慶良間諸島旅行記(ブログ) 一覧に戻る
初めての座間味。<br /><br />慶良間の美しい海とサンゴ礁

座間味でダイビング Aug. 12, '04

4いいね!

2004/08/12 - 2004/08/15

1406位(同エリア1668件中)

0

26

ケー

ケーさん

初めての座間味。

慶良間の美しい海とサンゴ礁

  • 2004/8/12(木) <br />14:45 伊丹空港 出発 <br />16:50 那覇空港 到着<br /><br />今日は那覇で一泊して、明朝、船に乗って座間味に渡る予定だ。<br /><br />空港からタクシーでホテルへ移動。<br />「パシフィックホテル」にチェックイン。 <br /><br />19:00 夕食に出発。那覇市内の居酒屋さんで沖縄料理を堪能する。<br /><br /><br />2009/8/13(金) <br />08:15 ホテルチェックアウト、泊港へ移動。 <br />09:00 泊港出発。クイーンざまみに乗って座間味港へ。 <br />09:50 座間味港到着。ホテルの送迎車で「ケラマビーチホテル」へ。 <br /><br /><br />写真はクイーンざまみ。

    2004/8/12(木)
    14:45 伊丹空港 出発
    16:50 那覇空港 到着

    今日は那覇で一泊して、明朝、船に乗って座間味に渡る予定だ。

    空港からタクシーでホテルへ移動。
    「パシフィックホテル」にチェックイン。

    19:00 夕食に出発。那覇市内の居酒屋さんで沖縄料理を堪能する。


    2009/8/13(金)
    08:15 ホテルチェックアウト、泊港へ移動。
    09:00 泊港出発。クイーンざまみに乗って座間味港へ。
    09:50 座間味港到着。ホテルの送迎車で「ケラマビーチホテル」へ。


    写真はクイーンざまみ。

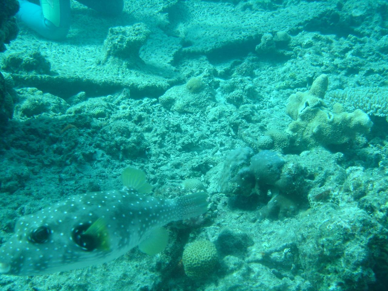
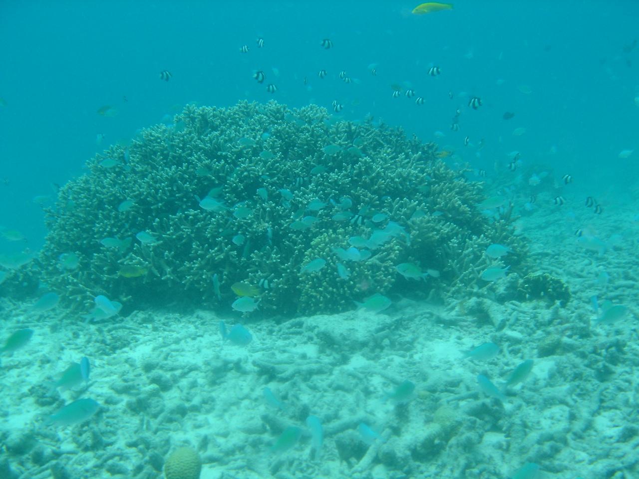
  • お部屋にチェックイン後、すぐにダイビングの準備。<br />メッシュバッグにダイビング器材を詰めて、水着に着替えて、バタバタバタバタっっ。<br /> <br />12:00 昼食<br /><br />14:00 港へ移動。ダイビング開始。<br />今日の予定は2ボート+1ナイト(ボート)。<br /><br />1本目「アダン下」 <br />気温30度、水温29度、波2〜2.5m、南西の風、透視度20m。アルミタンク10.3リットル・14.0kg。 <br />ナンヨウハギ、デバスズメダイ、ミスジリュウキュウスズメダイ(白と黒の沖縄のスズメダイ)、サザナミフグ、スカシテンジクダイ、キンメモドキ、モンツキアカヒメジ(白い魚だけど死ぬと赤くなるからアカヒメジ・・)、ハダカハオコゼ、カクレクマノミとそのイソギンチャクの中のニセアカホシカクレエビ、アオヤガラ、ヘラヤガラ、他いっぱい。 <br /><br />サンゴに群がるデバスズメダイ。 <br />青くてきれいだけど出っ歯だからデバスズメダイ。

    お部屋にチェックイン後、すぐにダイビングの準備。
    メッシュバッグにダイビング器材を詰めて、水着に着替えて、バタバタバタバタっっ。

    12:00 昼食

    14:00 港へ移動。ダイビング開始。
    今日の予定は2ボート+1ナイト(ボート)。

    1本目「アダン下」
    気温30度、水温29度、波2〜2.5m、南西の風、透視度20m。アルミタンク10.3リットル・14.0kg。
    ナンヨウハギ、デバスズメダイ、ミスジリュウキュウスズメダイ(白と黒の沖縄のスズメダイ)、サザナミフグ、スカシテンジクダイ、キンメモドキ、モンツキアカヒメジ(白い魚だけど死ぬと赤くなるからアカヒメジ・・)、ハダカハオコゼ、カクレクマノミとそのイソギンチャクの中のニセアカホシカクレエビ、アオヤガラ、ヘラヤガラ、他いっぱい。

    サンゴに群がるデバスズメダイ。
    青くてきれいだけど出っ歯だからデバスズメダイ。

  • ハダカハオコゼ。<br /><br />

    ハダカハオコゼ。

  • タテヒダイボウミウシ。

    タテヒダイボウミウシ。

  • クマノミ。

    クマノミ。

  • 1本目終了後、40分ほど、のんびり休憩タイム。天気はいいし、めちゃくちゃ暑いし、真夏の座間味は最高だっっ。 <br />ボートは次のポイントへ移動し、14:00頃から2ボートDV開始。 <br /><br /><br />写真は白い砂と青い海が美しい小さな無人島「安室島」。座間味島からは渡し舟で渡れる。

    1本目終了後、40分ほど、のんびり休憩タイム。天気はいいし、めちゃくちゃ暑いし、真夏の座間味は最高だっっ。
    ボートは次のポイントへ移動し、14:00頃から2ボートDV開始。


    写真は白い砂と青い海が美しい小さな無人島「安室島」。座間味島からは渡し舟で渡れる。

  • 2本目「安室漁礁」 <br />透視度15m。 <br />ヒトヅラハリセンボン、ネムリブカ、ネズミフグ、ユビエダハマサンゴ、ニセフウライチョウチョウウオ、アカククリ、セジロクマノミ、クマノミ、ハナビラクマノミ、タイワンカマス、ハナゴイ、ヨスジフエダイ、他いっぱい。 <br /><br />安室島にあるポイント「安室漁礁」は水深15mの所に、高さ5〜6mに積み上げられた人口の漁礁が二つある。周りにはユビエダハマサンゴが群生しており、珊瑚の間にはニシキテグリもいるらしい。 <br /><br />写真はセジロクマノミ。<br /><br /><br />2本目終了後、ホテルへ帰る。 <br />18:30 ホテル内のレストランで夕食後、ナイトダイビング。 <br /><br />3本目「ブツブツサンゴ」ボートナイト。 <br />カメ(タイマイ)、ネムリブカ、オトヒメエビ、オオカイカムリ、ブダイ、ヒトヅラハリセンボン(大きい)、ハリセンボン、コクテンフグ、ネッタイミノカサゴ、テングハギ、夜光虫(プランクトン)、ヘラヤガラ。 <br /><br />帰りのボートの上で見た満天の星空は素晴らしかったっっ。

    2本目「安室漁礁」
    透視度15m。
    ヒトヅラハリセンボン、ネムリブカ、ネズミフグ、ユビエダハマサンゴ、ニセフウライチョウチョウウオ、アカククリ、セジロクマノミ、クマノミ、ハナビラクマノミ、タイワンカマス、ハナゴイ、ヨスジフエダイ、他いっぱい。

    安室島にあるポイント「安室漁礁」は水深15mの所に、高さ5〜6mに積み上げられた人口の漁礁が二つある。周りにはユビエダハマサンゴが群生しており、珊瑚の間にはニシキテグリもいるらしい。

    写真はセジロクマノミ。


    2本目終了後、ホテルへ帰る。
    18:30 ホテル内のレストランで夕食後、ナイトダイビング。

    3本目「ブツブツサンゴ」ボートナイト。
    カメ(タイマイ)、ネムリブカ、オトヒメエビ、オオカイカムリ、ブダイ、ヒトヅラハリセンボン(大きい)、ハリセンボン、コクテンフグ、ネッタイミノカサゴ、テングハギ、夜光虫(プランクトン)、ヘラヤガラ。

    帰りのボートの上で見た満天の星空は素晴らしかったっっ。

  • 2009/8/14(土) <br />07:30 朝食。 <br />08:30 港へ移動。ダイビング開始。 <br /><br />1本目「ブツブツサンゴ」 <br />晴、気温30度、水温28.8度、波1.5〜2m、北東の風、透視度20m <br />アマミスズメダイ、サザナミフグ、キホシスズメダイ、ナンヨウハギ、カクレクマノミ、他いっぱい。

    2009/8/14(土)
    07:30 朝食。
    08:30 港へ移動。ダイビング開始。

    1本目「ブツブツサンゴ」
    晴、気温30度、水温28.8度、波1.5〜2m、北東の風、透視度20m
    アマミスズメダイ、サザナミフグ、キホシスズメダイ、ナンヨウハギ、カクレクマノミ、他いっぱい。

  • モンハナシャコかな

    モンハナシャコかな

  • シャコ貝。

    シャコ貝。

  • 1本目終了で、エキジット。

    1本目終了で、エキジット。

  • 2本目「伊釈迦釈(イジャカジャ)」 <br />晴、気温30度、水温30度、波1.5〜2m、北東の風、透視度15m <br />カメ(タイマイ、アオウミガメ)、コバンザメ2匹、ミスジリュウキュウスズメダイ、デバスズメダイ、ハタタテダイ、ツノダシ、スジアラ(高級魚)、オグロクロユリハゼ、他いっぱい。 <br /><br /><br />カメがいた〜っっ! <br />逃げられた〜<br /><br />これはタイマイ。

    2本目「伊釈迦釈(イジャカジャ)」
    晴、気温30度、水温30度、波1.5〜2m、北東の風、透視度15m
    カメ(タイマイ、アオウミガメ)、コバンザメ2匹、ミスジリュウキュウスズメダイ、デバスズメダイ、ハタタテダイ、ツノダシ、スジアラ(高級魚)、オグロクロユリハゼ、他いっぱい。


    カメがいた〜っっ!
    逃げられた〜

    これはタイマイ。

  • もう1匹いた〜っっ!<br /> <br />こっちはアオウミガメ。

    もう1匹いた〜っっ!

    こっちはアオウミガメ。

  • この子、全然逃げない・・・

    この子、全然逃げない・・・

  • オグロクロユリハゼ。 <br />成魚はペアでいるらしい。

    オグロクロユリハゼ。
    成魚はペアでいるらしい。

  • 2本目終了後、昼食を食べにホテルへ帰る。<br /> <br />ホテル目の前にある阿護湾のビーチへ食後にお散歩。<br />ちゃぷちゃぷしようと入ってみたらぬるま湯のように温かかった。 <br /><br />14:00 午後からは2ボートDV。

    2本目終了後、昼食を食べにホテルへ帰る。

    ホテル目の前にある阿護湾のビーチへ食後にお散歩。
    ちゃぷちゃぷしようと入ってみたらぬるま湯のように温かかった。

    14:00 午後からは2ボートDV。

  • 3本目「アリガーケーブル」 <br />晴、気温30度、水温28度、透視度15m <br />キホシスズメダイ、ハマクマノミ、ハナビラクマノミ、イソバナ、カクレクマノミ、ヒメダテハゼ、ガーデンイール、スカシテンジクダイ、キンメモドキ、ユカタハタ、ノコギリダイ、ヤシャベラ、ミツボシクロスズメダイ、サザナミフグ、フタスジリュウキュウスズメダイ、リュウキュウヒメジ、クマノミ(黒バージョン)、他いっぱい。

    3本目「アリガーケーブル」
    晴、気温30度、水温28度、透視度15m
    キホシスズメダイ、ハマクマノミ、ハナビラクマノミ、イソバナ、カクレクマノミ、ヒメダテハゼ、ガーデンイール、スカシテンジクダイ、キンメモドキ、ユカタハタ、ノコギリダイ、ヤシャベラ、ミツボシクロスズメダイ、サザナミフグ、フタスジリュウキュウスズメダイ、リュウキュウヒメジ、クマノミ(黒バージョン)、他いっぱい。

  • 4本目「灯台下」 <br />オヤビッチャ、キンメモドキ、リュウキュウハタンポ、アカマツカサ、ハタタテハギ、ニシキヤッコ、ホンスジモチノウオ、ハマクマノミ、ハナゴイ、他いっぱい。

    4本目「灯台下」
    オヤビッチャ、キンメモドキ、リュウキュウハタンポ、アカマツカサ、ハタタテハギ、ニシキヤッコ、ホンスジモチノウオ、ハマクマノミ、ハナゴイ、他いっぱい。

  • 今日でダイビングも終了。<br /><br />日が暮れていく・・・

    今日でダイビングも終了。

    日が暮れていく・・・

  • はっ!クジラ!!<br /><br />なんてこんな真夏にクジラは出ない。<br /><br />これは座間味港にあるクジラの像である。

    はっ!クジラ!!

    なんてこんな真夏にクジラは出ない。

    これは座間味港にあるクジラの像である。

  • 2004/8/15(日) <br /><br />07:30 朝食。 <br /><br />朝、ケラマビーチホテルのベランダから撮影したビーチ。

    2004/8/15(日)

    07:30 朝食。

    朝、ケラマビーチホテルのベランダから撮影したビーチ。

  • 出発時間までネコ撮影だ。 <br />ホテルの周りにはネコがいっぱいっ。座間味島はネコの島。

    出発時間までネコ撮影だ。
    ホテルの周りにはネコがいっぱいっ。座間味島はネコの島。

  • ネコたち。

    ネコたち。

  • このネコ左右で目の色が違う。キャッツアイ

    このネコ左右で目の色が違う。キャッツアイ

  • 09:00 ホテルを出発。車で座間味港へ。 <br /> 移動中に上から見た古座間味ビーチ。 <br /><br />10:00 クイーン座間味で泊港へ出発。

    09:00 ホテルを出発。車で座間味港へ。
     移動中に上から見た古座間味ビーチ。

    10:00 クイーン座間味で泊港へ出発。

  • 11:10 泊港到着。那覇空港へタクシーで移動し、荷物を預けてからタクシーで国際通りへ行く。 <br />昼食は「キャプテンズイン国際通り店」でステーキを食べた。<br />シェフのパフォーマンスがおもしろかった。<br /><br />食後にお買い物をしてから、「那覇市伝統工芸館」へ琉球ガラス体験をしに行く。<br />ここでは、所要時間10分ぐらいで、色や形を選べるオリジナルグラスを作れる。火を使っているので工房の中はとても暑い。職人さんに手伝ってもらいながら、汗をかきながらグラス作りに励んだ。出来上がった作品は翌日受け取りということなので、発送をしてもらう。後日届いたグラスは手作り感にあふれていて素朴で良い感じ。今でも大切に使っている。<br /> <br />ガラス工房の廊下にもネコがいた。 <br /><br />16:00 那覇空港出発。 <br />17:55 伊丹空港到着。<br /><br />楽しい思い出を胸に帰路へ・・

    11:10 泊港到着。那覇空港へタクシーで移動し、荷物を預けてからタクシーで国際通りへ行く。
    昼食は「キャプテンズイン国際通り店」でステーキを食べた。
    シェフのパフォーマンスがおもしろかった。

    食後にお買い物をしてから、「那覇市伝統工芸館」へ琉球ガラス体験をしに行く。
    ここでは、所要時間10分ぐらいで、色や形を選べるオリジナルグラスを作れる。火を使っているので工房の中はとても暑い。職人さんに手伝ってもらいながら、汗をかきながらグラス作りに励んだ。出来上がった作品は翌日受け取りということなので、発送をしてもらう。後日届いたグラスは手作り感にあふれていて素朴で良い感じ。今でも大切に使っている。

    ガラス工房の廊下にもネコがいた。

    16:00 那覇空港出発。
    17:55 伊丹空港到着。

    楽しい思い出を胸に帰路へ・・

この旅行記のタグ

関連タグ

4いいね!

利用規約に違反している投稿は、報告する事ができます。 問題のある投稿を連絡する

コメントを投稿する前に

十分に確認の上、ご投稿ください。 コメントの内容は攻撃的ではなく、相手の気持ちに寄り添ったものになっていますか?

サイト共通ガイドライン(利用上のお願い)

報道機関・マスメディアの方へ 画像提供などに関するお問い合わせは、専用のお問い合わせフォームからお願いいたします。

旅の計画・記録

マイルに交換できるフォートラベルポイントが貯まる
フォートラベルポイントって?

フォートラベル公式LINE@

おすすめの旅行記や旬な旅行情報、お得なキャンペーン情報をお届けします!
QRコードが読み取れない場合はID「@4travel」で検索してください。

\その他の公式SNSはこちら/

タグから国内旅行記(ブログ)を探す

PAGE TOP