなかったなー。
    ニゴニゴ→竜宮城の風景はほっとしたよね!
    やっぱ、海の中が似合うよ(^^♪
    ぴーすけくんと一緒のマスク、私もタイプ違うけど持ってる!んが、娘
    がサイズ間違えて買ってきたために(超子供用)片耳にとどきませぬ(泣)
    バイク天国のベトナムではマスクは必須だね、今年の冬にはこのマスク
    装着で風邪予防してつかーさい☆

    ちょびれ

    マチャ

    マチャさん からの返信 2014/09/29 00:28:05
    RE: 大遅刻・・・
    ちょびれさん、こんばんは。
    お返事こんな時間になってすみません。
    そしてお祝いメッセージもありがとうございます。
    だんだん老いを感じてます。/ _ ;

    > ベトナムでダイビング、出来るのね!

    そうなんですよ。
    決して面白い海ではないんだけど、ベトナムでダイビングってコピーに惹かれました。
    ただ、ニャチャンだけだとお買い物は楽しくありません。
    お金を使わないって点ではいいんでしょうけど…
    ちょびれさんもサムイに行かれてたんですね。
    リゾートでまったりは最高な贅沢ですよね。
    やっぱ、ベトナム料理よりタイ料理。
    サムイで潜りたくなりました。

    マチャ
  • ラパス君さん 2014/08/30 14:38:11
    セントレアでニアミスΣ(゚д゚lll)
    マチャさん こんちわです。

    ベトナムに潜りに行ったんですね。
    あんまりベトナムでダイビングって聞かないんで旅行記見て勉強になりました。
    どんな海かは海のニゴニゴ感で伝わってきましたw

    自分はベトナムは物価は安そうですがなんか魅了されません。

    8月9日は自分もセントレア行ったのでニアミスでしたね。
    空港行きのバスが高速道路で渋滞に巻き込まれて乗り遅れそうになりました。
    チェックインして直ぐにゲートに向かう感じだったので屋上で飛行機見てる余裕
    は無かったです。

    ラパス君

    マチャ

    マチャさん からの返信 2014/08/30 22:42:24
    RE: セントレアでニアミスΣ(゚д゚lll)
    ラパスくん、こんばんは。
    この夏はどこの秘境に行くのかな?と思っておりましたが、
    セントレアでニアミスだなんて、、、会えなくて残念でした。
    でも、なんか予感がしてて、搭乗の時にまたサイパンの時の様に声かけてくるんじゃないかな〜なんて思ってました。

    > ベトナムに潜りに行ったんですね。

    ベトナムにあんなリゾートがあるなんて全く知らなくて、まして潜るなんて事も。
    浅くて流れも無くてボートも酔わなくて、セッティングから全部してくれるので楽チンダイビングでした。
    ただ、口コミにも書きましたが、マイ器材持って行けないんですよ〜

    > 自分はベトナムは物価は安そうですがなんか魅了されません。

    一度潜ればもういいかな〜って感じです。
    パラオやサイパンみたいに毎年行きたいなとはなりませんね。
    やっぱ、ラパスくんは世界の有名ポイントを潜り倒すイメージなので、どこに行ったのかなぁ〜と気になります。
    コスタリカ辺り行って来て欲しいんだけど、セントレアからだとどちらへ行かれたのかな?
    あの時間帯だとソウル経由のパラオ、フィリピン、グアム経由。。。。

    マチャ
  • かっくんさん 2014/08/27 22:43:04
    お久ぶりんこ!
    マチャさん、こんばんは。(やっと普通の表現が出来るようになりました)

    ベトナム旅行記、拝見しました。

    実は私たちも今年6月初旬にベトナムはホーチミン3泊4日の旅行に行きました。まだ2年前のグランドサークル旅行記が途中なのでこのベトナム旅行記は10年後のアップになるかも知れません。
    その時に経験したこととしてベトナムは詐欺やかっぱらいが非常に多いということです。
    同じツアーで行った27名中4名が被害に遭いました。
    最初の被害者はまさにマチャさんと一緒のハノイ国際空港の中のショップでした。
    品物を受け取り、お金を出したら、それでは足りないと言われ、更に現金を出そうと財布に手を入れたら、いきなり現金を鷲掴みにされてガバッっと取られてしまったそうです。お店の人にですよ。
    その店員はそのお金を自分が持っていたお金と一緒にしてしまい、もうどれがどれか分からないとうやむやに済まそうとしたので、その被害に遭ったおばちゃんはさずが大阪のあばちゃんらしく、持っていた携帯で店とその店員の写真を撮りまくり、責任者を呼べと大声でわめき散らしたそうな。
    それで責任者が出てきて、返金もしてもらい、謝らせたそうです。
    それ以外でも街中で3件のひったくりに遭いました。
    ベトナム恐るべし。

    それから市内のバイクですが、昼も夜もとても多いのですが、何故、夜は家族全員が一台のバイクに乗って走っているか知っていますか?
    これは家に冷房が無いのでみんな夕涼みがてら、あても無く走り回っているのです。
    ご存じでしたか?

    以上、雑学でした。

    追加の雑学です。
    ハノイの空港に近づくと上空から私の会社のベトナム工場のロゴが見えますよ。今度、行ったら見て下さい。

    それではまた。
    かっくんより

    マチャ

    マチャさん からの返信 2014/08/27 23:20:10
    RE: お久ぶりんこ!
    かっくんさん、おは…じゃ無くて普通にこんばんは。
    お久しぶりです。
    お元気でしたか?

    > 実は私たちも今年6月初旬にベトナムはホーチミン3泊4日の旅行に行きました。まだ2年前のグランドサークル旅行記が途中なのでこのベトナム旅行記は10年後のアップになるかも知れません。

    私もこのニャチャン旅行記に1週間ダラダラ仕上げてたらどんなんだったか忘れてしまって。。。
    最後の方、金額等書いてないでしょ?覚えてないんです(笑)
    覚えてられますか?グランドサークル、早く作っちゃいましょうね!

    > 最初の被害者はまさにマチャさんと一緒のハノイ国際空港の中のショップでした。

    マジで!?
    海外旅行でお金がわからなくなればお財布にから店員さんにお金を取ってもらったりしてましたが、ベトナムはヤバイですね。
    私も大阪のおばちゃんを見習おう(近いところもありますが)

    > これは家に冷房が無いのでみんな夕涼みがてら、あても無く走り回っているのです。
    > ご存じでしたか?

    バイクの件、最初に書き込んでくれたホーミンさんも同じ事を教えてくれてますね。
    だけど生まれたての赤ちゃん抱っこして危ない危ない。
    ぐちゃぐちゃに走ってるのによくぶつからないなぁ〜上手なのかな?

    > ハノイの空港に近づくと上空から私の会社のベトナム工場のロゴが見えますよ。今度、行ったら見て下さい。

    しっかり確認しましたよ。
    かなり目立ってます。
    さすがバイク大国ですよね。

    日本には慣れましたか?
    アメリカ恋しくないですか?

    マチャ
  • ミンさん 2014/08/27 09:47:20
    色々な国でダイビングするマチャさんが、うらやましい♪
    マチャさん、おはようございます。

    色々な国の人々や生活を垣間見ることが、できますね。
    いいなぁ〜。
    渡航先をパッと決めて、とりあえず行ってみるマチャさん、いいですね。

    90,000ドンの支払いに、500,000ドン出したら、お釣りは、40,000ドンって??
    私だったら、「??」と思いながら、財布にお金を入れながら、ボーと歩いて行きそう。10mくらい歩いて、「なんか変」と思って、戻ってもきっと返してくれないよね。
    桁が多すぎて、「無理!」って感じだけど、私、年だけど、頭はクリアでお買い物しないとダメね。


    ホテルの前は、素晴らしいビーチですね。
    ビーチでお昼寝は気持ちいいよね。
    でも日に焼けなかった?パラソルがあるからだいじょうぶ?

    ホテルの3つのベット。1つは簡易ベットと言うわけでもないような。
    3人での旅なら、いいけどね。

    ダイビングの2日目のオコゼは、擬態して見えにくいけど、くりくりお目目がかわいいね。
    それとカメの首みたいにみえるのは、ドクウツボ?

    お土産のマスク、かわいくて、おもしろいですね。

    良い夏休みでしたね。

    ミン

    マチャ

    マチャさん からの返信 2014/08/27 21:49:42
    RE: 色々な国でダイビングするマチャさんが、うらやましい♪
    ミンさん、こんばんは。
    いつもありがとうございます。

    > 渡航先をパッと決めて、とりあえず行ってみるマチャさん、いいですね。

    毎日バタバタしてたら夏の連休の予定決めるの忘れてて、ベトナム?潜れるのなら空席確認しようと問合せたらそのまま予約完了になってしまい、場所もよくわからないまま潜って来ました。
    もっと潜りたい海はあるんですけど、なかなかお高くって。。。。
    そんな海ばかり潜られてるミンさん夫妻が羨ましいです。

    > 90,000ドンの支払いに、500,000ドン出したら、お釣りは、40,000ドンって??

    空港で両替したばかりでベトナムのお金に全く慣れてない時だから気づきませんよ〜
    最初は「小さいお札でちょうだい」って言われてたんだけど、こっちも両替したいから一番大きな500,000ドン出したら、試すような顔で40,000ドンのお釣りをもらってお財布に入れたんだけど、旦那が「ん!?」って気づいて500,000ドン返してもらいました。
    私だったら気づかないと思うよ〜

    > ホテルの前は、素晴らしいビーチですね。
    > ビーチでお昼寝は気持ちいいよね。

    マジで1年分のお昼寝をしました。
    日陰は風が通って気持ちいいよ〜♪

    > でも日に焼けなかった?パラソルがあるからだいじょうぶ?

    特に日焼けを気にしたわけでもないけど、だれも私がリゾートに行ったって気付かないくらい焼けてないみたいです。
    潜る以外はずっとボートかビーチだったのにね。

    ミンさんご夫妻も、潜るところがなくなった時に、ニャチャンを思い出して行ってみてください。
    潜って寝ての生活は贅沢ですよ♡

    マチャ
  • ぺでぃまるさん 2014/08/27 02:32:35
    表紙の写真
    マチャさん、こんばんは〜

    表紙の写真、どこのリゾートだって思ったらニャチャン?ベトナム?
    正直以外過ぎました。
    しかもそこでダイ部を楽しむなんて、凄いなあ〜
    私はベトナムではホイアンやホーチミンなんかしかピンときませんでしたが、いろいろあるんですね〜
    4tra、勉強になるっす。
    べトナムらしさは希薄なのかな?
    ランタンや小物のある、らしい風景は海メインでないのかな?
    卓上大盛のパクチー、PCのこっちまで匂ってきそうでビックリ(@@)

    お孫さんに買ったマスク可愛いですね〜♪

    (バイク写真で)家族愛の形は様々と学んだ
     ぺでぃまる

    マチャ

    マチャさん からの返信 2014/08/27 21:32:37
    RE: 表紙の写真
    べてぃまるさん、こんばんは。
    投票に書込み、ありがとうございます。m(__)m

    > 表紙の写真、どこのリゾートだって思ったらニャチャン?ベトナム?

    でしょ?私もビックリしました。
    ベトナムは初めてなので、思っていたイメージとは違いすぎて。。。
    私の中のベトナムはニャチャンのビーチに塗り替えられました。

    > 4tra、勉強になるっす。

    場所も確認せずに申し込んでしまったので、他のトラベラーさんの旅行記を覗かせていただきましたよ。
    ニャチャンでダイビングされてる方もたくさんいらしてビックリしました。

    > 卓上大盛のパクチー、PCのこっちまで匂ってきそうでビックリ(@@)

    意外と平気で食べちゃいました。(^_^)v

    > お孫さんに買ったマスク可愛いですね〜♪

    一応、デパートの子供服専門店で買った高級マスクですよ。
    なんと250円もするんだから〜
    さすがにネコちゃんマスクでバイクに乗ってる人は見かけませんでした。
    きっと高級マスクだからですよ。250円もしますもん。

    マチャ
  • ちゃみおさん 2014/08/26 19:38:04
    来年あたり海デビュー?!
    マチャさん、こんばんは。

    先日は心配してメールを下さって、ありがとうございました。
    幸い私の友人知人、親戚にも大きな被害はなく、ひと安心です。
    先週末用事があって被災地に行き、生で現場を見ました。
    あまりの惨状に涙が止まらなくなりました。
    まさか広島でこんな事が起こるなんて・・・。

    20日以降、夜中雨が降ると目が覚めて怖くて眠れない状態でした。
    でも今週やっと天気予報に「晴れ」マークが並ぶようになったので、気分的にも落ち着いてきました。
    マチャさんからのメール、すっごく嬉しかったです。
    ご心配をおかけしました。
    今は普段通りの生活が出来ています。

    さて旅行記の話題に。。。
    ベトナムでサンゴや熱帯魚のイメージは無かったけど、いっぱいいますね〜!
    ウミウシもいっぱい。
    ウツボが大人になると色が変わるって初めて知りました。
    この種類だけなのかな〜?

    ピースケ君はまだ海を知らないんですね。
    来年あたり、海デビューかな?
    わんことにゃんこのマスク、かわいい♪
    良く似合ってますよ(^_-)-☆

       ちゃみお

    マチャ

    マチャさん からの返信 2014/08/26 21:56:23
    RE: 来年あたり海デビュー?!
    ちゃみおさん、こんばんは。
    広島のこと、お見舞い申し上げます。
    テレビのニュースをー見た時、真っ先にちゃみおさんが浮かびました。
    ご主人のご両親や親戚の方も心配されたでしょうね。
    本当無事で良かった。。。

    今年の夏は梅雨のように雨が続きますね。
    連休も台風で始まりました。
    そんな中、珍しいベトナムでダイビングに行って来ました。
    海の中は特に珍しくは無いんだけど、ガイドさんはウミウシもウツボもスルー
    大好きなハゼも素通りなんだから。
    それがベトナムのダイビングなのかもしれないね。

    > ピースケ君はまだ海を知らないんですね。
    > 来年あたり、海デビューかな?

    近場の海でね!
    もう国際線は一丁前の料金掛かるので。。。

    > わんことにゃんこのマスク、かわいい♪
    > 良く似合ってますよ(^_-)-☆

    ありがとう!
    唯一買ったお土産です。

    マチャ
  • 墨水さん 2014/08/24 23:07:52
    ひょっとして・・・。
    マチャさん、今晩は。
    ベトナムコーヒー、ひょっとしてアラビアンコーヒーなのでは?。
    アラビアンコーヒーの正しい飲み方。(笑)
    コーヒーが出されたら、絶対掻き回しちゃダメ!。
    (おみゃ〜は、どこさの〜、田舎もんだべ〜っ、はぁ、常識知らね〜〜やつは。)と、相手に思われます。
    そして、しばし待つ。
    しばし待つ、しばし待つ、しばし待つ、しばし待つ、しばし待つ、しばし待つ。
    砂糖が適度に溶け込むまで、しばし待つのよ。←此所ポイント。
    掻き回しちゃダメ!。
    おもむろに飲む。
    2杯目を接がれたら、しばし待ちて後、飲む。
    絶対掻き回しちゃダメ!!。←(試験に出ま〜〜す。)
    墨水。

    マチャ

    マチャさん からの返信 2014/08/25 13:42:59
    RE: ひょっとして・・・。
    墨水さん、こんにちは!

    > ベトナムコーヒー、ひょっとしてアラビアンコーヒーなのでは?。

    いえいえ、最後だからベトナムコーヒーを注文したのです。
    (コーヒーはそれしかない)

    > コーヒーが出されたら、絶対掻き回しちゃダメ!。
    > そして、しばし待つ。

    口をつけて「無理!」と思ったので飲まずにそのまま放置、お店を離れる前にもう一度口をつけたけど、やっぱり無理でした。
    お湯まで足して頂いたけど、そのまま残して、店員さんには申し訳なかったけど無理です。
    旅の途中何度もコーヒーは飲んだけど、飲めなかったのはここだけ。

    大好きなコーヒーに裏切られた気分で、帰りの飛行機でもコーヒーは飲めませんでした。
    今日は午前だけで3杯飲んでるけど(笑)

    コーヒーは美味しい国がいいな〜

    アラビアンコーヒーの飲み方、伝授ありがとうございました。
    アラビアンコーヒーに出会った時は待って待って気長に待ちます。
    (冷めると思うけど)

    マチャ
  • たらよろさん 2014/08/24 21:54:51
    女子に人気のベトナムはニャチャンには無かった(笑)
    こんばんは、マチャさん。

    しっかり潜れましたね〜(笑)
    今ベトナムの人気って凄いんですってね。
    という私もニャチャンじゃないけれど、ダナンに興味津々で、、、
    多分次回の旅はダナンかな?
    でも、ハノイやホーチミンじゃないと購買意欲をそそるものは無いのね。
    ま、私も基本ショッピング興味ゼロなので良いか。

    それにしても、結構ベトナム人悪いやついる??
    お釣りを誤魔化そうとしたり、フルーツを違うの売りつけようとしたり、、、
    たった1人で2人分のマッサージとかあり得ん!!

    お金の桁が多いのも辛いよね。
    まったくわからなくなっちゃうもんねー
    0をふたつとって、0.5掛けてとか(笑)

    たらよろ

    マチャ

    マチャさん からの返信 2014/08/24 22:07:06
    RE: 女子に人気のベトナムはニャチャンには無かった(笑)
    たらよろさん、こんばんは。
    ニャチャン旅行記にようこそ!
    いつもありがとうございます。

    > しっかり潜れましたね〜(笑)

    まさかベトナムで潜れるなんて思ってなかったので、珍しいところ潜れて良かったです。

    > 今ベトナムの人気って凄いんですってね。

    そうなんですね。
    お土産はよくいただきます。
    ポーチや巾着袋や。。。高いんだろうな〜と思ったら「安いんだよ」って友達も言ってました。
    ニャチャンにはそんな気の利いた物はなかったんだけど。。。

    > ま、私も基本ショッピング興味ゼロなので良いか。

    無駄遣いしなくて結果オーライです。

    > それにしても、結構ベトナム人悪いやついる??

    逆に日本人て素直に信じちゃうから騙されやすいのかな?
    私も最初は電卓で計算してたけど、100,000ドンだと「,」から下を捨てて「5」をかける感じでいいみたいです。
    覚えた頃には帰国だけど。。。

    たらよろさんはボラれない様に気をつけてね!

    マチャ
  • ホーミンさん 2014/08/24 08:38:23
    ベトナムの海の中を初めて見ました
    マチャさま

    おはようございます。

    確か台風は10日に中国地方に上陸したんだったよね。
    ふえ〜、危ないとこですやん。
    南に向かう機中、随分と揺れたのでは?
    雨女が成長して、台風女になりませんよーに!^m^

    ベトナムの通貨は桁が大きいから錯覚を起こしますね。
    長男は両替時にボケてて1万円損したそうです。
    あと、よく間違う通貨が韓国の500ウォン。
    5000ウォンの物を買おうとして、頭のなかで「約500円だ」と換算する。
    そして500円玉に似てる500ウォン硬貨を出して、店員さんに???って顔をされたことは数回ありました。

    ベトナムの海は毎日じゃないけど、案外濁ってんだね。
    ちゃ〜んとウミウシがいてくれるのは嬉しい。
    マチャさんのダイブ旅行記で、ウミウシとコブダイが好きになりました♪

    海は濁ってっても海岸線は綺麗じゃないですか。
    表紙のお写真、全然ベトナムっぽくない。(いい意味で)
    ハワイかオーストラリアみたい。

    ベトナムのガイドさんが言ってたけど、あっちは夜も暑いから、用がなくてもひたすら夜の街をバイクで走り回るんですって。
    真ん中に挟んだ子供をバイクから落としちゃいけないし、家族全員がしっかり抱き合って、私もみてて家族愛を感じましたよ。

    マチャ

    マチャさん からの返信 2014/08/24 17:40:05
    RE: ベトナムの海の中を初めて見ました
    ホーミンさん、こんにちは!
    いつもありがとうございます。

    > 確か台風は10日に中国地方に上陸したんだったよね。

    そう、ギリギリセーフってとこでした。
    今までに台風で旅行がキャンセルされた経験も2度あるので、今回も覚悟してたんです。
    会社は9日間休みだったので、もうどうでもいいや〜って感じでしたが飛んで良かった。

    > 南に向かう機中、随分と揺れたのでは?

    上空からの眺めは正確ではないけど九州〜沖縄辺りでしょうね、すごくきれいでしたよ。
    飛んでるときは揺れませんでしたが、ベトナム航空は着陸下手ですねぇ。
    「ドスン!」ってしりもちついた衝撃でした。
    客室からも拍手する人がいたり。。。これ成功って事?

    > ベトナムの通貨は桁が大きいから錯覚を起こしますね。
    > 長男は両替時にボケてて1万円損したそうです。

    それって騙されたってことですか?
    もうびっくりですよ。500,000ドンって日本円で2,500円程度なんだけど、ベトナムの人にしてみれば大金ですもんね。
    1万円って事は2,000,000ドン!ゼロの数を数えただけで新車が買えそうです。
    ベトナム人不信になりそう。(−_−;)

    > ベトナムの海は毎日じゃないけど、案外濁ってんだね。

    私はもっとニゴニゴだと思って行ったので、サンゴ礁はびっくりでした。
    ビーチの海もきれいでしたよ。

    > マチャさんのダイブ旅行記で、ウミウシとコブダイが好きになりました♪

    これからもホーミンさんの為にウミウシ探しますね。
    コブダイかぁ、佐渡に行かなきゃ!

    > 表紙のお写真、全然ベトナムっぽくない。(いい意味で)
    > ハワイかオーストラリアみたい。

    ビーチはロシア人(白人)ばかり、長く続くビーチなんかベトナムのイメージじゃないね。
    普通のベトナムを知らないけど(笑)

    > ベトナムのガイドさんが言ってたけど、あっちは夜も暑いから、用がなくてもひたすら夜の街をバイクで走り回るんですって。

    あれは家族で涼んでるって事なのね。
    あんなに密着してたら暑そうだけど。。。

    でも家族で毎日お出かけっていいよね。

    マチャ
  • 夏子の探検さん 2014/08/23 13:47:01
    やっぱ、ダイビングしたいなぁ〜♪
    マチャさん、こんにちわ!

    私もこの広告見たけど(同じ中部だもんね)我家は未だダイビング禁止。

    相方が、鼻と耳の具合が良くないらしく、体験ダイブで懲りた様子。
    てな訳で、相方が定年退職したら。
    私も勝手にダイビング資格を取ろうと思ってます!(自由の身に)

    ニンチャン沖合に出ると意外と良さげですね。

    ダイブ後の、浜辺でお昼寝・・・こんなに寝たのは、高熱の時だけだった!
    と言うあたりが、超面白くて☆
    去年と違って、今年は体調不良の私は、いつ、マトモに成るの?と言う位、
    1日の半分は寝て居ます・・・相方が今年は何処にも行けんのか〜!?
    と言う程・・・で、石垣などに行って来ましたが・・・(旅行記未だです)

    初めてのベトナムだったのですね!
    大都市は雑貨天国だけど、結局、中国製よりチャチイかも・・・
    ちゃんとした、お店で買えば、それなりだけど、意外と高いし。。。

    最後のお孫ちゃんとの2ショットが、可愛かったので、良いですねぇ〜
    私も孫に会いたくなって来ました(孫は千葉県)

    私も昔買った、ベトナムマスク、持ってるけど、
    これ表では付けて歩けないよね・・・孫と一緒なら大丈夫かな?
    でも、目立つよねぇ〜私の住む四日市なら、逆に写真撮られそう!

    綺麗なお魚の写真もありがとうございます!
    石垣と小浜島で、魚が見れ無かったので、夫婦共に欲求不満・・・

    今、また、南国行きの航空券探してます。
    ではではまた〜〜♪ありがとうございました。
                     夏子

    マチャ

    マチャさん からの返信 2014/08/23 17:03:31
    RE: やっぱ、ダイビングしたいなぁ〜♪
    夏子さん、こんにちは!

    > 私もこの広告見たけど(同じ中部だもんね)我家は未だダイビング禁止。

    どうやらこのダイビングツアーは名古屋発だけみたいですね。
    2日目に一緒だった日本人ゲストは皆、台風の中セントレアから飛んで来た方ばかりでした。

    > 相方が、鼻と耳の具合が良くないらしく、体験ダイブで懲りた様子。

    体調悪い状態で潜ると辛いですよね。
    私も現在、急性咳喘息と顎関節症で通院中です。
    ダイビング前に誓約書に書かなきゃいけないんですけど、そんなこと書いたらダイビングに来て潜れないじゃない。
    以前、風邪を引いて潜った時に水中で咳をしても平気だったので、今回も海の中でコンコン咳しながら潜ってました。
    自己責任です。

    > ダイブ後の、浜辺でお昼寝・・・こんなに寝たのは、高熱の時だけだった!
    > と言うあたりが、超面白くて☆

    どーしてあんなにお昼寝が気持ちいいんでしょうね。
    潜って、マッサージして昼寝して、思えば最高の休日でしたね。
    高熱もなかなか出てくれないのでサボれなくって。。。
    お昼寝三昧したくなったらまたニャチャンに行こうと思います。

    > 今、また、南国行きの航空券探してます。

    いいのありました?
    私も来月の旅行を見つけたのに仕事でダメらしいです。
    でもそうやって探すのも楽しいですよね。

    投票&書き込みありがとうございました。

    マチャ
  • ゆみずさん 2014/08/23 08:45:11
    ニャチャン☆いいなぁ〜♪
    マチャさん☆おはようございます!
    夏休みは海猿パパとニャチャンだったのね。

    ニャチャンでも沖に出ればダイビングできるんだ〜
    ほんと、はじめのうちはニゴニゴでどうなの?
    って感じだけど最後には竜宮城☆やっぱり作成かな?
    小さい魚の大群!!すごいね!巻き込まれたい!?

    ニャチャンではリゾートにお篭りステイだったし
    ダンナと一緒だったからお買い物はよく覚えてないんだけど
    そういえばハノイやホーチミンに比べると
    女子心そそるものが少なかったかもしれないな。
    それでもベトナムお約束のキャラマスクはゲットできたのね。
    孫ちゃんとのツーショットかわいい♪

    この次は買い物も楽しめるように中部のダナン辺りはどうでしょう?

    ゆみず

    マチャ

    マチャさん からの返信 2014/08/23 10:05:21
    RE: ニャチャン☆いいなぁ〜♪
    ゆみずさん、こんにちは。
    夏も終わっちゃいますね。雨が多かったけど。

    > ニャチャンでも沖に出ればダイビングできるんだ〜

    ゆみずさんもよく利用されているSTWのメルマガの「実はダイビングできるんです」の文字にポン!と触れたことからこのダイビング旅行が始まっちゃいました。
    ニャチャンなんて聞いたことも無かったわ〜

    > ほんと、はじめのうちはニゴニゴでどうなの?

    あまり馴染みのないエリアだったので「こんなもんか〜」と覚悟はしてたんです。
    逆に後半のサンゴ礁に驚いちゃった。

    > ニャチャンではリゾートにお篭りステイだったし
    > ダンナと一緒だったからお買い物はよく覚えてないんだけど

    ゆみずさんも行かれてるんですね。
    結構ホーチミンとセットのツアーがあるみたいですね。
    私の周りにもベトナムのツアーで行ったことあるって子が数人いました。
    あそこはのんびりビーチを眺めながら昼寝ってのがいいね。

    > それでもベトナムお約束のキャラマスクはゲットできたのね。
    > 孫ちゃんとのツーショットかわいい♪

    バイクのお姉ちゃんのマスクはすごい種類
    服と柄がお揃いだったり、いっぱい買ってくればよかった〜
    孫とお揃いのワンちゃんネコちゃんマスクは子供服の専門店のマスクだから高かったのよ〜
    250円もしました(笑)

    > この次は買い物も楽しめるように中部のダナン辺りはどうでしょう?

    ベトナムはもう一回やり直しですね。

    マチャ

マチャさんのトラベラーページ

コメントを投稿する前に

十分に確認の上、ご投稿ください。 コメントの内容は攻撃的ではなく、相手の気持ちに寄り添ったものになっていますか?

サイト共通ガイドライン(利用上のお願い)

報道機関・マスメディアの方へ 画像提供などに関するお問い合わせは、専用のお問い合わせフォームからお願いいたします。

旅の計画・記録

マイルに交換できるフォートラベルポイントが貯まる
フォートラベルポイントって?

ベトナムで使うWi-Fiはレンタルしましたか?

フォートラベル GLOBAL WiFiなら
ベトナム最安 203円/日~

  • 空港で受取・返却可能
  • お得なポイントがたまる

ベトナムの料金プランを見る

フォートラベル公式LINE@

おすすめの旅行記や旬な旅行情報、お得なキャンペーン情報をお届けします!
QRコードが読み取れない場合はID「@4travel」で検索してください。

\その他の公式SNSはこちら/

タグから海外旅行記(ブログ)を探す

この旅行記の地図

拡大する

PAGE TOP