石垣島旅行記(ブログ) 一覧に戻る
初めての石垣島。<br />初めてのマンタ。<br />初めて記念ダイブ。

石垣島でダイビング Jul. 8, '04

7いいね!

2004/07/08 - 2004/07/11

4190位(同エリア5941件中)

0

29

ケー

ケーさん

初めての石垣島。
初めてのマンタ。
初めて記念ダイブ。

同行者
その他
交通手段
JALグループ
  • 2004/7/8(木) <br />08:00 伊丹空港 出発 日本トランスオーシャンJTA141便 <br />10:30 石垣空港 到着 <br />行きは石垣までの直行便、所要時間は2時間30分。帰りは那覇で乗り換える。 <br /><br />宿泊するホテル「ホテル日航八重山」へ。 <br />ホテル到着後、時間も早いのでレンタカーで石垣島をドライブ。 <br /><br />途中にあった沖縄そばのお店で「八重山そば」を食べてから、雑誌に載っていた「ガーデンパナ」の石垣島直売所へ。 <br /><br />ガーデンパナの無添加調味料やハーブティーは、石垣島空港や那覇空港の売店でも販売されている。ここは、ガーデンパナの無添加調味料工房に併設する直売所で、海が見える丘の上には日本最南端の小さなハーブガーデンもある、とってもステキな所である。 <br />ハーブティーを注文して、ハーブの香りに包まれたオープンテラスでいただき、レモングラスのハーブティ、ハイビスカスティー、チャンプルの素(海水塩、野草、ハーブ入り)を購入。

    2004/7/8(木)
    08:00 伊丹空港 出発 日本トランスオーシャンJTA141便
    10:30 石垣空港 到着
    行きは石垣までの直行便、所要時間は2時間30分。帰りは那覇で乗り換える。

    宿泊するホテル「ホテル日航八重山」へ。
    ホテル到着後、時間も早いのでレンタカーで石垣島をドライブ。

    途中にあった沖縄そばのお店で「八重山そば」を食べてから、雑誌に載っていた「ガーデンパナ」の石垣島直売所へ。

    ガーデンパナの無添加調味料やハーブティーは、石垣島空港や那覇空港の売店でも販売されている。ここは、ガーデンパナの無添加調味料工房に併設する直売所で、海が見える丘の上には日本最南端の小さなハーブガーデンもある、とってもステキな所である。
    ハーブティーを注文して、ハーブの香りに包まれたオープンテラスでいただき、レモングラスのハーブティ、ハイビスカスティー、チャンプルの素(海水塩、野草、ハーブ入り)を購入。

  • お庭に咲いていた黄色いハイビスカス。<br /><br />

    お庭に咲いていた黄色いハイビスカス。

  • ハイビスカスティー。

    ハイビスカスティー。

  • ドライブの途中にあった玉取崎展望台。 <br /><br />赤い瓦屋根の玉取崎展望台は、平久保半島の金武岳の東の山麓にある景勝地で、南の野原崎から石垣島最北端の平久保崎まで見渡せる。展望台からの景色は青い海のグラデーション、道、緑が美しく最高だっっ。駐車場には公衆トイレも併設されていて、駐車場から展望台に登る遊歩道にはハイビスカスが咲き誇っている。 <br /><br />北側の景色。

    ドライブの途中にあった玉取崎展望台。

    赤い瓦屋根の玉取崎展望台は、平久保半島の金武岳の東の山麓にある景勝地で、南の野原崎から石垣島最北端の平久保崎まで見渡せる。展望台からの景色は青い海のグラデーション、道、緑が美しく最高だっっ。駐車場には公衆トイレも併設されていて、駐車場から展望台に登る遊歩道にはハイビスカスが咲き誇っている。

    北側の景色。

  • 南側の景色。 <br /><br />ここから最北端の平久保崎まで行くのには遠くて時間も遅かったので、その後はホテルに戻る方向へ。 <br />帰り道の途中、美咲町にある大きな酒屋さん「稲福酒販」に寄る。八重泉、請福、どなん、などの泡盛や、オリオンビール、ワインなども安く買えるお店である。泡盛の試飲もさせてくれた。ここでお土産の泡盛とホテルで飲むための請福の泡盛の一升瓶を買って帰った。 <br /><br />18:30 夕食へ出発。お店は炭火焼肉「やまもと」。焼肉おいしかった。 <br />そして、その夜ホテルの部屋で買ってきた泡盛を飲んだのだが、次の日二日酔いに・・。飲みすぎ注意。

    南側の景色。

    ここから最北端の平久保崎まで行くのには遠くて時間も遅かったので、その後はホテルに戻る方向へ。
    帰り道の途中、美咲町にある大きな酒屋さん「稲福酒販」に寄る。八重泉、請福、どなん、などの泡盛や、オリオンビール、ワインなども安く買えるお店である。泡盛の試飲もさせてくれた。ここでお土産の泡盛とホテルで飲むための請福の泡盛の一升瓶を買って帰った。

    18:30 夕食へ出発。お店は炭火焼肉「やまもと」。焼肉おいしかった。
    そして、その夜ホテルの部屋で買ってきた泡盛を飲んだのだが、次の日二日酔いに・・。飲みすぎ注意。

  • 2004/7/9(金) <br />06:30 朝食(レストラン「アクアリス」でバイキング)。 <br />08:30 ホテル出発。港へ移動。 <br /><br />1本目「川平(カビラ)石崎マンタスクランブル」(石垣島) <br />EN10:09 EX11:07 潜水時間58分。晴れ、凪、水温31度、最大水深14.3m、透視度15m。 <br /><br />ここは高確率でマンタと遭遇できる石垣島の超有名なマンタポイントだ。 <br />位置は島の中部・西側。水深は最大15m、平均8mと深くなく、流れはほとんどないのでビギナーでも大丈夫。マンタは水底に点在する根の上で一定の時間とどまりホバーリングするので、ゆっくり観察できる。エントリー後は、水底でじっと待つ。 <br />シーズンは4〜12月、トップシーズンは9月〜11月で、平均6〜7枚の乱舞が見られる。ここでのマンタウォッチングには、守るべきルールがあり、マンタを追いかけない、マンタに触らない、マンタにエアをかけない、マンタがホバーリングしている根の上に乗らない、など。 <br /><br />さあっっ いよいよマンタに会えるぞ〜っっ(会えないこともあるのだがすっかりその気)

    2004/7/9(金)
    06:30 朝食(レストラン「アクアリス」でバイキング)。
    08:30 ホテル出発。港へ移動。

    1本目「川平(カビラ)石崎マンタスクランブル」(石垣島)
    EN10:09 EX11:07 潜水時間58分。晴れ、凪、水温31度、最大水深14.3m、透視度15m。

    ここは高確率でマンタと遭遇できる石垣島の超有名なマンタポイントだ。
    位置は島の中部・西側。水深は最大15m、平均8mと深くなく、流れはほとんどないのでビギナーでも大丈夫。マンタは水底に点在する根の上で一定の時間とどまりホバーリングするので、ゆっくり観察できる。エントリー後は、水底でじっと待つ。
    シーズンは4〜12月、トップシーズンは9月〜11月で、平均6〜7枚の乱舞が見られる。ここでのマンタウォッチングには、守るべきルールがあり、マンタを追いかけない、マンタに触らない、マンタにエアをかけない、マンタがホバーリングしている根の上に乗らない、など。

    さあっっ いよいよマンタに会えるぞ〜っっ(会えないこともあるのだがすっかりその気)

  • 出た〜っっ!マンタ〜っっ!

    出た〜っっ!マンタ〜っっ!

  • 大きい〜っっ!感動〜っっ!

    大きい〜っっ!感動〜っっ!

  • 後ろ姿〜。

    後ろ姿〜。

  • もう1枚来た〜<br /><br />マンタ2枚見た〜っっ。

    もう1枚来た〜

    マンタ2枚見た〜っっ。

  • 写真はヤシャベラ。 <br /><br />他のお魚も撮りつつも、まだマンタの興奮おさまらずっ。

    写真はヤシャベラ。

    他のお魚も撮りつつも、まだマンタの興奮おさまらずっ。

  • 2本目もポイントは「川平石崎マンタスクランブル」 <br />さあっっ もういっちょマンタいくぞっっ <br /><br />ピンぼけの写真はクギベラ(♂)。 <br />とんがった口に特徴がある。雄は全身が青緑色、尾鰭が黄色。雌は体の前半分が白、後半部が黒褐色。

    2本目もポイントは「川平石崎マンタスクランブル」
    さあっっ もういっちょマンタいくぞっっ

    ピンぼけの写真はクギベラ(♂)。
    とんがった口に特徴がある。雄は全身が青緑色、尾鰭が黄色。雌は体の前半分が白、後半部が黒褐色。

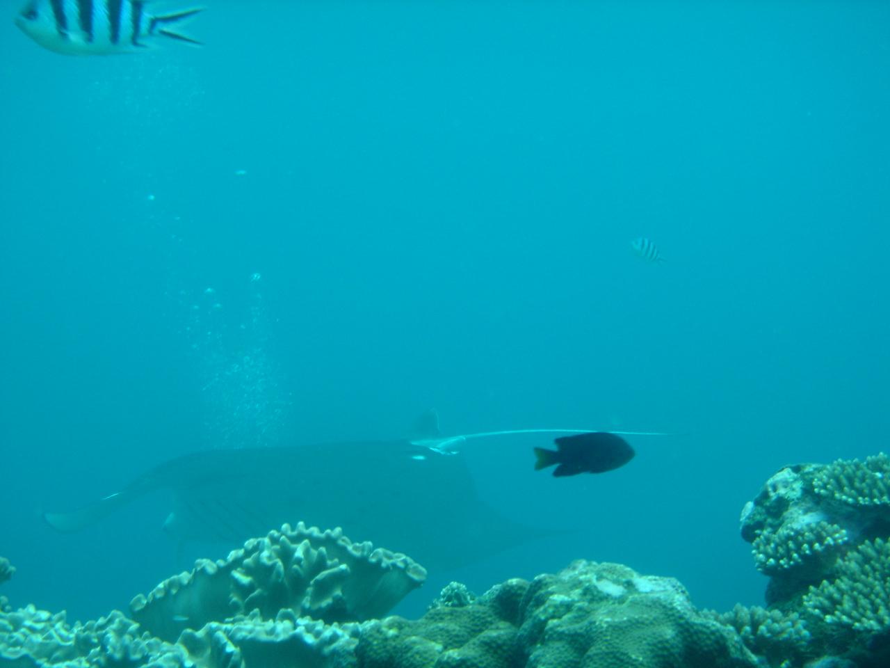
  • マンタ出た〜っっ!<br /> <br />すぐ近くまで来た〜っっ!

    マンタ出た〜っっ!

    すぐ近くまで来た〜っっ!

  • プランクトン食べてるマンタの口〜っっ!めっちゃっ大きい〜っっ!<br /><br />

    プランクトン食べてるマンタの口〜っっ!めっちゃっ大きい〜っっ!

  • さようなら〜マンタ〜っっ <br /><br />2本目は3枚も出たっっ。あっちにいたと思ったらこっちって感じで、まさにマンタスクランブルだ。

    さようなら〜マンタ〜っっ

    2本目は3枚も出たっっ。あっちにいたと思ったらこっちって感じで、まさにマンタスクランブルだ。

  • 3本目「崎枝湾サンゴの楽園」(石垣島) <br /><br />これはヒトスジギンポかな? <br /><br />16時頃ダイビング終了→ホテルへ。 <br />夕食は、沖縄料理のお店に行く。 <br />この日はあまり飲まず、早く寝た。

    3本目「崎枝湾サンゴの楽園」(石垣島)

    これはヒトスジギンポかな?

    16時頃ダイビング終了→ホテルへ。
    夕食は、沖縄料理のお店に行く。
    この日はあまり飲まず、早く寝た。

  • 2004/7/10(土) <br />06:30 朝食(レストラン「アクアリス」でバイキング)。 <br />08:30 ホテル出発。港へ移動。 <br /><br />1本目「リトルサンドパラダイス」(石垣島) <br /><br />美しいサンゴとロクセンスズメダイたち。

    2004/7/10(土)
    06:30 朝食(レストラン「アクアリス」でバイキング)。
    08:30 ホテル出発。港へ移動。

    1本目「リトルサンドパラダイス」(石垣島)

    美しいサンゴとロクセンスズメダイたち。

  • ミドリリュウグウウミウシ。 <br /><br />裸鰓目 (NUDIBRANCHIA)のドーリス亜目 (DORIDINA)のフジタウミウシ科 (POLYCERIDAE)のクロスジリュウグウウミウシ亜科 (NEMBROTHINAE)のニシキリュウグウウミウシ属 (Tambja)のミドリリュウグウウミウシ。長いってっ

    ミドリリュウグウウミウシ。

    裸鰓目 (NUDIBRANCHIA)のドーリス亜目 (DORIDINA)のフジタウミウシ科 (POLYCERIDAE)のクロスジリュウグウウミウシ亜科 (NEMBROTHINAE)のニシキリュウグウウミウシ属 (Tambja)のミドリリュウグウウミウシ。長いってっ

  • クマノミ。

    クマノミ。

  • アカシマシラヒゲエビ。

    アカシマシラヒゲエビ。

  • スカシテンジクダイとキンメモドキ。

    スカシテンジクダイとキンメモドキ。

  • ヒラメ?カレイ?

    ヒラメ?カレイ?

  • オトメハゼ。

    オトメハゼ。

  • 何かの卵・・・。<br />クマノミのかな・・・

    何かの卵・・・。
    クマノミのかな・・・

  • 2本目「ミドルフック」(竹島島) <br />クロホシイシモチとササムロ。 <br /><br />白い砂地でフィンを脱いでかけっこをしたりして遊んだ。 <br /><br />2本目が終了し、ボートの上で昼食&休憩。

    2本目「ミドルフック」(竹島島)
    クロホシイシモチとササムロ。

    白い砂地でフィンを脱いでかけっこをしたりして遊んだ。

    2本目が終了し、ボートの上で昼食&休憩。

  • 2004/7/10(土) <br />3本目「サンドガーデン」(黒島) <br /><br />テンスの幼魚。かわいい。

    2004/7/10(土)
    3本目「サンドガーデン」(黒島)

    テンスの幼魚。かわいい。

  • ノコギリハギ。(わかりにくいが左下のサンゴの上に浮いてる) <br /><br />すごく小さくて、サンゴの周りをちょろちょろしてた。

    ノコギリハギ。(わかりにくいが左下のサンゴの上に浮いてる)

    すごく小さくて、サンゴの周りをちょろちょろしてた。

  • ハマクマノミ。 <br /><br /><br />今日が石垣島最後の夜。夕食は居酒屋さんで打ち上げだ。マンタに乾杯っっ

    ハマクマノミ。


    今日が石垣島最後の夜。夕食は居酒屋さんで打ち上げだ。マンタに乾杯っっ

  • 写真は夕食の帰りに寄ったコンビニの駐車場にいた石垣島っぽいイヌ。 <br /><br />2004/7/11(日) <br />06:30 朝食(レストラン「アクアリス」でバイキング)。 <br />ホテルをチェックアウト。 <br />飛行機の時間が15:45と時間があるので離島桟橋の方の繁華街に行くことに。タクシー(約8分)で移動。 <br />しばしぶらぶらした後(石垣島には、自然素材を使った雑貨屋さん、お土産屋さんなど、お洒落でかわいいお店が多い。)、昼食を食べに。 <br />せっかく石垣島に来たのだから石垣牛のステーキが食べたい!ということで、石垣島の冊子に載っていたお店「ゆうな」に行った。私は奮発して「石垣牛ステーキ定食¥3,800」(とビール。)を注文。ステーキはあと2人前しか出来ないというのでギリギリセーフっ。運ばれてきたお料理は見た目も大きさもごく普通な感じだが、口に入れたら、柔らかくてめちゃめちゃおいしい〜!頼んでよかった〜っっ。他に「蟹汁定食」を注文した人もいた。この蟹汁の蟹は「ノコギリガザミ」というマングローブに棲む蟹だ。一口いただいたのだが、こちらも蟹のだしがよく出ていてとてもおいしかった。 <br />お腹がいっぱいになった後、公設市場の方に行って、おみやげをいろいろ見て、14時過ぎに石垣空港までタクシーで移動。 <br /><br />15:45 石垣空港 出発 <br />16:35 那覇空港 到着 <br />17:00 那覇空港 出発 日本トランスオーシャンJTA641便 <br />18:55 伊丹空港 到着 <br /><br />楽しい思い出を胸に帰路へ・・・<br />

    写真は夕食の帰りに寄ったコンビニの駐車場にいた石垣島っぽいイヌ。

    2004/7/11(日)
    06:30 朝食(レストラン「アクアリス」でバイキング)。
    ホテルをチェックアウト。
    飛行機の時間が15:45と時間があるので離島桟橋の方の繁華街に行くことに。タクシー(約8分)で移動。
    しばしぶらぶらした後(石垣島には、自然素材を使った雑貨屋さん、お土産屋さんなど、お洒落でかわいいお店が多い。)、昼食を食べに。
    せっかく石垣島に来たのだから石垣牛のステーキが食べたい!ということで、石垣島の冊子に載っていたお店「ゆうな」に行った。私は奮発して「石垣牛ステーキ定食¥3,800」(とビール。)を注文。ステーキはあと2人前しか出来ないというのでギリギリセーフっ。運ばれてきたお料理は見た目も大きさもごく普通な感じだが、口に入れたら、柔らかくてめちゃめちゃおいしい〜!頼んでよかった〜っっ。他に「蟹汁定食」を注文した人もいた。この蟹汁の蟹は「ノコギリガザミ」というマングローブに棲む蟹だ。一口いただいたのだが、こちらも蟹のだしがよく出ていてとてもおいしかった。
    お腹がいっぱいになった後、公設市場の方に行って、おみやげをいろいろ見て、14時過ぎに石垣空港までタクシーで移動。

    15:45 石垣空港 出発
    16:35 那覇空港 到着
    17:00 那覇空港 出発 日本トランスオーシャンJTA641便
    18:55 伊丹空港 到着

    楽しい思い出を胸に帰路へ・・・

この旅行記のタグ

関連タグ

7いいね!

利用規約に違反している投稿は、報告する事ができます。 問題のある投稿を連絡する

コメントを投稿する前に

十分に確認の上、ご投稿ください。 コメントの内容は攻撃的ではなく、相手の気持ちに寄り添ったものになっていますか?

サイト共通ガイドライン(利用上のお願い)

報道機関・マスメディアの方へ 画像提供などに関するお問い合わせは、専用のお問い合わせフォームからお願いいたします。

この旅行で行ったスポット

この旅行で行ったグルメ・レストラン

旅の計画・記録

マイルに交換できるフォートラベルポイントが貯まる
フォートラベルポイントって?

フォートラベル公式LINE@

おすすめの旅行記や旬な旅行情報、お得なキャンペーン情報をお届けします!
QRコードが読み取れない場合はID「@4travel」で検索してください。

\その他の公式SNSはこちら/

タグから国内旅行記(ブログ)を探す

この旅行記の地図

拡大する

PAGE TOP